Benvenuto Ospite

Forum Entomologi Italiani

www.entomologiitaliani.net/forum
 
Oggi è 24/04/2026, 7:05

Tutti gli orari sono UTC + 1 ora [ ora legale ]


92% 
2928 taxa correttamente determinati su 3182 presenti in archivio

Cerambycidae


[ AFROTROPICALE ] [ ANTARTICO ] [ AUSTRALASIANO ] [ NEARTICO ] [ NEOTROPICALE ] [ ORIENTALE ] [ PALEARTICO ]


nuovo argomento
Vai alla pagina Precedente  1 ... 21, 22, 23, 24, 25, 26, 27 ... 94  Prossimo
Pagina 24 di 94 [ 4653 argomenti ]
 Argomenti   Ordine   Autore   Risposte   Visite    Ultimo messaggio 
Annunci
Nessun messaggio da leggere
Allegato(i)
Incontri entomologici della Società Entomologica Italiana 2025-2026
 

Velvet Ant

0

50883

17/11/2025, 19:41

Velvet Ant Vedi ultimo messaggio

Nessun messaggio da leggere
Allegato(i)
Incontri entomologici telematici organizzati dalla Società Entomologica Italiana nel 2022 e nel 2023

[ Vai alla paginaVai alla pagina: 1, 2, 3 ]

 

Velvet Ant

44

2016886

03/03/2023, 15:55

Velvet Ant Vedi ultimo messaggio

Nessun messaggio da leggere  
Allegato(i)
Sondaggio sul declino dell'entomofauna in Italia

[ Vai alla paginaVai alla pagina: 1, 2, 3, 4 ]

 

Velvet Ant

52

2690204

22/10/2022, 19:18

Acquarius Vedi ultimo messaggio

Nessun messaggio da leggere  
Allegato(i)
Progetto: Bibliografia ragionata dei lavori entomologici nei quali sono citati reperti apparsi su FEI

[ Vai alla paginaVai alla pagina: 1, 2, 3 ]

 

Velvet Ant

33

1618375

06/07/2023, 18:31

Orotrechus Vedi ultimo messaggio

Nessun messaggio da leggere
Allegato(i)
Mimesi, il primo documentario cinematografico sull’entomologia in Italia: casting
 

mazzeip

1

1139516

28/02/2019, 20:26

mazzeip Vedi ultimo messaggio

Questo argomento è bloccato, non puoi modificare o inviare ulteriori messaggi.
Allegato(i)
ISTRUZIONI PUBBLICAZIONE NUOVI ARGOMENTI E FOTO

 
Altri Ordini di Insetti

Julodis

4

2957369

13/05/2015, 19:37

Julodis Vedi ultimo messaggio

Nessun messaggio da leggere
Allegato(i)
Limitatore giornaliero di messaggi, uno strumento utile e ormai indispensabile

[ Vai alla paginaVai alla pagina: 1 ... 14, 15, 16 ]

 

Velvet Ant

233

13833384

25/09/2014, 14:31

Inachis Vedi ultimo messaggio

Nessun messaggio da leggere  
NORME PER I COLLABORATORI DEL FORUM

 
 

Velvet Ant

0

672143

02/06/2011, 12:05

Velvet Ant Vedi ultimo messaggio

Nessun messaggio da leggere
Allegato(i)
NORME PER GLI UTENTI DEL FORUM

[ Vai alla paginaVai alla pagina: 1, 2, 3 ]



 
 

Velvet Ant

30

3733714

23/09/2014, 23:54

Maurizio Bollino Vedi ultimo messaggio

Questo argomento è bloccato, non puoi modificare o inviare ulteriori messaggi.  
Elenco delle specie italiane di Cerambycidae presenti sul forum
Cerambycidae


 
Coleoptera

Plagionotus

0

6426

22/11/2010, 22:28

Plagionotus Vedi ultimo messaggio

Nessun messaggio da leggere  
Lista degli utenti del "Forum entomologi italiani" per campi di interesse e specializzazione

 
Altri Ordini di Insetti

Velvet Ant

13

1129657

07/09/2023, 17:14

Roberto-07 Vedi ultimo messaggio

Argomenti
Nessun messaggio da leggere
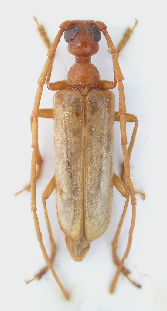
Oberea (Oberea) oculata (Linnaeus, 1758) - Cerambycidae
28.V.2016 - ITALIA - Lombardia - CO
Allegato(i) Dettagli della specie
Oberea (Oberea) oculata (Linnaeus, 1758)
Cerambycidae


28.V.2016 - ITALIA - Lombardia - CO
Coleoptera

Xylotrechus

2

1075

02/06/2016, 12:00

AleP Vedi ultimo messaggio

Nessun messaggio da leggere
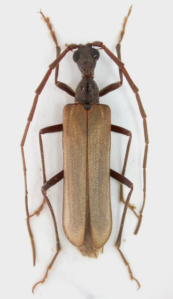
Stenopterus rufus rufus (Linnaeus, 1767) - Cerambycidae
29.V.2016 - ITALIA - Lazio - RM
Allegato(i) Dettagli della specie
Stenopterus rufus rufus (Linnaeus, 1767)
Cerambycidae


29.V.2016 - ITALIA - Lazio - RM
Coleoptera

Edo

4

1405

30/05/2016, 19:23

Edo Vedi ultimo messaggio

Nessun messaggio da leggere
Oberea (Amaurostoma) euphorbiae (Germar, 1813) - Cerambycidae
V.2016 - ITALIA - Emilia-Romagna - RA
Allegato(i) Dettagli della specie
Oberea (Amaurostoma) euphorbiae (Germar, 1813)
Cerambycidae


V.2016 - ITALIA - Emilia-Romagna - RA
Coleoptera

marco villa

5

2226

28/05/2016, 18:58

marco villa Vedi ultimo messaggio

Nessun messaggio da leggere
Allegato(i) Dettagli della specie
Ropalopus (Ropalopus) siculus (Stierlin, 1864)
Cerambycidae


12.V.2016 - ITALIA - Sicilia - PA
Coleoptera

Entomarci

11

3090

26/05/2016, 22:18

Plagionotus Vedi ultimo messaggio

Nessun messaggio da leggere
Anaesthetis testacea testacea (Fabricius, 1781) - Cerambycidae
21.V.2016 - ITALIA - Lombardia - BG
Allegato(i) Dettagli della specie
Anaesthetis testacea testacea (Fabricius, 1781)
Cerambycidae


21.V.2016 - ITALIA - Lombardia - BG
Coleoptera

Livio

3

1619

25/05/2016, 21:13

Livio Vedi ultimo messaggio

Nessun messaggio da leggere
Allegato(i) Dettagli della specie
Agapanthia (Agapanthia) violacea (Fabricius, 1775)
Cerambycidae


15.V.2016 - ITALIA - Sicilia - CT
Coleoptera

skapc66

2

1322

25/05/2016, 15:29

skapc66 Vedi ultimo messaggio

Nessun messaggio da leggere
Leiopus nebulosus nebulosus (Linnaeus, 1758) - Cerambycidae
8.V.2016 - ITALIA - Campania - NA
Allegato(i) Dettagli della specie
Leiopus nebulosus nebulosus (Linnaeus, 1758)
Cerambycidae


8.V.2016 - ITALIA - Campania - NA
Coleoptera

clido

6

2083

25/05/2016, 9:21

clido Vedi ultimo messaggio

Nessun messaggio da leggere
Allegato(i) Dettagli della specie
Dorcadion (Pedestredorcadion) arenarium marsicanum Fracassi, 1905
Cerambycidae


18.IV.2015 - ITALIA - Lazio - RM
Coleoptera

babunco

7

2579

21/05/2016, 20:38

Plagionotus Vedi ultimo messaggio

Nessun messaggio da leggere
Allegato(i) Dettagli della specie
Agapanthia (Epoptes) villosoviridescens (De Geer, 1775)
Cerambycidae


8.V.2016 - ITALIA - Piemonte - NO
Coleoptera

Magma

2

1632

20/05/2016, 13:26

Magma Vedi ultimo messaggio

Nessun messaggio da leggere
Saperda punctata (Linnaeus, 1767) - Cerambycidae
12.V.2014 - ITALIA - Marche - AN
Allegato(i) Dettagli della specie
Saperda punctata (Linnaeus, 1767)
Cerambycidae


12.V.2014 - ITALIA - Marche - AN
Coleoptera

StagBeetle

7

2166

19/05/2016, 14:19

Plagionotus Vedi ultimo messaggio

Nessun messaggio da leggere
Mesosa nebulosa nebulosa (Fabricius, 1781) - Cerambycidae
12.V.2014 - ITALIA - Marche - MC
Allegato(i) Dettagli della specie
Mesosa nebulosa nebulosa (Fabricius, 1781)
Cerambycidae


12.V.2014 - ITALIA - Marche - MC
Coleoptera

StagBeetle

1

1129

18/05/2016, 21:43

AleP Vedi ultimo messaggio

Nessun messaggio da leggere
Herophila tristis tristis (Linnaeus, 1767) - Cerambycidae
10.V.2016 - ITALIA - Campania - AV
Allegato(i) Dettagli della specie
Herophila tristis tristis (Linnaeus, 1767)
Cerambycidae


10.V.2016 - ITALIA - Campania - AV
Coleoptera

macrocaccia

1

1078

18/05/2016, 21:15

Plagionotus Vedi ultimo messaggio

Nessun messaggio da leggere
Deroplia genei genei (Aragona, 1830) - Cerambycidae
26.IV.2016 - ITALIA - Toscana - GR
Allegato(i) Dettagli della specie
Deroplia genei genei (Aragona, 1830)
Cerambycidae


26.IV.2016 - ITALIA - Toscana - GR
Coleoptera

Chalybion

1

1193

17/05/2016, 20:51

marco villa Vedi ultimo messaggio

Nessun messaggio da leggere
Deroplia troberti troberti (Mulsant, 1843) - Cerambycidae
26.IV.2016 - ITALIA - Toscana - GR
Allegato(i) Dettagli della specie
Deroplia troberti troberti (Mulsant, 1843)
Cerambycidae


26.IV.2016 - ITALIA - Toscana - GR
Coleoptera

Chalybion

1

1151

17/05/2016, 20:47

marco villa Vedi ultimo messaggio

Nessun messaggio da leggere
Allegato(i) Dettagli della specie
Agapanthia (Agapanthia) suturalis (Fabricius, 1787) cf.
Cerambycidae


26.IV.2016 - ITALIA - Toscana - GR
Coleoptera

Chalybion

8

2933

17/05/2016, 18:50

hypotyphlus Vedi ultimo messaggio

Nessun messaggio da leggere
Oberea (Amaurostoma) euphorbiae (Germar, 1813) - Cerambycidae
15.V.2016 - ITALIA - Emilia-Romagna - FE
Allegato(i) Dettagli della specie
Oberea (Amaurostoma) euphorbiae (Germar, 1813)
Cerambycidae


15.V.2016 - ITALIA - Emilia-Romagna - FE
Coleoptera

Daniele Maccapani

5

2052

17/05/2016, 17:02

Daniele Maccapani Vedi ultimo messaggio

Nessun messaggio da leggere
Asemum tenuicorne Kraatz, 1879 - Cerambycidae
29.IV.2016 - ITALIA - Emilia-Romagna - RA
Allegato(i) Dettagli della specie
Asemum tenuicorne Kraatz, 1879
Cerambycidae


29.IV.2016 - ITALIA - Emilia-Romagna - RA
Coleoptera

Carlo A.

11

3679

15/05/2016, 21:55

Julodis Vedi ultimo messaggio

Nessun messaggio da leggere
Phytoecia virgula (Charpentier, 1825) - Cerambycidae
14.V.2016 - ITALIA - Emilia-Romagna - RA
Allegato(i) Dettagli della specie
Phytoecia virgula (Charpentier, 1825)
Cerambycidae


14.V.2016 - ITALIA - Emilia-Romagna - RA
Coleoptera

marco villa

5

1713

15/05/2016, 16:56

Plagionotus Vedi ultimo messaggio

Nessun messaggio da leggere
Opsilia coerulescens (Scopoli, 1763) - Cerambycidae
8.V.2016 - ITALIA - Emilia-Romagna - RA
Allegato(i) Dettagli della specie
Opsilia coerulescens (Scopoli, 1763)
Cerambycidae


8.V.2016 - ITALIA - Emilia-Romagna - RA
Coleoptera

marco villa

0

1442

11/05/2016, 16:14

marco villa Vedi ultimo messaggio

Nessun messaggio da leggere
Allegato(i) Dettagli della specie
Agapanthia (Epoptes) villosoviridescens (De Geer, 1775)
Cerambycidae


1.V.2016 - ITALIA - Lazio - RM
Coleoptera

Edo

3

1276

11/05/2016, 15:33

marco villa Vedi ultimo messaggio

Nessun messaggio da leggere
Allegato(i) Dettagli della specie
Plagionotus detritus detritus (Linnaeus, 1758)
Cerambycidae


7.V.2016 - ITALIA - Piemonte - BI
Coleoptera

aug

1

1176

08/05/2016, 19:03

Tc70 Vedi ultimo messaggio

Nessun messaggio da leggere
Allegato(i)
Cortodera femorata (Fabricius, 1787) (cf.) - Cerambycidae

2.V.2016 - ROMANIA - EE
Coleoptera

alexaandru

1

1048

03/05/2016, 11:07

alexaandru Vedi ultimo messaggio

Nessun messaggio da leggere
Agapanthia (Epoptes) cynarae (Germar, 1817) - Cerambycidae
15.IV.2016 - ITALIA - Basilicata - MT
Allegato(i) Dettagli della specie
Agapanthia (Epoptes) cynarae (Germar, 1817)
Cerambycidae


15.IV.2016 - ITALIA - Basilicata - MT
Coleoptera

donatol

10

3240

02/05/2016, 14:09

donatol Vedi ultimo messaggio

Nessun messaggio da leggere
Clytus arietis arietis (Linnaeus, 1758) - Cerambycidae
15.IV.2016 - ITALIA - Lombardia - BG
Allegato(i) Dettagli della specie
Clytus arietis arietis (Linnaeus, 1758)
Cerambycidae


15.IV.2016 - ITALIA - Lombardia - BG
Coleoptera

Giuseppe Zanetti

4

1508

01/05/2016, 9:12

Giuseppe Zanetti Vedi ultimo messaggio

Nessun messaggio da leggere
Allegato(i) Dettagli della specie
Agapanthia (Agapanthia) cardui (Linnaeus, 1767) cf.
Cerambycidae


20.IV.2016 - ITALIA - Lazio - RM
Coleoptera

Edo

8

2217

27/04/2016, 19:01

Edo Vedi ultimo messaggio

Nessun messaggio da leggere
Mesosa nebulosa nebulosa (Fabricius, 1781) - Cerambycidae
27.IV.2016 - ITALIA - Lombardia - LC
Allegato(i) Dettagli della specie
Mesosa nebulosa nebulosa (Fabricius, 1781)
Cerambycidae


27.IV.2016 - ITALIA - Lombardia - LC
Coleoptera

sala alfio

2

1252

27/04/2016, 15:07

sala alfio Vedi ultimo messaggio

Nessun messaggio da leggere
Stenhomalus (Obriopsis) bicolor (Kraatz, 1862) - Cerambycidae
10.IV.2016 - ITALIA - Abruzzo - PE
Allegato(i) Dettagli della specie
Stenhomalus (Obriopsis) bicolor (Kraatz, 1862)
Cerambycidae


10.IV.2016 - ITALIA - Abruzzo - PE
Coleoptera

Alessio89

4

1483

22/04/2016, 22:34

Alessio89 Vedi ultimo messaggio

Nessun messaggio da leggere
Allegato(i) Dettagli della specie
Dorcadion (Pedestredorcadion) arenarium marsicanum Fracassi, 1905
Cerambycidae


16.IV.2016 - ITALIA - Marche - PU
Coleoptera

StagBeetle

4

1364

17/04/2016, 21:10

StagBeetle Vedi ultimo messaggio

Nessun messaggio da leggere
Allegato(i) Dettagli della specie
Agapanthia (Epoptes) sicula sicula Ganglbauer, 1884
Cerambycidae


IV.2016 - ITALIA - Sicilia - SR
Coleoptera

Brachytron84

2

1072

17/04/2016, 12:25

Brachytron84 Vedi ultimo messaggio

Nessun messaggio da leggere
Lamia textor (Linnaeus, 1758) - Cerambycidae
14.IV.2016 - ITALIA - Trentino-Alto Adige - BZ
Allegato(i) Dettagli della specie
Lamia textor (Linnaeus, 1758)
Cerambycidae


14.IV.2016 - ITALIA - Trentino-Alto Adige - BZ
Coleoptera

gigilmozzi

2

1396

14/04/2016, 22:53

gigilmozzi Vedi ultimo messaggio

Nessun messaggio da leggere
Allegato(i)
Amarysius cf. altajensis coreanus (Okamoto, 1924)

MONGOLIA - EE
Coleoptera

Orish

9

2235

06/04/2016, 1:17

Phytoecia Vedi ultimo messaggio

Nessun messaggio da leggere
Allegato(i)
Anastrangalia montana montana Mulsant & Rey, 1863 - Cerambycidae
Cerambycidae


2.VII.2015 - TURCHIA - EE
Coleoptera

Baris99

7

1745

19/03/2016, 17:11

Baris99 Vedi ultimo messaggio

Nessun messaggio da leggere
Allegato(i) Dettagli della specie
Xylotrechus (Xylotrechus) arvicola (Olivier, 1795)
Cerambycidae


10.VI.2004 - ITALIA - Sicilia - ME
Coleoptera

claudio sola

2

1085

15/03/2016, 23:14

claudio sola Vedi ultimo messaggio

Nessun messaggio da leggere
Cerambyx miles Bonelli, 1812 - Cerambycidae
6.VII.2015 - ITALIA - Basilicata - PZ
Allegato(i) Dettagli della specie
Cerambyx miles Bonelli, 1812
Cerambycidae


6.VII.2015 - ITALIA - Basilicata - PZ
Coleoptera

Mimmo011

13

3155

13/03/2016, 11:30

Plagionotus Vedi ultimo messaggio

Nessun messaggio da leggere
Allegato(i)
Deroplia albida (Brullé, 1839) ♂ - Cerambyciddae Lamiinae Desmiphorini

19.I.2016 - SPAGNA - EE
Coleoptera

Elena Regina

5

1461

11/03/2016, 21:51

zdeno Vedi ultimo messaggio

Nessun messaggio da leggere
Allegato(i) Dettagli della specie
Purpuricenus (Purpuricenus) kaehleri kaehleri (Linnaeus, 1758)
Cerambycidae


23.VII.2015 - ITALIA - Basilicata - PZ
Coleoptera

Mimmo011

13

3105

11/03/2016, 18:46

Entomarci Vedi ultimo messaggio

Nessun messaggio da leggere
Aegomorphus obscurior Pic, 1904 - Cerambycidae
28.IX.2009 - POLONIA - EE
Allegato(i)
Aegomorphus obscurior Pic, 1904 - Cerambycidae
Cerambycidae


28.IX.2009 - POLONIA - EE
Coleoptera

Uncle Adam

13

5303

10/03/2016, 0:35

Uncle Adam Vedi ultimo messaggio

Nessun messaggio da leggere
Chlorophorus trifasciatus (Fabricius, 1781) - Cerambycidae
23.VII.2015 - ITALIA - Basilicata - PZ
Allegato(i) Dettagli della specie
Chlorophorus trifasciatus (Fabricius, 1781)
Cerambycidae


23.VII.2015 - ITALIA - Basilicata - PZ
Coleoptera

Mimmo011

4

1780

08/03/2016, 11:51

saperda Vedi ultimo messaggio

Nessun messaggio da leggere
Allegato(i) Dettagli della specie
Isotomus speciosus barbarae Sama, 1977
Cerambycidae

[ Vai alla paginaVai alla pagina: 1, 2 ]



V.2008 - ITALIA - Lazio - RM
Coleoptera

Julodis

27

4819

08/03/2016, 9:54

Plagionotus Vedi ultimo messaggio

Nessun messaggio da leggere
Vesperus brevicollis Graells, 1858 - Cerambycidae
23.VIII.2008 - SPAGNA - EE
Allegato(i)
Vesperus brevicollis Graells, 1858 - Cerambycidae

23.VIII.2008 - SPAGNA - EE
Coleoptera

Fumea crassiorella

2

1036

05/03/2016, 23:04

Fumea crassiorella Vedi ultimo messaggio

Nessun messaggio da leggere
Allegato(i)
Agapanthia (Agapanthia) izzilloi Rapuzzi, Sama & Kotán 2013 - Cerambycidae - Paratypus

[ Vai alla paginaVai alla pagina: 1, 2, 3 ]



2.V.2012 - GRECIA - EE
Coleoptera

f.izzillo

31

6295

04/03/2016, 18:54

f.izzillo Vedi ultimo messaggio

Nessun messaggio da leggere
Semanotus russicus (Fabricius, 1777) - Cerambycidae
29.III.2014 - ITALIA - Emilia-Romagna - RA
Allegato(i) Dettagli della specie
Semanotus russicus (Fabricius, 1777)
Cerambycidae


29.III.2014 - ITALIA - Emilia-Romagna - RA
Coleoptera

marco villa

14

3593

04/03/2016, 18:44

marco villa Vedi ultimo messaggio

Nessun messaggio da leggere
Allegato(i)
Vesperus aragonicus Baraud, 1964 - Cerambycidae

VII.2011 - SPAGNA - EE
Coleoptera

Fumea crassiorella

1

947

04/03/2016, 13:48

hypotyphlus Vedi ultimo messaggio

Nessun messaggio da leggere
Vesperus xatarti Mulsant, 1839 - Cerambycidae
25.XI.2006 - SPAGNA - EE
Allegato(i)
Vesperus xatarti Mulsant, 1839 - Cerambycidae

25.XI.2006 - SPAGNA - EE
Coleoptera

Fumea crassiorella

2

1128

03/03/2016, 22:07

Entomarci Vedi ultimo messaggio

Nessun messaggio da leggere
Allegato(i) Dettagli della specie
Agapanthia (Agapanthia) violacea (Fabricius, 1775)
Cerambycidae


10.V.2015 - BULGARIA - EE
Coleoptera

matthew gandy

6

2365

01/03/2016, 2:51

mcer Vedi ultimo messaggio

Nessun messaggio da leggere
Ropalopus (Ropalopus) clavipes (Fabricius, 1775) - Cerambycidae
I.2016 - ITALIA - Emilia-Romagna - RA
Allegato(i) Dettagli della specie
Ropalopus (Ropalopus) clavipes (Fabricius, 1775)
Cerambycidae

[ Vai alla paginaVai alla pagina: 1, 2 ]



I.2016 - ITALIA - Emilia-Romagna - RA
Coleoptera

marco villa

16

4048

26/02/2016, 17:43

AleP Vedi ultimo messaggio

Nessun messaggio da leggere
Allegato(i)
Coptosia georgiana Navratil et Rozsival, 2016 - Cerambycidae

21.V.2015 - GEORGIA - EE
Coleoptera

Dave

14

4229

25/02/2016, 13:53

Phytoecia Vedi ultimo messaggio

Nessun messaggio da leggere
Cerambyx cerdo cerdo Linnaeus, 1758 - Cerambycidae
7.VI.2015 - ITALIA - Lombardia - BS
Allegato(i) Dettagli della specie
Cerambyx cerdo cerdo Linnaeus, 1758
Cerambycidae

[ Vai alla paginaVai alla pagina: 1, 2 ]



7.VI.2015 - ITALIA - Lombardia - BS
Coleoptera

Livio

18

4333

23/02/2016, 7:52

Julodis Vedi ultimo messaggio

Nessun messaggio da leggere
Allegato(i) Dettagli della specie
Anaesthetis testacea testacea (Fabricius, 1781)
Cerambycidae


19.III.2008 - TURCHIA - EE
Coleoptera

Julodis

3

1428

17/02/2016, 23:38

Entomarci Vedi ultimo messaggio

Nessun messaggio da leggere
Deroplia albida Brullè, 1839
28.I.2016 - SPAGNA - EE
Allegato(i)
Deroplia albida Brullè, 1839
Cerambycidae


28.I.2016 - SPAGNA - EE
Coleoptera

Chalybion

6

1488

15/02/2016, 11:49

Chalybion Vedi ultimo messaggio

Visualizza ultimi argomenti:  Ordina per  Ordine:  
nuovo argomento
Vai alla pagina Precedente  1 ... 21, 22, 23, 24, 25, 26, 27 ... 94  Prossimo
Pagina 24 di 94 [ 4653 argomenti ]

Tutti gli orari sono UTC + 1 ora [ ora legale ]


Chi c’è in linea

Visitano il forum: Nessuno e 10 ospiti


Legenda
Messaggi da leggere Messaggi da leggere Nessun messaggio da leggere Nessun messaggio da leggere Annuncio Annuncio
 
Specie indeterminata / discussione generica
Messaggi non letti [ Popolari ] Messaggi non letti [ Popolari ] Nessun messaggio da leggere [ Popolare ] Nessun messaggio da leggere [ Popolare ] Importante Importante
 
Specie determinata fino al genere o cf.
Messaggi non letti [ Bloccati ] Messaggi non letti [ Bloccati ] No messaggi non letti [ Bloccati ] No messaggi non letti [ Bloccati ] Argomento spostato Argomento spostato
 
Specie correttamente determinata
Permessi
Non puoi aprire nuovi argomenti
Non puoi rispondere negli argomenti
Non puoi modificare i tuoi messaggi
Non puoi cancellare i tuoi messaggi
Non puoi inviare allegati

Cerca per:
Vai a: