Benvenuto Ospite

Forum Entomologi Italiani

www.entomologiitaliani.net/forum
 
Oggi è 21/05/2026, 21:10

Tutti gli orari sono UTC + 1 ora [ ora legale ]

Filtro località

Filtro località

In questo pannello è possibile effettuare delle ricerche mirate in base alle località inserite nel forum.

Statistiche

Statistiche
In totale ci sono 90196 taxa:
- 86250 taxa con dati completi
- 2741 taxa con dati parziali, riconducibili ad un paese
- 1205 taxa con dati incompleti


escludi dalla ricerca i subforum
Distribuzione in Europa
Distribuzione in Italia
Filtro applicato: MAROCCO

Pagina 1 di 1 [ 3 messaggi ]

# A B C D E F G H I J K L M N O P Q R S T U V W X Y Z
 Argomenti   Autore   Risposte   Visite    Ultimo messaggio 
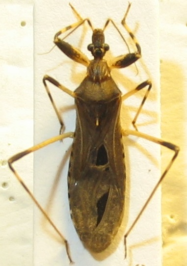
Oncocephalus acutangulus Reuter, 1882 - Reduviidae
10.V.2015 - MAROCCO - EE, 20km W of Oulmes
Allegato(i)
Oncocephalus acutangulus Reuter, 1882 - Reduviidae

in Reduviidae


Dati di raccolta: 10.V.2015 - MAROCCO - EE, 20km W of Oulmes

ivo

2

1329

07/12/2016, 10:57

ivo Vedi ultimo messaggio

Oncocephalus sp. - Reduviidae
26.V.2013 - MAROCCO - EE, N of Tizi n-Fedahat
Allegato(i)
Oncocephalus sp. - Reduviidae

in Reduviidae


Dati di raccolta: 26.V.2013 - MAROCCO - EE, N of Tizi n-Fedahat

ivo

5

1769

24/02/2016, 13:09

elleelle Vedi ultimo messaggio

Peirates stridulus (Fabricius 1787) - Reduviidae
15.II.2005 - MAROCCO - EE, Meknes prov.,NW Azrou
Allegato(i)
Peirates stridulus (Fabricius 1787) - Reduviidae

in Reduviidae


Dati di raccolta: 15.II.2005 - MAROCCO - EE, Meknes prov.,NW Azrou

ivo

6

2523

02/01/2017, 19:44

Dioli Vedi ultimo messaggio


Inserisci un link per questa ricerca

Inserisci un link per questa ricerca URL
BBCode
HTML
Vai a: