Benvenuto Ospite

Forum Entomologi Italiani

www.entomologiitaliani.net/forum
 
Oggi è 29/05/2026, 18:19

Tutti gli orari sono UTC + 1 ora [ ora legale ]

 Forum   Argomenti   Messaggi   Ultimo messaggio 
Nessun messaggio da leggere
Filtro località
Carabidae indeterminati

907

4122

11/04/2026, 20:46

phalops Vedi ultimo messaggio




 
nessun taxon determinato correttamente in questo archivio

Carabidae


[ AFROTROPICALE ] [ ANTARTICO ] [ AUSTRALASIANO ] [ NEARTICO ] [ NEOTROPICALE ] [ ORIENTALE ] [ PALEARTICO ]


nuovo argomento
Vai alla pagina Precedente  1 ... 49, 50, 51, 52, 53, 54, 55 ... 79  Prossimo
Pagina 52 di 79 [ 3938 argomenti ]
 Argomenti   Ordine   Autore   Risposte   Visite    Ultimo messaggio 
Annunci
Nessun messaggio da leggere
Allegato(i)
Incontri entomologici della Società Entomologica Italiana 2025-2026
 

Velvet Ant

0

68558

17/11/2025, 19:41

Velvet Ant Vedi ultimo messaggio

Nessun messaggio da leggere
Allegato(i)
Incontri entomologici telematici organizzati dalla Società Entomologica Italiana nel 2022 e nel 2023

[ Vai alla paginaVai alla pagina: 1, 2, 3 ]

 

Velvet Ant

44

2187617

03/03/2023, 15:55

Velvet Ant Vedi ultimo messaggio

Nessun messaggio da leggere  
Allegato(i)
Sondaggio sul declino dell'entomofauna in Italia

[ Vai alla paginaVai alla pagina: 1, 2, 3, 4 ]

 

Velvet Ant

52

2877291

22/10/2022, 19:18

Acquarius Vedi ultimo messaggio

Nessun messaggio da leggere  
Allegato(i)
Progetto: Bibliografia ragionata dei lavori entomologici nei quali sono citati reperti apparsi su FEI

[ Vai alla paginaVai alla pagina: 1, 2, 3 ]

 

Velvet Ant

33

1752362

06/07/2023, 18:31

Orotrechus Vedi ultimo messaggio

Nessun messaggio da leggere
Allegato(i)
Mimesi, il primo documentario cinematografico sull’entomologia in Italia: casting
 

mazzeip

1

1164625

28/02/2019, 20:26

mazzeip Vedi ultimo messaggio

Questo argomento è bloccato, non puoi modificare o inviare ulteriori messaggi.
Allegato(i)
ISTRUZIONI PUBBLICAZIONE NUOVI ARGOMENTI E FOTO

 
Altri Ordini di Insetti

Julodis

4

2992533

13/05/2015, 19:37

Julodis Vedi ultimo messaggio

Nessun messaggio da leggere
Allegato(i)
Limitatore giornaliero di messaggi, uno strumento utile e ormai indispensabile

[ Vai alla paginaVai alla pagina: 1 ... 14, 15, 16 ]

 

Velvet Ant

233

14548007

25/09/2014, 14:31

Inachis Vedi ultimo messaggio

Nessun messaggio da leggere  
NORME PER I COLLABORATORI DEL FORUM

 
 

Velvet Ant

0

692365

02/06/2011, 12:05

Velvet Ant Vedi ultimo messaggio

Nessun messaggio da leggere
Allegato(i)
NORME PER GLI UTENTI DEL FORUM

[ Vai alla paginaVai alla pagina: 1, 2, 3 ]



 
 

Velvet Ant

30

3868143

23/09/2014, 23:54

Maurizio Bollino Vedi ultimo messaggio

Nessun messaggio da leggere  
Lista degli utenti del "Forum entomologi italiani" per campi di interesse e specializzazione

 
Altri Ordini di Insetti

Velvet Ant

13

1187948

07/09/2023, 17:14

Roberto-07 Vedi ultimo messaggio

Argomenti
Nessun messaggio da leggere
Tachys (Tachys) scutellaris Stephens, 1828 - Carabidae
25.III.2012 - ITALIA - Friuli-Venezia Giulia - GO
Allegato(i)
Tachys (Tachys) scutellaris Stephens, 1828 - Carabidae

25.III.2012 - ITALIA - Friuli-Venezia Giulia - GO
Coleoptera

Agdistis

2

578

28/03/2012, 10:08

magosti Vedi ultimo messaggio

Nessun messaggio da leggere
Notaphus (Notaphus) varius (Olivier, 1795) - Carabidae
25.III.2012 - ITALIA - Friuli-Venezia Giulia - GO
Allegato(i)
Notaphus (Notaphus) varius (Olivier, 1795) - Carabidae

25.III.2012 - ITALIA - Friuli-Venezia Giulia - GO
Coleoptera

Agdistis

5

832

28/03/2012, 9:30

Andrea Pergine Vedi ultimo messaggio

Nessun messaggio da leggere
Amara (Amara) eurynota (Panzer, 1796) (cf) - Carabidae
25.III.2012 - ITALIA - Marche - AN
Allegato(i)
Amara (Amara) eurynota (Panzer, 1796) (cf) - Carabidae

25.III.2012 - ITALIA - Marche - AN
Coleoptera

StagBeetle

3

841

27/03/2012, 22:13

StagBeetle Vedi ultimo messaggio

Nessun messaggio da leggere
Allegato(i)
Anisodactylus (Anisodactylus) binotatus (Fabricius, 1787) - Carabidae

15.III.2012 - ITALIA - Veneto - VR
Coleoptera

Umbro

2

636

27/03/2012, 22:10

Umbro Vedi ultimo messaggio

Nessun messaggio da leggere
Platyderus (Platyderus) neapolitanus (Reiche, 1855) - Carabidae
19.III.2012 - ITALIA - Emilia-Romagna - RE
Allegato(i)
Platyderus (Platyderus) neapolitanus (Reiche, 1855) - Carabidae

19.III.2012 - ITALIA - Emilia-Romagna - RE
Coleoptera

Mikiphasmide

6

1041

27/03/2012, 22:02

gomphus Vedi ultimo messaggio

Nessun messaggio da leggere
Ocydromus (Peryphanes) latinus (Netolitzky, 1911) - Carabidae
17.III.2012 - ITALIA - Puglia - BA
Allegato(i)
Ocydromus (Peryphanes) latinus (Netolitzky, 1911) - Carabidae

17.III.2012 - ITALIA - Puglia - BA
Coleoptera

Mimmo011

4

987

27/03/2012, 21:53

Mimmo011 Vedi ultimo messaggio

Nessun messaggio da leggere
Platyderus (Platyderus) neapolitanus (Reiche, 1855) - Carabidae
19.III.2012 - ITALIA - Emilia-Romagna - RE
Allegato(i)
Platyderus (Platyderus) neapolitanus (Reiche, 1855) - Carabidae

19.III.2012 - ITALIA - Emilia-Romagna - RE
Coleoptera

Mikiphasmide

2

569

27/03/2012, 21:38

gomphus Vedi ultimo messaggio

Nessun messaggio da leggere
Poecilus (Poecilus) cupreus (Linnaeus, 1758) - Carabidae
18.III.2012 - ITALIA - Lombardia - MN
Allegato(i)
Poecilus (Poecilus) cupreus (Linnaeus, 1758) - Carabidae

18.III.2012 - ITALIA - Lombardia - MN
Coleoptera

Mikiphasmide

4

760

27/03/2012, 20:55

Mikiphasmide Vedi ultimo messaggio

Nessun messaggio da leggere
Allegato(i)
Anisodactylus (Anisodactylus) binotatus (Fabricius, 1787) - Carabidae

1.III.2012 - ITALIA - Veneto - VR
Coleoptera

Umbro

9

1302

27/03/2012, 14:14

Umbro Vedi ultimo messaggio

Nessun messaggio da leggere
Dicheirotrichus (Dicheirotrichus) obsoletus (Dejean, 1829) - Carabidae
30.IX.2011 - ITALIA - Friuli-Venezia Giulia - GO
Allegato(i)
Dicheirotrichus (Dicheirotrichus) obsoletus (Dejean, 1829) - Carabidae

30.IX.2011 - ITALIA - Friuli-Venezia Giulia - GO
Coleoptera

Agdistis

5

1240

26/03/2012, 23:16

Agdistis Vedi ultimo messaggio

Nessun messaggio da leggere
Philochthus lunulatus (Geffroy in Fourcroy, 1785) - Carabidae
8.VIII.2011 - ITALIA - Friuli-Venezia Giulia - GO
Allegato(i)
Philochthus lunulatus (Geffroy in Fourcroy, 1785) - Carabidae

8.VIII.2011 - ITALIA - Friuli-Venezia Giulia - GO
Coleoptera

Agdistis

4

728

26/03/2012, 21:31

Agdistis Vedi ultimo messaggio

Nessun messaggio da leggere
Diachromus germanus (Linnaeus, 1758) - Carabidae
15.III.2012 - ITALIA - Veneto - VR
Allegato(i)
Diachromus germanus (Linnaeus, 1758) - Carabidae

15.III.2012 - ITALIA - Veneto - VR
Coleoptera

Umbro

1

543

26/03/2012, 20:07

magosti Vedi ultimo messaggio

Nessun messaggio da leggere
Ocys harpaloides (Audinet-Serville, 1821) - Carabidae
17.III.2012 - ITALIA - Friuli-Venezia Giulia - GO
Allegato(i)
Ocys harpaloides (Audinet-Serville, 1821) - Carabidae

17.III.2012 - ITALIA - Friuli-Venezia Giulia - GO
Coleoptera

Agdistis

5

961

26/03/2012, 11:43

Loriscola Vedi ultimo messaggio

Nessun messaggio da leggere
Carabus (Eucarabus) catenulatus Scopoli, 1763 - Carabidae
4.III.2012 - ITALIA - Friuli-Venezia Giulia - GO
Allegato(i)
Carabus (Eucarabus) catenulatus Scopoli, 1763 - Carabidae

4.III.2012 - ITALIA - Friuli-Venezia Giulia - GO
Coleoptera

Agdistis

4

1098

25/03/2012, 22:22

eurinomio Vedi ultimo messaggio

Nessun messaggio da leggere
Paranchus albipes (Fabricius, 1796) - Carabidae
15.III.2012 - ITALIA - Veneto - VR
Allegato(i)
Paranchus albipes (Fabricius, 1796) - Carabidae

15.III.2012 - ITALIA - Veneto - VR
Coleoptera

Umbro

2

642

25/03/2012, 21:43

Umbro Vedi ultimo messaggio

Nessun messaggio da leggere
Patrobus atrorufus (Stroem, 1768) - Carabidae
15.III.2012 - ITALIA - Veneto - VR
Allegato(i)
Patrobus atrorufus (Stroem, 1768) - Carabidae

15.III.2012 - ITALIA - Veneto - VR
Coleoptera

Umbro

2

614

25/03/2012, 21:42

Umbro Vedi ultimo messaggio

Nessun messaggio da leggere
Allegato(i)
Leistus (Pogonophorus) rufomarginatus (Duftschmid 1812) - Carabidae

22.III.2012 - ITALIA - Sicilia - ME
Coleoptera

Lucanus tetraodon

4

671

25/03/2012, 21:09

Lucanus tetraodon Vedi ultimo messaggio

Nessun messaggio da leggere
Harpalus (Harpalus) distinguendus (Duftschmid, 1812) - Carabidae
18.III.2012 - ITALIA - Lombardia - MN
Allegato(i)
Harpalus (Harpalus) distinguendus (Duftschmid, 1812) - Carabidae

18.III.2012 - ITALIA - Lombardia - MN
Coleoptera

Mikiphasmide

1

589

25/03/2012, 12:27

gabrif Vedi ultimo messaggio

Nessun messaggio da leggere
Allegato(i)
Pterostichus (Oreophilus) externepunctatus (Dejean, 1828) - Carabidae

16.III.2012 - ITALIA - Piemonte - TO
Coleoptera

ruzzpa

3

728

25/03/2012, 2:52

ruzzpa Vedi ultimo messaggio

Nessun messaggio da leggere
Bembidion (Trepanes) articulatum (Panzer,1796) - Carabidae
4.VI.2011 - ITALIA - Friuli-Venezia Giulia - GO
Allegato(i)
Bembidion (Trepanes) articulatum (Panzer,1796) - Carabidae

4.VI.2011 - ITALIA - Friuli-Venezia Giulia - GO
Coleoptera

Agdistis

3

717

25/03/2012, 0:02

magosti Vedi ultimo messaggio

Nessun messaggio da leggere
Limodromus assimilis Paykull, 1790 - Carabidae
16.III.2012 - ITALIA - Piemonte - TO
Allegato(i)
Limodromus assimilis Paykull, 1790 - Carabidae

16.III.2012 - ITALIA - Piemonte - TO
Coleoptera

ruzzpa

2

599

24/03/2012, 22:49

gabrif Vedi ultimo messaggio

Nessun messaggio da leggere
Allegato(i)
Cicindela (Cicindela) campestris campestris Linnaeus, 1758 - Carabidae Cicindelinae

23.III.2012 - ITALIA - Lazio - RM
Coleoptera

Fabio Turchetti

0

413

24/03/2012, 13:10

Fabio Turchetti Vedi ultimo messaggio

Nessun messaggio da leggere
Allegato(i)
Notiophilus substriatus G. R. Waterhouse, 1833 - Carabidae

VIII.2010 - ITALIA - Lazio - VT
Coleoptera

Andricus

4

845

24/03/2012, 11:13

vittorino monzini Vedi ultimo messaggio

Nessun messaggio da leggere
Harpalus (Harpalus) tardus (Panzer, 1797) - Carabidae
18.III.2012 - ITALIA - Lombardia - MN
Allegato(i)
Harpalus (Harpalus) tardus (Panzer, 1797) - Carabidae

18.III.2012 - ITALIA - Lombardia - MN
Coleoptera

Mikiphasmide

3

822

24/03/2012, 0:04

magosti Vedi ultimo messaggio

Nessun messaggio da leggere
Allegato(i)
Asaphidion flavipes (Linnaeus, 1761) - Carabidae Trechinae Bembidiini Bembidiina

17.III.2012 - ITALIA - Marche - AN
Coleoptera

StagBeetle

14

1922

23/03/2012, 22:36

StagBeetle Vedi ultimo messaggio

Nessun messaggio da leggere
Bembidion (Bembidion) quadrimaculatum (Linnaeus, 1761) - Carabidae
29.VII.2011 - ITALIA - Friuli-Venezia Giulia - GO
Allegato(i)
Bembidion (Bembidion) quadrimaculatum (Linnaeus, 1761) - Carabidae

29.VII.2011 - ITALIA - Friuli-Venezia Giulia - GO
Coleoptera

Agdistis

3

885

23/03/2012, 22:19

Agdistis Vedi ultimo messaggio

Nessun messaggio da leggere
Ocydromus (Nepha) genei illigeri (Netolitzky, 1914) - Carabidae
10.IV.2011 - ITALIA - Friuli-Venezia Giulia - GO
Allegato(i)
Ocydromus (Nepha) genei illigeri (Netolitzky, 1914) - Carabidae

10.IV.2011 - ITALIA - Friuli-Venezia Giulia - GO
Coleoptera

Agdistis

3

776

23/03/2012, 22:18

Agdistis Vedi ultimo messaggio

Nessun messaggio da leggere
Allegato(i)
Pseudoophonus (Pseudoophonus) rufipes (De Geer, 1774) - Carabidae

18.III.2012 - ITALIA - Lazio - RM
Coleoptera

Fabio Turchetti

2

754

21/03/2012, 23:56

Fabio Turchetti Vedi ultimo messaggio

Nessun messaggio da leggere
Atranus ruficollis (Gautier des Cottes, 1857) - Carabidae
17.III.2012 - ITALIA - Friuli-Venezia Giulia - GO
Allegato(i)
Atranus ruficollis (Gautier des Cottes, 1857) - Carabidae

17.III.2012 - ITALIA - Friuli-Venezia Giulia - GO
Coleoptera

Agdistis

4

1547

21/03/2012, 19:41

Agdistis Vedi ultimo messaggio

Nessun messaggio da leggere
Harpalus (Harpalus) tardus (Panzer, 1797) - Carabidae
11.III.2012 - ITALIA - Lazio - VT
Allegato(i)
Harpalus (Harpalus) tardus (Panzer, 1797) - Carabidae

11.III.2012 - ITALIA - Lazio - VT
Coleoptera

Andricus

3

1223

20/03/2012, 15:04

Andricus Vedi ultimo messaggio

Nessun messaggio da leggere
Allegato(i)
Ocydromus (Peryphanes) lafertei (Jacquelin du Val, 1851) - Carabidae

18.III.2012 - ITALIA - Sardegna - CA
Coleoptera

Fumea crassiorella

2

841

19/03/2012, 23:49

Fumea crassiorella Vedi ultimo messaggio

Nessun messaggio da leggere
Allegato(i)
Carabus (Carabus) granulatus interstitialis Duftschmid, 1812 ♀ - Carabidae

1.III.2012 - ITALIA - Veneto - VR
Coleoptera

Umbro

1

781

19/03/2012, 16:36

Andricus Vedi ultimo messaggio

Nessun messaggio da leggere
Allegato(i)
Harpalus (Harpalus) dimidiatus (P. Rossi, 1790) - Carabidae

2.VI.2011 - ITALIA - Umbria - PG
Coleoptera

Maura

4

771

19/03/2012, 11:45

Maura Vedi ultimo messaggio

Nessun messaggio da leggere
Paranchus albipes (Fabricius, 1796) - Carabidae
18.III.2012 - ITALIA - Sardegna - CA
Allegato(i)
Paranchus albipes (Fabricius, 1796) - Carabidae

18.III.2012 - ITALIA - Sardegna - CA
Coleoptera

Fumea crassiorella

2

493

19/03/2012, 10:57

Fumea crassiorella Vedi ultimo messaggio

Nessun messaggio da leggere
Pterostichus (Melanius) elongatus (Duftschmid, 1812) - Carabidae
18.III.2012 - ITALIA - Sardegna - CA
Allegato(i)
Pterostichus (Melanius) elongatus (Duftschmid, 1812) - Carabidae

18.III.2012 - ITALIA - Sardegna - CA
Coleoptera

Fumea crassiorella

2

531

19/03/2012, 10:56

Fumea crassiorella Vedi ultimo messaggio

Nessun messaggio da leggere
Allegato(i)
Cicindela (Cicindela) campestris nigrita Dejean, 1825 - Carabidae Cicindelinae

16.III.2012 - ITALIA - Sardegna - OT
Coleoptera

Caterina Azara

5

920

19/03/2012, 1:40

elleelle Vedi ultimo messaggio

Nessun messaggio da leggere
Ophonus (Ophonus) diffinis (Dejean 1829) - Carabidae
3.III.2012 - ITALIA - Sicilia - PA
Allegato(i)
Ophonus (Ophonus) diffinis (Dejean 1829) - Carabidae

3.III.2012 - ITALIA - Sicilia - PA
Coleoptera

carabus

4

756

17/03/2012, 11:46

vittorino monzini Vedi ultimo messaggio

Nessun messaggio da leggere
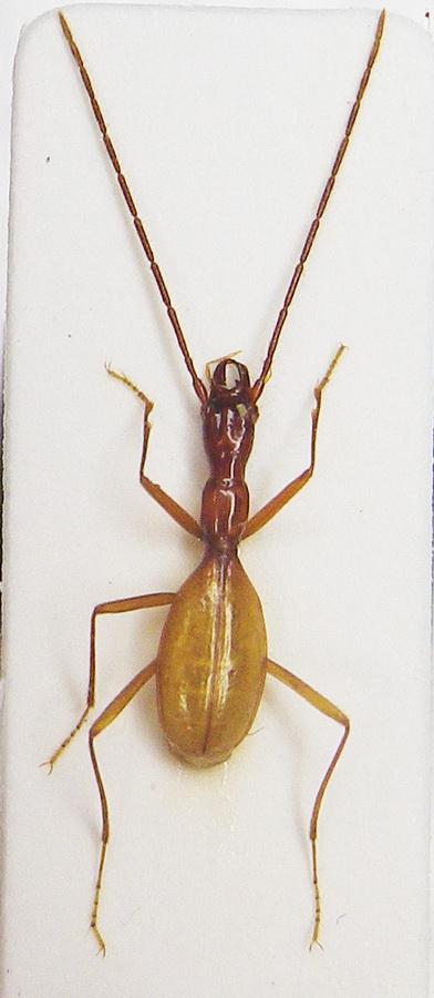
Orotrechus messaii mayor Busulini, 1959 - Carabidae Trechinae
15.VII.1990 - ITALIA - Veneto - TV
Allegato(i)
Orotrechus messaii mayor Busulini, 1959 - Carabidae Trechinae

15.VII.1990 - ITALIA - Veneto - TV
Coleoptera

Orotrechus

0

483

16/03/2012, 23:28

Orotrechus Vedi ultimo messaggio

Nessun messaggio da leggere
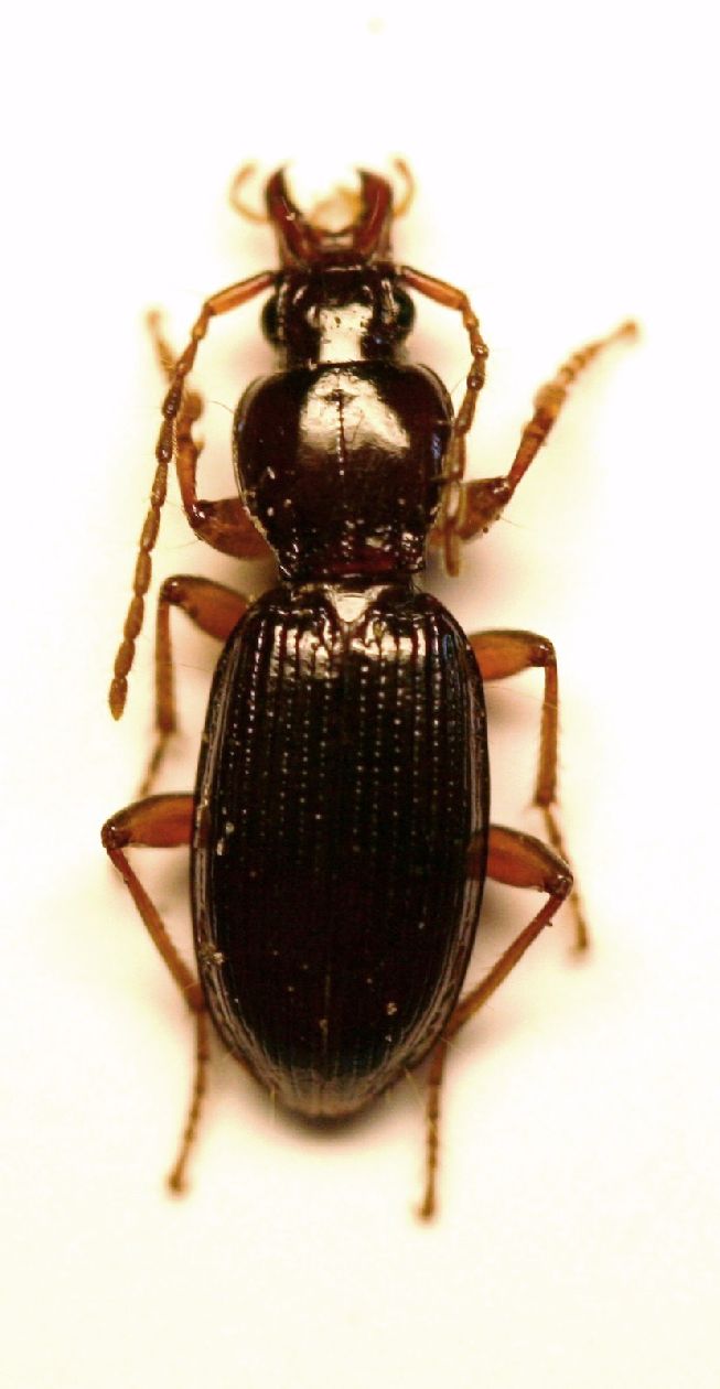
Italaphaenops dimaioi Ghidini, 1964 - Carabidae
13.IV.2009 - ITALIA - Veneto - VR
Allegato(i)
Italaphaenops dimaioi Ghidini, 1964 - Carabidae

13.IV.2009 - ITALIA - Veneto - VR
Coleoptera

vittorino monzini

10

1739

16/03/2012, 21:57

eurinomio Vedi ultimo messaggio

Nessun messaggio da leggere
Orotrechus gigas dallarmi Daffner, 1987 - Carabidae
20.VI.1995 - ITALIA - Veneto - TV
Allegato(i)
Orotrechus gigas dallarmi Daffner, 1987 - Carabidae

20.VI.1995 - ITALIA - Veneto - TV
Coleoptera

Orotrechus

4

970

16/03/2012, 20:27

Notoxus59 Vedi ultimo messaggio

Nessun messaggio da leggere
Parophonus hirsutulus (Dejean, 1829) - Carabidae
24.II.2012 - ITALIA - Veneto - RO
Allegato(i)
Parophonus hirsutulus (Dejean, 1829) - Carabidae

24.II.2012 - ITALIA - Veneto - RO
Coleoptera

Umbro

2

673

16/03/2012, 19:01

Umbro Vedi ultimo messaggio

Nessun messaggio da leggere
Allegato(i)
Chlaenius (Trichochlaenius) chrysocephalus (P. Rossi, 1790) - Carabidae

3.IV.2011 - ITALIA - Lazio - RM
Coleoptera

Valerio

1

544

15/03/2012, 20:24

Tenebrio Vedi ultimo messaggio

Nessun messaggio da leggere
Agonum (Agonum) marginatum (Linnaeus, 1758) - Carabidae
3.IV.2011 - ITALIA - Lazio - RM
Allegato(i)
Agonum (Agonum) marginatum (Linnaeus, 1758) - Carabidae

3.IV.2011 - ITALIA - Lazio - RM
Coleoptera

Valerio

1

500

15/03/2012, 20:22

Tenebrio Vedi ultimo messaggio

Nessun messaggio da leggere
Stomis bucciarellii Pesarini, 1979 - Carabidae
11.III.2012 - ITALIA - Emilia-Romagna - BO
Allegato(i)
Stomis bucciarellii Pesarini, 1979 - Carabidae

11.III.2012 - ITALIA - Emilia-Romagna - BO
Coleoptera

Loriscola

2

708

15/03/2012, 9:10

Loriscola Vedi ultimo messaggio

Nessun messaggio da leggere
Chlaeniellus vestitus (Paykull, 1790) - Carabidae
III.2010 - ITALIA - Lazio - RM
Allegato(i)
Chlaeniellus vestitus (Paykull, 1790) - Carabidae

III.2010 - ITALIA - Lazio - RM
Coleoptera

Valerio

2

521

14/03/2012, 20:37

Valerio Vedi ultimo messaggio

Nessun messaggio da leggere
Chlaeniellus olivieri (Crotch, 1871) - Carabidae
3.IV.2011 - ITALIA - Lazio - RM
Allegato(i)
Chlaeniellus olivieri (Crotch, 1871) - Carabidae

3.IV.2011 - ITALIA - Lazio - RM
Coleoptera

Valerio

1

461

14/03/2012, 20:18

Tenebrio Vedi ultimo messaggio

Nessun messaggio da leggere
Chlaeniellus nitidulus (Schrank, 1781) - Carabidae
1.III.2012 - ITALIA - Veneto - VR
Allegato(i)
Chlaeniellus nitidulus (Schrank, 1781) - Carabidae

1.III.2012 - ITALIA - Veneto - VR
Coleoptera

Umbro

2

571

14/03/2012, 20:16

Umbro Vedi ultimo messaggio

Nessun messaggio da leggere
Allegato(i)
Pterostichus (Pseudomaseus) anthracinus hespericus (Bucciarelli & Sopracordevole, 1958) - Carabidae, Pterostichinae

8.VI.2010 - ITALIA - Liguria - SP
Coleoptera

Valerio

4

878

14/03/2012, 10:18

Valerio Vedi ultimo messaggio

Nessun messaggio da leggere
Allegato(i)
Chlaenius (Chlaenius) velutinus velutinus (Duftschmid, 1812) - Carabidae

8.VI.2010 - ITALIA - Liguria - SP
Coleoptera

Valerio

3

1082

13/03/2012, 23:00

Tenebrio Vedi ultimo messaggio

Nessun messaggio da leggere
Callistus lunatus (Fabricius, 1775) - Carabidae
11.III.2012 - ITALIA - Toscana - PT
Allegato(i)
Callistus lunatus (Fabricius, 1775) - Carabidae

11.III.2012 - ITALIA - Toscana - PT
Coleoptera

Fabio23@

10

2372

13/03/2012, 22:30

Julodis Vedi ultimo messaggio

Visualizza ultimi argomenti:  Ordina per  Ordine:  
nuovo argomento
Vai alla pagina Precedente  1 ... 49, 50, 51, 52, 53, 54, 55 ... 79  Prossimo
Pagina 52 di 79 [ 3938 argomenti ]

Tutti gli orari sono UTC + 1 ora [ ora legale ]


Chi c’è in linea

Visitano il forum: Nessuno e 8 ospiti


Legenda
Messaggi da leggere Messaggi da leggere Nessun messaggio da leggere Nessun messaggio da leggere Annuncio Annuncio
 
Specie indeterminata / discussione generica
Messaggi non letti [ Popolari ] Messaggi non letti [ Popolari ] Nessun messaggio da leggere [ Popolare ] Nessun messaggio da leggere [ Popolare ] Importante Importante
 
Specie determinata fino al genere o cf.
Messaggi non letti [ Bloccati ] Messaggi non letti [ Bloccati ] No messaggi non letti [ Bloccati ] No messaggi non letti [ Bloccati ] Argomento spostato Argomento spostato
 
Specie correttamente determinata
Permessi
Non puoi aprire nuovi argomenti
Non puoi rispondere negli argomenti
Non puoi modificare i tuoi messaggi
Non puoi cancellare i tuoi messaggi
Non puoi inviare allegati

Cerca per:
Vai a: