Benvenuto Ospite

Forum Entomologi Italiani

www.entomologiitaliani.net/forum
 
Oggi è 23/04/2026, 16:31

Tutti gli orari sono UTC + 1 ora [ ora legale ]


92% 
2928 taxa correttamente determinati su 3182 presenti in archivio

Cerambycidae


[ AFROTROPICALE ] [ ANTARTICO ] [ AUSTRALASIANO ] [ NEARTICO ] [ NEOTROPICALE ] [ ORIENTALE ] [ PALEARTICO ]


nuovo argomento
Vai alla pagina Precedente  1 ... 56, 57, 58, 59, 60, 61, 62 ... 94  Prossimo
Pagina 59 di 94 [ 4653 argomenti ]
 Argomenti   Ordine   Autore   Risposte   Visite    Ultimo messaggio 
Annunci
Nessun messaggio da leggere
Allegato(i)
Incontri entomologici della Società Entomologica Italiana 2025-2026
 

Velvet Ant

0

50524

17/11/2025, 19:41

Velvet Ant Vedi ultimo messaggio

Nessun messaggio da leggere
Allegato(i)
Incontri entomologici telematici organizzati dalla Società Entomologica Italiana nel 2022 e nel 2023

[ Vai alla paginaVai alla pagina: 1, 2, 3 ]

 

Velvet Ant

44

2014713

03/03/2023, 15:55

Velvet Ant Vedi ultimo messaggio

Nessun messaggio da leggere  
Allegato(i)
Sondaggio sul declino dell'entomofauna in Italia

[ Vai alla paginaVai alla pagina: 1, 2, 3, 4 ]

 

Velvet Ant

52

2687869

22/10/2022, 19:18

Acquarius Vedi ultimo messaggio

Nessun messaggio da leggere  
Allegato(i)
Progetto: Bibliografia ragionata dei lavori entomologici nei quali sono citati reperti apparsi su FEI

[ Vai alla paginaVai alla pagina: 1, 2, 3 ]

 

Velvet Ant

33

1616666

06/07/2023, 18:31

Orotrechus Vedi ultimo messaggio

Nessun messaggio da leggere
Allegato(i)
Mimesi, il primo documentario cinematografico sull’entomologia in Italia: casting
 

mazzeip

1

1139035

28/02/2019, 20:26

mazzeip Vedi ultimo messaggio

Questo argomento è bloccato, non puoi modificare o inviare ulteriori messaggi.
Allegato(i)
ISTRUZIONI PUBBLICAZIONE NUOVI ARGOMENTI E FOTO

 
Altri Ordini di Insetti

Julodis

4

2956780

13/05/2015, 19:37

Julodis Vedi ultimo messaggio

Nessun messaggio da leggere
Allegato(i)
Limitatore giornaliero di messaggi, uno strumento utile e ormai indispensabile

[ Vai alla paginaVai alla pagina: 1 ... 14, 15, 16 ]

 

Velvet Ant

233

13823275

25/09/2014, 14:31

Inachis Vedi ultimo messaggio

Nessun messaggio da leggere  
NORME PER I COLLABORATORI DEL FORUM

 
 

Velvet Ant

0

671675

02/06/2011, 12:05

Velvet Ant Vedi ultimo messaggio

Nessun messaggio da leggere
Allegato(i)
NORME PER GLI UTENTI DEL FORUM

[ Vai alla paginaVai alla pagina: 1, 2, 3 ]



 
 

Velvet Ant

30

3731674

23/09/2014, 23:54

Maurizio Bollino Vedi ultimo messaggio

Questo argomento è bloccato, non puoi modificare o inviare ulteriori messaggi.  
Elenco delle specie italiane di Cerambycidae presenti sul forum
Cerambycidae


 
Coleoptera

Plagionotus

0

6422

22/11/2010, 22:28

Plagionotus Vedi ultimo messaggio

Nessun messaggio da leggere  
Lista degli utenti del "Forum entomologi italiani" per campi di interesse e specializzazione

 
Altri Ordini di Insetti

Velvet Ant

13

1128298

07/09/2023, 17:14

Roberto-07 Vedi ultimo messaggio

Argomenti
Nessun messaggio da leggere
Cortodera syriaca Pic, 1901 - Cerambycidae
21.V.2011 - TURCHIA - EE
Allegato(i)
Cortodera syriaca Pic, 1901 - Cerambycidae

21.V.2011 - TURCHIA - EE
Coleoptera

Stehof

1

1009

30/12/2011, 16:37

Xylosteus Vedi ultimo messaggio

Nessun messaggio da leggere
Gaurotes (Carilia) virginea (Linnaeus, 1758) - Cerambycidae
29.VII.2011 - ITALIA - Trentino-Alto Adige - TN
Allegato(i) Dettagli della specie
Gaurotes (Carilia) virginea (Linnaeus, 1758)
Cerambycidae


29.VII.2011 - ITALIA - Trentino-Alto Adige - TN
Coleoptera

Olaffio

7

2008

27/12/2011, 22:09

Julodis Vedi ultimo messaggio

Nessun messaggio da leggere
Allegato(i) Dettagli della specie
Trichoferus fasciculatus fasciculatus (Faldermann, 1837)
Cerambycidae


31.VII.2011 - BULGARIA - EE
Coleoptera

alexaandru

2

1084

27/12/2011, 14:12

alexaandru Vedi ultimo messaggio

Nessun messaggio da leggere
Stenopterus rufus rufus (Linnaeus, 1767) - Cerambycidae
6.VII.2011 - ITALIA - Lazio - VT
Allegato(i) Dettagli della specie
Stenopterus rufus rufus (Linnaeus, 1767)
Cerambycidae


6.VII.2011 - ITALIA - Lazio - VT
Coleoptera

Andricus

2

1063

21/12/2011, 21:32

Plagionotus Vedi ultimo messaggio

Nessun messaggio da leggere
Phymatodes testaceus (Linnaeus, 1758) - Cerambycidae
VI.2011 - ITALIA - Lazio - VT
Allegato(i) Dettagli della specie
Phymatodes testaceus (Linnaeus, 1758)
Cerambycidae


VI.2011 - ITALIA - Lazio - VT
Coleoptera

Andricus

0

828

19/12/2011, 2:24

Andricus Vedi ultimo messaggio

Nessun messaggio da leggere
Agapanthia (Agapanthia) cardui (Linnaeus, 1767) - Cerambycidae
9.VI.2011 - ITALIA - Emilia-Romagna - RE
Allegato(i) Dettagli della specie
Agapanthia (Agapanthia) cardui (Linnaeus, 1767)
Cerambycidae


9.VI.2011 - ITALIA - Emilia-Romagna - RE
Coleoptera

Mikiphasmide

1

1359

18/12/2011, 15:02

Plagionotus Vedi ultimo messaggio

Nessun messaggio da leggere
Allegato(i) Dettagli della specie
Ropalopus (Ropalopus) femoratus (Linnaeus, 1758) cf.
Cerambycidae


VI.2011 - ITALIA - Lazio - VT
Coleoptera

Andricus

8

2402

18/12/2011, 15:01

Plagionotus Vedi ultimo messaggio

Nessun messaggio da leggere
Phymatodes testaceus (Linnaeus, 1758) - Cerambycidae
VI.2011 - ITALIA - Lazio - VT
Allegato(i) Dettagli della specie
Phymatodes testaceus (Linnaeus, 1758)
Cerambycidae


VI.2011 - ITALIA - Lazio - VT
Coleoptera

Andricus

5

1386

18/12/2011, 1:47

Andricus Vedi ultimo messaggio

Nessun messaggio da leggere
Phoracantha semipunctata (Fabricius, 1775) - Cerambycidae
11.XII.2011 - ITALIA - Lazio - RM
Allegato(i) Dettagli della specie
Phoracantha semipunctata (Fabricius, 1775)
Cerambycidae


11.XII.2011 - ITALIA - Lazio - RM
Coleoptera

Julodis

4

1477

16/12/2011, 16:55

Plagionotus Vedi ultimo messaggio

Nessun messaggio da leggere
Vesperus barredai Verdugo, 2009 - Cerambycidae
29.VIII.2010 - SPAGNA - EE
Allegato(i)
Vesperus barredai Verdugo, 2009 - Cerambycidae

29.VIII.2010 - SPAGNA - EE
Coleoptera

Antonio Verdugo

4

1331

15/12/2011, 19:41

Antonio Verdugo Vedi ultimo messaggio

Nessun messaggio da leggere
Allegato(i)
Dorcadion (Pedestredorcadion) peloponesium Pic, 1902 (cf.) - Cerambycidae

24.V.2009 - GRECIA - EE
Coleoptera

Stehof

1

924

15/12/2011, 14:59

Maurizio Bollino Vedi ultimo messaggio

Nessun messaggio da leggere
Allegato(i)
Dorcadion (Pedestredorcadion) eugeniae eugeniae Ganglbauer, 1885 (cf.) - Cerambycidae

23.V.2009 - GRECIA - EE
Coleoptera

Stehof

1

944

15/12/2011, 14:55

Maurizio Bollino Vedi ultimo messaggio

Nessun messaggio da leggere
Cerambyx welensii (Küster, 1845) - Cerambycidae
VII.2011 - ITALIA - Sicilia - ME
Allegato(i) Dettagli della specie
Cerambyx welensii (Küster, 1845)
Cerambycidae


VII.2011 - ITALIA - Sicilia - ME
Coleoptera

Lucanus tetraodon

1

1060

15/12/2011, 11:52

Entomarci Vedi ultimo messaggio

Nessun messaggio da leggere
Paracorymbia fulva (De Geer, 1775) - Cerambycidae
21.VI.2011 - ITALIA - Lazio - VT
Allegato(i) Dettagli della specie
Paracorymbia fulva (De Geer, 1775)
Cerambycidae


21.VI.2011 - ITALIA - Lazio - VT
Coleoptera

Andricus

3

1307

13/12/2011, 21:36

Mikiphasmide Vedi ultimo messaggio

Nessun messaggio da leggere
Stenopterus ater (Linnaeus, 1767) - Cerambycidae
21.VI.2011 - ITALIA - Lazio - VT
Allegato(i) Dettagli della specie
Stenopterus ater (Linnaeus, 1767)
Cerambycidae


21.VI.2011 - ITALIA - Lazio - VT
Coleoptera

Andricus

1

976

12/12/2011, 21:40

Entomarci Vedi ultimo messaggio

Nessun messaggio da leggere
Allegato(i) Dettagli della specie
Aegomorphus clavipes (Schrank, 1781)
Cerambycidae


19.VII.2008 - ROMANIA - EE
Coleoptera

cosmln

6

1985

11/12/2011, 11:57

Phytoecia Vedi ultimo messaggio

Nessun messaggio da leggere
Paracorymbia fulva (De Geer, 1775) - Cerambycidae
29.VI.2011 - ITALIA - Veneto - VE
Allegato(i) Dettagli della specie
Paracorymbia fulva (De Geer, 1775)
Cerambycidae


29.VI.2011 - ITALIA - Veneto - VE
Coleoptera

ghebo

2

1180

08/12/2011, 19:39

ghebo Vedi ultimo messaggio

Nessun messaggio da leggere
Cerambyx nodulosus Germar, 1817 - Cerambycidae
11.VI.2008 - ITALIA - Marche - AN
Allegato(i) Dettagli della specie
Cerambyx nodulosus Germar, 1817
Cerambycidae

[ Vai alla paginaVai alla pagina: 1, 2, 3 ]



11.VI.2008 - ITALIA - Marche - AN
Coleoptera

StagBeetle

30

6814

02/12/2011, 13:08

gomphus Vedi ultimo messaggio

Nessun messaggio da leggere
Alosterna tabacicolor (De Geer, 1775) - Cerambycidae
28.VII.2011 - ITALIA - Trentino-Alto Adige - TN
Allegato(i) Dettagli della specie
Alosterna tabacicolor (De Geer, 1775)
Cerambycidae


28.VII.2011 - ITALIA - Trentino-Alto Adige - TN
Coleoptera

Menhit

2

1174

01/12/2011, 12:10

Menhit Vedi ultimo messaggio

Nessun messaggio da leggere
Allegato(i)
Demonax gracilestriatus Gressitt & Rondon, 1970 (cf.)

CINA - EE
Coleoptera

Isidro

5

1289

27/11/2011, 13:32

Xylosteus Vedi ultimo messaggio

Nessun messaggio da leggere
Allegato(i)
Purpuricenus schurmanni Sláma, 1985 - Cerambycidae

23.VI.2011 - GRECIA - EE
Coleoptera

Antonio Verdugo

3

1294

25/11/2011, 21:36

cosmln Vedi ultimo messaggio

Nessun messaggio da leggere
Rutpela maculata maculata (Poda, 1761) - Cerambycidae
18.VII.2011 - ITALIA - Liguria - SV
Allegato(i) Dettagli della specie
Rutpela maculata maculata (Poda, 1761)
Cerambycidae


18.VII.2011 - ITALIA - Liguria - SV
Coleoptera

fabio.aste

4

1380

23/11/2011, 9:48

michele.carraretto Vedi ultimo messaggio

Nessun messaggio da leggere
Allegato(i)
Pogonocherus pepa Verdugo & Torres-Mendez, 2010 - Cerambycidae

30.IX.2011 - SPAGNA - EE
Coleoptera

cosmln

5

1691

22/11/2011, 18:40

Antonio Verdugo Vedi ultimo messaggio

Nessun messaggio da leggere
Cerambyx scopolii scopolii Fuessly, 1775 - Cerambycidae
31.V.2011 - ITALIA - Liguria - SV
Allegato(i) Dettagli della specie
Cerambyx scopolii scopolii Fuessly, 1775
Cerambycidae


31.V.2011 - ITALIA - Liguria - SV
Coleoptera

fabio.aste

12

2813

21/11/2011, 20:30

fabio.aste Vedi ultimo messaggio

Nessun messaggio da leggere
Morimus asper asper (Sulzer, 1776) - Cerambycidae
8.V.2011 - ITALIA - Liguria - SV
Allegato(i) Dettagli della specie
Morimus asper asper (Sulzer, 1776)
Cerambycidae


8.V.2011 - ITALIA - Liguria - SV
Coleoptera

fabio.aste

5

1716

18/11/2011, 23:27

fabio.aste Vedi ultimo messaggio

Nessun messaggio da leggere
Pyrrhidium sanguineum (Linnaeus, 1758) - Cerambycidae
III.2011 - ITALIA - Sardegna - OR
Allegato(i) Dettagli della specie
Pyrrhidium sanguineum (Linnaeus, 1758)
Cerambycidae


III.2011 - ITALIA - Sardegna - OR
Coleoptera

9giovanni9

4

1532

18/11/2011, 18:18

Davide Cillo Vedi ultimo messaggio

Nessun messaggio da leggere
Saperda carcharias (Linnaeus, 1758) - Cerambycidae
17.IX.2011 - ITALIA - Marche - PU
Allegato(i) Dettagli della specie
Saperda carcharias (Linnaeus, 1758)
Cerambycidae


17.IX.2011 - ITALIA - Marche - PU
Coleoptera

marco paglialunga

7

1916

18/11/2011, 14:39

Entomarci Vedi ultimo messaggio

Nessun messaggio da leggere
Paracorymbia fulva (De Geer, 1775) - Cerambycidae
9.VI.2011 - ITALIA - Emilia-Romagna - RE
Allegato(i) Dettagli della specie
Paracorymbia fulva (De Geer, 1775)
Cerambycidae


9.VI.2011 - ITALIA - Emilia-Romagna - RE
Coleoptera

Mikiphasmide

0

712

15/11/2011, 17:28

Mikiphasmide Vedi ultimo messaggio

Nessun messaggio da leggere
Chlorophorus varius varius (O. F. Müller, 1766) - Cerambycidae
9.VI.2011 - ITALIA - Emilia-Romagna - RE
Allegato(i) Dettagli della specie
Chlorophorus varius varius (O. F. Müller, 1766)
Cerambycidae


9.VI.2011 - ITALIA - Emilia-Romagna - RE
Coleoptera

Mikiphasmide

7

1613

13/11/2011, 23:42

conan Vedi ultimo messaggio

Nessun messaggio da leggere
Mesosa curculionoides (Linnaeus, 1760) - Cerambycidae
11.XI.2011 - ITALIA - Umbria - PG
Allegato(i) Dettagli della specie
Mesosa curculionoides (Linnaeus, 1760)
Cerambycidae


11.XI.2011 - ITALIA - Umbria - PG
Coleoptera

young beetle

6

1674

13/11/2011, 2:17

Umbro Vedi ultimo messaggio

Nessun messaggio da leggere
Morimus asper asper (Sulzer, 1776) - Cerambycidae
12.V.2010 - ITALIA - Umbria - PG
Allegato(i) Dettagli della specie
Morimus asper asper (Sulzer, 1776)
Cerambycidae


12.V.2010 - ITALIA - Umbria - PG
Coleoptera

fjord

2

913

11/11/2011, 14:49

fjord Vedi ultimo messaggio

Nessun messaggio da leggere
Cerambyx miles Bonelli, 1812 - Cerambycidae
8.VII.2010 - SPAGNA - EE
Allegato(i) Dettagli della specie
Cerambyx miles Bonelli, 1812
Cerambycidae


8.VII.2010 - SPAGNA - EE
Coleoptera

matthew gandy

7

1734

09/11/2011, 21:32

Ángel Martínez Vedi ultimo messaggio

Nessun messaggio da leggere
Allegato(i)
Phytoecia (Coptosia) minuta (Pic, 1891) - Carambycidae

29.V.2011 - TURCHIA - EE
Coleoptera

Coptosia

0

724

08/11/2011, 15:01

Coptosia Vedi ultimo messaggio

Nessun messaggio da leggere
Allegato(i)
MeriMerionoeda (Macromolorchus) hirsuta (Mit.et Nish., 1936) - Cerambycidae

3.VII.2003 - GIAPPONE - EE
Coleoptera

Coptosia

2

970

07/11/2011, 20:32

Umbro Vedi ultimo messaggio

Nessun messaggio da leggere
Hybometopia starcki Ganglbauer, 1889 - Cerambycidae
2.V.2011 - FEDERAZIONE RUSSA - EE
Allegato(i)
Hybometopia starcki Ganglbauer, 1889 - Cerambycidae

2.V.2011 - FEDERAZIONE RUSSA - EE
Coleoptera

Coptosia

2

1147

07/11/2011, 19:36

Coptosia Vedi ultimo messaggio

Nessun messaggio da leggere
Exocentrus punctipennis Mulsant & Guillebeau, 1856 - Cerambycidae
25.VIII.2011 - ITALIA - Emilia-Romagna - RE
Allegato(i) Dettagli della specie
Exocentrus punctipennis Mulsant & Guillebeau, 1856
Cerambycidae


25.VIII.2011 - ITALIA - Emilia-Romagna - RE
Coleoptera

Mikiphasmide

2

1234

04/11/2011, 19:32

Mikiphasmide Vedi ultimo messaggio

Nessun messaggio da leggere
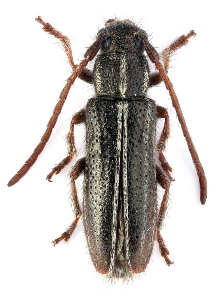
Acanthocinus griseus (Fabricius, 1792) - Cerambycidae
VIII.2006 - ITALIA - Lombardia - SO
Allegato(i) Dettagli della specie
Acanthocinus griseus (Fabricius, 1792)
Cerambycidae


VIII.2006 - ITALIA - Lombardia - SO
Coleoptera

marsal

1

1624

04/11/2011, 9:19

Entomarci Vedi ultimo messaggio

Nessun messaggio da leggere
Allegato(i)
Iberodorcadion (Baeticodorcadion) mucidum rondense Verdugo, 2003

24.III.2011 - SPAGNA - EE
Coleoptera

Antonio Verdugo

0

639

03/11/2011, 19:37

Antonio Verdugo Vedi ultimo messaggio

Nessun messaggio da leggere
Allegato(i)
Iberodorcadion (Baeticodorcadion) mucidum mucidum Dalman, 1817

16.III.2003 - SPAGNA - EE
Coleoptera

Antonio Verdugo

0

518

03/11/2011, 19:37

Antonio Verdugo Vedi ultimo messaggio

Nessun messaggio da leggere
Allegato(i)
Iberodorcadion (Hispanodorcadion) zenete Anichtchenko & Verdugo, 2004

10.IX.2007 - SPAGNA - EE
Coleoptera

Antonio Verdugo

0

783

02/11/2011, 19:37

Antonio Verdugo Vedi ultimo messaggio

Nessun messaggio da leggere
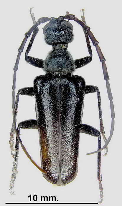
Calchaenesthes sexmaculata (Reiche, 1861)
10.VI.1997 - SPAGNA - EE
Allegato(i)
Calchaenesthes sexmaculata (Reiche, 1861)

[ Vai alla paginaVai alla pagina: 1, 2 ]



10.VI.1997 - SPAGNA - EE
Coleoptera

Antonio Verdugo

15

2806

02/11/2011, 18:22

Antonio Verdugo Vedi ultimo messaggio

Nessun messaggio da leggere
Allegato(i)
Deroplia troberti cruciata Sama, 1996 (cf.) - Cerambycidae

23.IX.2011 - GRECIA - EE
Coleoptera

ivo

1

1019

02/11/2011, 18:08

Xylosteus Vedi ultimo messaggio

Nessun messaggio da leggere
Allegato(i) Dettagli della specie
Agapanthia (Epoptes) cynarae (Germar, 1817)
Cerambycidae

[ Vai alla paginaVai alla pagina: 1, 2 ]



2.V.2007 - BULGARIA - EE
Coleoptera

claudio sola

25

5771

01/11/2011, 22:22

MAPKOΣ Vedi ultimo messaggio

Nessun messaggio da leggere
Vesperus gomezi Verdugo, 2004
8.VIII.2008 - SPAGNA - EE
Allegato(i)
Vesperus gomezi Verdugo, 2004

8.VIII.2008 - SPAGNA - EE
Coleoptera

Antonio Verdugo

8

2250

01/11/2011, 20:01

Antonio Verdugo Vedi ultimo messaggio

Nessun messaggio da leggere
Allegato(i)
Pilemia annulata wawerkana (Reitter, 1905) - Cerambycidae

17.V.2011 - TURCHIA - EE
Coleoptera

rypos

0

782

30/10/2011, 23:46

rypos Vedi ultimo messaggio

Nessun messaggio da leggere
Monochamus galloprovincialis (Olivier, 1795) - Cerambycidae
1.VII.2011 - ITALIA - Friuli-Venezia Giulia - UD
Allegato(i) Dettagli della specie
Monochamus galloprovincialis (Olivier, 1795)
Cerambycidae


1.VII.2011 - ITALIA - Friuli-Venezia Giulia - UD
Coleoptera

StagBeetle

6

1934

29/10/2011, 17:49

Plagionotus Vedi ultimo messaggio

Nessun messaggio da leggere
Allegato(i)
Vesperus conicicollis conicicollis Fairmaire in Fairmaire & Coquerel, 1866

10.IX.2002 - SPAGNA - EE
Coleoptera

Antonio Verdugo

3

1195

28/10/2011, 13:41

Andricus Vedi ultimo messaggio

Nessun messaggio da leggere
Allegato(i)
Vesperus bolivari Paulino de Oliveira, 1890 - Cerambycidae

29.VIII.2009 - PORTOGALLO - EE
Coleoptera

Antonio Verdugo

1

951

28/10/2011, 12:56

FORBIX Vedi ultimo messaggio

Nessun messaggio da leggere
Parmena pubescens pubescens (Dalman, 1817) - Cerambycidae
27.VII.2011 - ITALIA - Sicilia - PA
Allegato(i) Dettagli della specie
Parmena pubescens pubescens (Dalman, 1817)
Cerambycidae


27.VII.2011 - ITALIA - Sicilia - PA
Coleoptera

Caliddo

6

1573

27/10/2011, 13:57

Entomarci Vedi ultimo messaggio

Nessun messaggio da leggere
Stenurella melanura (Linnaeus, 1758) cf. - Cerambycidae
2.VII.2011 - ITALIA - Emilia-Romagna - BO
Allegato(i) Dettagli della specie
Stenurella melanura (Linnaeus, 1758) cf.
Cerambycidae


2.VII.2011 - ITALIA - Emilia-Romagna - BO
Coleoptera

Menhit

10

2491

26/10/2011, 16:15

Xylosteus Vedi ultimo messaggio

Visualizza ultimi argomenti:  Ordina per  Ordine:  
nuovo argomento
Vai alla pagina Precedente  1 ... 56, 57, 58, 59, 60, 61, 62 ... 94  Prossimo
Pagina 59 di 94 [ 4653 argomenti ]

Tutti gli orari sono UTC + 1 ora [ ora legale ]


Chi c’è in linea

Visitano il forum: Nessuno e 10 ospiti


Legenda
Messaggi da leggere Messaggi da leggere Nessun messaggio da leggere Nessun messaggio da leggere Annuncio Annuncio
 
Specie indeterminata / discussione generica
Messaggi non letti [ Popolari ] Messaggi non letti [ Popolari ] Nessun messaggio da leggere [ Popolare ] Nessun messaggio da leggere [ Popolare ] Importante Importante
 
Specie determinata fino al genere o cf.
Messaggi non letti [ Bloccati ] Messaggi non letti [ Bloccati ] No messaggi non letti [ Bloccati ] No messaggi non letti [ Bloccati ] Argomento spostato Argomento spostato
 
Specie correttamente determinata
Permessi
Non puoi aprire nuovi argomenti
Non puoi rispondere negli argomenti
Non puoi modificare i tuoi messaggi
Non puoi cancellare i tuoi messaggi
Non puoi inviare allegati

Cerca per:
Vai a: