Benvenuto Ospite

Forum Entomologi Italiani

www.entomologiitaliani.net/forum
 
Oggi è 28/03/2026, 15:10

Tutti gli orari sono UTC + 1 ora [ ora legale ]

Staphylinidae indeterminati


[ AFROTROPICALE ] [ ANTARTICO ] [ AUSTRALASIANO ] [ NEARTICO ] [ NEOTROPICALE ] [ ORIENTALE ] [ PALEARTICO ]


nuovo argomento
Vai alla pagina Precedente  1 ... 3, 4, 5, 6, 7, 8, 9 ... 12  Prossimo
Pagina 6 di 12 [ 576 argomenti ]
 Argomenti   Ordine   Autore   Risposte   Visite    Ultimo messaggio 
Annunci
Nessun messaggio da leggere
Allegato(i)
Incontri entomologici della Società Entomologica Italiana 2025-2026
 

Velvet Ant

0

39768

17/11/2025, 19:41

Velvet Ant Vedi ultimo messaggio

Nessun messaggio da leggere
Allegato(i)
Incontri entomologici telematici organizzati dalla Società Entomologica Italiana nel 2022 e nel 2023

[ Vai alla paginaVai alla pagina: 1, 2, 3 ]

 

Velvet Ant

44

1949909

03/03/2023, 15:55

Velvet Ant Vedi ultimo messaggio

Nessun messaggio da leggere  
Allegato(i)
Sondaggio sul declino dell'entomofauna in Italia

[ Vai alla paginaVai alla pagina: 1, 2, 3, 4 ]

 

Velvet Ant

52

2612536

22/10/2022, 19:18

Acquarius Vedi ultimo messaggio

Nessun messaggio da leggere  
Allegato(i)
Progetto: Bibliografia ragionata dei lavori entomologici nei quali sono citati reperti apparsi su FEI

[ Vai alla paginaVai alla pagina: 1, 2, 3 ]

 

Velvet Ant

33

1564890

06/07/2023, 18:31

Orotrechus Vedi ultimo messaggio

Nessun messaggio da leggere
Allegato(i)
Mimesi, il primo documentario cinematografico sull’entomologia in Italia: casting
 

mazzeip

1

1128068

28/02/2019, 20:26

mazzeip Vedi ultimo messaggio

Questo argomento è bloccato, non puoi modificare o inviare ulteriori messaggi.
Allegato(i)
ISTRUZIONI PUBBLICAZIONE NUOVI ARGOMENTI E FOTO

 
Altri Ordini di Insetti

Julodis

4

2941800

13/05/2015, 19:37

Julodis Vedi ultimo messaggio

Nessun messaggio da leggere
Allegato(i)
Limitatore giornaliero di messaggi, uno strumento utile e ormai indispensabile

[ Vai alla paginaVai alla pagina: 1 ... 14, 15, 16 ]

 

Velvet Ant

233

13512345

25/09/2014, 14:31

Inachis Vedi ultimo messaggio

Nessun messaggio da leggere  
NORME PER I COLLABORATORI DEL FORUM

 
 

Velvet Ant

0

662961

02/06/2011, 12:05

Velvet Ant Vedi ultimo messaggio

Nessun messaggio da leggere
Allegato(i)
NORME PER GLI UTENTI DEL FORUM

[ Vai alla paginaVai alla pagina: 1, 2, 3 ]



 
 

Velvet Ant

30

3679916

23/09/2014, 23:54

Maurizio Bollino Vedi ultimo messaggio

Nessun messaggio da leggere  
Lista degli utenti del "Forum entomologi italiani" per campi di interesse e specializzazione

 
Altri Ordini di Insetti

Velvet Ant

13

1102839

07/09/2023, 17:14

Roberto-07 Vedi ultimo messaggio

Argomenti
Nessun messaggio da leggere
Anotylus sp. - Staphylinidae Oxytelinae
6.XII.2015 - ITALIA - Abruzzo - PE
Allegato(i)
Anotylus sp. - Staphylinidae Oxytelinae

6.XII.2015 - ITALIA - Abruzzo - PE
Coleoptera

Alessio89

1

804

20/03/2016, 23:14

deryastenus Vedi ultimo messaggio

Nessun messaggio da leggere
Staphylinidae sp.
5.III.2016 - ITALIA - Veneto - TV
Allegato(i)
Staphylinidae sp.

5.III.2016 - ITALIA - Veneto - TV
Coleoptera

stefano tasca

0

663

06/03/2016, 19:49

stefano tasca Vedi ultimo messaggio

Nessun messaggio da leggere
Proteinus sp. - Staphylinidae Proteininae
3.III.2016 - ITALIA - Veneto - TV
Allegato(i)
Proteinus sp. - Staphylinidae Proteininae

3.III.2016 - ITALIA - Veneto - TV
Coleoptera

stefano tasca

8

1177

05/03/2016, 10:44

stefano tasca Vedi ultimo messaggio

Nessun messaggio da leggere
Tasgius sp. - Staphylinidae
3.III.2013 - GERMANIA - EE
Allegato(i)
Tasgius sp. - Staphylinidae

3.III.2013 - GERMANIA - EE
Coleoptera

gstalker

6

898

29/02/2016, 20:21

Honza Vedi ultimo messaggio

Nessun messaggio da leggere
Ocypus sp. - Staphylinidae
17.I.2016 - SPAGNA - EE
Allegato(i)
Ocypus sp. - Staphylinidae

17.I.2016 - SPAGNA - EE
Coleoptera

Chalybion

4

603

25/02/2016, 20:59

Chalybion Vedi ultimo messaggio

Nessun messaggio da leggere
Sepedophilus sp. - Staphylinidae Tachyporinae Tachyporini
9.III.2013 - ITALIA - Lombardia - BS
Allegato(i)
Sepedophilus sp. - Staphylinidae Tachyporinae Tachyporini

9.III.2013 - ITALIA - Lombardia - BS
Coleoptera

Livio

3

823

15/02/2016, 23:42

Livio Vedi ultimo messaggio

Nessun messaggio da leggere
Atheta sp. (cf.) - Staphylinidae Aleocharinae
29.I.2016 - ITALIA - Abruzzo - PE
Allegato(i)
Atheta sp. (cf.) - Staphylinidae Aleocharinae

29.I.2016 - ITALIA - Abruzzo - PE
Coleoptera

Alessio89

0

632

11/02/2016, 16:54

Alessio89 Vedi ultimo messaggio

Nessun messaggio da leggere
Atheta (Micronota) sp. (cf.) - Staphylinidae Aleocharinae
13.I.2016 - ITALIA - Abruzzo - PE
Allegato(i)
Atheta (Micronota) sp. (cf.) - Staphylinidae Aleocharinae

13.I.2016 - ITALIA - Abruzzo - PE
Coleoptera

Alessio89

0

590

10/02/2016, 16:58

Alessio89 Vedi ultimo messaggio

Nessun messaggio da leggere
Paederus sp. - Staphylinidae
29.I.2016 - ITALIA - Toscana - PT
Allegato(i)
Paederus sp. - Staphylinidae

29.I.2016 - ITALIA - Toscana - PT
Coleoptera

Giammarcoa

2

576

01/02/2016, 17:05

marco villa Vedi ultimo messaggio

Nessun messaggio da leggere
Philonthus sp
23.III.2014 - GERMANIA - EE
Allegato(i)
Philonthus sp

23.III.2014 - GERMANIA - EE
Coleoptera

gstalker

0

382

22/01/2016, 22:47

gstalker Vedi ultimo messaggio

Nessun messaggio da leggere
Philonthus sp. - Staphylinidae
8.VI.2013 - GERMANIA - EE
Allegato(i)
Philonthus sp. - Staphylinidae

8.VI.2013 - GERMANIA - EE
Coleoptera

gstalker

1

649

10/01/2016, 20:38

AetherisIgnis Vedi ultimo messaggio

Nessun messaggio da leggere
Quedius sp. - Staphylinidae
16.XI.2013 - ITALIA - Lombardia - BS
Allegato(i)
Quedius sp. - Staphylinidae

16.XI.2013 - ITALIA - Lombardia - BS
Coleoptera

Livio

6

1057

10/01/2016, 18:31

Livio Vedi ultimo messaggio

Nessun messaggio da leggere
Philonthus sp. - Staphylinidae
28.IV.2013 - GERMANIA - EE
Allegato(i)
Philonthus sp. - Staphylinidae

28.IV.2013 - GERMANIA - EE
Coleoptera

gstalker

0

758

09/01/2016, 22:23

gstalker Vedi ultimo messaggio

Nessun messaggio da leggere
Staphylinidae sp.
XI.2015 - ITALIA - Emilia-Romagna - RA
Allegato(i)
Staphylinidae sp.

XI.2015 - ITALIA - Emilia-Romagna - RA
Coleoptera

marco villa

6

729

24/12/2015, 11:07

Honza Vedi ultimo messaggio

Nessun messaggio da leggere
Staphylinidae sp.
2.XII.2015 - ITALIA - Veneto - VE
Allegato(i)
Staphylinidae sp.

2.XII.2015 - ITALIA - Veneto - VE
Coleoptera

ghebo

0

420

03/12/2015, 16:35

ghebo Vedi ultimo messaggio

Nessun messaggio da leggere
Staphylinidae
IX.2015 - ITALIA - Lazio - RM
Allegato(i)
Staphylinidae

IX.2015 - ITALIA - Lazio - RM
Coleoptera

aesalus37

0

471

05/11/2015, 19:27

aesalus37 Vedi ultimo messaggio

Nessun messaggio da leggere
Astenus (Eurysunius) (cf.) - Staphylinidae
23.X.2015 - ITALIA - Sardegna - NU
Allegato(i)
Astenus (Eurysunius) (cf.) - Staphylinidae

23.X.2015 - ITALIA - Sardegna - NU
Coleoptera

Fumea crassiorella

2

733

30/10/2015, 10:40

Fumea crassiorella Vedi ultimo messaggio

Nessun messaggio da leggere
Philonthus sp. - Staphylinidae
16.X.2015 - GERMANIA - EE
Allegato(i)
Philonthus sp. - Staphylinidae

16.X.2015 - GERMANIA - EE
Coleoptera

gstalker

2

537

26/10/2015, 15:06

mascalzonepadano Vedi ultimo messaggio

Nessun messaggio da leggere
Tachyporus sp. - Staphylinidae
VI.2015 - ITALIA - Lazio - RM
Allegato(i)
Tachyporus sp. - Staphylinidae

VI.2015 - ITALIA - Lazio - RM
Coleoptera

aesalus37

7

1237

16/10/2015, 11:03

Alessio89 Vedi ultimo messaggio

Nessun messaggio da leggere
Xantholinus sp. - Staphylinidae, Staphylininae, Xantholini
27.VIII.2015 - ITALIA - Abruzzo - PE
Allegato(i)
Xantholinus sp. - Staphylinidae, Staphylininae, Xantholini

27.VIII.2015 - ITALIA - Abruzzo - PE
Coleoptera

Alessio89

3

1103

28/09/2015, 19:07

Alessio89 Vedi ultimo messaggio

Nessun messaggio da leggere
Atheta sp. (cf.) - Staphylinidae
10.III.2015 - MALTA - EE
Allegato(i)
Atheta sp. (cf.) - Staphylinidae

10.III.2015 - MALTA - EE
Coleoptera

Fumea crassiorella

0

845

22/09/2015, 16:47

Fumea crassiorella Vedi ultimo messaggio

Nessun messaggio da leggere
Philonthus sp. (cf.) - Staphylinidae
30.III.2015 - MALTA - EE
Allegato(i)
Philonthus sp. (cf.) - Staphylinidae

30.III.2015 - MALTA - EE
Coleoptera

Fumea crassiorella

1

668

14/09/2015, 18:07

Lucanus tetraodon Vedi ultimo messaggio

Nessun messaggio da leggere
Sepedophilus sp. - Staphylinidae
1.IX.2015 - ITALIA - Lazio - RM
Allegato(i)
Sepedophilus sp. - Staphylinidae

1.IX.2015 - ITALIA - Lazio - RM
Coleoptera

Elena Regina

10

1189

14/09/2015, 13:35

Elena Regina Vedi ultimo messaggio

Nessun messaggio da leggere
Staphylinidae Tachyporinae
9.III.2015 - MALTA - EE
Allegato(i)
Staphylinidae Tachyporinae

9.III.2015 - MALTA - EE
Coleoptera

Fumea crassiorella

1

530

13/09/2015, 22:54

Fumea crassiorella Vedi ultimo messaggio

Nessun messaggio da leggere
Staphylinidae Aleocharinae
29.III.2015 - ITALIA - Emilia-Romagna - BO
Allegato(i)
Staphylinidae Aleocharinae

29.III.2015 - ITALIA - Emilia-Romagna - BO
Coleoptera

Olaffio

2

426

27/08/2015, 23:12

Olaffio Vedi ultimo messaggio

Nessun messaggio da leggere
Quedius sp - Staphylinidae
29.III.2015 - ITALIA - Emilia-Romagna - BO
Allegato(i)
Quedius sp - Staphylinidae

29.III.2015 - ITALIA - Emilia-Romagna - BO
Coleoptera

Olaffio

2

431

05/08/2015, 23:29

Olaffio Vedi ultimo messaggio

Nessun messaggio da leggere
Xantholinus sp. - Staphylinidae
24.IX.2014 - ITALIA - Toscana - LU
Allegato(i)
Xantholinus sp. - Staphylinidae

24.IX.2014 - ITALIA - Toscana - LU
Coleoptera

Michael

7

949

23/07/2015, 19:03

Michael Vedi ultimo messaggio

Nessun messaggio da leggere
Omalium sp. - Staphylinidae
4.V.2015 - ITALIA - Abruzzo - PE
Allegato(i)
Omalium sp. - Staphylinidae

4.V.2015 - ITALIA - Abruzzo - PE
Coleoptera

Alessio89

2

619

15/06/2015, 10:11

Alessio89 Vedi ultimo messaggio

Nessun messaggio da leggere
Scopaeus sp. - Staphylinidae Paederinae
4.V.2015 - ITALIA - Abruzzo - PE
Allegato(i)
Scopaeus sp. - Staphylinidae Paederinae

4.V.2015 - ITALIA - Abruzzo - PE
Coleoptera

Alessio89

2

562

13/06/2015, 16:56

Alessio89 Vedi ultimo messaggio

Nessun messaggio da leggere
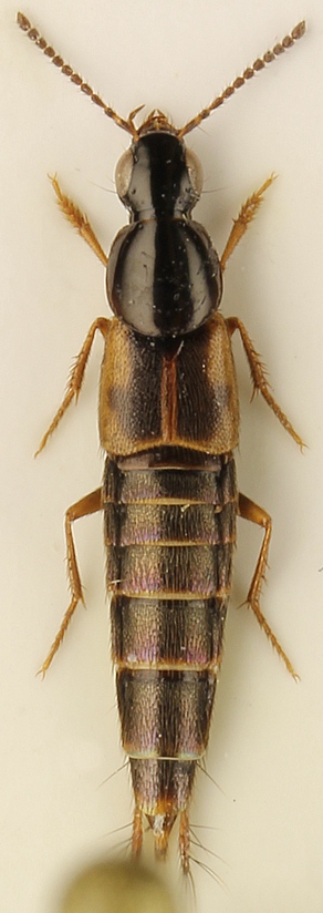
Quedius (Raphirus) sp. - Staphylinidae
4.VI.2011 - ITALIA - Sicilia - PA
Allegato(i)
Quedius (Raphirus) sp. - Staphylinidae

4.VI.2011 - ITALIA - Sicilia - PA
Coleoptera

Frantisek

0

417

09/06/2015, 22:08

Frantisek Vedi ultimo messaggio

Nessun messaggio da leggere
Quedius sp. - Staphylinidae
25.V.2015 - SPAGNA - EE
Allegato(i)
Quedius sp. - Staphylinidae

25.V.2015 - SPAGNA - EE
Coleoptera

Isidro

9

1010

28/05/2015, 6:27

Isidro Vedi ultimo messaggio

Nessun messaggio da leggere
Plataraea sp. - Staphylinidae
8.V.2015 - GERMANIA - EE
Allegato(i)
Plataraea sp. - Staphylinidae

8.V.2015 - GERMANIA - EE
Coleoptera

gstalker

2

600

22/05/2015, 13:31

AetherisIgnis Vedi ultimo messaggio

Nessun messaggio da leggere
Allegato(i)
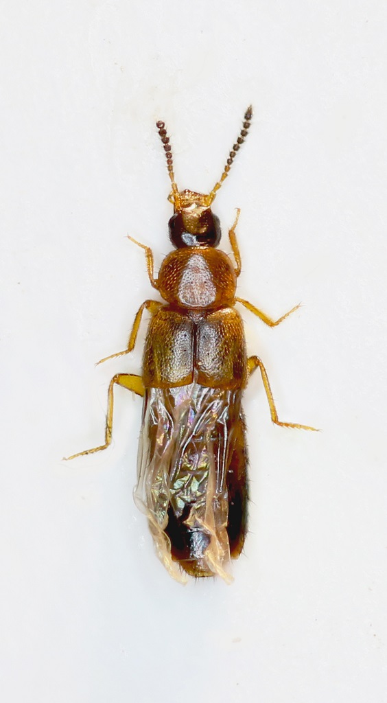
Philonthus laminatus (Creutzer, 1799) - Staphylinidae - Staphylininae

31.V.2014 - ITALIA - Sicilia - ME
Coleoptera

Lucanus tetraodon

3

759

14/05/2015, 17:18

Lucanus tetraodon Vedi ultimo messaggio

Nessun messaggio da leggere
Amarochara sp. - Staphylinidae Aleocharinae
17.III.2015 - ITALIA - Abruzzo - PE
Allegato(i)
Amarochara sp. - Staphylinidae Aleocharinae

17.III.2015 - ITALIA - Abruzzo - PE
Coleoptera

Alessio89

11

2200

22/04/2015, 17:52

Alessio89 Vedi ultimo messaggio

Nessun messaggio da leggere
Atheta sp. - Staphylinidae Aleocharinae
IV.1992 - ITALIA - Lazio - RM
Allegato(i)
Atheta sp. - Staphylinidae Aleocharinae

IV.1992 - ITALIA - Lazio - RM
Coleoptera

aesalus37

3

786

13/04/2015, 15:20

Julodis Vedi ultimo messaggio

Nessun messaggio da leggere
Philonthus sp. - Staphylinidae
11.IV.2015 - TURCHIA - EE
Allegato(i)
Philonthus sp. - Staphylinidae

11.IV.2015 - TURCHIA - EE
Coleoptera

Baris99

2

630

11/04/2015, 19:05

Baris99 Vedi ultimo messaggio

Nessun messaggio da leggere
Callicerus sp. - Staphylinidae
6.II.2015 - ITALIA - Abruzzo - PE
Allegato(i)
Callicerus sp. - Staphylinidae

[ Vai alla paginaVai alla pagina: 1, 2 ]



6.II.2015 - ITALIA - Abruzzo - PE
Coleoptera

Alessio89

18

3647

08/04/2015, 18:22

Alessio89 Vedi ultimo messaggio

Nessun messaggio da leggere
Tachyporus sp. - Staphylinidae
27.III.2015 - TURCHIA - EE
Allegato(i)
Tachyporus sp. - Staphylinidae

27.III.2015 - TURCHIA - EE
Coleoptera

Baris99

3

1030

07/04/2015, 17:13

Baris99 Vedi ultimo messaggio

Nessun messaggio da leggere
Gauropterus sp. - Staphylinidae
27.III.2015 - TURCHIA - EE
Allegato(i)
Gauropterus sp. - Staphylinidae

27.III.2015 - TURCHIA - EE
Coleoptera

Baris99

5

994

02/04/2015, 13:46

Baris99 Vedi ultimo messaggio

Nessun messaggio da leggere
Allegato(i)
Platystethus sp. - Staphylinidae Oxytelinae Oxytelini

28.III.2015 - TURCHIA - EE
Coleoptera

Baris99

2

631

02/04/2015, 7:57

Baris99 Vedi ultimo messaggio

Nessun messaggio da leggere
Ocypus sp. - Staphylinidae (larva)
19.III.2014 - ITALIA - Campania - SA
Allegato(i)
Ocypus sp. - Staphylinidae (larva)

19.III.2014 - ITALIA - Campania - SA
Coleoptera

Enzo.C

2

729

20/03/2015, 14:10

Enzo.C Vedi ultimo messaggio

Nessun messaggio da leggere
Staphylinidae sp.
18.III.2015 - TURCHIA - EE
Allegato(i)
Staphylinidae sp.

18.III.2015 - TURCHIA - EE
Coleoptera

Baris99

1

502

18/03/2015, 22:14

AetherisIgnis Vedi ultimo messaggio

Nessun messaggio da leggere
Larva di Ocypus sp. (cf.) - Staphylinidae
7.III.2015 - ITALIA - Lombardia - LC
Allegato(i)
Larva di Ocypus sp. (cf.) - Staphylinidae

7.III.2015 - ITALIA - Lombardia - LC
Coleoptera

Freddy

3

753

08/03/2015, 20:25

elleelle Vedi ultimo messaggio

Nessun messaggio da leggere
Staphylinidae
7.IV.1992 - ITALIA - Lazio - RM
Allegato(i)
Staphylinidae

7.IV.1992 - ITALIA - Lazio - RM
Coleoptera

aesalus37

5

735

01/03/2015, 7:50

aesalus37 Vedi ultimo messaggio

Nessun messaggio da leggere
Oxytelus sp. - Staphylinide
12.VI.2014 - ITALIA - Sardegna - CA
Allegato(i)
Oxytelus sp. - Staphylinide

12.VI.2014 - ITALIA - Sardegna - CA
Coleoptera

Palaemonetes

2

540

28/02/2015, 12:24

Palaemonetes Vedi ultimo messaggio

Nessun messaggio da leggere
Philonthus sp. - Staphylinidae
III.1992 - ITALIA - Lazio - RM
Allegato(i)
Philonthus sp. - Staphylinidae

III.1992 - ITALIA - Lazio - RM
Coleoptera

aesalus37

2

486

18/02/2015, 21:43

aesalus37 Vedi ultimo messaggio

Nessun messaggio da leggere
Lesteva sp. - Staphylinidae
6.V.2014 - ITALIA - Sardegna - NU
Allegato(i)
Lesteva sp. - Staphylinidae

6.V.2014 - ITALIA - Sardegna - NU
Coleoptera

Adriana49

6

1035

27/01/2015, 13:19

Adriana49 Vedi ultimo messaggio

Nessun messaggio da leggere
Astenus sp. - Staphylinidae
15.XI.2014 - ITALIA - Sardegna - NU
Allegato(i)
Astenus sp. - Staphylinidae

15.XI.2014 - ITALIA - Sardegna - NU
Coleoptera

Adriana49

9

1668

26/01/2015, 20:49

Adriana49 Vedi ultimo messaggio

Nessun messaggio da leggere
Mycetoporus sp. - Staphylinidae Tachyporinae
3.I.2015 - ITALIA - Abruzzo - PE
Allegato(i)
Mycetoporus sp. - Staphylinidae Tachyporinae

3.I.2015 - ITALIA - Abruzzo - PE
Coleoptera

Alessio89

6

1025

21/01/2015, 17:05

Alessio89 Vedi ultimo messaggio

Nessun messaggio da leggere
Atheta sp. - Staphylinidae Aleocharinae
10.I.2015 - ITALIA - Abruzzo - PE
Allegato(i)
Atheta sp. - Staphylinidae Aleocharinae

10.I.2015 - ITALIA - Abruzzo - PE
Coleoptera

Alessio89

1

758

19/01/2015, 14:53

Honza Vedi ultimo messaggio

Visualizza ultimi argomenti:  Ordina per  Ordine:  
nuovo argomento
Vai alla pagina Precedente  1 ... 3, 4, 5, 6, 7, 8, 9 ... 12  Prossimo
Pagina 6 di 12 [ 576 argomenti ]

Tutti gli orari sono UTC + 1 ora [ ora legale ]


Chi c’è in linea

Visitano il forum: Nessuno e 2 ospiti


Legenda
Messaggi da leggere Messaggi da leggere Nessun messaggio da leggere Nessun messaggio da leggere Annuncio Annuncio
 
Specie indeterminata / discussione generica
Messaggi non letti [ Popolari ] Messaggi non letti [ Popolari ] Nessun messaggio da leggere [ Popolare ] Nessun messaggio da leggere [ Popolare ] Importante Importante
 
Specie determinata fino al genere o cf.
Messaggi non letti [ Bloccati ] Messaggi non letti [ Bloccati ] No messaggi non letti [ Bloccati ] No messaggi non letti [ Bloccati ] Argomento spostato Argomento spostato
 
Specie correttamente determinata
Permessi
Non puoi aprire nuovi argomenti
Non puoi rispondere negli argomenti
Non puoi modificare i tuoi messaggi
Non puoi cancellare i tuoi messaggi
Non puoi inviare allegati

Cerca per:
Vai a: