Benvenuto Ospite

Forum Entomologi Italiani

www.entomologiitaliani.net/forum
 
Oggi è 21/05/2026, 17:26

Tutti gli orari sono UTC + 1 ora [ ora legale ]

Filtro località

Filtro località

In questo pannello è possibile effettuare delle ricerche mirate in base alle località inserite nel forum.

Statistiche

Statistiche
In totale ci sono 90196 taxa:
- 86250 taxa con dati completi
- 2741 taxa con dati parziali, riconducibili ad un paese
- 1205 taxa con dati incompleti


escludi dalla ricerca i subforum
Distribuzione in Europa
Distribuzione in Italia
Filtro applicato: ITALIA - Emilia-Romagna

Pagina 1 di 4 [ 55 messaggi ]

# A B C D E F G H I J K L M N O P Q R S T U V W X Y Z
 Argomenti   Autore   Risposte   Visite    Ultimo messaggio 
Arocatus melanocephalus (Fabricius, 1798) - Lygaeidae
5.III.2011 - ITALIA - Emilia-Romagna - RE, Villa Aiola, Montecchio Emilia
Allegato(i)
Arocatus melanocephalus (Fabricius, 1798) - Lygaeidae

in Lygaeidae


Dati di raccolta: 5.III.2011 - ITALIA - Emilia-Romagna - RE, Villa Aiola, Montecchio Emilia

Mikiphasmide

4

1464

20/03/2011, 21:34

eremicus Vedi ultimo messaggio

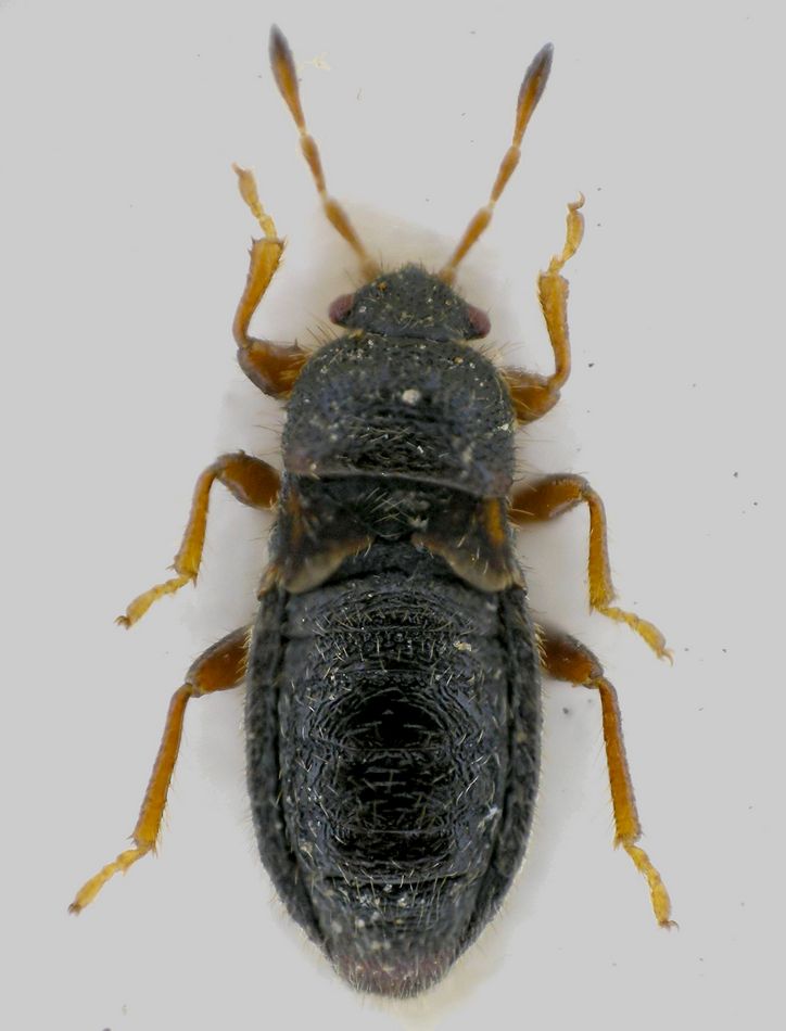
Arocatus melanocephalus (Fabricius, 1798) - Lygaeidae
5.III.2011 - ITALIA - Emilia-Romagna - RE, Villa Aiola, Montecchio Emilia
Allegato(i)
Arocatus melanocephalus (Fabricius, 1798) - Lygaeidae

in Lygaeidae


Dati di raccolta: 5.III.2011 - ITALIA - Emilia-Romagna - RE, Villa Aiola, Montecchio Emilia

Mikiphasmide

8

2102

21/03/2011, 21:28

Andricus Vedi ultimo messaggio

Beosus quadripunctatus (Muller, 1766) - Lygaeidae
17.III.2012 - ITALIA - Emilia-Romagna - RE, Villa Aiola - Montecchio Emilia
Allegato(i)
Beosus quadripunctatus (Muller, 1766) - Lygaeidae

in Lygaeidae


Dati di raccolta: 17.III.2012 - ITALIA - Emilia-Romagna - RE, Villa Aiola - Montecchio Emilia

Mikiphasmide

2

991

20/03/2012, 23:18

Mikiphasmide Vedi ultimo messaggio

Beosus quadripunctatus (Muller, 1766) - Lygaeidae
30.IV.2016 - ITALIA - Emilia-Romagna - RA, dint. di Pietramora, 450 m
Allegato(i)
Beosus quadripunctatus (Muller, 1766) - Lygaeidae

in Lygaeidae


Dati di raccolta: 30.IV.2016 - ITALIA - Emilia-Romagna - RA, dint. di Pietramora, 450 m

Chalybion

2

1175

17/05/2016, 7:38

Chalybion Vedi ultimo messaggio

Brachyplax tenuis (Mulsant & Rey, 1852) - Lygaeide
1.VII.1988 - ITALIA - Emilia-Romagna - BO, Via Cesare Battaglia - leg. G. L. Agnoli
Allegato(i)
Brachyplax tenuis (Mulsant & Rey, 1852) - Lygaeide

in Lygaeidae


Dati di raccolta: 1.VII.1988 - ITALIA - Emilia-Romagna - BO, Via Cesare Battaglia - leg. G. L. Agnoli

Palaemonetes

2

1131

24/12/2020, 13:49

Palaemonetes Vedi ultimo messaggio

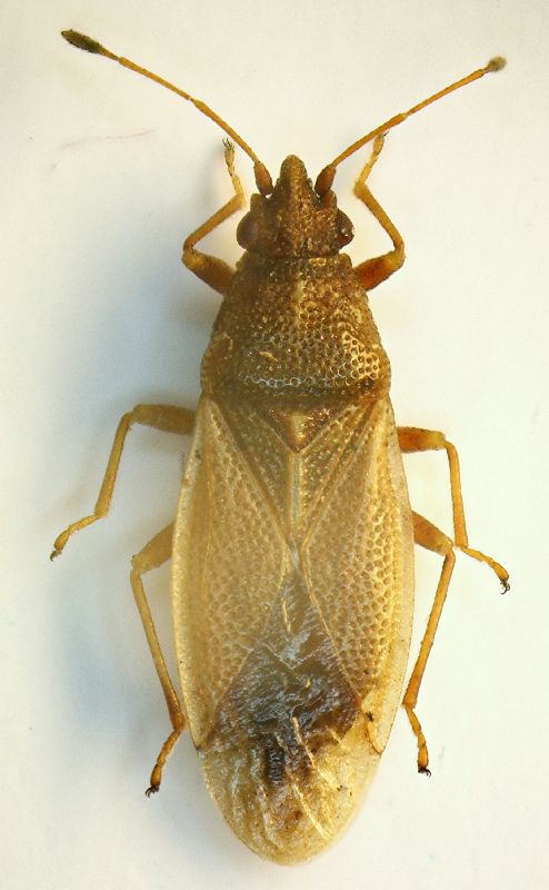
che insetto è?
18.V.2013 - ITALIA - Emilia-Romagna - FE, lido di Pomposa
Allegato(i)
che insetto è?

in Lygaeidae


Dati di raccolta: 18.V.2013 - ITALIA - Emilia-Romagna - FE, lido di Pomposa

gigicroce

5

1624

20/05/2013, 11:37

Mauro Vedi ultimo messaggio

Cymus sp. - Lygaeidae
IV.2010 - ITALIA - Emilia-Romagna - BO, Sasso Marconi - Palazzo Rossi
Allegato(i)
Cymus sp. - Lygaeidae

in Lygaeidae


Dati di raccolta: IV.2010 - ITALIA - Emilia-Romagna - BO, Sasso Marconi - Palazzo Rossi

Loriscola

2

793

20/04/2010, 0:12

marsal Vedi ultimo messaggio

Dimorphopterus doriae (Ferrari, 1874) - Lygaeidae
26.II.2011 - ITALIA - Emilia-Romagna - BO, Sasso Marconi - Palazzo Rossi
Allegato(i)
Dimorphopterus doriae (Ferrari, 1874) - Lygaeidae

in Lygaeidae


Dati di raccolta: 26.II.2011 - ITALIA - Emilia-Romagna - BO, Sasso Marconi - Palazzo Rossi

Loriscola

3

1204

15/03/2011, 16:06

Loriscola Vedi ultimo messaggio

Dimorphopterus doriae (Ferrari, 1874) ♂ - Lygaeidae
11.IV.2010 - ITALIA - Emilia-Romagna - BO, Casalfiumanese, 300m., Leg. A. Degiovanni
Allegato(i)
Dimorphopterus doriae (Ferrari, 1874) ♂ - Lygaeidae

in Lygaeidae


Dati di raccolta: 11.IV.2010 - ITALIA - Emilia-Romagna - BO, Casalfiumanese, 300m., Leg. A. Degiovanni

Notoxus59

2

862

13/04/2010, 20:16

Notoxus59 Vedi ultimo messaggio

Drymus (Sylvadrymus) brunneus brunneus (R.F. Sahlberg 1848) - Lygaeidae
IV.2010 - ITALIA - Emilia-Romagna - BO, Sasso Marconi (BO) - Palazzo Rossi
Allegato(i)
Drymus (Sylvadrymus) brunneus brunneus (R.F. Sahlberg 1848) - Lygaeidae

in Lygaeidae


Dati di raccolta: IV.2010 - ITALIA - Emilia-Romagna - BO, Sasso Marconi (BO) - Palazzo Rossi

Loriscola

1

859

04/01/2011, 3:22

Dioli Vedi ultimo messaggio

Emblethis denticollis Horvath, 1878 - Lygeidae
15.VI.2019 - ITALIA - Emilia-Romagna - RA, Mezzano, ZPS
Allegato(i)
Emblethis denticollis Horvath, 1878 - Lygeidae

in Lygaeidae


Dati di raccolta: 15.VI.2019 - ITALIA - Emilia-Romagna - RA, Mezzano, ZPS

Chalybion

9

2618

06/12/2019, 15:32

Chalybion Vedi ultimo messaggio

Emblethis sp. (cf.) - Lygaeidae
3.XII.2011 - ITALIA - Emilia-Romagna - BO, Sasso Marconi - Rio Conco
Allegato(i)
Emblethis sp. (cf.) - Lygaeidae

in Lygaeidae


Dati di raccolta: 3.XII.2011 - ITALIA - Emilia-Romagna - BO, Sasso Marconi - Rio Conco

Loriscola

1

2152

09/12/2011, 13:28

FORBIX Vedi ultimo messaggio

Eremocoris podagricus (Fabricius, 1775) - Lygaeidae - Sasso Marconi (BO)
20.III.2010 - ITALIA - Emilia-Romagna - BO, Sasso Marconi - Palazzo Rossi
Allegato(i)
Eremocoris podagricus (Fabricius, 1775) - Lygaeidae - Sasso Marconi (BO)

in Lygaeidae


Dati di raccolta: 20.III.2010 - ITALIA - Emilia-Romagna - BO, Sasso Marconi - Palazzo Rossi

Loriscola

1

715

13/04/2010, 19:22

eremicus Vedi ultimo messaggio

Eremocoris podagricus (Fabricius, 1775) (cf.) - Lygaeidae
19.IV.2020 - ITALIA - Emilia-Romagna - BO, san giovanni in persiceto
Allegato(i)
Eremocoris podagricus (Fabricius, 1775) (cf.) - Lygaeidae

in Lygaeidae


Dati di raccolta: 19.IV.2020 - ITALIA - Emilia-Romagna - BO, san giovanni in persiceto

emmebix

2

1442

27/04/2020, 21:06

emmebix Vedi ultimo messaggio

Gastrodes grossipes grossipes (De Geer, 1773) - Lygaeidae
25.IV.2018 - ITALIA - Emilia-Romagna - BO, Castel d'Aiano - Monte Spe mt. 800
Allegato(i)
Gastrodes grossipes grossipes (De Geer, 1773) - Lygaeidae

in Lygaeidae


Dati di raccolta: 25.IV.2018 - ITALIA - Emilia-Romagna - BO, Castel d'Aiano - Monte Spe mt. 800

Loriscola

3

1528

11/05/2018, 23:49

marsal Vedi ultimo messaggio



Inserisci un link per questa ricerca

Inserisci un link per questa ricerca URL
BBCode
HTML
Vai a: