Benvenuto Ospite

Forum Entomologi Italiani

www.entomologiitaliani.net/forum
 
Oggi è 20/03/2026, 5:50

Tutti gli orari sono UTC + 1 ora [ ora legale ]

Lygaeidae


[ AFROTROPICALE ] [ ANTARTICO ] [ AUSTRALASIANO ] [ NEARTICO ] [ NEOTROPICALE ] [ ORIENTALE ] [ PALEARTICO ]


nuovo argomento
Vai alla pagina Precedente  1 ... 5, 6, 7, 8, 9, 10, 11, 12  Prossimo
Pagina 8 di 12 [ 571 argomenti ]
 Argomenti   Ordine   Autore   Risposte   Visite    Ultimo messaggio 
Annunci
Nessun messaggio da leggere
Allegato(i)
Incontri entomologici della Società Entomologica Italiana 2025-2026
 

Velvet Ant

0

36050

17/11/2025, 19:41

Velvet Ant Vedi ultimo messaggio

Nessun messaggio da leggere
Allegato(i)
Incontri entomologici telematici organizzati dalla Società Entomologica Italiana nel 2022 e nel 2023

[ Vai alla paginaVai alla pagina: 1, 2, 3 ]

 

Velvet Ant

44

1901219

03/03/2023, 15:55

Velvet Ant Vedi ultimo messaggio

Nessun messaggio da leggere  
Allegato(i)
Sondaggio sul declino dell'entomofauna in Italia

[ Vai alla paginaVai alla pagina: 1, 2, 3, 4 ]

 

Velvet Ant

52

2552808

22/10/2022, 19:18

Acquarius Vedi ultimo messaggio

Nessun messaggio da leggere  
Allegato(i)
Progetto: Bibliografia ragionata dei lavori entomologici nei quali sono citati reperti apparsi su FEI

[ Vai alla paginaVai alla pagina: 1, 2, 3 ]

 

Velvet Ant

33

1526096

06/07/2023, 18:31

Orotrechus Vedi ultimo messaggio

Nessun messaggio da leggere
Allegato(i)
Mimesi, il primo documentario cinematografico sull’entomologia in Italia: casting
 

mazzeip

1

1121913

28/02/2019, 20:26

mazzeip Vedi ultimo messaggio

Questo argomento è bloccato, non puoi modificare o inviare ulteriori messaggi.
Allegato(i)
ISTRUZIONI PUBBLICAZIONE NUOVI ARGOMENTI E FOTO

 
Altri Ordini di Insetti

Julodis

4

2933477

13/05/2015, 19:37

Julodis Vedi ultimo messaggio

Nessun messaggio da leggere
Allegato(i)
Limitatore giornaliero di messaggi, uno strumento utile e ormai indispensabile

[ Vai alla paginaVai alla pagina: 1 ... 14, 15, 16 ]

 

Velvet Ant

233

13281797

25/09/2014, 14:31

Inachis Vedi ultimo messaggio

Nessun messaggio da leggere  
NORME PER I COLLABORATORI DEL FORUM

 
 

Velvet Ant

0

658769

02/06/2011, 12:05

Velvet Ant Vedi ultimo messaggio

Nessun messaggio da leggere
Allegato(i)
NORME PER GLI UTENTI DEL FORUM

[ Vai alla paginaVai alla pagina: 1, 2, 3 ]



 
 

Velvet Ant

30

3641530

23/09/2014, 23:54

Maurizio Bollino Vedi ultimo messaggio

Nessun messaggio da leggere  
Lista degli utenti del "Forum entomologi italiani" per campi di interesse e specializzazione

 
Altri Ordini di Insetti

Velvet Ant

13

1089755

07/09/2023, 17:14

Roberto-07 Vedi ultimo messaggio

Argomenti
Nessun messaggio da leggere
Allegato(i)
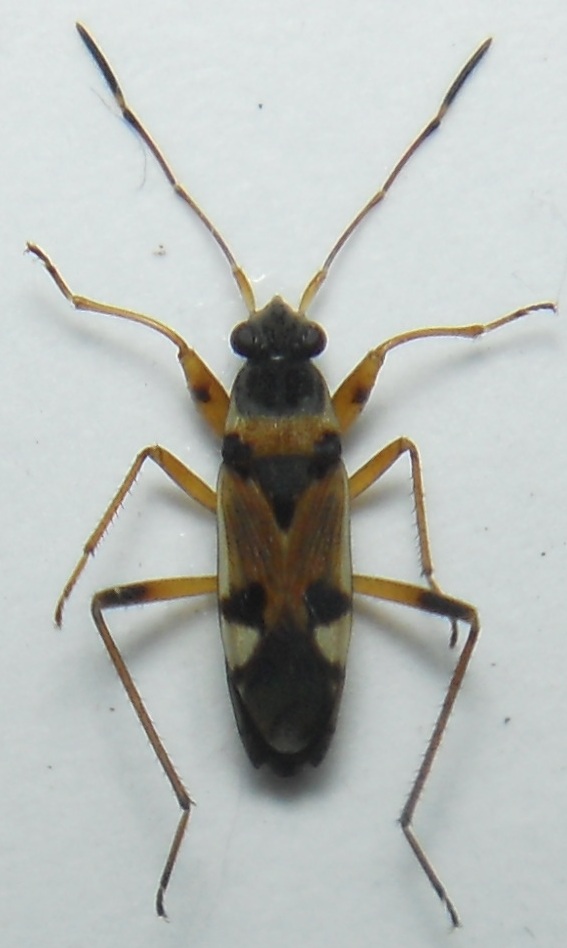
Rhyparochromus (Xantochilus) minusculus (Reuter, 1885) - Lygaeidae

6.I.2013 - ITALIA - Sicilia - CT
Hemiptera

Lucanus tetraodon

2

1140

20/03/2013, 21:42

Lucanus tetraodon Vedi ultimo messaggio

Nessun messaggio da leggere
Eremocoris podagricus (Fabricius, 1775) - Lygaeidae
14.X.2012 - ITALIA - Lombardia - BS
Allegato(i)
Eremocoris podagricus (Fabricius, 1775) - Lygaeidae

14.X.2012 - ITALIA - Lombardia - BS
Hymenoptera

Livio

4

1142

20/03/2013, 21:07

Livio Vedi ultimo messaggio

Nessun messaggio da leggere
Paraparomius leptopoides (Baerensprung, 1859) - Lygaeidae
13.XI.2012 - ITALIA - Veneto - VR
Allegato(i)
Paraparomius leptopoides (Baerensprung, 1859) - Lygaeidae

13.XI.2012 - ITALIA - Veneto - VR
Hemiptera

Umbro

2

766

20/03/2013, 17:50

Umbro Vedi ultimo messaggio

Nessun messaggio da leggere
Paraparomius leptopoides (Baerensprung, 1859) - Lygaeidae
13.XI.2012 - ITALIA - Veneto - VR
Allegato(i)
Paraparomius leptopoides (Baerensprung, 1859) - Lygaeidae

13.XI.2012 - ITALIA - Veneto - VR
Hemiptera

Umbro

1

649

19/03/2013, 20:49

eremicus Vedi ultimo messaggio

Nessun messaggio da leggere
Scolopostethus sp. - Lygaeidae
8.IX.2012 - ITALIA - Sicilia - ME
Allegato(i)
Scolopostethus sp. - Lygaeidae

8.IX.2012 - ITALIA - Sicilia - ME
Hemiptera

Lucanus tetraodon

4

924

19/03/2013, 20:32

Lucanus tetraodon Vedi ultimo messaggio

Nessun messaggio da leggere
Orsillus sp. (cf.) - Lygaeidae
24.XII.2012 - ITALIA - Sicilia - ME
Allegato(i)
Orsillus sp. (cf.) - Lygaeidae

24.XII.2012 - ITALIA - Sicilia - ME
Hemiptera

Lucanus tetraodon

2

668

16/03/2013, 20:20

Lucanus tetraodon Vedi ultimo messaggio

Nessun messaggio da leggere
Tropistethus sp. - Lygaeidae
28.III.2010 - ITALIA - Lazio - LT
Allegato(i)
Tropistethus sp. - Lygaeidae

28.III.2010 - ITALIA - Lazio - LT
Hemiptera

giuseppe55

4

820

04/03/2013, 23:04

giuseppe55 Vedi ultimo messaggio

Nessun messaggio da leggere
Allegato(i)
Rhyparochromus (Xanthochilus) saturnius (Rossi, 1790) - Lygaeidae

3.III.2013 - ITALIA - Veneto - VE
Hemiptera

ghebo

0

431

03/03/2013, 17:54

ghebo Vedi ultimo messaggio

Nessun messaggio da leggere
Belonochilus numenius (Say, 1832) - Heteroptera Lygaeidae
28.VI.2010 - ITALIA - Lazio - RM
Allegato(i)
Belonochilus numenius (Say, 1832) - Heteroptera Lygaeidae

28.VI.2010 - ITALIA - Lazio - RM
Hemiptera

giuseppe55

0

571

18/02/2013, 20:32

giuseppe55 Vedi ultimo messaggio

Nessun messaggio da leggere
Megalonotus sabulicola (Thomson, 1870) - Lygaeidae
14.IX.2012 - ITALIA - Lombardia - BS
Allegato(i)
Megalonotus sabulicola (Thomson, 1870) - Lygaeidae

14.IX.2012 - ITALIA - Lombardia - BS
Hemiptera

Livio

3

657

18/02/2013, 14:30

Livio Vedi ultimo messaggio

Nessun messaggio da leggere
Ischnodemus quadratus Fieber, 1837 - Lygaeidae
9.II.2013 - ITALIA - Lombardia - BS
Allegato(i)
Ischnodemus quadratus Fieber, 1837 - Lygaeidae

9.II.2013 - ITALIA - Lombardia - BS
Hemiptera

Livio

2

616

11/02/2013, 10:29

Livio Vedi ultimo messaggio

Nessun messaggio da leggere
Allegato(i)
Rhyparochromus vulgaris (Schilling, 1829) (cf.) - Lygaeidae (Neanide)

10.VII.2012 - ITALIA - Lombardia - SO
Hemiptera

negando

3

745

31/01/2013, 12:17

negando Vedi ultimo messaggio

Nessun messaggio da leggere
Nysius sp. - Lygaeidae
20.X.2012 - ITALIA - Veneto - RO
Allegato(i)
Nysius sp. - Lygaeidae

20.X.2012 - ITALIA - Veneto - RO
Hemiptera

Umbro

1

469

23/01/2013, 3:39

Dioli Vedi ultimo messaggio

Nessun messaggio da leggere
Scolopostethus pictus (Schilling, 1829) (cf.) - Lygaeidae
18.I.2013 - ITALIA - Veneto - VE
Allegato(i)
Scolopostethus pictus (Schilling, 1829) (cf.) - Lygaeidae

18.I.2013 - ITALIA - Veneto - VE
Hemiptera

ghebo

1

446

22/01/2013, 9:38

ghebo Vedi ultimo messaggio

Nessun messaggio da leggere
Spilostethus pandurus (Scopoli, 1763) - Lygaeidae
10.IX.2012 - ITALIA - Veneto - PD
Allegato(i)
Spilostethus pandurus (Scopoli, 1763) - Lygaeidae

10.IX.2012 - ITALIA - Veneto - PD
Hemiptera

Marketto

1

509

14/01/2013, 20:36

FORBIX Vedi ultimo messaggio

Nessun messaggio da leggere
Paraparomius leptopoides (Baerensprung, 1859) - Lygaeidae
14.IX.2012 - ITALIA - Lombardia - BS
Allegato(i)
Paraparomius leptopoides (Baerensprung, 1859) - Lygaeidae

14.IX.2012 - ITALIA - Lombardia - BS
Hemiptera

Livio

4

748

12/01/2013, 9:45

Livio Vedi ultimo messaggio

Nessun messaggio da leggere
Peritrechus gracilicornis Puton, 1877 - Lygaeidae
4.I.2013 - ITALIA - Lombardia - BS
Allegato(i)
Peritrechus gracilicornis Puton, 1877 - Lygaeidae

4.I.2013 - ITALIA - Lombardia - BS
Hemiptera

Livio

2

568

11/01/2013, 16:30

Livio Vedi ultimo messaggio

Nessun messaggio da leggere
Raglius alboacuminatus (Goeze, 1778) - Lygaeidae
4.I.2013 - ITALIA - Lombardia - BS
Allegato(i)
Raglius alboacuminatus (Goeze, 1778) - Lygaeidae

4.I.2013 - ITALIA - Lombardia - BS
Hemiptera

Livio

3

615

11/01/2013, 16:11

Livio Vedi ultimo messaggio

Nessun messaggio da leggere
Raglius alboacuminatus (Goeze, 1778) - Lygaeidae
4.I.2013 - ITALIA - Lombardia - BS
Allegato(i)
Raglius alboacuminatus (Goeze, 1778) - Lygaeidae

4.I.2013 - ITALIA - Lombardia - BS
Hemiptera

Livio

3

883

11/01/2013, 16:09

Livio Vedi ultimo messaggio

Nessun messaggio da leggere
Eremocoris podagricus (Fabricius, 1775) - Lygaeidae
10.XI.2012 - ITALIA - Lombardia - BS
Allegato(i)
Eremocoris podagricus (Fabricius, 1775) - Lygaeidae

10.XI.2012 - ITALIA - Lombardia - BS
Hemiptera

Livio

4

824

08/01/2013, 19:30

Livio Vedi ultimo messaggio

Nessun messaggio da leggere
Megalonotus emarginatus (Rey, 1888) - Lygaeidae
14.IX.2012 - ITALIA - Lombardia - BS
Allegato(i)
Megalonotus emarginatus (Rey, 1888) - Lygaeidae

14.IX.2012 - ITALIA - Lombardia - BS
Hemiptera

Livio

2

574

08/01/2013, 19:29

Livio Vedi ultimo messaggio

Nessun messaggio da leggere
Scolopostethus sp. - Lygaeidae
8.X.2012 - ITALIA - Lombardia - BS
Allegato(i)
Scolopostethus sp. - Lygaeidae

8.X.2012 - ITALIA - Lombardia - BS
Hemiptera

Livio

2

561

07/01/2013, 20:26

Livio Vedi ultimo messaggio

Nessun messaggio da leggere
Rhyparochromus (Xantochilus) saturnius (Rossi, 1790) - Lygaeidae
10.XI.2012 - ITALIA - Lombardia - BS
Allegato(i)
Rhyparochromus (Xantochilus) saturnius (Rossi, 1790) - Lygaeidae

10.XI.2012 - ITALIA - Lombardia - BS
Hemiptera

Livio

2

698

07/01/2013, 20:26

Livio Vedi ultimo messaggio

Nessun messaggio da leggere
Nysius cymoides (Spinola, 1837) - Lygaeidae
5.V.2012 - ITALIA - Veneto - VE
Allegato(i)
Nysius cymoides (Spinola, 1837) - Lygaeidae

5.V.2012 - ITALIA - Veneto - VE
Hemiptera

ghebo

3

1013

26/11/2012, 20:54

ghebo Vedi ultimo messaggio

Nessun messaggio da leggere
Eremocoris podagricus (Fabricius, 1775) - Lygaeidae
11.XI.2012 - ITALIA - Marche - PU
Allegato(i)
Eremocoris podagricus (Fabricius, 1775) - Lygaeidae

11.XI.2012 - ITALIA - Marche - PU
Hemiptera

marco paglialunga

0

680

19/11/2012, 23:47

marco paglialunga Vedi ultimo messaggio

Nessun messaggio da leggere
Apterola kuenckeli Mulsant & Rey, 1866 - Lygaeidae
22.X.2012 - ITALIA - Sicilia - PA
Allegato(i)
Apterola kuenckeli Mulsant & Rey, 1866 - Lygaeidae

22.X.2012 - ITALIA - Sicilia - PA
Hemiptera

Marco Ferrante

2

1045

04/11/2012, 12:40

Marco Ferrante Vedi ultimo messaggio

Nessun messaggio da leggere
Allegato(i)
Scolopostethus sp. – Lygaeidae - Heteroptera da identificare

16.II.2012 - ITALIA - Veneto - VE
Hemiptera

ghebo

2

1027

28/10/2012, 9:08

ghebo Vedi ultimo messaggio

Nessun messaggio da leggere
Emblethis sp. - Lygaeidae
20.X.2012 - ITALIA - Veneto - RO
Allegato(i)
Emblethis sp. - Lygaeidae

20.X.2012 - ITALIA - Veneto - RO
Hemiptera

Umbro

2

904

27/10/2012, 14:44

Umbro Vedi ultimo messaggio

Nessun messaggio da leggere
Oxycarenus (Oxycarenus) lavaterae (Fabricius, 1787) cf. - Lygaeidae
16.X.2012 - ITALIA - Emilia-Romagna - BO
Allegato(i)
Oxycarenus (Oxycarenus) lavaterae (Fabricius, 1787) cf. - Lygaeidae

16.X.2012 - ITALIA - Emilia-Romagna - BO
Hemiptera

Loriscola

0

961

26/10/2012, 22:36

Loriscola Vedi ultimo messaggio

Nessun messaggio da leggere
Allegato(i)
Oxycarenus (Oxycarenus) hyalinipennis (A. Costa 1843) - Lygaeidae

18.X.2012 - ITALIA - Veneto - VE
Hemiptera

ghebo

2

837

20/10/2012, 15:12

ghebo Vedi ultimo messaggio

Nessun messaggio da leggere
Allegato(i)
Rhyparochromus (Xanthochilus) saturnius (Rossi, 1790) - Lygaeidae

18.X.2012 - ITALIA - Marche - AP
Hemiptera

Artemisia19

5

1218

19/10/2012, 21:11

Maura Vedi ultimo messaggio

Nessun messaggio da leggere
Beosus quadripunctatus (Muller, 1766) - Lygaeidae
9.X.2012 - ITALIA - Veneto - RO
Allegato(i)
Beosus quadripunctatus (Muller, 1766) - Lygaeidae

9.X.2012 - ITALIA - Veneto - RO
Hemiptera

Umbro

2

756

16/10/2012, 15:29

Umbro Vedi ultimo messaggio

Nessun messaggio da leggere
Paromius gracilis (Rambur, 1839) - Lygaeidae
10.X.2012 - ITALIA - Marche - PU
Allegato(i)
Paromius gracilis (Rambur, 1839) - Lygaeidae

10.X.2012 - ITALIA - Marche - PU
Hemiptera

marco paglialunga

0

606

16/10/2012, 8:57

marco paglialunga Vedi ultimo messaggio

Nessun messaggio da leggere
Pezocoris apicimacula (Costa, 1853) - Lygaeidae
7.IX.2012 - ITALIA - Toscana - AR
Allegato(i)
Pezocoris apicimacula (Costa, 1853) - Lygaeidae

7.IX.2012 - ITALIA - Toscana - AR
Hemiptera

ff57

3

1082

14/10/2012, 19:53

Dioli Vedi ultimo messaggio

Nessun messaggio da leggere
Allegato(i)
Oxycarenus (Oxycarenus) hyalinipennis (A. Costa 1843) - Lygaeidae Oxycareninae

1.VIII.2012 - ITALIA - Veneto - VI
Hemiptera

Demo66

4

1111

13/10/2012, 2:53

Dioli Vedi ultimo messaggio

Nessun messaggio da leggere
Lasiocoris anomalus (Kolenati, 1845) - Lygaeidae
8.VI.2012 - ITALIA - Umbria - PG
Allegato(i)
Lasiocoris anomalus (Kolenati, 1845) - Lygaeidae

8.VI.2012 - ITALIA - Umbria - PG
Hemiptera

Maura

3

945

11/10/2012, 23:44

Maura Vedi ultimo messaggio

Nessun messaggio da leggere
Spilostethus pandurus (Scopoli, 1763) - Lygaeidae
16.VII.2012 - ITALIA - Abruzzo - AQ
Allegato(i)
Spilostethus pandurus (Scopoli, 1763) - Lygaeidae

16.VII.2012 - ITALIA - Abruzzo - AQ
Hemiptera

andreah

1

659

09/10/2012, 22:45

Palaemonetes Vedi ultimo messaggio

Nessun messaggio da leggere
Geocoris megacephalus (Rossi, 1790) - Lygaeidae
28.IX.2012 - ITALIA - Marche - PU
Allegato(i)
Geocoris megacephalus (Rossi, 1790) - Lygaeidae

28.IX.2012 - ITALIA - Marche - PU
Hemiptera

marco paglialunga

0

528

29/09/2012, 10:02

marco paglialunga Vedi ultimo messaggio

Nessun messaggio da leggere
Stygnocoris sabulosus (Schilling, 1829) cf. - Lygaeidae
27.IX.2012 - ITALIA - Marche - PU
Allegato(i)
Stygnocoris sabulosus (Schilling, 1829) cf. - Lygaeidae

27.IX.2012 - ITALIA - Marche - PU
Hemiptera

marco paglialunga

1

755

28/09/2012, 19:08

alexaandru Vedi ultimo messaggio

Nessun messaggio da leggere
Megalonotus sabulicola (Thomson, 1870) (cf.) - Lygaeidae
28.III.2012 - ITALIA - Veneto - VE
Allegato(i)
Megalonotus sabulicola (Thomson, 1870) (cf.) - Lygaeidae

28.III.2012 - ITALIA - Veneto - VE
Hemiptera

ghebo

2

684

27/09/2012, 8:23

ghebo Vedi ultimo messaggio

Nessun messaggio da leggere
Allegato(i)
Megalonotus sabulicola (Thomson, 1870) (cf.) - Lygaeidae Rhyparochrominae

12.IX.2012 - ITALIA - Veneto - RO
Hemiptera

Umbro

4

625

25/09/2012, 19:31

Umbro Vedi ultimo messaggio

Nessun messaggio da leggere
Allegato(i)
Beosus maritimus (Scopoli, 1763) - Lygaeidae Rhyparochrominae Rhyparochromini

7.VIII.2012 - ITALIA - Veneto - VE
Hemiptera

ghebo

4

670

24/09/2012, 21:53

ghebo Vedi ultimo messaggio

Nessun messaggio da leggere
Spilostethus saxatilis (Scopoli, 1763) - Lygaeidae Lygaeinae
5.VIII.2012 - ITALIA - Sicilia - ME
Allegato(i)
Spilostethus saxatilis (Scopoli, 1763) - Lygaeidae Lygaeinae

5.VIII.2012 - ITALIA - Sicilia - ME
Hemiptera

Lucanus tetraodon

4

705

24/09/2012, 18:48

Lucanus tetraodon Vedi ultimo messaggio

Nessun messaggio da leggere
Allegato(i)
Xanthochilus quadratus (Fabricius, 1798) - Lygaeidae Rhyparochrominae Rhyparochromini

12.IX.2012 - ITALIA - Veneto - RO
Hemiptera

Umbro

3

620

24/09/2012, 8:26

Umbro Vedi ultimo messaggio

Nessun messaggio da leggere
Allegato(i)
Kleidocerys resedae (Panzer, 1797) ninfa - Lygaeidae Ischnorhynchinae

4.IX.2012 - SVIZZERA - EE
Hemiptera

gio

3

775

24/09/2012, 0:55

Dioli Vedi ultimo messaggio

Nessun messaggio da leggere
Allegato(i)
Lygaeosoma sardeum sardeum Spinola, 1837 - Lygaeidae Lygaeinae

12.IX.2012 - ITALIA - Veneto - RO
Hemiptera

Umbro

1

432

24/09/2012, 0:32

Dioli Vedi ultimo messaggio

Nessun messaggio da leggere
Allegato(i)
Beosus maritimus (Scopoli, 1763) - Lygaeidae Rhyparochrominae Rhyparochromini

12.IX.2012 - ITALIA - Veneto - RO
Hemiptera

Umbro

1

503

24/09/2012, 0:28

Dioli Vedi ultimo messaggio

Nessun messaggio da leggere
Emblethis sp. - Lygaeidae
17.VIII.2012 - ITALIA - Toscana - AR
Allegato(i)
Emblethis sp. - Lygaeidae

17.VIII.2012 - ITALIA - Toscana - AR
Hemiptera

ff57

2

579

15/09/2012, 19:48

ff57 Vedi ultimo messaggio

Nessun messaggio da leggere
Geocoris megacephalus (Rossi, 1790) - Lygaeidae
12.IX.2012 - ITALIA - Veneto - RO
Allegato(i)
Geocoris megacephalus (Rossi, 1790) - Lygaeidae

12.IX.2012 - ITALIA - Veneto - RO
Hemiptera

Umbro

0

426

15/09/2012, 15:05

Umbro Vedi ultimo messaggio

Nessun messaggio da leggere
Spilostethus pandurus (Scopoli, 1763) - Lygaeidae
2.VII.2012 - ITALIA - Sicilia - ME
Allegato(i)
Spilostethus pandurus (Scopoli, 1763) - Lygaeidae

2.VII.2012 - ITALIA - Sicilia - ME
Hemiptera

Lucanus tetraodon

2

554

14/09/2012, 19:03

Lucanus tetraodon Vedi ultimo messaggio

Visualizza ultimi argomenti:  Ordina per  Ordine:  
nuovo argomento
Vai alla pagina Precedente  1 ... 5, 6, 7, 8, 9, 10, 11, 12  Prossimo
Pagina 8 di 12 [ 571 argomenti ]

Tutti gli orari sono UTC + 1 ora [ ora legale ]


Chi c’è in linea

Visitano il forum: Nessuno e 4 ospiti


Legenda
Messaggi da leggere Messaggi da leggere Nessun messaggio da leggere Nessun messaggio da leggere Annuncio Annuncio
 
Specie indeterminata / discussione generica
Messaggi non letti [ Popolari ] Messaggi non letti [ Popolari ] Nessun messaggio da leggere [ Popolare ] Nessun messaggio da leggere [ Popolare ] Importante Importante
 
Specie determinata fino al genere o cf.
Messaggi non letti [ Bloccati ] Messaggi non letti [ Bloccati ] No messaggi non letti [ Bloccati ] No messaggi non letti [ Bloccati ] Argomento spostato Argomento spostato
 
Specie correttamente determinata
Permessi
Non puoi aprire nuovi argomenti
Non puoi rispondere negli argomenti
Non puoi modificare i tuoi messaggi
Non puoi cancellare i tuoi messaggi
Non puoi inviare allegati

Cerca per:
Vai a: