Benvenuto Ospite

Forum Entomologi Italiani

www.entomologiitaliani.net/forum
 
Oggi è 13/02/2026, 9:39

Tutti gli orari sono UTC + 1 ora [ ora legale ]

Elateridae


[ AFROTROPICALE ] [ ANTARTICO ] [ AUSTRALASIANO ] [ NEARTICO ] [ NEOTROPICALE ] [ ORIENTALE ] [ PALEARTICO ]


nuovo argomento
Vai alla pagina Precedente  1 ... 27, 28, 29, 30, 31, 32, 33 ... 36  Prossimo
Pagina 30 di 36 [ 1767 argomenti ]
 Argomenti   Ordine   Autore   Risposte   Visite    Ultimo messaggio 
Annunci
Nessun messaggio da leggere
Allegato(i)
Incontri entomologici della Società Entomologica Italiana 2025-2026
 

Velvet Ant

0

24281

17/11/2025, 19:41

Velvet Ant Vedi ultimo messaggio

Nessun messaggio da leggere
Allegato(i)
Incontri entomologici telematici organizzati dalla Società Entomologica Italiana nel 2022 e nel 2023

[ Vai alla paginaVai alla pagina: 1, 2, 3 ]

 

Velvet Ant

44

1787533

03/03/2023, 15:55

Velvet Ant Vedi ultimo messaggio

Nessun messaggio da leggere  
Allegato(i)
Sondaggio sul declino dell'entomofauna in Italia

[ Vai alla paginaVai alla pagina: 1, 2, 3, 4 ]

 

Velvet Ant

52

2423841

22/10/2022, 19:18

Acquarius Vedi ultimo messaggio

Nessun messaggio da leggere  
Allegato(i)
Progetto: Bibliografia ragionata dei lavori entomologici nei quali sono citati reperti apparsi su FEI

[ Vai alla paginaVai alla pagina: 1, 2, 3 ]

 

Velvet Ant

33

1435937

06/07/2023, 18:31

Orotrechus Vedi ultimo messaggio

Nessun messaggio da leggere
Allegato(i)
Mimesi, il primo documentario cinematografico sull’entomologia in Italia: casting
 

mazzeip

1

1103221

28/02/2019, 20:26

mazzeip Vedi ultimo messaggio

Questo argomento è bloccato, non puoi modificare o inviare ulteriori messaggi.
Allegato(i)
ISTRUZIONI PUBBLICAZIONE NUOVI ARGOMENTI E FOTO

 
Altri Ordini di Insetti

Julodis

4

2907254

13/05/2015, 19:37

Julodis Vedi ultimo messaggio

Nessun messaggio da leggere
Allegato(i)
Limitatore giornaliero di messaggi, uno strumento utile e ormai indispensabile

[ Vai alla paginaVai alla pagina: 1 ... 14, 15, 16 ]

 

Velvet Ant

233

12804287

25/09/2014, 14:31

Inachis Vedi ultimo messaggio

Nessun messaggio da leggere  
NORME PER I COLLABORATORI DEL FORUM

 
 

Velvet Ant

0

644717

02/06/2011, 12:05

Velvet Ant Vedi ultimo messaggio

Nessun messaggio da leggere
Allegato(i)
NORME PER GLI UTENTI DEL FORUM

[ Vai alla paginaVai alla pagina: 1, 2, 3 ]



 
 

Velvet Ant

30

3552112

23/09/2014, 23:54

Maurizio Bollino Vedi ultimo messaggio

Nessun messaggio da leggere  
Lista degli utenti del "Forum entomologi italiani" per campi di interesse e specializzazione

 
Altri Ordini di Insetti

Velvet Ant

13

1044568

07/09/2023, 17:14

Roberto-07 Vedi ultimo messaggio

Argomenti
Nessun messaggio da leggere
Agriotes sordidus (Illiger, 1807) - Elateridae
23.I.2012 - ITALIA - Sicilia - PA
Allegato(i)
Agriotes sordidus (Illiger, 1807) - Elateridae

23.I.2012 - ITALIA - Sicilia - PA
Coleoptera

carabus

4

775

29/01/2012, 20:51

carabus Vedi ultimo messaggio

Nessun messaggio da leggere
Ctenicera cuprea (Fabricius, 1775) - Elateridae
14.VII.2004 - ITALIA - Toscana - LU
Allegato(i)
Ctenicera cuprea (Fabricius, 1775) - Elateridae

14.VII.2004 - ITALIA - Toscana - LU
Coleoptera

Anillus

2

551

22/01/2012, 1:24

Anillus Vedi ultimo messaggio

Nessun messaggio da leggere
Nothodes parvulus (Panzer, 1799) - Elateridae
18.V.2011 - ITALIA - Toscana - SI
Allegato(i)
Nothodes parvulus (Panzer, 1799) - Elateridae

18.V.2011 - ITALIA - Toscana - SI
Coleoptera

Anillus

3

530

22/01/2012, 1:23

Anillus Vedi ultimo messaggio

Nessun messaggio da leggere
Cardiophorus gruppo collaris-italicus - Elateridae
19.I.2012 - ITALIA - Veneto - VE
Allegato(i)
Cardiophorus gruppo collaris-italicus - Elateridae

19.I.2012 - ITALIA - Veneto - VE
Coleoptera

ghebo

4

856

21/01/2012, 14:27

ghebo Vedi ultimo messaggio

Nessun messaggio da leggere
Allegato(i)
Athous (Athous) haemorrhoidalis (Fabricius, 1801) - Elateridae

6.VI.2010 - ITALIA - Umbria - TR
Coleoptera

Anillus

2

805

20/01/2012, 21:53

Anillus Vedi ultimo messaggio

Nessun messaggio da leggere
Agriotes brevis Candèze, 1863 - Elateridae
24.V.2010 - ITALIA - Toscana - SI
Allegato(i)
Agriotes brevis Candèze, 1863 - Elateridae

24.V.2010 - ITALIA - Toscana - SI
Coleoptera

Anillus

2

771

20/01/2012, 21:51

Anillus Vedi ultimo messaggio

Nessun messaggio da leggere
Athous (Athous) limoniiformis Candèze, 1865 - Elateridae
16.VII.2006 - ITALIA - Umbria - PG
Allegato(i)
Athous (Athous) limoniiformis Candèze, 1865 - Elateridae

16.VII.2006 - ITALIA - Umbria - PG
Coleoptera

Anillus

4

759

20/01/2012, 13:48

Anillus Vedi ultimo messaggio

Nessun messaggio da leggere
Athous sp. - Elateridae
14.I.2012 - ITALIA - Emilia-Romagna - BO
Allegato(i)
Athous sp. - Elateridae

14.I.2012 - ITALIA - Emilia-Romagna - BO
Coleoptera

Loriscola

3

523

20/01/2012, 9:02

Loriscola Vedi ultimo messaggio

Nessun messaggio da leggere
Athous (Athous) vittatus (Gmelin 1790) - Elateridae
23.IV.2006 - ITALIA - Umbria - PG
Allegato(i)
Athous (Athous) vittatus (Gmelin 1790) - Elateridae

23.IV.2006 - ITALIA - Umbria - PG
Coleoptera

Anillus

3

529

20/01/2012, 0:46

Anillus Vedi ultimo messaggio

Nessun messaggio da leggere
Athous (Athous) vittatus (Gmelin 1790) - Elateridae
V.2006 - ITALIA - Toscana - AR
Allegato(i)
Athous (Athous) vittatus (Gmelin 1790) - Elateridae

V.2006 - ITALIA - Toscana - AR
Coleoptera

Anillus

3

850

20/01/2012, 0:43

Anillus Vedi ultimo messaggio

Nessun messaggio da leggere
Allegato(i)
Agriotes infuscatus (Desbrochers des Loges ,1870) - Elateridae

V.2006 - ITALIA - Toscana - AR
Coleoptera

Anillus

3

1151

20/01/2012, 0:42

Anillus Vedi ultimo messaggio

Nessun messaggio da leggere
Isidus moreli Mulsant & Rey, 1874 - Elateridae
5.IV.2010 - ITALIA - Toscana - GR
Allegato(i)
Isidus moreli Mulsant & Rey, 1874 - Elateridae

5.IV.2010 - ITALIA - Toscana - GR
Coleoptera

hypotyphlus

11

1445

19/01/2012, 22:45

hypotyphlus Vedi ultimo messaggio

Nessun messaggio da leggere
Campylomorphus homalisinus (Illiger 1807) - Elateridae
V.2006 - ITALIA - Toscana - AR
Allegato(i)
Campylomorphus homalisinus (Illiger 1807) - Elateridae

V.2006 - ITALIA - Toscana - AR
Coleoptera

Anillus

4

718

19/01/2012, 21:40

Anostirus Vedi ultimo messaggio

Nessun messaggio da leggere
Lacon punctatus (Herbst, 1779) - Elateridae
11.IV.2011 - ITALIA - Lombardia - PV
Allegato(i)
Lacon punctatus (Herbst, 1779) - Elateridae

11.IV.2011 - ITALIA - Lombardia - PV
Coleoptera

skero74

4

570

17/01/2012, 23:12

skero74 Vedi ultimo messaggio

Nessun messaggio da leggere
Zorochros trigonochirus (Binaghi, 1933) cf. - Elateridae
9.VI.2011 - ITALIA - Emilia-Romagna - RE
Allegato(i)
Zorochros trigonochirus (Binaghi, 1933) cf. - Elateridae

9.VI.2011 - ITALIA - Emilia-Romagna - RE
Coleoptera

Mikiphasmide

3

636

16/01/2012, 21:24

Mikiphasmide Vedi ultimo messaggio

Nessun messaggio da leggere
Cidnopus pseudopilosus Platia & Gudenzi, 1985 - Elateridae
6.VI.2010 - ITALIA - Umbria - TR
Allegato(i)
Cidnopus pseudopilosus Platia & Gudenzi, 1985 - Elateridae

6.VI.2010 - ITALIA - Umbria - TR
Coleoptera

Anillus

2

531

16/01/2012, 17:03

Anillus Vedi ultimo messaggio

Nessun messaggio da leggere
Agriotes sordidus (Illiger, 1807) - Elateridae
17.III.2009 - ITALIA - Sicilia - TP
Allegato(i)
Agriotes sordidus (Illiger, 1807) - Elateridae

17.III.2009 - ITALIA - Sicilia - TP
Coleoptera

Anillus

2

578

16/01/2012, 15:13

Anillus Vedi ultimo messaggio

Nessun messaggio da leggere
Campylomorphus homalisinus (Illiger, 1807) Resti - Elateridae
14.I.2012 - ITALIA - Emilia-Romagna - BO
Allegato(i)
Campylomorphus homalisinus (Illiger, 1807) Resti - Elateridae

14.I.2012 - ITALIA - Emilia-Romagna - BO
Coleoptera

Loriscola

2

504

16/01/2012, 12:57

Loriscola Vedi ultimo messaggio

Nessun messaggio da leggere
Pittonotus theseus (Germar, 1817) - Elateridae
25.VII.2006 - GRECIA - EE
Allegato(i)
Pittonotus theseus (Germar, 1817) - Elateridae

25.VII.2006 - GRECIA - EE
Coleoptera

Tenebrio

4

543

15/01/2012, 13:30

f.izzillo Vedi ultimo messaggio

Nessun messaggio da leggere
Athous (Athous) limoniiformis Candèze, 1865 - Elateridae
26.VI.2006 - ITALIA - Toscana - GR
Allegato(i)
Athous (Athous) limoniiformis Candèze, 1865 - Elateridae

26.VI.2006 - ITALIA - Toscana - GR
Coleoptera

Anillus

5

679

14/01/2012, 19:07

gabrif Vedi ultimo messaggio

Nessun messaggio da leggere
Mulsanteus guillebelli (Mulsant & Godart, 1853) - Elateridae
25.VI.2010 - ITALIA - Toscana - GR
Allegato(i)
Mulsanteus guillebelli (Mulsant & Godart, 1853) - Elateridae

25.VI.2010 - ITALIA - Toscana - GR
Coleoptera

Anillus

2

541

14/01/2012, 18:31

Anillus Vedi ultimo messaggio

Nessun messaggio da leggere
Elathous perrisi (Desbrochers des Loges, 1873) - Elateridae
18.IX.2011 - ITALIA - Sardegna - CA
Allegato(i)
Elathous perrisi (Desbrochers des Loges, 1873) - Elateridae

18.IX.2011 - ITALIA - Sardegna - CA
Coleoptera

Fumea crassiorella

2

435

13/01/2012, 12:08

Fumea crassiorella Vedi ultimo messaggio

Nessun messaggio da leggere
Melanotus villosus (Geoffroy in Fourcroy, 1785) - Elateridae
30.XII.2011 - ITALIA - Lombardia - CO
Allegato(i)
Melanotus villosus (Geoffroy in Fourcroy, 1785) - Elateridae

30.XII.2011 - ITALIA - Lombardia - CO
Coleoptera

salvo

7

866

10/01/2012, 23:49

salvo Vedi ultimo messaggio

Nessun messaggio da leggere
Zorochros alysidotus (Kiesenwetter, 1858) (cf.) - Elateridae
9.VI.2011 - ITALIA - Emilia-Romagna - RE
Allegato(i)
Zorochros alysidotus (Kiesenwetter, 1858) (cf.) - Elateridae

9.VI.2011 - ITALIA - Emilia-Romagna - RE
Coleoptera

Mikiphasmide

6

1007

08/01/2012, 22:01

Mikiphasmide Vedi ultimo messaggio

Nessun messaggio da leggere
Agriotes (Agriotes) litigiosus (Rossi, 1792) - Elateridae
VII.2011 - ITALIA - Lombardia - CO
Allegato(i)
Agriotes (Agriotes) litigiosus (Rossi, 1792) - Elateridae

VII.2011 - ITALIA - Lombardia - CO
Coleoptera

Tamás Németh

2

958

08/01/2012, 16:36

Tamás Németh Vedi ultimo messaggio

Nessun messaggio da leggere
Calambus bipustulatus (Linnaeus, 1767) - Elateridae
18.XII.2011 - ITALIA - Emilia-Romagna - BO
Allegato(i)
Calambus bipustulatus (Linnaeus, 1767) - Elateridae

18.XII.2011 - ITALIA - Emilia-Romagna - BO
Coleoptera

Loriscola

3

636

08/01/2012, 16:02

Anostirus Vedi ultimo messaggio

Nessun messaggio da leggere
Allegato(i)
Cardiophorus italicus Platia & Bartolozzi, 1988 - Elateridae

5.I.2012 - ITALIA - Lazio - RM
Coleoptera

Fabio Turchetti

4

564

06/01/2012, 22:34

Fabio Turchetti Vedi ultimo messaggio

Nessun messaggio da leggere
Allegato(i)
Cardiophorus (Cardiophorus) goezei Sanchez-Ruiz, 1996 - Elateridae

5.I.2012 - ITALIA - Lazio - RM
Coleoptera

Fabio Turchetti

2

447

06/01/2012, 21:51

Anostirus Vedi ultimo messaggio

Nessun messaggio da leggere
Allegato(i)
Cardiophorus italicus Platia & Bartolozzi, 1988 - Elateridae

[ Vai alla paginaVai alla pagina: 1, 2 ]



4.I.2012 - ITALIA - Lazio - RM
Coleoptera

Fabio Turchetti

24

1737

04/01/2012, 23:47

Fabio Turchetti Vedi ultimo messaggio

Nessun messaggio da leggere
Melanotus dichrous (Erichson, 1841) - Elateridae - Sicilia
10.VI.2011 - ITALIA - Sicilia - ME
Allegato(i)
Melanotus dichrous (Erichson, 1841) - Elateridae - Sicilia

10.VI.2011 - ITALIA - Sicilia - ME
Coleoptera

Lucanus tetraodon

2

498

02/01/2012, 20:34

Lucanus tetraodon Vedi ultimo messaggio

Nessun messaggio da leggere
Agrypnus murinus (Linnaeus, 1758) - Elateridae
30.V.2011 - ITALIA - Umbria - PG
Allegato(i)
Agrypnus murinus (Linnaeus, 1758) - Elateridae

30.V.2011 - ITALIA - Umbria - PG
Altri Ordini di Insetti

Maura

3

729

26/12/2011, 15:44

Isidro Vedi ultimo messaggio

Nessun messaggio da leggere
Allegato(i)
Cardiophorus (Cardiophorus) goezei Sanchez-Ruiz, 1996 - Elateridae

30.XI.2011 - ITALIA - Veneto - VE
Coleoptera

ghebo

2

663

23/12/2011, 22:39

ghebo Vedi ultimo messaggio

Nessun messaggio da leggere
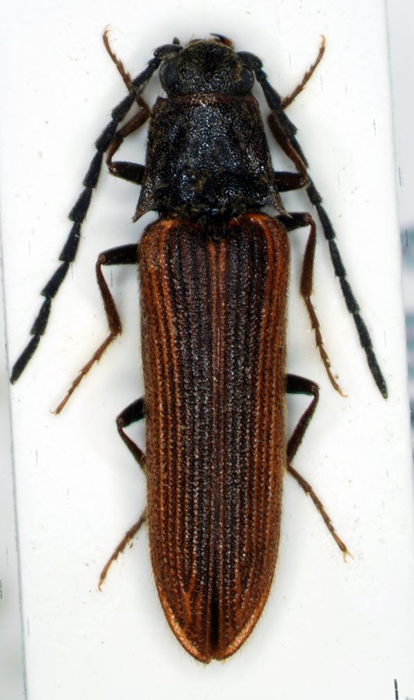
Cebrio sp. - larva - Elateridae Cebrioniinae
14.II.2009 - SPAGNA - EE
Allegato(i)
Cebrio sp. - larva - Elateridae Cebrioniinae

14.II.2009 - SPAGNA - EE
Coleoptera

Isidro

4

786

22/12/2011, 20:50

Fumea crassiorella Vedi ultimo messaggio

Nessun messaggio da leggere
Lacon punctatus (Herbst, 1779) - Elateridae
8.XII.2011 - ITALIA - Toscana - PI
Allegato(i)
Lacon punctatus (Herbst, 1779) - Elateridae

8.XII.2011 - ITALIA - Toscana - PI
Coleoptera

Stefano79

4

693

16/12/2011, 13:22

Stefano79 Vedi ultimo messaggio

Nessun messaggio da leggere
Drasterius bimaculatus (Rossi, 1790) - Elateridae
10.XII.2011 - ITALIA - Veneto - RO
Allegato(i)
Drasterius bimaculatus (Rossi, 1790) - Elateridae

10.XII.2011 - ITALIA - Veneto - RO
Coleoptera

Umbro

2

451

15/12/2011, 23:05

Anostirus Vedi ultimo messaggio

Nessun messaggio da leggere
Agriotes brevis Candèze, 1863 - Elateridae
7.IV.2010 - ITALIA - Emilia-Romagna - RE
Allegato(i)
Agriotes brevis Candèze, 1863 - Elateridae

7.IV.2010 - ITALIA - Emilia-Romagna - RE
Coleoptera

Mikiphasmide

2

624

13/12/2011, 22:20

Mikiphasmide Vedi ultimo messaggio

Nessun messaggio da leggere
Allegato(i)
Melanotus (Melanotus) tenebrosus (Erichson,1841) (cf.) - Elateridae

17.VI.2011 - ITALIA - Liguria - SV
Coleoptera

Mikiphasmide

2

558

08/12/2011, 13:00

Mikiphasmide Vedi ultimo messaggio

Nessun messaggio da leggere
Lacon punctatus (Herbst, 1779) - Elateridae
3.XII.2011 - ITALIA - Emilia-Romagna - RE
Allegato(i)
Lacon punctatus (Herbst, 1779) - Elateridae

3.XII.2011 - ITALIA - Emilia-Romagna - RE
Coleoptera

Mikiphasmide

3

584

06/12/2011, 16:01

Mikiphasmide Vedi ultimo messaggio

Nessun messaggio da leggere
Melanotus sp. - Elateridae (larva)
20.XI.2011 - ITALIA - Emilia-Romagna - RE
Allegato(i)
Melanotus sp. - Elateridae (larva)

20.XI.2011 - ITALIA - Emilia-Romagna - RE
Coleoptera

Mikiphasmide

4

565

28/11/2011, 20:39

Mikiphasmide Vedi ultimo messaggio

Nessun messaggio da leggere
Allegato(i)
Athous (Orthathous) bicolor (Goeze, 1777); Athous (Haplathous) subfuscus subfuscus (O. F. Muller, 1764); Athous (Athous) haemorrhoidalis (Fabricius, 1801) - Elateridae

10.VI.2011 - ITALIA - Emilia-Romagna - BO
Coleoptera

Menhit

4

757

22/11/2011, 11:22

FORBIX Vedi ultimo messaggio

Nessun messaggio da leggere
Melanotus tenebrosus (Erichson, 1841) - Elateridae
18.VI.2011 - ITALIA - Lazio - RM
Allegato(i)
Melanotus tenebrosus (Erichson, 1841) - Elateridae

18.VI.2011 - ITALIA - Lazio - RM
Coleoptera

Fabio Turchetti

2

429

18/11/2011, 21:27

Fabio Turchetti Vedi ultimo messaggio

Nessun messaggio da leggere
Allegato(i)
Drapetes mordelloides (Host, 1789) - Elateridae - Insetti della città di Roma

3.VI.1998 - ITALIA - Lazio - RM
Coleoptera

Julodis

5

967

12/11/2011, 0:34

Julodis Vedi ultimo messaggio

Nessun messaggio da leggere
Allegato(i)
Ampedus elegantulus (Schönherr, 1817) - Elateridae

28.X.2011 - ROMANIA - EE
Coleoptera

cosmln

11

1971

04/11/2011, 18:06

f.izzillo Vedi ultimo messaggio

Nessun messaggio da leggere
Cebrio sardous Perris, 1870 ♀ - Elateridae Cebrioninae
29.X.2011 - ITALIA - Sardegna - CA
Allegato(i)
Cebrio sardous Perris, 1870 ♀ - Elateridae Cebrioninae

29.X.2011 - ITALIA - Sardegna - CA
Coleoptera

Fumea crassiorella

12

1470

04/11/2011, 0:04

Fumea crassiorella Vedi ultimo messaggio

Nessun messaggio da leggere
Allegato(i)
Ampedus (Ampedus) cinnaberinus (Eschscholtz, 1829) - Elateridae

28.X.2011 - ROMANIA - EE
Coleoptera

cosmln

4

1580

03/11/2011, 21:02

cosmln Vedi ultimo messaggio

Nessun messaggio da leggere
Allegato(i)
Cebrio dubius Rossi, 1790 - Elateridae Cebrioninae Cebrionini

19.IX.2011 - ITALIA - Lazio - VT
Coleoptera

Andricus

1

469

01/11/2011, 17:29

Fumea crassiorella Vedi ultimo messaggio

Nessun messaggio da leggere
Eanus guttatus (Germar, 1817) - Elateridae
12.VIII.2011 - ROMANIA - EE
Allegato(i)
Eanus guttatus (Germar, 1817) - Elateridae

12.VIII.2011 - ROMANIA - EE
Coleoptera

cosmln

2

581

31/10/2011, 18:20

cosmln Vedi ultimo messaggio

Nessun messaggio da leggere
Lacon punctatus (Herbst, 1779) - Elateridae
28.X.2011 - ITALIA - Lazio - RM
Allegato(i)
Lacon punctatus (Herbst, 1779) - Elateridae

28.X.2011 - ITALIA - Lazio - RM
Coleoptera

Fabio Turchetti

2

417

29/10/2011, 23:50

Fabio Turchetti Vedi ultimo messaggio

Nessun messaggio da leggere
Stenagostus sardiniensis (Reitter, 1914) - Elateridae
15.VII.2009 - ITALIA - Sardegna - CA
Allegato(i)
Stenagostus sardiniensis (Reitter, 1914) - Elateridae

15.VII.2009 - ITALIA - Sardegna - CA
Coleoptera

Fumea crassiorella

3

521

28/10/2011, 15:13

Fumea crassiorella Vedi ultimo messaggio

Nessun messaggio da leggere
Stenagostus sardiniensis (Reitter, 1914) - Elateridae
10.VII.2010 - ITALIA - Sardegna - CA
Allegato(i)
Stenagostus sardiniensis (Reitter, 1914) - Elateridae

10.VII.2010 - ITALIA - Sardegna - CA
Coleoptera

Fumea crassiorella

5

792

28/10/2011, 12:12

Davide Cillo Vedi ultimo messaggio

Visualizza ultimi argomenti:  Ordina per  Ordine:  
nuovo argomento
Vai alla pagina Precedente  1 ... 27, 28, 29, 30, 31, 32, 33 ... 36  Prossimo
Pagina 30 di 36 [ 1767 argomenti ]

Tutti gli orari sono UTC + 1 ora [ ora legale ]


Chi c’è in linea

Visitano il forum: Nessuno e 1 ospite


Legenda
Messaggi da leggere Messaggi da leggere Nessun messaggio da leggere Nessun messaggio da leggere Annuncio Annuncio
 
Specie indeterminata / discussione generica
Messaggi non letti [ Popolari ] Messaggi non letti [ Popolari ] Nessun messaggio da leggere [ Popolare ] Nessun messaggio da leggere [ Popolare ] Importante Importante
 
Specie determinata fino al genere o cf.
Messaggi non letti [ Bloccati ] Messaggi non letti [ Bloccati ] No messaggi non letti [ Bloccati ] No messaggi non letti [ Bloccati ] Argomento spostato Argomento spostato
 
Specie correttamente determinata
Permessi
Non puoi aprire nuovi argomenti
Non puoi rispondere negli argomenti
Non puoi modificare i tuoi messaggi
Non puoi cancellare i tuoi messaggi
Non puoi inviare allegati

Cerca per:
Vai a: