Statistiche |
 |
In totale ci sono 90132 taxa:
- 86187 taxa con dati completi
- 2740 taxa con dati parziali, riconducibili ad un paese
- 1205 taxa con dati incompleti
|
|
|
|
|
| Argomenti |
Autore |
Risposte |
Visite |
Ultimo messaggio |
|
Allocotocerus sp. - Hydrophilidae
in Hydrophilidae
Dati di raccolta: 6.XI.2011 - TIMOR EST - EE, Mt. Mundo Perdido
|
cosmln |
8 |
2431 |
12/12/2011, 14:50
Julodis
|
|
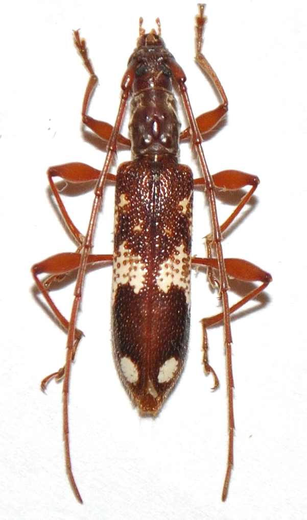
Anomophysis alfura (Lansberge, 1884) - Cerambycidae Prioninae (Timor)
in Cerambycidae
Dati di raccolta: 11.XI.2011 - TIMOR EST - EE, 4km S Maubisse, 1300m
|
zdeno |
6 |
2646 |
04/01/2012, 23:34
zdeno
|
|
Basitropis sp. - Anthribidae
in Anthribidae
Dati di raccolta: 7.XI.2011 - TIMOR EST - EE, Sucucotolau: Laulara: 820 m - Det. Miloš Trýzna, 2012
|
cosmln |
2 |
1414 |
31/10/2012, 15:18
Umbro
|
|
Cardanus sulcithorax (Perty, 1831) - Lucanidae
in Lucanidae
Dati di raccolta: 3.XI.2011 - TIMOR EST - EE, Sucucotolau: Laulara: 960 m
|
cosmln |
5 |
1957 |
11/12/2011, 18:09
cosmln
|
|
Chrysomelidae Chrysomelinae - Timor Est
in Chrysomelidae
Dati di raccolta: 8.XI.2011 - TIMOR EST - EE, Hato Builico, Ramelau Mts, 1950m
|
zdeno |
5 |
1866 |
26/11/2011, 14:02
Anillus
|
|
Chrysomelidae Galerucinae sp-
in Chrysomelidae indeterminati
Dati di raccolta: 8.XI.2011 - TIMOR EST - EE, Hato Builico, Ramelau Mts, 1950m
|
zdeno |
7 |
2513 |
25/11/2011, 17:40
Lech Borowiec
|
|
Clinteria forbesi Janson, 1885 - Cetoniidae
in Cetoniidae
Dati di raccolta: 8.XI.2011 - TIMOR EST - EE, Hato Builico, Ramelau Mts, 1950m
|
zdeno |
7 |
2798 |
19/07/2017, 0:04
Glaphyrus
|
Coccinela ?
8.XI.2011 - TIMOR EST - EE, Hato Builico, Ramelau Mts, 2460m
|
Coccinela ?
in Discussioni non ancora inserite nei forum sistematici
Dati di raccolta: 8.XI.2011 - TIMOR EST - EE, Hato Builico, Ramelau Mts, 2460m
|
zdeno |
1 |
1028 |
24/11/2011, 23:27
fabio.aste
|
|
Coptocercus biguttatus (Donovan, 1805) (cf.) - Cerambycidae
in Cerambycidae
Dati di raccolta: 8.XI.2011 - TIMOR EST - EE, Hato Builico, Ramelau Mts, 1950m
|
zdeno |
6 |
2369 |
30/11/2011, 12:03
Anillus
|
Curculionidae
8.XI.2011 - TIMOR EST - EE, Hato Builico, Ramelau Mts, 2460m
|
Curculionidae
in Curculionidae
Dati di raccolta: 8.XI.2011 - TIMOR EST - EE, Hato Builico, Ramelau Mts, 2460m
|
zdeno |
0 |
763 |
26/11/2011, 23:02
zdeno
|
|
Dineutus sp. - Gyrinidae (Timor #06)
in Gyrinidae
Dati di raccolta: 8.XI.2011 - TIMOR EST - EE, Hato Builico, 1950 m
|
cosmln |
12 |
5794 |
14/10/2012, 20:35
Mimmo011
|
|
Ectocemus decemmaculatus (Montrouzier, 1855) (cf.) - Brentidae - Timor Est
in Brentidae
Dati di raccolta: 3.XI.2011 - TIMOR EST - EE, Laulara distr., Sucucotolau, 960m
|
zdeno |
9 |
3890 |
05/12/2017, 22:11
Carlo A.
|
Melolonthidae ?
8.XI.2011 - TIMOR EST - EE, Hato Builico, Ramelau Mts, 1950m
|
Melolonthidae ?
in Discussioni non ancora inserite nei forum sistematici
Dati di raccolta: 8.XI.2011 - TIMOR EST - EE, Hato Builico, Ramelau Mts, 1950m
|
zdeno |
4 |
1486 |
01/12/2011, 12:37
cosmln
|
|
Mutillidae Sphaerophthalminae - Timor Est
in Mutillidae
Dati di raccolta: 8.XI.2011 - TIMOR EST - EE, Hato Builico, Ramelau Mts, 2780m
|
zdeno |
2 |
1300 |
26/11/2011, 11:55
zdeno
|
|
Paederus sp. - Staphylinidae Paederinae
in Staphylinidae indeterminati
Dati di raccolta: 8.XI.2011 - TIMOR EST - EE, Hato Builico, 1950 m
|
cosmln |
1 |
1023 |
25/07/2023, 1:10
Lorenzo Locati
|
|