Benvenuto Ospite

Forum Entomologi Italiani

www.entomologiitaliani.net/forum
 
Oggi è 21/05/2026, 17:28

Tutti gli orari sono UTC + 1 ora [ ora legale ]

Filtro località

Filtro località

In questo pannello è possibile effettuare delle ricerche mirate in base alle località inserite nel forum.

Statistiche

Statistiche
In totale ci sono 90196 taxa:
- 86250 taxa con dati completi
- 2741 taxa con dati parziali, riconducibili ad un paese
- 1205 taxa con dati incompleti


escludi dalla ricerca i subforum
Distribuzione in Europa
Distribuzione in Italia
Filtro applicato: TANZANIA, REPUBBLICA UNITA DI

Pagina 1 di 1 [ 2 messaggi ]

# A B C D E F G H I J K L M N O P Q R S T U V W X Y Z
 Argomenti   Autore   Risposte   Visite    Ultimo messaggio 
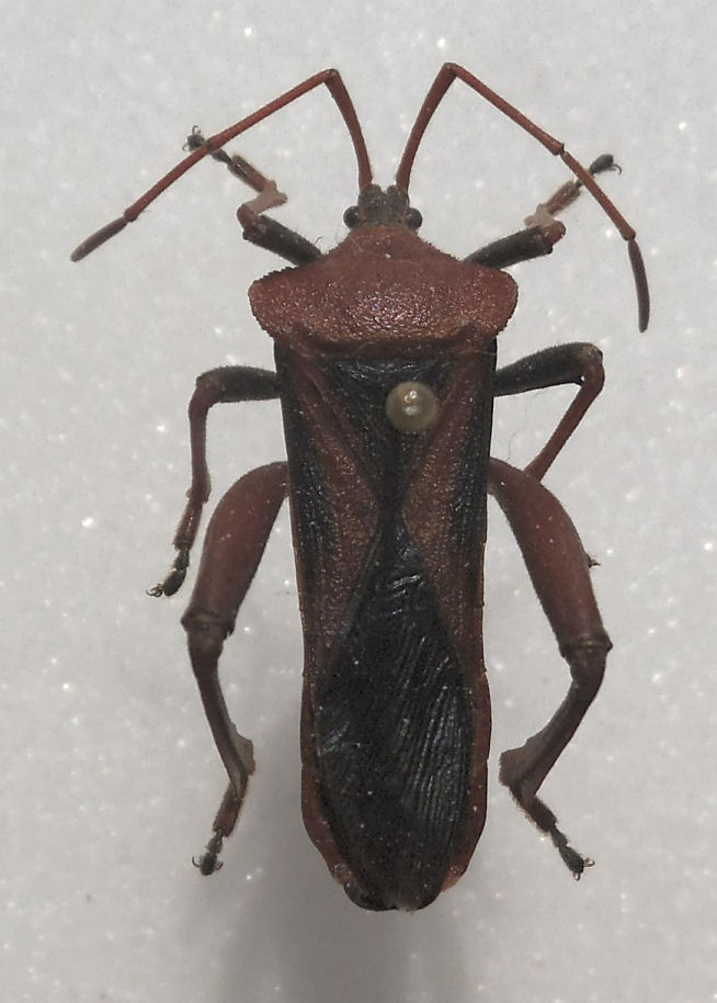
Clavigralla wittei (Schouteden, 1928) -Tanzania, border Iringa-Morogoro prov. -Sforzi e Bartolotti leg.
15.VII.2004 - TANZANIA, REPUBBLICA UNITA DI - EE, Morogoro prov.-border Iringa
Allegato(i)
Clavigralla wittei (Schouteden, 1928) -Tanzania, border Iringa-Morogoro prov. -Sforzi e Bartolotti leg.

in Coreidae


Dati di raccolta: 15.VII.2004 - TANZANIA, REPUBBLICA UNITA DI - EE, Morogoro prov.-border Iringa

marsal

0

1053

08/05/2015, 0:06

marsal Vedi ultimo messaggio

Plectropoda bicolor (Haglund, 1895) (cf.) - Coreidae
4.I.1991 - TANZANIA, REPUBBLICA UNITA DI - EE, Ngoro Ngoro crater
Allegato(i)
Plectropoda bicolor (Haglund, 1895) (cf.) - Coreidae

in Coreidae


Dati di raccolta: 4.I.1991 - TANZANIA, REPUBBLICA UNITA DI - EE, Ngoro Ngoro crater

Chalybion

6

1854

07/04/2014, 0:40

Chalybion Vedi ultimo messaggio


Inserisci un link per questa ricerca

Inserisci un link per questa ricerca URL
BBCode
HTML
Vai a: