Benvenuto Ospite

Forum Entomologi Italiani

www.entomologiitaliani.net/forum
 
Oggi è 08/05/2026, 7:30

Tutti gli orari sono UTC + 1 ora [ ora legale ]

Lygaeidae


[ AFROTROPICALE ] [ ANTARTICO ] [ AUSTRALASIANO ] [ NEARTICO ] [ NEOTROPICALE ] [ ORIENTALE ] [ PALEARTICO ]


nuovo argomento
Vai alla pagina Precedente  1 ... 8, 9, 10, 11, 12  Prossimo
Pagina 11 di 12 [ 573 argomenti ]
 Argomenti   Ordine   Autore   Risposte   Visite    Ultimo messaggio 
Annunci
Nessun messaggio da leggere
Allegato(i)
Incontri entomologici della Società Entomologica Italiana 2025-2026
 

Velvet Ant

0

57164

17/11/2025, 19:41

Velvet Ant Vedi ultimo messaggio

Nessun messaggio da leggere
Allegato(i)
Incontri entomologici telematici organizzati dalla Società Entomologica Italiana nel 2022 e nel 2023

[ Vai alla paginaVai alla pagina: 1, 2, 3 ]

 

Velvet Ant

44

2081997

03/03/2023, 15:55

Velvet Ant Vedi ultimo messaggio

Nessun messaggio da leggere  
Allegato(i)
Sondaggio sul declino dell'entomofauna in Italia

[ Vai alla paginaVai alla pagina: 1, 2, 3, 4 ]

 

Velvet Ant

52

2762019

22/10/2022, 19:18

Acquarius Vedi ultimo messaggio

Nessun messaggio da leggere  
Allegato(i)
Progetto: Bibliografia ragionata dei lavori entomologici nei quali sono citati reperti apparsi su FEI

[ Vai alla paginaVai alla pagina: 1, 2, 3 ]

 

Velvet Ant

33

1670168

06/07/2023, 18:31

Orotrechus Vedi ultimo messaggio

Nessun messaggio da leggere
Allegato(i)
Mimesi, il primo documentario cinematografico sull’entomologia in Italia: casting
 

mazzeip

1

1149153

28/02/2019, 20:26

mazzeip Vedi ultimo messaggio

Questo argomento è bloccato, non puoi modificare o inviare ulteriori messaggi.
Allegato(i)
ISTRUZIONI PUBBLICAZIONE NUOVI ARGOMENTI E FOTO

 
Altri Ordini di Insetti

Julodis

4

2970840

13/05/2015, 19:37

Julodis Vedi ultimo messaggio

Nessun messaggio da leggere
Allegato(i)
Limitatore giornaliero di messaggi, uno strumento utile e ormai indispensabile

[ Vai alla paginaVai alla pagina: 1 ... 14, 15, 16 ]

 

Velvet Ant

233

14138974

25/09/2014, 14:31

Inachis Vedi ultimo messaggio

Nessun messaggio da leggere  
NORME PER I COLLABORATORI DEL FORUM

 
 

Velvet Ant

0

679570

02/06/2011, 12:05

Velvet Ant Vedi ultimo messaggio

Nessun messaggio da leggere
Allegato(i)
NORME PER GLI UTENTI DEL FORUM

[ Vai alla paginaVai alla pagina: 1, 2, 3 ]



 
 

Velvet Ant

30

3783570

23/09/2014, 23:54

Maurizio Bollino Vedi ultimo messaggio

Nessun messaggio da leggere  
Lista degli utenti del "Forum entomologi italiani" per campi di interesse e specializzazione

 
Altri Ordini di Insetti

Velvet Ant

13

1153258

07/09/2023, 17:14

Roberto-07 Vedi ultimo messaggio

Argomenti
Nessun messaggio da leggere
Spilostethus saxatilis (Scopoli, 1763) - Lygaeidae
3.IV.2011 - ITALIA - Emilia-Romagna - RE
Allegato(i)
Spilostethus saxatilis (Scopoli, 1763) - Lygaeidae

3.IV.2011 - ITALIA - Emilia-Romagna - RE
Hemiptera

Mikiphasmide

2

819

15/04/2011, 23:22

marsal Vedi ultimo messaggio

Nessun messaggio da leggere
Spilostethus saxatilis (Scopoli, 1763) - Lygaeidae
12.IV.2009 - ITALIA - Lombardia - SO
Allegato(i)
Spilostethus saxatilis (Scopoli, 1763) - Lygaeidae

12.IV.2009 - ITALIA - Lombardia - SO
Hemiptera

carlos

2

860

14/04/2011, 16:11

carlos Vedi ultimo messaggio

Nessun messaggio da leggere
Spilostethus pandurus (Scopoli, 1763) - Lygaeidae Lygaeinae
3.IV.2011 - ITALIA - Liguria - SV
Allegato(i)
Spilostethus pandurus (Scopoli, 1763) - Lygaeidae Lygaeinae

3.IV.2011 - ITALIA - Liguria - SV
Hemiptera

carlos

2

958

14/04/2011, 11:10

carlos Vedi ultimo messaggio

Nessun messaggio da leggere
Arocatus melanocephalus (Fabricius, 1798) - Lygaeidae
5.III.2011 - ITALIA - Emilia-Romagna - RE
Allegato(i)
Arocatus melanocephalus (Fabricius, 1798) - Lygaeidae

5.III.2011 - ITALIA - Emilia-Romagna - RE
Hemiptera

Mikiphasmide

8

2055

21/03/2011, 21:28

Andricus Vedi ultimo messaggio

Nessun messaggio da leggere
Megalonotus sabulicola (Thomson, 1870) - Lygaeidae
18.III.2011 - ITALIA - Lazio - RM
Allegato(i)
Megalonotus sabulicola (Thomson, 1870) - Lygaeidae

18.III.2011 - ITALIA - Lazio - RM
Hemiptera

soken

4

1245

20/03/2011, 23:56

soken Vedi ultimo messaggio

Nessun messaggio da leggere
Arocatus melanocephalus (Fabricius, 1798) - Lygaeidae
5.III.2011 - ITALIA - Emilia-Romagna - RE
Allegato(i)
Arocatus melanocephalus (Fabricius, 1798) - Lygaeidae

5.III.2011 - ITALIA - Emilia-Romagna - RE
Hemiptera

Mikiphasmide

4

1437

20/03/2011, 21:34

eremicus Vedi ultimo messaggio

Nessun messaggio da leggere
Dimorphopterus doriae (Ferrari, 1874) - Lygaeidae
26.II.2011 - ITALIA - Emilia-Romagna - BO
Allegato(i)
Dimorphopterus doriae (Ferrari, 1874) - Lygaeidae

26.II.2011 - ITALIA - Emilia-Romagna - BO
Hemiptera

Loriscola

3

1182

15/03/2011, 16:06

Loriscola Vedi ultimo messaggio

Nessun messaggio da leggere
Spilostethus pandurus (Scopoli, 1763) - Lygaeidae
29.IX.2008 - ITALIA - Puglia - BA
Allegato(i)
Spilostethus pandurus (Scopoli, 1763) - Lygaeidae

29.IX.2008 - ITALIA - Puglia - BA
Hemiptera

Julodis

2

982

10/03/2011, 16:35

Julodis Vedi ultimo messaggio

Nessun messaggio da leggere
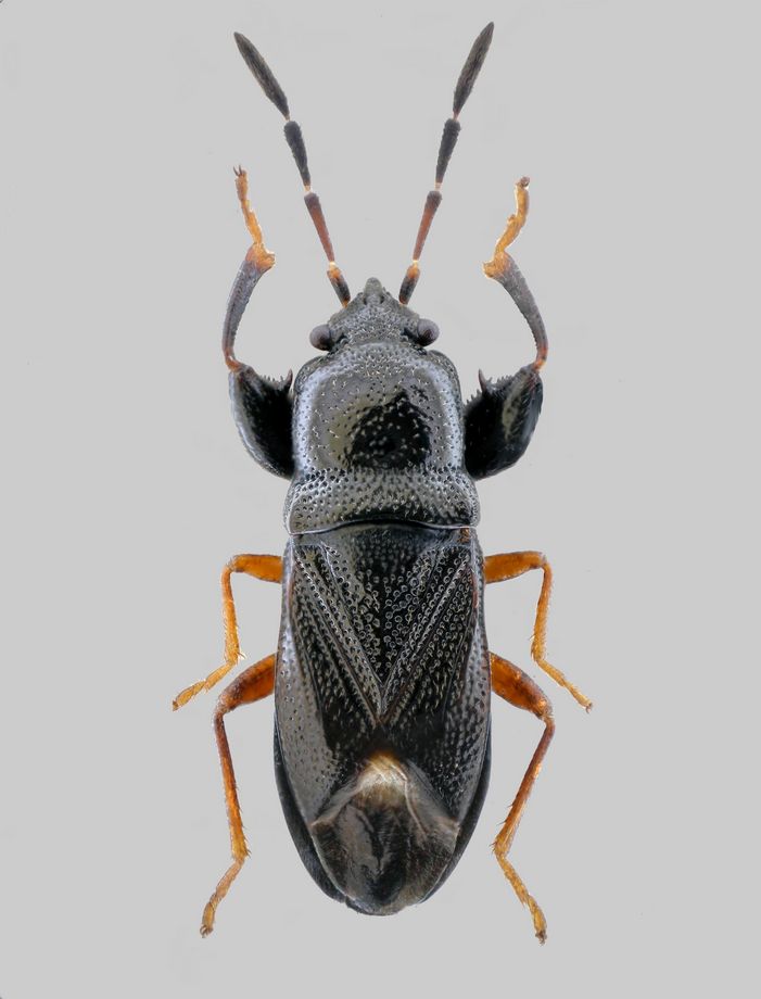
Raglius alboacuminatus (Goeze, 1778) - Lygaeidae
1.III.2011 - ITALIA - Emilia-Romagna - RE
Allegato(i)
Raglius alboacuminatus (Goeze, 1778) - Lygaeidae

1.III.2011 - ITALIA - Emilia-Romagna - RE
Hemiptera

Mikiphasmide

3

899

03/03/2011, 20:40

Mikiphasmide Vedi ultimo messaggio

Nessun messaggio da leggere
Raglius alboacuminatus (Goeze, 1778) - Lygaeidae
3.III.2011 - ITALIA - Lombardia - SO
Allegato(i)
Raglius alboacuminatus (Goeze, 1778) - Lygaeidae

3.III.2011 - ITALIA - Lombardia - SO
Hemiptera

Luciano Menghi

2

768

03/03/2011, 20:32

eremicus Vedi ultimo messaggio

Nessun messaggio da leggere
Lygaeus creticus Lucas, 1854 - Lygaeidae
15.II.2010 - GRECIA - EE
Allegato(i)
Lygaeus creticus Lucas, 1854 - Lygaeidae

15.II.2010 - GRECIA - EE
Hemiptera

cosmln

3

927

25/02/2011, 18:19

cosmln Vedi ultimo messaggio

Nessun messaggio da leggere
Plinthisus brevipennis (Latreille, 1807) - Lygaeidae
IV.2010 - ITALIA - Emilia-Romagna - BO
Allegato(i)
Plinthisus brevipennis (Latreille, 1807) - Lygaeidae

IV.2010 - ITALIA - Emilia-Romagna - BO
Hemiptera

Loriscola

1

633

18/02/2011, 16:42

marsal Vedi ultimo messaggio

Nessun messaggio da leggere
Notochilus ferrugineus (Mulsant & Rey, 1852) - Lygaeidae
30.I.2011 - ITALIA - Emilia-Romagna - BO
Allegato(i)
Notochilus ferrugineus (Mulsant & Rey, 1852) - Lygaeidae

30.I.2011 - ITALIA - Emilia-Romagna - BO
Hemiptera

Loriscola

8

1627

18/02/2011, 16:26

Loriscola Vedi ultimo messaggio

Nessun messaggio da leggere
Rhyparochromus sp. - Lygaeidae
22.VIII.2009 - ROMANIA - EE
Allegato(i)
Rhyparochromus sp. - Lygaeidae

22.VIII.2009 - ROMANIA - EE
Hemiptera

alexaandru

2

575

31/01/2011, 16:52

alexaandru Vedi ultimo messaggio

Nessun messaggio da leggere
Allegato(i)
cf. Drymus (Sylvadrymus) sylvaticus (Fabricius, 1775) - Lygaeidae

18.IV.2009 - ROMANIA - EE
Hemiptera

alexaandru

2

715

31/01/2011, 16:51

alexaandru Vedi ultimo messaggio

Nessun messaggio da leggere
Rhyparochromus spp. - Lygaeidae - Sasso Marconi (BO)
22.II.2010 - ITALIA - Emilia-Romagna - BO
Allegato(i)
Rhyparochromus spp. - Lygaeidae - Sasso Marconi (BO)

22.II.2010 - ITALIA - Emilia-Romagna - BO
Hemiptera

Loriscola

9

1805

29/01/2011, 1:53

marsal Vedi ultimo messaggio

Nessun messaggio da leggere
Piezoscelis staphylinus (Rambur, 1839) -Lygaeidae
30.VI.2010 - ITALIA - Sardegna - CA
Allegato(i)
Piezoscelis staphylinus (Rambur, 1839) -Lygaeidae

30.VI.2010 - ITALIA - Sardegna - CA
Hemiptera

Palaemonetes

2

745

21/01/2011, 15:43

Palaemonetes Vedi ultimo messaggio

Nessun messaggio da leggere
Peritrechus gracilicornis (Puton, 1878) - Lygaeidae
30.XII.2010 - ITALIA - Toscana - LI
Allegato(i)
Peritrechus gracilicornis (Puton, 1878) - Lygaeidae

30.XII.2010 - ITALIA - Toscana - LI
Hemiptera

FORBIX

2

670

05/01/2011, 9:00

FORBIX Vedi ultimo messaggio

Nessun messaggio da leggere
Lamprodema maura (Fabricius 1803) - Lygaeidae
30.XII.2010 - ITALIA - Toscana - LI
Allegato(i)
Lamprodema maura (Fabricius 1803) - Lygaeidae

30.XII.2010 - ITALIA - Toscana - LI
Hemiptera

FORBIX

3

851

05/01/2011, 2:16

marsal Vedi ultimo messaggio

Nessun messaggio da leggere
Allegato(i)
Drymus (Sylvadrymus) brunneus brunneus (R.F. Sahlberg 1848) - Lygaeidae

IV.2010 - ITALIA - Emilia-Romagna - BO
Hemiptera

Loriscola

1

842

04/01/2011, 3:22

Dioli Vedi ultimo messaggio

Nessun messaggio da leggere
Allegato(i)
Spilostethus pandurus (Scopoli 1763) - Lygaeidae - Turchia

19.VI.2010 - TURCHIA - EE
Hemiptera

Isotomus

2

995

04/01/2011, 3:13

Dioli Vedi ultimo messaggio

Nessun messaggio da leggere
Spilostethus pandurus (Scopoli 1763), ninfa - Lygaeidae Lygaeinae
14.XI.2010 - ITALIA - Basilicata - MT
Allegato(i)
Spilostethus pandurus (Scopoli 1763), ninfa - Lygaeidae Lygaeinae

14.XI.2010 - ITALIA - Basilicata - MT
Hemiptera

Mimmo011

6

2090

04/01/2011, 2:40

Dioli Vedi ultimo messaggio

Nessun messaggio da leggere
Raglius confusus (Reuter, 1886) - Lygaeidae
1.I.2011 - ITALIA - Lazio - VT
Allegato(i)
Raglius confusus (Reuter, 1886) - Lygaeidae

1.I.2011 - ITALIA - Lazio - VT
Hemiptera

lillo

6

1464

04/01/2011, 2:23

Dioli Vedi ultimo messaggio

Nessun messaggio da leggere
Beosus quadripunctatus (Muller, 1766) - Lygaeidae
9.X.2010 - ITALIA - Marche - PU
Allegato(i)
Beosus quadripunctatus (Muller, 1766) - Lygaeidae

9.X.2010 - ITALIA - Marche - PU
Hemiptera

marco paglialunga

1

823

12/12/2010, 4:00

Dioli Vedi ultimo messaggio

Nessun messaggio da leggere
Allegato(i)
Arocatus melanocephalus (Fabricius 1798) - Lygaeidae - Marche

VIII.2010 - ITALIA - Marche - AN
Hemiptera

giovanni carotti

2

1058

10/12/2010, 20:07

antoEandrea Vedi ultimo messaggio

Nessun messaggio da leggere
Allegato(i)
Megalonotus dilatatus (Herrich-Schaeffer, 1840) - Lygaeidae

XI.1993 - ITALIA - Lazio - RM
Hemiptera

giuseppe55

2

924

03/12/2010, 20:50

giuseppe55 Vedi ultimo messaggio

Nessun messaggio da leggere
Rhyparochromus pini (Linnaeus, 1758) - Lygaeidae
1.VII.2009 - ROMANIA - EE
Allegato(i)
Rhyparochromus pini (Linnaeus, 1758) - Lygaeidae

1.VII.2009 - ROMANIA - EE
Hemiptera

alexaandru

2

930

19/11/2010, 15:39

alexaandru Vedi ultimo messaggio

Nessun messaggio da leggere
Allegato(i)
Rhyparochromus (Xanthochilus) saturnius (Rossi, 1790) - Lygaeidae

17.XI.2010 - ITALIA - Toscana - LI
Hemiptera

FORBIX

2

1099

18/11/2010, 20:58

FORBIX Vedi ultimo messaggio

Nessun messaggio da leggere
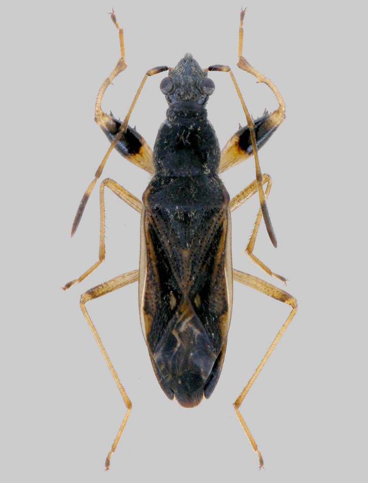
Paromius gracilis (Rambur, 1839) - Lygaeidae
7.XI.2010 - ITALIA - Lombardia - MI
Allegato(i)
Paromius gracilis (Rambur, 1839) - Lygaeidae

7.XI.2010 - ITALIA - Lombardia - MI
Hemiptera

Tafano

3

755

11/11/2010, 1:02

eremicus Vedi ultimo messaggio

Nessun messaggio da leggere
Allegato(i)
Graptostethus servus servus (Fabricius, 1787) - Lygaeidae Lygaeinae - Toscana, Isola d'Elba

19.IX.2010 - ITALIA - Toscana - LI
Hemiptera

FORBIX

3

741

05/11/2010, 18:50

giuseppe55 Vedi ultimo messaggio

Nessun messaggio da leggere
Allegato(i)
Scolopostethus thomsoni Reuter, 1875 - Lygaeidae Rhyparochrominae - Romania

24.III.2010 - ROMANIA - EE
Hemiptera

alexaandru

5

843

03/11/2010, 19:15

alexaandru Vedi ultimo messaggio

Nessun messaggio da leggere
Allegato(i)
Scolopostethus decoratus (Hahn, 1833) - Lygaeidae Rhyparochrominae Drymini - Toscana, Isola d'Elba

22.X.2010 - ITALIA - Toscana - LI
Hemiptera

FORBIX

2

738

02/11/2010, 15:49

FORBIX Vedi ultimo messaggio

Nessun messaggio da leggere
Stygnocoris sp. - Lygaeidae - Moldavia
14.X.2010 - ROMANIA - EE
Allegato(i)
Stygnocoris sp. - Lygaeidae - Moldavia

14.X.2010 - ROMANIA - EE
Hemiptera

alexaandru

3

1001

17/10/2010, 18:37

eremicus Vedi ultimo messaggio

Nessun messaggio da leggere
Allegato(i)
Lygaeus equestris equestris (Linnaeus, 1758) - Heteroptera, Pentatomorpha, Lygaeoidea, Lygaeidae, Lygaeinae - (PG) Umbria

9.X.2010 - ITALIA - Umbria - PG
Hemiptera

lillo

2

949

10/10/2010, 20:38

lillo Vedi ultimo messaggio

Nessun messaggio da leggere
Allegato(i)
Scolopostethus decoratus (Hahn, 1833) cf. - Lygaeidae - Romania

26.III.2010 - ROMANIA - EE
Hemiptera

alexaandru

2

805

30/09/2010, 17:14

alexaandru Vedi ultimo messaggio

Nessun messaggio da leggere
Allegato(i)
Megalonotus praetextatus (Herrich-Schaeffer, 1835) - Lygaeidae Rhyparochrominae Megalonotini - Toscana, Isola d'Elba

21.IX.2010 - ITALIA - Toscana - LI
Hemiptera

FORBIX

2

817

26/09/2010, 22:27

FORBIX Vedi ultimo messaggio

Nessun messaggio da leggere
Allegato(i)
Geocoris (Geocoris) lineola lineola (Rambur, 1839) - Lygaeidae Geocorinae - Toscana Isola d'Elba

16.IX.2010 - ITALIA - Toscana - LI
Hemiptera

FORBIX

2

1036

25/09/2010, 15:55

FORBIX Vedi ultimo messaggio

Nessun messaggio da leggere
Spilostethus saxatilis (Scopoli, 1763) ninfe - Lygaeidae
4.IX.2010 - ITALIA - Lazio - RI
Allegato(i)
Spilostethus saxatilis (Scopoli, 1763) ninfe - Lygaeidae

4.IX.2010 - ITALIA - Lazio - RI
Hemiptera

lillo

2

986

15/09/2010, 13:05

lillo Vedi ultimo messaggio

Nessun messaggio da leggere
Allegato(i)
Paraparomius leptopoides (Baeresprung, 1859) - Lygaeidae Rhyparochrominae - Toscana, Isola d'Elba

7.IX.2010 - ITALIA - Toscana - LI
Hemiptera

FORBIX

2

839

10/09/2010, 10:14

FORBIX Vedi ultimo messaggio

Nessun messaggio da leggere
Allegato(i)
Geocoris (Geocoris) megacephalus (Rossi, 1790)- Heteroptera Lygaeidae -Toscana, Isola d'Elba

7.IX.2010 - ITALIA - Toscana - LI
Hemiptera

FORBIX

3

946

10/09/2010, 10:08

FORBIX Vedi ultimo messaggio

Nessun messaggio da leggere
Lygaeus equestris (Linnaeus, 1758) - Lygaeidae
26.VIII.2010 - ITALIA - Piemonte - CN
Allegato(i)
Lygaeus equestris (Linnaeus, 1758) - Lygaeidae

26.VIII.2010 - ITALIA - Piemonte - CN
Hemiptera

Gremu

2

864

27/08/2010, 16:50

antoEandrea Vedi ultimo messaggio

Nessun messaggio da leggere
Allegato(i)
Paromius gracilis (Rambur, 1839) da confermare - Lygaeidae - Toscana - Isola d'Elba

15.VIII.2010 - ITALIA - Toscana - LI
Hemiptera

FORBIX

0

708

24/08/2010, 9:36

FORBIX Vedi ultimo messaggio

Nessun messaggio da leggere
Allegato(i)
Geocoris (Piocoris) erythrocephalus (Lepeletier & Serville 1825) – Lygaeidae – Toscana, Isola d’Elba

12.VIII.2010 - ITALIA - Toscana - LI
Hemiptera

FORBIX

3

1018

20/08/2010, 11:54

FORBIX Vedi ultimo messaggio

Nessun messaggio da leggere
Allegato(i)
Oxycarenus (Oxycarenus) hyalinipennis (A. Costa 1843) - Lygaeidae. Abruzzo

25.IV.2010 - ITALIA - Abruzzo - TE
Hemiptera

silvio1953

4

1338

28/06/2010, 10:51

Dioli Vedi ultimo messaggio

Nessun messaggio da leggere
Allegato(i)
Beosus quadripunctatus (Muller, 1766) - Hemiptera, Lygaeidae - (RM) Lazio

9.V.2010 - ITALIA - Lazio - RM
Hemiptera

soken

3

1215

26/06/2010, 17:01

soken Vedi ultimo messaggio

Nessun messaggio da leggere
Ischnocoris hemipterus (Schilling, 1829)
IV.2009 - ITALIA - Emilia-Romagna - BO
Allegato(i)
Ischnocoris hemipterus (Schilling, 1829)

[ Vai alla paginaVai alla pagina: 1, 2 ]



IV.2009 - ITALIA - Emilia-Romagna - BO
Hemiptera

Loriscola

18

3274

11/06/2010, 18:59

Hemerobius Vedi ultimo messaggio

Nessun messaggio da leggere
Beosus quadripunctatus (O.F. Müller, 1766) - Lygaeidae
V.2010 - ITALIA - Piemonte - TO
Allegato(i)
Beosus quadripunctatus (O.F. Müller, 1766) - Lygaeidae

V.2010 - ITALIA - Piemonte - TO
Hemiptera

Gremu

4

1395

19/05/2010, 23:34

halobates Vedi ultimo messaggio

Nessun messaggio da leggere
Aphanus rolandri (Linnaeus 1758) - Lygaeidae. Piemonte
23.IV.2010 - ITALIA - Piemonte - CN
Allegato(i)
Aphanus rolandri (Linnaeus 1758) - Lygaeidae. Piemonte

23.IV.2010 - ITALIA - Piemonte - CN
Hemiptera

Ric

2

1041

11/05/2010, 15:40

Ric Vedi ultimo messaggio

Nessun messaggio da leggere
Emblethis sp. ? - Heteroptera Lygaeidae - (CN) Piemonte
27.IV.2010 - ITALIA - Piemonte - CN
Allegato(i)
Emblethis sp. ? - Heteroptera Lygaeidae - (CN) Piemonte

27.IV.2010 - ITALIA - Piemonte - CN
Hemiptera

Ric

1

774

11/05/2010, 10:46

Palaemonetes Vedi ultimo messaggio

Nessun messaggio da leggere
Paraparomius leptopoides (Baerensprung, 1859) - Lygaeidae
3.IV.2010 - ITALIA - Emilia-Romagna - BO
Allegato(i)
Paraparomius leptopoides (Baerensprung, 1859) - Lygaeidae

3.IV.2010 - ITALIA - Emilia-Romagna - BO
Hemiptera

Notoxus59

3

1141

03/05/2010, 15:46

Dioli Vedi ultimo messaggio

Visualizza ultimi argomenti:  Ordina per  Ordine:  
nuovo argomento
Vai alla pagina Precedente  1 ... 8, 9, 10, 11, 12  Prossimo
Pagina 11 di 12 [ 573 argomenti ]

Tutti gli orari sono UTC + 1 ora [ ora legale ]


Chi c’è in linea

Visitano il forum: Nessuno e 3 ospiti


Legenda
Messaggi da leggere Messaggi da leggere Nessun messaggio da leggere Nessun messaggio da leggere Annuncio Annuncio
 
Specie indeterminata / discussione generica
Messaggi non letti [ Popolari ] Messaggi non letti [ Popolari ] Nessun messaggio da leggere [ Popolare ] Nessun messaggio da leggere [ Popolare ] Importante Importante
 
Specie determinata fino al genere o cf.
Messaggi non letti [ Bloccati ] Messaggi non letti [ Bloccati ] No messaggi non letti [ Bloccati ] No messaggi non letti [ Bloccati ] Argomento spostato Argomento spostato
 
Specie correttamente determinata
Permessi
Non puoi aprire nuovi argomenti
Non puoi rispondere negli argomenti
Non puoi modificare i tuoi messaggi
Non puoi cancellare i tuoi messaggi
Non puoi inviare allegati

Cerca per:
Vai a: