Benvenuto Ospite

Forum Entomologi Italiani

www.entomologiitaliani.net/forum
 
Oggi è 28/05/2026, 15:46

Tutti gli orari sono UTC + 1 ora [ ora legale ]

 Forum   Argomenti   Messaggi   Ultimo messaggio 
Nessun messaggio da leggere
Filtro località
Carabidae indeterminati

907

4122

11/04/2026, 20:46

phalops Vedi ultimo messaggio




28% 
1534 taxa correttamente determinati su 5472 presenti in archivio

Carabidae


[ AFROTROPICALE ] [ ANTARTICO ] [ AUSTRALASIANO ] [ NEARTICO ] [ NEOTROPICALE ] [ ORIENTALE ] [ PALEARTICO ]


nuovo argomento
Vai alla pagina Precedente  1 ... 4, 5, 6, 7, 8, 9, 10 ... 154  Prossimo
Pagina 7 di 154 [ 7698 argomenti ]
 Argomenti   Ordine   Autore   Risposte   Visite    Ultimo messaggio 
Annunci
Nessun messaggio da leggere
Allegato(i)
Incontri entomologici della Società Entomologica Italiana 2025-2026
 

Velvet Ant

0

68056

17/11/2025, 19:41

Velvet Ant Vedi ultimo messaggio

Nessun messaggio da leggere
Allegato(i)
Incontri entomologici telematici organizzati dalla Società Entomologica Italiana nel 2022 e nel 2023

[ Vai alla paginaVai alla pagina: 1, 2, 3 ]

 

Velvet Ant

44

2180471

03/03/2023, 15:55

Velvet Ant Vedi ultimo messaggio

Nessun messaggio da leggere  
Allegato(i)
Sondaggio sul declino dell'entomofauna in Italia

[ Vai alla paginaVai alla pagina: 1, 2, 3, 4 ]

 

Velvet Ant

52

2869859

22/10/2022, 19:18

Acquarius Vedi ultimo messaggio

Nessun messaggio da leggere  
Allegato(i)
Progetto: Bibliografia ragionata dei lavori entomologici nei quali sono citati reperti apparsi su FEI

[ Vai alla paginaVai alla pagina: 1, 2, 3 ]

 

Velvet Ant

33

1747725

06/07/2023, 18:31

Orotrechus Vedi ultimo messaggio

Nessun messaggio da leggere
Allegato(i)
Mimesi, il primo documentario cinematografico sull’entomologia in Italia: casting
 

mazzeip

1

1163898

28/02/2019, 20:26

mazzeip Vedi ultimo messaggio

Questo argomento è bloccato, non puoi modificare o inviare ulteriori messaggi.
Allegato(i)
ISTRUZIONI PUBBLICAZIONE NUOVI ARGOMENTI E FOTO

 
Altri Ordini di Insetti

Julodis

4

2991620

13/05/2015, 19:37

Julodis Vedi ultimo messaggio

Nessun messaggio da leggere
Allegato(i)
Limitatore giornaliero di messaggi, uno strumento utile e ormai indispensabile

[ Vai alla paginaVai alla pagina: 1 ... 14, 15, 16 ]

 

Velvet Ant

233

14518358

25/09/2014, 14:31

Inachis Vedi ultimo messaggio

Nessun messaggio da leggere  
NORME PER I COLLABORATORI DEL FORUM

 
 

Velvet Ant

0

691824

02/06/2011, 12:05

Velvet Ant Vedi ultimo messaggio

Nessun messaggio da leggere
Allegato(i)
NORME PER GLI UTENTI DEL FORUM

[ Vai alla paginaVai alla pagina: 1, 2, 3 ]



 
 

Velvet Ant

30

3862794

23/09/2014, 23:54

Maurizio Bollino Vedi ultimo messaggio

Nessun messaggio da leggere  
Lista degli utenti del "Forum entomologi italiani" per campi di interesse e specializzazione

 
Altri Ordini di Insetti

Velvet Ant

13

1186571

07/09/2023, 17:14

Roberto-07 Vedi ultimo messaggio

Argomenti
Nessun messaggio da leggere
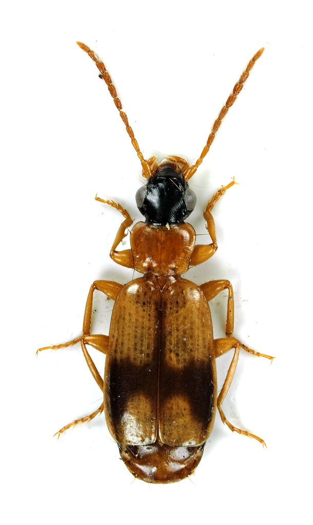
Acupalpus (Acupalpus) brunnipes (Sturm, 1825) - Carabidae
12.VIII.2023 - ITALIA - Lazio - RM
Allegato(i)
Acupalpus (Acupalpus) brunnipes (Sturm, 1825) - Carabidae

12.VIII.2023 - ITALIA - Lazio - RM
Coleoptera

soken

0

736

15/08/2023, 17:35

soken Vedi ultimo messaggio

Nessun messaggio da leggere
Allegato(i) Dettagli della specie
Calosoma (Campalita) maderae auropunctatum (Herbst, 1784)
Carabidae


20.VII.2020 - ITALIA - Lombardia - VA
Coleoptera

Il Baratelli

7

1629

06/08/2023, 21:52

StagBeetle Vedi ultimo messaggio

Nessun messaggio da leggere
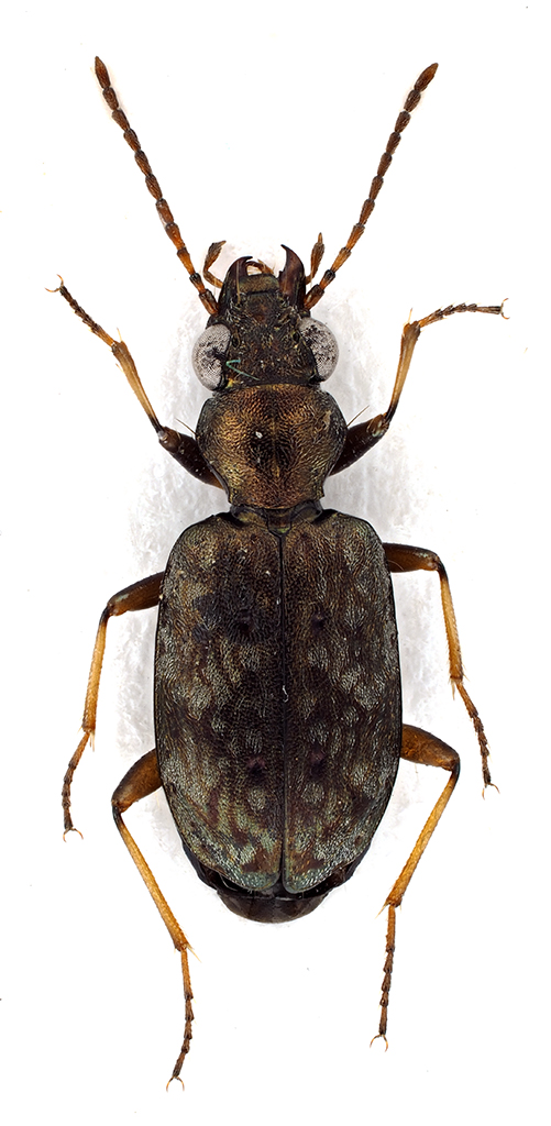
Percus ibrido passerinii/dejeani - Carabidae
VII.2023 - ITALIA - Marche - FM
Allegato(i)
Percus ibrido passerinii/dejeani - Carabidae

VII.2023 - ITALIA - Marche - FM
Coleoptera

Calathus

3

913

06/08/2023, 18:39

Calathus Vedi ultimo messaggio

Nessun messaggio da leggere
Allegato(i)
Laemostenus (Pristonychus) cimmerius (Fischer von Waldheim, 1823) (cf.) - Carabidae

30.VII.2023 - ITALIA - Campania - AV
Coleoptera

entodevia

2

746

06/08/2023, 15:41

gabrif Vedi ultimo messaggio

Nessun messaggio da leggere
Pterostichus (Pseudomaseus) oenotrius Ravizza, 1975 - Carabidae
26.VI.2023 - ITALIA - Friuli-Venezia Giulia - PN
Allegato(i) Dettagli della specie
Pterostichus (Pseudomaseus) oenotrius Ravizza, 1975
Carabidae


26.VI.2023 - ITALIA - Friuli-Venezia Giulia - PN
Coleoptera

Gabriele

3

742

01/08/2023, 12:54

Nicola Vedi ultimo messaggio

Nessun messaggio da leggere
Mouhotia gloriosa Laporte, 1862 - Carabidae
VI.2023 - VIETNAM - EE
Allegato(i)
Mouhotia gloriosa Laporte, 1862 - Carabidae

VI.2023 - VIETNAM - EE
Coleoptera

Calathus

2

833

29/07/2023, 23:29

Calathus Vedi ultimo messaggio

Nessun messaggio da leggere
Calathus (Calathus) montivagus Dejean, 1831 - Carabidae
11.VI.2023 - ITALIA - Calabria - VV
Allegato(i)
Calathus (Calathus) montivagus Dejean, 1831 - Carabidae

11.VI.2023 - ITALIA - Calabria - VV
Coleoptera

soken

0

810

27/07/2023, 21:21

soken Vedi ultimo messaggio

Nessun messaggio da leggere
Perigona nigriceps (Dejean, 1831) - Carabidae
9.VII.2023 - ITALIA - Toscana - PI
Allegato(i)
Perigona nigriceps (Dejean, 1831) - Carabidae
Carabidae


9.VII.2023 - ITALIA - Toscana - PI
Coleoptera

Stefano79

5

1127

16/07/2023, 23:31

Stefano79 Vedi ultimo messaggio

Nessun messaggio da leggere
Abax (Abax) pilleri Csiki, 1916 (cf.) - Carabidae
16.VI.2023 - ITALIA - Trentino-Alto Adige - TN
Allegato(i)
Abax (Abax) pilleri Csiki, 1916 (cf.) - Carabidae

16.VI.2023 - ITALIA - Trentino-Alto Adige - TN
Coleoptera

Chalybion

1

876

16/07/2023, 18:10

Chalybion Vedi ultimo messaggio

Nessun messaggio da leggere
Allegato(i)
Carabus (Chrysocarabus) solieri liguranus Breuning, 1932 - Carabidae

7.VII.2023 - ITALIA - Piemonte - CN
Coleoptera

checcapitipiti

1

968

16/07/2023, 8:32

aug Vedi ultimo messaggio

Nessun messaggio da leggere
Calosoma (Calosoma) sycophanta (Linnaeus, 1758) - Carabidae
13.VII.2023 - ITALIA - Marche - PU
Allegato(i)
Calosoma (Calosoma) sycophanta (Linnaeus, 1758) - Carabidae

13.VII.2023 - ITALIA - Marche - PU
Coleoptera

plumipes

2

714

15/07/2023, 8:40

plumipes Vedi ultimo messaggio

Nessun messaggio da leggere
Drypta dentata (Rossi,1790) - Carabidae Dryptinae
30.VI.2023 - ITALIA - Lombardia - CO
Allegato(i)
Drypta dentata (Rossi,1790) - Carabidae Dryptinae

30.VI.2023 - ITALIA - Lombardia - CO
Coleoptera

fasmidi

3

802

08/07/2023, 11:09

fasmidi Vedi ultimo messaggio

Nessun messaggio da leggere
Distichus (Distichus) planus (Bonelli, 1813) - Carabidae
10.II.2023 - ITALIA - Lazio - RM
Allegato(i)
Distichus (Distichus) planus (Bonelli, 1813) - Carabidae
Carabidae


10.II.2023 - ITALIA - Lazio - RM
Coleoptera

elleelle

1

645

07/07/2023, 9:26

Stefano79 Vedi ultimo messaggio

Nessun messaggio da leggere
Pterostichus (Cheporus) burmeisteri Heer, 1837 - Carabidae
16.VI.2023 - ITALIA - Trentino-Alto Adige - TN
Allegato(i)
Pterostichus (Cheporus) burmeisteri Heer, 1837 - Carabidae

16.VI.2023 - ITALIA - Trentino-Alto Adige - TN
Coleoptera

Chalybion

0

752

06/07/2023, 17:41

Chalybion Vedi ultimo messaggio

Nessun messaggio da leggere
Allegato(i)
Stenolophus (Stenolophus) skrimshiranus Stephens, 1828 - Carabidae

28.VI.2023 - ITALIA - Sicilia - ME
Coleoptera

Lucanus tetraodon

7

1155

05/07/2023, 12:51

Lucanus tetraodon Vedi ultimo messaggio

Nessun messaggio da leggere
Carabus (Eurycarabus) genei Gené, 1839 - Carabidae
25.V.2023 - ITALIA - Sardegna - SS
Allegato(i) Dettagli della specie
Carabus (Eurycarabus) genei Gené, 1839
Carabidae


25.V.2023 - ITALIA - Sardegna - SS
Coleoptera

micromondo1966

13

1633

26/06/2023, 15:56

micromondo1966 Vedi ultimo messaggio

Nessun messaggio da leggere
Calathus (Calathus) fuscipes graecus Dejean, 1831 - Carabidae
7.VI.2023 - ITALIA - Lombardia - MB
Allegato(i) Dettagli della specie
Calathus (Calathus) fuscipes graecus Dejean, 1831
Carabidae


7.VI.2023 - ITALIA - Lombardia - MB
Coleoptera

Giuseppe

3

758

20/06/2023, 15:57

Giuseppe Vedi ultimo messaggio

Nessun messaggio da leggere
Calathus melanocephalus (Linnaeus, 1758) - Carabidae
30.IV.2023 - ITALIA - Friuli-Venezia Giulia - UD
Allegato(i)
Calathus melanocephalus (Linnaeus, 1758) - Carabidae

30.IV.2023 - ITALIA - Friuli-Venezia Giulia - UD
Coleoptera

Michele A

2

639

19/06/2023, 9:11

Michele A Vedi ultimo messaggio

Nessun messaggio da leggere
Asaphidion flavipes (Linnaeus, 1761) - Carabidae
13.VI.2023 - ITALIA - Friuli-Venezia Giulia - PN
Allegato(i)
Asaphidion flavipes (Linnaeus, 1761) - Carabidae

13.VI.2023 - ITALIA - Friuli-Venezia Giulia - PN
Coleoptera

Gabriele

2

636

15/06/2023, 22:58

Gabriele Vedi ultimo messaggio

Nessun messaggio da leggere
Allegato(i) Dettagli della specie
Carabus (Macrothorax) morbillosus bruttianus Born, 1925
Carabidae


11.VI.2023 - ITALIA - Calabria - VV
Coleoptera

soken

0

920

13/06/2023, 23:02

soken Vedi ultimo messaggio

Nessun messaggio da leggere
Allegato(i) Dettagli della specie
Percus (Percus) strictus oberleitneri (Dejean, 1831)
Carabidae


3.IV.2023 - ITALIA - Sardegna - SS
Coleoptera

Mauro

3

820

13/06/2023, 10:49

Mauro Vedi ultimo messaggio

Nessun messaggio da leggere
Molops ovipennis medius Chaudoir, 1868 - Carabidae
V.2023 - ITALIA - Liguria - SV
Allegato(i) Dettagli della specie
Molops ovipennis medius Chaudoir, 1868
Carabidae


V.2023 - ITALIA - Liguria - SV
Coleoptera

Giuseppe

2

583

12/06/2023, 18:43

Giuseppe Vedi ultimo messaggio

Nessun messaggio da leggere
Allegato(i)
Stenolophus (Egadroma) marginatus Dejean, 1829 - Carabidae Harpalinae
Carabidae


16.IV.2023 - ITALIA - Calabria - CS
Coleoptera

StagBeetle

0

691

12/06/2023, 18:12

StagBeetle Vedi ultimo messaggio

Nessun messaggio da leggere
Lebia cruxminor (Linnaeus, 1758) - Carabidae
7.VI.2023 - ITALIA - Lazio - RM
Allegato(i) Dettagli della specie
Lebia cruxminor (Linnaeus, 1758)
Carabidae


7.VI.2023 - ITALIA - Lazio - RM
Coleoptera

Endervale

4

797

11/06/2023, 19:39

StagBeetle Vedi ultimo messaggio

Nessun messaggio da leggere
Abacetus (Astigis) salzmanni (Germar, 1824) - Carabidae
19.IV.2023 - ITALIA - Sicilia - CT
Allegato(i) Dettagli della specie
Abacetus (Astigis) salzmanni (Germar, 1824)
Carabidae


19.IV.2023 - ITALIA - Sicilia - CT
Coleoptera

StagBeetle

0

819

11/06/2023, 18:12

StagBeetle Vedi ultimo messaggio

Nessun messaggio da leggere
Allegato(i) Dettagli della specie
Bembidion (Princidium) punctulatum punctulatum Drapiez, 1821
Carabidae


16.IV.2023 - ITALIA - Calabria - CS
Coleoptera

StagBeetle

0

670

11/06/2023, 18:12

StagBeetle Vedi ultimo messaggio

Nessun messaggio da leggere
Allegato(i)
Bembidion (Euperyphus) fluviatile acragas De Monte, 1956 (cf.) - Carabidae
Carabidae


20.IV.2023 - ITALIA - Sicilia - CT
Coleoptera

StagBeetle

0

686

10/06/2023, 18:12

StagBeetle Vedi ultimo messaggio

Nessun messaggio da leggere
Apristus europaeus Mateu, 1980 - Carabidae
20.IV.2023 - ITALIA - Sicilia - CT
Allegato(i)
Apristus europaeus Mateu, 1980 - Carabidae
Carabidae


20.IV.2023 - ITALIA - Sicilia - CT
Coleoptera

StagBeetle

0

717

10/06/2023, 18:12

StagBeetle Vedi ultimo messaggio

Nessun messaggio da leggere
Asaphidion rossii (Schaum, 1857) - Carabidae
18.IV.2023 - ITALIA - Sicilia - CT
Allegato(i)
Asaphidion rossii (Schaum, 1857) - Carabidae
Carabidae


18.IV.2023 - ITALIA - Sicilia - CT
Coleoptera

StagBeetle

0

652

09/06/2023, 18:12

StagBeetle Vedi ultimo messaggio

Nessun messaggio da leggere
Allegato(i)
Bradycellus (Bradycellus) distinctus (Dejean, 1829) (cf.) - Carabidae
Carabidae


18.IV.2023 - ITALIA - Sicilia - CT
Coleoptera

StagBeetle

0

738

09/06/2023, 18:12

StagBeetle Vedi ultimo messaggio

Nessun messaggio da leggere
Allegato(i) Dettagli della specie
Bembidion (Peryphus) tetracolum tetracolum Say, 1823
Carabidae


30.VI.2023 - ITALIA - Marche - MC
Coleoptera

Calathus

1

626

08/06/2023, 7:00

StagBeetle Vedi ultimo messaggio

Nessun messaggio da leggere
Allegato(i)
Panagaeus (Panagaeus) cruxmajor (Linnaeus, 1758) - Carabidae

3.VI.2023 - ITALIA - Lazio - RM
Coleoptera

Endervale

3

706

03/06/2023, 22:17

Endervale Vedi ultimo messaggio

Nessun messaggio da leggere
Paradromius linearis (Olivier, 1795) - Carabidae
29.V.2023 - ITALIA - Lazio - RM
Allegato(i)
Paradromius linearis (Olivier, 1795) - Carabidae

29.V.2023 - ITALIA - Lazio - RM
Coleoptera

soken

0

678

03/06/2023, 15:07

soken Vedi ultimo messaggio

Nessun messaggio da leggere
Allegato(i)
Carabus (Macrothorax) planatus Chaudoir, 1843 - Carabidae

ITALIA - Sicilia - PA
Coleoptera

Ivan

8

2194

01/06/2023, 18:51

Calathus Vedi ultimo messaggio

Nessun messaggio da leggere
Allegato(i)
Carabus (Euleptocarabus) porrecticollis Bates 1883 - Carabidae

22.XI.2003 - GIAPPONE - EE
Coleoptera

Batocerino

4

887

30/05/2023, 21:02

Batocerino Vedi ultimo messaggio

Nessun messaggio da leggere
Allegato(i) Dettagli della specie
Bembidion (Ocydromus) decorum decorum (Panzer, 1799)
Carabidae


20.IV.2023 - ITALIA - Sicilia - CT
Coleoptera

StagBeetle

2

547

30/05/2023, 19:27

StagBeetle Vedi ultimo messaggio

Nessun messaggio da leggere
Allegato(i)
Cicindela (Sophiodela) japonica Thunberg, 1781 - Carabidae Cicindelinae
Carabidae


28.VI.2010 - GIAPPONE - EE
Coleoptera

Honza

7

1533

30/05/2023, 19:26

gomphus Vedi ultimo messaggio

Nessun messaggio da leggere
Allegato(i)
Cicindela (Sophiodela) japonica Thunberg, 1781 - Carabidae Cicindelinae
Carabidae


10.VII.1998 - GIAPPONE - EE
Coleoptera

alexaandru

6

1455

30/05/2023, 11:47

Osamushi-san Vedi ultimo messaggio

Nessun messaggio da leggere
Clivina (Clivina) fossor (Linne, 1758) (cf.) - Carabidae
7.V.2023 - ITALIA - Marche - MC
Allegato(i)
Clivina (Clivina) fossor (Linne, 1758) (cf.) - Carabidae

7.V.2023 - ITALIA - Marche - MC
Coleoptera

StagBeetle

0

744

29/05/2023, 18:40

StagBeetle Vedi ultimo messaggio

Nessun messaggio da leggere
Allegato(i)
Ocydromus (Bembidionetolitzkya) concoeruleus (Netolitzky, 1943) (cf.) - Carabidae

21.IV.2023 - ITALIA - Sicilia - CT
Coleoptera

StagBeetle

0

710

29/05/2023, 18:40

StagBeetle Vedi ultimo messaggio

Nessun messaggio da leggere
Ditomus sphaerocephalus (A.G. Olivier, 1795) - Carabidae
21.IV.2023 - ITALIA - Sicilia - CT
Allegato(i) Dettagli della specie
Ditomus sphaerocephalus (A.G. Olivier, 1795)
Carabidae


21.IV.2023 - ITALIA - Sicilia - CT
Coleoptera

StagBeetle

3

796

29/05/2023, 12:13

Lucanus tetraodon Vedi ultimo messaggio

Nessun messaggio da leggere
Asaphidion rossii (Schaum, 1857) - Carabidae
21.IV.2023 - ITALIA - Sicilia - CT
Allegato(i)
Asaphidion rossii (Schaum, 1857) - Carabidae

21.IV.2023 - ITALIA - Sicilia - CT
Coleoptera

StagBeetle

0

831

28/05/2023, 18:40

StagBeetle Vedi ultimo messaggio

Nessun messaggio da leggere
Harpalus (Harpalus) cupreus cupreus Dejean, 1829 - Carabidae
20.IV.2023 - ITALIA - Sicilia - CT
Allegato(i) Dettagli della specie
Harpalus (Harpalus) cupreus cupreus Dejean, 1829
Carabidae


20.IV.2023 - ITALIA - Sicilia - CT
Coleoptera

StagBeetle

3

734

27/05/2023, 22:50

StagBeetle Vedi ultimo messaggio

Nessun messaggio da leggere
Allegato(i)
Cicindela (Cicindela) majalis Mandl, 1935 - Carabidae Cicindelinae

22.IV.2023 - ITALIA - Calabria - CS
Coleoptera

StagBeetle

0

924

27/05/2023, 18:40

StagBeetle Vedi ultimo messaggio

Nessun messaggio da leggere
Nebria (Oreonebria) castanea brunnea Duftschmid, 1812 - Carabidae
13.VII.2017 - ITALIA - Trentino-Alto Adige - BZ
Allegato(i) Dettagli della specie
Nebria (Oreonebria) castanea brunnea Duftschmid, 1812
Carabidae


13.VII.2017 - ITALIA - Trentino-Alto Adige - BZ
Coleoptera

StagBeetle

0

760

26/05/2023, 18:40

StagBeetle Vedi ultimo messaggio

Nessun messaggio da leggere
Elaphrus riparius (Linnaeus, 1758) - Carabidae
14.VII.2014 - POLONIA - EE
Allegato(i)
Elaphrus riparius (Linnaeus, 1758) - Carabidae

14.VII.2014 - POLONIA - EE
Coleoptera

StagBeetle

0

711

26/05/2023, 18:40

StagBeetle Vedi ultimo messaggio

Nessun messaggio da leggere
Allegato(i) Dettagli della specie
Poecilus (Poecilus) cupreus cupreus (Linnaeus, 1758)
Carabidae


16.IV.2023 - ITALIA - Calabria - CS
Coleoptera

StagBeetle

2

616

25/05/2023, 19:40

StagBeetle Vedi ultimo messaggio

Nessun messaggio da leggere
Chlaenius (Chlaenius) borgiae (Dejean, 1826) - Carabidae
19.IV.2023 - ITALIA - Sicilia - CT
Allegato(i) Dettagli della specie
Chlaenius (Chlaenius) borgiae (Dejean, 1826)
Carabidae


19.IV.2023 - ITALIA - Sicilia - CT
Coleoptera

StagBeetle

2

614

24/05/2023, 21:18

StagBeetle Vedi ultimo messaggio

Nessun messaggio da leggere
Lebia cruxminor (Linnaeus, 1758) - Carabidae
7.V.2023 - ITALIA - Marche - MC
Allegato(i) Dettagli della specie
Lebia cruxminor (Linnaeus, 1758)
Carabidae


7.V.2023 - ITALIA - Marche - MC
Coleoptera

StagBeetle

3

692

21/05/2023, 22:51

StagBeetle Vedi ultimo messaggio

Nessun messaggio da leggere
Tachyporus sp. - Staphylinidae Tachiporinae
1.V.2023 - ITALIA - Toscana - GR
Allegato(i)
Tachyporus sp. - Staphylinidae Tachiporinae

1.V.2023 - ITALIA - Toscana - GR
Coleoptera

Bantorp

3

682

20/05/2023, 23:02

Bantorp Vedi ultimo messaggio

Visualizza ultimi argomenti:  Ordina per  Ordine:  
nuovo argomento
Vai alla pagina Precedente  1 ... 4, 5, 6, 7, 8, 9, 10 ... 154  Prossimo
Pagina 7 di 154 [ 7698 argomenti ]

Tutti gli orari sono UTC + 1 ora [ ora legale ]


Chi c’è in linea

Visitano il forum: Nessuno e 11 ospiti


Legenda
Messaggi da leggere Messaggi da leggere Nessun messaggio da leggere Nessun messaggio da leggere Annuncio Annuncio
 
Specie indeterminata / discussione generica
Messaggi non letti [ Popolari ] Messaggi non letti [ Popolari ] Nessun messaggio da leggere [ Popolare ] Nessun messaggio da leggere [ Popolare ] Importante Importante
 
Specie determinata fino al genere o cf.
Messaggi non letti [ Bloccati ] Messaggi non letti [ Bloccati ] No messaggi non letti [ Bloccati ] No messaggi non letti [ Bloccati ] Argomento spostato Argomento spostato
 
Specie correttamente determinata
Permessi
Non puoi aprire nuovi argomenti
Non puoi rispondere negli argomenti
Non puoi modificare i tuoi messaggi
Non puoi cancellare i tuoi messaggi
Non puoi inviare allegati

Cerca per:
Vai a: