Benvenuto Ospite

Forum Entomologi Italiani

www.entomologiitaliani.net/forum
 
Oggi è 26/02/2026, 12:54

Tutti gli orari sono UTC + 1 ora [ ora legale ]

Filtro località

Filtro località

In questo pannello è possibile effettuare delle ricerche mirate in base alle località inserite nel forum.

Statistiche

Statistiche
In totale ci sono 89933 taxa:
- 85990 taxa con dati completi
- 2738 taxa con dati parziali, riconducibili ad un paese
- 1205 taxa con dati incompleti


escludi dalla ricerca i subforum
Distribuzione in Europa
Distribuzione in Italia
Filtro applicato: GABON

Pagina 1 di 1 [ 6 messaggi ]

# A B C D E F G H I J K L M N O P Q R S T U V W X Y Z
 Argomenti   Autore   Risposte   Visite    Ultimo messaggio 
Cardiostichus sp. - Cleridae - Gabon
26.II.2012 - GABON - EE, Segheria in periferia di Makokou presso Badi Badi
Allegato(i)
Cardiostichus sp. - Cleridae - Gabon

in Cleridae


Dati di raccolta: 26.II.2012 - GABON - EE, Segheria in periferia di Makokou presso Badi Badi

Pippistrello

5

1862

26/03/2012, 21:45

Enoplium Vedi ultimo messaggio

Gymnocheilis subfasciata (Thomson, 1858) - Trogossitidae - Gabon
II.2012 - GABON - EE, Makokou, Parc National Ivindo, Ipassa, S. Biondi leg.
Allegato(i)
Gymnocheilis subfasciata (Thomson, 1858) - Trogossitidae - Gabon

[ Vai alla pagina: 1, 2 ]

in Trogossitidae


Dati di raccolta: II.2012 - GABON - EE, Makokou, Parc National Ivindo, Ipassa, S. Biondi leg.

Apoderus

17

4517

07/01/2018, 23:53

Apoderus Vedi ultimo messaggio

Malachiidae Malachiinae - Gabon
XI.2019 - GABON - EE, Parc National des Monts de Cristal, Kinguélé, 19-30.XI.2019, legit D. Sechi
Allegato(i)
Malachiidae Malachiinae - Gabon

in Malachiidae


Dati di raccolta: XI.2019 - GABON - EE, Parc National des Monts de Cristal, Kinguélé, 19-30.XI.2019, legit D. Sechi

Daniele Sechi

1

825

17/08/2020, 15:46

gabrif Vedi ultimo messaggio

Necrobia rufipes (De Geer, 1775) - Cleridae Korynetinae - Gabon
II.2011 - GABON - EE, P.N. Ivindo - Riserva Integrale d'Ipassa
Allegato(i)
Necrobia rufipes (De Geer, 1775) - Cleridae Korynetinae - Gabon

in Cleridae


Dati di raccolta: II.2011 - GABON - EE, P.N. Ivindo - Riserva Integrale d'Ipassa

Maurizio Bollino

7

1408

22/03/2011, 18:56

Enoplium Vedi ultimo messaggio

Paradoxocerus massaronei Zappi, 2018 - Cleridae - Holotypus (con descrizione)
XII.2013 - GABON - EE, GABON, Ogooue' Ivindo, P. N. Ivindo, Station de Recherche d'Ipassa, 500 m, 3-14.XII.2013, C. Massarone leg.
Allegato(i)
Paradoxocerus massaronei Zappi, 2018 - Cleridae - Holotypus (con descrizione)

[ Vai alla pagina: 1, 2 ]

in Cleridae


Dati di raccolta: XII.2013 - GABON - EE, GABON, Ogooue' Ivindo, P. N. Ivindo, Station de Recherche d'Ipassa, 500 m, 3-14.XII.2013, C. Massarone leg.

Enoplium

16

4161

09/06/2018, 1:32

Enoplium Vedi ultimo messaggio

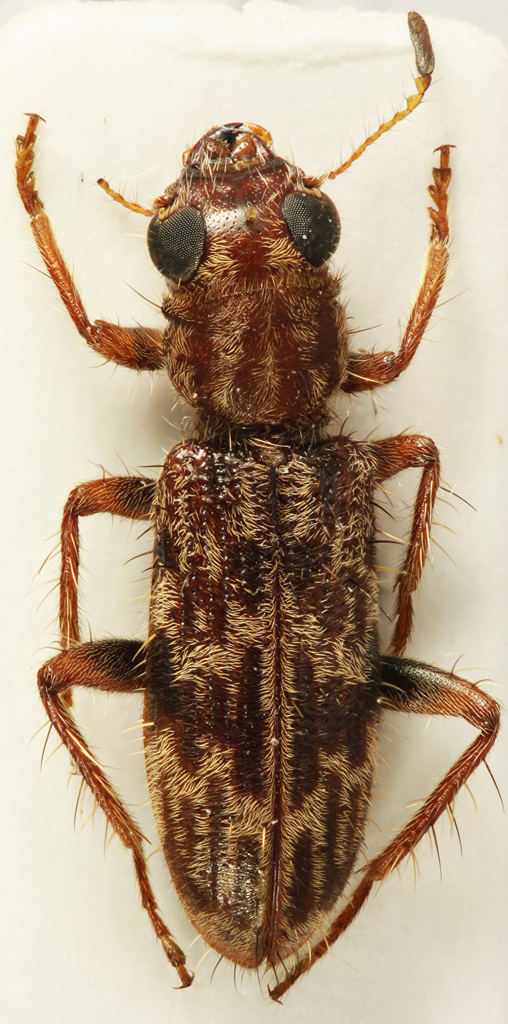
Stigmatium sp. - Cleridae
VI.2016 - GABON - EE, Makokou, Parc Nat. Ivindo, Ipassa, S. Biondi leg.
Allegato(i)
Stigmatium sp. - Cleridae

in Cleridae


Dati di raccolta: VI.2016 - GABON - EE, Makokou, Parc Nat. Ivindo, Ipassa, S. Biondi leg.

Apoderus

3

959

13/07/2016, 14:27

Apoderus Vedi ultimo messaggio


Inserisci un link per questa ricerca

Inserisci un link per questa ricerca URL
BBCode
HTML
Vai a: