Benvenuto Ospite

Forum Entomologi Italiani

www.entomologiitaliani.net/forum
 
Oggi è 22/04/2026, 2:43

Tutti gli orari sono UTC + 1 ora [ ora legale ]


92% 
2928 taxa correttamente determinati su 3182 presenti in archivio

Cerambycidae


[ AFROTROPICALE ] [ ANTARTICO ] [ AUSTRALASIANO ] [ NEARTICO ] [ NEOTROPICALE ] [ ORIENTALE ] [ PALEARTICO ]


nuovo argomento
Vai alla pagina Precedente  1 ... 51, 52, 53, 54, 55, 56, 57 ... 103  Prossimo
Pagina 54 di 103 [ 5109 argomenti ]
 Argomenti   Ordine   Autore   Risposte   Visite    Ultimo messaggio 
Annunci
Nessun messaggio da leggere
Allegato(i)
Incontri entomologici della Società Entomologica Italiana 2025-2026
 

Velvet Ant

0

50093

17/11/2025, 19:41

Velvet Ant Vedi ultimo messaggio

Nessun messaggio da leggere
Allegato(i)
Incontri entomologici telematici organizzati dalla Società Entomologica Italiana nel 2022 e nel 2023

[ Vai alla paginaVai alla pagina: 1, 2, 3 ]

 

Velvet Ant

44

2011405

03/03/2023, 15:55

Velvet Ant Vedi ultimo messaggio

Nessun messaggio da leggere  
Allegato(i)
Sondaggio sul declino dell'entomofauna in Italia

[ Vai alla paginaVai alla pagina: 1, 2, 3, 4 ]

 

Velvet Ant

52

2683891

22/10/2022, 19:18

Acquarius Vedi ultimo messaggio

Nessun messaggio da leggere  
Allegato(i)
Progetto: Bibliografia ragionata dei lavori entomologici nei quali sono citati reperti apparsi su FEI

[ Vai alla paginaVai alla pagina: 1, 2, 3 ]

 

Velvet Ant

33

1613968

06/07/2023, 18:31

Orotrechus Vedi ultimo messaggio

Nessun messaggio da leggere
Allegato(i)
Mimesi, il primo documentario cinematografico sull’entomologia in Italia: casting
 

mazzeip

1

1138479

28/02/2019, 20:26

mazzeip Vedi ultimo messaggio

Questo argomento è bloccato, non puoi modificare o inviare ulteriori messaggi.
Allegato(i)
ISTRUZIONI PUBBLICAZIONE NUOVI ARGOMENTI E FOTO

 
Altri Ordini di Insetti

Julodis

4

2956069

13/05/2015, 19:37

Julodis Vedi ultimo messaggio

Nessun messaggio da leggere
Allegato(i)
Limitatore giornaliero di messaggi, uno strumento utile e ormai indispensabile

[ Vai alla paginaVai alla pagina: 1 ... 14, 15, 16 ]

 

Velvet Ant

233

13804843

25/09/2014, 14:31

Inachis Vedi ultimo messaggio

Nessun messaggio da leggere  
NORME PER I COLLABORATORI DEL FORUM

 
 

Velvet Ant

0

671208

02/06/2011, 12:05

Velvet Ant Vedi ultimo messaggio

Nessun messaggio da leggere
Allegato(i)
NORME PER GLI UTENTI DEL FORUM

[ Vai alla paginaVai alla pagina: 1, 2, 3 ]



 
 

Velvet Ant

30

3729303

23/09/2014, 23:54

Maurizio Bollino Vedi ultimo messaggio

Questo argomento è bloccato, non puoi modificare o inviare ulteriori messaggi.  
Elenco delle specie italiane di Cerambycidae presenti sul forum
Cerambycidae


 
Coleoptera

Plagionotus

0

6422

22/11/2010, 22:28

Plagionotus Vedi ultimo messaggio

Nessun messaggio da leggere  
Lista degli utenti del "Forum entomologi italiani" per campi di interesse e specializzazione

 
Altri Ordini di Insetti

Velvet Ant

13

1127226

07/09/2023, 17:14

Roberto-07 Vedi ultimo messaggio

Argomenti
Nessun messaggio da leggere
Anastrangalia dubia dubia (Scopoli, 1763) - Cerambycidae
28.VII.2012 - ITALIA - Trentino-Alto Adige - BZ
Allegato(i) Dettagli della specie
Anastrangalia dubia dubia (Scopoli, 1763)
Cerambycidae


28.VII.2012 - ITALIA - Trentino-Alto Adige - BZ
Coleoptera

Entomarci

8

1903

22/01/2013, 19:08

michele.carraretto Vedi ultimo messaggio

Nessun messaggio da leggere
Anastrangalia reyi (Heyden, 1889) - Cerambycidae
28.VII.2012 - ITALIA - Trentino-Alto Adige - BZ
Allegato(i) Dettagli della specie
Anastrangalia reyi (Heyden, 1889)
Cerambycidae


28.VII.2012 - ITALIA - Trentino-Alto Adige - BZ
Coleoptera

Entomarci

8

2776

22/01/2013, 19:08

michele.carraretto Vedi ultimo messaggio

Nessun messaggio da leggere
Allegato(i) Dettagli della specie
Stenurella sennii Sama, 2002 cf.
Cerambycidae


2011 - ROMANIA - EE
Coleoptera

cosmln

2

1897

21/01/2013, 22:57

Plagionotus Vedi ultimo messaggio

Nessun messaggio da leggere
Allegato(i) Dettagli della specie
Xylosteus spinolae Frivaldszky, 1837
Cerambycidae


IV.2012 - AUSTRIA - EE
Coleoptera

cosmln

4

2262

21/01/2013, 22:20

michele.carraretto Vedi ultimo messaggio

Nessun messaggio da leggere
Vesperus luridus (Rossi, 1794) - Cerambycidae
1.IX.2012 - ITALIA - Lazio - RM
Allegato(i) Dettagli della specie
Vesperus luridus (Rossi, 1794)
Cerambycidae


1.IX.2012 - ITALIA - Lazio - RM
Coleoptera

Goliathus

14

5350

19/01/2013, 22:29

Daniele Maccapani Vedi ultimo messaggio

Nessun messaggio da leggere
Chlorophorus sartor (O. F. Müller, 1766) - Cerambycidae
11.VII.2012 - ITALIA - Emilia-Romagna - FE
Allegato(i) Dettagli della specie
Chlorophorus sartor (O. F. Müller, 1766)
Cerambycidae


11.VII.2012 - ITALIA - Emilia-Romagna - FE
Coleoptera

Daniele Maccapani

7

2096

14/01/2013, 21:57

Daniele Maccapani Vedi ultimo messaggio

Nessun messaggio da leggere
Judolia sexmaculata (Linnaeus, 1758) - Cerambycidae
7.VII.2012 - ITALIA - Trentino-Alto Adige - BZ
Allegato(i) Dettagli della specie
Judolia sexmaculata (Linnaeus, 1758)
Cerambycidae


7.VII.2012 - ITALIA - Trentino-Alto Adige - BZ
Coleoptera

michele.carraretto

5

1707

12/01/2013, 20:25

pedux Vedi ultimo messaggio

Nessun messaggio da leggere
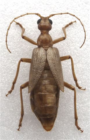
Trichoferus sp. - Cerambycidae
10.I.2013 - ITALIA - Sicilia - PA
Allegato(i)
Trichoferus sp. - Cerambycidae
Cerambycidae


10.I.2013 - ITALIA - Sicilia - PA
Coleoptera

carabus

3

980

12/01/2013, 20:05

Entomarci Vedi ultimo messaggio

Nessun messaggio da leggere
Allegato(i)
Pilemia angusterufonotata Pic, 1952 - Cerambycidae

4.V.2012 - GRECIA - EE
Coleoptera

f.izzillo

2

813

08/01/2013, 18:22

f.izzillo Vedi ultimo messaggio

Nessun messaggio da leggere
Allegato(i) Dettagli della specie
Agapanthia (Epoptes) asphodeli (Latreille, 1804)
Cerambycidae


30.XII.2012 - ITALIA - Lazio - RM
Coleoptera

Julodis

4

1293

05/01/2013, 17:12

Julodis Vedi ultimo messaggio

Nessun messaggio da leggere
Allegato(i)
Dorcadion (Pedestredorcadion) scabricolle Dalman, 1817 - Cerambycidae
Cerambycidae


1.V.2011 - TURCHIA - EE
Coleoptera

cosmln

3

1087

03/01/2013, 19:59

cosmln Vedi ultimo messaggio

Nessun messaggio da leggere
Pseudovadonia livida livida (Fabricius, 1777) - Cerambycidae
15.VII.2011 - ITALIA - Emilia-Romagna - RA
Allegato(i) Dettagli della specie
Pseudovadonia livida livida (Fabricius, 1777)
Cerambycidae


15.VII.2011 - ITALIA - Emilia-Romagna - RA
Coleoptera

marco villa

2

929

02/01/2013, 12:22

marco villa Vedi ultimo messaggio

Nessun messaggio da leggere
Allegato(i)
Leiopus linnei Wallin, Nylander & Kvamme, 2009 - Cerambycidae
Cerambycidae


20.VII.2010 - ROMANIA - EE
Coleoptera

cosmln

5

1776

02/01/2013, 11:45

michele.carraretto Vedi ultimo messaggio

Nessun messaggio da leggere
Cerambyx cerdo cerdo Linnaeus, 1758 - Cerambycidae
2.V.2012 - ITALIA - Emilia-Romagna - RA
Allegato(i) Dettagli della specie
Cerambyx cerdo cerdo Linnaeus, 1758
Cerambycidae

[ Vai alla paginaVai alla pagina: 1, 2 ]



2.V.2012 - ITALIA - Emilia-Romagna - RA
Coleoptera

marco villa

29

6609

02/01/2013, 0:46

eurinomio Vedi ultimo messaggio

Nessun messaggio da leggere
Stictoleptura trisignata (Fairmaire 1852)
11.VI.2009 - SPAGNA - EE
Allegato(i)
Stictoleptura trisignata (Fairmaire 1852)

11.VI.2009 - SPAGNA - EE
Coleoptera

Antonio Verdugo

6

1560

01/01/2013, 17:43

alexaandru Vedi ultimo messaggio

Nessun messaggio da leggere
Chlorophorus glaucus (Fabricius, 1781)
17.VII.2011 - SPAGNA - EE
Allegato(i)
Chlorophorus glaucus (Fabricius, 1781)

17.VII.2011 - SPAGNA - EE
Coleoptera

Antonio Verdugo

0

861

01/01/2013, 14:08

Antonio Verdugo Vedi ultimo messaggio

Nessun messaggio da leggere
Allegato(i)
Dorcadion (Pedestredorcadion) bangi bangi Heyden, 1894 - Cerambycidae

2.V.2011 - TURCHIA - EE
Coleoptera

cosmln

7

2054

30/12/2012, 23:12

Maurizio Bollino Vedi ultimo messaggio

Nessun messaggio da leggere
Arhopalus syriacus (Reitter, 1895) - Cerambycidae
VI.2010 - ITALIA - Emilia-Romagna - BO
Allegato(i) Dettagli della specie
Arhopalus syriacus (Reitter, 1895)
Cerambycidae

[ Vai alla paginaVai alla pagina: 1, 2 ]



VI.2010 - ITALIA - Emilia-Romagna - BO
Coleoptera

Loriscola

19

4116

30/12/2012, 22:14

claudio sola Vedi ultimo messaggio

Nessun messaggio da leggere
Allegato(i) Dettagli della specie
Agapanthia (Agapanthia) cardui (Linnaeus, 1767)
Cerambycidae


20.V.2012 - ITALIA - Sicilia - EN
Coleoptera

amedeo

4

2075

30/12/2012, 18:15

amedeo Vedi ultimo messaggio

Nessun messaggio da leggere
Allegato(i) Dettagli della specie
Agapanthia (Epoptes) sicula sicula Ganglbauer, 1884 cf.
Cerambycidae


6.VII.2012 - ITALIA - Sicilia - PA
Coleoptera

amedeo

2

1262

29/12/2012, 9:57

amedeo Vedi ultimo messaggio

Nessun messaggio da leggere
Neoclytus acuminatus (Fabricius, 1775) - Cerambycidae
V.2007 - ITALIA - Lombardia - PV
Allegato(i) Dettagli della specie
Neoclytus acuminatus (Fabricius, 1775)
Cerambycidae


V.2007 - ITALIA - Lombardia - PV
Coleoptera

Fumea crassiorella

0

974

28/12/2012, 10:19

Fumea crassiorella Vedi ultimo messaggio

Nessun messaggio da leggere
Leptura aurulenta Fabricius, 1792 - Cerambycidae
V.2007 - ITALIA - Lombardia - PV
Allegato(i) Dettagli della specie
Leptura aurulenta Fabricius, 1792
Cerambycidae


V.2007 - ITALIA - Lombardia - PV
Coleoptera

Fumea crassiorella

2

1309

27/12/2012, 20:50

Fumea crassiorella Vedi ultimo messaggio

Nessun messaggio da leggere
Allegato(i) Dettagli della specie
Aromia moschata ambrosiaca (Steven, 1809)
Cerambycidae


21.VII.2012 - AZERBAIJAN - EE
Coleoptera

cosmln

1

1890

25/12/2012, 20:01

Julodis Vedi ultimo messaggio

Nessun messaggio da leggere
Allegato(i)
Chlorophorus hungaricus Seidlitz, 1891 - Cerambycidae

31.V.2003 - ROMANIA - EE
Coleoptera

cosmln

5

1668

25/12/2012, 14:10

cosmln Vedi ultimo messaggio

Nessun messaggio da leggere
Allegato(i)
Herophila fairmairei (Thomson, 1857) - Cerambycidae

VI.2012 - GRECIA - EE
Coleoptera

claudio sola

2

1464

23/12/2012, 17:23

StagBeetle Vedi ultimo messaggio

Nessun messaggio da leggere
Saperda carcharias (Linnaeus, 1758) - Cerambycidae
9.IV.2012 - ITALIA - Marche - AN
Allegato(i) Dettagli della specie
Saperda carcharias (Linnaeus, 1758)
Cerambycidae

[ Vai alla paginaVai alla pagina: 1, 2, 3 ]



9.IV.2012 - ITALIA - Marche - AN
Coleoptera

StagBeetle

30

6044

20/12/2012, 23:25

StagBeetle Vedi ultimo messaggio

Nessun messaggio da leggere
Allegato(i) Dettagli della specie
Agapanthia (Agapanthia) suturalis (Fabricius, 1787) cf.
Cerambycidae


23.IV.2012 - SPAGNA - EE
Coleoptera

matthew gandy

1

937

20/12/2012, 0:11

Seraph Vedi ultimo messaggio

Nessun messaggio da leggere
Aegosoma scabricorne (Scopoli, 1763) cf. - Cerambycidae
10.XII.2012 - ITALIA - Lazio - RM
Allegato(i) Dettagli della specie
Aegosoma scabricorne (Scopoli, 1763) cf.
Cerambycidae


10.XII.2012 - ITALIA - Lazio - RM
Coleoptera

soken

11

2926

19/12/2012, 21:38

Entomarci Vedi ultimo messaggio

Nessun messaggio da leggere
Allegato(i)
Gnathoenia sp. - Cerambycidae Lamiinae Ceroplesini
Cerambycidae


XII.2000 - CAMERUN - EE
Coleoptera

Daniele Sechi

12

3046

19/12/2012, 20:46

Daniele Sechi Vedi ultimo messaggio

Nessun messaggio da leggere
Allegato(i)
Paracorymbia tonsa (K. et J.Daniel, 1891) - Cerambycidae
Cerambycidae


22.VII.2012 - AZERBAIJAN - EE
Coleoptera

cosmln

2

1140

18/12/2012, 11:22

cosmln Vedi ultimo messaggio

Nessun messaggio da leggere
Allegato(i)
Dorcadion (Pedestredorcadion) nobile Hampe, 1852 - Cerambycidae Lamiinae Dorcadionini
Cerambycidae


15.V.1988 - TURCHIA - EE
Coleoptera

Daniele Sechi

3

868

18/12/2012, 11:16

Daniele Sechi Vedi ultimo messaggio

Nessun messaggio da leggere
Allegato(i)
Iberodorcadion (Baeticodorcadion) mucidum mucidum (Dalman, 1817) ♀ - Cerambycidae

17.IV.2012 - SPAGNA - EE
Coleoptera

matthew gandy

5

1134

17/12/2012, 19:46

matthew gandy Vedi ultimo messaggio

Nessun messaggio da leggere
Allegato(i)
Dorcadion (Pedestredorcadion) bangi Heyden, 1894
Cerambycidae


2.V.2011 - TURCHIA - EE
Coleoptera

cosmln

8

1563

17/12/2012, 17:54

Phytoecia Vedi ultimo messaggio

Nessun messaggio da leggere
Parmena algirica Laporte, 1840 - Cerambycidae
19.IV.2012 - SPAGNA - EE
Allegato(i) Dettagli della specie
Parmena algirica Laporte, 1840
Cerambycidae


19.IV.2012 - SPAGNA - EE
Coleoptera

matthew gandy

4

1476

16/12/2012, 19:56

matthew gandy Vedi ultimo messaggio

Nessun messaggio da leggere
Allegato(i)
Helladia praetextata praetextata (Steven, 1817) - Cerambycidae
Cerambycidae


26.V.2010 - BULGARIA - EE
Coleoptera

cosmln

2

1471

15/12/2012, 23:22

cosmln Vedi ultimo messaggio

Nessun messaggio da leggere
Allegato(i)
Epepeotes ambigenus ambigenus (Chevrolat, 1841) - Cerambycidae
Cerambycidae


VIII.2010 - FILIPPINE - EE
Coleoptera

Andricus

6

1672

15/12/2012, 16:21

Andricus Vedi ultimo messaggio

Nessun messaggio da leggere
Tithoes confinis (Laporte de Castelnau, 1840) - Cerambycidae
11.X.2006 - TANZANIA, REPUBBLICA UNITA DI - EE
Allegato(i)
Tithoes confinis (Laporte de Castelnau, 1840) - Cerambycidae
Cerambycidae


11.X.2006 - TANZANIA, REPUBBLICA UNITA DI - EE
Coleoptera

cosmln

3

1799

13/12/2012, 19:24

Enrico Ruzzier Vedi ultimo messaggio

Nessun messaggio da leggere
Allegato(i)
Phytoecia erythrocnema Lucas, 1849 - Cerambycidae

30.V.2012 - MAROCCO - EE
Coleoptera

Sleepy Moose

5

1215

13/12/2012, 14:20

Sleepy Moose Vedi ultimo messaggio

Nessun messaggio da leggere
Allegato(i) Dettagli della specie
Agapanthia (Agapanthia) suturalis (Fabricius, 1787)
Cerambycidae


30.V.2012 - MAROCCO - EE
Coleoptera

Sleepy Moose

5

1380

13/12/2012, 14:20

Sleepy Moose Vedi ultimo messaggio

Nessun messaggio da leggere
Allegato(i) Dettagli della specie
Stenopterus ater (Linnaeus, 1767)
Cerambycidae


6.VI.2012 - MAROCCO - EE
Coleoptera

Sleepy Moose

6

1663

13/12/2012, 14:17

Sleepy Moose Vedi ultimo messaggio

Nessun messaggio da leggere
Allegato(i)
Iberodorcadion (Hispanodorcadion) neilense (Escalera, 1902) - Cerambycidae
Cerambycidae


23.V.1998 - SPAGNA - EE
Coleoptera

Daniele Sechi

5

1453

13/12/2012, 9:56

Malpertuis Vedi ultimo messaggio

Nessun messaggio da leggere
Allegato(i)
Rhinophthalmus parvus McKeown, 1942 - Cerambycidae Cerambycinae Uracanthini
Cerambycidae


XII.2000 - AUSTRALIA - EE
Coleoptera

Daniele Sechi

12

3008

09/12/2012, 12:48

Daniele Sechi Vedi ultimo messaggio

Nessun messaggio da leggere
Allegato(i)
Iberodorcadion (Hispanodorcadion) neilense (Escalera, 1902) - Cerambycidae Lamiinae Dorcadionini
Cerambycidae


3.VI.1985 - SPAGNA - EE
Coleoptera

Daniele Sechi

5

1579

08/12/2012, 18:29

Daniele Sechi Vedi ultimo messaggio

Nessun messaggio da leggere
Pachyta quadrimaculata (Linnaeus, 1758) - Cerambycidae
11.VII.2012 - ITALIA - Friuli-Venezia Giulia - UD
Allegato(i) Dettagli della specie
Pachyta quadrimaculata (Linnaeus, 1758)
Cerambycidae


11.VII.2012 - ITALIA - Friuli-Venezia Giulia - UD
Coleoptera

Francesco Cassulo

3

1766

07/12/2012, 16:33

Francesco Cassulo Vedi ultimo messaggio

Nessun messaggio da leggere
Allegato(i) Dettagli della specie
Xylosteus spinolae Frivaldszky, 1837
Cerambycidae


3.XI.2012 - SLOVENIA - EE
Coleoptera

michele.carraretto

7

2417

04/12/2012, 14:55

Entomarci Vedi ultimo messaggio

Nessun messaggio da leggere
Allegato(i)
Monochamus (Anthores) leuconotus (Pascoe, 1869) - Cerambycidae Lamiinae Monochamini
Cerambycidae


I.2001 - TANZANIA, REPUBBLICA UNITA DI - EE
Coleoptera

Daniele Sechi

12

3900

01/12/2012, 23:09

Julodis Vedi ultimo messaggio

Nessun messaggio da leggere
Prinobius myardi myardi Mulsant, 1842 - Cerambycidae
28.VII.2012 - ITALIA - Lazio - RM
Allegato(i) Dettagli della specie
Prinobius myardi myardi Mulsant, 1842
Cerambycidae


28.VII.2012 - ITALIA - Lazio - RM
Coleoptera

Goliathus

6

2137

01/12/2012, 21:54

Julodis Vedi ultimo messaggio

Nessun messaggio da leggere
Allegato(i)
Ptychodes politus Audinet-Serville, 1835 - Cerambycidae Lamiinae Monochamini
Cerambycidae


VIII.2003 - MESSICO - EE
Coleoptera

Daniele Sechi

7

1935

30/11/2012, 21:52

Daniele Sechi Vedi ultimo messaggio

Nessun messaggio da leggere
Allegato(i)
Ischnocnemis similis Chemsak & Noguera, 1997 - Cerambycidae Cerambycinae Trachyderini
Cerambycidae


15.IX.2002 - MESSICO - EE
Coleoptera

Daniele Sechi

2

1215

30/11/2012, 21:48

Daniele Sechi Vedi ultimo messaggio

Nessun messaggio da leggere
Allegato(i)
Stenopterus mauritanicus Lucas, 1846 - Cerambycidae Cerambycinae Stenopterini
Cerambycidae


6.VI.2012 - MAROCCO - EE
Coleoptera

Sleepy Moose

2

954

30/11/2012, 15:28

Sleepy Moose Vedi ultimo messaggio

Visualizza ultimi argomenti:  Ordina per  Ordine:  
nuovo argomento
Vai alla pagina Precedente  1 ... 51, 52, 53, 54, 55, 56, 57 ... 103  Prossimo
Pagina 54 di 103 [ 5109 argomenti ]

Tutti gli orari sono UTC + 1 ora [ ora legale ]


Chi c’è in linea

Visitano il forum: Nessuno e 4 ospiti


Legenda
Messaggi da leggere Messaggi da leggere Nessun messaggio da leggere Nessun messaggio da leggere Annuncio Annuncio
 
Specie indeterminata / discussione generica
Messaggi non letti [ Popolari ] Messaggi non letti [ Popolari ] Nessun messaggio da leggere [ Popolare ] Nessun messaggio da leggere [ Popolare ] Importante Importante
 
Specie determinata fino al genere o cf.
Messaggi non letti [ Bloccati ] Messaggi non letti [ Bloccati ] No messaggi non letti [ Bloccati ] No messaggi non letti [ Bloccati ] Argomento spostato Argomento spostato
 
Specie correttamente determinata
Permessi
Non puoi aprire nuovi argomenti
Non puoi rispondere negli argomenti
Non puoi modificare i tuoi messaggi
Non puoi cancellare i tuoi messaggi
Non puoi inviare allegati

Cerca per:
Vai a: