Benvenuto Ospite

Forum Entomologi Italiani

www.entomologiitaliani.net/forum
 
Oggi è 02/04/2026, 12:18

Tutti gli orari sono UTC + 1 ora [ ora legale ]

Filtro località

Filtro località

In questo pannello è possibile effettuare delle ricerche mirate in base alle località inserite nel forum.

Statistiche

Statistiche
In totale ci sono 90041 taxa:
- 86098 taxa con dati completi
- 2738 taxa con dati parziali, riconducibili ad un paese
- 1205 taxa con dati incompleti


escludi dalla ricerca i subforum
Distribuzione in Europa
Distribuzione in Italia
Filtro applicato: SVIZZERA

Pagina 1 di 1 [ 3 messaggi ]

# A B C D E F G H I J K L M N O P Q R S T U V W X Y Z
 Argomenti   Autore   Risposte   Visite    Ultimo messaggio 
Kleidocerys resedae (Panzer, 1797) ninfa - Lygaeidae Ischnorhynchinae
4.IX.2012 - SVIZZERA - EE, Ticino Lugano
Allegato(i)
Kleidocerys resedae (Panzer, 1797) ninfa - Lygaeidae Ischnorhynchinae

in Lygaeidae


Dati di raccolta: 4.IX.2012 - SVIZZERA - EE, Ticino Lugano

gio

3

792

24/09/2012, 0:55

Dioli Vedi ultimo messaggio

Lygaeus sp. - Lygaeidae
2.VII.2014 - SVIZZERA - EE, Gimmelwald, Bern
Allegato(i)
Lygaeus sp. - Lygaeidae

in Lygaeidae


Dati di raccolta: 2.VII.2014 - SVIZZERA - EE, Gimmelwald, Bern

matthew gandy

2

827

01/01/2015, 18:49

matthew gandy Vedi ultimo messaggio

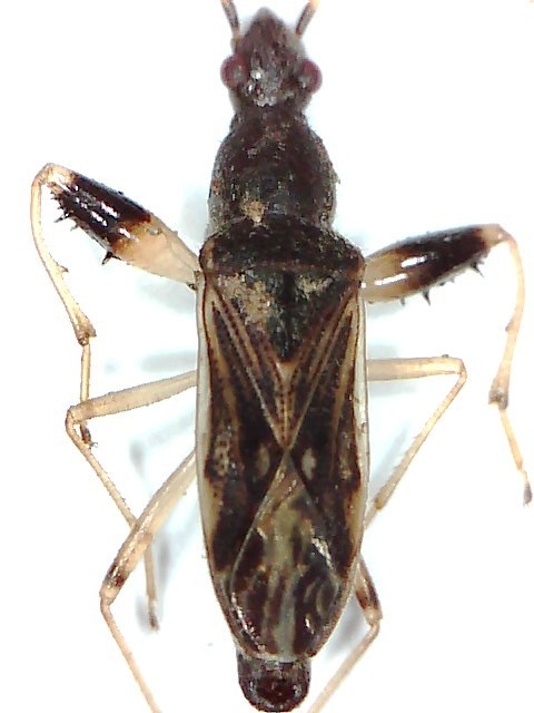
Paraparomius leptopoides (Baeresprung, 1859) - Lygaeidae
21.I.2014 - SVIZZERA - EE, Lugano-Ticino
Allegato(i)
Paraparomius leptopoides (Baeresprung, 1859) - Lygaeidae

in Lygaeidae


Dati di raccolta: 21.I.2014 - SVIZZERA - EE, Lugano-Ticino

gio

3

1054

03/02/2014, 16:13

Dioli Vedi ultimo messaggio


Inserisci un link per questa ricerca

Inserisci un link per questa ricerca URL
BBCode
HTML
Vai a:  
cron