Benvenuto Ospite

Forum Entomologi Italiani

www.entomologiitaliani.net/forum
 
Oggi è 24/02/2026, 23:16

Tutti gli orari sono UTC + 1 ora [ ora legale ]


100%
2927 taxa correttamente determinati su 2928 presenti in archivio

Cerambycidae


[ AFROTROPICALE ] [ ANTARTICO ] [ AUSTRALASIANO ] [ NEARTICO ] [ NEOTROPICALE ] [ ORIENTALE ] [ PALEARTICO ]


nuovo argomento
Vai alla pagina Precedente  1 ... 20, 21, 22, 23, 24, 25, 26 ... 59  Prossimo
Pagina 23 di 59 [ 2928 argomenti ]
 Argomenti   Ordine   Autore   Risposte   Visite    Ultimo messaggio 
Annunci
Nessun messaggio da leggere
Allegato(i)
Incontri entomologici della Società Entomologica Italiana 2025-2026
 

Velvet Ant

0

28784

17/11/2025, 19:41

Velvet Ant Vedi ultimo messaggio

Nessun messaggio da leggere
Allegato(i)
Incontri entomologici telematici organizzati dalla Società Entomologica Italiana nel 2022 e nel 2023

[ Vai alla paginaVai alla pagina: 1, 2, 3 ]

 

Velvet Ant

44

1836016

03/03/2023, 15:55

Velvet Ant Vedi ultimo messaggio

Nessun messaggio da leggere  
Allegato(i)
Sondaggio sul declino dell'entomofauna in Italia

[ Vai alla paginaVai alla pagina: 1, 2, 3, 4 ]

 

Velvet Ant

52

2478877

22/10/2022, 19:18

Acquarius Vedi ultimo messaggio

Nessun messaggio da leggere  
Allegato(i)
Progetto: Bibliografia ragionata dei lavori entomologici nei quali sono citati reperti apparsi su FEI

[ Vai alla paginaVai alla pagina: 1, 2, 3 ]

 

Velvet Ant

33

1475091

06/07/2023, 18:31

Orotrechus Vedi ultimo messaggio

Nessun messaggio da leggere
Allegato(i)
Mimesi, il primo documentario cinematografico sull’entomologia in Italia: casting
 

mazzeip

1

1110230

28/02/2019, 20:26

mazzeip Vedi ultimo messaggio

Questo argomento è bloccato, non puoi modificare o inviare ulteriori messaggi.
Allegato(i)
ISTRUZIONI PUBBLICAZIONE NUOVI ARGOMENTI E FOTO

 
Altri Ordini di Insetti

Julodis

4

2917189

13/05/2015, 19:37

Julodis Vedi ultimo messaggio

Nessun messaggio da leggere
Allegato(i)
Limitatore giornaliero di messaggi, uno strumento utile e ormai indispensabile

[ Vai alla paginaVai alla pagina: 1 ... 14, 15, 16 ]

 

Velvet Ant

233

13046936

25/09/2014, 14:31

Inachis Vedi ultimo messaggio

Nessun messaggio da leggere  
NORME PER I COLLABORATORI DEL FORUM

 
 

Velvet Ant

0

649931

02/06/2011, 12:05

Velvet Ant Vedi ultimo messaggio

Nessun messaggio da leggere
Allegato(i)
NORME PER GLI UTENTI DEL FORUM

[ Vai alla paginaVai alla pagina: 1, 2, 3 ]



 
 

Velvet Ant

30

3590197

23/09/2014, 23:54

Maurizio Bollino Vedi ultimo messaggio

Questo argomento è bloccato, non puoi modificare o inviare ulteriori messaggi.  
Elenco delle specie italiane di Cerambycidae presenti sul forum
Cerambycidae


 
Coleoptera

Plagionotus

0

6280

22/11/2010, 22:28

Plagionotus Vedi ultimo messaggio

Nessun messaggio da leggere  
Lista degli utenti del "Forum entomologi italiani" per campi di interesse e specializzazione

 
Altri Ordini di Insetti

Velvet Ant

13

1061571

07/09/2023, 17:14

Roberto-07 Vedi ultimo messaggio

Argomenti
Nessun messaggio da leggere
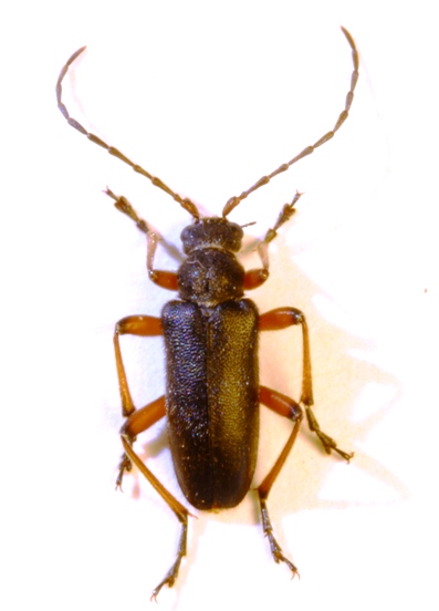
Xylotrechus (Xylotrechus) stebbingi Gahan, 1906 - Cerambycidae
10.VII.2014 - ITALIA - Lombardia - BS
Allegato(i) Dettagli della specie
Xylotrechus (Xylotrechus) stebbingi Gahan, 1906
Cerambycidae


10.VII.2014 - ITALIA - Lombardia - BS
Coleoptera

cesare

10

2172

14/07/2014, 19:57

cesare Vedi ultimo messaggio

Nessun messaggio da leggere
Chlorophorus sartor (O. F. Müller, 1766) - Cerambycidae
13.VII.2014 - ITALIA - Emilia-Romagna - PC
Allegato(i) Dettagli della specie
Chlorophorus sartor (O. F. Müller, 1766)
Cerambycidae


13.VII.2014 - ITALIA - Emilia-Romagna - PC
Coleoptera

betelges

3

1241

13/07/2014, 22:26

Lucanus tetraodon Vedi ultimo messaggio

Nessun messaggio da leggere
Phymatodes testaceus (Linnaeus, 1758) - Cerambycidae
1.VI.2014 - ITALIA - Sicilia - CT
Allegato(i) Dettagli della specie
Phymatodes testaceus (Linnaeus, 1758)
Cerambycidae


1.VI.2014 - ITALIA - Sicilia - CT
Coleoptera

carabus

8

1997

13/07/2014, 18:53

hypotyphlus Vedi ultimo messaggio

Nessun messaggio da leggere
Aegosoma scabricorne (Scopoli, 1763) - Cerambycidae
8.VII.2014 - ITALIA - Veneto - VE
Allegato(i) Dettagli della specie
Aegosoma scabricorne (Scopoli, 1763)
Cerambycidae


8.VII.2014 - ITALIA - Veneto - VE
Coleoptera

Jacopo

7

2277

12/07/2014, 13:06

Plagionotus Vedi ultimo messaggio

Nessun messaggio da leggere
Saperda punctata (Linnaeus, 1767) - Cerambycidae
9.V.2008 - ITALIA - Abruzzo - PE
Allegato(i) Dettagli della specie
Saperda punctata (Linnaeus, 1767)
Cerambycidae


9.V.2008 - ITALIA - Abruzzo - PE
Coleoptera

Alessio89

11

2619

12/07/2014, 8:12

marco paglialunga Vedi ultimo messaggio

Nessun messaggio da leggere
Saperda punctata (Linnaeus, 1767) - Cerambycidae
11.VII.2014 - ITALIA - Lombardia - CR
Allegato(i) Dettagli della specie
Saperda punctata (Linnaeus, 1767)
Cerambycidae


11.VII.2014 - ITALIA - Lombardia - CR
Coleoptera

betelges

2

1137

11/07/2014, 23:43

AleP Vedi ultimo messaggio

Nessun messaggio da leggere
Allegato(i) Dettagli della specie
Purpuricenus (Purpuricenus) kaehleri kaehleri (Linnaeus, 1758)
Cerambycidae


11.VII.2014 - ITALIA - Campania - SA
Coleoptera

Enzo.C

4

1422

11/07/2014, 23:18

Enzo.C Vedi ultimo messaggio

Nessun messaggio da leggere
Aegomorphus clavipes (Schrank, 1781) - Cerambycidae
4.I.2014 - ITALIA - Toscana - LI
Allegato(i) Dettagli della specie
Aegomorphus clavipes (Schrank, 1781)
Cerambycidae


4.I.2014 - ITALIA - Toscana - LI
Coleoptera

FORBIX

9

2197

10/07/2014, 16:32

FORBIX Vedi ultimo messaggio

Nessun messaggio da leggere
Cerambyx scopolii siculus Rapuzzi & Sama, 2010 - Cerambycidae
6.VII.2014 - ITALIA - Sicilia - ME
Allegato(i) Dettagli della specie
Cerambyx scopolii siculus Rapuzzi & Sama, 2010
Cerambycidae


6.VII.2014 - ITALIA - Sicilia - ME
Coleoptera

carabus

4

2224

09/07/2014, 20:27

Tc70 Vedi ultimo messaggio

Nessun messaggio da leggere
Allegato(i) Dettagli della specie
Rosalia (Rosalia) alpina alpina (Linnaeus, 1758)
Cerambycidae


6.VII.2014 - ITALIA - Sicilia - ME
Coleoptera

carabus

4

1759

09/07/2014, 15:53

Lucanus tetraodon Vedi ultimo messaggio

Nessun messaggio da leggere
Chlorophorus sartor (O. F. Müller, 1766) - Cerambycidae
5.VII.2014 - ITALIA - Veneto - PD
Allegato(i) Dettagli della specie
Chlorophorus sartor (O. F. Müller, 1766)
Cerambycidae


5.VII.2014 - ITALIA - Veneto - PD
Coleoptera

Umbro

2

1030

08/07/2014, 13:54

Umbro Vedi ultimo messaggio

Nessun messaggio da leggere
Cerambyx welensii (Küster, 1845) - Cerambycidae
5.VII.2014 - ITALIA - Toscana - GR
Allegato(i) Dettagli della specie
Cerambyx welensii (Küster, 1845)
Cerambycidae


5.VII.2014 - ITALIA - Toscana - GR
Coleoptera

skip

7

1998

07/07/2014, 11:35

skip Vedi ultimo messaggio

Nessun messaggio da leggere
Chlorophorus varius varius (O. F. Müller, 1766) - Cerambycidae
2.VII.2014 - ITALIA - Lombardia - CR
Allegato(i) Dettagli della specie
Chlorophorus varius varius (O. F. Müller, 1766)
Cerambycidae


2.VII.2014 - ITALIA - Lombardia - CR
Coleoptera

betelges

4

1256

06/07/2014, 9:22

f.izzillo Vedi ultimo messaggio

Nessun messaggio da leggere
Cerambyx welensii (Küster, 1845) - Cerambycidae
2.VII.2014 - ITALIA - Sicilia - PA
Allegato(i) Dettagli della specie
Cerambyx welensii (Küster, 1845)
Cerambycidae


2.VII.2014 - ITALIA - Sicilia - PA
Coleoptera

carabus

6

1781

05/07/2014, 16:05

Lucanus tetraodon Vedi ultimo messaggio

Nessun messaggio da leggere
Musaria tirellii (Luigioni, 1913) - Cerambycidae
4.VII.2014 - ITALIA - Abruzzo - AQ
Allegato(i) Dettagli della specie
Musaria tirellii (Luigioni, 1913)
Cerambycidae


4.VII.2014 - ITALIA - Abruzzo - AQ
Coleoptera

Julodis

3

1423

05/07/2014, 13:55

AleP Vedi ultimo messaggio

Nessun messaggio da leggere
Saperda punctata (Linnaeus, 1767) - Cerambycidae
22.VI.2014 - ITALIA - Emilia-Romagna - BO
Allegato(i) Dettagli della specie
Saperda punctata (Linnaeus, 1767)
Cerambycidae


22.VI.2014 - ITALIA - Emilia-Romagna - BO
Coleoptera

Salvatore Caiazzo

2

1018

03/07/2014, 1:04

Salvatore Caiazzo Vedi ultimo messaggio

Nessun messaggio da leggere
Cerambyx cerdo cerdo Linnaeus, 1758 - Cerambycidae
1.VII.2014 - ITALIA - Campania - SA
Allegato(i) Dettagli della specie
Cerambyx cerdo cerdo Linnaeus, 1758
Cerambycidae


1.VII.2014 - ITALIA - Campania - SA
Coleoptera

Enzo.C

5

1407

02/07/2014, 13:21

Enzo.C Vedi ultimo messaggio

Nessun messaggio da leggere
Niphona picticornis Mulsant, 1839 - Cerambycidae
25.VI.2014 - ITALIA - Sicilia - PA
Allegato(i) Dettagli della specie
Niphona picticornis Mulsant, 1839
Cerambycidae


25.VI.2014 - ITALIA - Sicilia - PA
Coleoptera

Sakazaky

9

1901

01/07/2014, 21:14

AleP Vedi ultimo messaggio

Nessun messaggio da leggere
Cerambyx scopolii scopolii Fuessly, 1775 - Cerambycidae
20.VI.2014 - ITALIA - Toscana - FI
Allegato(i) Dettagli della specie
Cerambyx scopolii scopolii Fuessly, 1775
Cerambycidae


20.VI.2014 - ITALIA - Toscana - FI
Coleoptera

skip

2

978

30/06/2014, 23:12

skip Vedi ultimo messaggio

Nessun messaggio da leggere
Deroplia troberti troberti (Mulsant, 1843) - Cerambycidae
10.VI.2014 - ITALIA - Sardegna - OT
Allegato(i) Dettagli della specie
Deroplia troberti troberti (Mulsant, 1843)
Cerambycidae


10.VI.2014 - ITALIA - Sardegna - OT
Coleoptera

Fumea crassiorella

5

1465

30/06/2014, 8:17

Entomarci Vedi ultimo messaggio

Nessun messaggio da leggere
Allegato(i) Dettagli della specie
Oberea (Amaurostoma) erythrocephala erythrocephala (Schrank, 1776)
Cerambycidae


28.V.2014 - ITALIA - Lombardia - CR
Coleoptera

betelges

10

2934

27/06/2014, 14:51

betelges Vedi ultimo messaggio

Nessun messaggio da leggere
Penichroa fasciata (Stephens, 1831) - Cerambycidae
23.VI.2014 - ITALIA - Sicilia - TP
Allegato(i) Dettagli della specie
Penichroa fasciata (Stephens, 1831)
Cerambycidae


23.VI.2014 - ITALIA - Sicilia - TP
Coleoptera

Davide Castelli

6

2296

24/06/2014, 14:52

Julodis Vedi ultimo messaggio

Nessun messaggio da leggere
Stictoleptura scutellata melas (Lucas, 1849) - Cerambycidae
21.VI.2014 - ITALIA - Sicilia - PA
Allegato(i) Dettagli della specie
Stictoleptura scutellata melas (Lucas, 1849)
Cerambycidae


21.VI.2014 - ITALIA - Sicilia - PA
Coleoptera

carabus

2

1541

22/06/2014, 21:16

Daniele Maccapani Vedi ultimo messaggio

Nessun messaggio da leggere
Morimus asper asper (Sulzer, 1776) - Cerambycidae
21.VI.2014 - ITALIA - Emilia-Romagna - PR
Allegato(i) Dettagli della specie
Morimus asper asper (Sulzer, 1776)
Cerambycidae


21.VI.2014 - ITALIA - Emilia-Romagna - PR
Coleoptera

chiara92

2

891

22/06/2014, 0:48

chiara92 Vedi ultimo messaggio

Nessun messaggio da leggere
Allegato(i) Dettagli della specie
Agapanthia (Epoptes) sicula sicula Ganglbauer, 1884
Cerambycidae


19.VI.2014 - ITALIA - Sicilia - PA
Coleoptera

carabus

3

1148

19/06/2014, 19:59

Plagionotus Vedi ultimo messaggio

Nessun messaggio da leggere
Anaglyptus gibbosus (Fabricius, 1787) - Cerambycidae
11.VI.2014 - ITALIA - Molise - IS
Allegato(i) Dettagli della specie
Anaglyptus gibbosus (Fabricius, 1787)
Cerambycidae


11.VI.2014 - ITALIA - Molise - IS
Coleoptera

Franco ROSSI

6

1950

16/06/2014, 8:58

Franco ROSSI Vedi ultimo messaggio

Nessun messaggio da leggere
Phymatodes testaceus (Linnaeus, 1758) - Cerambycidae
1.VI.2014 - ITALIA - Molise - IS
Allegato(i) Dettagli della specie
Phymatodes testaceus (Linnaeus, 1758)
Cerambycidae


1.VI.2014 - ITALIA - Molise - IS
Coleoptera

Franco ROSSI

6

1536

13/06/2014, 18:32

Daniele Maccapani Vedi ultimo messaggio

Nessun messaggio da leggere
Phymatodes testaceus (Linnaeus, 1758) - Cerambycidae
1.VI.2014 - ITALIA - Molise - IS
Allegato(i) Dettagli della specie
Phymatodes testaceus (Linnaeus, 1758)
Cerambycidae


1.VI.2014 - ITALIA - Molise - IS
Coleoptera

Franco ROSSI

2

1071

13/06/2014, 13:42

Franco ROSSI Vedi ultimo messaggio

Nessun messaggio da leggere
Psacothea hilaris (Pascoe, 1858) - Cerambycidae
6.X.2010 - ITALIA - Lombardia - CO
Allegato(i) Dettagli della specie
Psacothea hilaris (Pascoe, 1858)
Cerambycidae

[ Vai alla paginaVai alla pagina: 1, 2, 3 ]



6.X.2010 - ITALIA - Lombardia - CO
Coleoptera

Xylotrechus

39

7585

11/06/2014, 20:55

Julodis Vedi ultimo messaggio

Nessun messaggio da leggere
Stenopterus ater (Linnaeus, 1767) - Cerambycidae
2.VI.2014 - ITALIA - Sicilia - CT
Allegato(i) Dettagli della specie
Stenopterus ater (Linnaeus, 1767)
Cerambycidae


2.VI.2014 - ITALIA - Sicilia - CT
Coleoptera

Lucanus tetraodon

0

892

08/06/2014, 10:29

Lucanus tetraodon Vedi ultimo messaggio

Nessun messaggio da leggere
Phytoecia virgula (Charpentier, 1825) - Cerambycidae
2.VI.2014 - ITALIA - Lombardia - BG
Allegato(i) Dettagli della specie
Phytoecia virgula (Charpentier, 1825)
Cerambycidae


2.VI.2014 - ITALIA - Lombardia - BG
Coleoptera

betelges

2

925

07/06/2014, 17:41

betelges Vedi ultimo messaggio

Nessun messaggio da leggere
Allegato(i) Dettagli della specie
Stenurella bifasciata bifasciata (O. F. Müller, 1776)
Cerambycidae


4.VI.2014 - ITALIA - Lazio - RM
Coleoptera

venturini

4

1513

05/06/2014, 19:19

Julodis Vedi ultimo messaggio

Nessun messaggio da leggere
Oplosia cinerea Mulsant, 1839 - Cerambycidae
24.V.2014 - ITALIA - Lombardia - BG
Allegato(i) Dettagli della specie
Oplosia cinerea Mulsant, 1839
Cerambycidae


24.V.2014 - ITALIA - Lombardia - BG
Coleoptera

aug

5

2036

01/06/2014, 20:46

Entomarci Vedi ultimo messaggio

Nessun messaggio da leggere
Allegato(i) Dettagli della specie
Stictoleptura cordigera cordigera (Fuessly, 1775)
Cerambycidae


1.VI.2014 - ITALIA - Sicilia - TP
Coleoptera

angelo.ditta

2

1498

01/06/2014, 17:58

angelo.ditta Vedi ultimo messaggio

Nessun messaggio da leggere
Mesosa nebulosa nebulosa (Fabricius, 1781) - Cerambycidae
27.V.2014 - ITALIA - Liguria - GE
Allegato(i) Dettagli della specie
Mesosa nebulosa nebulosa (Fabricius, 1781)
Cerambycidae


27.V.2014 - ITALIA - Liguria - GE
Coleoptera

venturini

2

1415

01/06/2014, 15:32

venturini Vedi ultimo messaggio

Nessun messaggio da leggere
Herophila tristis tristis (Linnaeus, 1767) - Cerambycidae
29.V.2014 - ITALIA - Toscana - PI
Allegato(i) Dettagli della specie
Herophila tristis tristis (Linnaeus, 1767)
Cerambycidae


29.V.2014 - ITALIA - Toscana - PI
Coleoptera

Ayakuccia

3

1391

01/06/2014, 9:49

Ayakuccia Vedi ultimo messaggio

Nessun messaggio da leggere
Pseudovadonia livida livida (Fabricius, 1777) - Cerambycidae
31.V.2014 - ITALIA - Toscana - AR
Allegato(i) Dettagli della specie
Pseudovadonia livida livida (Fabricius, 1777)
Cerambycidae


31.V.2014 - ITALIA - Toscana - AR
Coleoptera

stefano3

2

1257

31/05/2014, 15:30

stefano3 Vedi ultimo messaggio

Nessun messaggio da leggere
Arhopalus syriacus (Reitter, 1895) - Cerambycidae
VII.2005 - ITALIA - Lazio - RM
Allegato(i) Dettagli della specie
Arhopalus syriacus (Reitter, 1895)
Cerambycidae


VII.2005 - ITALIA - Lazio - RM
Coleoptera

aesalus37

2

1187

30/05/2014, 6:44

aesalus37 Vedi ultimo messaggio

Nessun messaggio da leggere
Stenostola ferrea (Schrank, 1776) - Cerambycidae
IV.2013 - ITALIA - Veneto - VR
Allegato(i) Dettagli della specie
Stenostola ferrea (Schrank, 1776)
Cerambycidae


IV.2013 - ITALIA - Veneto - VR
Coleoptera

AleP

4

1592

29/05/2014, 20:19

AleP Vedi ultimo messaggio

Nessun messaggio da leggere
Allegato(i) Dettagli della specie
Agapanthia (Agapanthia) maculicornis davidi Sláma, 1986
Cerambycidae


23.V.2014 - ITALIA - Campania - SA
Coleoptera

Enzo.C

4

2037

28/05/2014, 16:15

Enzo.C Vedi ultimo messaggio

Nessun messaggio da leggere
Saperda octopunctata (Scopoli, 1772) - Cerambycidae
25.V.2014 - ITALIA - Veneto - VR
Allegato(i) Dettagli della specie
Saperda octopunctata (Scopoli, 1772)
Cerambycidae

[ Vai alla paginaVai alla pagina: 1, 2, 3, 4 ]



25.V.2014 - ITALIA - Veneto - VR
Coleoptera

AleP

45

8619

28/05/2014, 8:27

AleP Vedi ultimo messaggio

Nessun messaggio da leggere
Aegosoma scabricorne (Scopoli, 1763) - Cerambycidae
26.V.2014 - ITALIA - Sardegna - VS
Allegato(i) Dettagli della specie
Aegosoma scabricorne (Scopoli, 1763)
Cerambycidae


26.V.2014 - ITALIA - Sardegna - VS
Coleoptera

Federico A.

7

2852

27/05/2014, 22:48

Federico A. Vedi ultimo messaggio

Nessun messaggio da leggere
Allegato(i) Dettagli della specie
Anoplodera (Anoplodera) rufipes izzilloi Sama, 1999
Cerambycidae


27.V.2014 - ITALIA - Basilicata - MT
Coleoptera

f.izzillo

8

2605

27/05/2014, 21:18

AleP Vedi ultimo messaggio

Nessun messaggio da leggere
Pseudovadonia livida livida (Fabricius, 1777) - Cerambycidae
24.V.2014 - ITALIA - Liguria - SV
Allegato(i) Dettagli della specie
Pseudovadonia livida livida (Fabricius, 1777)
Cerambycidae


24.V.2014 - ITALIA - Liguria - SV
Coleoptera

fabio.aste

9

2084

27/05/2014, 16:28

fabio.aste Vedi ultimo messaggio

Nessun messaggio da leggere
Clytus arietis arietis (Linnaeus, 1758) - Cerambycidae
23.V.2014 - ITALIA - Campania - SA
Allegato(i) Dettagli della specie
Clytus arietis arietis (Linnaeus, 1758)
Cerambycidae


23.V.2014 - ITALIA - Campania - SA
Coleoptera

Enzo.C

3

1201

25/05/2014, 23:17

Enzo.C Vedi ultimo messaggio

Nessun messaggio da leggere
Clytus rhamni Germar, 1817 - Cerambycidae
23.V.2014 - ITALIA - Campania - SA
Allegato(i) Dettagli della specie
Clytus rhamni Germar, 1817
Cerambycidae


23.V.2014 - ITALIA - Campania - SA
Coleoptera

Enzo.C

4

1319

25/05/2014, 23:10

AleP Vedi ultimo messaggio

Nessun messaggio da leggere
Aegosoma scabricorne (Scopoli, 1763) - Cerambycidae
5.IV.2014 - ITALIA - Umbria - PG
Allegato(i) Dettagli della specie
Aegosoma scabricorne (Scopoli, 1763)
Cerambycidae


5.IV.2014 - ITALIA - Umbria - PG
Coleoptera

StagBeetle

13

3607

25/05/2014, 15:56

StagBeetle Vedi ultimo messaggio

Nessun messaggio da leggere
Plagionotus arcuatus (Linnaeus, 1758) - Cerambycidae
17.V.2014 - ITALIA - Emilia-Romagna - FE
Allegato(i) Dettagli della specie
Plagionotus arcuatus (Linnaeus, 1758)
Cerambycidae


17.V.2014 - ITALIA - Emilia-Romagna - FE
Coleoptera

Daniele Maccapani

13

4658

24/05/2014, 23:41

Carlo A. Vedi ultimo messaggio

Nessun messaggio da leggere
Stenurella nigra (Linnaeus, 1758) - Cerambycidae
23.V.2014 - ITALIA - Liguria - SV
Allegato(i) Dettagli della specie
Stenurella nigra (Linnaeus, 1758)
Cerambycidae


23.V.2014 - ITALIA - Liguria - SV
Coleoptera

fabio.aste

4

1349

24/05/2014, 21:41

fabio.aste Vedi ultimo messaggio

Nessun messaggio da leggere
Cortodera holosericea (Fabricius, 1801) - Cerambycidae
V.2014 - ITALIA - Friuli-Venezia Giulia - TS
Allegato(i) Dettagli della specie
Cortodera holosericea (Fabricius, 1801)
Cerambycidae


V.2014 - ITALIA - Friuli-Venezia Giulia - TS
Coleoptera

AleP

6

1724

23/05/2014, 22:38

Pippistrello Vedi ultimo messaggio

Visualizza ultimi argomenti:  Ordina per  Ordine:  
nuovo argomento
Vai alla pagina Precedente  1 ... 20, 21, 22, 23, 24, 25, 26 ... 59  Prossimo
Pagina 23 di 59 [ 2928 argomenti ]

Tutti gli orari sono UTC + 1 ora [ ora legale ]


Chi c’è in linea

Visitano il forum: cromagnon61 e 2 ospiti


Legenda
Messaggi da leggere Messaggi da leggere Nessun messaggio da leggere Nessun messaggio da leggere Annuncio Annuncio
 
Specie indeterminata / discussione generica
Messaggi non letti [ Popolari ] Messaggi non letti [ Popolari ] Nessun messaggio da leggere [ Popolare ] Nessun messaggio da leggere [ Popolare ] Importante Importante
 
Specie determinata fino al genere o cf.
Messaggi non letti [ Bloccati ] Messaggi non letti [ Bloccati ] No messaggi non letti [ Bloccati ] No messaggi non letti [ Bloccati ] Argomento spostato Argomento spostato
 
Specie correttamente determinata
Permessi
Non puoi aprire nuovi argomenti
Non puoi rispondere negli argomenti
Non puoi modificare i tuoi messaggi
Non puoi cancellare i tuoi messaggi
Non puoi inviare allegati

Cerca per:
Vai a: