Benvenuto Ospite

Forum Entomologi Italiani

www.entomologiitaliani.net/forum
 
Oggi è 23/03/2026, 17:12

Tutti gli orari sono UTC + 1 ora [ ora legale ]

Filtro località

Filtro località

In questo pannello è possibile effettuare delle ricerche mirate in base alle località inserite nel forum.

Statistiche

Statistiche
In totale ci sono 90012 taxa:
- 86069 taxa con dati completi
- 2738 taxa con dati parziali, riconducibili ad un paese
- 1205 taxa con dati incompleti


escludi dalla ricerca i subforum
Distribuzione in Europa
Distribuzione in Italia
Filtro applicato: ITALIA - Toscana

Pagina 1 di 1 [ 13 messaggi ]

# A B C D E F G H I J K L M N O P Q R S T U V W X Y Z
 Argomenti   Autore   Risposte   Visite    Ultimo messaggio 
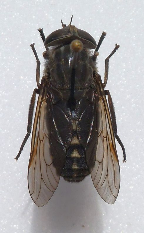
Chrysops (Chrysops) italicus Meigen, 1804 - Tabanidae
16.VIII.2021 - ITALIA - Toscana - GR, Punta Ala
Allegato(i)
Chrysops (Chrysops) italicus Meigen, 1804 - Tabanidae

in Tabanidae


Dati di raccolta: 16.VIII.2021 - ITALIA - Toscana - GR, Punta Ala

emmebix

1

688

12/09/2021, 0:52

TheWings Vedi ultimo messaggio

Dasyrhamphis sp. - Tabanidae
2.VI.2018 - ITALIA - Toscana - LU, sentiero 145 Alpi Apuane per Monte Sumbra 1098 m slm, 44°4'33'N, 10°18'34''E)
Allegato(i)
Dasyrhamphis sp. - Tabanidae

in Tabanidae


Dati di raccolta: 2.VI.2018 - ITALIA - Toscana - LU, sentiero 145 Alpi Apuane per Monte Sumbra 1098 m slm, 44°4'33'N, 10°18'34''E)

ALEXBRAMO

3

1330

05/06/2018, 13:01

ALEXBRAMO Vedi ultimo messaggio

Haematopota rotundata Szilady, 1923 - Tabanidae
3.IX.1978 - ITALIA - Toscana - LU, Lido di Camaiore
Allegato(i)
Haematopota rotundata Szilady, 1923 - Tabanidae

in Tabanidae


Dati di raccolta: 3.IX.1978 - ITALIA - Toscana - LU, Lido di Camaiore

Josefus

4

1482

14/02/2019, 23:05

gomphus Vedi ultimo messaggio

Haematopota sp. (cf.) - Tabanidae
20.VIII.2011 - ITALIA - Toscana - PI, Bosco di Cornacchiaia, Pisa
Allegato(i)
Haematopota sp. (cf.) - Tabanidae

in Tabanidae


Dati di raccolta: 20.VIII.2011 - ITALIA - Toscana - PI, Bosco di Cornacchiaia, Pisa

Lucarelli

1

783

23/08/2011, 0:30

Ateuchetus Vedi ultimo messaggio

Hybomitra expollicata (Pandellé, 1883) - Tabanidae
18.V.2024 - ITALIA - Toscana - GR, dint. di Ansedonia
Allegato(i)
Hybomitra expollicata (Pandellé, 1883) - Tabanidae

in Tabanidae


Dati di raccolta: 18.V.2024 - ITALIA - Toscana - GR, dint. di Ansedonia

Chalybion

0

756

31/05/2024, 16:02

Chalybion Vedi ultimo messaggio

Ovatura di Tabanidae sp.
29.V.2022 - ITALIA - Toscana - GR, Cornate di Gerfalco- Fosini, 730 m ca.
Allegato(i)
Ovatura di Tabanidae sp.

in Tabanidae


Dati di raccolta: 29.V.2022 - ITALIA - Toscana - GR, Cornate di Gerfalco- Fosini, 730 m ca.

Chalybion

1

565

04/06/2022, 21:12

Chalybion Vedi ultimo messaggio

Philipomyia aprica (Meigen 1820) - Tabanidae Tabaninae
18.VI.2011 - ITALIA - Toscana - SI, Monteguidi
Allegato(i)
Philipomyia aprica (Meigen 1820) - Tabanidae Tabaninae

in Tabanidae


Dati di raccolta: 18.VI.2011 - ITALIA - Toscana - SI, Monteguidi

Carlo Monari

2

1479

30/12/2011, 18:19

Carlo Monari Vedi ultimo messaggio

Philipomyia sp ♀ (cf.) - Tabanidae Tabaninae Diachlorini
14.VI.2014 - ITALIA - Toscana - AR, Casentino
Allegato(i)
Philipomyia sp ♀ (cf.) - Tabanidae Tabaninae Diachlorini

in Tabanidae


Dati di raccolta: 14.VI.2014 - ITALIA - Toscana - AR, Casentino

stefano3

3

1006

14/06/2014, 22:09

Carlo Monari Vedi ultimo messaggio

Symphoromyia sp. - Rhagionidae
18.VI.2011 - ITALIA - Toscana - SI, Monteguidi
Allegato(i)
Symphoromyia sp. - Rhagionidae

in Rhagionidae


Dati di raccolta: 18.VI.2011 - ITALIA - Toscana - SI, Monteguidi

Carlo Monari

1

1051

27/09/2012, 22:32

Carlo Monari Vedi ultimo messaggio

Tabanus autumnalis Linnaeus, 1761 - Tabanidae
VIII.1979 - ITALIA - Toscana - LU, Lido di Camaiore
Allegato(i)
Tabanus autumnalis Linnaeus, 1761 - Tabanidae

in Tabanidae


Dati di raccolta: VIII.1979 - ITALIA - Toscana - LU, Lido di Camaiore

Josefus

3

1330

13/02/2019, 19:27

Carlo Monari Vedi ultimo messaggio

Tabanus bovinus Linnaeus 1758 (cf.) ♀ - Tabanidae
22.VIII.2015 - ITALIA - Toscana - FI, Campigno, 550 m, sopra Marradi
Allegato(i)
Tabanus bovinus Linnaeus 1758 (cf.) ♀ - Tabanidae

in Tabanidae


Dati di raccolta: 22.VIII.2015 - ITALIA - Toscana - FI, Campigno, 550 m, sopra Marradi

Chalybion

6

1619

25/10/2015, 17:17

Carlo Monari Vedi ultimo messaggio

Tabanus gr. glaucopis - Tabanidae
18.VII.2010 - ITALIA - Toscana - LI, Portoferraio
Allegato(i)
Tabanus gr. glaucopis - Tabanidae

in Tabanidae


Dati di raccolta: 18.VII.2010 - ITALIA - Toscana - LI, Portoferraio

FORBIX

1

816

22/05/2011, 11:03

Brazz Vedi ultimo messaggio

Vermileonidae - larve
22.IV.2012 - ITALIA - Toscana - SI, Montefollonico
Allegato(i)
Vermileonidae - larve

in Vermileonidae


Dati di raccolta: 22.IV.2012 - ITALIA - Toscana - SI, Montefollonico

elleelle

2

1945

24/04/2012, 10:09

elleelle Vedi ultimo messaggio


Inserisci un link per questa ricerca

Inserisci un link per questa ricerca URL
BBCode
HTML
Vai a: