Benvenuto Ospite

Forum Entomologi Italiani

www.entomologiitaliani.net/forum
 
Oggi è 21/05/2026, 17:28

Tutti gli orari sono UTC + 1 ora [ ora legale ]

Filtro località

Filtro località

In questo pannello è possibile effettuare delle ricerche mirate in base alle località inserite nel forum.

Statistiche

Statistiche
In totale ci sono 90196 taxa:
- 86250 taxa con dati completi
- 2741 taxa con dati parziali, riconducibili ad un paese
- 1205 taxa con dati incompleti


escludi dalla ricerca i subforum
Distribuzione in Europa
Distribuzione in Italia
Filtro applicato: ITALIA - Lombardia

Pagina 1 di 3 [ 39 messaggi ]

# A B C D E F G H I J K L M N O P Q R S T U V W X Y Z
 Argomenti   Autore   Risposte   Visite    Ultimo messaggio 
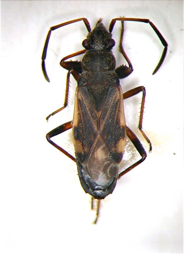
Beosus maritimus (Scopoli, 1763) - Lygaeidae Rhyparochrominae Rhyparochromini
24.VIII.2013 - ITALIA - Lombardia - BG, Treviglio, 125m slm, orto in città
Allegato(i)
Beosus maritimus (Scopoli, 1763) - Lygaeidae Rhyparochrominae Rhyparochromini

in Lygaeidae


Dati di raccolta: 24.VIII.2013 - ITALIA - Lombardia - BG, Treviglio, 125m slm, orto in città

nicoletta

2

1214

02/10/2013, 8:27

nicoletta Vedi ultimo messaggio

Beosus quadripunctatus (Muller, 1766) - Lygaeidae
25.IV.2018 - ITALIA - Lombardia - BG, rive fiume Serio
Allegato(i)
Beosus quadripunctatus (Muller, 1766) - Lygaeidae

in Lygaeidae


Dati di raccolta: 25.IV.2018 - ITALIA - Lombardia - BG, rive fiume Serio

Giuseppe Zanetti

1

1161

30/04/2018, 21:19

Isidro Vedi ultimo messaggio

Drymus sp. - Lygaeidae
5.IX.2014 - ITALIA - Lombardia - CO
Allegato(i)
Drymus sp. - Lygaeidae

in Lygaeidae


Dati di raccolta: 5.IX.2014 - ITALIA - Lombardia - CO

fasmidi

3

1519

14/09/2014, 8:21

fasmidi Vedi ultimo messaggio

Eremocoris podagricus (Fabricius, 1775) - Lygaeidae
10.XI.2012 - ITALIA - Lombardia - BS, Capriano del Colle, Bosco delle Colombere
Allegato(i)
Eremocoris podagricus (Fabricius, 1775) - Lygaeidae

in Lygaeidae


Dati di raccolta: 10.XI.2012 - ITALIA - Lombardia - BS, Capriano del Colle, Bosco delle Colombere

Livio

4

933

08/01/2013, 19:30

Livio Vedi ultimo messaggio

Eremocoris podagricus (Fabricius, 1775) - Lygaeidae
14.X.2012 - ITALIA - Lombardia - BS, Capriano del Colle
Allegato(i)
Eremocoris podagricus (Fabricius, 1775) - Lygaeidae

in Lygaeidae


Dati di raccolta: 14.X.2012 - ITALIA - Lombardia - BS, Capriano del Colle

Livio

4

1273

20/03/2013, 21:07

Livio Vedi ultimo messaggio

Geocoris (Geocoris) megacephalus (Rossi, 1790) - Lygaeidae
17.IV.2018 - ITALIA - Lombardia - CR, Ariadello Soresina
Allegato(i)
Geocoris (Geocoris) megacephalus (Rossi, 1790) - Lygaeidae

in Lygaeidae


Dati di raccolta: 17.IV.2018 - ITALIA - Lombardia - CR, Ariadello Soresina

Adriana49

3

1470

24/06/2018, 23:37

marsal Vedi ultimo messaggio

Geocoris (Piocoris) erythrocephala (Le Peletier & Serville, 1825) - Lygaeidae
15.IV.2022 - ITALIA - Lombardia - MI, Abbiategrasso
Allegato(i)
Geocoris (Piocoris) erythrocephala (Le Peletier & Serville, 1825) - Lygaeidae

in Lygaeidae


Dati di raccolta: 15.IV.2022 - ITALIA - Lombardia - MI, Abbiategrasso

fasmidi

2

943

22/04/2022, 20:17

fasmidi Vedi ultimo messaggio

Ischnodemus quadratus Fieber, 1837 - Lygaeidae
9.II.2013 - ITALIA - Lombardia - BS, Capriano del Colle, Loc. Laghetti
Allegato(i)
Ischnodemus quadratus Fieber, 1837 - Lygaeidae

in Lygaeidae


Dati di raccolta: 9.II.2013 - ITALIA - Lombardia - BS, Capriano del Colle, Loc. Laghetti

Livio

2

700

11/02/2013, 10:29

Livio Vedi ultimo messaggio

Kleidocerys ericae (Horváth, 1908) - Lygaeidae
27.IX.2020 - ITALIA - Lombardia - LC, Colle Brianza - loc. Giovenzana
Allegato(i)
Kleidocerys ericae (Horváth, 1908) - Lygaeidae

in Lygaeidae


Dati di raccolta: 27.IX.2020 - ITALIA - Lombardia - LC, Colle Brianza - loc. Giovenzana

silviana

0

627

19/10/2020, 17:42

silviana Vedi ultimo messaggio

Kleidocerys resedae (Panzer, 1797) - Lygaeidae
21.VIII.2012 - ITALIA - Lombardia - BS, Val Camonica
Allegato(i)
Kleidocerys resedae (Panzer, 1797) - Lygaeidae

in Lygaeidae


Dati di raccolta: 21.VIII.2012 - ITALIA - Lombardia - BS, Val Camonica

Palaemonetes

6

1816

02/02/2016, 19:19

Palaemonetes Vedi ultimo messaggio

Kleidocerys resedae (Panzer, 1797) - Lygaeidae
26.V.2019 - ITALIA - Lombardia - BG, Valle Imagna - Passo Pertùs
Allegato(i)
Kleidocerys resedae (Panzer, 1797) - Lygaeidae

in Lygaeidae


Dati di raccolta: 26.V.2019 - ITALIA - Lombardia - BG, Valle Imagna - Passo Pertùs

Adriana49

2

1482

29/03/2020, 16:08

Adriana49 Vedi ultimo messaggio

Ligyrocoris sylvestris (Linnaeus, 1758) - Lygaeidae
14.VIII.2017 - ITALIA - Lombardia - SO, Chiesa in Valmalenco-Lago Palù, 2000 m s.l.m.
Allegato(i)
Ligyrocoris sylvestris (Linnaeus, 1758) - Lygaeidae

in Lygaeidae


Dati di raccolta: 14.VIII.2017 - ITALIA - Lombardia - SO, Chiesa in Valmalenco-Lago Palù, 2000 m s.l.m.

marsal

0

817

23/10/2017, 23:39

marsal Vedi ultimo messaggio

Lygaeus equestris (Linnaeus, 1758) - Lygaeidae
21.VI.2015 - ITALIA - Lombardia - LC, Monte San Martino - Lecco
Allegato(i)
Lygaeus equestris (Linnaeus, 1758) - Lygaeidae

in Lygaeidae


Dati di raccolta: 21.VI.2015 - ITALIA - Lombardia - LC, Monte San Martino - Lecco

michelebutta

3

1004

26/06/2015, 12:43

Baris99 Vedi ultimo messaggio

Lygaeus equestris (Linnaeus, 1758) (cf.) - Lygaeidae
3.V.2009 - ITALIA - Lombardia - SO, Berbenno Valtellina (Loc. Valgel de Foppa)
Allegato(i)
Lygaeus equestris (Linnaeus, 1758) (cf.) - Lygaeidae

in Lygaeidae


Dati di raccolta: 3.V.2009 - ITALIA - Lombardia - SO, Berbenno Valtellina (Loc. Valgel de Foppa)

Luciano Menghi

1

817

19/05/2011, 15:32

clido Vedi ultimo messaggio

Megalonotus emarginatus (Rey, 1888) - Lygaeidae
14.IX.2012 - ITALIA - Lombardia - BS, Capriano del Colle, Loc. Laghetti
Allegato(i)
Megalonotus emarginatus (Rey, 1888) - Lygaeidae

in Lygaeidae


Dati di raccolta: 14.IX.2012 - ITALIA - Lombardia - BS, Capriano del Colle, Loc. Laghetti

Livio

2

657

08/01/2013, 19:29

Livio Vedi ultimo messaggio



Inserisci un link per questa ricerca

Inserisci un link per questa ricerca URL
BBCode
HTML
Vai a: