Benvenuto Ospite

Forum Entomologi Italiani

www.entomologiitaliani.net/forum
 
Oggi è 11/02/2026, 7:50

Tutti gli orari sono UTC + 1 ora [ ora legale ]

 Forum   Argomenti   Messaggi   Ultimo messaggio 
Nessun messaggio da leggere
Filtro località
Carabidae indeterminati

906

4122

18/11/2025, 19:46

Andrea Pergine Vedi ultimo messaggio




 
nessun taxon determinato correttamente in questo archivio

Carabidae


[ AFROTROPICALE ] [ ANTARTICO ] [ AUSTRALASIANO ] [ NEARTICO ] [ NEOTROPICALE ] [ ORIENTALE ] [ PALEARTICO ]


nuovo argomento
Vai alla pagina Precedente  1, 2, 3, 4
Pagina 4 di 4 [ 158 argomenti ]
 Argomenti   Ordine   Autore   Risposte   Visite    Ultimo messaggio 
Annunci
Nessun messaggio da leggere
Allegato(i)
Incontri entomologici della Società Entomologica Italiana 2025-2026
 

Velvet Ant

0

23878

17/11/2025, 19:41

Velvet Ant Vedi ultimo messaggio

Nessun messaggio da leggere
Allegato(i)
Incontri entomologici telematici organizzati dalla Società Entomologica Italiana nel 2022 e nel 2023

[ Vai alla paginaVai alla pagina: 1, 2, 3 ]

 

Velvet Ant

44

1784709

03/03/2023, 15:55

Velvet Ant Vedi ultimo messaggio

Nessun messaggio da leggere  
Allegato(i)
Sondaggio sul declino dell'entomofauna in Italia

[ Vai alla paginaVai alla pagina: 1, 2, 3, 4 ]

 

Velvet Ant

52

2420399

22/10/2022, 19:18

Acquarius Vedi ultimo messaggio

Nessun messaggio da leggere  
Allegato(i)
Progetto: Bibliografia ragionata dei lavori entomologici nei quali sono citati reperti apparsi su FEI

[ Vai alla paginaVai alla pagina: 1, 2, 3 ]

 

Velvet Ant

33

1433520

06/07/2023, 18:31

Orotrechus Vedi ultimo messaggio

Nessun messaggio da leggere
Allegato(i)
Mimesi, il primo documentario cinematografico sull’entomologia in Italia: casting
 

mazzeip

1

1102318

28/02/2019, 20:26

mazzeip Vedi ultimo messaggio

Questo argomento è bloccato, non puoi modificare o inviare ulteriori messaggi.
Allegato(i)
ISTRUZIONI PUBBLICAZIONE NUOVI ARGOMENTI E FOTO

 
Altri Ordini di Insetti

Julodis

4

2906054

13/05/2015, 19:37

Julodis Vedi ultimo messaggio

Nessun messaggio da leggere
Allegato(i)
Limitatore giornaliero di messaggi, uno strumento utile e ormai indispensabile

[ Vai alla paginaVai alla pagina: 1 ... 14, 15, 16 ]

 

Velvet Ant

233

12789870

25/09/2014, 14:31

Inachis Vedi ultimo messaggio

Nessun messaggio da leggere  
NORME PER I COLLABORATORI DEL FORUM

 
 

Velvet Ant

0

643899

02/06/2011, 12:05

Velvet Ant Vedi ultimo messaggio

Nessun messaggio da leggere
Allegato(i)
NORME PER GLI UTENTI DEL FORUM

[ Vai alla paginaVai alla pagina: 1, 2, 3 ]



 
 

Velvet Ant

30

3548286

23/09/2014, 23:54

Maurizio Bollino Vedi ultimo messaggio

Nessun messaggio da leggere  
Lista degli utenti del "Forum entomologi italiani" per campi di interesse e specializzazione

 
Altri Ordini di Insetti

Velvet Ant

13

1042889

07/09/2023, 17:14

Roberto-07 Vedi ultimo messaggio

Argomenti
Nessun messaggio da leggere
Carabidae Lebiini - Zambia
9.XII.2008 - ZAMBIA - EE
Allegato(i)
Carabidae Lebiini - Zambia

9.XII.2008 - ZAMBIA - EE
Coleoptera

Isotomus

2

884

20/03/2011, 10:59

Isotomus Vedi ultimo messaggio

Nessun messaggio da leggere
Carabidae - Zambia
9.XII.2008 - ZAMBIA - EE
Allegato(i)
Carabidae - Zambia

9.XII.2008 - ZAMBIA - EE
Coleoptera

Isotomus

0

775

19/03/2011, 11:14

Isotomus Vedi ultimo messaggio

Nessun messaggio da leggere
Paussidae
14.XII.2008 - ZAMBIA - EE
Allegato(i)
Paussidae

14.XII.2008 - ZAMBIA - EE
Coleoptera

Isotomus

4

1068

19/03/2011, 10:16

Isotomus Vedi ultimo messaggio

Nessun messaggio da leggere
Allegato(i)
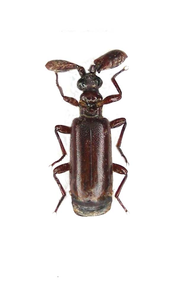
Epigraphus arcuatocollis (Murray, 1857) - Carabidae - Gabon

II.2011 - GABON - EE
Coleoptera

Maurizio Bollino

4

1320

17/03/2011, 20:43

Maurizio Bollino Vedi ultimo messaggio

Nessun messaggio da leggere
Allegato(i)
Triaenogenius cf. lugubris (Schaum, 1863) - Carabidae - Zambia

14.XII.2008 - ZAMBIA - EE
Coleoptera

Isotomus

7

1167

16/03/2011, 16:00

Isotomus Vedi ultimo messaggio

Nessun messaggio da leggere
Allegato(i)
Sphaerostylus cf. goryi (Laporte de Castelnau, 1834) - Carabidae Paussinae Ozaenini. Madagascar

16.XII.2003 - MADAGASCAR - EE
Coleoptera

Apoderus

5

1352

10/05/2010, 11:42

ricdoc57 Vedi ultimo messaggio

Nessun messaggio da leggere
Anthia (Thermophilum) fornasinii
X.2008 - SUD AFRICA - EE
Allegato(i)
Anthia (Thermophilum) fornasinii

X.2008 - SUD AFRICA - EE
Coleoptera

marco paglialunga

0

533

19/04/2010, 16:36

marco paglialunga Vedi ultimo messaggio

Nessun messaggio da leggere
Anthia (Termophilum) omoplata Lequien, 1832
X.2008 - SUD AFRICA - EE
Allegato(i)
Anthia (Termophilum) omoplata Lequien, 1832

X.2008 - SUD AFRICA - EE
Coleoptera

marco paglialunga

0

547

19/04/2010, 16:29

marco paglialunga Vedi ultimo messaggio

Visualizza ultimi argomenti:  Ordina per  Ordine:  
nuovo argomento
Vai alla pagina Precedente  1, 2, 3, 4
Pagina 4 di 4 [ 158 argomenti ]

Tutti gli orari sono UTC + 1 ora [ ora legale ]


Chi c’è in linea

Visitano il forum: Nessuno e 17 ospiti


Legenda
Messaggi da leggere Messaggi da leggere Nessun messaggio da leggere Nessun messaggio da leggere Annuncio Annuncio
 
Specie indeterminata / discussione generica
Messaggi non letti [ Popolari ] Messaggi non letti [ Popolari ] Nessun messaggio da leggere [ Popolare ] Nessun messaggio da leggere [ Popolare ] Importante Importante
 
Specie determinata fino al genere o cf.
Messaggi non letti [ Bloccati ] Messaggi non letti [ Bloccati ] No messaggi non letti [ Bloccati ] No messaggi non letti [ Bloccati ] Argomento spostato Argomento spostato
 
Specie correttamente determinata
Permessi
Non puoi aprire nuovi argomenti
Non puoi rispondere negli argomenti
Non puoi modificare i tuoi messaggi
Non puoi cancellare i tuoi messaggi
Non puoi inviare allegati

Cerca per:
Vai a:  
cron