Benvenuto Ospite

Forum Entomologi Italiani

www.entomologiitaliani.net/forum
 
Oggi è 28/03/2026, 13:27

Tutti gli orari sono UTC + 1 ora [ ora legale ]

Staphylinidae indeterminati


[ AFROTROPICALE ] [ ANTARTICO ] [ AUSTRALASIANO ] [ NEARTICO ] [ NEOTROPICALE ] [ ORIENTALE ] [ PALEARTICO ]


nuovo argomento
Vai alla pagina Precedente  1, 2, 3, 4, 5, 6, 7 ... 13  Prossimo
Pagina 4 di 13 [ 641 argomenti ]
 Argomenti   Ordine   Autore   Risposte   Visite    Ultimo messaggio 
Annunci
Nessun messaggio da leggere
Allegato(i)
Incontri entomologici della Società Entomologica Italiana 2025-2026
 

Velvet Ant

0

39725

17/11/2025, 19:41

Velvet Ant Vedi ultimo messaggio

Nessun messaggio da leggere
Allegato(i)
Incontri entomologici telematici organizzati dalla Società Entomologica Italiana nel 2022 e nel 2023

[ Vai alla paginaVai alla pagina: 1, 2, 3 ]

 

Velvet Ant

44

1949585

03/03/2023, 15:55

Velvet Ant Vedi ultimo messaggio

Nessun messaggio da leggere  
Allegato(i)
Sondaggio sul declino dell'entomofauna in Italia

[ Vai alla paginaVai alla pagina: 1, 2, 3, 4 ]

 

Velvet Ant

52

2612174

22/10/2022, 19:18

Acquarius Vedi ultimo messaggio

Nessun messaggio da leggere  
Allegato(i)
Progetto: Bibliografia ragionata dei lavori entomologici nei quali sono citati reperti apparsi su FEI

[ Vai alla paginaVai alla pagina: 1, 2, 3 ]

 

Velvet Ant

33

1564610

06/07/2023, 18:31

Orotrechus Vedi ultimo messaggio

Nessun messaggio da leggere
Allegato(i)
Mimesi, il primo documentario cinematografico sull’entomologia in Italia: casting
 

mazzeip

1

1128024

28/02/2019, 20:26

mazzeip Vedi ultimo messaggio

Questo argomento è bloccato, non puoi modificare o inviare ulteriori messaggi.
Allegato(i)
ISTRUZIONI PUBBLICAZIONE NUOVI ARGOMENTI E FOTO

 
Altri Ordini di Insetti

Julodis

4

2941736

13/05/2015, 19:37

Julodis Vedi ultimo messaggio

Nessun messaggio da leggere
Allegato(i)
Limitatore giornaliero di messaggi, uno strumento utile e ormai indispensabile

[ Vai alla paginaVai alla pagina: 1 ... 14, 15, 16 ]

 

Velvet Ant

233

13510426

25/09/2014, 14:31

Inachis Vedi ultimo messaggio

Nessun messaggio da leggere  
NORME PER I COLLABORATORI DEL FORUM

 
 

Velvet Ant

0

662932

02/06/2011, 12:05

Velvet Ant Vedi ultimo messaggio

Nessun messaggio da leggere
Allegato(i)
NORME PER GLI UTENTI DEL FORUM

[ Vai alla paginaVai alla pagina: 1, 2, 3 ]



 
 

Velvet Ant

30

3679709

23/09/2014, 23:54

Maurizio Bollino Vedi ultimo messaggio

Nessun messaggio da leggere  
Lista degli utenti del "Forum entomologi italiani" per campi di interesse e specializzazione

 
Altri Ordini di Insetti

Velvet Ant

13

1102762

07/09/2023, 17:14

Roberto-07 Vedi ultimo messaggio

Argomenti
Nessun messaggio da leggere
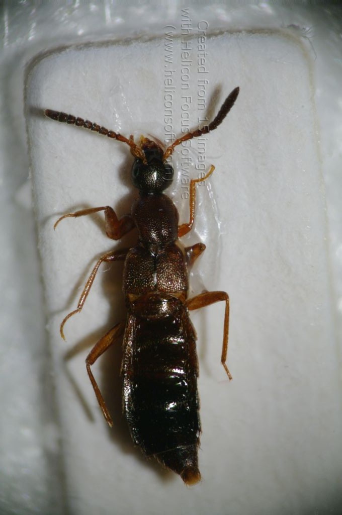
Proteinus sp. - Staphylinidae
17.III.2017 - ITALIA - Trentino-Alto Adige - TN
Allegato(i)
Proteinus sp. - Staphylinidae

17.III.2017 - ITALIA - Trentino-Alto Adige - TN
Coleoptera

Andrea Pergine

2

1020

19/03/2020, 17:55

Andrea Pergine Vedi ultimo messaggio

Nessun messaggio da leggere
Gyrophaena sp. - Staphylinidae
6.X.2019 - ITALIA - Lazio - RM
Allegato(i)
Gyrophaena sp. - Staphylinidae

6.X.2019 - ITALIA - Lazio - RM
Coleoptera

soken

2

2034

06/03/2020, 21:27

soken Vedi ultimo messaggio

Nessun messaggio da leggere
Ocalea sp. - Staphylinidae
20.II.2020 - ITALIA - Piemonte - VB
Allegato(i)
Ocalea sp. - Staphylinidae

20.II.2020 - ITALIA - Piemonte - VB
Coleoptera

Bantorp

2

1119

29/02/2020, 15:45

Bantorp Vedi ultimo messaggio

Nessun messaggio da leggere
Stenus sp. - Staphylinidae
19.II.2020 - ITALIA - Veneto - VE
Allegato(i)
Stenus sp. - Staphylinidae

19.II.2020 - ITALIA - Veneto - VE
Coleoptera

ghebo

2

965

19/02/2020, 18:14

ghebo Vedi ultimo messaggio

Nessun messaggio da leggere
Olophrum sp. - Staphylinidae Omalinae
15.II.2020 - ITALIA - Veneto - VE
Allegato(i)
Olophrum sp. - Staphylinidae Omalinae

15.II.2020 - ITALIA - Veneto - VE
Coleoptera

ghebo

3

1428

17/02/2020, 18:41

ghebo Vedi ultimo messaggio

Nessun messaggio da leggere
Scaphisoma sp. - Staphylinidae Scaphidiinae
30.XII.2019 - ITALIA - Veneto - TV
Allegato(i)
Scaphisoma sp. - Staphylinidae Scaphidiinae

30.XII.2019 - ITALIA - Veneto - TV
Coleoptera

fasmidi

2

1084

04/01/2020, 11:44

fasmidi Vedi ultimo messaggio

Nessun messaggio da leggere
Staphylinidae sp.
21.XII.2019 - ITALIA - Lombardia - CO
Allegato(i)
Staphylinidae sp.

21.XII.2019 - ITALIA - Lombardia - CO
Coleoptera

fasmidi

2

979

24/12/2019, 23:26

fasmidi Vedi ultimo messaggio

Nessun messaggio da leggere
Astenus sp. - Staphylinidae
17.IV.2018 - ITALIA - Lombardia - CR
Allegato(i)
Astenus sp. - Staphylinidae

17.IV.2018 - ITALIA - Lombardia - CR
Coleoptera

Adriana49

2

1012

09/12/2019, 9:19

Adriana49 Vedi ultimo messaggio

Nessun messaggio da leggere
Philonthus sp. - Staphylinidae
17.V.2019 - ITALIA - Sardegna - CI
Allegato(i)
Philonthus sp. - Staphylinidae

17.V.2019 - ITALIA - Sardegna - CI
Coleoptera

Adriana49

2

970

06/12/2019, 18:55

Adriana49 Vedi ultimo messaggio

Nessun messaggio da leggere
Bolitochara sp. - Staphylinidae
4.XI.2018 - ITALIA - Trentino-Alto Adige - TN
Allegato(i)
Bolitochara sp. - Staphylinidae

4.XI.2018 - ITALIA - Trentino-Alto Adige - TN
Coleoptera

Adriana49

2

916

04/12/2019, 20:50

Adriana49 Vedi ultimo messaggio

Nessun messaggio da leggere
Mycetoporus sp. - Staphylinidae
6.V.2018 - ITALIA - Sardegna - CA
Allegato(i)
Mycetoporus sp. - Staphylinidae

6.V.2018 - ITALIA - Sardegna - CA
Coleoptera

Adriana49

2

934

04/12/2019, 20:45

Adriana49 Vedi ultimo messaggio

Nessun messaggio da leggere
Ocypus sp. - Staphylinidae
5.V.2017 - ALBANIA - EE
Allegato(i)
Ocypus sp. - Staphylinidae

5.V.2017 - ALBANIA - EE
Coleoptera

tala

1

871

17/11/2019, 23:04

mascalzonepadano Vedi ultimo messaggio

Nessun messaggio da leggere
Ocypus sp. - Staphylinidae
30.I.1990 - ITALIA - Marche - PU
Allegato(i)
Ocypus sp. - Staphylinidae

30.I.1990 - ITALIA - Marche - PU
Coleoptera

tala

2

1015

14/11/2019, 15:21

tala Vedi ultimo messaggio

Nessun messaggio da leggere
Lesteva sp. - Staphylinidae Omalinae Omaliini
6.X.2019 - ITALIA - Marche - PU
Allegato(i)
Lesteva sp. - Staphylinidae Omalinae Omaliini

6.X.2019 - ITALIA - Marche - PU
Coleoptera

StagBeetle

3

1087

11/11/2019, 19:56

StagBeetle Vedi ultimo messaggio

Nessun messaggio da leggere
Carpelimus sp. (cf.) - Staphylinidae
10.VI.2019 - ITALIA - Molise - IS
Allegato(i)
Carpelimus sp. (cf.) - Staphylinidae

10.VI.2019 - ITALIA - Molise - IS
Coleoptera

marco paglialunga

0

785

19/06/2019, 18:05

marco paglialunga Vedi ultimo messaggio

Nessun messaggio da leggere
Xantholinus sp. - Staphylinidae
10.V.2019 - ITALIA - Puglia - LE
Allegato(i)
Xantholinus sp. - Staphylinidae

10.V.2019 - ITALIA - Puglia - LE
Coleoptera

marco paglialunga

0

788

18/06/2019, 9:56

marco paglialunga Vedi ultimo messaggio

Nessun messaggio da leggere
Allegato(i)
Atheta sp. (cf.) - Staphylinidae Aleocharinae

2.X.2018 - SPAGNA - EE
Coleoptera

Miguel Ángel

4

1391

08/06/2019, 12:48

Miguel Ángel Vedi ultimo messaggio

Nessun messaggio da leggere
Paederus sp. - Staphylinidae
16.IV.2019 - ITALIA - Molise - IS
Allegato(i)
Paederus sp. - Staphylinidae

16.IV.2019 - ITALIA - Molise - IS
Coleoptera

Franco ROSSI

0

730

17/04/2019, 13:25

Franco ROSSI Vedi ultimo messaggio

Nessun messaggio da leggere
Larva di Ocypus sp. - Staphylinidae
13.IV.2019 - ITALIA - Veneto - VR
Allegato(i)
Larva di Ocypus sp. - Staphylinidae

13.IV.2019 - ITALIA - Veneto - VR
Altri Ordini di Insetti

Mijriam

1

824

14/04/2019, 10:14

elleelle Vedi ultimo messaggio

Nessun messaggio da leggere
Achenium sp. - Staphylinidae
3.III.2019 - ITALIA - Lazio - RM
Allegato(i)
Achenium sp. - Staphylinidae

3.III.2019 - ITALIA - Lazio - RM
Coleoptera

elleelle

1

920

08/03/2019, 9:30

Honza Vedi ultimo messaggio

Nessun messaggio da leggere
Eusphalerum sp. - Staphylinidae
9.VII.2018 - ITALIA - Lombardia - BG
Allegato(i)
Eusphalerum sp. - Staphylinidae

9.VII.2018 - ITALIA - Lombardia - BG
Coleoptera

PAOLO BIELLA

2

921

28/02/2019, 18:13

PAOLO BIELLA Vedi ultimo messaggio

Nessun messaggio da leggere
Phloeocharis sp. - Staphylinidae
17.XII.2018 - ITALIA - Campania - SA
Allegato(i)
Phloeocharis sp. - Staphylinidae

17.XII.2018 - ITALIA - Campania - SA
Coleoptera

Mattia D'Amato

3

1220

16/02/2019, 19:02

Mattia D'Amato Vedi ultimo messaggio

Nessun messaggio da leggere
Staphilinidae sp.
19.I.2019 - ITALIA - Campania - SA
Allegato(i)
Staphilinidae sp.

19.I.2019 - ITALIA - Campania - SA
Coleoptera

Mattia D'Amato

2

855

11/02/2019, 21:31

Mattia D'Amato Vedi ultimo messaggio

Nessun messaggio da leggere
Staphylinidae sp.
19.XII.2018 - ITALIA - Lazio - RM
Allegato(i)
Staphylinidae sp.

19.XII.2018 - ITALIA - Lazio - RM
Coleoptera

elleelle

1

649

29/12/2018, 13:36

AetherisIgnis Vedi ultimo messaggio

Nessun messaggio da leggere
Thyreocephalus sp. - Staphylinidae
3.X.2006 - CINA - EE
Allegato(i)
Thyreocephalus sp. - Staphylinidae

3.X.2006 - CINA - EE
Coleoptera

Isidro

2

753

20/12/2018, 8:52

Isidro Vedi ultimo messaggio

Nessun messaggio da leggere
Staphylinidae Oxytelinae sp.
26.III.2018 - SPAGNA - EE
Allegato(i)
Staphylinidae Oxytelinae sp.

26.III.2018 - SPAGNA - EE
Coleoptera

Miguel Ángel

2

825

15/12/2018, 13:49

Miguel Ángel Vedi ultimo messaggio

Nessun messaggio da leggere
Tachyporus sp. (cf.) - Staphylinidae
2.XII.2018 - ITALIA - Campania - SA
Allegato(i)
Tachyporus sp. (cf.) - Staphylinidae

2.XII.2018 - ITALIA - Campania - SA
Coleoptera

Mattia D'Amato

0

679

13/12/2018, 21:25

Mattia D'Amato Vedi ultimo messaggio

Nessun messaggio da leggere
Tachyporus sp. - Staphylinidae
17.IV.2018 - ITALIA - Lombardia - BS
Allegato(i)
Tachyporus sp. - Staphylinidae

17.IV.2018 - ITALIA - Lombardia - BS
Coleoptera

Adriana49

2

971

25/11/2018, 20:21

Adriana49 Vedi ultimo messaggio

Nessun messaggio da leggere
Lordithon sp. - Staphylinidae
14.XI.2018 - ITALIA - Sardegna - CA
Allegato(i)
Lordithon sp. - Staphylinidae

14.XI.2018 - ITALIA - Sardegna - CA
Coleoptera

Adriana49

6

1413

22/11/2018, 18:41

Honza Vedi ultimo messaggio

Nessun messaggio da leggere
Quedius (Raphirus) sp. - Staphylinidae
10.I.2015 - ITALIA - Abruzzo - PE
Allegato(i)
Quedius (Raphirus) sp. - Staphylinidae

10.I.2015 - ITALIA - Abruzzo - PE
Coleoptera

Alessio89

6

1403

18/11/2018, 12:05

Alessio89 Vedi ultimo messaggio

Nessun messaggio da leggere
Quedius sp. - Staphylinidae
14.XI.2018 - ITALIA - Toscana - FI
Allegato(i)
Quedius sp. - Staphylinidae

14.XI.2018 - ITALIA - Toscana - FI
Coleoptera

Arfem

2

828

15/11/2018, 11:08

Arfem Vedi ultimo messaggio

Nessun messaggio da leggere
Quedius (Raphirus) sp. - Staphylinidae
3.V.2018 - ITALIA - Puglia - FG
Allegato(i)
Quedius (Raphirus) sp. - Staphylinidae

3.V.2018 - ITALIA - Puglia - FG
Coleoptera

marco paglialunga

3

1014

05/11/2018, 15:25

Antonio Pareto Vedi ultimo messaggio

Nessun messaggio da leggere
Lathrobium (Glyptomerus) sp. (cf.) - Staphylinidae
26.X.2018 - ITALIA - Liguria - GE
Allegato(i)
Lathrobium (Glyptomerus) sp. (cf.) - Staphylinidae

26.X.2018 - ITALIA - Liguria - GE
Coleoptera

fiocchino

3

1033

30/10/2018, 17:16

fiocchino Vedi ultimo messaggio

Nessun messaggio da leggere
Quedius sp. - Staphylinidae
9.X.2018 - ITALIA - Liguria - GE
Allegato(i)
Quedius sp. - Staphylinidae

9.X.2018 - ITALIA - Liguria - GE
Coleoptera

fiocchino

3

940

12/10/2018, 16:01

Honza Vedi ultimo messaggio

Nessun messaggio da leggere
Sepedophilus sp. - Staphylinidae Tachyporinae
2.X.2018 - ITALIA - Veneto - VE
Allegato(i)
Sepedophilus sp. - Staphylinidae Tachyporinae

2.X.2018 - ITALIA - Veneto - VE
Coleoptera

ghebo

2

759

06/10/2018, 9:49

ghebo Vedi ultimo messaggio

Nessun messaggio da leggere
Micropeplus sp. - Staphylinidae Micropeplinae
I.2014 - ITALIA - Veneto - BL
Allegato(i)
Micropeplus sp. - Staphylinidae Micropeplinae

I.2014 - ITALIA - Veneto - BL
Coleoptera

Maw89

8

1186

24/09/2018, 16:44

Livio Vedi ultimo messaggio

Nessun messaggio da leggere
Philonthus sp. - Staphylinidae
9.IX.2018 - ITALIA - Lombardia - MB
Allegato(i)
Philonthus sp. - Staphylinidae

9.IX.2018 - ITALIA - Lombardia - MB
Coleoptera

Giuseppe

3

664

11/09/2018, 23:50

AetherisIgnis Vedi ultimo messaggio

Nessun messaggio da leggere
Paederus sp. - Staphylinidae
2.VIII.2018 - ITALIA - Lombardia - CR
Allegato(i)
Paederus sp. - Staphylinidae

2.VIII.2018 - ITALIA - Lombardia - CR
Coleoptera

Rothari

0

645

30/08/2018, 11:26

Rothari Vedi ultimo messaggio

Nessun messaggio da leggere  
Allegato(i)
Paedurus sp. - Staphylinidae

14.VII.2018 - TURCHIA - EE
Coleoptera

ozgur70

0

743

02/08/2018, 0:36

ozgur70 Vedi ultimo messaggio

Nessun messaggio da leggere
Staphylinidae sp.
9.VII.2018 - ITALIA - Lombardia - BG
Allegato(i)
Staphylinidae sp.

9.VII.2018 - ITALIA - Lombardia - BG
Coleoptera

PAOLO BIELLA

1

782

27/07/2018, 20:55

gabrif Vedi ultimo messaggio

Nessun messaggio da leggere
Eusphalerum sp. - Staphylinidae Omaliinae
VII.2018 - ROMANIA - EE
Allegato(i)
Eusphalerum sp. - Staphylinidae Omaliinae

VII.2018 - ROMANIA - EE
Coleoptera

AdYRuicanescu

2

847

19/07/2018, 14:14

AdYRuicanescu Vedi ultimo messaggio

Nessun messaggio da leggere
Xantholinus sp. (cf.) - Staphylinidae
5.VII.2018 - ITALIA - Lombardia - CO
Allegato(i)
Xantholinus sp. (cf.) - Staphylinidae

5.VII.2018 - ITALIA - Lombardia - CO
Coleoptera

fasmidi

2

793

14/07/2018, 9:09

fasmidi Vedi ultimo messaggio

Nessun messaggio da leggere
Micropeplus sp. - Staphylinidae
29.VI.2018 - ITALIA - Piemonte - BI
Allegato(i)
Micropeplus sp. - Staphylinidae

29.VI.2018 - ITALIA - Piemonte - BI
Coleoptera

fasmidi

4

1286

01/07/2018, 21:40

fasmidi Vedi ultimo messaggio

Nessun messaggio da leggere
Quedius sp. - Staphylinidae
21.VI.2018 - ITALIA - Sardegna - OT
Allegato(i)
Quedius sp. - Staphylinidae

21.VI.2018 - ITALIA - Sardegna - OT
Coleoptera

Mauro

0

678

23/06/2018, 20:36

Mauro Vedi ultimo messaggio

Nessun messaggio da leggere
Ochthephilus sp. - Staphylinidae Oxytelinae
6.V.2018 - ITALIA - Friuli-Venezia Giulia - PN
Allegato(i)
Ochthephilus sp. - Staphylinidae Oxytelinae

6.V.2018 - ITALIA - Friuli-Venezia Giulia - PN
Coleoptera

federica losacco

2

986

12/06/2018, 11:18

federica losacco Vedi ultimo messaggio

Nessun messaggio da leggere
Eusphalerum sp. - Staphylinidae
27.V.2015 - ITALIA - Toscana - LU
Allegato(i)
Eusphalerum sp. - Staphylinidae

27.V.2015 - ITALIA - Toscana - LU
Coleoptera

Rafał Celadyn

5

1733

08/04/2018, 18:18

Honza Vedi ultimo messaggio

Nessun messaggio da leggere
Allegato(i)
Boreaphilus sp. - Staphylinidae Omaliinae Coryphiini Boreaphilina

23.III.2009 - SPAGNA - EE
Coleoptera

Honza

1

749

06/03/2018, 18:58

Honza Vedi ultimo messaggio

Nessun messaggio da leggere
Drusilla sp. - Staphylinidae
2.V.2015 - ITALIA - Liguria - SV
Allegato(i)
Drusilla sp. - Staphylinidae

2.V.2015 - ITALIA - Liguria - SV
Coleoptera

Adriana49

3

830

27/02/2018, 20:38

Adriana49 Vedi ultimo messaggio

Nessun messaggio da leggere
Oxypoda sp. - Staphylinidae
3.XI.2013 - ITALIA - Sardegna - CA
Allegato(i)
Oxypoda sp. - Staphylinidae

3.XI.2013 - ITALIA - Sardegna - CA
Coleoptera

Adriana49

2

619

27/02/2018, 18:42

Adriana49 Vedi ultimo messaggio

Nessun messaggio da leggere
Leptacinus sp. - Staphylinidae Xantholinae
10.VI.2016 - ITALIA - Lombardia - CR
Allegato(i)
Leptacinus sp. - Staphylinidae Xantholinae

10.VI.2016 - ITALIA - Lombardia - CR
Coleoptera

Adriana49

2

728

26/02/2018, 17:52

Adriana49 Vedi ultimo messaggio

Visualizza ultimi argomenti:  Ordina per  Ordine:  
nuovo argomento
Vai alla pagina Precedente  1, 2, 3, 4, 5, 6, 7 ... 13  Prossimo
Pagina 4 di 13 [ 641 argomenti ]

Tutti gli orari sono UTC + 1 ora [ ora legale ]


Chi c’è in linea

Visitano il forum: Nessuno e 1 ospite


Legenda
Messaggi da leggere Messaggi da leggere Nessun messaggio da leggere Nessun messaggio da leggere Annuncio Annuncio
 
Specie indeterminata / discussione generica
Messaggi non letti [ Popolari ] Messaggi non letti [ Popolari ] Nessun messaggio da leggere [ Popolare ] Nessun messaggio da leggere [ Popolare ] Importante Importante
 
Specie determinata fino al genere o cf.
Messaggi non letti [ Bloccati ] Messaggi non letti [ Bloccati ] No messaggi non letti [ Bloccati ] No messaggi non letti [ Bloccati ] Argomento spostato Argomento spostato
 
Specie correttamente determinata
Permessi
Non puoi aprire nuovi argomenti
Non puoi rispondere negli argomenti
Non puoi modificare i tuoi messaggi
Non puoi cancellare i tuoi messaggi
Non puoi inviare allegati

Cerca per:
Vai a: