Benvenuto Ospite

Forum Entomologi Italiani

www.entomologiitaliani.net/forum
 
Oggi è 17/11/2025, 21:04

Tutti gli orari sono UTC + 1 ora [ ora legale ]


92% 
2927 taxa correttamente determinati su 3180 presenti in archivio

Cerambycidae


[ AFROTROPICALE ] [ ANTARTICO ] [ AUSTRALASIANO ] [ NEARTICO ] [ NEOTROPICALE ] [ ORIENTALE ] [ PALEARTICO ]


nuovo argomento
Vai alla pagina Precedente  1 ... 42, 43, 44, 45, 46, 47, 48 ... 103  Prossimo
Pagina 45 di 103 [ 5105 argomenti ]
 Argomenti   Ordine   Autore   Risposte   Visite    Ultimo messaggio 
Annunci
Nessun messaggio da leggere
Allegato(i)
Incontri entomologici della Società Entomologica Italiana 2025-2026
 

Velvet Ant

0

15

oggi, 19:41

Velvet Ant Vedi ultimo messaggio

Nessun messaggio da leggere
Allegato(i)
Incontri entomologici telematici organizzati dalla Società Entomologica Italiana nel 2022 e nel 2023

[ Vai alla paginaVai alla pagina: 1, 2, 3 ]

 

Velvet Ant

44

1474546

03/03/2023, 15:55

Velvet Ant Vedi ultimo messaggio

Nessun messaggio da leggere  
Allegato(i)
Sondaggio sul declino dell'entomofauna in Italia

[ Vai alla paginaVai alla pagina: 1, 2, 3, 4 ]

 

Velvet Ant

52

1815856

22/10/2022, 19:18

Acquarius Vedi ultimo messaggio

Nessun messaggio da leggere  
Allegato(i)
Progetto: Bibliografia ragionata dei lavori entomologici nei quali sono citati reperti apparsi su FEI

[ Vai alla paginaVai alla pagina: 1, 2, 3 ]

 

Velvet Ant

33

1204033

06/07/2023, 18:31

Orotrechus Vedi ultimo messaggio

Nessun messaggio da leggere
Allegato(i)
Mimesi, il primo documentario cinematografico sull’entomologia in Italia: casting
 

mazzeip

1

476503

28/02/2019, 20:26

mazzeip Vedi ultimo messaggio

Questo argomento è bloccato, non puoi modificare o inviare ulteriori messaggi.
Allegato(i)
ISTRUZIONI PUBBLICAZIONE NUOVI ARGOMENTI E FOTO

 
Altri Ordini di Insetti

Julodis

4

1087987

13/05/2015, 19:37

Julodis Vedi ultimo messaggio

Nessun messaggio da leggere
Allegato(i)
Limitatore giornaliero di messaggi, uno strumento utile e ormai indispensabile

[ Vai alla paginaVai alla pagina: 1 ... 14, 15, 16 ]

 

Velvet Ant

233

9717490

25/09/2014, 14:31

Inachis Vedi ultimo messaggio

Nessun messaggio da leggere  
NORME PER I COLLABORATORI DEL FORUM

 
 

Velvet Ant

0

488021

02/06/2011, 12:05

Velvet Ant Vedi ultimo messaggio

Nessun messaggio da leggere
Allegato(i)
NORME PER GLI UTENTI DEL FORUM

[ Vai alla paginaVai alla pagina: 1, 2, 3 ]



 
 

Velvet Ant

30

2586251

23/09/2014, 23:54

Maurizio Bollino Vedi ultimo messaggio

Questo argomento è bloccato, non puoi modificare o inviare ulteriori messaggi.  
Elenco delle specie italiane di Cerambycidae presenti sul forum
Cerambycidae


 
Coleoptera

Plagionotus

0

6020

22/11/2010, 22:28

Plagionotus Vedi ultimo messaggio

Nessun messaggio da leggere  
Lista degli utenti del "Forum entomologi italiani" per campi di interesse e specializzazione

 
Altri Ordini di Insetti

Velvet Ant

13

957767

07/09/2023, 17:14

Roberto-07 Vedi ultimo messaggio

Argomenti
Nessun messaggio da leggere
Allegato(i)
Oxylia duponcheli (Brullé, 1832) - Cerambycidae
Cerambycidae


3.VI.2003 - GRECIA - EE
Coleoptera

ghebo

7

1080

16/01/2014, 23:46

Plagionotus Vedi ultimo messaggio

Nessun messaggio da leggere
Allegato(i)
Vadonia unipunctata makedonica Holzschuh, 1989 - Cerambycidae

16.VI.2006 - GRECIA - EE
Coleoptera

ghebo

2

687

15/01/2014, 8:39

ghebo Vedi ultimo messaggio

Nessun messaggio da leggere
Allegato(i) Dettagli della specie
Callimus angulatus angulatus (Schrank, 1789)
Cerambycidae


VI.2011 - GRECIA - EE
Coleoptera

claudio sola

3

933

15/01/2014, 0:01

claudio sola Vedi ultimo messaggio

Nessun messaggio da leggere
Allegato(i)
Dorcadion (Pedestredorcadion) sp. - Cerambycidae

6.V.1989 - BULGARIA - EE
Coleoptera

claudio sola

9

1534

14/01/2014, 0:07

claudio sola Vedi ultimo messaggio

Nessun messaggio da leggere
Allegato(i) Dettagli della specie
Anoplodera (Anoplodera) sexguttata (Fabricius, 1775)
Cerambycidae


VI.2013 - GRECIA - EE
Coleoptera

claudio sola

1

678

13/01/2014, 0:01

zdeno Vedi ultimo messaggio

Nessun messaggio da leggere
Allegato(i)
Dorcadion (Pedestredorcadion) heldreichi Kraatz,1873 - Cerambycidae

VI.2012 - GRECIA - EE
Coleoptera

claudio sola

7

1066

12/01/2014, 18:46

zdeno Vedi ultimo messaggio

Nessun messaggio da leggere
Allegato(i)
Dorcadion (Pedestredorcadion) septemlineatum abanti Braun, 1976 - Cerambycidae

27.VII.1975 - TURCHIA - EE
Coleoptera

ghebo

3

483

11/01/2014, 12:33

ghebo Vedi ultimo messaggio

Nessun messaggio da leggere
Allegato(i)
Dorcadion (Pedestredorcadion) rizeanum (Breuning & Villiers, 1967) - Cerambycidae

17.VII.1988 - TURCHIA - EE
Coleoptera

ghebo

6

646

11/01/2014, 12:31

ghebo Vedi ultimo messaggio

Nessun messaggio da leggere
Allegato(i)
Dorcadion (Pedestredorcadion) sodale sodale Hampe, 1852 - Cerambycidae
Cerambycidae


14.VI.2013 - TURCHIA - EE
Coleoptera

Maurizio Bollino

5

854

11/01/2014, 12:23

Maurizio Bollino Vedi ultimo messaggio

Nessun messaggio da leggere
Allegato(i)
Dorcadion (Pedestredorcadion) parinfernale Breuning, 1975 - Cerambycidae

VI.2013 - GRECIA - EE
Coleoptera

claudio sola

1

425

11/01/2014, 0:15

zdeno Vedi ultimo messaggio

Nessun messaggio da leggere
Allegato(i)
Dorcadion (Pedestredorcadion) parinfernale Breuning, 1975 - Cerambycidae

VI.2013 - GRECIA - EE
Coleoptera

claudio sola

1

561

11/01/2014, 0:14

zdeno Vedi ultimo messaggio

Nessun messaggio da leggere
Allegato(i)
Leiopus nebulosus caucasicus Ganglbauer, 1887 - Cerambycidae
Cerambycidae


14.VII.2006 - TURCHIA - EE
Coleoptera

ghebo

2

609

10/01/2014, 10:53

ghebo Vedi ultimo messaggio

Nessun messaggio da leggere
Allegato(i)
Stictoleptura dichroa (Blanchard, 1871) (cf.) - Cerambycidae

VI.2008 - CINA - EE
Coleoptera

claudio sola

1

602

10/01/2014, 4:32

Limonium calabrum Vedi ultimo messaggio

Nessun messaggio da leggere
Allegato(i) Dettagli della specie
Agapanthia (Epoptes) kirbyi (Gyllenhal, 1817)
Cerambycidae


11.VI.2007 - GRECIA - EE
Coleoptera

ghebo

2

837

09/01/2014, 16:11

ghebo Vedi ultimo messaggio

Nessun messaggio da leggere
Allegato(i) Dettagli della specie
Opsilia coerulescens (Scopoli, 1763)
Cerambycidae


20.VI.1973 - GRECIA - EE
Coleoptera

ghebo

7

1337

09/01/2014, 13:51

f.izzillo Vedi ultimo messaggio

Nessun messaggio da leggere
Allegato(i) Dettagli della specie
Stenurella septempunctata septempunctata (Fabricius, 1792)
Cerambycidae


16.VI.2007 - GRECIA - EE
Coleoptera

ghebo

3

1031

08/01/2014, 18:49

ghebo Vedi ultimo messaggio

Nessun messaggio da leggere
Certallum ebulinum (Linnaeus, 1767) - Tunisia
31.III.2013 - TUNISIA - EE
Allegato(i)
Certallum ebulinum (Linnaeus, 1767) - Tunisia

31.III.2013 - TUNISIA - EE
Coleoptera

Guido Sabatinelli

6

1127

08/01/2014, 16:54

Julodis Vedi ultimo messaggio

Nessun messaggio da leggere
Allegato(i)
Stenurella bifasciata intermedia Holzschuh, 2006 - Cerambycidae

VI.2013 - GRECIA - EE
Coleoptera

claudio sola

2

546

07/01/2014, 22:54

claudio sola Vedi ultimo messaggio

Nessun messaggio da leggere
Allegato(i)
Vadonia unipunctata subsp. makedonica Holzschuh, 1989 (cf.) - Cerambycidae Lepturinae

26.VII.2008 - GRECIA - EE
Coleoptera

ghebo

4

505

07/01/2014, 19:36

ghebo Vedi ultimo messaggio

Nessun messaggio da leggere
Allegato(i)
Agapanthia (Epoptes) markusi Rapuzzi, Sama & Kotán, 2013 - Cerambycidae

V.2012 - GRECIA - EE
Coleoptera

claudio sola

0

437

06/01/2014, 23:22

claudio sola Vedi ultimo messaggio

Nessun messaggio da leggere
Allegato(i)
Clorophorus simillimus (Kraatz, 1879) - Cerambycidae

VI.2008 - CINA - EE
Coleoptera

claudio sola

4

709

06/01/2014, 17:28

Xylosteus Vedi ultimo messaggio

Nessun messaggio da leggere
Allegato(i)
Vadonia insidiosa Holzschuh, 1984 (cf.) - Cerambycidae
Cerambycidae


26.VII.2006 - GRECIA - EE
Coleoptera

ghebo

2

490

05/01/2014, 23:19

ghebo Vedi ultimo messaggio

Nessun messaggio da leggere
Allegato(i)
Vadonia unipunctata makedonica Holzschuh, 1989 - Cerambycidae
Cerambycidae


16.VI.2007 - GRECIA - EE
Coleoptera

ghebo

2

538

05/01/2014, 23:14

ghebo Vedi ultimo messaggio

Nessun messaggio da leggere
Allegato(i)
Stictoleptura tesserula (Charpentier, 1825) - Cerambycidae
Cerambycidae


11.VII.2005 - TURCHIA - EE
Coleoptera

ghebo

2

740

05/01/2014, 23:12

ghebo Vedi ultimo messaggio

Nessun messaggio da leggere
Callidium violaceum (Linnaeus, 1758) - Cerambycidae
27.VII.2011 - ITALIA - Veneto - VI
Allegato(i) Dettagli della specie
Callidium violaceum (Linnaeus, 1758)
Cerambycidae


27.VII.2011 - ITALIA - Veneto - VI
Coleoptera

ghebo

0

651

05/01/2014, 19:45

ghebo Vedi ultimo messaggio

Nessun messaggio da leggere
Allegato(i) Dettagli della specie
Grammoptera abdominalis (Stephens, 1831)
Cerambycidae


VI.2013 - GRECIA - EE
Coleoptera

claudio sola

2

980

05/01/2014, 15:14

Xylosteus Vedi ultimo messaggio

Nessun messaggio da leggere
Morimus asper asper (Sulzer, 1776) - Cerambycidae
12.IV.2011 - ITALIA - Liguria - GE
Allegato(i) Dettagli della specie
Morimus asper asper (Sulzer, 1776)
Cerambycidae


12.IV.2011 - ITALIA - Liguria - GE
Coleoptera

Francesco Cassulo

2

960

05/01/2014, 12:32

Francesco Cassulo Vedi ultimo messaggio

Nessun messaggio da leggere
Allegato(i)
Dorcadion (Pedestredorcadion) thessalicum thessalicum (Pic, 1916) - Cerambycidae

VI.2013 - GRECIA - EE
Coleoptera

claudio sola

4

914

04/01/2014, 20:49

zdeno Vedi ultimo messaggio

Nessun messaggio da leggere
Allegato(i)
Macrotoma gracilipes Kolbe, 1894 cf. - Cerambycidae Prioninae
Cerambycidae


II.2012 - GABON - EE
Coleoptera

Apoderus

14

2510

03/01/2014, 0:59

Apoderus Vedi ultimo messaggio

Nessun messaggio da leggere
Cacodacnus lameerei Aurivillius, 1925 - Cerambycidae
XII.2013 - INDONESIA - EST - EE
Allegato(i)
Cacodacnus lameerei Aurivillius, 1925 - Cerambycidae
Cerambycidae


XII.2013 - INDONESIA - EST - EE
Coleoptera

Carlo A.

1

789

03/01/2014, 0:48

Carlo A. Vedi ultimo messaggio

Nessun messaggio da leggere
Allegato(i)
Agapanthia (Epoptes) kirbyi (Gyllenhal, 1817)
Cerambycidae


VI.2012 - GRECIA - EE
Coleoptera

claudio sola

1

581

02/01/2014, 21:38

Xylosteus Vedi ultimo messaggio

Nessun messaggio da leggere
Allegato(i)
Agapanthia (Epoptes) cynarae (Germar, 1817)
Cerambycidae


VI.2013 - GRECIA - EE
Coleoptera

claudio sola

1

536

02/01/2014, 21:37

Xylosteus Vedi ultimo messaggio

Nessun messaggio da leggere
Allegato(i)
Agapanthia (Agapanthia) violacea (Fabricius, 1775) - Cerambycidae
Cerambycidae


VI.2013 - GRECIA - EE
Coleoptera

claudio sola

2

705

02/01/2014, 12:21

Xylosteus Vedi ultimo messaggio

Nessun messaggio da leggere
Allegato(i) Dettagli della specie
Agapanthia (Epoptes) cynarae (Germar, 1817)
Cerambycidae


VI.2013 - GRECIA - EE
Coleoptera

claudio sola

3

975

02/01/2014, 12:20

Xylosteus Vedi ultimo messaggio

Nessun messaggio da leggere
Allegato(i)
Vadonia unipunctata makedonica Holzschuh, 1989 - Cerambycidae

V.2013 - GRECIA - EE
Coleoptera

claudio sola

3

791

01/01/2014, 23:24

claudio sola Vedi ultimo messaggio

Nessun messaggio da leggere
Allegato(i)
Vadonia unipunctata makedonica Holzschuh, 1989 - Cerambycidae
Cerambycidae


V.2013 - GRECIA - EE
Coleoptera

claudio sola

3

709

01/01/2014, 15:52

claudio sola Vedi ultimo messaggio

Nessun messaggio da leggere
Allegato(i)
Vadonia unipunctata makedonica Holzschuh, 1989 - Cerambycidae
Cerambycidae


V.2013 - GRECIA - EE
Coleoptera

claudio sola

1

544

01/01/2014, 15:51

Xylosteus Vedi ultimo messaggio

Nessun messaggio da leggere
Allegato(i)
Aegomorphus krueperi (Kraatz, 1859) - Cerambycidae

VI.2013 - GRECIA - EE
Coleoptera

claudio sola

1

769

31/12/2013, 21:15

Velvet Ant Vedi ultimo messaggio

Nessun messaggio da leggere
Allegato(i)
Dorcadion (Pedestredorcadion) veluchense (Pic, 1903) - Cerambycidae
Cerambycidae


V.2012 - GRECIA - EE
Coleoptera

claudio sola

11

2026

31/12/2013, 1:41

claudio sola Vedi ultimo messaggio

Nessun messaggio da leggere
Allegato(i) Dettagli della specie
Mesosa curculionoides (Linnaeus, 1760)
Cerambycidae


29.XII.2013 - ROMANIA - EE
Coleoptera

cosmln

7

1511

29/12/2013, 22:27

Julodis Vedi ultimo messaggio

Nessun messaggio da leggere
Allegato(i)
Anastrangalia dubia melanota Faldermann, 1837 - Cerambycidae

16.VII.2006 - TURCHIA - EE
Coleoptera

ghebo

6

1091

23/12/2013, 19:19

ghebo Vedi ultimo messaggio

Nessun messaggio da leggere
Allegato(i) Dettagli della specie
Pedostrangalia (Neosphenalia) verticalis (Germar, 1822)
Cerambycidae


3.VI.2003 - GRECIA - EE
Coleoptera

ghebo

2

932

23/12/2013, 16:30

ghebo Vedi ultimo messaggio

Nessun messaggio da leggere
Allegato(i)
Vadonia bisignata (Brullè, 1832) - Cerambycidae
Cerambycidae


25.VI.2003 - GRECIA - EE
Coleoptera

ghebo

3

901

22/12/2013, 20:48

marco villa Vedi ultimo messaggio

Nessun messaggio da leggere
Prinobius myardi myardi Mulsant, 1842 - Cerambycidae
17.VIII.2013 - ITALIA - Sardegna - VS
Allegato(i) Dettagli della specie
Prinobius myardi myardi Mulsant, 1842
Cerambycidae


17.VIII.2013 - ITALIA - Sardegna - VS
Coleoptera

Federico A.

2

1028

22/12/2013, 13:19

Daniele Maccapani Vedi ultimo messaggio

Nessun messaggio da leggere
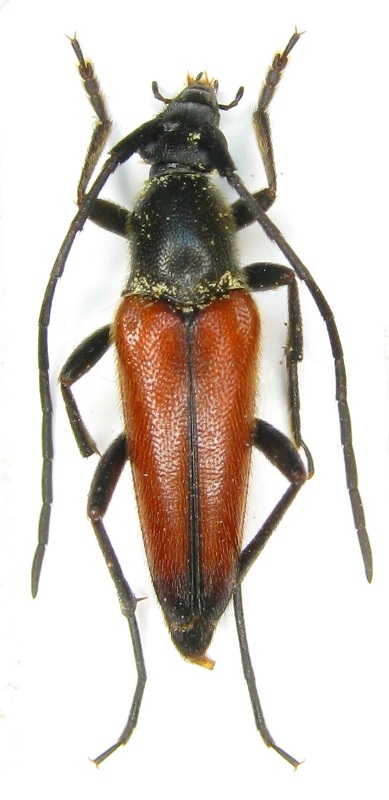
Cerambyx cerdo cerdo Linnaeus, 1758 - Cerambycidae
20.VI.2012 - ITALIA - Lombardia - BS
Allegato(i) Dettagli della specie
Cerambyx cerdo cerdo Linnaeus, 1758
Cerambycidae


20.VI.2012 - ITALIA - Lombardia - BS
Coleoptera

Livio

6

1337

21/12/2013, 20:55

Livio Vedi ultimo messaggio

Nessun messaggio da leggere
Allegato(i) Dettagli della specie
Dorcadion (Pedestredorcadion) arenarium marsicanum Fracassi, 1905
Cerambycidae


2000 - ITALIA - Marche - MC
Coleoptera

StagBeetle

4

1386

21/12/2013, 16:00

Xylosteus Vedi ultimo messaggio

Nessun messaggio da leggere
Allegato(i)
Purpuricenus desfontainii desfontainii (Fabricius, 1792) - Cerambycidae
Cerambycidae


16.V.2013 - TUNISIA - EE
Coleoptera

Guido Sabatinelli

7

1183

19/12/2013, 20:08

Xylosteus Vedi ultimo messaggio

Nessun messaggio da leggere
Allegato(i) Dettagli della specie
Purpuricenus (Purpuricenus) budensis (Götz, 1783)
Cerambycidae


1.VI.1998 - GRECIA - EE
Coleoptera

ghebo

1

774

16/12/2013, 16:54

Julodis Vedi ultimo messaggio

Nessun messaggio da leggere
Cerambyx miles Bonelli, 1812 - Cerambycidae
15.VII.1995 - GRECIA - EE
Allegato(i) Dettagli della specie
Cerambyx miles Bonelli, 1812
Cerambycidae


15.VII.1995 - GRECIA - EE
Coleoptera

ghebo

8

2409

16/12/2013, 10:33

Xylosteus Vedi ultimo messaggio

Nessun messaggio da leggere
Larve di Saperda scalaris (Linnaeus, 1758)
14.VII.2012 - ITALIA - Veneto - VR
Allegato(i)
Larve di Saperda scalaris (Linnaeus, 1758)
Cerambycidae

[ Vai alla paginaVai alla pagina: 1, 2 ]



14.VII.2012 - ITALIA - Veneto - VR
Coleoptera

AleP

15

2553

16/12/2013, 9:44

AleP Vedi ultimo messaggio

Visualizza ultimi argomenti:  Ordina per  Ordine:  
nuovo argomento
Vai alla pagina Precedente  1 ... 42, 43, 44, 45, 46, 47, 48 ... 103  Prossimo
Pagina 45 di 103 [ 5105 argomenti ]

Tutti gli orari sono UTC + 1 ora [ ora legale ]


Chi c’è in linea

Visitano il forum: Nessuno e 13 ospiti


Legenda
Messaggi da leggere Messaggi da leggere Nessun messaggio da leggere Nessun messaggio da leggere Annuncio Annuncio
 
Specie indeterminata / discussione generica
Messaggi non letti [ Popolari ] Messaggi non letti [ Popolari ] Nessun messaggio da leggere [ Popolare ] Nessun messaggio da leggere [ Popolare ] Importante Importante
 
Specie determinata fino al genere o cf.
Messaggi non letti [ Bloccati ] Messaggi non letti [ Bloccati ] No messaggi non letti [ Bloccati ] No messaggi non letti [ Bloccati ] Argomento spostato Argomento spostato
 
Specie correttamente determinata
Permessi
Non puoi aprire nuovi argomenti
Non puoi rispondere negli argomenti
Non puoi modificare i tuoi messaggi
Non puoi cancellare i tuoi messaggi
Non puoi inviare allegati

Cerca per:
Vai a: