Benvenuto Ospite

Forum Entomologi Italiani

www.entomologiitaliani.net/forum
 
Oggi è 24/04/2026, 5:25

Tutti gli orari sono UTC + 1 ora [ ora legale ]


92% 
2928 taxa correttamente determinati su 3182 presenti in archivio

Cerambycidae


[ AFROTROPICALE ] [ ANTARTICO ] [ AUSTRALASIANO ] [ NEARTICO ] [ NEOTROPICALE ] [ ORIENTALE ] [ PALEARTICO ]


nuovo argomento
Vai alla pagina Precedente  1 ... 19, 20, 21, 22, 23, 24, 25 ... 94  Prossimo
Pagina 22 di 94 [ 4653 argomenti ]
 Argomenti   Ordine   Autore   Risposte   Visite    Ultimo messaggio 
Annunci
Nessun messaggio da leggere
Allegato(i)
Incontri entomologici della Società Entomologica Italiana 2025-2026
 

Velvet Ant

0

50834

17/11/2025, 19:41

Velvet Ant Vedi ultimo messaggio

Nessun messaggio da leggere
Allegato(i)
Incontri entomologici telematici organizzati dalla Società Entomologica Italiana nel 2022 e nel 2023

[ Vai alla paginaVai alla pagina: 1, 2, 3 ]

 

Velvet Ant

44

2016587

03/03/2023, 15:55

Velvet Ant Vedi ultimo messaggio

Nessun messaggio da leggere  
Allegato(i)
Sondaggio sul declino dell'entomofauna in Italia

[ Vai alla paginaVai alla pagina: 1, 2, 3, 4 ]

 

Velvet Ant

52

2689895

22/10/2022, 19:18

Acquarius Vedi ultimo messaggio

Nessun messaggio da leggere  
Allegato(i)
Progetto: Bibliografia ragionata dei lavori entomologici nei quali sono citati reperti apparsi su FEI

[ Vai alla paginaVai alla pagina: 1, 2, 3 ]

 

Velvet Ant

33

1618134

06/07/2023, 18:31

Orotrechus Vedi ultimo messaggio

Nessun messaggio da leggere
Allegato(i)
Mimesi, il primo documentario cinematografico sull’entomologia in Italia: casting
 

mazzeip

1

1139462

28/02/2019, 20:26

mazzeip Vedi ultimo messaggio

Questo argomento è bloccato, non puoi modificare o inviare ulteriori messaggi.
Allegato(i)
ISTRUZIONI PUBBLICAZIONE NUOVI ARGOMENTI E FOTO

 
Altri Ordini di Insetti

Julodis

4

2957307

13/05/2015, 19:37

Julodis Vedi ultimo messaggio

Nessun messaggio da leggere
Allegato(i)
Limitatore giornaliero di messaggi, uno strumento utile e ormai indispensabile

[ Vai alla paginaVai alla pagina: 1 ... 14, 15, 16 ]

 

Velvet Ant

233

13832143

25/09/2014, 14:31

Inachis Vedi ultimo messaggio

Nessun messaggio da leggere  
NORME PER I COLLABORATORI DEL FORUM

 
 

Velvet Ant

0

672099

02/06/2011, 12:05

Velvet Ant Vedi ultimo messaggio

Nessun messaggio da leggere
Allegato(i)
NORME PER GLI UTENTI DEL FORUM

[ Vai alla paginaVai alla pagina: 1, 2, 3 ]



 
 

Velvet Ant

30

3733461

23/09/2014, 23:54

Maurizio Bollino Vedi ultimo messaggio

Questo argomento è bloccato, non puoi modificare o inviare ulteriori messaggi.  
Elenco delle specie italiane di Cerambycidae presenti sul forum
Cerambycidae


 
Coleoptera

Plagionotus

0

6426

22/11/2010, 22:28

Plagionotus Vedi ultimo messaggio

Nessun messaggio da leggere  
Lista degli utenti del "Forum entomologi italiani" per campi di interesse e specializzazione

 
Altri Ordini di Insetti

Velvet Ant

13

1129451

07/09/2023, 17:14

Roberto-07 Vedi ultimo messaggio

Argomenti
Nessun messaggio da leggere
Cerambyx welensii (Küster, 1845) - Cerambycidae
24.VIII.2016 - ITALIA - Toscana - GR
Allegato(i) Dettagli della specie
Cerambyx welensii (Küster, 1845)
Cerambycidae


24.VIII.2016 - ITALIA - Toscana - GR
Coleoptera

skip

4

1508

24/08/2016, 22:33

skip Vedi ultimo messaggio

Nessun messaggio da leggere
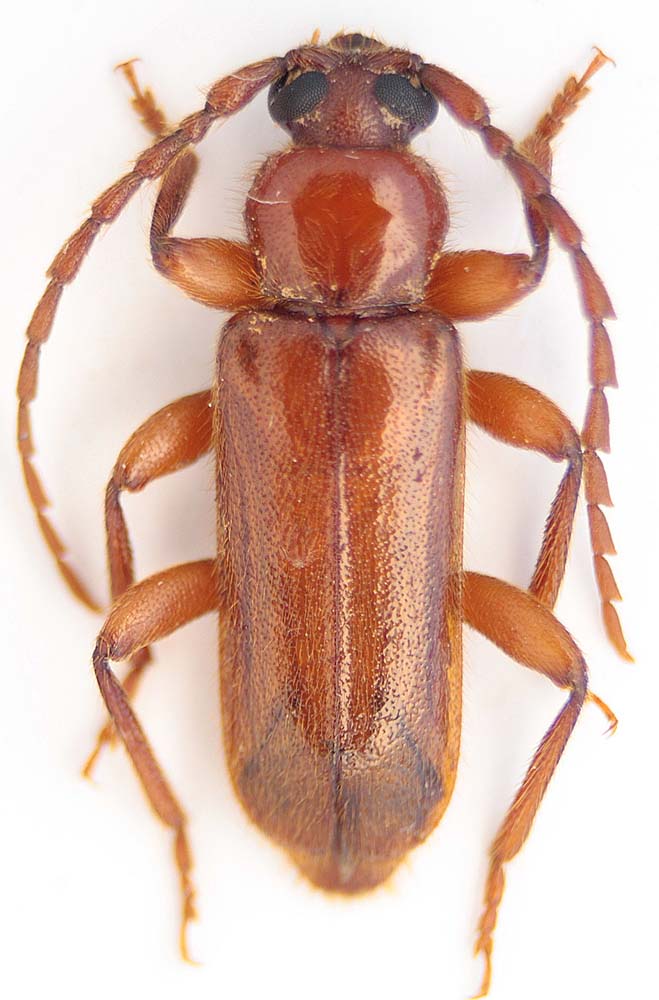
Trichoferus holosericeus (Rossi, 1790) - Cerambycidae
15.VII.2016 - ITALIA - Lombardia - BS
Allegato(i) Dettagli della specie
Trichoferus holosericeus (Rossi, 1790)
Cerambycidae


15.VII.2016 - ITALIA - Lombardia - BS
Coleoptera

Rothari

4

1455

24/08/2016, 16:49

Rothari Vedi ultimo messaggio

Nessun messaggio da leggere
Chlorophorus glabromaculatus (Goeze, 1777) - Cerambycidae
14.VIII.2016 - ITALIA - Umbria - PG
Allegato(i) Dettagli della specie
Chlorophorus glabromaculatus (Goeze, 1777)
Cerambycidae


14.VIII.2016 - ITALIA - Umbria - PG
Coleoptera

Angelo2

8

2007

20/08/2016, 17:56

Angelo2 Vedi ultimo messaggio

Nessun messaggio da leggere
Arhopalus sp. - Cerambycidae
18.VIII.2016 - ITALIA - Trentino-Alto Adige - TN
Allegato(i)
Arhopalus sp. - Cerambycidae
Cerambycidae


18.VIII.2016 - ITALIA - Trentino-Alto Adige - TN
Coleoptera

gigilmozzi

3

1417

20/08/2016, 12:48

Plagionotus Vedi ultimo messaggio

Nessun messaggio da leggere
Chlorophorus sartor (O. F. Müller, 1766) - Cerambycidae
4.VII.2015 - ITALIA - Sicilia - ME
Allegato(i) Dettagli della specie
Chlorophorus sartor (O. F. Müller, 1766)
Cerambycidae


4.VII.2015 - ITALIA - Sicilia - ME
Coleoptera

skapc66

2

1395

19/08/2016, 15:33

Lucanus tetraodon Vedi ultimo messaggio

Nessun messaggio da leggere
Exocentrus punctipennis Mulsant & Guillebeau, 1856 - Cerambycidae
6.VIII.2016 - ITALIA - Lombardia - BS
Allegato(i) Dettagli della specie
Exocentrus punctipennis Mulsant & Guillebeau, 1856
Cerambycidae


6.VIII.2016 - ITALIA - Lombardia - BS
Coleoptera

Livio

2

1408

19/08/2016, 9:43

Livio Vedi ultimo messaggio

Nessun messaggio da leggere
Allegato(i) Dettagli della specie
Trichoferus fasciculatus fasciculatus (Faldermann, 1837)
Cerambycidae


14.VIII.2016 - ITALIA - Sicilia - TP
Coleoptera

angelo.ditta

2

1482

14/08/2016, 18:02

angelo.ditta Vedi ultimo messaggio

Nessun messaggio da leggere
Acanthocinus griseus (Fabricius, 1792) - Cerambycidae
11.VIII.2016 - ITALIA - Lazio - FR
Allegato(i) Dettagli della specie
Acanthocinus griseus (Fabricius, 1792)
Cerambycidae


11.VIII.2016 - ITALIA - Lazio - FR
Coleoptera

Julodis

5

2455

13/08/2016, 21:33

Julodis Vedi ultimo messaggio

Nessun messaggio da leggere
Anastrangalia dubia dubia (Scopoli, 1763) cf. - Cerambycidae
29.VI.2015 - ITALIA - Lombardia - SO
Allegato(i) Dettagli della specie
Anastrangalia dubia dubia (Scopoli, 1763) cf.
Cerambycidae


29.VI.2015 - ITALIA - Lombardia - SO
Coleoptera

skip

3

1585

12/08/2016, 16:52

skip Vedi ultimo messaggio

Nessun messaggio da leggere
Stenopterus rufus rufus (Linnaeus, 1767) - Cerambycidae
4.VI.2016 - ITALIA - Lazio - RI
Allegato(i) Dettagli della specie
Stenopterus rufus rufus (Linnaeus, 1767)
Cerambycidae


4.VI.2016 - ITALIA - Lazio - RI
Coleoptera

wgliinsetti

6

2173

11/08/2016, 23:04

wgliinsetti Vedi ultimo messaggio

Nessun messaggio da leggere
Anastrangalia dubia dubia (Scopoli, 1763) - Cerambycidae
29.VI.2015 - ITALIA - Lombardia - SO
Allegato(i) Dettagli della specie
Anastrangalia dubia dubia (Scopoli, 1763)
Cerambycidae


29.VI.2015 - ITALIA - Lombardia - SO
Coleoptera

skip

5

2139

10/08/2016, 9:16

skip Vedi ultimo messaggio

Nessun messaggio da leggere
Purpuricenus (Purpuricenus) globulicollis Dejean, 1839 - Cerambycidae
7.VIII.2016 - ITALIA - Trentino-Alto Adige - TN
Allegato(i) Dettagli della specie
Purpuricenus (Purpuricenus) globulicollis Dejean, 1839
Cerambycidae


7.VIII.2016 - ITALIA - Trentino-Alto Adige - TN
Coleoptera

Pippistrello

3

1656

09/08/2016, 22:03

Pippistrello Vedi ultimo messaggio

Nessun messaggio da leggere
Monochamus galloprovincialis (Olivier, 1795) - Cerambycidae
8.VIII.2016 - ITALIA - Friuli-Venezia Giulia - PN
Allegato(i) Dettagli della specie
Monochamus galloprovincialis (Olivier, 1795)
Cerambycidae


8.VIII.2016 - ITALIA - Friuli-Venezia Giulia - PN
Coleoptera

andreah

2

1390

09/08/2016, 17:57

andreah Vedi ultimo messaggio

Nessun messaggio da leggere
Pachytodes cerambyciformis (Schrank, 1781) - Cerambycidae
29.VII.2016 - ITALIA - Trentino-Alto Adige - BZ
Allegato(i) Dettagli della specie
Pachytodes cerambyciformis (Schrank, 1781)
Cerambycidae


29.VII.2016 - ITALIA - Trentino-Alto Adige - BZ
Coleoptera

coneshell

3

1351

09/08/2016, 11:52

coneshell Vedi ultimo messaggio

Nessun messaggio da leggere
Allegato(i)
Stenocorus auricomus Reitter, 1890 - Cerambycidae

12.VI.2016 - TURCHIA - EE
Coleoptera

Baris99

7

1740

05/08/2016, 16:17

Baris99 Vedi ultimo messaggio

Nessun messaggio da leggere
Stenurella melanura (Linnaeus, 1758) - Cerambycidae
5.VIII.2016 - ITALIA - Friuli-Venezia Giulia - PN
Allegato(i) Dettagli della specie
Stenurella melanura (Linnaeus, 1758)
Cerambycidae


5.VIII.2016 - ITALIA - Friuli-Venezia Giulia - PN
Coleoptera

andreah

2

1093

05/08/2016, 10:32

andreah Vedi ultimo messaggio

Nessun messaggio da leggere
Stictoleptura rubra rubra (Linnaeus, 1758) - Cerambycidae
4.VIII.2016 - ITALIA - Friuli-Venezia Giulia - PN
Allegato(i) Dettagli della specie
Stictoleptura rubra rubra (Linnaeus, 1758)
Cerambycidae


4.VIII.2016 - ITALIA - Friuli-Venezia Giulia - PN
Coleoptera

andreah

2

1260

04/08/2016, 18:52

andreah Vedi ultimo messaggio

Nessun messaggio da leggere
Icosium tomentosum atticum Ganglbauer, 1882 - Cerambycidae
28.VII.2016 - ITALIA - Basilicata - MT
Allegato(i) Dettagli della specie
Icosium tomentosum atticum Ganglbauer, 1882
Cerambycidae


28.VII.2016 - ITALIA - Basilicata - MT
Coleoptera

donatol

4

1887

04/08/2016, 17:05

donatol Vedi ultimo messaggio

Nessun messaggio da leggere
Anastrangalia dubia dubia (Scopoli, 1763) - Cerambycidae
5.VI.2005 - ITALIA - Trentino-Alto Adige - TN
Allegato(i) Dettagli della specie
Anastrangalia dubia dubia (Scopoli, 1763)
Cerambycidae


5.VI.2005 - ITALIA - Trentino-Alto Adige - TN
Coleoptera

Andrea Pergine

2

1560

03/08/2016, 19:48

Andrea Pergine Vedi ultimo messaggio

Nessun messaggio da leggere
Pseudosphegesthes cinerea (Laporte & Gory, 1836) - Cerambycidae
2.VIII.2016 - ITALIA - Emilia-Romagna - FE
Allegato(i) Dettagli della specie
Pseudosphegesthes cinerea (Laporte & Gory, 1836)
Cerambycidae


2.VIII.2016 - ITALIA - Emilia-Romagna - FE
Coleoptera

Daniele Maccapani

10

3528

03/08/2016, 19:30

Daniele Maccapani Vedi ultimo messaggio

Nessun messaggio da leggere
Allegato(i) Dettagli della specie
Xylotrechus (Xylotrechus) arvicola (Olivier, 1795)
Cerambycidae


30.VII.2016 - ITALIA - Sicilia - ME
Coleoptera

skapc66

5

2145

03/08/2016, 15:41

skapc66 Vedi ultimo messaggio

Nessun messaggio da leggere
Stictoleptura rubra rubra (Linnaeus, 1758) - Cerambycidae
24.VII.2016 - ITALIA - Trentino-Alto Adige - BZ
Allegato(i) Dettagli della specie
Stictoleptura rubra rubra (Linnaeus, 1758)
Cerambycidae


24.VII.2016 - ITALIA - Trentino-Alto Adige - BZ
Coleoptera

coneshell

1

1111

02/08/2016, 22:08

michele.carraretto Vedi ultimo messaggio

Nessun messaggio da leggere
Tetropium castaneum (Linnaeus, 1758) - Cerambycidae
6.VII.2016 - ITALIA - Trentino-Alto Adige - TN
Allegato(i) Dettagli della specie
Tetropium castaneum (Linnaeus, 1758)
Cerambycidae


6.VII.2016 - ITALIA - Trentino-Alto Adige - TN
Coleoptera

gigilmozzi

2

1403

02/08/2016, 20:43

gigilmozzi Vedi ultimo messaggio

Nessun messaggio da leggere
Dinoptera (Dinoptera) collaris (Linnaeus, 1758) - Cerambycidae
24.VII.2016 - ITALIA - Trentino-Alto Adige - BZ
Allegato(i) Dettagli della specie
Dinoptera (Dinoptera) collaris (Linnaeus, 1758)
Cerambycidae


24.VII.2016 - ITALIA - Trentino-Alto Adige - BZ
Coleoptera

coneshell

0

845

02/08/2016, 18:58

coneshell Vedi ultimo messaggio

Nessun messaggio da leggere
Chlorophorus varius varius (O. F. Müller, 1766) - Cerambycidae
29.VII.2016 - ITALIA - Trentino-Alto Adige - BZ
Allegato(i) Dettagli della specie
Chlorophorus varius varius (O. F. Müller, 1766)
Cerambycidae


29.VII.2016 - ITALIA - Trentino-Alto Adige - BZ
Coleoptera

gigilmozzi

2

1205

31/07/2016, 20:12

gigilmozzi Vedi ultimo messaggio

Nessun messaggio da leggere
Ergates faber faber (Linnaeus, 1760) - Cerambycidae
8.VII.2016 - ITALIA - Umbria - PG
Allegato(i) Dettagli della specie
Ergates faber faber (Linnaeus, 1760)
Cerambycidae


8.VII.2016 - ITALIA - Umbria - PG
Coleoptera

MARIO LUNA

12

3304

31/07/2016, 15:00

Plagionotus Vedi ultimo messaggio

Nessun messaggio da leggere
Allegato(i) Dettagli della specie
Alocerus moesiacus (Frivaldszky, 1837)
Cerambycidae


29.VII.2016 - BULGARIA - EE
Coleoptera

Joro

0

1106

31/07/2016, 10:41

Joro Vedi ultimo messaggio

Nessun messaggio da leggere
Leptura aurulenta Fabricius, 1792 - Cerambycidae
17.VII.2016 - ITALIA - Emilia-Romagna - FC
Allegato(i) Dettagli della specie
Leptura aurulenta Fabricius, 1792
Cerambycidae


17.VII.2016 - ITALIA - Emilia-Romagna - FC
Coleoptera

Chalybion

5

1913

31/07/2016, 10:07

Plagionotus Vedi ultimo messaggio

Nessun messaggio da leggere
Clytus arietis arietis (Linnaeus, 1758) - Cerambycidae
30.VII.2016 - ITALIA - Friuli-Venezia Giulia - PN
Allegato(i) Dettagli della specie
Clytus arietis arietis (Linnaeus, 1758)
Cerambycidae


30.VII.2016 - ITALIA - Friuli-Venezia Giulia - PN
Coleoptera

andreah

2

1204

30/07/2016, 19:05

andreah Vedi ultimo messaggio

Nessun messaggio da leggere
Plagionotus floralis (Pallas, 1773) - Cerambycidae
29.VII.2016 - ITALIA - Piemonte - AL
Allegato(i) Dettagli della specie
Plagionotus floralis (Pallas, 1773)
Cerambycidae


29.VII.2016 - ITALIA - Piemonte - AL
Coleoptera

Francesco Cassulo

2

1250

30/07/2016, 11:38

Francesco Cassulo Vedi ultimo messaggio

Nessun messaggio da leggere
Prionus coriarius (Linnaeus, 1758) - Cerambycidae
28.VII.2016 - ITALIA - Veneto - TV
Allegato(i) Dettagli della specie
Prionus coriarius (Linnaeus, 1758)
Cerambycidae


28.VII.2016 - ITALIA - Veneto - TV
Coleoptera

Sybilla

4

1701

29/07/2016, 14:25

Sybilla Vedi ultimo messaggio

Nessun messaggio da leggere
Stenopterus rufus rufus (Linnaeus, 1767) - Cerambycidae
23.VI.2016 - ITALIA - Sicilia - ME
Allegato(i) Dettagli della specie
Stenopterus rufus rufus (Linnaeus, 1767)
Cerambycidae

[ Vai alla paginaVai alla pagina: 1, 2 ]



23.VI.2016 - ITALIA - Sicilia - ME
Coleoptera

skapc66

18

5099

27/07/2016, 12:30

Plagionotus Vedi ultimo messaggio

Nessun messaggio da leggere
Acanthocinus griseus (Fabricius, 1792) - Cerambycidae
26.VII.2016 - ITALIA - Trentino-Alto Adige - TN
Allegato(i) Dettagli della specie
Acanthocinus griseus (Fabricius, 1792)
Cerambycidae


26.VII.2016 - ITALIA - Trentino-Alto Adige - TN
Coleoptera

gigilmozzi

0

1584

26/07/2016, 21:12

gigilmozzi Vedi ultimo messaggio

Nessun messaggio da leggere
Stenopterus rufus rufus (Linnaeus, 1767) - Cerambycidae
25.VII.2016 - ITALIA - Liguria - GE
Allegato(i) Dettagli della specie
Stenopterus rufus rufus (Linnaeus, 1767)
Cerambycidae


25.VII.2016 - ITALIA - Liguria - GE
Coleoptera

Antonio Pareto

1

1257

26/07/2016, 13:16

Daniele Maccapani Vedi ultimo messaggio

Nessun messaggio da leggere
Allegato(i) Dettagli della specie
Pseudosphegesthes cinerea (Laporte & Gory, 1836)
Cerambycidae

[ Vai alla paginaVai alla pagina: 1, 2 ]



29.VI.2016 - ITALIA - Toscana - GR
Coleoptera

skip

20

4984

26/07/2016, 8:28

Entomarci Vedi ultimo messaggio

Nessun messaggio da leggere
Allegato(i) Dettagli della specie
Stictoleptura cordigera cordigera (Fuessly, 1775)
Cerambycidae


23.VI.2016 - ITALIA - Sicilia - ME
Coleoptera

skapc66

7

2352

25/07/2016, 15:56

Julodis Vedi ultimo messaggio

Nessun messaggio da leggere
Allegato(i) Dettagli della specie
Xylotrechus (Xylotrechus) arvicola (Olivier, 1795)
Cerambycidae


23.VI.2016 - ITALIA - Sicilia - ME
Coleoptera

skapc66

1

1694

25/07/2016, 7:45

Julodis Vedi ultimo messaggio

Nessun messaggio da leggere
Chlorophorus trifasciatus (Fabricius, 1781) - Cerambycidae
24.VII.2016 - ITALIA - Umbria - PG
Allegato(i) Dettagli della specie
Chlorophorus trifasciatus (Fabricius, 1781)
Cerambycidae


24.VII.2016 - ITALIA - Umbria - PG
Coleoptera

andreah

1

1120

24/07/2016, 20:26

marco villa Vedi ultimo messaggio

Nessun messaggio da leggere
Pogonocherus fasciculatus (De Geer, 1775) - Cerambycidae
8.VII.2016 - ITALIA - Trentino-Alto Adige - TN
Allegato(i) Dettagli della specie
Pogonocherus fasciculatus (De Geer, 1775)
Cerambycidae


8.VII.2016 - ITALIA - Trentino-Alto Adige - TN
Coleoptera

gigilmozzi

3

1497

24/07/2016, 18:07

gigilmozzi Vedi ultimo messaggio

Nessun messaggio da leggere
Allegato(i)
Stictoleptura tripartita (Heyden, 1889) - Cerambycidae

22.VII.2016 - TURCHIA - EE
Coleoptera

Baris99

2

1166

22/07/2016, 23:52

Baris99 Vedi ultimo messaggio

Nessun messaggio da leggere
Stictoleptura rubra rubra (Linnaeus, 1758) - Cerambycidae
3.VII.2015 - ITALIA - Umbria - PG
Allegato(i) Dettagli della specie
Stictoleptura rubra rubra (Linnaeus, 1758)
Cerambycidae


3.VII.2015 - ITALIA - Umbria - PG
Coleoptera

MARIO LUNA

8

2562

21/07/2016, 23:39

Anillus Vedi ultimo messaggio

Nessun messaggio da leggere
Cerambyx miles Bonelli, 1812 - Cerambycidae
16.VII.2016 - ITALIA - Toscana - PT
Allegato(i) Dettagli della specie
Cerambyx miles Bonelli, 1812
Cerambycidae

[ Vai alla paginaVai alla pagina: 1, 2 ]



16.VII.2016 - ITALIA - Toscana - PT
Coleoptera

fabry80

15

4501

21/07/2016, 23:19

Julodis Vedi ultimo messaggio

Nessun messaggio da leggere
Allegato(i) Dettagli della specie
Agapanthia (Agapanthia) violacea (Fabricius, 1775)
Cerambycidae


29.V.2016 - ITALIA - Sicilia - CT
Coleoptera

skapc66

7

2388

19/07/2016, 20:32

f.izzillo Vedi ultimo messaggio

Nessun messaggio da leggere
Leptura aurulenta Fabricius, 1792 - Cerambycidae
VII.2016 - ITALIA - Lazio - RM
Allegato(i) Dettagli della specie
Leptura aurulenta Fabricius, 1792
Cerambycidae


VII.2016 - ITALIA - Lazio - RM
Coleoptera

Julodis

2

1554

17/07/2016, 7:36

Julodis Vedi ultimo messaggio

Nessun messaggio da leggere
Allegato(i) Dettagli della specie
Agapanthia (Epoptes) villosoviridescens (De Geer, 1775)
Cerambycidae


25.VI.2016 - ITALIA - Abruzzo - AQ
Coleoptera

Julodis

2

1403

16/07/2016, 19:44

Plagionotus Vedi ultimo messaggio

Nessun messaggio da leggere
Allegato(i) Dettagli della specie
Purpuricenus (Purpuricenus) globulicollis Dejean, 1839
Cerambycidae


VII.2016 - ITALIA - Lazio - RM
Coleoptera

Julodis

13

4001

16/07/2016, 14:56

AleP Vedi ultimo messaggio

Nessun messaggio da leggere
Allegato(i) Dettagli della specie
Agapanthia (Epoptes) villosoviridescens (De Geer, 1775)
Cerambycidae


10.VII.2016 - ITALIA - Campania - CE
Coleoptera

f.izzillo

14

4470

16/07/2016, 14:15

Plagionotus Vedi ultimo messaggio

Nessun messaggio da leggere
Aegosoma scabricorne (Scopoli, 1763) - Cerambycidae
14.VII.2016 - ITALIA - Marche - PU
Allegato(i) Dettagli della specie
Aegosoma scabricorne (Scopoli, 1763)
Cerambycidae


14.VII.2016 - ITALIA - Marche - PU
Coleoptera

marco paglialunga

1

1265

15/07/2016, 22:23

Julodis Vedi ultimo messaggio

Nessun messaggio da leggere
Morimus asper asper (Sulzer, 1776) - Cerambycidae
14.VII.2016 - ITALIA - Trentino-Alto Adige - TN
Allegato(i) Dettagli della specie
Morimus asper asper (Sulzer, 1776)
Cerambycidae


14.VII.2016 - ITALIA - Trentino-Alto Adige - TN
Coleoptera

gigilmozzi

1

1025

15/07/2016, 20:03

marco villa Vedi ultimo messaggio

Nessun messaggio da leggere
Anastrangalia dubia dubia (Scopoli, 1763) - Cerambycidae
14.VII.2016 - ITALIA - Trentino-Alto Adige - TN
Allegato(i) Dettagli della specie
Anastrangalia dubia dubia (Scopoli, 1763)
Cerambycidae


14.VII.2016 - ITALIA - Trentino-Alto Adige - TN
Coleoptera

gigilmozzi

3

1801

15/07/2016, 19:45

gigilmozzi Vedi ultimo messaggio

Visualizza ultimi argomenti:  Ordina per  Ordine:  
nuovo argomento
Vai alla pagina Precedente  1 ... 19, 20, 21, 22, 23, 24, 25 ... 94  Prossimo
Pagina 22 di 94 [ 4653 argomenti ]

Tutti gli orari sono UTC + 1 ora [ ora legale ]


Chi c’è in linea

Visitano il forum: Nessuno e 2 ospiti


Legenda
Messaggi da leggere Messaggi da leggere Nessun messaggio da leggere Nessun messaggio da leggere Annuncio Annuncio
 
Specie indeterminata / discussione generica
Messaggi non letti [ Popolari ] Messaggi non letti [ Popolari ] Nessun messaggio da leggere [ Popolare ] Nessun messaggio da leggere [ Popolare ] Importante Importante
 
Specie determinata fino al genere o cf.
Messaggi non letti [ Bloccati ] Messaggi non letti [ Bloccati ] No messaggi non letti [ Bloccati ] No messaggi non letti [ Bloccati ] Argomento spostato Argomento spostato
 
Specie correttamente determinata
Permessi
Non puoi aprire nuovi argomenti
Non puoi rispondere negli argomenti
Non puoi modificare i tuoi messaggi
Non puoi cancellare i tuoi messaggi
Non puoi inviare allegati

Cerca per:
Vai a: