Benvenuto Ospite

Forum Entomologi Italiani

www.entomologiitaliani.net/forum
 
Oggi è 23/04/2026, 14:48

Tutti gli orari sono UTC + 1 ora [ ora legale ]


92% 
2928 taxa correttamente determinati su 3182 presenti in archivio

Cerambycidae


[ AFROTROPICALE ] [ ANTARTICO ] [ AUSTRALASIANO ] [ NEARTICO ] [ NEOTROPICALE ] [ ORIENTALE ] [ PALEARTICO ]


nuovo argomento
Vai alla pagina Precedente  1 ... 62, 63, 64, 65, 66, 67, 68 ... 94  Prossimo
Pagina 65 di 94 [ 4653 argomenti ]
 Argomenti   Ordine   Autore   Risposte   Visite    Ultimo messaggio 
Annunci
Nessun messaggio da leggere
Allegato(i)
Incontri entomologici della Società Entomologica Italiana 2025-2026
 

Velvet Ant

0

50503

17/11/2025, 19:41

Velvet Ant Vedi ultimo messaggio

Nessun messaggio da leggere
Allegato(i)
Incontri entomologici telematici organizzati dalla Società Entomologica Italiana nel 2022 e nel 2023

[ Vai alla paginaVai alla pagina: 1, 2, 3 ]

 

Velvet Ant

44

2014545

03/03/2023, 15:55

Velvet Ant Vedi ultimo messaggio

Nessun messaggio da leggere  
Allegato(i)
Sondaggio sul declino dell'entomofauna in Italia

[ Vai alla paginaVai alla pagina: 1, 2, 3, 4 ]

 

Velvet Ant

52

2687656

22/10/2022, 19:18

Acquarius Vedi ultimo messaggio

Nessun messaggio da leggere  
Allegato(i)
Progetto: Bibliografia ragionata dei lavori entomologici nei quali sono citati reperti apparsi su FEI

[ Vai alla paginaVai alla pagina: 1, 2, 3 ]

 

Velvet Ant

33

1616480

06/07/2023, 18:31

Orotrechus Vedi ultimo messaggio

Nessun messaggio da leggere
Allegato(i)
Mimesi, il primo documentario cinematografico sull’entomologia in Italia: casting
 

mazzeip

1

1138987

28/02/2019, 20:26

mazzeip Vedi ultimo messaggio

Questo argomento è bloccato, non puoi modificare o inviare ulteriori messaggi.
Allegato(i)
ISTRUZIONI PUBBLICAZIONE NUOVI ARGOMENTI E FOTO

 
Altri Ordini di Insetti

Julodis

4

2956730

13/05/2015, 19:37

Julodis Vedi ultimo messaggio

Nessun messaggio da leggere
Allegato(i)
Limitatore giornaliero di messaggi, uno strumento utile e ormai indispensabile

[ Vai alla paginaVai alla pagina: 1 ... 14, 15, 16 ]

 

Velvet Ant

233

13822225

25/09/2014, 14:31

Inachis Vedi ultimo messaggio

Nessun messaggio da leggere  
NORME PER I COLLABORATORI DEL FORUM

 
 

Velvet Ant

0

671635

02/06/2011, 12:05

Velvet Ant Vedi ultimo messaggio

Nessun messaggio da leggere
Allegato(i)
NORME PER GLI UTENTI DEL FORUM

[ Vai alla paginaVai alla pagina: 1, 2, 3 ]



 
 

Velvet Ant

30

3731500

23/09/2014, 23:54

Maurizio Bollino Vedi ultimo messaggio

Questo argomento è bloccato, non puoi modificare o inviare ulteriori messaggi.  
Elenco delle specie italiane di Cerambycidae presenti sul forum
Cerambycidae


 
Coleoptera

Plagionotus

0

6422

22/11/2010, 22:28

Plagionotus Vedi ultimo messaggio

Nessun messaggio da leggere  
Lista degli utenti del "Forum entomologi italiani" per campi di interesse e specializzazione

 
Altri Ordini di Insetti

Velvet Ant

13

1128245

07/09/2023, 17:14

Roberto-07 Vedi ultimo messaggio

Argomenti
Nessun messaggio da leggere
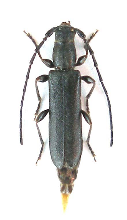
Aegosoma scabricorne (Scopoli, 1763) - Cerambycidae
4.VII.2011 - ITALIA - Emilia-Romagna - MO
Allegato(i) Dettagli della specie
Aegosoma scabricorne (Scopoli, 1763)
Cerambycidae


4.VII.2011 - ITALIA - Emilia-Romagna - MO
Coleoptera

conan

1

1217

05/07/2011, 15:37

Alessio89 Vedi ultimo messaggio

Nessun messaggio da leggere
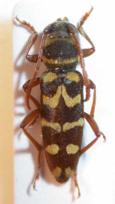
Pogonocherus perroudi perroudi Mulsant, 1839 - Cerambycidae
10.IV.2011 - ITALIA - Sicilia - CT
Allegato(i) Dettagli della specie
Pogonocherus perroudi perroudi Mulsant, 1839
Cerambycidae


10.IV.2011 - ITALIA - Sicilia - CT
Coleoptera

Isotomus

2

1049

05/07/2011, 14:00

Isotomus Vedi ultimo messaggio

Nessun messaggio da leggere
Pogonocherus fasciculatus (De Geer, 1775) - Cerambycidae
10.IV.2011 - ITALIA - Sicilia - CT
Allegato(i) Dettagli della specie
Pogonocherus fasciculatus (De Geer, 1775)
Cerambycidae


10.IV.2011 - ITALIA - Sicilia - CT
Coleoptera

Isotomus

0

849

05/07/2011, 13:36

Isotomus Vedi ultimo messaggio

Nessun messaggio da leggere
Anastrangalia sanguinolenta (Linnaeus, 1760) - Cerambycidae
19.VI.2011 - ITALIA - Emilia-Romagna - PR
Allegato(i) Dettagli della specie
Anastrangalia sanguinolenta (Linnaeus, 1760)
Cerambycidae


19.VI.2011 - ITALIA - Emilia-Romagna - PR
Coleoptera

antoEandrea

2

1243

04/07/2011, 13:44

antoEandrea Vedi ultimo messaggio

Nessun messaggio da leggere
Stenurella melanura (Linnaeus, 1758) - Cerambycidae
3.VII.2011 - ITALIA - Emilia-Romagna - PR
Allegato(i) Dettagli della specie
Stenurella melanura (Linnaeus, 1758)
Cerambycidae


3.VII.2011 - ITALIA - Emilia-Romagna - PR
Coleoptera

antoEandrea

2

1152

04/07/2011, 13:43

antoEandrea Vedi ultimo messaggio

Nessun messaggio da leggere
Allegato(i) Dettagli della specie
Plagionotus detritus detritus (Linnaeus, 1758)
Cerambycidae


2.VII.2011 - ITALIA - Lazio - RM
Coleoptera

Fabio Turchetti

7

2112

04/07/2011, 8:11

Fabio Turchetti Vedi ultimo messaggio

Nessun messaggio da leggere
Allegato(i) Dettagli della specie
Neodorcadion bilineatum (Germar, 1824)
Cerambycidae


16.IV.1972 - UNGHERIA - EE
Coleoptera

marco paglialunga

3

1754

04/07/2011, 7:59

Isotomus Vedi ultimo messaggio

Nessun messaggio da leggere
Allegato(i) Dettagli della specie
Dorcadion (Pedestredorcadion) arenarium marsicanum Fracassi, 1905
Cerambycidae


VI.1972 - ITALIA - Lazio - RM
Coleoptera

marco paglialunga

2

1271

04/07/2011, 7:21

Isotomus Vedi ultimo messaggio

Nessun messaggio da leggere
Allegato(i)
Cerambyx dux (Faldermann, 1837) cf. - Cerambycidae
Cerambycidae


7.VII.1984 - GRECIA - EE
Coleoptera

Julodis

4

1852

03/07/2011, 20:46

Xylosteus Vedi ultimo messaggio

Nessun messaggio da leggere
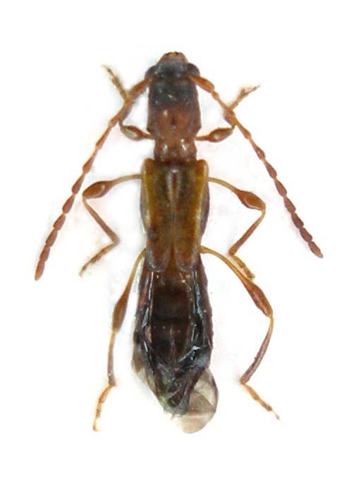
Gracilia minuta (Fabricius, 1781) - Cerambycidae
8.VI.2011 - ITALIA - Lazio - RM
Allegato(i) Dettagli della specie
Gracilia minuta (Fabricius, 1781)
Cerambycidae


8.VI.2011 - ITALIA - Lazio - RM
Coleoptera

soken

3

1313

03/07/2011, 16:00

soken Vedi ultimo messaggio

Nessun messaggio da leggere
Allegato(i)
Acanthocinus hispanicus Sama & Schurmann, 1981 - Spagna, Andalusia. El Campillo

30.III.2011 - SPAGNA - EE
Coleoptera

Isotomus

1

1585

03/07/2011, 15:53

claudio sola Vedi ultimo messaggio

Nessun messaggio da leggere
Acanthocinus griseus (Fabricius, 1792) - Cerambycidae
30.VI.2011 - ITALIA - Emilia-Romagna - BO
Allegato(i) Dettagli della specie
Acanthocinus griseus (Fabricius, 1792)
Cerambycidae


30.VI.2011 - ITALIA - Emilia-Romagna - BO
Coleoptera

Loriscola

3

2248

03/07/2011, 9:40

Isotomus Vedi ultimo messaggio

Nessun messaggio da leggere
Penichroa fasciata (Stephens, 1831) - Cerambycidae
2.VII.2011 - ITALIA - Sardegna - CA
Allegato(i) Dettagli della specie
Penichroa fasciata (Stephens, 1831)
Cerambycidae


2.VII.2011 - ITALIA - Sardegna - CA
Coleoptera

ruzzpa

1

1171

03/07/2011, 6:58

Isotomus Vedi ultimo messaggio

Nessun messaggio da leggere
Molorchus minor minor (Linnaeus, 1758) - Cerambycidae
30.VI.2011 - ITALIA - Emilia-Romagna - BO
Allegato(i) Dettagli della specie
Molorchus minor minor (Linnaeus, 1758)
Cerambycidae


30.VI.2011 - ITALIA - Emilia-Romagna - BO
Coleoptera

Loriscola

1

1106

02/07/2011, 10:13

Isotomus Vedi ultimo messaggio

Nessun messaggio da leggere
Allegato(i) Dettagli della specie
Dorcadion (Pedestredorcadion) etruscum (Rossi, 1790)
Cerambycidae


1.VII.2011 - ITALIA - Lazio - RM
Coleoptera

Fabio Turchetti

10

2021

01/07/2011, 14:43

Fabio Turchetti Vedi ultimo messaggio

Nessun messaggio da leggere
Allegato(i)
Helladia praetextata nigricollis (Pic, 1891) - Cerambycidae - Spedizione italo - turca - Turchia 2011

25.V.2011 - TURCHIA - EE
Coleoptera

Isotomus

11

1951

01/07/2011, 8:46

Isotomus Vedi ultimo messaggio

Nessun messaggio da leggere
Allegato(i) Dettagli della specie
Aegomorphus clavipes (Schrank, 1781)
Cerambycidae


28.V.2011 - GRECIA - EE
Coleoptera

Dave

5

1701

30/06/2011, 20:46

Dave Vedi ultimo messaggio

Nessun messaggio da leggere
Allegato(i) Dettagli della specie
Phytoecia caerulea caerulea (Scopoli, 1772)
Cerambycidae


25.V.2011 - TURCHIA - EE
Coleoptera

Isotomus

0

809

30/06/2011, 18:52

Isotomus Vedi ultimo messaggio

Nessun messaggio da leggere
Allegato(i) Dettagli della specie
Stenhomalus (Obriopsis) bicolor (Kraatz, 1862)
Cerambycidae


25.V.2011 - TURCHIA - EE
Coleoptera

Isotomus

1

761

30/06/2011, 18:51

Plagionotus Vedi ultimo messaggio

Nessun messaggio da leggere
Allegato(i)
Molorchus juglandis Sama, 1982 - Spedizione italo turca Turchia 2011

25.V.2011 - TURCHIA - EE
Coleoptera

Isotomus

0

620

30/06/2011, 18:35

Isotomus Vedi ultimo messaggio

Nessun messaggio da leggere
Allegato(i)
Delagrangeus angustissimus angustissimus Pic, 1892 - spedizione italo turca - Turchia 2011

25.V.2011 - TURCHIA - EE
Coleoptera

Isotomus

0

581

30/06/2011, 18:25

Isotomus Vedi ultimo messaggio

Nessun messaggio da leggere
Allegato(i)
Brachypteroma holtzi Pic, 1905 - Spedizione italo turca - Turchia 2011

25.V.2011 - TURCHIA - EE
Coleoptera

Isotomus

0

668

30/06/2011, 17:54

Isotomus Vedi ultimo messaggio

Nessun messaggio da leggere
Anaglyptus gibbosus (Fabricius, 1787) - Cerambycidae
15.VI.2011 - ITALIA - Abruzzo - AQ
Allegato(i) Dettagli della specie
Anaglyptus gibbosus (Fabricius, 1787)
Cerambycidae


15.VI.2011 - ITALIA - Abruzzo - AQ
Coleoptera

Julodis

3

1198

30/06/2011, 17:28

Plagionotus Vedi ultimo messaggio

Nessun messaggio da leggere
Chlorophorus varius varius (O. F. Müller, 1766) - Cerambycidae
30.VI.2011 - ITALIA - Lombardia - MI
Allegato(i) Dettagli della specie
Chlorophorus varius varius (O. F. Müller, 1766)
Cerambycidae


30.VI.2011 - ITALIA - Lombardia - MI
Coleoptera

wildrocker

2

856

30/06/2011, 17:02

wildrocker Vedi ultimo messaggio

Nessun messaggio da leggere
Allegato(i) Dettagli della specie
Arhopalus syriacus (Reitter, 1895)
Cerambycidae


23.VI.2011 - TURCHIA - EE
Coleoptera

Isotomus

0

648

30/06/2011, 15:40

Isotomus Vedi ultimo messaggio

Nessun messaggio da leggere
Allegato(i) Dettagli della specie
Purpuricenus (Purpuricenus) kaehleri kaehleri (Linnaeus, 1758)
Cerambycidae


29.VI.2011 - ITALIA - Liguria - SV
Coleoptera

fabio.aste

7

1524

30/06/2011, 13:41

Entomarci Vedi ultimo messaggio

Nessun messaggio da leggere
Phymatodes testaceus (Linnaeus, 1758) - Cerambycidae
VI.2011 - ITALIA - Sicilia - PA
Allegato(i) Dettagli della specie
Phymatodes testaceus (Linnaeus, 1758)
Cerambycidae


VI.2011 - ITALIA - Sicilia - PA
Coleoptera

carabus

2

839

30/06/2011, 11:09

Plagionotus Vedi ultimo messaggio

Nessun messaggio da leggere
Allegato(i)
Anastrangalia montana montana (Mulsant et Rey, 1863) - Cerambycidae

26.V.2011 - TURCHIA - EE
Coleoptera

Fumea crassiorella

4

992

30/06/2011, 8:01

Isotomus Vedi ultimo messaggio

Nessun messaggio da leggere
Stenopterus rufus rufus (Linnaeus, 1767) - Cerambycidae
2.VI.2011 - ITALIA - Toscana - AR
Allegato(i) Dettagli della specie
Stenopterus rufus rufus (Linnaeus, 1767)
Cerambycidae


2.VI.2011 - ITALIA - Toscana - AR
Coleoptera

ff57

1

802

30/06/2011, 7:53

Isotomus Vedi ultimo messaggio

Nessun messaggio da leggere
Monochamus sutor sutor (Linnaeus, 1758) - Cerambycidae
27.VI.2011 - ITALIA - Piemonte - TO
Allegato(i) Dettagli della specie
Monochamus sutor sutor (Linnaeus, 1758)
Cerambycidae


27.VI.2011 - ITALIA - Piemonte - TO
Coleoptera

Seraph

4

1265

29/06/2011, 22:45

Seraph Vedi ultimo messaggio

Nessun messaggio da leggere
Allegato(i)
Dorcadion quadripustulatum Kraatz, 1873 - Cerambycidae

13.IV.2010 - TURCHIA - EE
Coleoptera

Dave

1

962

29/06/2011, 16:43

ivo Vedi ultimo messaggio

Nessun messaggio da leggere
Dorcadion (Pedestredorcadion) etruscum bravardi Pic, 1916 - Cerambycidae
6.VI.2008 - MACEDONIA, REPUBBLICA JUGOSLAVA DELLA - EE
Allegato(i)
Dorcadion (Pedestredorcadion) etruscum bravardi Pic, 1916 - Cerambycidae

6.VI.2008 - MACEDONIA, REPUBBLICA JUGOSLAVA DELLA - EE
Coleoptera

Dave

2

1556

29/06/2011, 9:01

Malpertuis Vedi ultimo messaggio

Nessun messaggio da leggere
Allegato(i)
Dorcadion (Pedestredorcadion) kozanii kozanii Breuning, 1962
Cerambycidae


1.VI.2011 - GRECIA - EE
Coleoptera

Dave

3

1089

29/06/2011, 0:14

zdeno Vedi ultimo messaggio

Nessun messaggio da leggere
Allegato(i)
Dorcadion (Pedestredorcadion) etruscum bravardi Pic, 1916 - Cerambycidae

27.V.2011 - GRECIA - EE
Coleoptera

Dave

2

996

29/06/2011, 0:11

zdeno Vedi ultimo messaggio

Nessun messaggio da leggere
Stenurella melanura (Linnaeus, 1758) - Cerambycidae
25.VI.2011 - ITALIA - Lazio - RM
Allegato(i) Dettagli della specie
Stenurella melanura (Linnaeus, 1758)
Cerambycidae


25.VI.2011 - ITALIA - Lazio - RM
Coleoptera

Broc

2

877

28/06/2011, 23:30

Broc Vedi ultimo messaggio

Nessun messaggio da leggere
Stenopterus rufus rufus (Linnaeus, 1767) - Cerambycidae
26.VI.2011 - ITALIA - Umbria - PG
Allegato(i) Dettagli della specie
Stenopterus rufus rufus (Linnaeus, 1767)
Cerambycidae


26.VI.2011 - ITALIA - Umbria - PG
Coleoptera

ilio

1

940

27/06/2011, 20:07

zdeno Vedi ultimo messaggio

Nessun messaggio da leggere
Pachytodes erraticus erraticus (Dalman, 1817) - Cerambycidae
26.VI.2011 - ITALIA - Umbria - PG
Allegato(i) Dettagli della specie
Pachytodes erraticus erraticus (Dalman, 1817)
Cerambycidae


26.VI.2011 - ITALIA - Umbria - PG
Coleoptera

ilio

1

1069

27/06/2011, 20:06

zdeno Vedi ultimo messaggio

Nessun messaggio da leggere
Plagionotus floralis (Pallas, 1773) - Cerambycidae
26.VI.2011 - ITALIA - Umbria - PG
Allegato(i) Dettagli della specie
Plagionotus floralis (Pallas, 1773)
Cerambycidae


26.VI.2011 - ITALIA - Umbria - PG
Coleoptera

ilio

1

1269

27/06/2011, 20:06

zdeno Vedi ultimo messaggio

Nessun messaggio da leggere
Agapanthia (Epoptes) sicula malmerendii Sama, 1981 - Cerambycidae
26.VI.2011 - ITALIA - Emilia-Romagna - MO
Allegato(i) Dettagli della specie
Agapanthia (Epoptes) sicula malmerendii Sama, 1981
Cerambycidae


26.VI.2011 - ITALIA - Emilia-Romagna - MO
Coleoptera

conan

1

1668

27/06/2011, 6:56

Isotomus Vedi ultimo messaggio

Nessun messaggio da leggere
Oxymirus cursor (Linnaeus, 1758) - Cerambycidae
26.VI.2011 - ITALIA - Valle d'Aosta - AO
Allegato(i) Dettagli della specie
Oxymirus cursor (Linnaeus, 1758)
Cerambycidae


26.VI.2011 - ITALIA - Valle d'Aosta - AO
Coleoptera

Gremu

2

1586

26/06/2011, 21:19

Gremu Vedi ultimo messaggio

Nessun messaggio da leggere
Parmena subpubescens Hellrigl, 1971 - Cerambycidae
19.VI.2011 - ITALIA - Sicilia - PA
Allegato(i) Dettagli della specie
Parmena subpubescens Hellrigl, 1971
Cerambycidae


19.VI.2011 - ITALIA - Sicilia - PA
Coleoptera

Entomarci

2

1394

26/06/2011, 14:16

Plagionotus Vedi ultimo messaggio

Nessun messaggio da leggere
Penichroa fasciata (Stephens, 1831) - Cerambycidae
25.VI.2011 - ITALIA - Sardegna - CA
Allegato(i) Dettagli della specie
Penichroa fasciata (Stephens, 1831)
Cerambycidae


25.VI.2011 - ITALIA - Sardegna - CA
Coleoptera

Fumea crassiorella

2

1374

25/06/2011, 22:24

Fumea crassiorella Vedi ultimo messaggio

Nessun messaggio da leggere
Schurmannia sicula Sama, 1979 - Cerambycidae
20.VI.2011 - ITALIA - Sicilia - PA
Allegato(i) Dettagli della specie
Schurmannia sicula Sama, 1979
Cerambycidae


20.VI.2011 - ITALIA - Sicilia - PA
Coleoptera

Isotomus

7

3041

25/06/2011, 20:01

Isotomus Vedi ultimo messaggio

Nessun messaggio da leggere
Acanthocinus aedilis (Linnaeus, 1758) - Cerambycidae
10.IV.2011 - ITALIA - Sicilia - CT
Allegato(i) Dettagli della specie
Acanthocinus aedilis (Linnaeus, 1758)
Cerambycidae


10.IV.2011 - ITALIA - Sicilia - CT
Coleoptera

Isotomus

0

1567

25/06/2011, 17:33

Isotomus Vedi ultimo messaggio

Nessun messaggio da leggere
Rhagium (Hagrium) bifasciatum Fabricius, 1775 - Cerambycidae
21.VI.2011 - ITALIA - Veneto - VI
Allegato(i) Dettagli della specie
Rhagium (Hagrium) bifasciatum Fabricius, 1775
Cerambycidae


21.VI.2011 - ITALIA - Veneto - VI
Coleoptera

Apoderus

12

3625

25/06/2011, 17:23

Apoderus Vedi ultimo messaggio

Nessun messaggio da leggere
Arhopalus ferus (Mulsant, 1839) - Cerambycidae
30.IV.2011 - ITALIA - Marche - AN
Allegato(i) Dettagli della specie
Arhopalus ferus (Mulsant, 1839)
Cerambycidae

[ Vai alla paginaVai alla pagina: 1, 2 ]



30.IV.2011 - ITALIA - Marche - AN
Coleoptera

StagBeetle

19

5289

24/06/2011, 15:00

Isotomus Vedi ultimo messaggio

Nessun messaggio da leggere
Allegato(i)
Plagionotus bobelayei (Brullé, 1832) - Cerambycidae

V.2011 - TURCHIA - EE
Coleoptera

Fumea crassiorella

6

1960

24/06/2011, 11:43

Isotomus Vedi ultimo messaggio

Nessun messaggio da leggere
Chlorophorus glabromaculatus (Goeze, 1777) - Cerambycidae
27.XII.2010 - ITALIA - Marche - AN
Allegato(i) Dettagli della specie
Chlorophorus glabromaculatus (Goeze, 1777)
Cerambycidae


27.XII.2010 - ITALIA - Marche - AN
Coleoptera

StagBeetle

10

1936

24/06/2011, 11:20

Plagionotus Vedi ultimo messaggio

Nessun messaggio da leggere
Allegato(i)
Lucasianus levaillantii (Lucas, 1849) - Cerambycidae

20.VI.2011 - SPAGNA - EE
Coleoptera

Isotomus

1

932

23/06/2011, 18:19

Plagionotus Vedi ultimo messaggio

Nessun messaggio da leggere
Alosterna tabacicolor (De Geer, 1775) - Cerambycidae
2.VI.2011 - ITALIA - Abruzzo - AQ
Allegato(i) Dettagli della specie
Alosterna tabacicolor (De Geer, 1775)
Cerambycidae


2.VI.2011 - ITALIA - Abruzzo - AQ
Coleoptera

Claude54

4

1280

23/06/2011, 14:23

Plagionotus Vedi ultimo messaggio

Visualizza ultimi argomenti:  Ordina per  Ordine:  
nuovo argomento
Vai alla pagina Precedente  1 ... 62, 63, 64, 65, 66, 67, 68 ... 94  Prossimo
Pagina 65 di 94 [ 4653 argomenti ]

Tutti gli orari sono UTC + 1 ora [ ora legale ]


Chi c’è in linea

Visitano il forum: Nessuno e 4 ospiti


Legenda
Messaggi da leggere Messaggi da leggere Nessun messaggio da leggere Nessun messaggio da leggere Annuncio Annuncio
 
Specie indeterminata / discussione generica
Messaggi non letti [ Popolari ] Messaggi non letti [ Popolari ] Nessun messaggio da leggere [ Popolare ] Nessun messaggio da leggere [ Popolare ] Importante Importante
 
Specie determinata fino al genere o cf.
Messaggi non letti [ Bloccati ] Messaggi non letti [ Bloccati ] No messaggi non letti [ Bloccati ] No messaggi non letti [ Bloccati ] Argomento spostato Argomento spostato
 
Specie correttamente determinata
Permessi
Non puoi aprire nuovi argomenti
Non puoi rispondere negli argomenti
Non puoi modificare i tuoi messaggi
Non puoi cancellare i tuoi messaggi
Non puoi inviare allegati

Cerca per:
Vai a: