Benvenuto Ospite

Forum Entomologi Italiani

www.entomologiitaliani.net/forum
 
Oggi è 24/04/2026, 0:20

Tutti gli orari sono UTC + 1 ora [ ora legale ]

 Forum   Argomenti   Messaggi   Ultimo messaggio 
Nessun messaggio da leggere
Filtro località
Vespidae indeterminati

99

450

12/02/2026, 15:48

marsal Vedi ultimo messaggio




93% 
511 taxa correttamente determinati su 551 presenti in archivio

Vespidae


[ AFROTROPICALE ] [ ANTARTICO ] [ AUSTRALASIANO ] [ NEARTICO ] [ NEOTROPICALE ] [ ORIENTALE ] [ PALEARTICO ]


nuovo argomento
Vai alla pagina Precedente  1 ... 4, 5, 6, 7, 8, 9, 10 ... 14  Prossimo
Pagina 7 di 14 [ 662 argomenti ]
 Argomenti   Ordine   Autore   Risposte   Visite    Ultimo messaggio 
Annunci
Nessun messaggio da leggere
Allegato(i)
Incontri entomologici della Società Entomologica Italiana 2025-2026
 

Velvet Ant

0

50685

17/11/2025, 19:41

Velvet Ant Vedi ultimo messaggio

Nessun messaggio da leggere
Allegato(i)
Incontri entomologici telematici organizzati dalla Società Entomologica Italiana nel 2022 e nel 2023

[ Vai alla paginaVai alla pagina: 1, 2, 3 ]

 

Velvet Ant

44

2015627

03/03/2023, 15:55

Velvet Ant Vedi ultimo messaggio

Nessun messaggio da leggere  
Allegato(i)
Sondaggio sul declino dell'entomofauna in Italia

[ Vai alla paginaVai alla pagina: 1, 2, 3, 4 ]

 

Velvet Ant

52

2688916

22/10/2022, 19:18

Acquarius Vedi ultimo messaggio

Nessun messaggio da leggere  
Allegato(i)
Progetto: Bibliografia ragionata dei lavori entomologici nei quali sono citati reperti apparsi su FEI

[ Vai alla paginaVai alla pagina: 1, 2, 3 ]

 

Velvet Ant

33

1617447

06/07/2023, 18:31

Orotrechus Vedi ultimo messaggio

Nessun messaggio da leggere
Allegato(i)
Mimesi, il primo documentario cinematografico sull’entomologia in Italia: casting
 

mazzeip

1

1139275

28/02/2019, 20:26

mazzeip Vedi ultimo messaggio

Questo argomento è bloccato, non puoi modificare o inviare ulteriori messaggi.
Allegato(i)
ISTRUZIONI PUBBLICAZIONE NUOVI ARGOMENTI E FOTO

 
Altri Ordini di Insetti

Julodis

4

2957073

13/05/2015, 19:37

Julodis Vedi ultimo messaggio

Nessun messaggio da leggere
Allegato(i)
Limitatore giornaliero di messaggi, uno strumento utile e ormai indispensabile

[ Vai alla paginaVai alla pagina: 1 ... 14, 15, 16 ]

 

Velvet Ant

233

13828418

25/09/2014, 14:31

Inachis Vedi ultimo messaggio

Nessun messaggio da leggere  
NORME PER I COLLABORATORI DEL FORUM

 
 

Velvet Ant

0

671924

02/06/2011, 12:05

Velvet Ant Vedi ultimo messaggio

Nessun messaggio da leggere
Allegato(i)
NORME PER GLI UTENTI DEL FORUM

[ Vai alla paginaVai alla pagina: 1, 2, 3 ]



 
 

Velvet Ant

30

3732496

23/09/2014, 23:54

Maurizio Bollino Vedi ultimo messaggio

Nessun messaggio da leggere  
Lista degli utenti del "Forum entomologi italiani" per campi di interesse e specializzazione

 
Altri Ordini di Insetti

Velvet Ant

13

1128873

07/09/2023, 17:14

Roberto-07 Vedi ultimo messaggio

Argomenti
Nessun messaggio da leggere
Allegato(i) Dettagli della specie
Symmorphus (Symmorphus) gracilis (Brulle, 1832)
Vespidae


9.IV.2017 - ITALIA - Lazio - RM
Hymenoptera

giuseppe55

2

1491

17/06/2017, 14:49

giuseppe55 Vedi ultimo messaggio

Nessun messaggio da leggere
Allegato(i)
Eumicrodynerus europaeus (Giordani Soika, 1942) - Vespidae Eumeninae Odynerini
Vespidae


19.V.2014 - TURCHIA - EE
Hymenoptera

Andricus

0

799

16/06/2017, 16:48

Andricus Vedi ultimo messaggio

Nessun messaggio da leggere
Delta unguiculatum unguiculatum (Villers, 1789) - Vespidae
18.VIII.2016 - ITALIA - Trentino-Alto Adige - TN
Allegato(i) Dettagli della specie
Delta unguiculatum unguiculatum (Villers, 1789)
Vespidae


18.VIII.2016 - ITALIA - Trentino-Alto Adige - TN
Hymenoptera

Syrio

4

1883

04/06/2017, 23:38

Syrio Vedi ultimo messaggio

Nessun messaggio da leggere
Vespula germanica (Fabricius, 1793) cf. - Vespidae
23.VII.2016 - ITALIA - Lazio - RM
Allegato(i) Dettagli della specie
Vespula germanica (Fabricius, 1793) cf.
Vespidae


23.VII.2016 - ITALIA - Lazio - RM
Hymenoptera

wgliinsetti

6

2188

26/05/2017, 9:53

wgliinsetti Vedi ultimo messaggio

Nessun messaggio da leggere
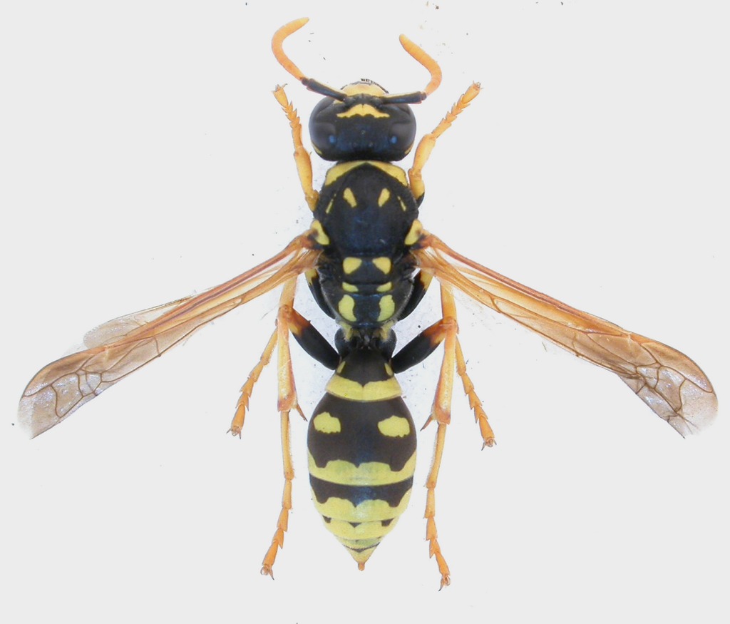
Polistes (Polistes) nimpha (Christ, 1791) - Vespidae
15.V.2017 - ITALIA - Lombardia - MB
Allegato(i) Dettagli della specie
Polistes (Polistes) nimpha (Christ, 1791)
Vespidae


15.V.2017 - ITALIA - Lombardia - MB
Hymenoptera

geppe

1

1055

26/05/2017, 7:47

Pietro Niolu Vedi ultimo messaggio

Nessun messaggio da leggere
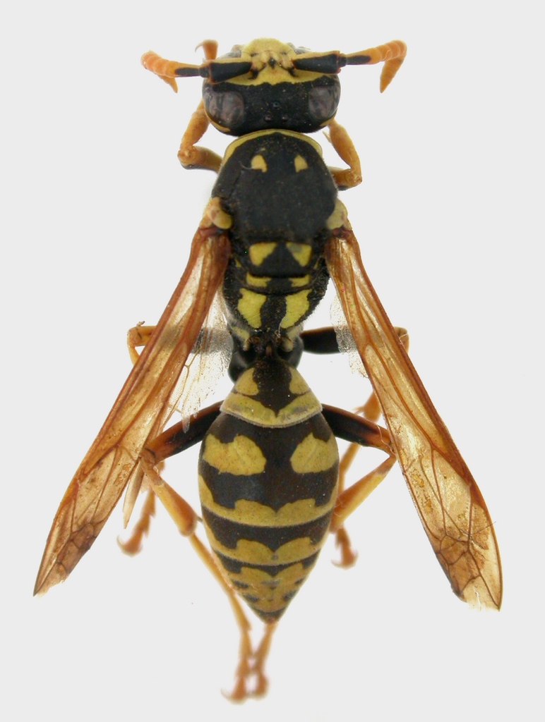
Polistes (Polistes) dominula (Christ, 1791) - Vespidae
24.IV.2017 - ITALIA - Lombardia - MB
Allegato(i) Dettagli della specie
Polistes (Polistes) dominula (Christ, 1791)
Vespidae


24.IV.2017 - ITALIA - Lombardia - MB
Hymenoptera

geppe

4

1432

09/05/2017, 11:46

geppe Vedi ultimo messaggio

Nessun messaggio da leggere
Vespula germanica (Fabricius, 1793) - Vespidae
24.IV.2017 - ITALIA - Lombardia - MB
Allegato(i) Dettagli della specie
Vespula germanica (Fabricius, 1793)
Vespidae


24.IV.2017 - ITALIA - Lombardia - MB
Hymenoptera

geppe

2

1183

09/05/2017, 8:11

geppe Vedi ultimo messaggio

Nessun messaggio da leggere
Discoelius dufourii Lepeletier, 1841 - Vespidae
28.IV.2017 - ITALIA - Emilia-Romagna - BO
Allegato(i) Dettagli della specie
Discoelius dufourii Lepeletier, 1841
Vespidae


28.IV.2017 - ITALIA - Emilia-Romagna - BO
Hymenoptera

Loriscola

1

1078

08/05/2017, 16:59

Andricus Vedi ultimo messaggio

Nessun messaggio da leggere
Polistes (Polistes) dominula (Christ, 1791) - Vespidae
6.III.2017 - ITALIA - Veneto - BL
Allegato(i) Dettagli della specie
Polistes (Polistes) dominula (Christ, 1791)
Vespidae


6.III.2017 - ITALIA - Veneto - BL
Hymenoptera

gianfranco.dramis

5

1957

11/04/2017, 19:40

Thaumatomyrmex Vedi ultimo messaggio

Nessun messaggio da leggere
Polistes (Polistes) dominula (Christ, 1791) - Vespidae
17.II.2017 - ITALIA - Trentino-Alto Adige - TN
Allegato(i) Dettagli della specie
Polistes (Polistes) dominula (Christ, 1791)
Vespidae


17.II.2017 - ITALIA - Trentino-Alto Adige - TN
Hymenoptera

Syrio

3

1570

17/02/2017, 15:39

mascalzonepadano Vedi ultimo messaggio

Nessun messaggio da leggere
Vespa crabro Linnaeus, 1758 - Vespidae
30.X.2016 - ITALIA - Piemonte - CN
Allegato(i) Dettagli della specie
Vespa crabro Linnaeus, 1758
Vespidae


30.X.2016 - ITALIA - Piemonte - CN
Hymenoptera

michelebutta

1

1028

28/01/2017, 14:25

Andricus Vedi ultimo messaggio

Nessun messaggio da leggere
Allegato(i)
Eumenes (Eumenes) tosawae Giordani Soika, 1941 - Vespidae Eumeninae Eumenini
Vespidae


III.1910 - TAIWAN, CINA PROVINCIA DI - EE
Hymenoptera

Andricus

0

806

14/01/2017, 19:06

Andricus Vedi ultimo messaggio

Nessun messaggio da leggere
Allegato(i) Dettagli della specie
Polistes (Polistes) dominula (Christ, 1791)
Vespidae


4.VIII.2016 - SPAGNA - EE
Hymenoptera

Fumea crassiorella

2

1236

07/01/2017, 22:59

Fumea crassiorella Vedi ultimo messaggio

Nessun messaggio da leggere
Allegato(i)
Oreumenes decoratus (Smith, 1852) - Vespidae Eumeninae Eumenini
Vespidae


1893 - GIAPPONE - EE
Hymenoptera

Andricus

0

1087

07/01/2017, 13:55

Andricus Vedi ultimo messaggio

Nessun messaggio da leggere
Vespula vulgaris (Linnaeus, 1758) - Vespidae
26.XII.2016 - ITALIA - Lombardia - MB
Allegato(i) Dettagli della specie
Vespula vulgaris (Linnaeus, 1758)
Vespidae


26.XII.2016 - ITALIA - Lombardia - MB
Hymenoptera

Giuseppe

2

849

26/12/2016, 21:04

Giuseppe Vedi ultimo messaggio

Nessun messaggio da leggere
Eumenes (Eumenes) coarctatus (Linnaeus, 1758) - Vespidae
27.VIII.2016 - ITALIA - Sardegna - SS
Allegato(i) Dettagli della specie
Eumenes (Eumenes) coarctatus (Linnaeus, 1758)
Vespidae


27.VIII.2016 - ITALIA - Sardegna - SS
Hymenoptera

Pietro Niolu

2

998

22/12/2016, 20:18

Pietro Niolu Vedi ultimo messaggio

Nessun messaggio da leggere
Vespula germanica (Fabricius, 1793) - Vespidae
29.XI.2016 - ITALIA - Sicilia - EN
Allegato(i) Dettagli della specie
Vespula germanica (Fabricius, 1793)
Vespidae


29.XI.2016 - ITALIA - Sicilia - EN
Hymenoptera

Amata Ciro

2

991

22/12/2016, 19:57

Lucanus tetraodon Vedi ultimo messaggio

Nessun messaggio da leggere
Odynerus (Spinicoxa) reniformis (Gmelin, 1790) - Vespidae
20.IV.2016 - ITALIA - Sardegna - SS
Allegato(i) Dettagli della specie
Odynerus (Spinicoxa) reniformis (Gmelin, 1790)
Vespidae


20.IV.2016 - ITALIA - Sardegna - SS
Hymenoptera

Pietro Niolu

2

1071

21/12/2016, 20:54

Andricus Vedi ultimo messaggio

Nessun messaggio da leggere
Tropidodynerus fertoni (Dusmet, 1925) - Vespidae
21.V.2016 - ITALIA - Sardegna - SS
Allegato(i) Dettagli della specie
Tropidodynerus fertoni (Dusmet, 1925)
Vespidae


21.V.2016 - ITALIA - Sardegna - SS
Hymenoptera

Pietro Niolu

6

1682

17/12/2016, 17:13

Pietro Niolu Vedi ultimo messaggio

Nessun messaggio da leggere
Eumenes (Eumenes) sardous Guiglia, 1951 - Vespidae
20.V.2016 - ITALIA - Sardegna - SS
Allegato(i) Dettagli della specie
Eumenes (Eumenes) sardous Guiglia, 1951
Vespidae


20.V.2016 - ITALIA - Sardegna - SS
Hymenoptera

Pietro Niolu

1

924

17/12/2016, 13:50

Andricus Vedi ultimo messaggio

Nessun messaggio da leggere
Eumenes (Eumenes) coarctatus (Linnaeus, 1758) - Vespidae
15.VIII.2015 - ITALIA - Sardegna - SS
Allegato(i) Dettagli della specie
Eumenes (Eumenes) coarctatus (Linnaeus, 1758)
Vespidae


15.VIII.2015 - ITALIA - Sardegna - SS
Hymenoptera

Pietro Niolu

5

1109

14/12/2016, 16:22

Pietro Niolu Vedi ultimo messaggio

Nessun messaggio da leggere
Polistes (Polistes) dominula (Christ, 1791) - Vespidae
5.III.2016 - ITALIA - Calabria - CS
Allegato(i) Dettagli della specie
Polistes (Polistes) dominula (Christ, 1791)
Vespidae


5.III.2016 - ITALIA - Calabria - CS
Hymenoptera

aiello antonio

4

1196

13/12/2016, 22:24

Carlo Monari Vedi ultimo messaggio

Nessun messaggio da leggere
Polistes (Polistes) gallicus (Linnaeus, 1767) - Vespidae
12.VII.2014 - ITALIA - Calabria - CS
Allegato(i) Dettagli della specie
Polistes (Polistes) gallicus (Linnaeus, 1767)
Vespidae


12.VII.2014 - ITALIA - Calabria - CS
Hymenoptera

aiello antonio

2

2521

22/11/2016, 21:29

aiello antonio Vedi ultimo messaggio

Nessun messaggio da leggere
Polistes (Polistes) dominula (Christ, 1791) - Vespidae
2.VIII.2015 - ITALIA - Sardegna - OT
Allegato(i) Dettagli della specie
Polistes (Polistes) dominula (Christ, 1791)
Vespidae


2.VIII.2015 - ITALIA - Sardegna - OT
Hymenoptera

Mauro

2

1052

01/11/2016, 0:11

Mauro Vedi ultimo messaggio

Nessun messaggio da leggere
Vespa crabro Linnaeus, 1758 - Vespidae
16.VIII.2013 - ISRAELE - EE
Allegato(i) Dettagli della specie
Vespa crabro Linnaeus, 1758
Vespidae


16.VIII.2013 - ISRAELE - EE
Hymenoptera

wgliinsetti

1

1483

30/10/2016, 9:37

Nicola Vedi ultimo messaggio

Nessun messaggio da leggere
Allegato(i) Dettagli della specie
Eumenes (Eumenes) dubius dubius Saussure, 1852 cf.
Vespidae


16.IX.2016 - ITALIA - Liguria - GE
Hymenoptera

hectorinus

2

1129

27/10/2016, 11:27

Andricus Vedi ultimo messaggio

Nessun messaggio da leggere
Polistes (Polistes) biglumis (Linnaeus, 1758) - Vespidae
24.VII.2016 - ITALIA - Piemonte - TO
Allegato(i) Dettagli della specie
Polistes (Polistes) biglumis (Linnaeus, 1758)
Vespidae


24.VII.2016 - ITALIA - Piemonte - TO
Hymenoptera

hectorinus

1

1083

19/10/2016, 12:27

Andricus Vedi ultimo messaggio

Nessun messaggio da leggere  
Dettagli della specie
Vespula germanica (Fabricius, 1793)
Vespidae


21.IX.2016 - ITALIA - Lombardia - PV
Hymenoptera

Morg

5

1355

11/10/2016, 12:41

Morg Vedi ultimo messaggio

Nessun messaggio da leggere
Polistes sp. - Vespidae
26.IX.2016 - ITALIA - Emilia-Romagna - RN
Allegato(i)
Polistes sp. - Vespidae
Vespidae


26.IX.2016 - ITALIA - Emilia-Romagna - RN
Hymenoptera

coneshell

1

863

05/10/2016, 21:24

Paperwasp Vedi ultimo messaggio

Nessun messaggio da leggere
Polistes (Polistes) dominula (Christ, 1791) - Vespidae
20.IX.2016 - ITALIA - Emilia-Romagna - BO
Allegato(i) Dettagli della specie
Polistes (Polistes) dominula (Christ, 1791)
Vespidae


20.IX.2016 - ITALIA - Emilia-Romagna - BO
Hymenoptera

lorenzo12

3

1149

03/10/2016, 18:14

lorenzo12 Vedi ultimo messaggio

Nessun messaggio da leggere
Polistes (Polistes) associus Kohl, 1898 - Vespidae
5.VIII.2016 - ITALIA - Emilia-Romagna - BO
Allegato(i) Dettagli della specie
Polistes (Polistes) associus Kohl, 1898
Vespidae


5.VIII.2016 - ITALIA - Emilia-Romagna - BO
Hymenoptera

lorenzo12

8

2043

01/10/2016, 13:57

lorenzo12 Vedi ultimo messaggio

Nessun messaggio da leggere
Parodontodynerus ephippium ephippium (Klug, 1817) - Vespidae
4.VIII.2016 - ITALIA - Emilia-Romagna - RA
Allegato(i) Dettagli della specie
Parodontodynerus ephippium ephippium (Klug, 1817)
Vespidae


4.VIII.2016 - ITALIA - Emilia-Romagna - RA
Hymenoptera

Chalybion

5

1620

30/09/2016, 20:29

Chalybion Vedi ultimo messaggio

Nessun messaggio da leggere
Polistes (Polistes) gallicus (Linnaeus, 1767) - Vespidae
6.IX.2016 - ITALIA - Emilia-Romagna - BO
Allegato(i) Dettagli della specie
Polistes (Polistes) gallicus (Linnaeus, 1767)
Vespidae


6.IX.2016 - ITALIA - Emilia-Romagna - BO
Hymenoptera

lorenzo12

4

1391

24/09/2016, 20:11

lorenzo12 Vedi ultimo messaggio

Nessun messaggio da leggere
Polistes (Polistes) dominula (Christ, 1791) - Vespidae
23.VI.2015 - ITALIA - Toscana - PI
Allegato(i) Dettagli della specie
Polistes (Polistes) dominula (Christ, 1791)
Vespidae


23.VI.2015 - ITALIA - Toscana - PI
Hymenoptera

wgliinsetti

3

1163

18/09/2016, 18:55

Paperwasp Vedi ultimo messaggio

Nessun messaggio da leggere
Polistes (Polistes) dominula (Christ, 1791) - Vespidae
14.IX.2016 - ITALIA - Liguria - IM
Allegato(i) Dettagli della specie
Polistes (Polistes) dominula (Christ, 1791)
Vespidae


14.IX.2016 - ITALIA - Liguria - IM
Hymenoptera

Anthocopa

2

1129

17/09/2016, 14:24

Andricus Vedi ultimo messaggio

Nessun messaggio da leggere
Polistes (Polistes) dominula (Christ, 1791) - Vespidae
23.VIII.2016 - ITALIA - Puglia - LE
Allegato(i) Dettagli della specie
Polistes (Polistes) dominula (Christ, 1791)
Vespidae


23.VIII.2016 - ITALIA - Puglia - LE
Hymenoptera

lorenzo12

3

1392

08/09/2016, 12:33

lorenzo12 Vedi ultimo messaggio

Nessun messaggio da leggere
Allegato(i) Dettagli della specie
Symmorphus (Symmorphus) allobrogus (Saussure, 1855) cf.
Vespidae


16.VII.2016 - ITALIA - Piemonte - TO
Hymenoptera

hectorinus

4

1739

29/08/2016, 18:26

giuseppe55 Vedi ultimo messaggio

Nessun messaggio da leggere
Eumenes (Eumenes) dubius dubius Saussure, 1852 - Vespidae
28.VIII.2015 - ITALIA - Sardegna - SS
Allegato(i) Dettagli della specie
Eumenes (Eumenes) dubius dubius Saussure, 1852
Vespidae


28.VIII.2015 - ITALIA - Sardegna - SS
Hymenoptera

Pietro Niolu

2

1421

25/08/2016, 19:37

Pietro Niolu Vedi ultimo messaggio

Nessun messaggio da leggere
Ancistrocerus longispinosus gazelloides Guiglia, 1943 - Vespidae
15.VIII.2016 - ITALIA - Sardegna - SS
Allegato(i) Dettagli della specie
Ancistrocerus longispinosus gazelloides Guiglia, 1943
Vespidae


15.VIII.2016 - ITALIA - Sardegna - SS
Hymenoptera

Pietro Niolu

2

1293

24/08/2016, 12:39

Pietro Niolu Vedi ultimo messaggio

Nessun messaggio da leggere
Allegato(i) Dettagli della specie
Eumenes (Eumenes) dubius dubius Saussure, 1852
Vespidae


7.VIII.2016 - SPAGNA - EE
Hymenoptera

Fumea crassiorella

6

1673

23/08/2016, 19:29

aguaplano Vedi ultimo messaggio

Nessun messaggio da leggere
Polistes (Polistes) dominula (Christ, 1791) - Vespidae
22.VIII.2016 - ITALIA - Trentino-Alto Adige - TN
Allegato(i) Dettagli della specie
Polistes (Polistes) dominula (Christ, 1791)
Vespidae


22.VIII.2016 - ITALIA - Trentino-Alto Adige - TN
Hymenoptera

Syrio

2

1012

23/08/2016, 12:49

Syrio Vedi ultimo messaggio

Nessun messaggio da leggere
Polistes (Polistes) dominula (Christ, 1791) - Vespidae
21.VIII.2016 - ITALIA - Friuli-Venezia Giulia - TS
Allegato(i) Dettagli della specie
Polistes (Polistes) dominula (Christ, 1791)
Vespidae


21.VIII.2016 - ITALIA - Friuli-Venezia Giulia - TS
Hymenoptera

Bemisia

2

1005

22/08/2016, 20:18

Bemisia Vedi ultimo messaggio

Nessun messaggio da leggere
Delta unguiculatum unguiculatum (Villers, 1789) - Vespidae
21.VIII.2016 - ITALIA - Friuli-Venezia Giulia - TS
Allegato(i) Dettagli della specie
Delta unguiculatum unguiculatum (Villers, 1789)
Vespidae


21.VIII.2016 - ITALIA - Friuli-Venezia Giulia - TS
Hymenoptera

Bemisia

2

1086

22/08/2016, 20:17

Bemisia Vedi ultimo messaggio

Nessun messaggio da leggere
Vespa orientalis Linnaeus, 1771 - Vespidae
15.VIII.2016 - ITALIA - Campania - NA
Allegato(i) Dettagli della specie
Vespa orientalis Linnaeus, 1771
Vespidae


15.VIII.2016 - ITALIA - Campania - NA
Hymenoptera

zefi

8

2868

16/08/2016, 13:24

zefi Vedi ultimo messaggio

Nessun messaggio da leggere
Polistes (Polistes) dominula (Christ, 1791) - Vespidae
29.VII.2016 - ITALIA - Emilia-Romagna - BO
Allegato(i) Dettagli della specie
Polistes (Polistes) dominula (Christ, 1791)
Vespidae


29.VII.2016 - ITALIA - Emilia-Romagna - BO
Hymenoptera

lorenzo12

3

1528

11/08/2016, 14:57

Andricus Vedi ultimo messaggio

Nessun messaggio da leggere
Allegato(i) Dettagli della specie
Euodynerus (Euodynerus) disconotatus (Lichtenstein, 1884)
Vespidae


28.VI.2016 - ITALIA - Lombardia - BG
Hymenoptera

Giuseppe Zanetti

3

1359

07/07/2016, 18:54

Giuseppe Zanetti Vedi ultimo messaggio

Nessun messaggio da leggere
Vespa orientalis Linnaeus, 1771 - Vespidae
11.VIII.2013 - ISRAELE - EE
Allegato(i) Dettagli della specie
Vespa orientalis Linnaeus, 1771
Vespidae


11.VIII.2013 - ISRAELE - EE
Hymenoptera

wgliinsetti

2

1200

11/05/2016, 22:54

wgliinsetti Vedi ultimo messaggio

Nessun messaggio da leggere
Vespula germanica (Fabricius, 1793) - Vespidae
8.V.2016 - ITALIA - Lazio - RM
Allegato(i) Dettagli della specie
Vespula germanica (Fabricius, 1793)
Vespidae


8.V.2016 - ITALIA - Lazio - RM
Hymenoptera

wgliinsetti

2

1109

08/05/2016, 14:32

wgliinsetti Vedi ultimo messaggio

Nessun messaggio da leggere
Allegato(i)
Katamenes sichelii (de Saussure, 1852) - Vespidae Eumeninae Eumenini
Vespidae


12.VI.2014 - KAZAKHSTAN - EE
Hymenoptera

Andricus

3

1280

04/05/2016, 19:46

marco villa Vedi ultimo messaggio

Nessun messaggio da leggere
Vespula germanica (Fabricius, 1793) - Vespidae
28.IV.2016 - ITALIA - Lombardia - MI
Allegato(i) Dettagli della specie
Vespula germanica (Fabricius, 1793)
Vespidae


28.IV.2016 - ITALIA - Lombardia - MI
Hymenoptera

TheWings

2

1212

28/04/2016, 18:51

TheWings Vedi ultimo messaggio

Visualizza ultimi argomenti:  Ordina per  Ordine:  
nuovo argomento
Vai alla pagina Precedente  1 ... 4, 5, 6, 7, 8, 9, 10 ... 14  Prossimo
Pagina 7 di 14 [ 662 argomenti ]

Tutti gli orari sono UTC + 1 ora [ ora legale ]


Chi c’è in linea

Visitano il forum: Nessuno e 7 ospiti


Legenda
Messaggi da leggere Messaggi da leggere Nessun messaggio da leggere Nessun messaggio da leggere Annuncio Annuncio
 
Specie indeterminata / discussione generica
Messaggi non letti [ Popolari ] Messaggi non letti [ Popolari ] Nessun messaggio da leggere [ Popolare ] Nessun messaggio da leggere [ Popolare ] Importante Importante
 
Specie determinata fino al genere o cf.
Messaggi non letti [ Bloccati ] Messaggi non letti [ Bloccati ] No messaggi non letti [ Bloccati ] No messaggi non letti [ Bloccati ] Argomento spostato Argomento spostato
 
Specie correttamente determinata
Permessi
Non puoi aprire nuovi argomenti
Non puoi rispondere negli argomenti
Non puoi modificare i tuoi messaggi
Non puoi cancellare i tuoi messaggi
Non puoi inviare allegati

Cerca per:
Vai a: