|
|
| Argomenti |
Ordine |
Autore |
Risposte |
Visite |
Ultimo messaggio |
| Annunci |
 |
|
Incontri entomologici della Società Entomologica Italiana 2025-2026
|
|
Velvet Ant |
0 |
23934 |
17/11/2025, 19:41
Velvet Ant
|
 |
|
Incontri entomologici telematici organizzati dalla Società Entomologica Italiana nel 2022 e nel 2023
[ Vai alla pagina: 1, 2, 3 ]
|
|
Velvet Ant |
44 |
1785166 |
03/03/2023, 15:55
Velvet Ant
|
 |
|
Sondaggio sul declino dell'entomofauna in Italia
[ Vai alla pagina: 1, 2, 3, 4 ]
|
|
Velvet Ant |
52 |
2420986 |
22/10/2022, 19:18
Acquarius
|
 |
|
Progetto: Bibliografia ragionata dei lavori entomologici nei quali sono citati reperti apparsi su FEI
[ Vai alla pagina: 1, 2, 3 ]
|
|
Velvet Ant |
33 |
1433949 |
06/07/2023, 18:31
Orotrechus
|
 |
|
Mimesi, il primo documentario cinematografico sull’entomologia in Italia: casting
|
|
mazzeip |
1 |
1102440 |
28/02/2019, 20:26
mazzeip
|
 |
|
ISTRUZIONI PUBBLICAZIONE NUOVI ARGOMENTI E FOTO
|
Altri Ordini di Insetti |
Julodis |
4 |
2906228 |
13/05/2015, 19:37
Julodis
|
 |
|
Limitatore giornaliero di messaggi, uno strumento utile e ormai indispensabile
[ Vai alla pagina: 1 ... 14, 15, 16 ]
|
|
Velvet Ant |
233 |
12792227 |
25/09/2014, 14:31
Inachis
|
 |
|
NORME PER I COLLABORATORI DEL FORUM
|
|
Velvet Ant |
0 |
644015 |
02/06/2011, 12:05
Velvet Ant
|
 |
|
NORME PER GLI UTENTI DEL FORUM
[ Vai alla pagina: 1, 2, 3 ]
|
|
Velvet Ant |
30 |
3548852 |
23/09/2014, 23:54
Maurizio Bollino
|
 |
|
Lista degli utenti del "Forum entomologi italiani" per campi di interesse e specializzazione
|
Altri Ordini di Insetti |
Velvet Ant |
13 |
1043174 |
07/09/2023, 17:14
Roberto-07
|
| Argomenti |
 |
|
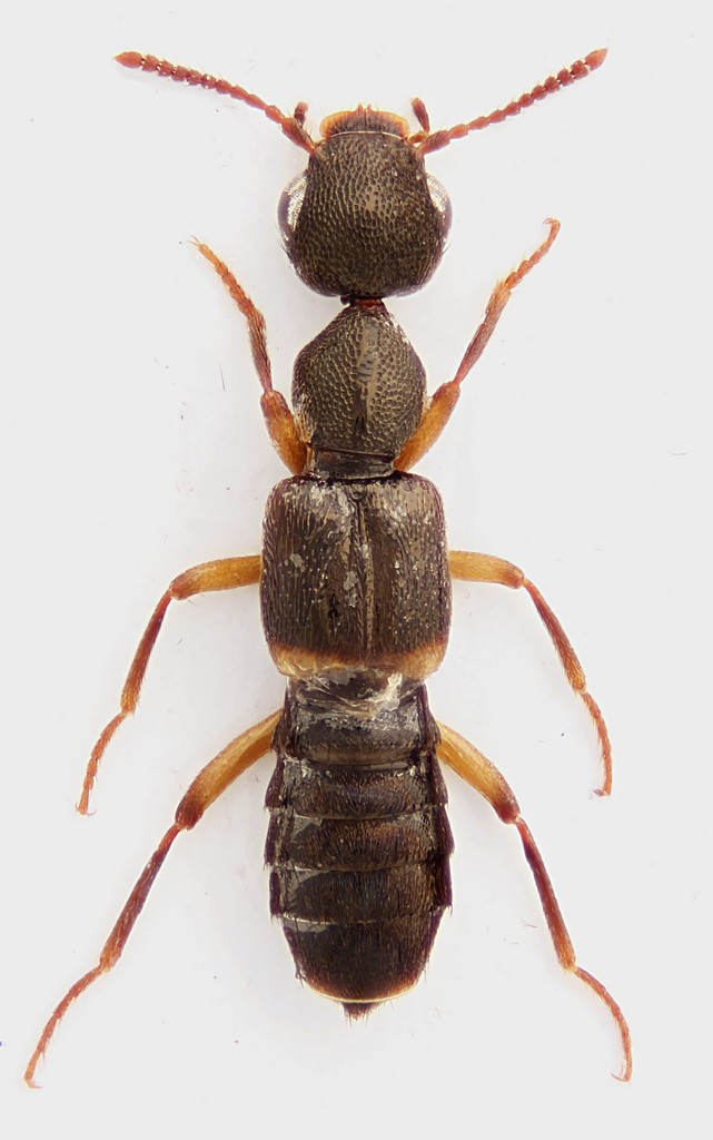
Xantholinus elegans (Olivier, 1794) - Staphylinidae
13.V.2006 - ITALIA - Emilia-Romagna - BO
|
Coleoptera |
Loriscola |
0 |
353 |
24/02/2012, 21:15
Loriscola
|
 |
|
Scaphidium quadrimaculatum Olivier, 1790 - Staphilinidae
16.II.2012 - ITALIA - Veneto - VR
|
Coleoptera |
Umbro |
2 |
473 |
20/02/2012, 20:43
Umbro
|
 |
|
Ocypus (Matidus) nitens (Schrank 1781) - Staphylinidae
29.I.2012 - ITALIA - Lazio - RM
|
Coleoptera |
Fabio Turchetti |
2 |
453 |
06/02/2012, 13:06
Fabio Turchetti
|
 |
|
Ocypus (Ocypus) ophtalmicus (Scopoli, 1763) - Staphylinidae
20.I.2012 - ISRAELE - EE
|
Coleoptera |
ApolloY |
2 |
543 |
30/01/2012, 20:26
ApolloY
|
 |
|
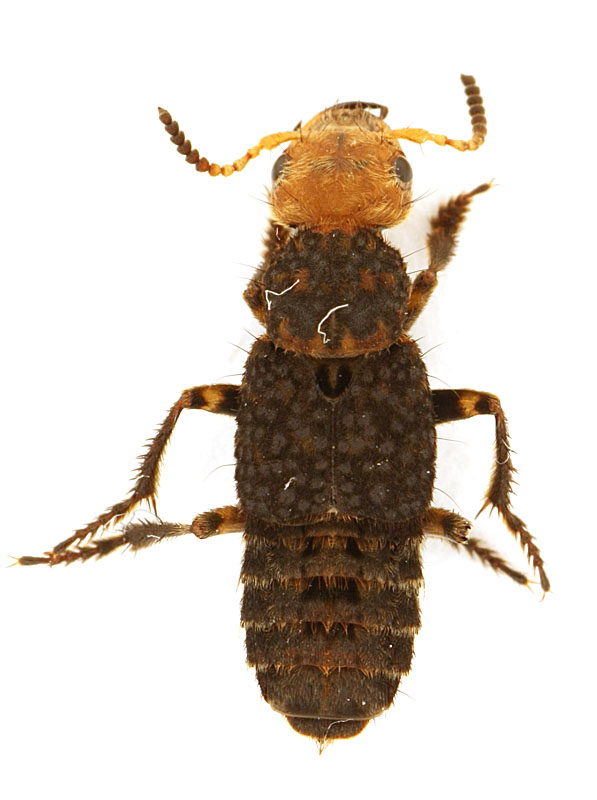
Amphichroum canaliculatum (Erichson, 1840) ♀ - Staphylinidae Omalinae Anthophagini
5.V.2011 - ITALIA - Veneto - BL
|
Coleoptera |
FORBIX |
5 |
1023 |
17/01/2012, 11:09
FORBIX
|
 |
|
Vulda (Typhlodes) italica (Sharp, 1873) - Staphylinidae
[ Vai alla pagina: 1, 2 ]
10.X.2011 - ITALIA - Toscana - SI
|
Coleoptera |
Apoderus |
16 |
2775 |
15/01/2012, 21:42
Apoderus
|
 |
|
Ocypus (Ocypus) olens (O. Muller, 1764) - Staphylinidae
11.I.2012 - ITALIA - Veneto - RO
|
Coleoptera |
Umbro |
2 |
471 |
14/01/2012, 21:58
Umbro
|
 |
|
Hesperus rufipennis (Gravenhorst, 1802) - Staphylinidae Staphylininae Philonthini
7.I.2012 - ITALIA - Toscana - GR
|
Coleoptera |
hypotyphlus |
2 |
531 |
11/01/2012, 14:15
hypotyphlus
|
 |
|
Octavius doderoi Coiffait, 1965 - Staphylinidae Euaesthetinae
31.XII.2011 - ITALIA - Sardegna - CA
|
Coleoptera |
Fumea crassiorella |
8 |
789 |
04/01/2012, 18:17
Fumea crassiorella
|
 |
|
Gauropterus fulgidus (Fabricius, 1787) - Staphylinidae Staphylininae
28.XII.2011 - ITALIA - Lazio - RM
|
Coleoptera |
Fabio Turchetti |
5 |
609 |
02/01/2012, 13:09
Fabio Turchetti
|
 |
|
Hypnogyra angularis (Ganglbauer, 1895) - Staphylinidae - Xantholinae - Xantholinini
1.XI.2011 - ITALIA - Lazio - RM
|
Coleoptera |
Fabio Turchetti |
13 |
1146 |
30/12/2011, 10:14
Fabio Turchetti
|
 |
|
Procirrus lefebvrei Latreille, 1829 - Staphylinidae
28.XII.2011 - ITALIA - Lazio - RM
|
Coleoptera |
Fabio Turchetti |
4 |
603 |
29/12/2011, 20:02
Mikiphasmide
|
 |
|
Quedius (Quedius) levicollis (Brullé, 1832) - Staphylinidae
23.XII.2011 - ITALIA - Lazio - RM
|
Coleoptera |
Fabio Turchetti |
5 |
632 |
24/12/2011, 16:49
Fabio Turchetti
|
 |
|
Othius punctulatus (Goeze, 1777) - Staphylinidae Xantholininae Othini
23.XII.2011 - ITALIA - Lazio - RM
|
Coleoptera |
Fabio Turchetti |
2 |
445 |
23/12/2011, 16:22
Fabio Turchetti
|
 |
|
Dropephylla ioptera (Stephens, 1834) - Staphylinidae Omaliinae Omaliini
17.XII.2011 - ITALIA - Toscana - GR
|
Coleoptera |
hypotyphlus |
5 |
646 |
19/12/2011, 11:03
Anillus
|
 |
|
Siagonium quadricorne Kirby & Spence, 1815 - Staphylinidae Piestinae
17.XII.2011 - ITALIA - Toscana - GR
|
Coleoptera |
hypotyphlus |
2 |
460 |
18/12/2011, 18:51
hypotyphlus
|
 |
|
Rugilus orbiculatus (Paykull, 1789) (cf.) - Staphylinidae
5.XII.2011 - ITALIA - Lazio - RM
|
Coleoptera |
Julodis |
5 |
713 |
17/12/2011, 10:48
Honza
|
 |
|
Vulda (Typhlodes) italica (Sharp, 1873) - Staphylinidae (et Voilà....Vuldà)
|
Coleoptera |
marco paglialunga |
2 |
617 |
16/12/2011, 23:04
marco paglialunga
|
 |
|
Phloeocharis subtilissima Mannerheim, 1831 (cf.) - Staphylinidae
25.XI.2011 - ITALIA - Toscana - FI
|
Coleoptera |
Loriscola |
0 |
351 |
16/12/2011, 22:07
Loriscola
|
 |
|
Astenus bimaculatus (Erichson, 1840) (cf.) - Staphylinidae
13.XII.2011 - ITALIA - Lazio - RM
|
Coleoptera |
Claude54 |
4 |
745 |
15/12/2011, 18:06
Claude54
|
 |
|
Anotylus rugosus (Fabricius, 1775) - Staphylinidae Oxytelinae Oxytelini
10.XII.2011 - ITALIA - Toscana - GR
|
Coleoptera |
hypotyphlus |
2 |
611 |
14/12/2011, 13:42
hypotyphlus
|
 |
|
Carpelimus (Trogophloeus) gracilis (Mannerheim, 1830) - Staphylinidae - Oxytelinae - Oxytelini
9.XII.2011 - ITALIA - Emilia-Romagna - BO
|
Coleoptera |
Loriscola |
3 |
619 |
12/12/2011, 23:49
Loriscola
|
 |
|
Zyras haworthi (Stephens, 1832) (cf.) - Staphylinidae
10.XI.2011 - ITALIA - Marche - PU
|
Coleoptera |
marco paglialunga |
0 |
369 |
12/12/2011, 9:10
marco paglialunga
|
 |
|
Paederus (s.str.) cf. riparius (Linnaeus, 1758) - Staphylinidae, Paederinae
2.III.2011 - ITALIA - Emilia-Romagna - RE
|
Coleoptera |
Mikiphasmide |
8 |
803 |
05/12/2011, 22:57
Mikiphasmide
|
 |
|
Ocypus olens (O. Muller, 1764) - Staphylinidae
|
Coleoptera |
coleotter |
6 |
672 |
01/12/2011, 15:23
coleotter
|
 |
|
Scaphidium quadrimaculatum Olivier, 1790 Staphilinidae
28.XI.2011 - ITALIA - Friuli-Venezia Giulia - GO
|
Coleoptera |
Agdistis |
1 |
439 |
29/11/2011, 20:31
Andricus
|
 |
|
Platydracus (Platydracus) flavopunctatus (Latreille, 1804) - Staphylinidae
30.VII.2011 - ITALIA - Marche - MC
|
Coleoptera |
StagBeetle |
1 |
515 |
28/11/2011, 17:23
mascalzonepadano
|
 |
|
Ocypus (Ocypus) olens (O. Muller, 1764) - Staphylinidae
12.XI.2011 - ITALIA - Lazio - RM
|
Coleoptera |
Claude54 |
2 |
466 |
28/11/2011, 2:22
chus
|
 |
|
Xantholinus (Milichilinus) decorus Erichson, 1839 - Staphylinidae
5.XI.2011 - ROMANIA - EE
|
Coleoptera |
cosmln |
2 |
700 |
27/11/2011, 11:56
cosmln
|
 |
|
Tasgius (Rayacheila) falcifer (Nordmann, 1837) - Staphylinidae, Staphylininae, Staphylinini, Staphylinina
20.XI.2011 - ITALIA - Lazio - RM
|
Coleoptera |
Fabio Turchetti |
3 |
566 |
21/11/2011, 15:51
mascalzonepadano
|
 |
|
Metopsia similis Zerche, 1998 - Staphylinidae
25.X.2011 - ITALIA - Marche - PU
|
Coleoptera |
marco paglialunga |
0 |
425 |
21/11/2011, 8:42
marco paglialunga
|
 |
|
Ocypus (Ocypus) olens (O. Müller, 1764) - Staphylinidae
9.XI.2011 - ITALIA - Lazio - VT
|
Coleoptera |
Andricus |
1 |
559 |
11/11/2011, 1:09
Julodis
|
 |
|
Dinothenarus flavocephalus (Goeze, 1777) - Staphylinidae
[ Vai alla pagina: 1, 2 ]
26.X.2011 - ITALIA - Puglia - BA
|
Coleoptera |
Mimmo011 |
15 |
2703 |
09/11/2011, 12:50
Mimmo011
|
 |
|
Scaphidium quadrimaculatum Olivier, 1790 - Staphilinidae
28.X.2011 - ROMANIA - EE
|
Coleoptera |
cosmln |
1 |
1024 |
01/11/2011, 22:54
Agdistis
|
 |
|
Sepedophilus bipustulatus (Gravenhorst, 1802) - Staphylinidae
28.X.2011 - ROMANIA - EE
|
Coleoptera |
cosmln |
12 |
2083 |
01/11/2011, 20:35
f.izzillo
|
 |
|
Rugilus orbiculatus (Paykull, 1789) - Staphylinidae
24.X.2011 - ITALIA - Toscana - SI
|
Coleoptera |
Anillus |
2 |
638 |
30/10/2011, 15:34
Anillus
|
 |
|
Leptotyphlus (Leptotyphlus) oglasensis Poggi 1976 - Staphylinidae, Leptotyphlinae
23.VI.1976 - ITALIA - Toscana - LI
|
Coleoptera |
Anillus |
9 |
1063 |
27/10/2011, 23:40
Anillus
|
 |
|
Astrapeus ulmi (Rossi, 1790) - Staphylinidae Quediini Quediina
20.X.2011 - ITALIA - Marche - AN
|
Coleoptera |
StagBeetle |
2 |
583 |
26/10/2011, 13:27
StagBeetle
|
 |
|
Ocypus (Ocypus) olens olens (O. Müller, 1764) - Staphylinidae
23.X.2011 - ITALIA - Lombardia - PV
|
Coleoptera |
carlos |
3 |
613 |
24/10/2011, 8:35
carlos
|
 |
|
Creophilus maxillosus (Linnaeus, 1758) - Staphylinidae
9.V.2007 - ITALIA - Sicilia - PA
|
Coleoptera |
Caliddo |
0 |
430 |
23/10/2011, 17:57
Caliddo
|
 |
|
Homaeotarsus bernhaueri Cameron, 1924 - Staphylinidae Paederinae Cryptobiina
15.IX.2011 - PAKISTAN - EE
|
Coleoptera |
Honza |
2 |
600 |
22/10/2011, 6:21
Honza
|
 |
|
Ontholestes murinus (Linnaeus, 1758) - Staphylinidae Staphylinini Staphylinina
27.VIII.2011 - ITALIA - Lazio - RM
|
Coleoptera |
Goliathus |
2 |
435 |
18/10/2011, 22:57
Goliathus
|
 |
|
Platydracus maculipennis (Kraatz, 1859) - Staphylinidae - Staphylinina
15.IX.2011 - PAKISTAN - EE
|
Coleoptera |
Honza |
3 |
729 |
17/10/2011, 14:00
alexaandru
|
 |
|
Creophilus maxillosus (Linnaeus, 1758) - Staphylinidae
11.IX.2011 - ITALIA - Sicilia - ME
|
Coleoptera |
Lucanus tetraodon |
5 |
1083 |
09/10/2011, 19:31
Honza
|
 |
|
Scotonomus sp. - Staphylinidae
26.IV.2009 - ITALIA - Lazio - RM
|
Coleoptera |
Notoxus59 |
5 |
1513 |
09/10/2011, 15:35
Honza
|
 |
|
Bledius (Bledius) tricornis (Herbst, 1784) - Staphylinidae Oxytelinae Oxytelini
13.VIII.2011 - ROMANIA - EE
|
Coleoptera |
cosmln |
3 |
1730 |
09/10/2011, 14:47
cosmln
|
 |
|
Astenus (Astenus) lyonessius (Joy, 1908) - Staphylinidae Paederini Astenina
23.IX.2011 - ITALIA - Sardegna - CA
|
Coleoptera |
Fumea crassiorella |
6 |
1155 |
29/09/2011, 6:17
Honza
|
 |
|
Palaeostigus ruficornis neapolitanus (Ganglbauer, 1899) - Staphylinidae Mastiginae Mastigini
30.VII.2011 - ITALIA - Abruzzo - AQ
|
Coleoptera |
Claude54 |
6 |
1332 |
16/09/2011, 18:42
Honza
|
 |
|
Emus hirtus (Linnaeus, 1758) - Staphylinidae
18.V.2011 - TURCHIA - EE
|
Coleoptera |
scarabaeidae |
4 |
1004 |
07/09/2011, 15:46
Malpertuis
|
 |
|
Eulissus chalybaeus (Mannerheim, 1830) - Staphylininae - Xantholinini
V.2004 - PERU - EE
|
Coleoptera |
Honza |
1 |
740 |
06/09/2011, 16:32
mascalzonepadano
|
|
|