Benvenuto Ospite

Forum Entomologi Italiani

www.entomologiitaliani.net/forum
 
Oggi è 26/05/2026, 20:58

Tutti gli orari sono UTC + 1 ora [ ora legale ]

Filtro località

Filtro località

In questo pannello è possibile effettuare delle ricerche mirate in base alle località inserite nel forum.

Statistiche

Statistiche
In totale ci sono 90209 taxa:
- 86263 taxa con dati completi
- 2741 taxa con dati parziali, riconducibili ad un paese
- 1205 taxa con dati incompleti


escludi dalla ricerca i subforum
Distribuzione in Europa
Distribuzione in Italia
Filtro applicato: GABON

Pagina 1 di 1 [ 3 messaggi ]

# A B C D E F G H I J K L M N O P Q R S T U V W X Y Z
 Argomenti   Autore   Risposte   Visite    Ultimo messaggio 
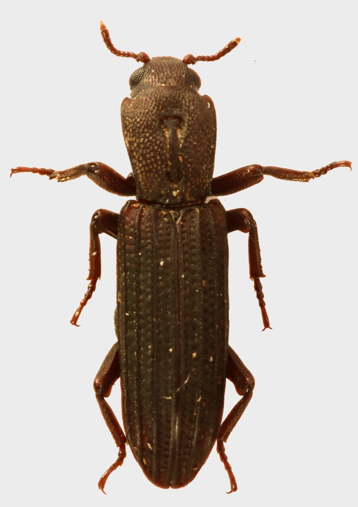
Ogmoderes sculpticollis (Thomson, 1858) - Bothrideridae
XII.2013 - GABON - EE, NE Gabon, Ogoouè Ivindo, Mt. Sassamongo, Batouala, S. Biondi leg.
Allegato(i)
Ogmoderes sculpticollis (Thomson, 1858) - Bothrideridae

in Bothrideridae


Dati di raccolta: XII.2013 - GABON - EE, NE Gabon, Ogoouè Ivindo, Mt. Sassamongo, Batouala, S. Biondi leg.

Apoderus

7

2454

10/02/2014, 13:33

Apoderus Vedi ultimo messaggio

Ogmoderes sp. - Bothrideridae (Gabon)
XII.2013 - GABON - EE, NE Gabon, Parc Nat. Ivindo, Ipassa - S. Biondi leg.
Allegato(i)
Ogmoderes sp. - Bothrideridae (Gabon)

in Bothrideridae


Dati di raccolta: XII.2013 - GABON - EE, NE Gabon, Parc Nat. Ivindo, Ipassa - S. Biondi leg.

Apoderus

3

1404

10/02/2014, 23:23

Gianfranco Vedi ultimo messaggio

Ogmoderes sp. - Bothrideridae (Gabon)
XII.2013 - GABON - EE, NE Gabon, Parc Nat. Ivindo, Ipassa - S. Biondi leg.
Allegato(i)
Ogmoderes sp. - Bothrideridae (Gabon)

in Bothrideridae


Dati di raccolta: XII.2013 - GABON - EE, NE Gabon, Parc Nat. Ivindo, Ipassa - S. Biondi leg.

Apoderus

1

1078

11/02/2014, 0:21

Gianfranco Vedi ultimo messaggio


Inserisci un link per questa ricerca

Inserisci un link per questa ricerca URL
BBCode
HTML
Vai a: