Benvenuto Ospite

Forum Entomologi Italiani

www.entomologiitaliani.net/forum
 
Oggi è 22/05/2026, 2:09

Tutti gli orari sono UTC + 1 ora [ ora legale ]

Filtro località

Filtro località

In questo pannello è possibile effettuare delle ricerche mirate in base alle località inserite nel forum.

Statistiche

Statistiche
In totale ci sono 90196 taxa:
- 86250 taxa con dati completi
- 2741 taxa con dati parziali, riconducibili ad un paese
- 1205 taxa con dati incompleti


escludi dalla ricerca i subforum
Distribuzione in Europa
Distribuzione in Italia
Filtro applicato: ITALIA - Umbria

Pagina 1 di 1 [ 4 messaggi ]

# A B C D E F G H I J K L M N O P Q R S T U V W X Y Z
 Argomenti   Autore   Risposte   Visite    Ultimo messaggio 
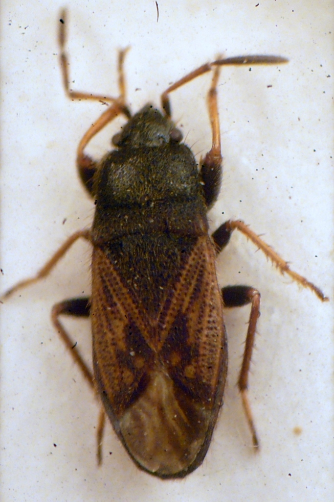
Lasiocoris anomalus (Kolenati, 1845) - Lygaeidae
8.VI.2012 - ITALIA - Umbria - PG, Scheggia e Pascelupo - Loc. Ponte Calcara
Allegato(i)
Lasiocoris anomalus (Kolenati, 1845) - Lygaeidae

in Lygaeidae


Dati di raccolta: 8.VI.2012 - ITALIA - Umbria - PG, Scheggia e Pascelupo - Loc. Ponte Calcara

Maura

3

1058

11/10/2012, 23:44

Maura Vedi ultimo messaggio

Allegato(i)
Lygaeus equestris equestris (Linnaeus, 1758) - Heteroptera, Pentatomorpha, Lygaeoidea, Lygaeidae, Lygaeinae - (PG) Umbria

in Lygaeidae


Dati di raccolta: 9.X.2010 - ITALIA - Umbria - PG, Assisi, Santa Maria degli Angeli

lillo

2

970

10/10/2010, 20:38

lillo Vedi ultimo messaggio

Lygaeus sp. (cf.) - Lygaeidae
16.VII.2019 - ITALIA - Umbria - PG, Trevi
Allegato(i)
Lygaeus sp. (cf.) - Lygaeidae

in Lygaeidae


Dati di raccolta: 16.VII.2019 - ITALIA - Umbria - PG, Trevi

Syrio

2

1436

09/08/2019, 12:53

Mauro Vedi ultimo messaggio

Megalonotus sabulicola (Thomson, 1870) - Lygaeidae
V.1993 - ITALIA - Umbria - PG, Pian di Massiano
Allegato(i)
Megalonotus sabulicola (Thomson, 1870) - Lygaeidae

in Lygaeidae


Dati di raccolta: V.1993 - ITALIA - Umbria - PG, Pian di Massiano

marco paglialunga

1

913

16/04/2011, 0:19

marsal Vedi ultimo messaggio


Inserisci un link per questa ricerca

Inserisci un link per questa ricerca URL
BBCode
HTML
Vai a: