Benvenuto Ospite

Forum Entomologi Italiani

www.entomologiitaliani.net/forum
 
Oggi è 24/02/2026, 15:21

Tutti gli orari sono UTC + 1 ora [ ora legale ]


92% 
2927 taxa correttamente determinati su 3181 presenti in archivio

Cerambycidae


[ AFROTROPICALE ] [ ANTARTICO ] [ AUSTRALASIANO ] [ NEARTICO ] [ NEOTROPICALE ] [ ORIENTALE ] [ PALEARTICO ]


nuovo argomento
Vai alla pagina Precedente  1 ... 53, 54, 55, 56, 57, 58, 59 ... 103  Prossimo
Pagina 56 di 103 [ 5107 argomenti ]
 Argomenti   Ordine   Autore   Risposte   Visite    Ultimo messaggio 
Annunci
Nessun messaggio da leggere
Allegato(i)
Incontri entomologici della Società Entomologica Italiana 2025-2026
 

Velvet Ant

0

28744

17/11/2025, 19:41

Velvet Ant Vedi ultimo messaggio

Nessun messaggio da leggere
Allegato(i)
Incontri entomologici telematici organizzati dalla Società Entomologica Italiana nel 2022 e nel 2023

[ Vai alla paginaVai alla pagina: 1, 2, 3 ]

 

Velvet Ant

44

1835750

03/03/2023, 15:55

Velvet Ant Vedi ultimo messaggio

Nessun messaggio da leggere  
Allegato(i)
Sondaggio sul declino dell'entomofauna in Italia

[ Vai alla paginaVai alla pagina: 1, 2, 3, 4 ]

 

Velvet Ant

52

2478605

22/10/2022, 19:18

Acquarius Vedi ultimo messaggio

Nessun messaggio da leggere  
Allegato(i)
Progetto: Bibliografia ragionata dei lavori entomologici nei quali sono citati reperti apparsi su FEI

[ Vai alla paginaVai alla pagina: 1, 2, 3 ]

 

Velvet Ant

33

1474864

06/07/2023, 18:31

Orotrechus Vedi ultimo messaggio

Nessun messaggio da leggere
Allegato(i)
Mimesi, il primo documentario cinematografico sull’entomologia in Italia: casting
 

mazzeip

1

1110185

28/02/2019, 20:26

mazzeip Vedi ultimo messaggio

Questo argomento è bloccato, non puoi modificare o inviare ulteriori messaggi.
Allegato(i)
ISTRUZIONI PUBBLICAZIONE NUOVI ARGOMENTI E FOTO

 
Altri Ordini di Insetti

Julodis

4

2917106

13/05/2015, 19:37

Julodis Vedi ultimo messaggio

Nessun messaggio da leggere
Allegato(i)
Limitatore giornaliero di messaggi, uno strumento utile e ormai indispensabile

[ Vai alla paginaVai alla pagina: 1 ... 14, 15, 16 ]

 

Velvet Ant

233

13045606

25/09/2014, 14:31

Inachis Vedi ultimo messaggio

Nessun messaggio da leggere  
NORME PER I COLLABORATORI DEL FORUM

 
 

Velvet Ant

0

649890

02/06/2011, 12:05

Velvet Ant Vedi ultimo messaggio

Nessun messaggio da leggere
Allegato(i)
NORME PER GLI UTENTI DEL FORUM

[ Vai alla paginaVai alla pagina: 1, 2, 3 ]



 
 

Velvet Ant

30

3589933

23/09/2014, 23:54

Maurizio Bollino Vedi ultimo messaggio

Questo argomento è bloccato, non puoi modificare o inviare ulteriori messaggi.  
Elenco delle specie italiane di Cerambycidae presenti sul forum
Cerambycidae


 
Coleoptera

Plagionotus

0

6278

22/11/2010, 22:28

Plagionotus Vedi ultimo messaggio

Nessun messaggio da leggere  
Lista degli utenti del "Forum entomologi italiani" per campi di interesse e specializzazione

 
Altri Ordini di Insetti

Velvet Ant

13

1061471

07/09/2023, 17:14

Roberto-07 Vedi ultimo messaggio

Argomenti
Nessun messaggio da leggere
Stenurella nigra (Linnaeus, 1758) - Cerambycidae
13.V.2012 - ITALIA - Toscana - PI
Allegato(i) Dettagli della specie
Stenurella nigra (Linnaeus, 1758)
Cerambycidae


13.V.2012 - ITALIA - Toscana - PI
Coleoptera

Stefano79

2

1033

14/10/2012, 23:50

Stefano79 Vedi ultimo messaggio

Nessun messaggio da leggere
Phymatodes testaceus (Linnaeus, 1758) - Cerambycidae
2.VI.2012 - ITALIA - Toscana - PI
Allegato(i) Dettagli della specie
Phymatodes testaceus (Linnaeus, 1758)
Cerambycidae


2.VI.2012 - ITALIA - Toscana - PI
Coleoptera

Stefano79

3

1287

14/10/2012, 23:48

Stefano79 Vedi ultimo messaggio

Nessun messaggio da leggere
Callimus abdominalis (Olivier, 1795) - Cerambycidae
13.V.2012 - ITALIA - Toscana - PI
Allegato(i) Dettagli della specie
Callimus abdominalis (Olivier, 1795)
Cerambycidae


13.V.2012 - ITALIA - Toscana - PI
Coleoptera

Stefano79

2

1197

14/10/2012, 23:47

Stefano79 Vedi ultimo messaggio

Nessun messaggio da leggere
Oberea (Oberea) oculata (Linnaeus, 1758) - Cerambycidae
11.X.2012 - ITALIA - Abruzzo - PE
Allegato(i) Dettagli della specie
Oberea (Oberea) oculata (Linnaeus, 1758)
Cerambycidae

[ Vai alla paginaVai alla pagina: 1, 2 ]



11.X.2012 - ITALIA - Abruzzo - PE
Coleoptera

Alessio89

23

4308

14/10/2012, 11:57

Alessio89 Vedi ultimo messaggio

Nessun messaggio da leggere
Schurmannia sicula Sama, 1979 - Cerambycidae
IV.2011 - ITALIA - Sicilia - PA
Allegato(i) Dettagli della specie
Schurmannia sicula Sama, 1979
Cerambycidae


IV.2011 - ITALIA - Sicilia - PA
Coleoptera

Entomarci

11

2457

13/10/2012, 21:19

Entomarci Vedi ultimo messaggio

Nessun messaggio da leggere
Stenopterus rufus rufus (Linnaeus, 1767) - Cerambycidae
19.V.2011 - ITALIA - Lazio - RM
Allegato(i) Dettagli della specie
Stenopterus rufus rufus (Linnaeus, 1767)
Cerambycidae


19.V.2011 - ITALIA - Lazio - RM
Coleoptera

soken

2

1055

13/10/2012, 11:32

Maura Vedi ultimo messaggio

Nessun messaggio da leggere
Psacothea hilaris (Pascoe, 1858) - Cerambycidae
7.X.2012 - ITALIA - Lombardia - CO
Allegato(i) Dettagli della specie
Psacothea hilaris (Pascoe, 1858)
Cerambycidae


7.X.2012 - ITALIA - Lombardia - CO
Coleoptera

enneaccatre

6

1474

11/10/2012, 15:00

Julodis Vedi ultimo messaggio

Nessun messaggio da leggere
Deilus fugax (Olivier, 1790) - Cerambycidae
12.V.2012 - ITALIA - Toscana - PI
Allegato(i) Dettagli della specie
Deilus fugax (Olivier, 1790)
Cerambycidae


12.V.2012 - ITALIA - Toscana - PI
Coleoptera

Stefano79

1

783

11/10/2012, 14:49

Mikiphasmide Vedi ultimo messaggio

Nessun messaggio da leggere
Phymatodes testaceus (Linnaeus, 1758) - Cerambycidae
28.V.2012 - ITALIA - Toscana - PI
Allegato(i) Dettagli della specie
Phymatodes testaceus (Linnaeus, 1758)
Cerambycidae


28.V.2012 - ITALIA - Toscana - PI
Coleoptera

Stefano79

1

778

11/10/2012, 14:48

Mikiphasmide Vedi ultimo messaggio

Nessun messaggio da leggere
Phytoecia cylindrica (Linnaeus, 1758) - Cerambycidae
13.V.2012 - ITALIA - Toscana - PI
Allegato(i) Dettagli della specie
Phytoecia cylindrica (Linnaeus, 1758)
Cerambycidae


13.V.2012 - ITALIA - Toscana - PI
Coleoptera

Stefano79

3

1102

10/10/2012, 17:41

Stefano79 Vedi ultimo messaggio

Nessun messaggio da leggere
Calamobius filum (Rossi, 1790) - Cerambycidae
13.V.2012 - ITALIA - Toscana - PI
Allegato(i) Dettagli della specie
Calamobius filum (Rossi, 1790)
Cerambycidae


13.V.2012 - ITALIA - Toscana - PI
Coleoptera

Stefano79

2

887

10/10/2012, 17:18

Stefano79 Vedi ultimo messaggio

Nessun messaggio da leggere
Allegato(i) Dettagli della specie
Grammoptera ruficornis ruficornis (Fabricius, 1781)
Cerambycidae


19.V.2012 - ITALIA - Lazio - FR
Coleoptera

Goliathus

4

1027

10/10/2012, 9:34

f.izzillo Vedi ultimo messaggio

Nessun messaggio da leggere
Allegato(i) Dettagli della specie
Xylotrechus (Xylotrechus) antilope antilope (Schöenherr, 1817)
Cerambycidae


22.VII.2011 - SPAGNA - EE
Coleoptera

chus

2

857

10/10/2012, 1:27

chus Vedi ultimo messaggio

Nessun messaggio da leggere
Deilus fugax (Olivier, 1790) - Cerambycidae
13.V.2012 - ITALIA - Toscana - PI
Allegato(i) Dettagli della specie
Deilus fugax (Olivier, 1790)
Cerambycidae


13.V.2012 - ITALIA - Toscana - PI
Coleoptera

Stefano79

2

1065

09/10/2012, 18:21

Stefano79 Vedi ultimo messaggio

Nessun messaggio da leggere
Exocentrus adspersus Mulsant, 1846 - Cerambycidae
23.VI.2012 - ITALIA - Toscana - PI
Allegato(i) Dettagli della specie
Exocentrus adspersus Mulsant, 1846
Cerambycidae


23.VI.2012 - ITALIA - Toscana - PI
Coleoptera

Stefano79

3

1221

09/10/2012, 18:20

Stefano79 Vedi ultimo messaggio

Nessun messaggio da leggere
Herophila tristis tristis (Linnaeus, 1767) - Cerambycidae
V.2012 - ITALIA - Lombardia - LC
Allegato(i) Dettagli della specie
Herophila tristis tristis (Linnaeus, 1767)
Cerambycidae


V.2012 - ITALIA - Lombardia - LC
Coleoptera

sala alfio

4

1597

09/10/2012, 9:39

elleelle Vedi ultimo messaggio

Nessun messaggio da leggere
Vesperus nigellus Compte, 1963 - Cerambycidae
24.IX.2012 - SPAGNA - EE
Allegato(i)
Vesperus nigellus Compte, 1963 - Cerambycidae
Cerambycidae


24.IX.2012 - SPAGNA - EE
Coleoptera

Lenny

4

1288

08/10/2012, 22:46

Lenny Vedi ultimo messaggio

Nessun messaggio da leggere
Allegato(i) Dettagli della specie
Phytoecia icterica icterica (Schaller, 1783)
Cerambycidae


5.X.2012 - ITALIA - Toscana - FI
Coleoptera

Entomarci

6

1706

06/10/2012, 19:13

Lucanus tetraodon Vedi ultimo messaggio

Nessun messaggio da leggere
Arhopalus ferus (Mulsant, 1839) - Cerambycidae
14.VII.2012 - ITALIA - Toscana - LU
Allegato(i) Dettagli della specie
Arhopalus ferus (Mulsant, 1839)
Cerambycidae


14.VII.2012 - ITALIA - Toscana - LU
Coleoptera

Marchino

9

2707

04/10/2012, 21:22

Daniele Sechi Vedi ultimo messaggio

Nessun messaggio da leggere
Vesperus luridus (Rossi, 1794) - Cerambycidae
26.IX.2012 - ITALIA - Lazio - RM
Allegato(i) Dettagli della specie
Vesperus luridus (Rossi, 1794)
Cerambycidae


26.IX.2012 - ITALIA - Lazio - RM
Coleoptera

soken

2

1725

02/10/2012, 21:26

soken Vedi ultimo messaggio

Nessun messaggio da leggere
Pogonocherus hispidus (Linnaeus, 1758) - Cerambycidae
27.V.2012 - ITALIA - Basilicata - PZ
Allegato(i) Dettagli della specie
Pogonocherus hispidus (Linnaeus, 1758)
Cerambycidae


27.V.2012 - ITALIA - Basilicata - PZ
Coleoptera

Umbro

4

1664

28/09/2012, 20:34

Umbro Vedi ultimo messaggio

Nessun messaggio da leggere
Grammoptera abdominalis (Stephens, 1831) - Cerambycidae
12.V.2012 - ITALIA - Umbria - PG
Allegato(i) Dettagli della specie
Grammoptera abdominalis (Stephens, 1831)
Cerambycidae


12.V.2012 - ITALIA - Umbria - PG
Coleoptera

StagBeetle

7

1620

27/09/2012, 20:10

StagBeetle Vedi ultimo messaggio

Nessun messaggio da leggere
Saperda similis Laicharting, 1784 - Cerambycidae
2.VI.2012 - ITALIA - Emilia-Romagna - FC
Allegato(i) Dettagli della specie
Saperda similis Laicharting, 1784
Cerambycidae


2.VI.2012 - ITALIA - Emilia-Romagna - FC
Coleoptera

Semanotus

11

2452

25/09/2012, 22:17

Semanotus Vedi ultimo messaggio

Nessun messaggio da leggere
Saperda carcharias (Linnaeus, 1758) - Cerambycidae
16.VIII.1990 - ITALIA - Emilia-Romagna - FC
Allegato(i) Dettagli della specie
Saperda carcharias (Linnaeus, 1758)
Cerambycidae


16.VIII.1990 - ITALIA - Emilia-Romagna - FC
Coleoptera

Tc70

5

1456

25/09/2012, 18:46

michele.carraretto Vedi ultimo messaggio

Nessun messaggio da leggere
Allegato(i) Dettagli della specie
Agapanthia (Agapanthia) suturalis (Fabricius, 1787) cf.
Cerambycidae


20.IV.2012 - ITALIA - Lazio - RM
Coleoptera

Fabio Turchetti

6

1866

25/09/2012, 14:57

Plagionotus Vedi ultimo messaggio

Nessun messaggio da leggere
Trichoferus holosericeus (Rossi, 1790) - Cerambycidae
VII.1996 - ITALIA - Sardegna - CA
Allegato(i) Dettagli della specie
Trichoferus holosericeus (Rossi, 1790)
Cerambycidae


VII.1996 - ITALIA - Sardegna - CA
Coleoptera

Daniele Sechi

1

1083

25/09/2012, 0:46

Xylotrechus Vedi ultimo messaggio

Nessun messaggio da leggere
Allegato(i) Dettagli della specie
Trichoferus griseus (Fabricius, 1792)
Cerambycidae


7.VI.1999 - SPAGNA - EE
Coleoptera

Daniele Sechi

0

973

24/09/2012, 23:30

Daniele Sechi Vedi ultimo messaggio

Nessun messaggio da leggere
Parmena pubescens pubescens (Dalman, 1817) - Cerambycidae
20.IX.2012 - ITALIA - Sicilia - PA
Allegato(i) Dettagli della specie
Parmena pubescens pubescens (Dalman, 1817)
Cerambycidae


20.IX.2012 - ITALIA - Sicilia - PA
Coleoptera

Marco Ferrante

10

2401

23/09/2012, 19:34

FORBIX Vedi ultimo messaggio

Nessun messaggio da leggere
Neoclytus acuminatus (Fabricius, 1775) - Cerambycidae
25.V.2012 - ITALIA - Piemonte - CN
Allegato(i) Dettagli della specie
Neoclytus acuminatus (Fabricius, 1775)
Cerambycidae


25.V.2012 - ITALIA - Piemonte - CN
Coleoptera

Davide

1

1030

22/09/2012, 17:46

Julodis Vedi ultimo messaggio

Nessun messaggio da leggere
Trichoferus pallidus (Olivier, 1790)
1.VIII.2006 - GRECIA - EE
Allegato(i)
Trichoferus pallidus (Olivier, 1790)
Cerambycidae


1.VIII.2006 - GRECIA - EE
Coleoptera

Daniele Sechi

3

1040

21/09/2012, 20:43

Entomarci Vedi ultimo messaggio

Nessun messaggio da leggere
Trichoferus spartii (G. Müller, 1948) - Cerambycidae
10.VIII.2003 - ITALIA - Abruzzo - CH
Allegato(i) Dettagli della specie
Trichoferus spartii (G. Müller, 1948)
Cerambycidae


10.VIII.2003 - ITALIA - Abruzzo - CH
Coleoptera

Daniele Sechi

0

987

21/09/2012, 18:44

Daniele Sechi Vedi ultimo messaggio

Nessun messaggio da leggere
Morimus asper asper (Sulzer, 1776) - Cerambycidae
14.IX.2012 - ITALIA - Lombardia - VA
Allegato(i) Dettagli della specie
Morimus asper asper (Sulzer, 1776)
Cerambycidae


14.IX.2012 - ITALIA - Lombardia - VA
Coleoptera

Xylotrechus

10

3877

20/09/2012, 9:35

Xylotrechus Vedi ultimo messaggio

Nessun messaggio da leggere
Allegato(i) Dettagli della specie
Trichoferus holosericeus (Rossi, 1790)
Cerambycidae


10.IX.2012 - SVIZZERA - EE
Coleoptera

Sibisibisuclubub

2

1093

19/09/2012, 9:06

Sibisibisuclubub Vedi ultimo messaggio

Nessun messaggio da leggere
Trichoferus magnanii Sama, 1992
10.VII.2012 - SPAGNA - EE
Allegato(i)
Trichoferus magnanii Sama, 1992
Cerambycidae


10.VII.2012 - SPAGNA - EE
Coleoptera

Antonio Verdugo

6

1516

18/09/2012, 20:03

Antonio Verdugo Vedi ultimo messaggio

Nessun messaggio da leggere
Allegato(i) Dettagli della specie
Stenocorus (Stenocorus) meridianus (Linnaeus, 1758)
Cerambycidae


15.VII.2012 - ITALIA - Veneto - BL
Coleoptera

Jacopo

9

2052

18/09/2012, 17:15

Sleepy Moose Vedi ultimo messaggio

Nessun messaggio da leggere
Allegato(i) Dettagli della specie
Agapanthia (Agapanthia) violacea (Fabricius, 1775)
Cerambycidae


13.V.2012 - ITALIA - Lazio - RM
Coleoptera

Goliathus

2

1063

18/09/2012, 11:57

Goliathus Vedi ultimo messaggio

Nessun messaggio da leggere
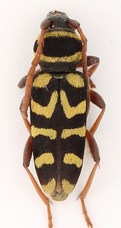
Gaurotes (Carilia) virginea (Linnaeus, 1758) - Cerambycidae
15.VII.2012 - ITALIA - Veneto - BL
Allegato(i) Dettagli della specie
Gaurotes (Carilia) virginea (Linnaeus, 1758)
Cerambycidae


15.VII.2012 - ITALIA - Veneto - BL
Coleoptera

Jacopo

8

1936

17/09/2012, 23:45

Jacopo Vedi ultimo messaggio

Nessun messaggio da leggere
Trichoferus griseus (Fabricius, 1792) - Cerambycidae
25.VIII.2012 - ITALIA - Marche - AN
Allegato(i) Dettagli della specie
Trichoferus griseus (Fabricius, 1792)
Cerambycidae

[ Vai alla paginaVai alla pagina: 1, 2 ]



25.VIII.2012 - ITALIA - Marche - AN
Coleoptera

StagBeetle

22

3958

17/09/2012, 20:54

Entomarci Vedi ultimo messaggio

Nessun messaggio da leggere
Allegato(i) Dettagli della specie
Rhagium (Rhagium) inquisitor inquisitor (Linnaeus, 1758)
Cerambycidae


17.IX.2012 - ITALIA - Lombardia - CO
Coleoptera

Xylotrechus

10

2390

17/09/2012, 18:30

cosmln Vedi ultimo messaggio

Nessun messaggio da leggere
Trichoferus holosericeus (Rossi, 1790) - Cerambycidae
24.VII.2012 - ITALIA - Toscana - LI
Allegato(i) Dettagli della specie
Trichoferus holosericeus (Rossi, 1790)
Cerambycidae


24.VII.2012 - ITALIA - Toscana - LI
Coleoptera

FORBIX

7

1912

17/09/2012, 14:54

Xylosteus Vedi ultimo messaggio

Nessun messaggio da leggere
Psacothea hilaris (Pascoe, 1858) - Cerambycidae
12.VIII.2012 - ITALIA - Lombardia - CO
Allegato(i) Dettagli della specie
Psacothea hilaris (Pascoe, 1858)
Cerambycidae

[ Vai alla paginaVai alla pagina: 1, 2 ]



12.VIII.2012 - ITALIA - Lombardia - CO
Coleoptera

Lele

18

3406

17/09/2012, 0:10

Daniele Maccapani Vedi ultimo messaggio

Nessun messaggio da leggere
Allegato(i) Dettagli della specie
Niphona picticornis Mulsant, 1839
Cerambycidae


V.2010 - GRECIA - EE
Coleoptera

cosmln

8

1762

16/09/2012, 9:07

hpl Vedi ultimo messaggio

Nessun messaggio da leggere
Vesperus luridus (Rossi, 1794) - Cerambycidae
12.IX.2012 - ITALIA - Sardegna - SS
Allegato(i) Dettagli della specie
Vesperus luridus (Rossi, 1794)
Cerambycidae


12.IX.2012 - ITALIA - Sardegna - SS
Coleoptera

behemot

4

1767

15/09/2012, 10:16

behemot Vedi ultimo messaggio

Nessun messaggio da leggere
Plagionotus scalaris (Brullé, 1832) - Cerambycidae
19.VI.2012 - ITALIA - Basilicata - PZ
Allegato(i) Dettagli della specie
Plagionotus scalaris (Brullé, 1832)
Cerambycidae


19.VI.2012 - ITALIA - Basilicata - PZ
Coleoptera

Mimmo011

4

1302

14/09/2012, 20:42

Mimmo011 Vedi ultimo messaggio

Nessun messaggio da leggere
Chlorophorus sartor (O. F. Müller, 1766) - Cerambycidae
18.VI.2012 - ITALIA - Basilicata - PZ
Allegato(i) Dettagli della specie
Chlorophorus sartor (O. F. Müller, 1766)
Cerambycidae


18.VI.2012 - ITALIA - Basilicata - PZ
Coleoptera

Mimmo011

3

1105

14/09/2012, 15:21

Mimmo011 Vedi ultimo messaggio

Nessun messaggio da leggere
Cortodera holosericea (Fabricius, 1801) - Cerambycidae
14.VI.2012 - ITALIA - Marche - MC
Allegato(i) Dettagli della specie
Cortodera holosericea (Fabricius, 1801)
Cerambycidae

[ Vai alla paginaVai alla pagina: 1, 2 ]



14.VI.2012 - ITALIA - Marche - MC
Coleoptera

giovanni carotti

15

3616

14/09/2012, 13:00

dorbodervus Vedi ultimo messaggio

Nessun messaggio da leggere
Clytus rhamni Germar, 1817 - Cerambycidae
22.V.2012 - ITALIA - Puglia - BA
Allegato(i) Dettagli della specie
Clytus rhamni Germar, 1817
Cerambycidae


22.V.2012 - ITALIA - Puglia - BA
Coleoptera

Mimmo011

2

1001

12/09/2012, 22:12

Mimmo011 Vedi ultimo messaggio

Nessun messaggio da leggere
Allegato(i) Dettagli della specie
Trichoferus fasciculatus fasciculatus (Faldermann, 1837)
Cerambycidae


20.VIII.2010 - ITALIA - Sardegna - CA
Coleoptera

Daniele Sechi

1

928

12/09/2012, 16:54

FORBIX Vedi ultimo messaggio

Nessun messaggio da leggere
Stenurella nigra (Linnaeus, 1758) - Cerambycidae
22.V.2012 - ITALIA - Puglia - BA
Allegato(i) Dettagli della specie
Stenurella nigra (Linnaeus, 1758)
Cerambycidae


22.V.2012 - ITALIA - Puglia - BA
Coleoptera

Mimmo011

6

1536

11/09/2012, 22:08

Mimmo011 Vedi ultimo messaggio

Nessun messaggio da leggere
Trichoferus arenbergeri Holzschuh, 1995 - Cerambycidae
10.VI.2010 - ITALIA - Sardegna - CI
Allegato(i) Dettagli della specie
Trichoferus arenbergeri Holzschuh, 1995
Cerambycidae


10.VI.2010 - ITALIA - Sardegna - CI
Coleoptera

Daniele Sechi

9

2601

11/09/2012, 16:28

marco paglialunga Vedi ultimo messaggio

Visualizza ultimi argomenti:  Ordina per  Ordine:  
nuovo argomento
Vai alla pagina Precedente  1 ... 53, 54, 55, 56, 57, 58, 59 ... 103  Prossimo
Pagina 56 di 103 [ 5107 argomenti ]

Tutti gli orari sono UTC + 1 ora [ ora legale ]


Chi c’è in linea

Visitano il forum: Nessuno e 2 ospiti


Legenda
Messaggi da leggere Messaggi da leggere Nessun messaggio da leggere Nessun messaggio da leggere Annuncio Annuncio
 
Specie indeterminata / discussione generica
Messaggi non letti [ Popolari ] Messaggi non letti [ Popolari ] Nessun messaggio da leggere [ Popolare ] Nessun messaggio da leggere [ Popolare ] Importante Importante
 
Specie determinata fino al genere o cf.
Messaggi non letti [ Bloccati ] Messaggi non letti [ Bloccati ] No messaggi non letti [ Bloccati ] No messaggi non letti [ Bloccati ] Argomento spostato Argomento spostato
 
Specie correttamente determinata
Permessi
Non puoi aprire nuovi argomenti
Non puoi rispondere negli argomenti
Non puoi modificare i tuoi messaggi
Non puoi cancellare i tuoi messaggi
Non puoi inviare allegati

Cerca per:
Vai a: