Benvenuto Ospite

Forum Entomologi Italiani

www.entomologiitaliani.net/forum
 
Oggi è 23/04/2026, 17:09

Tutti gli orari sono UTC + 1 ora [ ora legale ]


92% 
2928 taxa correttamente determinati su 3182 presenti in archivio

Cerambycidae


[ AFROTROPICALE ] [ ANTARTICO ] [ AUSTRALASIANO ] [ NEARTICO ] [ NEOTROPICALE ] [ ORIENTALE ] [ PALEARTICO ]


nuovo argomento
Vai alla pagina Precedente  1, 2, 3, 4, 5, 6, 7 ... 94  Prossimo
Pagina 4 di 94 [ 4653 argomenti ]
 Argomenti   Ordine   Autore   Risposte   Visite    Ultimo messaggio 
Annunci
Nessun messaggio da leggere
Allegato(i)
Incontri entomologici della Società Entomologica Italiana 2025-2026
 

Velvet Ant

0

50527

17/11/2025, 19:41

Velvet Ant Vedi ultimo messaggio

Nessun messaggio da leggere
Allegato(i)
Incontri entomologici telematici organizzati dalla Società Entomologica Italiana nel 2022 e nel 2023

[ Vai alla paginaVai alla pagina: 1, 2, 3 ]

 

Velvet Ant

44

2014736

03/03/2023, 15:55

Velvet Ant Vedi ultimo messaggio

Nessun messaggio da leggere  
Allegato(i)
Sondaggio sul declino dell'entomofauna in Italia

[ Vai alla paginaVai alla pagina: 1, 2, 3, 4 ]

 

Velvet Ant

52

2687893

22/10/2022, 19:18

Acquarius Vedi ultimo messaggio

Nessun messaggio da leggere  
Allegato(i)
Progetto: Bibliografia ragionata dei lavori entomologici nei quali sono citati reperti apparsi su FEI

[ Vai alla paginaVai alla pagina: 1, 2, 3 ]

 

Velvet Ant

33

1616689

06/07/2023, 18:31

Orotrechus Vedi ultimo messaggio

Nessun messaggio da leggere
Allegato(i)
Mimesi, il primo documentario cinematografico sull’entomologia in Italia: casting
 

mazzeip

1

1139040

28/02/2019, 20:26

mazzeip Vedi ultimo messaggio

Questo argomento è bloccato, non puoi modificare o inviare ulteriori messaggi.
Allegato(i)
ISTRUZIONI PUBBLICAZIONE NUOVI ARGOMENTI E FOTO

 
Altri Ordini di Insetti

Julodis

4

2956792

13/05/2015, 19:37

Julodis Vedi ultimo messaggio

Nessun messaggio da leggere
Allegato(i)
Limitatore giornaliero di messaggi, uno strumento utile e ormai indispensabile

[ Vai alla paginaVai alla pagina: 1 ... 14, 15, 16 ]

 

Velvet Ant

233

13823347

25/09/2014, 14:31

Inachis Vedi ultimo messaggio

Nessun messaggio da leggere  
NORME PER I COLLABORATORI DEL FORUM

 
 

Velvet Ant

0

671682

02/06/2011, 12:05

Velvet Ant Vedi ultimo messaggio

Nessun messaggio da leggere
Allegato(i)
NORME PER GLI UTENTI DEL FORUM

[ Vai alla paginaVai alla pagina: 1, 2, 3 ]



 
 

Velvet Ant

30

3731690

23/09/2014, 23:54

Maurizio Bollino Vedi ultimo messaggio

Questo argomento è bloccato, non puoi modificare o inviare ulteriori messaggi.  
Elenco delle specie italiane di Cerambycidae presenti sul forum
Cerambycidae


 
Coleoptera

Plagionotus

0

6422

22/11/2010, 22:28

Plagionotus Vedi ultimo messaggio

Nessun messaggio da leggere  
Lista degli utenti del "Forum entomologi italiani" per campi di interesse e specializzazione

 
Altri Ordini di Insetti

Velvet Ant

13

1128302

07/09/2023, 17:14

Roberto-07 Vedi ultimo messaggio

Argomenti
Nessun messaggio da leggere
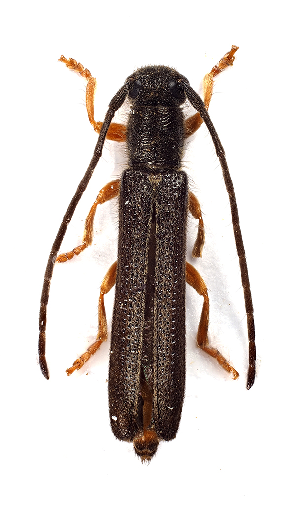
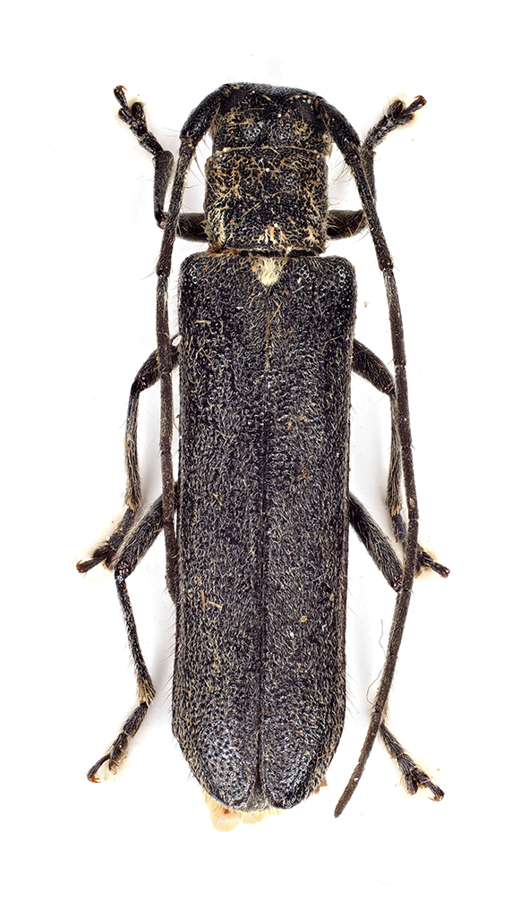
Tetropium sp. - Cerambycidae
26.VI.2022 - ITALIA - Friuli-Venezia Giulia - UD
Allegato(i)
Tetropium sp. - Cerambycidae

26.VI.2022 - ITALIA - Friuli-Venezia Giulia - UD
Coleoptera

Michele A

5

970

29/07/2022, 11:27

Michele A Vedi ultimo messaggio

Nessun messaggio da leggere
Stictoleptura rubra rubra (Linnaeus, 1758) - Cerambycidae
24.VII.2022 - ITALIA - Trentino-Alto Adige - TN
Allegato(i) Dettagli della specie
Stictoleptura rubra rubra (Linnaeus, 1758)
Cerambycidae


24.VII.2022 - ITALIA - Trentino-Alto Adige - TN
Coleoptera

Syrio

2

715

28/07/2022, 23:08

Syrio Vedi ultimo messaggio

Nessun messaggio da leggere
Mesosa nebulosa nebulosa (Fabricius, 1781) cf. - Cerambycidae
20.VI.2020 - ITALIA - Lombardia - BS
Allegato(i) Dettagli della specie
Mesosa nebulosa nebulosa (Fabricius, 1781) cf.
Cerambycidae


20.VI.2020 - ITALIA - Lombardia - BS
Coleoptera

Andre_photon

2

689

28/07/2022, 16:47

Andre_photon Vedi ultimo messaggio

Nessun messaggio da leggere
Allegato(i) Dettagli della specie
Monochamus sutor sutor (Linnaeus, 1758)
Cerambycidae


20.VII.2022 - SLOVENIA - EE
Coleoptera

Dicomed

2

711

22/07/2022, 8:38

Dicomed Vedi ultimo messaggio

Nessun messaggio da leggere
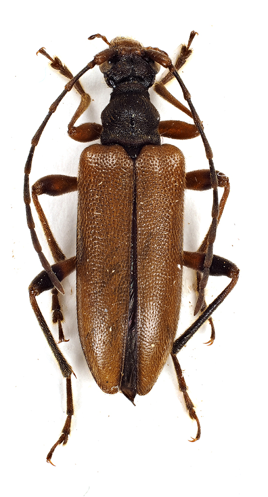
Prionus coriarius (Linnaeus, 1758) - Cerambycidae
5.VII.2013 - ITALIA - Marche - AN
Allegato(i) Dettagli della specie
Prionus coriarius (Linnaeus, 1758)
Cerambycidae


5.VII.2013 - ITALIA - Marche - AN
Coleoptera

StagBeetle

11

2841

21/07/2022, 21:19

gomphus Vedi ultimo messaggio

Nessun messaggio da leggere
Cerambyx welensii (Küster, 1845) - Cerambycidae
28.VI.2022 - ITALIA - Molise - CB
Allegato(i) Dettagli della specie
Cerambyx welensii (Küster, 1845)
Cerambycidae


28.VI.2022 - ITALIA - Molise - CB
Coleoptera

Franco ROSSI

1

745

17/07/2022, 12:42

michele.carraretto Vedi ultimo messaggio

Nessun messaggio da leggere
Cerambyx cerdo cerdo Linnaeus, 1758 - Cerambycidae
13.VII.2022 - ITALIA - Lazio - LT
Allegato(i) Dettagli della specie
Cerambyx cerdo cerdo Linnaeus, 1758
Cerambycidae


13.VII.2022 - ITALIA - Lazio - LT
Coleoptera

kar75

6

1150

16/07/2022, 14:45

marco paglialunga Vedi ultimo messaggio

Nessun messaggio da leggere
Allegato(i) Dettagli della specie
Rosalia (Rosalia) alpina alpina (Linnaeus, 1758)
Cerambycidae


10.VII.2022 - ITALIA - Marche - MC
Coleoptera

StagBeetle

0

571

12/07/2022, 13:43

StagBeetle Vedi ultimo messaggio

Nessun messaggio da leggere
Cerambyx cerdo cerdo Linnaeus, 1758 - Cerambycidae
2.VI.2022 - ITALIA - Toscana - LI
Allegato(i) Dettagli della specie
Cerambyx cerdo cerdo Linnaeus, 1758
Cerambycidae


2.VI.2022 - ITALIA - Toscana - LI
Coleoptera

Stefano79

2

712

10/07/2022, 21:52

Stefano79 Vedi ultimo messaggio

Nessun messaggio da leggere
Gaurotes (Carilia) virginea (Linnaeus, 1758) - Cerambycidae
11.VI.2022 - ITALIA - Friuli-Venezia Giulia - UD
Allegato(i) Dettagli della specie
Gaurotes (Carilia) virginea (Linnaeus, 1758)
Cerambycidae


11.VI.2022 - ITALIA - Friuli-Venezia Giulia - UD
Coleoptera

Michele A

2

709

09/07/2022, 9:02

Michele A Vedi ultimo messaggio

Nessun messaggio da leggere
Aegosoma scabricorne (Scopoli, 1763) - Cerambycidae
25.VI.2021 - ITALIA - Marche - PU
Allegato(i) Dettagli della specie
Aegosoma scabricorne (Scopoli, 1763)
Cerambycidae


25.VI.2021 - ITALIA - Marche - PU
Coleoptera

plumipes

4

1037

06/07/2022, 9:51

Lucanus tetraodon Vedi ultimo messaggio

Nessun messaggio da leggere
Pogonocherus hispidus (Linnaeus, 1758) - Cerambycidae
31.V.2022 - ITALIA - Friuli-Venezia Giulia - PN
Allegato(i) Dettagli della specie
Pogonocherus hispidus (Linnaeus, 1758)
Cerambycidae


31.V.2022 - ITALIA - Friuli-Venezia Giulia - PN
Coleoptera

Gabriele

3

1045

04/07/2022, 14:29

Plagionotus Vedi ultimo messaggio

Nessun messaggio da leggere
Musaria affinis affinis (Harrer, 1784) - Cerambycidae
25.VI.2022 - ITALIA - Trentino-Alto Adige - TN
Allegato(i) Dettagli della specie
Musaria affinis affinis (Harrer, 1784)
Cerambycidae


25.VI.2022 - ITALIA - Trentino-Alto Adige - TN
Coleoptera

Biasi

3

840

28/06/2022, 8:40

Biasi Vedi ultimo messaggio

Nessun messaggio da leggere
Monochamus sutor sutor (Linnaeus, 1758) - Cerambycidae
19.VI.2022 - ITALIA - Trentino-Alto Adige - TN
Allegato(i) Dettagli della specie
Monochamus sutor sutor (Linnaeus, 1758)
Cerambycidae


19.VI.2022 - ITALIA - Trentino-Alto Adige - TN
Coleoptera

Syrio

4

1052

27/06/2022, 20:36

Syrio Vedi ultimo messaggio

Nessun messaggio da leggere
Cerambyx miles Bonelli, 1812 - Cerambycidae
23.VI.2022 - ITALIA - Liguria - IM
Allegato(i) Dettagli della specie
Cerambyx miles Bonelli, 1812
Cerambycidae


23.VI.2022 - ITALIA - Liguria - IM
Coleoptera

Carlo Monari

3

861

26/06/2022, 21:13

Carlo Monari Vedi ultimo messaggio

Nessun messaggio da leggere
Callidium violaceum (Linnaeus, 1758) - Cerambycidae
19.VI.2022 - ITALIA - Trentino-Alto Adige - TN
Allegato(i) Dettagli della specie
Callidium violaceum (Linnaeus, 1758)
Cerambycidae


19.VI.2022 - ITALIA - Trentino-Alto Adige - TN
Coleoptera

Syrio

2

700

25/06/2022, 21:48

Syrio Vedi ultimo messaggio

Nessun messaggio da leggere
Rhagium (Rhagium) inquisitor inquisitor (Linnaeus, 1758) - Cerambycidae
19.VI.2022 - ITALIA - Trentino-Alto Adige - TN
Allegato(i) Dettagli della specie
Rhagium (Rhagium) inquisitor inquisitor (Linnaeus, 1758)
Cerambycidae


19.VI.2022 - ITALIA - Trentino-Alto Adige - TN
Coleoptera

Syrio

2

809

24/06/2022, 19:24

Syrio Vedi ultimo messaggio

Nessun messaggio da leggere
Allegato(i) Dettagli della specie
Rosalia (Rosalia) alpina alpina (Linnaeus, 1758)
Cerambycidae

[ Vai alla paginaVai alla pagina: 1, 2, 3 ]



28.VII.2013 - ITALIA - Marche - MC
Coleoptera

StagBeetle

37

8736

19/06/2022, 22:17

StagBeetle Vedi ultimo messaggio

Nessun messaggio da leggere
Cerambyx welensii (Küster, 1845) - Cerambycidae
6.VI.2022 - ITALIA - Marche - AN
Allegato(i) Dettagli della specie
Cerambyx welensii (Küster, 1845)
Cerambycidae


6.VI.2022 - ITALIA - Marche - AN
Coleoptera

StagBeetle

0

710

19/06/2022, 22:12

StagBeetle Vedi ultimo messaggio

Nessun messaggio da leggere
Cerambyx cerdo cerdo Linnaeus, 1758 - Cerambycidae
6.VI.2022 - ITALIA - Marche - AN
Allegato(i) Dettagli della specie
Cerambyx cerdo cerdo Linnaeus, 1758
Cerambycidae


6.VI.2022 - ITALIA - Marche - AN
Coleoptera

StagBeetle

0

646

19/06/2022, 22:10

StagBeetle Vedi ultimo messaggio

Nessun messaggio da leggere
Anastrangalia sanguinolenta (Linnaeus, 1760) - Cerambycidae
5.VI.2022 - ITALIA - Lombardia - SO
Allegato(i) Dettagli della specie
Anastrangalia sanguinolenta (Linnaeus, 1760)
Cerambycidae


5.VI.2022 - ITALIA - Lombardia - SO
Coleoptera

Syrio

3

826

18/06/2022, 21:22

Syrio Vedi ultimo messaggio

Nessun messaggio da leggere
Rutpela maculata maculata (Poda, 1761) - Cerambycidae
17.VI.2022 - ITALIA - Liguria - GE
Allegato(i) Dettagli della specie
Rutpela maculata maculata (Poda, 1761)
Cerambycidae


17.VI.2022 - ITALIA - Liguria - GE
Coleoptera

Antonio Pareto

1

640

17/06/2022, 11:45

Mauro Vedi ultimo messaggio

Nessun messaggio da leggere
Allegato(i) Dettagli della specie
Xylotrechus (Xylotrechus) stebbingi Gahan, 1906
Cerambycidae


16.VI.2022 - ITALIA - Molise - IS
Coleoptera

Franco ROSSI

3

802

16/06/2022, 16:08

Franco ROSSI Vedi ultimo messaggio

Nessun messaggio da leggere
Allegato(i) Dettagli della specie
Xylotrechus (Xylotrechus) stebbingi Gahan, 1906
Cerambycidae


11.VI.2022 - ITALIA - Sicilia - TP
Coleoptera

angelo.ditta

3

788

12/06/2022, 15:26

angelo.ditta Vedi ultimo messaggio

Nessun messaggio da leggere
Stenopterus ater (Linnaeus, 1767) - Cerambycidae
9.VI.2022 - ITALIA - Veneto - VI
Allegato(i) Dettagli della specie
Stenopterus ater (Linnaeus, 1767)
Cerambycidae


9.VI.2022 - ITALIA - Veneto - VI
Coleoptera

barbastrejo

3

716

11/06/2022, 21:10

Xylosteus Vedi ultimo messaggio

Nessun messaggio da leggere
Niphona picticornis Mulsant, 1839 - Cerambycidae
8.VI.2022 - ITALIA - Sicilia - TP
Allegato(i) Dettagli della specie
Niphona picticornis Mulsant, 1839
Cerambycidae


8.VI.2022 - ITALIA - Sicilia - TP
Coleoptera

angelo.ditta

2

673

10/06/2022, 19:19

angelo.ditta Vedi ultimo messaggio

Nessun messaggio da leggere
Phymatodes testaceus (Linnaeus, 1758) - Cerambycidae
5.V.2020 - ITALIA - Veneto - VI
Allegato(i) Dettagli della specie
Phymatodes testaceus (Linnaeus, 1758)
Cerambycidae


5.V.2020 - ITALIA - Veneto - VI
Coleoptera

barbastrejo

4

868

07/06/2022, 20:57

barbastrejo Vedi ultimo messaggio

Nessun messaggio da leggere
Oxymirus cursor (Linnaeus, 1758) - Cerambycidae
5.VI.2022 - ITALIA - Lombardia - SO
Allegato(i) Dettagli della specie
Oxymirus cursor (Linnaeus, 1758)
Cerambycidae


5.VI.2022 - ITALIA - Lombardia - SO
Coleoptera

Syrio

2

732

06/06/2022, 22:32

Syrio Vedi ultimo messaggio

Nessun messaggio da leggere
Penichroa fasciata (Stephens, 1831) - Cerambycidae
3.VI.2022 - ITALIA - Sicilia - TP
Allegato(i) Dettagli della specie
Penichroa fasciata (Stephens, 1831)
Cerambycidae


3.VI.2022 - ITALIA - Sicilia - TP
Coleoptera

angelo.ditta

2

728

06/06/2022, 9:27

angelo.ditta Vedi ultimo messaggio

Nessun messaggio da leggere
Penichroa fasciata (Stephens, 1831) - Cerambycidae
3.VI.2022 - ITALIA - Sicilia - TP
Allegato(i) Dettagli della specie
Penichroa fasciata (Stephens, 1831)
Cerambycidae


3.VI.2022 - ITALIA - Sicilia - TP
Coleoptera

angelo.ditta

2

762

05/06/2022, 14:24

angelo.ditta Vedi ultimo messaggio

Nessun messaggio da leggere
Allegato(i) Dettagli della specie
Plagionotus scalaris (Brullé, 1832)
Cerambycidae


20.VI.2008 - GRECIA - EE
Coleoptera

StagBeetle

0

506

04/06/2022, 19:32

StagBeetle Vedi ultimo messaggio

Nessun messaggio da leggere
Stenostola ferrea (Schrank, 1776) - Cerambycidae
31.VII.2014 - POLONIA - EE
Allegato(i) Dettagli della specie
Stenostola ferrea (Schrank, 1776)
Cerambycidae


31.VII.2014 - POLONIA - EE
Coleoptera

StagBeetle

0

428

04/06/2022, 19:32

StagBeetle Vedi ultimo messaggio

Nessun messaggio da leggere
Allegato(i) Dettagli della specie
Oberea (Amaurostoma) erythrocephala erythrocephala (Schrank, 1776)
Cerambycidae


10.VI.2006 - SPAGNA - EE
Coleoptera

StagBeetle

0

454

03/06/2022, 19:32

StagBeetle Vedi ultimo messaggio

Nessun messaggio da leggere
Allegato(i) Dettagli della specie
Phytoecia nigricornis (Fabricius, 1782)
Cerambycidae


5.VI.2021 - POLONIA - EE
Coleoptera

StagBeetle

0

481

03/06/2022, 19:32

StagBeetle Vedi ultimo messaggio

Nessun messaggio da leggere
Allegato(i) Dettagli della specie
Oberea (Amaurostoma) erythrocephala erythrocephala (Schrank, 1776)
Cerambycidae


28.V.1999 - BULGARIA - EE
Coleoptera

StagBeetle

0

469

02/06/2022, 19:32

StagBeetle Vedi ultimo messaggio

Nessun messaggio da leggere
Monochamus sutor sutor (Linnaeus, 1758) - Cerambycidae
27.V.2022 - ITALIA - Trentino-Alto Adige - BZ
Allegato(i) Dettagli della specie
Monochamus sutor sutor (Linnaeus, 1758)
Cerambycidae


27.V.2022 - ITALIA - Trentino-Alto Adige - BZ
Coleoptera

Andrea Pergine

4

1228

02/06/2022, 10:04

Andrea Pergine Vedi ultimo messaggio

Nessun messaggio da leggere
Allegato(i) Dettagli della specie
Agapanthia (Agapanthia) cardui (Linnaeus, 1767)
Cerambycidae


28.IV.2022 - ITALIA - Lazio - RM
Coleoptera

soken

2

768

30/05/2022, 16:44

soken Vedi ultimo messaggio

Nessun messaggio da leggere
Exocentrus punctipennis Mulsant & Guillebeau, 1856 - Cerambycidae
27.V.2022 - ITALIA - Friuli-Venezia Giulia - PN
Allegato(i) Dettagli della specie
Exocentrus punctipennis Mulsant & Guillebeau, 1856
Cerambycidae


27.V.2022 - ITALIA - Friuli-Venezia Giulia - PN
Coleoptera

Gabriele

2

735

29/05/2022, 20:45

Gabriele Vedi ultimo messaggio

Nessun messaggio da leggere
Allegato(i) Dettagli della specie
Pidonia (Pidonia) lurida (Fabricius, 1792)
Cerambycidae


7.VI.1997 - POLONIA - EE
Coleoptera

StagBeetle

0

449

27/05/2022, 19:32

StagBeetle Vedi ultimo messaggio

Nessun messaggio da leggere
Allegato(i) Dettagli della specie
Phytoecia caerulea caerulea (Scopoli, 1772)
Cerambycidae


30.IV.2012 - ROMANIA - EE
Coleoptera

StagBeetle

0

452

27/05/2022, 19:32

StagBeetle Vedi ultimo messaggio

Nessun messaggio da leggere
Pogonocherus neuhausi J. Müller, 1916 - Cerambycidae
25.X.2021 - ITALIA - Marche - AN
Allegato(i) Dettagli della specie
Pogonocherus neuhausi J. Müller, 1916
Cerambycidae


25.X.2021 - ITALIA - Marche - AN
Coleoptera

tommaso.spilli

0

701

26/05/2022, 19:35

tommaso.spilli Vedi ultimo messaggio

Nessun messaggio da leggere
Allegato(i) Dettagli della specie
Anoplodera (Anoplodera) sexguttata (Fabricius, 1775)
Cerambycidae


24.V.2022 - ITALIA - Veneto - VI
Coleoptera

Apoderus

3

873

26/05/2022, 15:39

Liatongus Vedi ultimo messaggio

Nessun messaggio da leggere
Calamobius filum (Rossi, 1790) - Cerambycidae
3.V.2022 - ITALIA - Lazio - RM
Allegato(i) Dettagli della specie
Calamobius filum (Rossi, 1790)
Cerambycidae


3.V.2022 - ITALIA - Lazio - RM
Coleoptera

soken

0

715

22/05/2022, 19:57

soken Vedi ultimo messaggio

Nessun messaggio da leggere
Allegato(i) Dettagli della specie
Cortodera humeralis aspromontana G. Müller, 1948
Cerambycidae


15.V.2008 - GRECIA - EE
Coleoptera

StagBeetle

0

510

21/05/2022, 22:04

StagBeetle Vedi ultimo messaggio

Nessun messaggio da leggere
Allegato(i) Dettagli della specie
Tetropium fuscum (Fabricius, 1787)
Cerambycidae


20.V.2020 - POLONIA - EE
Coleoptera

StagBeetle

0

496

21/05/2022, 22:04

StagBeetle Vedi ultimo messaggio

Nessun messaggio da leggere
Agapanthia (Agapanthia) cardui (Linnaeus, 1767) - Cerambycidae
15.V.2022 - ITALIA - Lombardia - LC
Allegato(i) Dettagli della specie
Agapanthia (Agapanthia) cardui (Linnaeus, 1767)
Cerambycidae


15.V.2022 - ITALIA - Lombardia - LC
Coleoptera

RicPan

1

813

21/05/2022, 15:03

RicPan Vedi ultimo messaggio

Nessun messaggio da leggere
Agapanthia (Agapanthia) cardui (Linnaeus, 1767) - Cerambycidae
15.V.2022 - ITALIA - Lombardia - LC
Allegato(i) Dettagli della specie
Agapanthia (Agapanthia) cardui (Linnaeus, 1767)
Cerambycidae


15.V.2022 - ITALIA - Lombardia - LC
Coleoptera

RicPan

1

692

21/05/2022, 15:03

RicPan Vedi ultimo messaggio

Nessun messaggio da leggere
Allegato(i) Dettagli della specie
Agapanthia (Agapanthia) cardui (Linnaeus, 1767) cf.
Cerambycidae


7.V.2022 - ITALIA - Lombardia - CR
Coleoptera

Lolapip

0

686

20/05/2022, 23:11

Lolapip Vedi ultimo messaggio

Nessun messaggio da leggere
Allegato(i) Dettagli della specie
Rhagium (Megarhagium) sycophanta (Schrank, 1781)
Cerambycidae


19.VI.2016 - POLONIA - EE
Coleoptera

StagBeetle

0

480

20/05/2022, 22:04

StagBeetle Vedi ultimo messaggio

Nessun messaggio da leggere
Arhopalus rusticus (Linnaeus, 1758) - Cerambycidae
14.VIII.2005 - POLONIA - EE
Allegato(i) Dettagli della specie
Arhopalus rusticus (Linnaeus, 1758)
Cerambycidae


14.VIII.2005 - POLONIA - EE
Coleoptera

StagBeetle

0

516

20/05/2022, 22:04

StagBeetle Vedi ultimo messaggio

Visualizza ultimi argomenti:  Ordina per  Ordine:  
nuovo argomento
Vai alla pagina Precedente  1, 2, 3, 4, 5, 6, 7 ... 94  Prossimo
Pagina 4 di 94 [ 4653 argomenti ]

Tutti gli orari sono UTC + 1 ora [ ora legale ]


Chi c’è in linea

Visitano il forum: Nessuno e 2 ospiti


Legenda
Messaggi da leggere Messaggi da leggere Nessun messaggio da leggere Nessun messaggio da leggere Annuncio Annuncio
 
Specie indeterminata / discussione generica
Messaggi non letti [ Popolari ] Messaggi non letti [ Popolari ] Nessun messaggio da leggere [ Popolare ] Nessun messaggio da leggere [ Popolare ] Importante Importante
 
Specie determinata fino al genere o cf.
Messaggi non letti [ Bloccati ] Messaggi non letti [ Bloccati ] No messaggi non letti [ Bloccati ] No messaggi non letti [ Bloccati ] Argomento spostato Argomento spostato
 
Specie correttamente determinata
Permessi
Non puoi aprire nuovi argomenti
Non puoi rispondere negli argomenti
Non puoi modificare i tuoi messaggi
Non puoi cancellare i tuoi messaggi
Non puoi inviare allegati

Cerca per:
Vai a: