Benvenuto Ospite

Forum Entomologi Italiani

www.entomologiitaliani.net/forum
 
Oggi è 24/04/2026, 0:22

Tutti gli orari sono UTC + 1 ora [ ora legale ]


100%
2928 taxa correttamente determinati su 2929 presenti in archivio

Cerambycidae


[ AFROTROPICALE ] [ ANTARTICO ] [ AUSTRALASIANO ] [ NEARTICO ] [ NEOTROPICALE ] [ ORIENTALE ] [ PALEARTICO ]


nuovo argomento
Vai alla pagina Precedente  1 ... 4, 5, 6, 7, 8, 9, 10 ... 59  Prossimo
Pagina 7 di 59 [ 2929 argomenti ]
 Argomenti   Ordine   Autore   Risposte   Visite    Ultimo messaggio 
Annunci
Nessun messaggio da leggere
Allegato(i)
Incontri entomologici della Società Entomologica Italiana 2025-2026
 

Velvet Ant

0

50686

17/11/2025, 19:41

Velvet Ant Vedi ultimo messaggio

Nessun messaggio da leggere
Allegato(i)
Incontri entomologici telematici organizzati dalla Società Entomologica Italiana nel 2022 e nel 2023

[ Vai alla paginaVai alla pagina: 1, 2, 3 ]

 

Velvet Ant

44

2015630

03/03/2023, 15:55

Velvet Ant Vedi ultimo messaggio

Nessun messaggio da leggere  
Allegato(i)
Sondaggio sul declino dell'entomofauna in Italia

[ Vai alla paginaVai alla pagina: 1, 2, 3, 4 ]

 

Velvet Ant

52

2688918

22/10/2022, 19:18

Acquarius Vedi ultimo messaggio

Nessun messaggio da leggere  
Allegato(i)
Progetto: Bibliografia ragionata dei lavori entomologici nei quali sono citati reperti apparsi su FEI

[ Vai alla paginaVai alla pagina: 1, 2, 3 ]

 

Velvet Ant

33

1617449

06/07/2023, 18:31

Orotrechus Vedi ultimo messaggio

Nessun messaggio da leggere
Allegato(i)
Mimesi, il primo documentario cinematografico sull’entomologia in Italia: casting
 

mazzeip

1

1139276

28/02/2019, 20:26

mazzeip Vedi ultimo messaggio

Questo argomento è bloccato, non puoi modificare o inviare ulteriori messaggi.
Allegato(i)
ISTRUZIONI PUBBLICAZIONE NUOVI ARGOMENTI E FOTO

 
Altri Ordini di Insetti

Julodis

4

2957074

13/05/2015, 19:37

Julodis Vedi ultimo messaggio

Nessun messaggio da leggere
Allegato(i)
Limitatore giornaliero di messaggi, uno strumento utile e ormai indispensabile

[ Vai alla paginaVai alla pagina: 1 ... 14, 15, 16 ]

 

Velvet Ant

233

13828421

25/09/2014, 14:31

Inachis Vedi ultimo messaggio

Nessun messaggio da leggere  
NORME PER I COLLABORATORI DEL FORUM

 
 

Velvet Ant

0

671924

02/06/2011, 12:05

Velvet Ant Vedi ultimo messaggio

Nessun messaggio da leggere
Allegato(i)
NORME PER GLI UTENTI DEL FORUM

[ Vai alla paginaVai alla pagina: 1, 2, 3 ]



 
 

Velvet Ant

30

3732500

23/09/2014, 23:54

Maurizio Bollino Vedi ultimo messaggio

Questo argomento è bloccato, non puoi modificare o inviare ulteriori messaggi.  
Elenco delle specie italiane di Cerambycidae presenti sul forum
Cerambycidae


 
Coleoptera

Plagionotus

0

6424

22/11/2010, 22:28

Plagionotus Vedi ultimo messaggio

Nessun messaggio da leggere  
Lista degli utenti del "Forum entomologi italiani" per campi di interesse e specializzazione

 
Altri Ordini di Insetti

Velvet Ant

13

1128874

07/09/2023, 17:14

Roberto-07 Vedi ultimo messaggio

Argomenti
Nessun messaggio da leggere
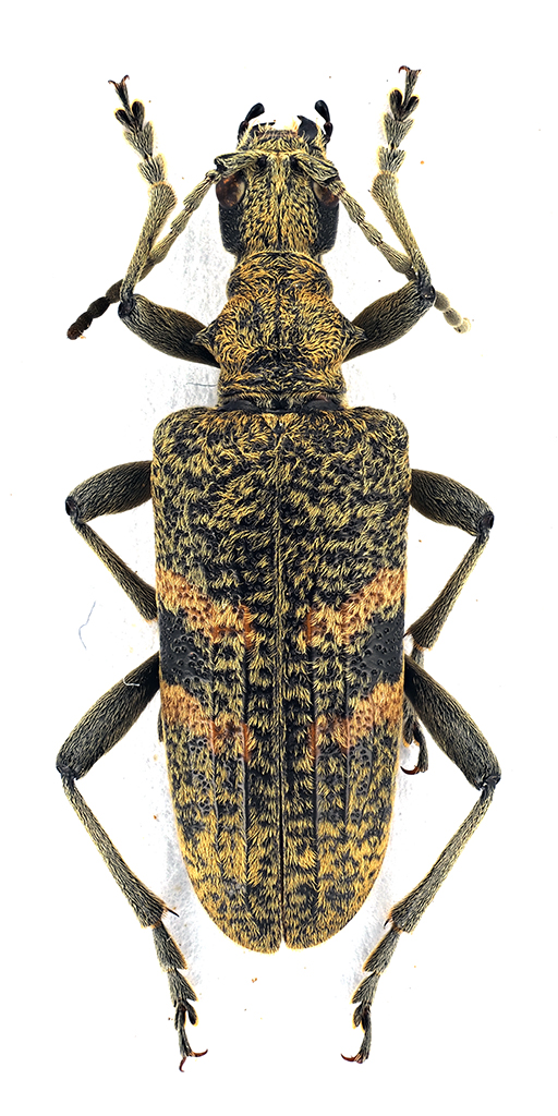
Hesperophanes sericeus (Fabricius, 1787) - Cerambycidae
IX.2009 - ITALIA - Sardegna - SS
Allegato(i) Dettagli della specie
Hesperophanes sericeus (Fabricius, 1787)
Cerambycidae


IX.2009 - ITALIA - Sardegna - SS
Coleoptera

andrea bramanti

13

3266

03/08/2019, 23:24

eurinomio Vedi ultimo messaggio

Nessun messaggio da leggere
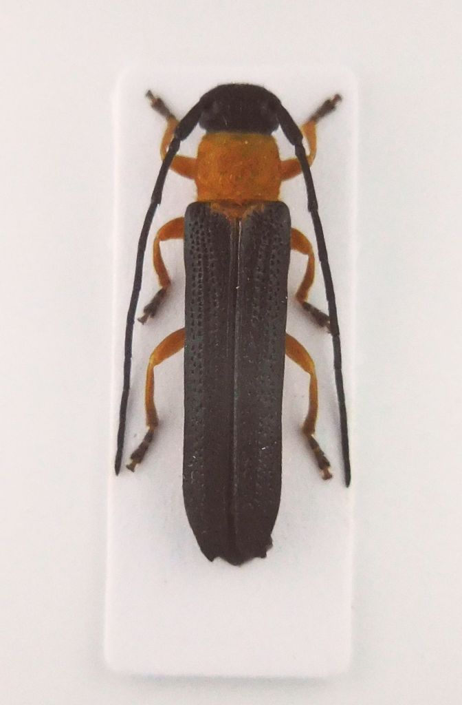
Prinobius myardi myardi Mulsant, 1842 - Cerambycidae
28.VII.2019 - ITALIA - Puglia - LE
Allegato(i) Dettagli della specie
Prinobius myardi myardi Mulsant, 1842
Cerambycidae


28.VII.2019 - ITALIA - Puglia - LE
Coleoptera

martino

6

2148

31/07/2019, 10:17

martino Vedi ultimo messaggio

Nessun messaggio da leggere
Allegato(i) Dettagli della specie
Xylotrechus (Xylotrechus) stebbingi Gahan, 1906
Cerambycidae


26.VII.2019 - ITALIA - Veneto - VI
Coleoptera

DarthJackius

1

1200

27/07/2019, 6:44

Agdistis Vedi ultimo messaggio

Nessun messaggio da leggere
Prionus coriarius (Linnaeus, 1758) - Cerambycidae
2.VII.2019 - ITALIA - Lombardia - MI
Allegato(i) Dettagli della specie
Prionus coriarius (Linnaeus, 1758)
Cerambycidae


2.VII.2019 - ITALIA - Lombardia - MI
Coleoptera

fdany

2

1277

22/07/2019, 22:54

fdany Vedi ultimo messaggio

Nessun messaggio da leggere
Psacothea hilaris (Pascoe, 1858) - Cerambycidae
21.VII.2019 - ITALIA - Lombardia - MB
Allegato(i) Dettagli della specie
Psacothea hilaris (Pascoe, 1858)
Cerambycidae


21.VII.2019 - ITALIA - Lombardia - MB
Coleoptera

Giuseppe

1

1257

22/07/2019, 12:32

Il Baratelli Vedi ultimo messaggio

Nessun messaggio da leggere
Allegato(i) Dettagli della specie
Rosalia (Rosalia) alpina alpina (Linnaeus, 1758)
Cerambycidae


21.VII.2019 - ITALIA - Marche - AP
Coleoptera

StagBeetle

1

1122

21/07/2019, 18:35

Livio Vedi ultimo messaggio

Nessun messaggio da leggere
Chlorophorus glabromaculatus (Goeze, 1777) - Cerambycidae
16.VII.2019 - ITALIA - Lazio - FR
Allegato(i) Dettagli della specie
Chlorophorus glabromaculatus (Goeze, 1777)
Cerambycidae


16.VII.2019 - ITALIA - Lazio - FR
Coleoptera

algeva

1

1162

18/07/2019, 12:51

f.izzillo Vedi ultimo messaggio

Nessun messaggio da leggere
Phytoecia pustulata pustulata (Schrank, 1776) - Cerambycidae
15.VI.2019 - ITALIA - Piemonte - TO
Allegato(i) Dettagli della specie
Phytoecia pustulata pustulata (Schrank, 1776)
Cerambycidae


15.VI.2019 - ITALIA - Piemonte - TO
Coleoptera

checcapitipiti

2

1302

15/07/2019, 19:27

checcapitipiti Vedi ultimo messaggio

Nessun messaggio da leggere
Icosium tomentosum tomentosum Lucas, 1854 - Cerambycidae
11.VII.2019 - ITALIA - Sardegna - OT
Allegato(i) Dettagli della specie
Icosium tomentosum tomentosum Lucas, 1854
Cerambycidae


11.VII.2019 - ITALIA - Sardegna - OT
Coleoptera

elleelle

2

1358

13/07/2019, 15:16

elleelle Vedi ultimo messaggio

Nessun messaggio da leggere
Prionus coriarius (Linnaeus, 1758) - Cerambycidae
30.VI.2019 - ITALIA - Toscana - PI
Allegato(i) Dettagli della specie
Prionus coriarius (Linnaeus, 1758)
Cerambycidae


30.VI.2019 - ITALIA - Toscana - PI
Coleoptera

Stefano79

1

1143

10/07/2019, 18:45

f.izzillo Vedi ultimo messaggio

Nessun messaggio da leggere
Obrium cantharinum (Linnaeus, 1767) - Cerambycidae
29.VI.2019 - ITALIA - Toscana - PI
Allegato(i) Dettagli della specie
Obrium cantharinum (Linnaeus, 1767)
Cerambycidae


29.VI.2019 - ITALIA - Toscana - PI
Coleoptera

Stefano79

2

1234

09/07/2019, 21:10

StagBeetle Vedi ultimo messaggio

Nessun messaggio da leggere
Oberea (Oberea) linearis (Linnaeus, 1760) - Cerambycidae
5.VII.2019 - ITALIA - Emilia-Romagna - RE
Allegato(i) Dettagli della specie
Oberea (Oberea) linearis (Linnaeus, 1760)
Cerambycidae


5.VII.2019 - ITALIA - Emilia-Romagna - RE
Coleoptera

Mikiphasmide

0

1005

08/07/2019, 15:40

Mikiphasmide Vedi ultimo messaggio

Nessun messaggio da leggere
Chlorophorus varius varius (O. F. Müller, 1766) - Cerambycidae
29.VI.2019 - ITALIA - Lombardia - MI
Allegato(i) Dettagli della specie
Chlorophorus varius varius (O. F. Müller, 1766)
Cerambycidae


29.VI.2019 - ITALIA - Lombardia - MI
Coleoptera

carlos

5

1806

02/07/2019, 18:28

carlos Vedi ultimo messaggio

Nessun messaggio da leggere
Aegomorphus clavipes (Schrank, 1781) - Cerambycidae
2.VII.2019 - ITALIA - Molise - IS
Allegato(i) Dettagli della specie
Aegomorphus clavipes (Schrank, 1781)
Cerambycidae


2.VII.2019 - ITALIA - Molise - IS
Coleoptera

Franco ROSSI

2

1392

02/07/2019, 12:25

Franco ROSSI Vedi ultimo messaggio

Nessun messaggio da leggere
Oberea (Oberea) pedemontana Chevrolat, 1856 - Cerambycidae
14.VI.2019 - ITALIA - Emilia-Romagna - RE
Allegato(i) Dettagli della specie
Oberea (Oberea) pedemontana Chevrolat, 1856
Cerambycidae


14.VI.2019 - ITALIA - Emilia-Romagna - RE
Coleoptera

Mikiphasmide

7

2319

01/07/2019, 13:37

Plagionotus Vedi ultimo messaggio

Nessun messaggio da leggere
Oberea (Oberea) oculata (Linnaeus, 1758) - Cerambycidae
15.VI.2019 - ITALIA - Emilia-Romagna - RE
Allegato(i) Dettagli della specie
Oberea (Oberea) oculata (Linnaeus, 1758)
Cerambycidae


15.VI.2019 - ITALIA - Emilia-Romagna - RE
Coleoptera

Mikiphasmide

5

1541

30/06/2019, 11:52

Mikiphasmide Vedi ultimo messaggio

Nessun messaggio da leggere
Xylotrechus (Xylotrechus) stebbingi Gahan, 1906 - Cerambycidae
28.VI.2019 - ITALIA - Emilia-Romagna - RA
Allegato(i) Dettagli della specie
Xylotrechus (Xylotrechus) stebbingi Gahan, 1906
Cerambycidae


28.VI.2019 - ITALIA - Emilia-Romagna - RA
Coleoptera

lucio_A

3

1271

29/06/2019, 10:14

lucio_A Vedi ultimo messaggio

Nessun messaggio da leggere
Cerambyx cerdo cerdo Linnaeus, 1758 - Cerambycidae
4.VI.2019 - ITALIA - Lazio - RM
Allegato(i) Dettagli della specie
Cerambyx cerdo cerdo Linnaeus, 1758
Cerambycidae

[ Vai alla paginaVai alla pagina: 1, 2 ]



4.VI.2019 - ITALIA - Lazio - RM
Coleoptera

soken

17

4362

27/06/2019, 13:55

Nicarinus Vedi ultimo messaggio

Nessun messaggio da leggere
Parmena unifasciata (Rossi, 1790) - Cerambycidae
1.IV.2018 - ITALIA - Lazio - RM
Allegato(i) Dettagli della specie
Parmena unifasciata (Rossi, 1790)
Cerambycidae


1.IV.2018 - ITALIA - Lazio - RM
Coleoptera

soken

2

1238

26/06/2019, 13:27

soken Vedi ultimo messaggio

Nessun messaggio da leggere
Stenopterus ater (Linnaeus, 1767) - Cerambycidae
23.VI.2019 - ITALIA - Molise - IS
Allegato(i) Dettagli della specie
Stenopterus ater (Linnaeus, 1767)
Cerambycidae


23.VI.2019 - ITALIA - Molise - IS
Coleoptera

Franco ROSSI

2

1058

24/06/2019, 11:13

Franco ROSSI Vedi ultimo messaggio

Nessun messaggio da leggere
Rhagium (Megarhagium) mordax (De Geer, 1775) - Cerambycidae
18.VI.2018 - ITALIA - Marche - MC
Allegato(i) Dettagli della specie
Rhagium (Megarhagium) mordax (De Geer, 1775)
Cerambycidae


18.VI.2018 - ITALIA - Marche - MC
Coleoptera

StagBeetle

0

950

23/06/2019, 22:20

StagBeetle Vedi ultimo messaggio

Nessun messaggio da leggere
Agapanthia (Agapanthia) cardui (Linnaeus, 1767) - Cerambycidae
21.VI.2019 - ITALIA - Lombardia - LC
Allegato(i) Dettagli della specie
Agapanthia (Agapanthia) cardui (Linnaeus, 1767)
Cerambycidae


21.VI.2019 - ITALIA - Lombardia - LC
Coleoptera

silviana

0

1084

22/06/2019, 18:22

silviana Vedi ultimo messaggio

Nessun messaggio da leggere
Acanthocinus aedilis (Linnaeus, 1758) - Cerambycidae
16.VI.2019 - ITALIA - Toscana - PO
Allegato(i) Dettagli della specie
Acanthocinus aedilis (Linnaeus, 1758)
Cerambycidae


16.VI.2019 - ITALIA - Toscana - PO
Coleoptera

fabry80

1

1455

21/06/2019, 14:03

Plagionotus Vedi ultimo messaggio

Nessun messaggio da leggere
Allegato(i) Dettagli della specie
Pogonocherus eugeniae eugeniae Ganglbauer, 1891
Cerambycidae


16.VI.2019 - ITALIA - Toscana - PO
Coleoptera

fabry80

3

1523

21/06/2019, 14:02

Plagionotus Vedi ultimo messaggio

Nessun messaggio da leggere
Cerambyx welensii (Küster, 1845) - Cerambycidae
22.VI.2018 - ITALIA - Emilia-Romagna - MO
Allegato(i) Dettagli della specie
Cerambyx welensii (Küster, 1845)
Cerambycidae


22.VI.2018 - ITALIA - Emilia-Romagna - MO
Coleoptera

Pieris

2

1371

17/06/2019, 11:43

Pieris Vedi ultimo messaggio

Nessun messaggio da leggere
Allegato(i) Dettagli della specie
Cerambyx cerdo cerdo Linnaeus, 1758
Cerambycidae


ITALIA - Emilia-Romagna - MO
Coleoptera

Pieris

5

1855

14/06/2019, 19:35

Pieris Vedi ultimo messaggio

Nessun messaggio da leggere
Morimus asper asper (Sulzer, 1776) - Cerambycidae
4.VI.2019 - ITALIA - Trentino-Alto Adige - TN
Allegato(i) Dettagli della specie
Morimus asper asper (Sulzer, 1776)
Cerambycidae


4.VI.2019 - ITALIA - Trentino-Alto Adige - TN
Coleoptera

Syrio

2

1267

13/06/2019, 21:48

Syrio Vedi ultimo messaggio

Nessun messaggio da leggere
Cerambyx cerdo cerdo Linnaeus, 1758 - Cerambycidae
7.VI.2019 - ITALIA - Sicilia - PA
Allegato(i) Dettagli della specie
Cerambyx cerdo cerdo Linnaeus, 1758
Cerambycidae


7.VI.2019 - ITALIA - Sicilia - PA
Coleoptera

Velvet Ant

6

2182

12/06/2019, 19:48

Tc70 Vedi ultimo messaggio

Nessun messaggio da leggere
Morimus asper asper (Sulzer, 1776) - Cerambycidae
23.IV.2019 - ITALIA - Emilia-Romagna - PR
Allegato(i) Dettagli della specie
Morimus asper asper (Sulzer, 1776)
Cerambycidae


23.IV.2019 - ITALIA - Emilia-Romagna - PR
Coleoptera

Pieris

2

1315

11/06/2019, 17:41

Pieris Vedi ultimo messaggio

Nessun messaggio da leggere
Cerambyx welensii (Küster, 1845) - Cerambycidae
11.VI.2019 - ITALIA - Sicilia - PA
Allegato(i) Dettagli della specie
Cerambyx welensii (Küster, 1845)
Cerambycidae


11.VI.2019 - ITALIA - Sicilia - PA
Coleoptera

Velvet Ant

1

1034

10/06/2019, 20:44

Plagionotus Vedi ultimo messaggio

Nessun messaggio da leggere
Callidium aeneum (De Geer, 1775) - Cerambycidae
1.VI.2019 - ITALIA - Trentino-Alto Adige - TN
Allegato(i) Dettagli della specie
Callidium aeneum (De Geer, 1775)
Cerambycidae


1.VI.2019 - ITALIA - Trentino-Alto Adige - TN
Coleoptera

Apoderus

3

1476

08/06/2019, 16:51

Plagionotus Vedi ultimo messaggio

Nessun messaggio da leggere
Allegato(i) Dettagli della specie
Exocentrus punctipennis Mulsant & Guillebeau, 1856
Cerambycidae


6.VI.2019 - ITALIA - Lazio - RM
Coleoptera

elleelle

3

1315

07/06/2019, 11:03

Plagionotus Vedi ultimo messaggio

Nessun messaggio da leggere
Stenopterus rufus rufus (Linnaeus, 1767) - Cerambycidae
30.IV.2019 - ITALIA - Campania - SA
Allegato(i) Dettagli della specie
Stenopterus rufus rufus (Linnaeus, 1767)
Cerambycidae


30.IV.2019 - ITALIA - Campania - SA
Coleoptera

golfopolikayak

8

2229

03/06/2019, 13:55

golfopolikayak Vedi ultimo messaggio

Nessun messaggio da leggere
Morimus asper asper (Sulzer, 1776) - Cerambycidae
25.V.2019 - ITALIA - Piemonte - AL
Allegato(i) Dettagli della specie
Morimus asper asper (Sulzer, 1776)
Cerambycidae


25.V.2019 - ITALIA - Piemonte - AL
Coleoptera

sala alfio

2

1185

30/05/2019, 23:01

sala alfio Vedi ultimo messaggio

Nessun messaggio da leggere
Allegato(i) Dettagli della specie
Agapanthia (Epoptes) villosoviridescens (De Geer, 1775)
Cerambycidae


23.V.2019 - ITALIA - Lombardia - MI
Coleoptera

carlos

2

1374

29/05/2019, 23:08

carlos Vedi ultimo messaggio

Nessun messaggio da leggere
Allegato(i) Dettagli della specie
Pedostrangalia (Pedostrangalia) revestita (Linnaeus, 1767)
Cerambycidae


4.V.2019 - ITALIA - Piemonte - TO
Coleoptera

checcapitipiti

9

2661

29/05/2019, 18:51

AleP Vedi ultimo messaggio

Nessun messaggio da leggere
Cerambyx scopolii scopolii Fuessly, 1775 - Cerambycidae
24.V.2019 - ITALIA - Trentino-Alto Adige - TN
Allegato(i) Dettagli della specie
Cerambyx scopolii scopolii Fuessly, 1775
Cerambycidae


24.V.2019 - ITALIA - Trentino-Alto Adige - TN
Coleoptera

Syrio

2

1169

26/05/2019, 9:58

Syrio Vedi ultimo messaggio

Nessun messaggio da leggere
Saperda octopunctata (Scopoli, 1772) - Cerambycidae
16.V.2019 - ITALIA - Friuli-Venezia Giulia - UD
Allegato(i) Dettagli della specie
Saperda octopunctata (Scopoli, 1772)
Cerambycidae


16.V.2019 - ITALIA - Friuli-Venezia Giulia - UD
Coleoptera

Agdistis

2

1354

17/05/2019, 9:16

Daniele Sechi Vedi ultimo messaggio

Nessun messaggio da leggere
Musaria argus (Frölich, 1793) - Cerambycidae
25.IV.2019 - ITALIA - Friuli-Venezia Giulia - TS
Allegato(i) Dettagli della specie
Musaria argus (Frölich, 1793)
Cerambycidae


25.IV.2019 - ITALIA - Friuli-Venezia Giulia - TS
Coleoptera

Carlo A.

7

2424

14/05/2019, 20:03

Carlo A. Vedi ultimo messaggio

Nessun messaggio da leggere
Pogonocherus hispidus (Linnaeus, 1758) - Cerambycidae
6.IV.2018 - ITALIA - Marche - AN
Allegato(i) Dettagli della specie
Pogonocherus hispidus (Linnaeus, 1758)
Cerambycidae


6.IV.2018 - ITALIA - Marche - AN
Coleoptera

StagBeetle

2

1192

14/05/2019, 12:18

StagBeetle Vedi ultimo messaggio

Nessun messaggio da leggere
Pogonocherus hispidus (Linnaeus, 1758) - Cerambycidae
17.III.2019 - ITALIA - Umbria - PG
Allegato(i) Dettagli della specie
Pogonocherus hispidus (Linnaeus, 1758)
Cerambycidae


17.III.2019 - ITALIA - Umbria - PG
Coleoptera

StagBeetle

2

1100

14/05/2019, 12:17

StagBeetle Vedi ultimo messaggio

Nessun messaggio da leggere
Opsilia coerulescens (Scopoli, 1763) - Cerambycidae
11.V.2019 - ITALIA - Friuli-Venezia Giulia - GO
Allegato(i) Dettagli della specie
Opsilia coerulescens (Scopoli, 1763)
Cerambycidae


11.V.2019 - ITALIA - Friuli-Venezia Giulia - GO
Coleoptera

Bemisia

4

1277

11/05/2019, 20:56

Bemisia Vedi ultimo messaggio

Nessun messaggio da leggere
Menesia bipunctata (Zubkov, 1829) - Cerambycidae
8.V.2019 - ITALIA - Friuli-Venezia Giulia - UD
Allegato(i) Dettagli della specie
Menesia bipunctata (Zubkov, 1829)
Cerambycidae


8.V.2019 - ITALIA - Friuli-Venezia Giulia - UD
Coleoptera

michele.carraretto

3

1261

08/05/2019, 19:03

Sleepy Moose Vedi ultimo messaggio

Nessun messaggio da leggere
Brachypteroma ottomanum Heyden, 1863 - Cerambycidae
4.V.2019 - ITALIA - Sardegna - OT
Allegato(i) Dettagli della specie
Brachypteroma ottomanum Heyden, 1863
Cerambycidae


4.V.2019 - ITALIA - Sardegna - OT
Coleoptera

Mauro

8

2107

05/05/2019, 15:51

gabrif Vedi ultimo messaggio

Nessun messaggio da leggere
Poecilium lividum (Rossi, 1794) - Cerambycidae
1.V.2019 - ITALIA - Sardegna - OT
Allegato(i) Dettagli della specie
Poecilium lividum (Rossi, 1794)
Cerambycidae


1.V.2019 - ITALIA - Sardegna - OT
Coleoptera

Mauro

6

1621

02/05/2019, 11:35

Plagionotus Vedi ultimo messaggio

Nessun messaggio da leggere
Agapanthia (Epoptes) villosoviridescens (De Geer, 1775) - Cerambycidae
27.IV.2019 - ITALIA - Emilia-Romagna - PR
Allegato(i) Dettagli della specie
Agapanthia (Epoptes) villosoviridescens (De Geer, 1775)
Cerambycidae


27.IV.2019 - ITALIA - Emilia-Romagna - PR
Coleoptera

picollo

3

1262

29/04/2019, 19:09

picollo Vedi ultimo messaggio

Nessun messaggio da leggere
Trichoferus holosericeus (Rossi, 1790) - Cerambycidae
7.VII.2018 - ITALIA - Lombardia - MI
Allegato(i) Dettagli della specie
Trichoferus holosericeus (Rossi, 1790)
Cerambycidae


7.VII.2018 - ITALIA - Lombardia - MI
Coleoptera

fdany

4

1624

23/04/2019, 11:02

fdany Vedi ultimo messaggio

Nessun messaggio da leggere
Cerambyx scopolii scopolii Fuessly, 1775 - Cerambycidae
14.IV.2019 - ITALIA - Sicilia - PA
Allegato(i) Dettagli della specie
Cerambyx scopolii scopolii Fuessly, 1775
Cerambycidae


14.IV.2019 - ITALIA - Sicilia - PA
Coleoptera

angelo.ditta

4

1622

23/04/2019, 9:50

angelo.ditta Vedi ultimo messaggio

Nessun messaggio da leggere
Phymatodes testaceus (Linnaeus, 1758) - Cerambycidae
16.IV.2019 - ITALIA - Veneto - PD
Allegato(i) Dettagli della specie
Phymatodes testaceus (Linnaeus, 1758)
Cerambycidae


16.IV.2019 - ITALIA - Veneto - PD
Coleoptera

Luca_Gregnanin

4

1493

18/04/2019, 9:36

Luca_Gregnanin Vedi ultimo messaggio

Nessun messaggio da leggere
Pyrrhidium sanguineum (Linnaeus, 1758) - Cerambycidae
3.III.2019 - ITALIA - Veneto - PD
Allegato(i) Dettagli della specie
Pyrrhidium sanguineum (Linnaeus, 1758)
Cerambycidae


3.III.2019 - ITALIA - Veneto - PD
Coleoptera

Luca_Gregnanin

5

1631

06/03/2019, 10:21

Plagionotus Vedi ultimo messaggio

Visualizza ultimi argomenti:  Ordina per  Ordine:  
nuovo argomento
Vai alla pagina Precedente  1 ... 4, 5, 6, 7, 8, 9, 10 ... 59  Prossimo
Pagina 7 di 59 [ 2929 argomenti ]

Tutti gli orari sono UTC + 1 ora [ ora legale ]


Chi c’è in linea

Visitano il forum: Nessuno e 7 ospiti


Legenda
Messaggi da leggere Messaggi da leggere Nessun messaggio da leggere Nessun messaggio da leggere Annuncio Annuncio
 
Specie indeterminata / discussione generica
Messaggi non letti [ Popolari ] Messaggi non letti [ Popolari ] Nessun messaggio da leggere [ Popolare ] Nessun messaggio da leggere [ Popolare ] Importante Importante
 
Specie determinata fino al genere o cf.
Messaggi non letti [ Bloccati ] Messaggi non letti [ Bloccati ] No messaggi non letti [ Bloccati ] No messaggi non letti [ Bloccati ] Argomento spostato Argomento spostato
 
Specie correttamente determinata
Permessi
Non puoi aprire nuovi argomenti
Non puoi rispondere negli argomenti
Non puoi modificare i tuoi messaggi
Non puoi cancellare i tuoi messaggi
Non puoi inviare allegati

Cerca per:
Vai a: