Benvenuto Ospite

Forum Entomologi Italiani

www.entomologiitaliani.net/forum
 
Oggi è 02/01/2026, 5:22

Tutti gli orari sono UTC + 1 ora [ ora legale ]


92% 
2927 taxa correttamente determinati su 3181 presenti in archivio

Cerambycidae


[ AFROTROPICALE ] [ ANTARTICO ] [ AUSTRALASIANO ] [ NEARTICO ] [ NEOTROPICALE ] [ ORIENTALE ] [ PALEARTICO ]


nuovo argomento
Vai alla pagina Precedente  1 ... 91, 92, 93, 94, 95, 96, 97 ... 103  Prossimo
Pagina 94 di 103 [ 5106 argomenti ]
 Argomenti   Ordine   Autore   Risposte   Visite    Ultimo messaggio 
Annunci
Nessun messaggio da leggere
Allegato(i)
Incontri entomologici della Società Entomologica Italiana 2025-2026
 

Velvet Ant

0

15449

17/11/2025, 19:41

Velvet Ant Vedi ultimo messaggio

Nessun messaggio da leggere
Allegato(i)
Incontri entomologici telematici organizzati dalla Società Entomologica Italiana nel 2022 e nel 2023

[ Vai alla paginaVai alla pagina: 1, 2, 3 ]

 

Velvet Ant

44

1719473

03/03/2023, 15:55

Velvet Ant Vedi ultimo messaggio

Nessun messaggio da leggere  
Allegato(i)
Sondaggio sul declino dell'entomofauna in Italia

[ Vai alla paginaVai alla pagina: 1, 2, 3, 4 ]

 

Velvet Ant

52

2345919

22/10/2022, 19:18

Acquarius Vedi ultimo messaggio

Nessun messaggio da leggere  
Allegato(i)
Progetto: Bibliografia ragionata dei lavori entomologici nei quali sono citati reperti apparsi su FEI

[ Vai alla paginaVai alla pagina: 1, 2, 3 ]

 

Velvet Ant

33

1380866

06/07/2023, 18:31

Orotrechus Vedi ultimo messaggio

Nessun messaggio da leggere
Allegato(i)
Mimesi, il primo documentario cinematografico sull’entomologia in Italia: casting
 

mazzeip

1

1091427

28/02/2019, 20:26

mazzeip Vedi ultimo messaggio

Questo argomento è bloccato, non puoi modificare o inviare ulteriori messaggi.
Allegato(i)
ISTRUZIONI PUBBLICAZIONE NUOVI ARGOMENTI E FOTO

 
Altri Ordini di Insetti

Julodis

4

2890986

13/05/2015, 19:37

Julodis Vedi ultimo messaggio

Nessun messaggio da leggere
Allegato(i)
Limitatore giornaliero di messaggi, uno strumento utile e ormai indispensabile

[ Vai alla paginaVai alla pagina: 1 ... 14, 15, 16 ]

 

Velvet Ant

233

12517925

25/09/2014, 14:31

Inachis Vedi ultimo messaggio

Nessun messaggio da leggere  
NORME PER I COLLABORATORI DEL FORUM

 
 

Velvet Ant

0

635414

02/06/2011, 12:05

Velvet Ant Vedi ultimo messaggio

Nessun messaggio da leggere
Allegato(i)
NORME PER GLI UTENTI DEL FORUM

[ Vai alla paginaVai alla pagina: 1, 2, 3 ]



 
 

Velvet Ant

30

3497019

23/09/2014, 23:54

Maurizio Bollino Vedi ultimo messaggio

Questo argomento è bloccato, non puoi modificare o inviare ulteriori messaggi.  
Elenco delle specie italiane di Cerambycidae presenti sul forum
Cerambycidae


 
Coleoptera

Plagionotus

0

6152

22/11/2010, 22:28

Plagionotus Vedi ultimo messaggio

Nessun messaggio da leggere  
Lista degli utenti del "Forum entomologi italiani" per campi di interesse e specializzazione

 
Altri Ordini di Insetti

Velvet Ant

13

1016420

07/09/2023, 17:14

Roberto-07 Vedi ultimo messaggio

Argomenti
Nessun messaggio da leggere
Herophila tristis tristis (Linnaeus, 1767) - Cerambycidae
8.VII.2010 - ITALIA - Lombardia - LC
Allegato(i) Dettagli della specie
Herophila tristis tristis (Linnaeus, 1767)
Cerambycidae


8.VII.2010 - ITALIA - Lombardia - LC
Coleoptera

Giuseppe

0

832

08/07/2010, 19:59

Giuseppe Vedi ultimo messaggio

Nessun messaggio da leggere
Nathrius brevipennis (Mulsant, 1839) - Cerambycidae
8.VII.2010 - ITALIA - Lazio - RM
Allegato(i) Dettagli della specie
Nathrius brevipennis (Mulsant, 1839)
Cerambycidae


8.VII.2010 - ITALIA - Lazio - RM
Coleoptera

Eopteryx

4

1471

08/07/2010, 16:47

Eopteryx Vedi ultimo messaggio

Nessun messaggio da leggere
Allegato(i) Dettagli della specie
Nothorhina muricata (Dalman, 1817)
Cerambycidae


VI.2010 - TURCHIA - EE
Coleoptera

Xylosteus

11

2249

08/07/2010, 16:25

Julodis Vedi ultimo messaggio

Nessun messaggio da leggere
Allegato(i)
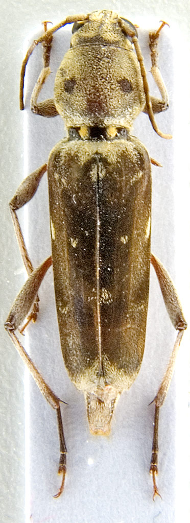
Stenopterus adlbaueri (Sama, 1995) - Cerambycidae - Turchia

VI.2010 - TURCHIA - EE
Coleoptera

Xylosteus

0

690

08/07/2010, 14:26

Xylosteus Vedi ultimo messaggio

Nessun messaggio da leggere
Clytus arietis arietis (Linnaeus, 1758) - Cerambycidae
27.VI.2010 - ITALIA - Liguria - SV
Allegato(i) Dettagli della specie
Clytus arietis arietis (Linnaeus, 1758)
Cerambycidae


27.VI.2010 - ITALIA - Liguria - SV
Coleoptera

Ric

3

1156

06/07/2010, 15:08

Isotomus Vedi ultimo messaggio

Nessun messaggio da leggere
Allegato(i) Dettagli della specie
Cerambyx cerdo cerdo Linnaeus, 1758
Cerambycidae


17.VI.2010 - TURCHIA - EE
Coleoptera

Isotomus

4

1395

06/07/2010, 8:04

Plagionotus Vedi ultimo messaggio

Nessun messaggio da leggere  
Dettagli della specie
Morimus asper asper (Sulzer, 1776)
Cerambycidae

[ Vai alla paginaVai alla pagina: 1, 2 ]



ITALIA - Emilia-Romagna
Coleoptera

conan

24

4266

04/07/2010, 23:27

Maurizio Bollino Vedi ultimo messaggio

Nessun messaggio da leggere
Trichoferus holosericeus (Rossi, 1790) - Cerambycidae
VII.2010 - ITALIA - Lombardia - BG
Allegato(i) Dettagli della specie
Trichoferus holosericeus (Rossi, 1790)
Cerambycidae


VII.2010 - ITALIA - Lombardia - BG
Coleoptera

Pippistrello

5

1623

04/07/2010, 22:27

Pippistrello Vedi ultimo messaggio

Nessun messaggio da leggere
Allegato(i) Dettagli della specie
Agapanthia (Epoptes) irrorata (Fabricius, 1787)
Cerambycidae


3.VII.2010 - ITALIA - Sicilia - PA
Coleoptera

carabus

1

1232

04/07/2010, 22:03

Falconyere Vedi ultimo messaggio

Nessun messaggio da leggere
Allegato(i)
Akimerus berchmansi (Breit, 1915) - Cerambycidae - Turchia 2010

2010 - TURCHIA - EE
Coleoptera

Isotomus

6

1771

04/07/2010, 20:59

jaho Vedi ultimo messaggio

Nessun messaggio da leggere
Xylotrechus (Xylotrechus) stebbingi Gahan, 1906 - Cerambycidae
4.VII.2010 - ITALIA - Lombardia - LC
Allegato(i) Dettagli della specie
Xylotrechus (Xylotrechus) stebbingi Gahan, 1906
Cerambycidae


4.VII.2010 - ITALIA - Lombardia - LC
Coleoptera

Giuseppe

0

840

04/07/2010, 20:12

Giuseppe Vedi ultimo messaggio

Nessun messaggio da leggere
Allegato(i)
Cerambyx dux (Faldermann, 1837) cf. - Cerambycidae
Cerambycidae


26.VI.2010 - TURCHIA - EE
Coleoptera

Isotomus

4

1332

04/07/2010, 19:12

Julodis Vedi ultimo messaggio

Nessun messaggio da leggere
Allegato(i) Dettagli della specie
Trichoferus fasciculatus fasciculatus (Faldermann, 1837)
Cerambycidae


2.VII.2010 - ITALIA - Puglia - LE
Coleoptera

Pippistrello

1

820

04/07/2010, 7:01

Trichoferus Vedi ultimo messaggio

Nessun messaggio da leggere
Cerambyx welensii (Küster, 1845) - Cerambycidae
2.VII.2010 - ITALIA - Lazio - RM
Allegato(i) Dettagli della specie
Cerambyx welensii (Küster, 1845)
Cerambycidae


2.VII.2010 - ITALIA - Lazio - RM
Coleoptera

madh

9

1916

03/07/2010, 18:38

Julodis Vedi ultimo messaggio

Nessun messaggio da leggere
Prionus coriarius (Linnaeus, 1758) - Cerambycidae
2.VII.2010 - ITALIA - Lazio - RM
Allegato(i) Dettagli della specie
Prionus coriarius (Linnaeus, 1758)
Cerambycidae


2.VII.2010 - ITALIA - Lazio - RM
Coleoptera

madh

1

994

03/07/2010, 13:22

Diablo Vedi ultimo messaggio

Nessun messaggio da leggere
Oberea (Oberea) oculata (Linnaeus, 1758) - Cerambycidae
1.VII.2010 - ITALIA - Lombardia - LC
Allegato(i) Dettagli della specie
Oberea (Oberea) oculata (Linnaeus, 1758)
Cerambycidae


1.VII.2010 - ITALIA - Lombardia - LC
Coleoptera

Giuseppe

2

1214

02/07/2010, 15:58

Giuseppe Vedi ultimo messaggio

Nessun messaggio da leggere
Allegato(i)
Dorcadion cf. thessalicum - Cerambycidae - Greece

VI.2010 - GRECIA - EE
Coleoptera

zdeno

1

1007

01/07/2010, 6:32

Maurizio Bollino Vedi ultimo messaggio

Nessun messaggio da leggere
Allegato(i) Dettagli della specie
Clytus triangulimacula Costa, 1847
Cerambycidae


ITALIA - Puglia - FG
Coleoptera

Eopteryx

0

1093

30/06/2010, 21:18

Eopteryx Vedi ultimo messaggio

Nessun messaggio da leggere
Chlorophorus sartor (O. F. Müller, 1766) - Cerambycidae
25.VI.2010 - ITALIA - Sicilia - PA
Allegato(i) Dettagli della specie
Chlorophorus sartor (O. F. Müller, 1766)
Cerambycidae


25.VI.2010 - ITALIA - Sicilia - PA
Coleoptera

Skarab

4

1444

30/06/2010, 16:06

Plagionotus Vedi ultimo messaggio

Nessun messaggio da leggere
Agapanthia (Agapanthia) cardui (Linnaeus, 1767) - Cerambycidae
29.VI.2010 - ITALIA - Piemonte - TO
Allegato(i) Dettagli della specie
Agapanthia (Agapanthia) cardui (Linnaeus, 1767)
Cerambycidae


29.VI.2010 - ITALIA - Piemonte - TO
Coleoptera

Gremu

3

1761

29/06/2010, 22:49

Plagionotus Vedi ultimo messaggio

Nessun messaggio da leggere
Allegato(i) Dettagli della specie
Agapanthia (Epoptes) sicula malmerendii Sama, 1981
Cerambycidae


27.VI.2010 - ITALIA - Sardegna - OR
Coleoptera

Fumea crassiorella

2

1538

28/06/2010, 17:17

Fumea crassiorella Vedi ultimo messaggio

Nessun messaggio da leggere
Allegato(i)
Cellette pupali Cerambicidi

 
Coleoptera

conan

3

1001

27/06/2010, 0:11

conan Vedi ultimo messaggio

Nessun messaggio da leggere
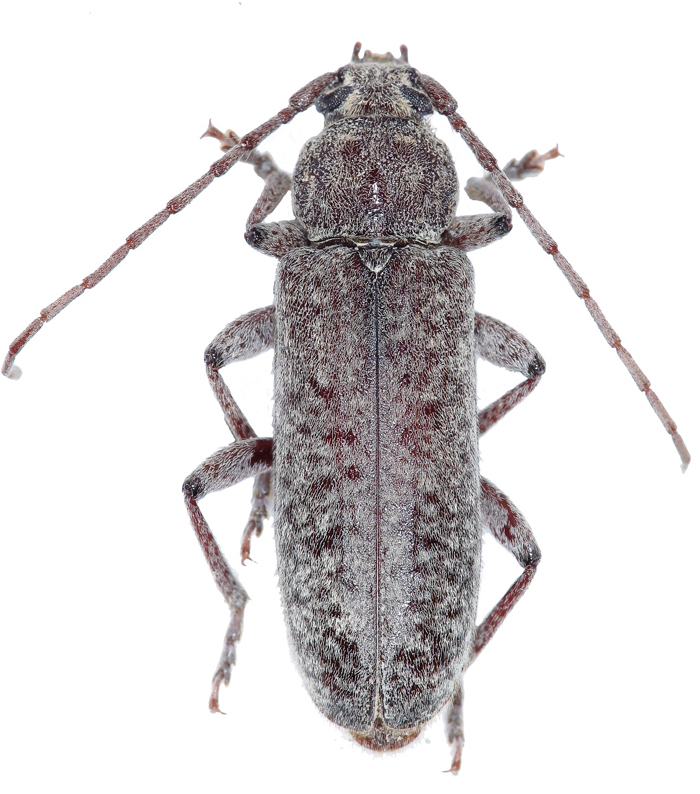
Stenopterus ater (Linnaeus, 1767) - Cerambycidae
21.VI.2010 - ITALIA - Sicilia - PA
Allegato(i) Dettagli della specie
Stenopterus ater (Linnaeus, 1767)
Cerambycidae


21.VI.2010 - ITALIA - Sicilia - PA
Coleoptera

carabus

10

2318

26/06/2010, 21:50

jaho Vedi ultimo messaggio

Nessun messaggio da leggere
Clytus rhamni Germar, 1817 - Cerambycidae
23.VI.2010 - ITALIA - Toscana - LI
Allegato(i) Dettagli della specie
Clytus rhamni Germar, 1817
Cerambycidae


23.VI.2010 - ITALIA - Toscana - LI
Coleoptera

FORBIX

2

949

26/06/2010, 20:43

Julodis Vedi ultimo messaggio

Nessun messaggio da leggere
Chlorophorus sartor (O. F. Müller, 1766) - Cerambycidae
23.VI.2010 - ITALIA - Toscana - LI
Allegato(i) Dettagli della specie
Chlorophorus sartor (O. F. Müller, 1766)
Cerambycidae


23.VI.2010 - ITALIA - Toscana - LI
Coleoptera

FORBIX

1

932

26/06/2010, 20:03

Plagionotus Vedi ultimo messaggio

Nessun messaggio da leggere
Allegato(i) Dettagli della specie
Purpuricenus (Purpuricenus) kaehleri kaehleri (Linnaeus, 1758)
Cerambycidae


26.VI.2010 - ITALIA - Lazio - RM
Coleoptera

madh

5

1939

26/06/2010, 19:38

Plagionotus Vedi ultimo messaggio

Nessun messaggio da leggere
Callidium violaceum (Linnaeus, 1758) - Cerambycidae
13.VI.2010 - ITALIA - Veneto - BL
Allegato(i) Dettagli della specie
Callidium violaceum (Linnaeus, 1758)
Cerambycidae


13.VI.2010 - ITALIA - Veneto - BL
Coleoptera

Maw89

2

1118

26/06/2010, 13:50

Maw89 Vedi ultimo messaggio

Nessun messaggio da leggere
Neoclytus acuminatus (Fabricius, 1775) - Cerambycidae
12.VI.2010 - ITALIA - Veneto - BL
Allegato(i) Dettagli della specie
Neoclytus acuminatus (Fabricius, 1775)
Cerambycidae


12.VI.2010 - ITALIA - Veneto - BL
Coleoptera

Maw89

0

1300

26/06/2010, 13:36

Maw89 Vedi ultimo messaggio

Nessun messaggio da leggere
Allegato(i) Dettagli della specie
Agapanthia (Epoptes) asphodeli (Latreille, 1804)
Cerambycidae


17.IV.2008 - ITALIA - Toscana - LI
Coleoptera

FORBIX

6

2665

25/06/2010, 21:34

FORBIX Vedi ultimo messaggio

Nessun messaggio da leggere
Allegato(i) Dettagli della specie
Agapanthia (Agapanthia) cardui (Linnaeus, 1767)
Cerambycidae


VI.2010 - ITALIA - Marche - MC
Coleoptera

marco paglialunga

4

1975

25/06/2010, 10:50

Plagionotus Vedi ultimo messaggio

Nessun messaggio da leggere
Cortodera holosericea (Fabricius, 1801) - Cerambycidae
12.VI.2010 - ITALIA - Marche - MC
Allegato(i) Dettagli della specie
Cortodera holosericea (Fabricius, 1801)
Cerambycidae


12.VI.2010 - ITALIA - Marche - MC
Coleoptera

marco paglialunga

1

1177

25/06/2010, 0:46

Velvet Ant Vedi ultimo messaggio

Nessun messaggio da leggere
Stenopterus ater (Linnaeus, 1767) - Cerambycidae
22.VI.2010 - ITALIA - Sardegna - CA
Allegato(i) Dettagli della specie
Stenopterus ater (Linnaeus, 1767)
Cerambycidae


22.VI.2010 - ITALIA - Sardegna - CA
Coleoptera

Fumea crassiorella

3

1331

24/06/2010, 10:40

Plagionotus Vedi ultimo messaggio

Nessun messaggio da leggere
Anaglyptus gibbosus (Fabricius, 1787) - Cerambycidae
VI.2010 - ITALIA - Emilia-Romagna - BO
Allegato(i) Dettagli della specie
Anaglyptus gibbosus (Fabricius, 1787)
Cerambycidae


VI.2010 - ITALIA - Emilia-Romagna - BO
Coleoptera

Loriscola

11

2692

24/06/2010, 8:31

Loriscola Vedi ultimo messaggio

Nessun messaggio da leggere
Allegato(i) Dettagli della specie
Agapanthia (Epoptes) sicula malmerendii Sama, 1981
Cerambycidae


17.VI.2010 - ITALIA - Abruzzo - CH
Coleoptera

Giuseppe

4

1777

23/06/2010, 0:34

Giuseppe Vedi ultimo messaggio

Nessun messaggio da leggere
Allegato(i) Dettagli della specie
Dorcadion (Pedestredorcadion) etruscum (Rossi, 1790)
Cerambycidae


17.VI.2010 - ITALIA - Abruzzo - CH
Coleoptera

Giuseppe

4

1431

22/06/2010, 16:40

Plagionotus Vedi ultimo messaggio

Nessun messaggio da leggere
Parmena solieri Mulsant, 1839 - Cerambycidae
24.XII.2008 - ITALIA - Toscana - LI
Allegato(i) Dettagli della specie
Parmena solieri Mulsant, 1839
Cerambycidae


24.XII.2008 - ITALIA - Toscana - LI
Coleoptera

FORBIX

14

2955

22/06/2010, 13:37

Plagionotus Vedi ultimo messaggio

Nessun messaggio da leggere
Allegato(i) Dettagli della specie
Xylotrechus (Xylotrechus) stebbingi Gahan, 1906
Cerambycidae


17.VI.2010 - ITALIA - Veneto - BL
Coleoptera

Maw89

2

1031

22/06/2010, 13:32

Plagionotus Vedi ultimo messaggio

Nessun messaggio da leggere
Gracilia minuta (Fabricius, 1781) - Cerambycidae
5.VI.2010 - ITALIA - Lazio - RM
Allegato(i) Dettagli della specie
Gracilia minuta (Fabricius, 1781)
Cerambycidae


5.VI.2010 - ITALIA - Lazio - RM
Coleoptera

Julodis

0

767

22/06/2010, 0:01

Julodis Vedi ultimo messaggio

Nessun messaggio da leggere
Allegato(i) Dettagli della specie
Dorcadion (Pedestredorcadion) arenarium marsicanum Fracassi, 1905
Cerambycidae


29.V.2010 - ITALIA - Lazio - RM
Coleoptera

Julodis

12

2336

21/06/2010, 23:47

Julodis Vedi ultimo messaggio

Nessun messaggio da leggere
Parmena unifasciata (Rossi, 1790) - Cerambycidae
20.I.2008 - ITALIA - Toscana - LI
Allegato(i) Dettagli della specie
Parmena unifasciata (Rossi, 1790)
Cerambycidae


20.I.2008 - ITALIA - Toscana - LI
Coleoptera

FORBIX

5

1438

21/06/2010, 20:17

Plagionotus Vedi ultimo messaggio

Nessun messaggio da leggere
Allegato(i) Dettagli della specie
Dorcadion (Pedestredorcadion) arenarium marsicanum Fracassi, 1905
Cerambycidae


6.VI.2010 - ITALIA - Lazio - RM
Coleoptera

Julodis

7

1718

21/06/2010, 19:35

Julodis Vedi ultimo messaggio

Nessun messaggio da leggere
Opsilia coerulescens (Scopoli, 1763) - Cerambycidae
19.VI.2010 - ITALIA - Lazio - FR
Allegato(i) Dettagli della specie
Opsilia coerulescens (Scopoli, 1763)
Cerambycidae


19.VI.2010 - ITALIA - Lazio - FR
Coleoptera

Julodis

5

1324

21/06/2010, 13:51

Plagionotus Vedi ultimo messaggio

Nessun messaggio da leggere
Allegato(i) Dettagli della specie
Dorcadion (Pedestredorcadion) arenarium marsicanum Fracassi, 1905
Cerambycidae


12.VI.2010 - ITALIA - Marche - MC
Coleoptera

StagBeetle

2

913

20/06/2010, 12:24

Plagionotus Vedi ultimo messaggio

Nessun messaggio da leggere
Allegato(i)
Anaglyptus mysticus (Linnaeus, 1758). Cerambycidae. Germania

19.VI.2010 - GERMANIA - EE
Coleoptera

matthew gandy

2

847

20/06/2010, 9:57

matthew gandy Vedi ultimo messaggio

Nessun messaggio da leggere
Phytoecia virgula (Charpentier, 1825) - Cerambycidae
18.VI.2010 - ITALIA - Sicilia - PA
Allegato(i) Dettagli della specie
Phytoecia virgula (Charpentier, 1825)
Cerambycidae


18.VI.2010 - ITALIA - Sicilia - PA
Coleoptera

carabus

2

887

19/06/2010, 0:36

conan Vedi ultimo messaggio

Nessun messaggio da leggere
Stenopterus ater (Linnaeus, 1767) - Cerambycidae
17.VI.2010 - ITALIA - Sardegna - CA
Allegato(i) Dettagli della specie
Stenopterus ater (Linnaeus, 1767)
Cerambycidae


17.VI.2010 - ITALIA - Sardegna - CA
Coleoptera

PierFrancescoMurgia

8

1973

18/06/2010, 21:23

Plagionotus Vedi ultimo messaggio

Nessun messaggio da leggere
Pachytodes erraticus erraticus (Dalman, 1817) - Cerambycidae
18.VI.2010 - ITALIA - Sicilia - PA
Allegato(i) Dettagli della specie
Pachytodes erraticus erraticus (Dalman, 1817)
Cerambycidae


18.VI.2010 - ITALIA - Sicilia - PA
Coleoptera

carabus

1

802

18/06/2010, 21:10

Plagionotus Vedi ultimo messaggio

Nessun messaggio da leggere
Penichroa fasciata (Stephens, 1831) - Cerambycidae
17.VI.2010 - ITALIA - Sardegna - CA
Allegato(i) Dettagli della specie
Penichroa fasciata (Stephens, 1831)
Cerambycidae


17.VI.2010 - ITALIA - Sardegna - CA
Coleoptera

PierFrancescoMurgia

4

1107

18/06/2010, 10:46

Velvet Ant Vedi ultimo messaggio

Nessun messaggio da leggere
Allegato(i)
Lamia textor (Linnaeus, 1758) - Cerambycidae. Czech Rep. ?

 
Coleoptera

borec167

3

1173

17/06/2010, 20:52

Plagionotus Vedi ultimo messaggio

Nessun messaggio da leggere
Allegato(i)
Herophila fairmairei (Thomson, 1857) - Cerambycidae. Grecia

3.VI.2010 - GRECIA - EE
Coleoptera

zdeno

3

1137

17/06/2010, 19:06

Hemerobius Vedi ultimo messaggio

Visualizza ultimi argomenti:  Ordina per  Ordine:  
nuovo argomento
Vai alla pagina Precedente  1 ... 91, 92, 93, 94, 95, 96, 97 ... 103  Prossimo
Pagina 94 di 103 [ 5106 argomenti ]

Tutti gli orari sono UTC + 1 ora [ ora legale ]


Chi c’è in linea

Visitano il forum: Nessuno e 2 ospiti


Legenda
Messaggi da leggere Messaggi da leggere Nessun messaggio da leggere Nessun messaggio da leggere Annuncio Annuncio
 
Specie indeterminata / discussione generica
Messaggi non letti [ Popolari ] Messaggi non letti [ Popolari ] Nessun messaggio da leggere [ Popolare ] Nessun messaggio da leggere [ Popolare ] Importante Importante
 
Specie determinata fino al genere o cf.
Messaggi non letti [ Bloccati ] Messaggi non letti [ Bloccati ] No messaggi non letti [ Bloccati ] No messaggi non letti [ Bloccati ] Argomento spostato Argomento spostato
 
Specie correttamente determinata
Permessi
Non puoi aprire nuovi argomenti
Non puoi rispondere negli argomenti
Non puoi modificare i tuoi messaggi
Non puoi cancellare i tuoi messaggi
Non puoi inviare allegati

Cerca per:
Vai a: