Benvenuto Ospite

Forum Entomologi Italiani

www.entomologiitaliani.net/forum
 
Oggi è 08/05/2026, 22:30

Tutti gli orari sono UTC + 1 ora [ ora legale ]

Braconidae


[ AFROTROPICALE ] [ ANTARTICO ] [ AUSTRALASIANO ] [ NEARTICO ] [ NEOTROPICALE ] [ ORIENTALE ] [ PALEARTICO ]


nuovo argomento
Vai alla pagina Precedente  1, 2, 3
Pagina 3 di 3 [ 119 argomenti ]
 Argomenti   Ordine   Autore   Risposte   Visite    Ultimo messaggio 
Annunci
Nessun messaggio da leggere
Allegato(i)
Incontri entomologici della Società Entomologica Italiana 2025-2026
 

Velvet Ant

0

57415

17/11/2025, 19:41

Velvet Ant Vedi ultimo messaggio

Nessun messaggio da leggere
Allegato(i)
Incontri entomologici telematici organizzati dalla Società Entomologica Italiana nel 2022 e nel 2023

[ Vai alla paginaVai alla pagina: 1, 2, 3 ]

 

Velvet Ant

44

2084488

03/03/2023, 15:55

Velvet Ant Vedi ultimo messaggio

Nessun messaggio da leggere  
Allegato(i)
Sondaggio sul declino dell'entomofauna in Italia

[ Vai alla paginaVai alla pagina: 1, 2, 3, 4 ]

 

Velvet Ant

52

2764558

22/10/2022, 19:18

Acquarius Vedi ultimo messaggio

Nessun messaggio da leggere  
Allegato(i)
Progetto: Bibliografia ragionata dei lavori entomologici nei quali sono citati reperti apparsi su FEI

[ Vai alla paginaVai alla pagina: 1, 2, 3 ]

 

Velvet Ant

33

1671912

06/07/2023, 18:31

Orotrechus Vedi ultimo messaggio

Nessun messaggio da leggere
Allegato(i)
Mimesi, il primo documentario cinematografico sull’entomologia in Italia: casting
 

mazzeip

1

1149539

28/02/2019, 20:26

mazzeip Vedi ultimo messaggio

Questo argomento è bloccato, non puoi modificare o inviare ulteriori messaggi.
Allegato(i)
ISTRUZIONI PUBBLICAZIONE NUOVI ARGOMENTI E FOTO

 
Altri Ordini di Insetti

Julodis

4

2971321

13/05/2015, 19:37

Julodis Vedi ultimo messaggio

Nessun messaggio da leggere
Allegato(i)
Limitatore giornaliero di messaggi, uno strumento utile e ormai indispensabile

[ Vai alla paginaVai alla pagina: 1 ... 14, 15, 16 ]

 

Velvet Ant

233

14146241

25/09/2014, 14:31

Inachis Vedi ultimo messaggio

Nessun messaggio da leggere  
NORME PER I COLLABORATORI DEL FORUM

 
 

Velvet Ant

0

679899

02/06/2011, 12:05

Velvet Ant Vedi ultimo messaggio

Nessun messaggio da leggere
Allegato(i)
NORME PER GLI UTENTI DEL FORUM

[ Vai alla paginaVai alla pagina: 1, 2, 3 ]



 
 

Velvet Ant

30

3785166

23/09/2014, 23:54

Maurizio Bollino Vedi ultimo messaggio

Nessun messaggio da leggere  
Lista degli utenti del "Forum entomologi italiani" per campi di interesse e specializzazione

 
Altri Ordini di Insetti

Velvet Ant

13

1154040

07/09/2023, 17:14

Roberto-07 Vedi ultimo messaggio

Argomenti
Nessun messaggio da leggere
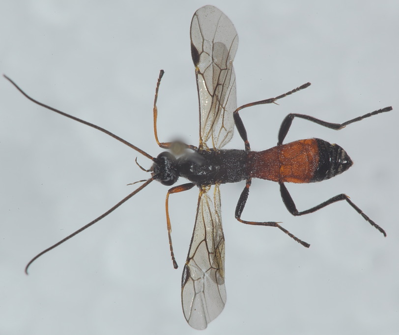
Hymenoptera Braconidae
21.V.2011 - ITALIA - Marche - PU
Allegato(i)
Hymenoptera Braconidae

21.V.2011 - ITALIA - Marche - PU
Hymenoptera

marco paglialunga

2

850

24/05/2011, 20:45

marco paglialunga Vedi ultimo messaggio

Nessun messaggio da leggere
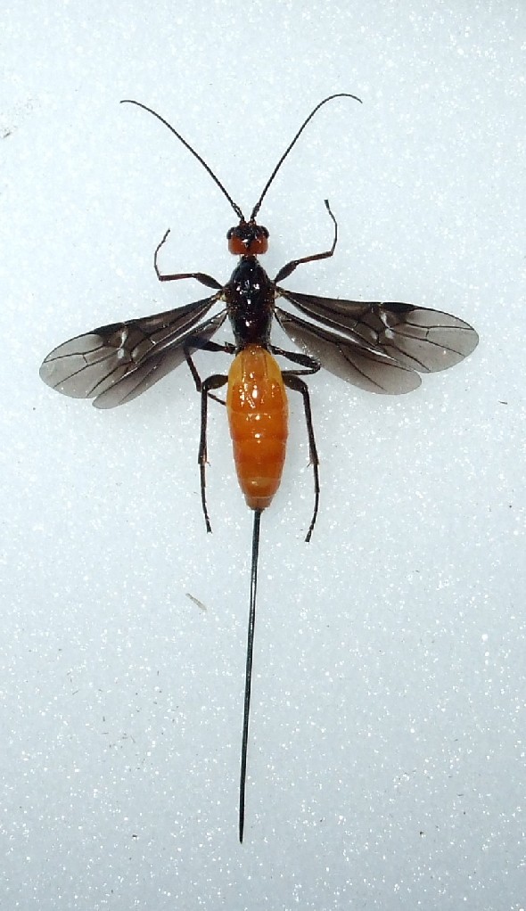
Aridelus rufotestaceus Tobias, 1986 - Braconidae Euphorinae
7.V.2011 - ITALIA - Emilia-Romagna - BO
Allegato(i)
Aridelus rufotestaceus Tobias, 1986 - Braconidae Euphorinae

7.V.2011 - ITALIA - Emilia-Romagna - BO
Hymenoptera

Gian Luca Agnoli

8

1828

23/05/2011, 20:48

Eopteryx Vedi ultimo messaggio

Nessun messaggio da leggere
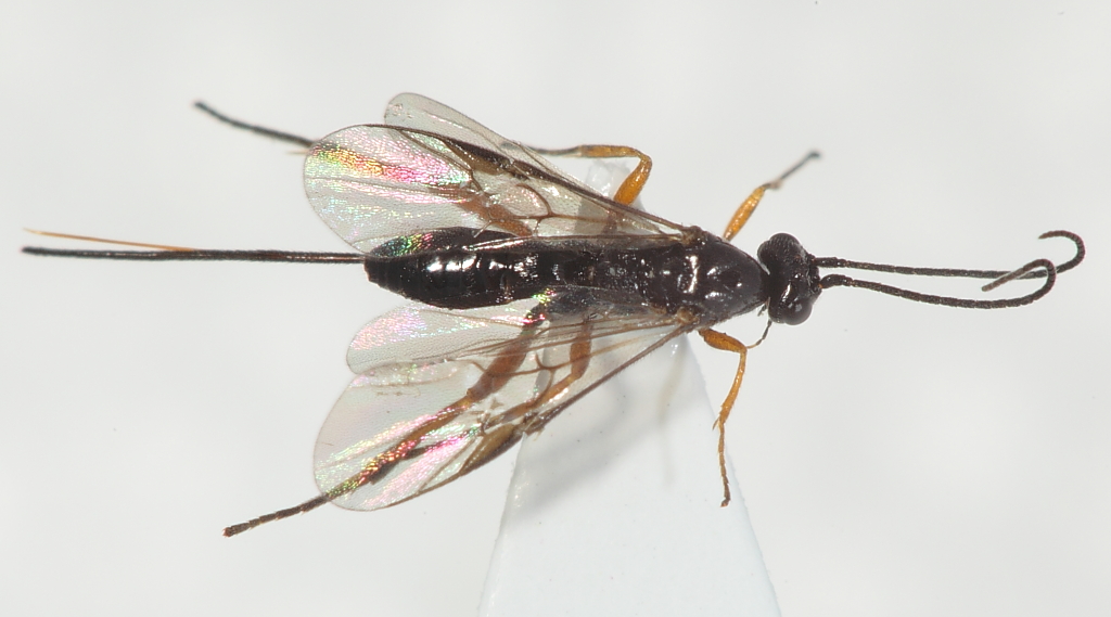
Braconidae
24.IV.2011 - ITALIA - Emilia-Romagna - RN
Allegato(i)
Braconidae

24.IV.2011 - ITALIA - Emilia-Romagna - RN
Hymenoptera

tala

1

920

18/05/2011, 9:19

Eopteryx Vedi ultimo messaggio

Nessun messaggio da leggere
Braconidae
24.IV.2011 - ITALIA - Emilia-Romagna - RN
Allegato(i)
Braconidae

24.IV.2011 - ITALIA - Emilia-Romagna - RN
Hymenoptera

tala

1

922

18/05/2011, 9:18

Eopteryx Vedi ultimo messaggio

Nessun messaggio da leggere
Braconidae
25.IV.2011 - ITALIA - Emilia-Romagna - RN
Allegato(i)
Braconidae

25.IV.2011 - ITALIA - Emilia-Romagna - RN
Hymenoptera

tala

1

1010

04/05/2011, 15:37

Eopteryx Vedi ultimo messaggio

Nessun messaggio da leggere
Imenottero Braconidae - Toscana-Isola d'Elba
18.II.2011 - ITALIA - Toscana - LI
Allegato(i)
Imenottero Braconidae - Toscana-Isola d'Elba

18.II.2011 - ITALIA - Toscana - LI
Hymenoptera

FORBIX

3

1061

14/03/2011, 10:27

Eopteryx Vedi ultimo messaggio

Nessun messaggio da leggere
Bozzoli di Imenotteri Braconidi
ITALIA - Lazio - RM
Allegato(i)
Bozzoli di Imenotteri Braconidi

[ Vai alla paginaVai alla pagina: 1, 2 ]



ITALIA - Lazio - RM
Hymenoptera

soken

15

3992

08/02/2011, 23:36

soken Vedi ultimo messaggio

Nessun messaggio da leggere
Braconidae
10.I.2011 - ITALIA - Sardegna - CA
Allegato(i)
Braconidae

10.I.2011 - ITALIA - Sardegna - CA
Hymenoptera

PierFrancescoMurgia

2

1105

12/01/2011, 15:34

PierFrancescoMurgia Vedi ultimo messaggio

Nessun messaggio da leggere
Braconidae da id.
11.VIII.2010 - ITALIA - Friuli-Venezia Giulia - GO
Allegato(i)
Braconidae da id.

11.VIII.2010 - ITALIA - Friuli-Venezia Giulia - GO
Hymenoptera

Agdistis

4

1471

09/01/2011, 15:19

marco paglialunga Vedi ultimo messaggio

Nessun messaggio da leggere
Apanteles sp. - Braconidae
29.XII.2010 - ITALIA - Sicilia - TP
Allegato(i)
Apanteles sp. - Braconidae

29.XII.2010 - ITALIA - Sicilia - TP
Hymenoptera

gigi58

2

1134

29/12/2010, 23:55

gigi58 Vedi ultimo messaggio

Nessun messaggio da leggere
Braconidae - Puglia
27.VII.2010 - ITALIA - Puglia - FG
Allegato(i)
Braconidae - Puglia

27.VII.2010 - ITALIA - Puglia - FG
Hymenoptera

Mugy

3

1384

11/11/2010, 21:43

FORBIX Vedi ultimo messaggio

Nessun messaggio da leggere
Braconidae da ID - Toscana-Isola d'Elba
7.X.2010 - ITALIA - Toscana - LI
Allegato(i)
Braconidae da ID - Toscana-Isola d'Elba

7.X.2010 - ITALIA - Toscana - LI
Hymenoptera

FORBIX

2

894

20/10/2010, 10:37

FORBIX Vedi ultimo messaggio

Nessun messaggio da leggere
Braconidae
IV.1997 - ITALIA - Marche - PU
Allegato(i)
Braconidae

IV.1997 - ITALIA - Marche - PU
Hymenoptera

marco paglialunga

2

983

29/09/2010, 9:58

marco paglialunga Vedi ultimo messaggio

Nessun messaggio da leggere
Braconidae - Toscana-Isola d'Elba
19.IX.2010 - ITALIA - Toscana - LI
Allegato(i)
Braconidae - Toscana-Isola d'Elba

19.IX.2010 - ITALIA - Toscana - LI
Hymenoptera

FORBIX

1

759

25/09/2010, 17:20

Eopteryx Vedi ultimo messaggio

Nessun messaggio da leggere
Imenottero Braconidae parassita su Psychide - Sardegna
18.II.2010 - ITALIA - Sardegna - CA
Allegato(i)
Imenottero Braconidae parassita su Psychide - Sardegna

18.II.2010 - ITALIA - Sardegna - CA
Hymenoptera

Fumea crassiorella

2

727

13/08/2010, 12:05

Fumea crassiorella Vedi ultimo messaggio

Nessun messaggio da leggere
Braconidae - Sardegna, Domus de Maria (IC) - lampada mista
17.VII.2010 - ITALIA - Sardegna - CA
Allegato(i)
Braconidae - Sardegna, Domus de Maria (IC) - lampada mista

17.VII.2010 - ITALIA - Sardegna - CA
Hymenoptera

ruzzpa

2

959

21/07/2010, 8:33

Hemerobius Vedi ultimo messaggio

Nessun messaggio da leggere
Braconidae - Fiuminata (MC) - Marche
12.VI.2010 - ITALIA - Marche - MC
Allegato(i)
Braconidae - Fiuminata (MC) - Marche

12.VI.2010 - ITALIA - Marche - MC
Hymenoptera

marco paglialunga

5

1314

15/07/2010, 9:24

Eopteryx Vedi ultimo messaggio

Nessun messaggio da leggere
Allegato(i)
Bracon hebetor Say, 1836 (Braconidae), parassitoide di Plodia interpunctella (Hübner, 1813) (Pyralidae, Phycitinae)

24.X.2009 - ITALIA - Sicilia - PA
Hymenoptera

eremicus

5

1680

25/10/2009, 11:17

Eopteryx Vedi ultimo messaggio

Nessun messaggio da leggere
Chelonus sp. - Ichneumonoidea, Braconidae, Cheloninae
19.X.2009 - ITALIA - Sardegna - SS
Allegato(i)
Chelonus sp. - Ichneumonoidea, Braconidae, Cheloninae

19.X.2009 - ITALIA - Sardegna - SS
Hymenoptera

Hemerobius

13

3279

20/10/2009, 6:26

Hemerobius Vedi ultimo messaggio

Visualizza ultimi argomenti:  Ordina per  Ordine:  
nuovo argomento
Vai alla pagina Precedente  1, 2, 3
Pagina 3 di 3 [ 119 argomenti ]

Tutti gli orari sono UTC + 1 ora [ ora legale ]


Chi c’è in linea

Visitano il forum: Nessuno e 2 ospiti


Legenda
Messaggi da leggere Messaggi da leggere Nessun messaggio da leggere Nessun messaggio da leggere Annuncio Annuncio
 
Specie indeterminata / discussione generica
Messaggi non letti [ Popolari ] Messaggi non letti [ Popolari ] Nessun messaggio da leggere [ Popolare ] Nessun messaggio da leggere [ Popolare ] Importante Importante
 
Specie determinata fino al genere o cf.
Messaggi non letti [ Bloccati ] Messaggi non letti [ Bloccati ] No messaggi non letti [ Bloccati ] No messaggi non letti [ Bloccati ] Argomento spostato Argomento spostato
 
Specie correttamente determinata
Permessi
Non puoi aprire nuovi argomenti
Non puoi rispondere negli argomenti
Non puoi modificare i tuoi messaggi
Non puoi cancellare i tuoi messaggi
Non puoi inviare allegati

Cerca per:
Vai a: