Benvenuto Ospite

Forum Entomologi Italiani

www.entomologiitaliani.net/forum
 
Oggi è 17/03/2026, 11:47

Tutti gli orari sono UTC + 1 ora [ ora legale ]

Filtro località

Filtro località

In questo pannello è possibile effettuare delle ricerche mirate in base alle località inserite nel forum.

Statistiche

Statistiche
In totale ci sono 89990 taxa:
- 86047 taxa con dati completi
- 2738 taxa con dati parziali, riconducibili ad un paese
- 1205 taxa con dati incompleti


escludi dalla ricerca i subforum
Distribuzione in Europa
Distribuzione in Italia
Filtro applicato: PAPUA NUOVA GUINEA

Pagina 1 di 5 [ 73 messaggi ]

# A B C D E F G H I J K L M N O P Q R S T U V W X Y Z
 Argomenti   Autore   Risposte   Visite    Ultimo messaggio 
Agrilus (Pinarinus) opulentus Kerremans, 1900 (cf.) - Buprestidae
VII.1944 - PAPUA NUOVA GUINEA - EE, Dobodura
Allegato(i)
Agrilus (Pinarinus) opulentus Kerremans, 1900 (cf.) - Buprestidae

in Buprestoidea


Dati di raccolta: VII.1944 - PAPUA NUOVA GUINEA - EE, Dobodura

Isidro

4

1917

23/08/2019, 20:59

Paradomorphus Vedi ultimo messaggio

Batocera browni Bates, 1877
PAPUA NUOVA GUINEA - EE, Herbertshohe (Kokopo), New Britain, Bismarck islands
Allegato(i)
Batocera browni Bates, 1877

in Cerambycidae


Dati di raccolta: PAPUA NUOVA GUINEA - EE, Herbertshohe (Kokopo), New Britain, Bismarck islands

Carlo A.

0

1226

21/02/2016, 18:15

Carlo A. Vedi ultimo messaggio

Batocera incospicua var. germanica van Der Poll, 1890 - Cerambycidae
III.1984 - PAPUA NUOVA GUINEA - EE, Buin, 500’, North Solomons Province, Bougainville Island
Allegato(i)
Batocera incospicua var. germanica van Der Poll, 1890 - Cerambycidae

in Cerambycidae


Dati di raccolta: III.1984 - PAPUA NUOVA GUINEA - EE, Buin, 500’, North Solomons Province, Bougainville Island

Batocerino

3

1577

13/04/2020, 22:06

Batocerino Vedi ultimo messaggio

Batocera matzdorffi Kriesche, 1915 (cf.) - Cerambycidae
XI.2019 - PAPUA NUOVA GUINEA - EE, Usino village, Madang province
Allegato(i)
Batocera matzdorffi Kriesche, 1915 (cf.) - Cerambycidae

in Cerambycidae


Dati di raccolta: XI.2019 - PAPUA NUOVA GUINEA - EE, Usino village, Madang province

Batocerino

2

1001

10/12/2020, 2:38

Batocerino Vedi ultimo messaggio

Allegato(i)
Batocera wallacei Thomson, 1858 - Cerambycidae

in Cerambycidae


Dati di raccolta: PAPUA NUOVA GUINEA - EE

StagBeetle

4

1661

21/09/2011, 15:25

Umbro Vedi ultimo messaggio

Calodema ribbei van de Poll, 1885 - Buprestidae - Papua New Guinea
3.II.1999 - PAPUA NUOVA GUINEA - EE, Morobe
Allegato(i)
Calodema ribbei van de Poll, 1885 - Buprestidae - Papua New Guinea

in Buprestoidea


Dati di raccolta: 3.II.1999 - PAPUA NUOVA GUINEA - EE, Morobe

Julodis

10

2750

01/10/2010, 22:12

Julodis Vedi ultimo messaggio

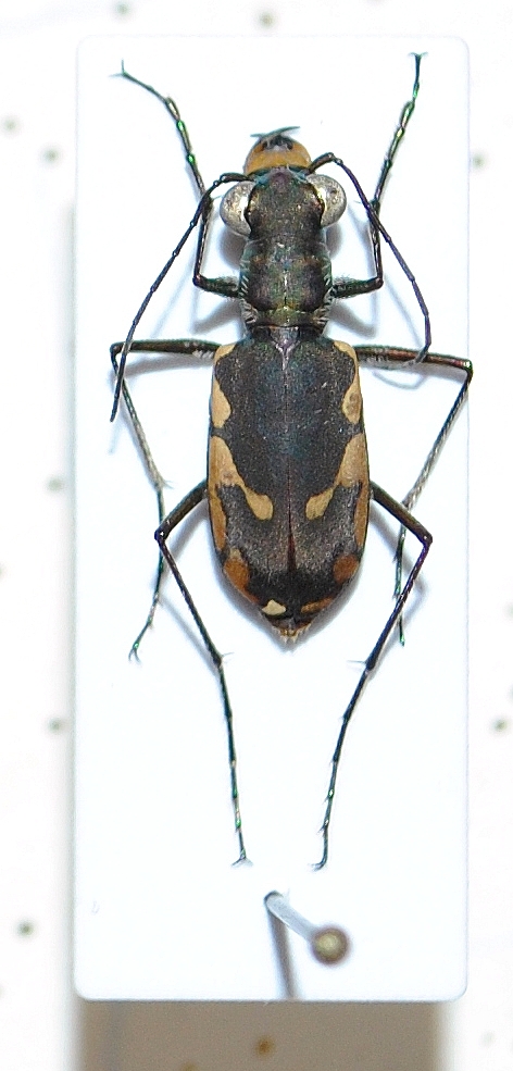
Calomera durvillei (Dejean, 1831) ? - Carabidae Cicindelinae
2.III.2007 - PAPUA NUOVA GUINEA - EE, Manokwari, Ranslki
Allegato(i)
Calomera durvillei (Dejean, 1831) ? - Carabidae Cicindelinae

in Carabidae


Dati di raccolta: 2.III.2007 - PAPUA NUOVA GUINEA - EE, Manokwari, Ranslki

zdeno

0

791

17/08/2011, 21:41

zdeno Vedi ultimo messaggio

Carphurus sp (cf.) - Malachiidae
12.XI.2019 - PAPUA NUOVA GUINEA - EE, Arfak - Anggi
Allegato(i)
Carphurus sp (cf.) - Malachiidae

in Malachiidae


Dati di raccolta: 12.XI.2019 - PAPUA NUOVA GUINEA - EE, Arfak - Anggi

Loriscola

2

2773

08/03/2020, 17:14

gabrif Vedi ultimo messaggio

Carphurus sp. - Malachiidae
12.XI.2019 - PAPUA NUOVA GUINEA - EE, Arfak - Anggi
Allegato(i)
Carphurus sp. - Malachiidae

in Malachiidae


Dati di raccolta: 12.XI.2019 - PAPUA NUOVA GUINEA - EE, Arfak - Anggi

Loriscola

5

3429

08/03/2020, 17:44

Carlo A. Vedi ultimo messaggio

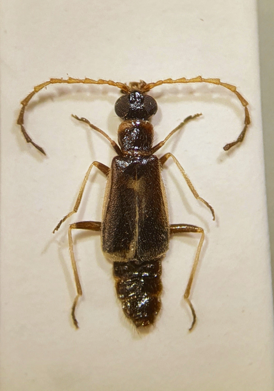
Catascopus (Catascopus) dalbertisi Straneo, 1943 cfr. - Carabidae
2.I.2015 - PAPUA NUOVA GUINEA - EE, Papua, Yaperi, leg. C. Casadio leg.
Allegato(i)
Catascopus (Catascopus) dalbertisi Straneo, 1943 cfr. - Carabidae

in Carabidae


Dati di raccolta: 2.I.2015 - PAPUA NUOVA GUINEA - EE, Papua, Yaperi, leg. C. Casadio leg.

Notoxus59

6

1943

01/05/2020, 12:02

Notoxus59 Vedi ultimo messaggio

Allegato(i)
Collezione di lepidotteri esotici Alfredo Buonocore - 5. Battus philenor (Linnaeus, 1771) - Papilionidae

in Papilionidae


Dati di raccolta: PAPUA NUOVA GUINEA - EE

Velvet Ant

1

1409

16/05/2016, 0:18

Maurizio Bollino Vedi ultimo messaggio

Allegato(i)
Collezione di lepidotteri esotici Alfredo Buonocore - 8. Arisbe gr. eurypylus - Papilionidae

in Papilionidae


Dati di raccolta: PAPUA NUOVA GUINEA - EE

Velvet Ant

1

1281

16/05/2016, 0:27

Maurizio Bollino Vedi ultimo messaggio

Cyclommathus pulchellus Möllenkamp, 1900 - Lucanidae
19.I.2001 - PAPUA NUOVA GUINEA - EE, Kapiro village, Morobe prov.
Allegato(i)
Cyclommathus pulchellus Möllenkamp, 1900 - Lucanidae

in Lucanidae


Dati di raccolta: 19.I.2001 - PAPUA NUOVA GUINEA - EE, Kapiro village, Morobe prov.

StagBeetle

0

1048

09/01/2012, 15:18

StagBeetle Vedi ultimo messaggio

Cyclommathus pulchellus Möllenkamp, 1900 - Lucanidae
II.2000 - PAPUA NUOVA GUINEA - EE, Morobe, Wau
Allegato(i)
Cyclommathus pulchellus Möllenkamp, 1900 - Lucanidae

in Lucanidae


Dati di raccolta: II.2000 - PAPUA NUOVA GUINEA - EE, Morobe, Wau

StagBeetle

1

628

04/10/2022, 16:24

Honza Vedi ultimo messaggio

Cyclommatus imperator imperator Boileau, 1905 - Lucanidae
23.I.2003 - PAPUA NUOVA GUINEA - EE, West Highlands
Allegato(i)
Cyclommatus imperator imperator Boileau, 1905 - Lucanidae

in Lucanidae


Dati di raccolta: 23.I.2003 - PAPUA NUOVA GUINEA - EE, West Highlands

Ric

6

2055

11/01/2012, 22:45

Lucanus tetraodon Vedi ultimo messaggio



Inserisci un link per questa ricerca

Inserisci un link per questa ricerca URL
BBCode
HTML
Vai a: