Benvenuto Ospite

Forum Entomologi Italiani

www.entomologiitaliani.net/forum
 
Oggi è 23/03/2026, 19:51

Tutti gli orari sono UTC + 1 ora [ ora legale ]

Filtro località

Filtro località

In questo pannello è possibile effettuare delle ricerche mirate in base alle località inserite nel forum.

Statistiche

Statistiche
In totale ci sono 90013 taxa:
- 86070 taxa con dati completi
- 2738 taxa con dati parziali, riconducibili ad un paese
- 1205 taxa con dati incompleti


escludi dalla ricerca i subforum
Distribuzione in Europa
Distribuzione in Italia
Filtro applicato: SPAGNA

Pagina 1 di 1 [ 2 messaggi ]

# A B C D E F G H I J K L M N O P Q R S T U V W X Y Z
 Argomenti   Autore   Risposte   Visite    Ultimo messaggio 
Allegato(i)
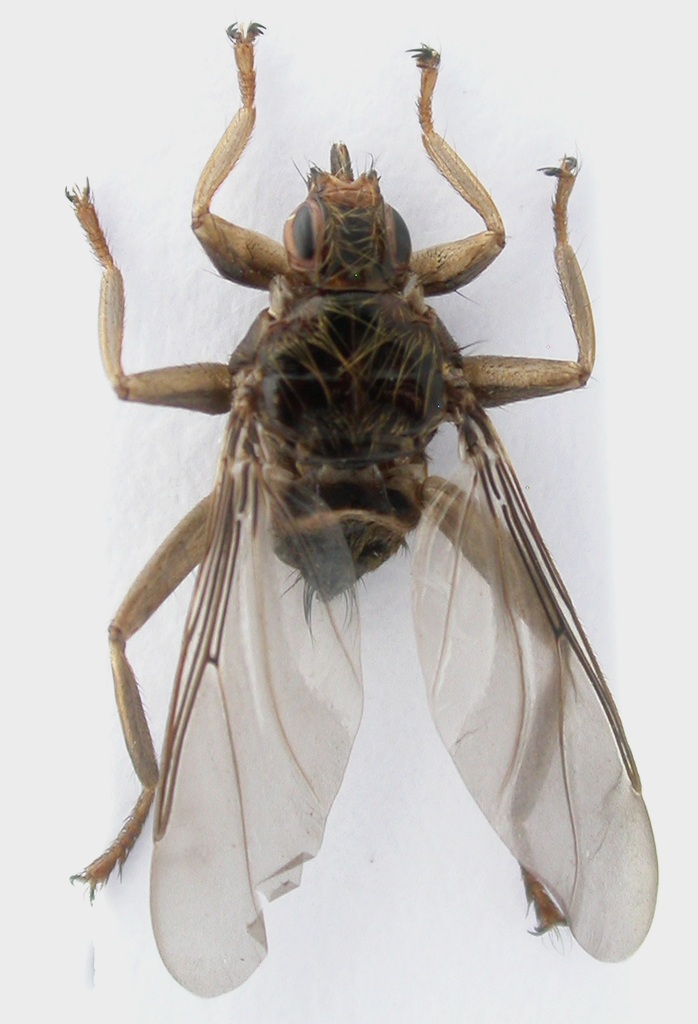
Crataerina pallida (Olivier in Latreille 1811) - Hippoboscidae

in Hippoboscidae


Dati di raccolta: 16.V.2014 - SPAGNA - EE, Segovia

Olaffio

2

1508

07/07/2015, 23:04

Olaffio Vedi ultimo messaggio

Pseudolynchia sp. - Hippoboscidae Ornithomyinae
2.VIII.2016 - SPAGNA - EE, Catalogna, Barcellona, promontorio di Montjuïc, R. Rattu leg.
Allegato(i)
Pseudolynchia sp. - Hippoboscidae Ornithomyinae

in Hippoboscidae


Dati di raccolta: 2.VIII.2016 - SPAGNA - EE, Catalogna, Barcellona, promontorio di Montjuïc, R. Rattu leg.

Fumea crassiorella

0

1267

15/08/2016, 12:53

Fumea crassiorella Vedi ultimo messaggio


Inserisci un link per questa ricerca

Inserisci un link per questa ricerca URL
BBCode
HTML
Vai a: