|
|
| Argomenti |
Ordine |
Autore |
Risposte |
Visite |
Ultimo messaggio |
| Annunci |
 |
|
Incontri entomologici della Società Entomologica Italiana 2025-2026
|
|
Velvet Ant |
0 |
21609 |
17/11/2025, 19:41
Velvet Ant
|
 |
|
Incontri entomologici telematici organizzati dalla Società Entomologica Italiana nel 2022 e nel 2023
[ Vai alla pagina: 1, 2, 3 ]
|
|
Velvet Ant |
44 |
1766035 |
03/03/2023, 15:55
Velvet Ant
|
 |
|
Sondaggio sul declino dell'entomofauna in Italia
[ Vai alla pagina: 1, 2, 3, 4 ]
|
|
Velvet Ant |
52 |
2399897 |
22/10/2022, 19:18
Acquarius
|
 |
|
Progetto: Bibliografia ragionata dei lavori entomologici nei quali sono citati reperti apparsi su FEI
[ Vai alla pagina: 1, 2, 3 ]
|
|
Velvet Ant |
33 |
1418916 |
06/07/2023, 18:31
Orotrechus
|
 |
|
Mimesi, il primo documentario cinematografico sull’entomologia in Italia: casting
|
|
mazzeip |
1 |
1099103 |
28/02/2019, 20:26
mazzeip
|
 |
|
ISTRUZIONI PUBBLICAZIONE NUOVI ARGOMENTI E FOTO
|
Altri Ordini di Insetti |
Julodis |
4 |
2901500 |
13/05/2015, 19:37
Julodis
|
 |
|
Limitatore giornaliero di messaggi, uno strumento utile e ormai indispensabile
[ Vai alla pagina: 1 ... 14, 15, 16 ]
|
|
Velvet Ant |
233 |
12721635 |
25/09/2014, 14:31
Inachis
|
 |
|
NORME PER I COLLABORATORI DEL FORUM
|
|
Velvet Ant |
0 |
641272 |
02/06/2011, 12:05
Velvet Ant
|
 |
|
NORME PER GLI UTENTI DEL FORUM
[ Vai alla pagina: 1, 2, 3 ]
|
|
Velvet Ant |
30 |
3533171 |
23/09/2014, 23:54
Maurizio Bollino
|
 |
|
Lista degli utenti del "Forum entomologi italiani" per campi di interesse e specializzazione
|
Altri Ordini di Insetti |
Velvet Ant |
13 |
1035283 |
07/09/2023, 17:14
Roberto-07
|
| Argomenti |
 |
|
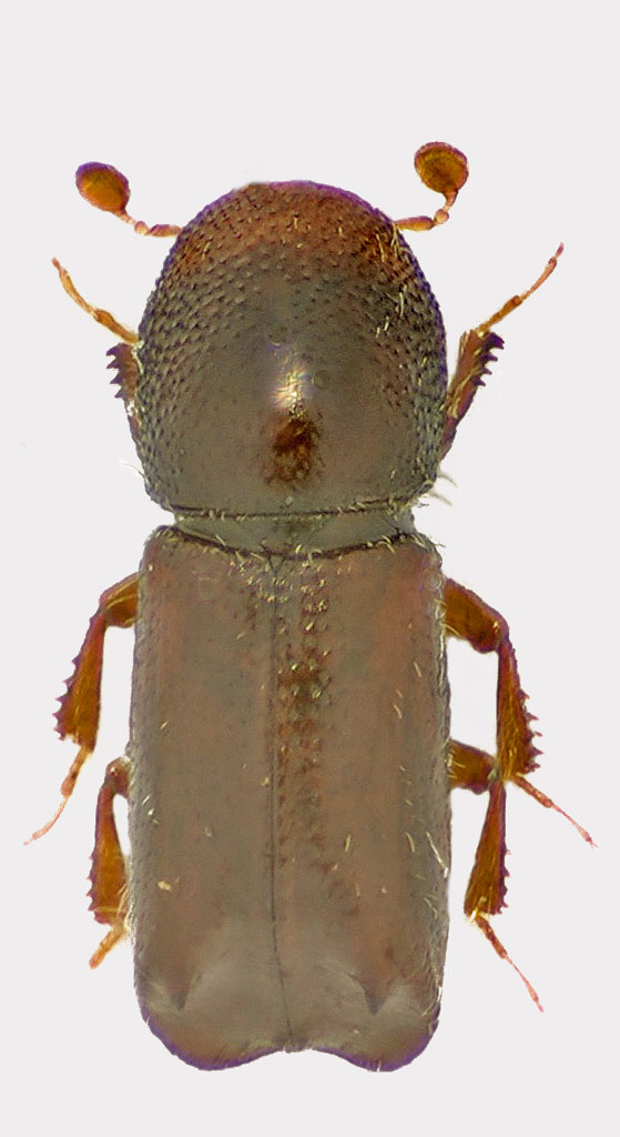
Hoplopteridius lutosus bertolinii Stierlin, 1892 - Curculionidae
8.I.2011 - ITALIA - Lazio - FR
|
Coleoptera |
Goliathus |
4 |
740 |
23/01/2011, 15:22
giuseppe55
|
 |
|
Otiorhynchus (Padilehus) pinastri (Herbst 1795)
5.VI.1976 - ITALIA - Friuli-Venezia Giulia - PN
|
Coleoptera |
marco paglialunga |
4 |
718 |
23/01/2011, 0:41
Apoderus
|
 |
|
Strophomorphus porcellus (Schoenherr 1832)
VIII.2009 - ITALIA - Puglia - LE
|
Coleoptera |
marco paglialunga |
0 |
434 |
22/01/2011, 21:09
marco paglialunga
|
 |
|
Nanophyes marmoratus (Goeze, 1777) - Curculionidae
2.VII.1963 - ITALIA - Veneto - PD
|
Coleoptera |
marco paglialunga |
6 |
769 |
22/01/2011, 19:32
krep
|
 |
|
Phyllobius oblongus (Linnaeus, 1758)
11.V.1987 - ITALIA - Marche - PU
|
Coleoptera |
marco paglialunga |
1 |
367 |
22/01/2011, 12:08
krep
|
 |
|
Mecinus comosus Boheman, 1845 - Curculionidae
9.I.2011 - ITALIA - Sardegna - CA
|
Coleoptera |
Fumea crassiorella |
8 |
773 |
10/01/2011, 21:25
giuseppe55
|
 |
|
Phyllobius arborator (Herbst,1797) - Curculionidae
15.VIII.2010 - ITALIA - Trentino-Alto Adige - TN
|
Coleoptera |
Andrea Pergine |
8 |
750 |
08/01/2011, 22:46
Andrea Pergine
|
 |
|
Polydrusus (Eurodrusus) cervinus (Linnaeus, 1758) - Curculionidae
15.VIII.2010 - ITALIA - Trentino-Alto Adige - TN
|
Coleoptera |
Andrea Pergine |
4 |
537 |
08/01/2011, 17:38
Andrea Pergine
|
 |
|
Phyllobius (Dieletus) argentatus argentatus (Linnaeus, 1758) - Curculionidae
12.V.2010 - ITALIA - Veneto - BL
|
Coleoptera |
Maw89 |
2 |
486 |
06/01/2011, 18:39
Maw89
|
 |
|
Tychius cuprifer (Panzer, 1799) - Curculionidae
2.I.2011 - ITALIA - Toscana - GR
|
Coleoptera |
hypotyphlus |
4 |
584 |
06/01/2011, 17:45
hypotyphlus
|
 |
|
Malvaevora timida (Rossi, 1792) - Curculionidae
23.V.2010 - ITALIA - Toscana - GR
|
Coleoptera |
Anillus |
3 |
495 |
06/01/2011, 14:57
Anillus
|
 |
|
Phyllobius (Nemoicus) oblongus (Linnaeus, 1758) - Curculionidae
6.VI.2010 - ITALIA - Umbria - TR
|
Coleoptera |
Anillus |
2 |
526 |
06/01/2011, 14:43
Anillus
|
 |
|
Cyphocleonus dealbatus (Gmelin, 1790) - Curculionidae
21.III.2010 - ROMANIA - EE
|
Coleoptera |
alexaandru |
5 |
768 |
06/01/2011, 14:15
alexaandru
|
 |
|
Donus (s.str.) philanthus (Olivier, 1807) - Curculionidae
5.I.2011 - ITALIA - Lazio - RM
|
Coleoptera |
elleelle |
1 |
726 |
06/01/2011, 13:43
FORBIX
|
 |
|
Larinus turbinatus Gyllenhal, 1835 - Curculionidae
2.I.2011 - ITALIA - Toscana - GR
|
Coleoptera |
hypotyphlus |
3 |
1027 |
06/01/2011, 0:44
hypotyphlus
|
 |
|
Acalles lemur cisalpinus Stuben, 2003 ? - Curculionidae
5.X.2009 - ITALIA - Marche - AP
|
Coleoptera |
Anillus |
5 |
1991 |
05/01/2011, 23:42
Anillus
|
 |
|
Ceutorhynchus pallipes Crotch, 1866 - Curculionidae
6.X.2009 - ITALIA - Marche - MC
|
Coleoptera |
Anillus |
2 |
989 |
05/01/2011, 19:28
Anillus
|
 |
|
Rhabdorrhynchus vilhelmseni Gultekin, 2006 - Curculionidae
VII.2009 - ITALIA - Sardegna - NU
|
Coleoptera |
Daniele Sechi |
3 |
914 |
05/01/2011, 19:10
FORBIX
|
 |
|
Menecleonus anxius (Gyllenhal, 1834) - Curculionidae - IRAN
6.V.2010 - IRAN, REPUBBLICA ISLAMICA DELL' - EE
|
Coleoptera |
Isotomus |
5 |
700 |
05/01/2011, 18:39
tala
|
 |
|
Mecaspis caesa (Gyllenhal, 1834) - Curculionidae
CROAZIA - EE
|
Coleoptera |
Václav Šilha |
2 |
567 |
05/01/2011, 18:22
tala
|
 |
|
Coniatus (Bagoides) suavis Gyllenhal, 1834 - Curculionidae
30.XII.2010 - ITALIA - Toscana - LI
|
Coleoptera |
FORBIX |
4 |
1128 |
04/01/2011, 23:53
Apoderus
|
 |
|
Aparopion chevrolati (J. du Val, [1868]) - Curculionidae
5.X.2009 - ITALIA - Marche - AP
|
Coleoptera |
Anillus |
2 |
727 |
04/01/2011, 22:44
Anillus
|
 |
|
Lixus pedronii Talameli, 2008 - Curculionidae
12.V.2002 - MADAGASCAR - EE
|
Coleoptera |
tala |
2 |
649 |
03/01/2011, 20:47
ruzzpa
|
 |
|
Mecaspis nana Gyllenhal, 1834 - Curculionidae
20.VIII.2009 - ROMANIA - EE
|
Coleoptera |
alexaandru |
5 |
711 |
03/01/2011, 19:46
alexaandru
|
 |
|
Stephanocleonus megalographus (Fahaeus, 1842) - Curculionidae Cleoninae
GRECIA - EE
|
Coleoptera |
Václav Šilha |
3 |
616 |
03/01/2011, 19:03
tala
|
 |
|
Hypera postica (Gyllenhal ,1813) - Curculionidae
4.XI.2010 - ITALIA - Lazio - RM
|
Coleoptera |
Julodis |
1 |
403 |
03/01/2011, 18:59
tala
|
 |
|
Donus philanthus (Olivier, 1808) - Curculionidae
1.I.2011 - ITALIA - Sardegna - CA
|
Coleoptera |
ruzzpa |
3 |
564 |
02/01/2011, 17:41
ruzzpa
|
 |
|
Xylocleptes bispinus (Duftschmid, 1825) - Scolytidae
9.V.2010 - ITALIA - Veneto - BL
|
Coleoptera |
Maw89 |
8 |
951 |
02/01/2011, 10:10
Herzog
|
 |
|
Tychius cuprifer (Panzer,1799) - Curculionidae
28.VIII.2008 - ITALIA - Lombardia - BS
|
Coleoptera |
Livio |
3 |
532 |
01/01/2011, 23:55
Livio
|
 |
|
Brachypera (Brachypera) crinita (Boheman, 1834) - Curculionidae
13.XII.2010 - ITALIA - Lazio - RM
|
Coleoptera |
elleelle |
1 |
475 |
01/01/2011, 16:45
tala
|
 |
|
Rhytideres plicatus (Olivier, 1790) - Curculionidae
31.XII.2010 - ITALIA - Sardegna - CA
|
Coleoptera |
ruzzpa |
3 |
516 |
01/01/2011, 14:47
krep
|
 |
|
Larinus (Larinomesius) obtusus Gyllenhal, 1836 - Curculionidae - Romania
29.V.2009 - ROMANIA - EE
|
Coleoptera |
alexaandru |
4 |
584 |
31/12/2010, 17:15
tala
|
 |
|
Miarus abnormis Solari, 1947 - Curculionidae
VIII.2009 - AUSTRIA - EE
|
Coleoptera |
krep |
2 |
863 |
30/12/2010, 20:45
krep
|
 |
|
Curculio (Curculio) nucum Linnaeus, 1758 - Curculionidae
24.VII.2008 - ITALIA - Lombardia - BS
|
Coleoptera |
Livio |
2 |
636 |
28/12/2010, 23:19
Livio
|
 |
|
Coelositona limosus (Rossi, 1792) - Curculionidae, Entiminae, Sitonini - (GR) Toscana
|
Coleoptera |
Anillus |
2 |
428 |
25/12/2010, 18:40
Anillus
|
 |
|
Rhinocyllus conicus (Froelich, 1792) - Curculionidae
19.XII.2010 - ITALIA - Toscana - GR
|
Coleoptera |
hypotyphlus |
4 |
531 |
23/12/2010, 21:55
hypotyphlus
|
 |
|
Tanymecus (Geomecus) submaculatus Chevrolat, 1860 - Curculionidae
19.XII.2010 - ITALIA - Toscana - GR
|
Coleoptera |
hypotyphlus |
2 |
428 |
23/12/2010, 20:19
giuseppe55
|
 |
|
Dichromacalles (Dichromacalles) diocletianus (Germar, 1817)
14.XI.2010 - ITALIA - Toscana - GR
|
Coleoptera |
Anillus |
2 |
455 |
23/12/2010, 20:09
giuseppe55
|
 |
|
Dorytomus (Euolamus) ictor (Herbst, 1795) - Curculionidae - Toscana, Isola d'Elba
|
Coleoptera |
FORBIX |
2 |
449 |
22/12/2010, 17:43
FORBIX
|
 |
|
Hypera (s. str.) nigrirostris (Fabricius, 1775) - Curculionidae - Sardegna - Villasor (CA)
|
Coleoptera |
Fumea crassiorella |
3 |
509 |
19/12/2010, 20:29
giuseppe55
|
 |
|
Stenocarus sp. - Curculionidae Ceutorhynchinae - Sardegna - Villasor (CA)
|
Coleoptera |
Fumea crassiorella |
5 |
671 |
19/12/2010, 20:22
krep
|
 |
|
Lixus (Dilixellus) pulverulentus (Scopoli, 1763) - Curculionidae
13.XII.2010 - ITALIA - Piemonte - TO
|
Coleoptera |
Ric |
3 |
743 |
18/12/2010, 22:29
Ric
|
 |
|
Temnorhinus (Fabiocleonus) mendicus (Gyllenhal, 1834) (cf.) - Curculionidae
6.X.2009 - ITALIA - Sicilia - TP
|
Coleoptera |
gigi58 |
5 |
766 |
17/12/2010, 20:43
gigi58
|
 |
|
Pseudomeira holdhausi A. & F. Solari, 1907 - Curculionidae - Toscana, Isola d'Elba
8.XII.2010 - ITALIA - Toscana - LI
|
Coleoptera |
FORBIX |
7 |
909 |
16/12/2010, 19:55
giuseppe55
|
 |
|
Orthotomicus erosus (Wollaston, 1857) - Curculionidae Scolytinae - Toscana, Isola d'Elba
|
Coleoptera |
FORBIX |
3 |
491 |
15/12/2010, 12:52
FORBIX
|
 |
|
Tychius cuprifer (Panzer, 1799) - Curculionidae - Toscana, Isola d'Elba
|
Coleoptera |
FORBIX |
7 |
623 |
15/12/2010, 11:32
FORBIX
|
 |
|
Asynonychus godmanni Crotch, 1867 - Curculionidae - Toscana, Isola d'Elba
|
Coleoptera |
FORBIX |
2 |
360 |
14/12/2010, 23:53
FORBIX
|
 |
|
Limobius borealis (Paykull, 1792) - Curculionidae - Toscana, Isola d'Elba
1.XII.2010 - ITALIA - Toscana - LI
|
Coleoptera |
FORBIX |
4 |
491 |
14/12/2010, 21:11
FORBIX
|
 |
|
Otiorhynchus (Acunotus) lutosus Stierlin, 1858 ? - Curculionidae
10.XII.2010 - ITALIA - Emilia-Romagna - BO
|
Coleoptera |
Loriscola |
2 |
503 |
13/12/2010, 21:12
giuseppe55
|
 |
|
Lepyrus cf. capucinus (Schaller, 1783) - Curculionidae - Romania, Bacau county, Moldavia
|
Coleoptera |
alexaandru |
2 |
400 |
12/12/2010, 17:19
alexaandru
|
|
|