Benvenuto Ospite

Forum Entomologi Italiani

www.entomologiitaliani.net/forum
 
Oggi è 21/05/2026, 17:28

Tutti gli orari sono UTC + 1 ora [ ora legale ]

Filtro località

Filtro località

In questo pannello è possibile effettuare delle ricerche mirate in base alle località inserite nel forum.

Statistiche

Statistiche
In totale ci sono 90196 taxa:
- 86250 taxa con dati completi
- 2741 taxa con dati parziali, riconducibili ad un paese
- 1205 taxa con dati incompleti


escludi dalla ricerca i subforum
Distribuzione in Europa
Distribuzione in Italia
Filtro applicato: ITALIA - Marche

Pagina 1 di 3 [ 40 messaggi ]

# A B C D E F G H I J K L M N O P Q R S T U V W X Y Z
 Argomenti   Autore   Risposte   Visite    Ultimo messaggio 
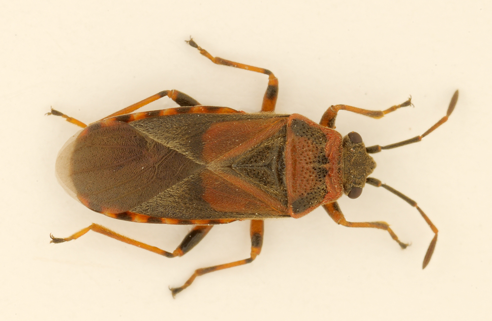
Aphanus rolandri (Linnaeus, 1758) - Lygaeidae
IV.1993 - ITALIA - Marche - PU, Pesaro - Collina Baratoff
Allegato(i)
Aphanus rolandri (Linnaeus, 1758) - Lygaeidae

in Lygaeidae


Dati di raccolta: IV.1993 - ITALIA - Marche - PU, Pesaro - Collina Baratoff

marco paglialunga

1

580

24/02/2010, 20:43

eremicus Vedi ultimo messaggio

Arocatus melanocephalus (Fabricius 1798) - Lygaeidae - Marche
VIII.2010 - ITALIA - Marche - AN, Poggio San Marcello
Allegato(i)
Arocatus melanocephalus (Fabricius 1798) - Lygaeidae - Marche

in Lygaeidae


Dati di raccolta: VIII.2010 - ITALIA - Marche - AN, Poggio San Marcello

giovanni carotti

2

1094

10/12/2010, 20:07

antoEandrea Vedi ultimo messaggio

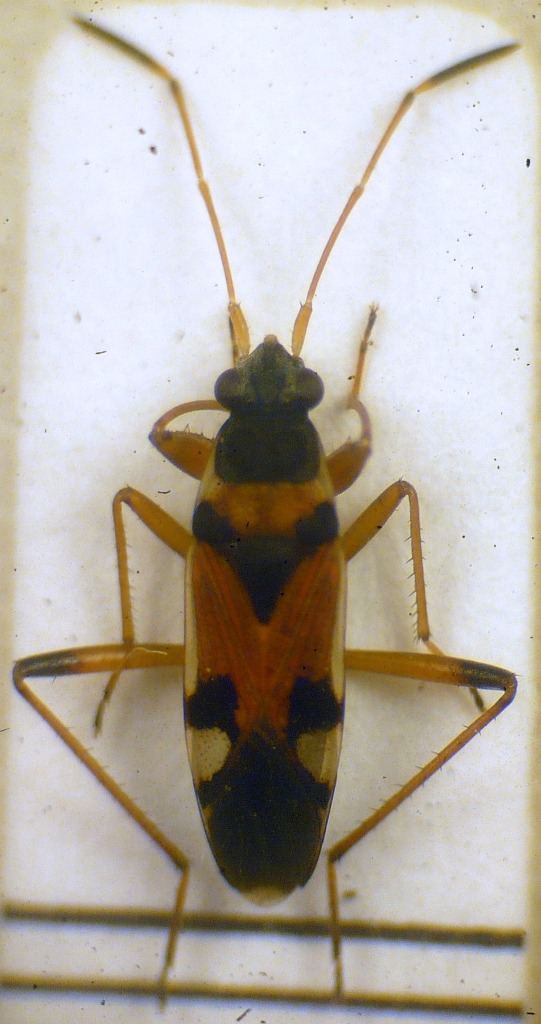
Belonochilus numenius (Say, 1832) - Lygaeidae Orsillinae
26.VI.2012 - ITALIA - Marche - PU, Pesaro, Collina Baratoff
Allegato(i)
Belonochilus numenius (Say, 1832) - Lygaeidae Orsillinae

in Lygaeidae


Dati di raccolta: 26.VI.2012 - ITALIA - Marche - PU, Pesaro, Collina Baratoff

marco paglialunga

2

1436

05/07/2012, 7:30

marco paglialunga Vedi ultimo messaggio

Beosus quadripunctatus (Muller, 1766) - Lygaeidae
9.X.2010 - ITALIA - Marche - PU, Pesaro
Allegato(i)
Beosus quadripunctatus (Muller, 1766) - Lygaeidae

in Lygaeidae


Dati di raccolta: 9.X.2010 - ITALIA - Marche - PU, Pesaro

marco paglialunga

1

843

12/12/2010, 4:00

Dioli Vedi ultimo messaggio

Beosus quadripunctatus (O.F. Müller, 1766) - Lygaeidae
23.IV.2011 - ITALIA - Marche - PU, Pesaro, Collina Baratoff
Allegato(i)
Beosus quadripunctatus (O.F. Müller, 1766) - Lygaeidae

in Lygaeidae


Dati di raccolta: 23.IV.2011 - ITALIA - Marche - PU, Pesaro, Collina Baratoff

marco paglialunga

0

804

27/04/2011, 9:34

marco paglialunga Vedi ultimo messaggio

Eremocoris fenestratus (Herrich-Schäffer, 1839) - Lygaeidae
II.2001 - ITALIA - Marche - PU, Pesaro - Collina Baratoff
Allegato(i)
Eremocoris fenestratus (Herrich-Schäffer, 1839) - Lygaeidae

in Lygaeidae


Dati di raccolta: II.2001 - ITALIA - Marche - PU, Pesaro - Collina Baratoff

marco paglialunga

7

998

24/02/2010, 20:52

eremicus Vedi ultimo messaggio

Eremocoris fenestratus (Herrich-Schäffer, 1839) Lygaeidae ?
31.X.2011 - ITALIA - Marche - PU, Collina Baratoff, Pesaro
Allegato(i)
Eremocoris fenestratus (Herrich-Schäffer, 1839) Lygaeidae ?

in Lygaeidae


Dati di raccolta: 31.X.2011 - ITALIA - Marche - PU, Collina Baratoff, Pesaro

marco paglialunga

0

701

02/12/2011, 8:46

marco paglialunga Vedi ultimo messaggio

Eremocoris podagricus (Fabricius, 1775) - Lygaeidae
11.XI.2012 - ITALIA - Marche - PU, Pesaro, Collina Baratoff
Allegato(i)
Eremocoris podagricus (Fabricius, 1775) - Lygaeidae

in Lygaeidae


Dati di raccolta: 11.XI.2012 - ITALIA - Marche - PU, Pesaro, Collina Baratoff

marco paglialunga

0

737

19/11/2012, 23:47

marco paglialunga Vedi ultimo messaggio

Gastrodes grossipes grossipes (De Geer, 1773) - Lygaeidae
III.1995 - ITALIA - Marche - PU, Pesaro
Allegato(i)
Gastrodes grossipes grossipes (De Geer, 1773) - Lygaeidae

in Lygaeidae


Dati di raccolta: III.1995 - ITALIA - Marche - PU, Pesaro

marco paglialunga

0

670

04/01/2010, 13:21

marco paglialunga Vedi ultimo messaggio

Geocoris (Piocoris) erythrocephalus (Lepeletier & Serville 1825) - Lygaeidae (ninfa)
28.IX.2013 - ITALIA - Marche - PU, Collina Baratoff
Allegato(i)
Geocoris (Piocoris) erythrocephalus (Lepeletier & Serville 1825) - Lygaeidae (ninfa)

in Lygaeidae


Dati di raccolta: 28.IX.2013 - ITALIA - Marche - PU, Collina Baratoff

marco paglialunga

2

1054

02/10/2013, 8:16

marco paglialunga Vedi ultimo messaggio

Geocoris megacephalus (Rossi, 1790) - Lygaeidae
28.IX.2012 - ITALIA - Marche - PU, Pesaro, Collina Baratoff
Allegato(i)
Geocoris megacephalus (Rossi, 1790) - Lygaeidae

in Lygaeidae


Dati di raccolta: 28.IX.2012 - ITALIA - Marche - PU, Pesaro, Collina Baratoff

marco paglialunga

0

581

29/09/2012, 10:02

marco paglialunga Vedi ultimo messaggio

Ischnocoris hemipterus (Schilling, 1829) - Lygaeidae
21.IV.2014 - ITALIA - Marche - PU, Borgo Santa Maria
Allegato(i)
Ischnocoris hemipterus (Schilling, 1829) - Lygaeidae

in Lygaeidae


Dati di raccolta: 21.IV.2014 - ITALIA - Marche - PU, Borgo Santa Maria

marco paglialunga

0

691

23/04/2014, 8:37

marco paglialunga Vedi ultimo messaggio

Ischnodemus quadratus Fieber, 1837 - Lygaeidae
25.IV.2012 - ITALIA - Marche - PU, Parco Miralfiore
Allegato(i)
Ischnodemus quadratus Fieber, 1837 - Lygaeidae

in Lygaeidae


Dati di raccolta: 25.IV.2012 - ITALIA - Marche - PU, Parco Miralfiore

marco paglialunga

0

725

26/04/2012, 21:30

marco paglialunga Vedi ultimo messaggio

Kleidocerys resedae (Panzer, 1797) - Lygaeidae Ischnorhynchinae
8.IX.2012 - ITALIA - Marche - PU, Pesaro, Collina Baratoff
Allegato(i)
Kleidocerys resedae (Panzer, 1797) - Lygaeidae Ischnorhynchinae

in Lygaeidae


Dati di raccolta: 8.IX.2012 - ITALIA - Marche - PU, Pesaro, Collina Baratoff

marco paglialunga

2

760

12/09/2012, 21:05

marco paglialunga Vedi ultimo messaggio

Lamprodema maura (Fabricius 1803) - Lygaeidae
21.X.2009 - ITALIA - Marche - AN, Palombina, Ancona
Allegato(i)
Lamprodema maura (Fabricius 1803) - Lygaeidae

in Lygaeidae


Dati di raccolta: 21.X.2009 - ITALIA - Marche - AN, Palombina, Ancona

StagBeetle

2

699

29/10/2009, 21:34

StagBeetle Vedi ultimo messaggio



Inserisci un link per questa ricerca

Inserisci un link per questa ricerca URL
BBCode
HTML
Vai a: