Benvenuto Ospite

Forum Entomologi Italiani

www.entomologiitaliani.net/forum
 
Oggi è 25/02/2026, 5:06

Tutti gli orari sono UTC + 1 ora [ ora legale ]


92% 
2927 taxa correttamente determinati su 3181 presenti in archivio

Cerambycidae


[ AFROTROPICALE ] [ ANTARTICO ] [ AUSTRALASIANO ] [ NEARTICO ] [ NEOTROPICALE ] [ ORIENTALE ] [ PALEARTICO ]


nuovo argomento
Vai alla pagina Precedente  1 ... 33, 34, 35, 36, 37, 38, 39 ... 103  Prossimo
Pagina 36 di 103 [ 5107 argomenti ]
 Argomenti   Ordine   Autore   Risposte   Visite    Ultimo messaggio 
Annunci
Nessun messaggio da leggere
Allegato(i)
Incontri entomologici della Società Entomologica Italiana 2025-2026
 

Velvet Ant

0

28809

17/11/2025, 19:41

Velvet Ant Vedi ultimo messaggio

Nessun messaggio da leggere
Allegato(i)
Incontri entomologici telematici organizzati dalla Società Entomologica Italiana nel 2022 e nel 2023

[ Vai alla paginaVai alla pagina: 1, 2, 3 ]

 

Velvet Ant

44

1836247

03/03/2023, 15:55

Velvet Ant Vedi ultimo messaggio

Nessun messaggio da leggere  
Allegato(i)
Sondaggio sul declino dell'entomofauna in Italia

[ Vai alla paginaVai alla pagina: 1, 2, 3, 4 ]

 

Velvet Ant

52

2479261

22/10/2022, 19:18

Acquarius Vedi ultimo messaggio

Nessun messaggio da leggere  
Allegato(i)
Progetto: Bibliografia ragionata dei lavori entomologici nei quali sono citati reperti apparsi su FEI

[ Vai alla paginaVai alla pagina: 1, 2, 3 ]

 

Velvet Ant

33

1475356

06/07/2023, 18:31

Orotrechus Vedi ultimo messaggio

Nessun messaggio da leggere
Allegato(i)
Mimesi, il primo documentario cinematografico sull’entomologia in Italia: casting
 

mazzeip

1

1110282

28/02/2019, 20:26

mazzeip Vedi ultimo messaggio

Questo argomento è bloccato, non puoi modificare o inviare ulteriori messaggi.
Allegato(i)
ISTRUZIONI PUBBLICAZIONE NUOVI ARGOMENTI E FOTO

 
Altri Ordini di Insetti

Julodis

4

2917258

13/05/2015, 19:37

Julodis Vedi ultimo messaggio

Nessun messaggio da leggere
Allegato(i)
Limitatore giornaliero di messaggi, uno strumento utile e ormai indispensabile

[ Vai alla paginaVai alla pagina: 1 ... 14, 15, 16 ]

 

Velvet Ant

233

13048446

25/09/2014, 14:31

Inachis Vedi ultimo messaggio

Nessun messaggio da leggere  
NORME PER I COLLABORATORI DEL FORUM

 
 

Velvet Ant

0

649966

02/06/2011, 12:05

Velvet Ant Vedi ultimo messaggio

Nessun messaggio da leggere
Allegato(i)
NORME PER GLI UTENTI DEL FORUM

[ Vai alla paginaVai alla pagina: 1, 2, 3 ]



 
 

Velvet Ant

30

3590405

23/09/2014, 23:54

Maurizio Bollino Vedi ultimo messaggio

Questo argomento è bloccato, non puoi modificare o inviare ulteriori messaggi.  
Elenco delle specie italiane di Cerambycidae presenti sul forum
Cerambycidae


 
Coleoptera

Plagionotus

0

6280

22/11/2010, 22:28

Plagionotus Vedi ultimo messaggio

Nessun messaggio da leggere  
Lista degli utenti del "Forum entomologi italiani" per campi di interesse e specializzazione

 
Altri Ordini di Insetti

Velvet Ant

13

1061679

07/09/2023, 17:14

Roberto-07 Vedi ultimo messaggio

Argomenti
Nessun messaggio da leggere
Phymatodes testaceus (Linnaeus, 1758) - Cerambycidae
25.VI.1996 - ITALIA - Toscana - PO
Allegato(i) Dettagli della specie
Phymatodes testaceus (Linnaeus, 1758)
Cerambycidae


25.VI.1996 - ITALIA - Toscana - PO
Coleoptera

Andream

2

1266

06/12/2014, 15:10

Andream Vedi ultimo messaggio

Nessun messaggio da leggere
Phymatodes testaceus (Linnaeus, 1758) - Cerambycidae
22.VI.1997 - ITALIA - Toscana - PO
Allegato(i) Dettagli della specie
Phymatodes testaceus (Linnaeus, 1758)
Cerambycidae


22.VI.1997 - ITALIA - Toscana - PO
Coleoptera

Andream

2

1466

06/12/2014, 15:09

Andream Vedi ultimo messaggio

Nessun messaggio da leggere
Agapanthia (Epoptes) cynarae (Germar, 1817) - Cerambycidae
23.VI.2013 - ITALIA - Calabria - CS
Allegato(i) Dettagli della specie
Agapanthia (Epoptes) cynarae (Germar, 1817)
Cerambycidae


23.VI.2013 - ITALIA - Calabria - CS
Coleoptera

Valerio

7

3937

06/12/2014, 13:34

Valerio Vedi ultimo messaggio

Nessun messaggio da leggere
Agapanthia (Epoptes) cynarae (Germar, 1817) - Cerambycidae
30.VI.2010 - ITALIA - Calabria - CS
Allegato(i) Dettagli della specie
Agapanthia (Epoptes) cynarae (Germar, 1817)
Cerambycidae


30.VI.2010 - ITALIA - Calabria - CS
Coleoptera

Valerio

1

1948

06/12/2014, 12:45

alebisca Vedi ultimo messaggio

Nessun messaggio da leggere
Phymatodes testaceus (Linnaeus, 1758) - Cerambycidae
25.VI.1994 - ITALIA - Toscana - PO
Allegato(i) Dettagli della specie
Phymatodes testaceus (Linnaeus, 1758)
Cerambycidae


25.VI.1994 - ITALIA - Toscana - PO
Coleoptera

Andream

2

1385

05/12/2014, 13:48

Andream Vedi ultimo messaggio

Nessun messaggio da leggere
Phymatodes testaceus (Linnaeus, 1758) - Cerambycidae
22.VI.1999 - ITALIA - Toscana - PO
Allegato(i) Dettagli della specie
Phymatodes testaceus (Linnaeus, 1758)
Cerambycidae


22.VI.1999 - ITALIA - Toscana - PO
Coleoptera

Andream

3

1526

05/12/2014, 13:48

Andream Vedi ultimo messaggio

Nessun messaggio da leggere
Monochamus saltuarius (Gebler, 1830) - Cerambycidae
21.X.2012 - REPUBBLICA CECA - EE
Allegato(i) Dettagli della specie
Monochamus saltuarius (Gebler, 1830)
Cerambycidae


21.X.2012 - REPUBBLICA CECA - EE
Coleoptera

PierrickB

5

2324

05/12/2014, 11:35

PierrickB Vedi ultimo messaggio

Nessun messaggio da leggere
Dorcadion (Pedestredorcadion) sulcipenne ssp.
1.V.2014 - GEORGIA - EE
Allegato(i)
Dorcadion (Pedestredorcadion) sulcipenne ssp.
Cerambycidae

[ Vai alla paginaVai alla pagina: 1, 2 ]



1.V.2014 - GEORGIA - EE
Coleoptera

Uncle Adam

27

7021

05/12/2014, 1:56

Uncle Adam Vedi ultimo messaggio

Nessun messaggio da leggere
Allegato(i)
Prinobius myardi slamorum Danilevsky, 2012 - Cerambycidae

7.VII.2013 - GRECIA - EE
Coleoptera

Uncle Adam

8

2713

05/12/2014, 0:57

Uncle Adam Vedi ultimo messaggio

Nessun messaggio da leggere  
Dettagli della specie
Monochamus sutor sutor (Linnaeus, 1758)
Cerambycidae


17.VII.2007 - POLONIA - EE
Coleoptera

PierrickB

3

1279

04/12/2014, 20:04

Plagionotus Vedi ultimo messaggio

Nessun messaggio da leggere
Allegato(i) Dettagli della specie
Dorcadion (Pedestredorcadion) arenarium marsicanum Fracassi, 1905
Cerambycidae


30.IV.2010 - ITALIA - Abruzzo - AQ
Coleoptera

Valerio

2

1118

04/12/2014, 12:06

Valerio Vedi ultimo messaggio

Nessun messaggio da leggere
Allegato(i) Dettagli della specie
Dorcadion (Pedestredorcadion) etruscum (Rossi, 1790)
Cerambycidae


1.VII.2010 - ITALIA - Calabria - CS
Coleoptera

Valerio

1

975

04/12/2014, 8:18

michele.carraretto Vedi ultimo messaggio

Nessun messaggio da leggere
Trichoferus holosericeus (Rossi, 1790) - Cerambycidae
12.VIII.2012 - ITALIA - Lazio - RM
Allegato(i) Dettagli della specie
Trichoferus holosericeus (Rossi, 1790)
Cerambycidae


12.VIII.2012 - ITALIA - Lazio - RM
Coleoptera

Valerio

8

1768

03/12/2014, 11:24

Valerio Vedi ultimo messaggio

Nessun messaggio da leggere
Allegato(i) Dettagli della specie
Stenopterus ater (Linnaeus, 1767)
Cerambycidae


30.VI.2012 - SPAGNA - EE
Coleoptera

Valerio

4

1433

02/12/2014, 19:47

Valerio Vedi ultimo messaggio

Nessun messaggio da leggere
Saperda punctata (Linnaeus, 1767) - Cerambycidae
21.VII.2001 - ITALIA - Emilia-Romagna - BO
Allegato(i) Dettagli della specie
Saperda punctata (Linnaeus, 1767)
Cerambycidae


21.VII.2001 - ITALIA - Emilia-Romagna - BO
Coleoptera

Andream

2

978

02/12/2014, 12:51

Andream Vedi ultimo messaggio

Nessun messaggio da leggere
Saperda carcharias (Linnaeus, 1758) - Cerambycidae
19.VII.1995 - ITALIA - Toscana - PO
Allegato(i) Dettagli della specie
Saperda carcharias (Linnaeus, 1758)
Cerambycidae


19.VII.1995 - ITALIA - Toscana - PO
Coleoptera

Andream

2

1056

02/12/2014, 12:50

Andream Vedi ultimo messaggio

Nessun messaggio da leggere
Allegato(i) Dettagli della specie
Trichoferus fasciculatus fasciculatus (Faldermann, 1837)
Cerambycidae


26.VII.2012 - ITALIA - Abruzzo - AQ
Coleoptera

Valerio

1

1335

01/12/2014, 22:01

michele.carraretto Vedi ultimo messaggio

Nessun messaggio da leggere
Aegomorphus clavipes (Schrank, 1781) - Cerambycidae
20.VII.1996 - ITALIA - Toscana - PO
Allegato(i) Dettagli della specie
Aegomorphus clavipes (Schrank, 1781)
Cerambycidae

[ Vai alla paginaVai alla pagina: 1, 2 ]



20.VII.1996 - ITALIA - Toscana - PO
Coleoptera

Andream

17

5606

01/12/2014, 20:59

Uncle Adam Vedi ultimo messaggio

Nessun messaggio da leggere
Saperda scalaris scalaris (Linnaeus, 1758) - Cerambycidae
29.XI.2014 - ITALIA - Friuli-Venezia Giulia - UD
Allegato(i) Dettagli della specie
Saperda scalaris scalaris (Linnaeus, 1758)
Cerambycidae


29.XI.2014 - ITALIA - Friuli-Venezia Giulia - UD
Coleoptera

AleP

6

2595

30/11/2014, 20:06

AleP Vedi ultimo messaggio

Nessun messaggio da leggere
Arhopalus ferus (Mulsant, 1839) - Cerambycidae
30.VI.2012 - SPAGNA - EE
Allegato(i) Dettagli della specie
Arhopalus ferus (Mulsant, 1839)
Cerambycidae


30.VI.2012 - SPAGNA - EE
Coleoptera

Valerio

3

1670

30/11/2014, 18:48

Plagionotus Vedi ultimo messaggio

Nessun messaggio da leggere
Arhopalus rusticus (Linnaeus, 1758) - Cerambycidae
16.VII.2013 - ITALIA - Calabria - CS
Allegato(i) Dettagli della specie
Arhopalus rusticus (Linnaeus, 1758)
Cerambycidae


16.VII.2013 - ITALIA - Calabria - CS
Coleoptera

Valerio

2

1539

30/11/2014, 13:39

Valerio Vedi ultimo messaggio

Nessun messaggio da leggere
Pidonia (Pidonia) lurida (Fabricius, 1792) - Cerambycidae
20.VII.2014 - ITALIA - Trentino-Alto Adige - TN
Allegato(i) Dettagli della specie
Pidonia (Pidonia) lurida (Fabricius, 1792)
Cerambycidae


20.VII.2014 - ITALIA - Trentino-Alto Adige - TN
Coleoptera

gigilmozzi

3

1996

30/11/2014, 11:35

gigilmozzi Vedi ultimo messaggio

Nessun messaggio da leggere
Certallum ebulinum (Linnaeus, 1767) - Cerambycidae
26.IV.2012 - ITALIA - Sicilia - ME
Allegato(i) Dettagli della specie
Certallum ebulinum (Linnaeus, 1767)
Cerambycidae


26.IV.2012 - ITALIA - Sicilia - ME
Coleoptera

Valerio

0

1055

29/11/2014, 15:05

Valerio Vedi ultimo messaggio

Nessun messaggio da leggere
Anastrangalia sanguinolenta (Linnaeus, 1760) - Cerambycidae
27.VI.2013 - ITALIA - Calabria - CS
Allegato(i) Dettagli della specie
Anastrangalia sanguinolenta (Linnaeus, 1760)
Cerambycidae


27.VI.2013 - ITALIA - Calabria - CS
Coleoptera

Valerio

2

1295

28/11/2014, 17:42

Valerio Vedi ultimo messaggio

Nessun messaggio da leggere
Rutpela maculata maculata (Poda, 1761) - Cerambycidae
25.VI.2013 - ITALIA - Calabria - CS
Allegato(i) Dettagli della specie
Rutpela maculata maculata (Poda, 1761)
Cerambycidae


25.VI.2013 - ITALIA - Calabria - CS
Coleoptera

Valerio

0

813

28/11/2014, 17:38

Valerio Vedi ultimo messaggio

Nessun messaggio da leggere
Allegato(i) Dettagli della specie
Dorcadion (Pedestredorcadion) etruscum (Rossi, 1790)
Cerambycidae


3.VI.2007 - ITALIA - Toscana - PO
Coleoptera

Andream

3

1304

28/11/2014, 12:29

Andream Vedi ultimo messaggio

Nessun messaggio da leggere
Allegato(i) Dettagli della specie
Purpuricenus (Purpuricenus) kaehleri kaehleri (Linnaeus, 1758)
Cerambycidae


9.VI.2010 - ITALIA - Toscana - PO
Coleoptera

Andream

3

1361

28/11/2014, 12:26

Andream Vedi ultimo messaggio

Nessun messaggio da leggere
Paracorymbia fulva (De Geer, 1775) - Cerambycidae
29.VII.2013 - ITALIA - Calabria - CS
Allegato(i) Dettagli della specie
Paracorymbia fulva (De Geer, 1775)
Cerambycidae


29.VII.2013 - ITALIA - Calabria - CS
Coleoptera

Valerio

1

959

27/11/2014, 15:39

Plagionotus Vedi ultimo messaggio

Nessun messaggio da leggere
Pseudovadonia livida livida (Fabricius, 1777) - Cerambycidae
8.VII.2013 - ITALIA - Calabria - CS
Allegato(i) Dettagli della specie
Pseudovadonia livida livida (Fabricius, 1777)
Cerambycidae


8.VII.2013 - ITALIA - Calabria - CS
Coleoptera

Valerio

1

935

27/11/2014, 15:39

Plagionotus Vedi ultimo messaggio

Nessun messaggio da leggere
Allegato(i) Dettagli della specie
Dorcadion (Pedestredorcadion) etruscum (Rossi, 1790)
Cerambycidae


5.VII.2007 - ITALIA - Toscana - PO
Coleoptera

Andream

2

1149

26/11/2014, 22:48

Andream Vedi ultimo messaggio

Nessun messaggio da leggere
Hesperophanes sericeus (Fabricius, 1787) - Cerambycidae
21.VI.2008 - ITALIA - Toscana - PO
Allegato(i) Dettagli della specie
Hesperophanes sericeus (Fabricius, 1787)
Cerambycidae


21.VI.2008 - ITALIA - Toscana - PO
Coleoptera

Andream

3

1306

26/11/2014, 22:47

Andream Vedi ultimo messaggio

Nessun messaggio da leggere
Pseudovadonia livida livida (Fabricius, 1777) - Cerambycidae
7.VI.2010 - ITALIA - Liguria - SP
Allegato(i) Dettagli della specie
Pseudovadonia livida livida (Fabricius, 1777)
Cerambycidae


7.VI.2010 - ITALIA - Liguria - SP
Coleoptera

Valerio

1

964

26/11/2014, 20:07

Plagionotus Vedi ultimo messaggio

Nessun messaggio da leggere
Cerambycidae Dorcasominae sp
1.IV.2013 - MADAGASCAR - EE
Allegato(i)
Cerambycidae Dorcasominae sp
Cerambycidae


1.IV.2013 - MADAGASCAR - EE
Coleoptera

Julodis

0

756

26/11/2014, 18:04

Julodis Vedi ultimo messaggio

Nessun messaggio da leggere
Allegato(i)
Tsivoka simplicicollis (Gahan, 1890) (cf.) - Cerambycidae
Cerambycidae


1.IV.2013 - MADAGASCAR - EE
Coleoptera

Julodis

0

714

26/11/2014, 18:02

Julodis Vedi ultimo messaggio

Nessun messaggio da leggere
Pachytodes cerambyciformis (Schrank, 1781) - Cerambycidae
VII.2009 - ITALIA - Friuli-Venezia Giulia - UD
Allegato(i) Dettagli della specie
Pachytodes cerambyciformis (Schrank, 1781)
Cerambycidae


VII.2009 - ITALIA - Friuli-Venezia Giulia - UD
Coleoptera

Valerio

3

1148

26/11/2014, 17:18

Orotrechus Vedi ultimo messaggio

Nessun messaggio da leggere
Allegato(i) Dettagli della specie
Cortodera humeralis humeralis (Schaller, 1783) cf.
Cerambycidae


30.IV.2011 - ITALIA - Lazio - RI
Coleoptera

Valerio

6

2001

26/11/2014, 15:07

Valerio Vedi ultimo messaggio

Nessun messaggio da leggere
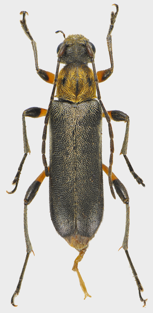
Cerambyx miles Bonelli, 1812 - Cerambycidae
14.VII.1995 - ITALIA - Toscana - PO
Allegato(i) Dettagli della specie
Cerambyx miles Bonelli, 1812
Cerambycidae


14.VII.1995 - ITALIA - Toscana - PO
Coleoptera

Andream

8

2637

26/11/2014, 0:28

Andream Vedi ultimo messaggio

Nessun messaggio da leggere
Cerambyx welensii (Küster, 1845) - Cerambycidae
16.VI.2013 - ITALIA - Marche - MC
Allegato(i) Dettagli della specie
Cerambyx welensii (Küster, 1845)
Cerambycidae


16.VI.2013 - ITALIA - Marche - MC
Coleoptera

Andream

2

1011

25/11/2014, 20:00

Andream Vedi ultimo messaggio

Nessun messaggio da leggere
Allegato(i)
Mastododera nodicollis (Klug, 1833) (cf.) - Cerambycidae
Cerambycidae


1.IV.2013 - MADAGASCAR - EE
Coleoptera

Julodis

2

881

25/11/2014, 18:05

Julodis Vedi ultimo messaggio

Nessun messaggio da leggere
Allegato(i)
Sagridola maculosa (Guérin-Méneville, 1844) (cf.) - Cerambycidae
Cerambycidae


1.IV.2013 - MADAGASCAR - EE
Coleoptera

Julodis

0

657

25/11/2014, 16:57

Julodis Vedi ultimo messaggio

Nessun messaggio da leggere
Oxypleurus nodieri Mulsant, 1839 - Cerambycidae
6.VI.2010 - ITALIA - Sicilia - CT
Allegato(i) Dettagli della specie
Oxypleurus nodieri Mulsant, 1839
Cerambycidae


6.VI.2010 - ITALIA - Sicilia - CT
Coleoptera

Uncle Adam

4

1305

25/11/2014, 16:53

Uncle Adam Vedi ultimo messaggio

Nessun messaggio da leggere
Allegato(i)
Pelargoderus rubropunctatus (Guérin-Méneville, 1838) - Australia

1.IX.2011 - AUSTRALIA - EE
Coleoptera

Valerio

0

640

25/11/2014, 15:05

Valerio Vedi ultimo messaggio

Nessun messaggio da leggere
Sybra sp. - Cerambycidae Lamiinae
1.IX.2011 - AUSTRALIA - EE
Allegato(i)
Sybra sp. - Cerambycidae Lamiinae

1.IX.2011 - AUSTRALIA - EE
Coleoptera

Valerio

2

1047

25/11/2014, 0:55

Valerio Vedi ultimo messaggio

Nessun messaggio da leggere
Allegato(i) Dettagli della specie
Rhagium (Rhagium) inquisitor inquisitor (Linnaeus, 1758)
Cerambycidae

[ Vai alla paginaVai alla pagina: 1, 2 ]



8.IV.2011 - ITALIA - Sicilia - CT
Coleoptera

Isotomus

17

2994

24/11/2014, 14:47

Valerio Vedi ultimo messaggio

Nessun messaggio da leggere
Tetrops praeustus praeustus (Linnaeus, 1758) - Cerambycidae
23.VI.2013 - ITALIA - Calabria - CS
Allegato(i) Dettagli della specie
Tetrops praeustus praeustus (Linnaeus, 1758)
Cerambycidae


23.VI.2013 - ITALIA - Calabria - CS
Coleoptera

Valerio

1

865

23/11/2014, 14:52

Plagionotus Vedi ultimo messaggio

Nessun messaggio da leggere
Onychocerus aculeicornis (Kirby, 1818) - Cerambycidae
VIII.2010 - GUYANA FRANCESE - EE
Allegato(i)
Onychocerus aculeicornis (Kirby, 1818) - Cerambycidae
Cerambycidae


VIII.2010 - GUYANA FRANCESE - EE
Coleoptera

Julodis

4

1545

22/11/2014, 22:37

Valerio Vedi ultimo messaggio

Nessun messaggio da leggere
Allegato(i)
Agrianome spinicollis (Macleay, 1827) - Cerambycidae, Prioninae, Macrotominae

29.VIII.2011 - AUSTRALIA - EE
Coleoptera

Valerio

3

1615

22/11/2014, 21:15

marco villa Vedi ultimo messaggio

Nessun messaggio da leggere
Allegato(i) Dettagli della specie
Cortodera humeralis aspromontana G. Müller, 1948
Cerambycidae

[ Vai alla paginaVai alla pagina: 1, 2 ]



1.V.2014 - GRECIA - EE
Coleoptera

f.izzillo

17

4283

20/11/2014, 20:23

f.izzillo Vedi ultimo messaggio

Nessun messaggio da leggere
Stenurella melanura (Linnaeus, 1758) - Cerambycidae
10.VIII.1992 - ITALIA - Piemonte - TO
Allegato(i) Dettagli della specie
Stenurella melanura (Linnaeus, 1758)
Cerambycidae


10.VIII.1992 - ITALIA - Piemonte - TO
Coleoptera

f.izzillo

10

2337

20/11/2014, 15:10

f.izzillo Vedi ultimo messaggio

Nessun messaggio da leggere
Allegato(i)
Grammoptera auricollis Mulsant & Rey, 1863 - Cerambycidae (da confermare)

4.V.2011 - GRECIA - EE
Coleoptera

Maurizio Bollino

5

1468

20/11/2014, 14:52

f.izzillo Vedi ultimo messaggio

Visualizza ultimi argomenti:  Ordina per  Ordine:  
nuovo argomento
Vai alla pagina Precedente  1 ... 33, 34, 35, 36, 37, 38, 39 ... 103  Prossimo
Pagina 36 di 103 [ 5107 argomenti ]

Tutti gli orari sono UTC + 1 ora [ ora legale ]


Chi c’è in linea

Visitano il forum: Nessuno e 2 ospiti


Legenda
Messaggi da leggere Messaggi da leggere Nessun messaggio da leggere Nessun messaggio da leggere Annuncio Annuncio
 
Specie indeterminata / discussione generica
Messaggi non letti [ Popolari ] Messaggi non letti [ Popolari ] Nessun messaggio da leggere [ Popolare ] Nessun messaggio da leggere [ Popolare ] Importante Importante
 
Specie determinata fino al genere o cf.
Messaggi non letti [ Bloccati ] Messaggi non letti [ Bloccati ] No messaggi non letti [ Bloccati ] No messaggi non letti [ Bloccati ] Argomento spostato Argomento spostato
 
Specie correttamente determinata
Permessi
Non puoi aprire nuovi argomenti
Non puoi rispondere negli argomenti
Non puoi modificare i tuoi messaggi
Non puoi cancellare i tuoi messaggi
Non puoi inviare allegati

Cerca per:
Vai a:  
cron