Benvenuto Ospite

Forum Entomologi Italiani

www.entomologiitaliani.net/forum
 
Oggi è 22/12/2025, 21:18

Tutti gli orari sono UTC + 1 ora [ ora legale ]

Proctotrupoidea


[ AFROTROPICALE ] [ ANTARTICO ] [ AUSTRALASIANO ] [ NEARTICO ] [ NEOTROPICALE ] [ ORIENTALE ] [ PALEARTICO ]


nuovo argomento
Pagina 1 di 1 [ 22 argomenti ]
 Argomenti   Ordine   Autore   Risposte   Visite    Ultimo messaggio 
Annunci
Nessun messaggio da leggere
Allegato(i)
Incontri entomologici della Società Entomologica Italiana 2025-2026
 

Velvet Ant

0

13797

17/11/2025, 19:41

Velvet Ant Vedi ultimo messaggio

Nessun messaggio da leggere
Allegato(i)
Incontri entomologici telematici organizzati dalla Società Entomologica Italiana nel 2022 e nel 2023

[ Vai alla paginaVai alla pagina: 1, 2, 3 ]

 

Velvet Ant

44

1694677

03/03/2023, 15:55

Velvet Ant Vedi ultimo messaggio

Nessun messaggio da leggere  
Allegato(i)
Sondaggio sul declino dell'entomofauna in Italia

[ Vai alla paginaVai alla pagina: 1, 2, 3, 4 ]

 

Velvet Ant

52

2317465

22/10/2022, 19:18

Acquarius Vedi ultimo messaggio

Nessun messaggio da leggere  
Allegato(i)
Progetto: Bibliografia ragionata dei lavori entomologici nei quali sono citati reperti apparsi su FEI

[ Vai alla paginaVai alla pagina: 1, 2, 3 ]

 

Velvet Ant

33

1360990

06/07/2023, 18:31

Orotrechus Vedi ultimo messaggio

Nessun messaggio da leggere
Allegato(i)
Mimesi, il primo documentario cinematografico sull’entomologia in Italia: casting
 

mazzeip

1

1087780

28/02/2019, 20:26

mazzeip Vedi ultimo messaggio

Questo argomento è bloccato, non puoi modificare o inviare ulteriori messaggi.
Allegato(i)
ISTRUZIONI PUBBLICAZIONE NUOVI ARGOMENTI E FOTO

 
Altri Ordini di Insetti

Julodis

4

2885940

13/05/2015, 19:37

Julodis Vedi ultimo messaggio

Nessun messaggio da leggere
Allegato(i)
Limitatore giornaliero di messaggi, uno strumento utile e ormai indispensabile

[ Vai alla paginaVai alla pagina: 1 ... 14, 15, 16 ]

 

Velvet Ant

233

12369349

25/09/2014, 14:31

Inachis Vedi ultimo messaggio

Nessun messaggio da leggere  
NORME PER I COLLABORATORI DEL FORUM

 
 

Velvet Ant

0

632881

02/06/2011, 12:05

Velvet Ant Vedi ultimo messaggio

Nessun messaggio da leggere
Allegato(i)
NORME PER GLI UTENTI DEL FORUM

[ Vai alla paginaVai alla pagina: 1, 2, 3 ]



 
 

Velvet Ant

30

3479269

23/09/2014, 23:54

Maurizio Bollino Vedi ultimo messaggio

Nessun messaggio da leggere  
Lista degli utenti del "Forum entomologi italiani" per campi di interesse e specializzazione

 
Altri Ordini di Insetti

Velvet Ant

13

1007980

07/09/2023, 17:14

Roberto-07 Vedi ultimo messaggio

Argomenti
Nessun messaggio da leggere
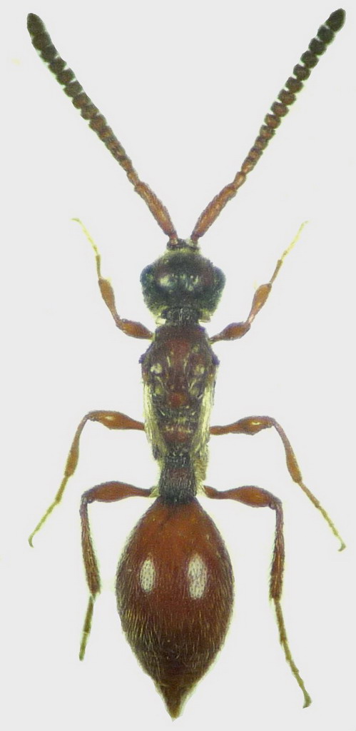
Exallonyx ligatus (Nees, 1834) cf. - Proctotrupidae
14.VI.2020 - ITALIA - Sardegna - SS
Allegato(i)
Exallonyx ligatus (Nees, 1834) cf. - Proctotrupidae

14.VI.2020 - ITALIA - Sardegna - SS
Hymenoptera

Pietro Niolu

2

1237

27/12/2021, 23:07

Pietro Niolu Vedi ultimo messaggio

Nessun messaggio da leggere
Trichopria sp. (cf.) - Diapriidae
27.IX.2021 - ITALIA - Lazio - RM
Allegato(i)
Trichopria sp. (cf.) - Diapriidae

27.IX.2021 - ITALIA - Lazio - RM
Hymenoptera

soken

2

997

29/09/2021, 15:05

soken Vedi ultimo messaggio

Nessun messaggio da leggere
Aclista alticollis (Thomson, 1859) - Diapriidae
1.III.2021 - ITALIA - Sicilia - TP
Allegato(i)
Aclista alticollis (Thomson, 1859) - Diapriidae

1.III.2021 - ITALIA - Sicilia - TP
Hymenoptera

angelo.ditta

1

981

19/03/2021, 15:28

angelo.ditta Vedi ultimo messaggio

Nessun messaggio da leggere
Diapriidae sp.
16.II.2018 - ITALIA - Lazio - RM
Allegato(i)
Diapriidae sp.

16.II.2018 - ITALIA - Lazio - RM
Hymenoptera

soken

6

1452

10/02/2021, 14:29

soken Vedi ultimo messaggio

Nessun messaggio da leggere
Diapriidae sp (cf.)
18.VIII.2018 - ITALIA - Lombardia - CO
Allegato(i)
Diapriidae sp (cf.)

18.VIII.2018 - ITALIA - Lombardia - CO
Altri Ordini di Insetti

fasmidi

2

1648

26/08/2018, 10:02

fasmidi Vedi ultimo messaggio

Nessun messaggio da leggere
Proctotrupidae sp.
12.IV.2014 - ITALIA - Lombardia - BG
Allegato(i)
Proctotrupidae sp.

12.IV.2014 - ITALIA - Lombardia - BG
Hymenoptera

Adriana49

2

1663

04/02/2018, 19:06

Adriana49 Vedi ultimo messaggio

Nessun messaggio da leggere
Diapridiidae sp (cf.) - Hymenoptera
3.VIII.2013 - ITALIA - Trentino-Alto Adige - TN
Allegato(i)
Diapridiidae sp (cf.) - Hymenoptera

3.VIII.2013 - ITALIA - Trentino-Alto Adige - TN
Hymenoptera

Mikiphasmide

2

1990

28/06/2017, 22:08

Daniele Maccapani Vedi ultimo messaggio

Nessun messaggio da leggere
Psilus sp. (cf.) - Proctotrupoidea Diapriidae
28.VII.2016 - SLOVACCHIA - EE
Allegato(i)
Psilus sp. (cf.) - Proctotrupoidea Diapriidae

28.VII.2016 - SLOVACCHIA - EE
Hymenoptera

civi

2

1890

06/09/2016, 13:16

civi Vedi ultimo messaggio

Nessun messaggio da leggere
Diapriidae sp.
14.II.2014 - ITALIA - Toscana - LI
Allegato(i)
Diapriidae sp.

14.II.2014 - ITALIA - Toscana - LI
Hymenoptera

FORBIX

1

1749

23/02/2014, 22:40

Andricus Vedi ultimo messaggio

Nessun messaggio da leggere
Proctotrupoidea sp.
5.IV.2013 - ITALIA - Sicilia - PA
Allegato(i)
Proctotrupoidea sp.

5.IV.2013 - ITALIA - Sicilia - PA
Hymenoptera

Notoxus59

2

1909

27/04/2013, 13:21

Notoxus59 Vedi ultimo messaggio

Nessun messaggio da leggere
Proctotrupoidea - Heloridae
VII.2012 - ITALIA - Sardegna - CA
Allegato(i)
Proctotrupoidea - Heloridae

VII.2012 - ITALIA - Sardegna - CA
Hymenoptera

Fumea crassiorella

4

2134

19/12/2012, 22:18

Hemerobius Vedi ultimo messaggio

Nessun messaggio da leggere
Proctotrupoidea - Diapriidae (cf.)
VII.2012 - ITALIA - Sardegna - CA
Allegato(i)
Proctotrupoidea - Diapriidae (cf.)

VII.2012 - ITALIA - Sardegna - CA
Hymenoptera

Fumea crassiorella

2

1670

19/12/2012, 15:16

Fumea crassiorella Vedi ultimo messaggio

Nessun messaggio da leggere
Hymenoptera Apocrita sp.
VII.2012 - ITALIA - Sardegna - CA
Allegato(i)
Hymenoptera Apocrita sp.

VII.2012 - ITALIA - Sardegna - CA
Hymenoptera

Fumea crassiorella

2

1452

17/12/2012, 21:31

Fumea crassiorella Vedi ultimo messaggio

Nessun messaggio da leggere
Diapriidae - Terebranti, Proctotrupoidei
7.X.2012 - ITALIA - Marche - AP
Allegato(i)
Diapriidae - Terebranti, Proctotrupoidei

7.X.2012 - ITALIA - Marche - AP
Hymenoptera

Anillus

3

2138

10/10/2012, 15:28

Hemerobius Vedi ultimo messaggio

Nessun messaggio da leggere
Proctotrupoidea
29.II.2012 - ITALIA - Lazio - RM
Allegato(i)
Proctotrupoidea

29.II.2012 - ITALIA - Lazio - RM
Hymenoptera

soken

10

2776

20/09/2012, 21:47

Hemerobius Vedi ultimo messaggio

Nessun messaggio da leggere
Diapriidae
10.III.2012 - ITALIA - Veneto - VE
Allegato(i)
Diapriidae

10.III.2012 - ITALIA - Veneto - VE
Hymenoptera

ghebo

2

1582

27/03/2012, 21:13

ghebo Vedi ultimo messaggio

Nessun messaggio da leggere
Allegato(i)
Diapriidae sp. - Hymenoptera Proctotrupoidea (femmina attera)

20.X.2011 - ITALIA - Toscana - MS
Hymenoptera

andrea bramanti

3

1843

31/10/2011, 13:37

andrea bramanti Vedi ultimo messaggio

Nessun messaggio da leggere
Diapriidae
24.VI.2011 - ITALIA - Marche - PU
Allegato(i)
Diapriidae

24.VI.2011 - ITALIA - Marche - PU
Hymenoptera

marco paglialunga

1

1259

29/06/2011, 8:44

marco paglialunga Vedi ultimo messaggio

Nessun messaggio da leggere
Diapridiidae
7.VII.2010 - ITALIA - Trentino-Alto Adige - TN
Allegato(i)
Diapridiidae

7.VII.2010 - ITALIA - Trentino-Alto Adige - TN
Hymenoptera

Andrea Pergine

3

1273

21/02/2011, 11:06

gomphus Vedi ultimo messaggio

Nessun messaggio da leggere
imenottero
19.I.2011 - ITALIA - Veneto - BL
Allegato(i)
imenottero

19.I.2011 - ITALIA - Veneto - BL
Hymenoptera

Maw89

0

983

20/01/2011, 23:32

Maw89 Vedi ultimo messaggio

Nessun messaggio da leggere
hymenottero da vaglio - Casalecchio di Reno (BO)
13.XI.2010 - ITALIA - Emilia-Romagna - BO
Allegato(i)
hymenottero da vaglio - Casalecchio di Reno (BO)

13.XI.2010 - ITALIA - Emilia-Romagna - BO
Hymenoptera

Loriscola

7

1724

21/11/2010, 22:11

Hemerobius Vedi ultimo messaggio

Nessun messaggio da leggere
Diapriidae spp. - Hymenoptera - Toscana, Isola d'Elba
7.IX.2010 - ITALIA - Toscana - LI
Allegato(i)
Diapriidae spp. - Hymenoptera - Toscana, Isola d'Elba

7.IX.2010 - ITALIA - Toscana - LI
Hymenoptera

FORBIX

3

1818

10/09/2010, 8:49

Loriscola Vedi ultimo messaggio

Visualizza ultimi argomenti:  Ordina per  Ordine:  
nuovo argomento
Pagina 1 di 1 [ 22 argomenti ]

Tutti gli orari sono UTC + 1 ora [ ora legale ]


Chi c’è in linea

Visitano il forum: Nessuno e 2 ospiti


Legenda
Messaggi da leggere Messaggi da leggere Nessun messaggio da leggere Nessun messaggio da leggere Annuncio Annuncio
 
Specie indeterminata / discussione generica
Messaggi non letti [ Popolari ] Messaggi non letti [ Popolari ] Nessun messaggio da leggere [ Popolare ] Nessun messaggio da leggere [ Popolare ] Importante Importante
 
Specie determinata fino al genere o cf.
Messaggi non letti [ Bloccati ] Messaggi non letti [ Bloccati ] No messaggi non letti [ Bloccati ] No messaggi non letti [ Bloccati ] Argomento spostato Argomento spostato
 
Specie correttamente determinata
Permessi
Non puoi aprire nuovi argomenti
Non puoi rispondere negli argomenti
Non puoi modificare i tuoi messaggi
Non puoi cancellare i tuoi messaggi
Non puoi inviare allegati

Cerca per:
Vai a:  
cron