Benvenuto Ospite

Forum Entomologi Italiani

www.entomologiitaliani.net/forum
 
Oggi è 23/03/2026, 22:43

Tutti gli orari sono UTC + 1 ora [ ora legale ]

Asilidae


[ AFROTROPICALE ] [ ANTARTICO ] [ AUSTRALASIANO ] [ NEARTICO ] [ NEOTROPICALE ] [ ORIENTALE ] [ PALEARTICO ]


nuovo argomento
Vai alla pagina Precedente  1, 2, 3, 4, 5, 6  Prossimo
Pagina 4 di 6 [ 261 argomenti ]
 Argomenti   Ordine   Autore   Risposte   Visite    Ultimo messaggio 
Annunci
Nessun messaggio da leggere
Allegato(i)
Incontri entomologici della Società Entomologica Italiana 2025-2026
 

Velvet Ant

0

37394

17/11/2025, 19:41

Velvet Ant Vedi ultimo messaggio

Nessun messaggio da leggere
Allegato(i)
Incontri entomologici telematici organizzati dalla Società Entomologica Italiana nel 2022 e nel 2023

[ Vai alla paginaVai alla pagina: 1, 2, 3 ]

 

Velvet Ant

44

1930079

03/03/2023, 15:55

Velvet Ant Vedi ultimo messaggio

Nessun messaggio da leggere  
Allegato(i)
Sondaggio sul declino dell'entomofauna in Italia

[ Vai alla paginaVai alla pagina: 1, 2, 3, 4 ]

 

Velvet Ant

52

2589566

22/10/2022, 19:18

Acquarius Vedi ultimo messaggio

Nessun messaggio da leggere  
Allegato(i)
Progetto: Bibliografia ragionata dei lavori entomologici nei quali sono citati reperti apparsi su FEI

[ Vai alla paginaVai alla pagina: 1, 2, 3 ]

 

Velvet Ant

33

1548379

06/07/2023, 18:31

Orotrechus Vedi ultimo messaggio

Nessun messaggio da leggere
Allegato(i)
Mimesi, il primo documentario cinematografico sull’entomologia in Italia: casting
 

mazzeip

1

1124800

28/02/2019, 20:26

mazzeip Vedi ultimo messaggio

Questo argomento è bloccato, non puoi modificare o inviare ulteriori messaggi.
Allegato(i)
ISTRUZIONI PUBBLICAZIONE NUOVI ARGOMENTI E FOTO

 
Altri Ordini di Insetti

Julodis

4

2937490

13/05/2015, 19:37

Julodis Vedi ultimo messaggio

Nessun messaggio da leggere
Allegato(i)
Limitatore giornaliero di messaggi, uno strumento utile e ormai indispensabile

[ Vai alla paginaVai alla pagina: 1 ... 14, 15, 16 ]

 

Velvet Ant

233

13402304

25/09/2014, 14:31

Inachis Vedi ultimo messaggio

Nessun messaggio da leggere  
NORME PER I COLLABORATORI DEL FORUM

 
 

Velvet Ant

0

660864

02/06/2011, 12:05

Velvet Ant Vedi ultimo messaggio

Nessun messaggio da leggere
Allegato(i)
NORME PER GLI UTENTI DEL FORUM

[ Vai alla paginaVai alla pagina: 1, 2, 3 ]



 
 

Velvet Ant

30

3665369

23/09/2014, 23:54

Maurizio Bollino Vedi ultimo messaggio

Nessun messaggio da leggere  
Lista degli utenti del "Forum entomologi italiani" per campi di interesse e specializzazione

 
Altri Ordini di Insetti

Velvet Ant

13

1095762

07/09/2023, 17:14

Roberto-07 Vedi ultimo messaggio

Argomenti
Nessun messaggio da leggere
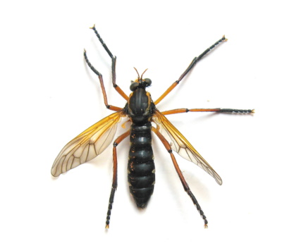
Pycnopogon fasciculatus (Loew 1847) - Asilidae
5.VII.2014 - ITALIA - Abruzzo - AQ
Allegato(i)
Pycnopogon fasciculatus (Loew 1847) - Asilidae

5.VII.2014 - ITALIA - Abruzzo - AQ
Diptera

Julodis

5

1465

22/01/2015, 18:49

dan2014 Vedi ultimo messaggio

Nessun messaggio da leggere
Leptogaster sp. - Asilidae Leptogastrinae
22.VI.2014 - ITALIA - Friuli-Venezia Giulia - GO
Allegato(i)
Leptogaster sp. - Asilidae Leptogastrinae

22.VI.2014 - ITALIA - Friuli-Venezia Giulia - GO
Diptera

Agdistis

3

1133

22/01/2015, 18:42

dan2014 Vedi ultimo messaggio

Nessun messaggio da leggere
Allegato(i)
Andrenosoma albopilosum Villeneuve, 1911 (cf.) - Asilidae (in deposizione)

6.IV.2011 - ITALIA - Lazio - LT
Diptera

elleelle

4

2186

22/01/2015, 18:08

dan2014 Vedi ultimo messaggio

Nessun messaggio da leggere
Asilidae Asilinae
20.VI.2014 - ITALIA - Toscana - GR
Allegato(i)
Asilidae Asilinae

20.VI.2014 - ITALIA - Toscana - GR
Diptera

corvus

5

1762

22/01/2015, 17:15

dan2014 Vedi ultimo messaggio

Nessun messaggio da leggere
Pogonosoma minor Loew, 1869 Asilidae
VII.2005 - ITALIA - Marche - PU
Allegato(i)
Pogonosoma minor Loew, 1869 Asilidae

VII.2005 - ITALIA - Marche - PU
Diptera

marco paglialunga

2

1322

21/01/2015, 16:51

dan2014 Vedi ultimo messaggio

Nessun messaggio da leggere
Allegato(i)
Choerades cf. ignea (Meigen, 1820) - Asilidae Laphriinae Laphriini

23.VI.2013 - ITALIA - Sardegna - OT
Diptera

Mauro

7

2186

27/10/2014, 12:27

dan2014 Vedi ultimo messaggio

Nessun messaggio da leggere
Choerades fimbriata (Meigen, 1820) ♂ - Asilidae
8.VI.2013 - ITALIA - Emilia-Romagna - BO
Allegato(i)
Choerades fimbriata (Meigen, 1820) ♂ - Asilidae

8.VI.2013 - ITALIA - Emilia-Romagna - BO
Diptera

sarsar09

4

1456

15/09/2014, 9:53

sarsar09 Vedi ultimo messaggio

Nessun messaggio da leggere
Choerades femorata (Meigen, 1804) - Asilidae Laphriinae
VIII.2010 - ITALIA - Lazio - RM
Allegato(i)
Choerades femorata (Meigen, 1804) - Asilidae Laphriinae

VIII.2010 - ITALIA - Lazio - RM
Diptera

aesalus37

4

1424

08/09/2014, 17:13

aesalus37 Vedi ultimo messaggio

Nessun messaggio da leggere
Asilus crabroniformis Linnaeus 1758 - Asilidae
31.VIII.2014 - ITALIA - Friuli-Venezia Giulia - TS
Allegato(i)
Asilus crabroniformis Linnaeus 1758 - Asilidae

31.VIII.2014 - ITALIA - Friuli-Venezia Giulia - TS
Diptera

Bemisia

2

1366

05/09/2014, 9:10

Bemisia Vedi ultimo messaggio

Nessun messaggio da leggere
Allegato(i)
Andrenosoma albibarbe (Meigen, 1820) - Asilidae Laphriinae Andrenosomini

25.VI.2010 - ITALIA - Sardegna - OT
Diptera

Daniele Sechi

2

1483

04/09/2014, 18:23

Daniele Sechi Vedi ultimo messaggio

Nessun messaggio da leggere
Allegato(i)
Stiphrolamyra vitai Hradsky & Geller-Grimm, 1997 - Asilidae Laphriinae Ctenotini

15.V.2012 - MAROCCO - EE
Diptera

Daniele Sechi

4

1828

04/09/2014, 17:00

Fumea crassiorella Vedi ultimo messaggio

Nessun messaggio da leggere
Allegato(i)
Dasypogon diadema (Fabricius 1781) ♀ - Asilidae Dasypogoninae Dasypogonini

21.VI.2014 - ITALIA - Liguria - SV
Diptera

Nymphalidae

4

2002

04/09/2014, 12:57

Nymphalidae Vedi ultimo messaggio

Nessun messaggio da leggere
Laphria flava (Linnaeus 1761) ♂ - Asilidae Laphriinae
12.VII.2010 - ITALIA - Trentino-Alto Adige - BZ
Allegato(i)
Laphria flava (Linnaeus 1761) ♂ - Asilidae Laphriinae

12.VII.2010 - ITALIA - Trentino-Alto Adige - BZ
Diptera

lillo

12

4439

04/09/2014, 12:05

dan2014 Vedi ultimo messaggio

Nessun messaggio da leggere
Dioctria sp. - Asilidae
24.IV.2014 - ITALIA - Lombardia - MN
Allegato(i)
Dioctria sp. - Asilidae

24.IV.2014 - ITALIA - Lombardia - MN
Diptera

Magma

3

1403

29/08/2014, 13:22

Magma Vedi ultimo messaggio

Nessun messaggio da leggere
Machimus sp. ♀ - Asilidae
24.VIII.2014 - ITALIA - Abruzzo - AQ
Allegato(i)
Machimus sp. ♀ - Asilidae

24.VIII.2014 - ITALIA - Abruzzo - AQ
Diptera

Logoste

3

1215

29/08/2014, 3:40

Logoste Vedi ultimo messaggio

Nessun messaggio da leggere
Choerades sp. - Asilidae
17.VIII.2014 - ITALIA - Friuli-Venezia Giulia - TS
Allegato(i)
Choerades sp. - Asilidae

17.VIII.2014 - ITALIA - Friuli-Venezia Giulia - TS
Diptera

Bemisia

2

1148

20/08/2014, 22:27

Bemisia Vedi ultimo messaggio

Nessun messaggio da leggere
Machimus rusticus (Meigen 1820) (cf.) ♀ - Asilidae
19.VII.2014 - ITALIA - Lombardia - BS
Allegato(i)
Machimus rusticus (Meigen 1820) (cf.) ♀ - Asilidae

19.VII.2014 - ITALIA - Lombardia - BS
Diptera

Peter

6

1610

13/08/2014, 8:24

Peter Vedi ultimo messaggio

Nessun messaggio da leggere
Asilidae gallurese
20.VII.2002 - ITALIA - Sardegna - OT
Allegato(i)
Asilidae gallurese

20.VII.2002 - ITALIA - Sardegna - OT
Diptera

Hemerobius

6

1851

05/08/2014, 18:03

Hemerobius Vedi ultimo messaggio

Nessun messaggio da leggere
Neoitamus sp. ♀ - Asilidae Asilinae Asilini
31.V.2014 - ITALIA - Lombardia - BS
Allegato(i)
Neoitamus sp. ♀ - Asilidae Asilinae Asilini

31.V.2014 - ITALIA - Lombardia - BS
Diptera

Peter

4

1182

22/07/2014, 10:33

Peter Vedi ultimo messaggio

Nessun messaggio da leggere
Engelepogon sp. - Asilidae Asilinae
10.VI.2013 - ITALIA - Sicilia - TP
Allegato(i)
Engelepogon sp. - Asilidae Asilinae

10.VI.2013 - ITALIA - Sicilia - TP
Diptera

gigi58

4

1283

10/06/2014, 19:14

gigi58 Vedi ultimo messaggio

Nessun messaggio da leggere
Asilidae Asilinae Asilini
30.V.2014 - ITALIA - Lombardia - MI
Allegato(i)
Asilidae Asilinae Asilini

30.V.2014 - ITALIA - Lombardia - MI
Diptera

aug

3

1204

09/06/2014, 7:02

aug Vedi ultimo messaggio

Nessun messaggio da leggere
Asilide ?
12.V.2011 - GRECIA - EE
Allegato(i)
Asilide ?

12.V.2011 - GRECIA - EE
Diptera

Clickie

2

810

24/05/2014, 15:08

Carlo Monari Vedi ultimo messaggio

Nessun messaggio da leggere
Neomochterus sp. ? - Asilidae
28.VII.2013 - ITALIA - Emilia-Romagna - BO
Allegato(i)
Neomochterus sp. ? - Asilidae

28.VII.2013 - ITALIA - Emilia-Romagna - BO
Diptera

Olaffio

2

778

23/03/2014, 17:14

Olaffio Vedi ultimo messaggio

Nessun messaggio da leggere
Asilidae
11.V.2013 - ITALIA - Emilia-Romagna - BO
Allegato(i)
Asilidae

11.V.2013 - ITALIA - Emilia-Romagna - BO
Diptera

sarsar09

2

909

24/02/2014, 12:05

sarsar09 Vedi ultimo messaggio

Nessun messaggio da leggere
Laphria hecate (Gerstaecker, 1862) - Asilidae
21.V.2009 - GRECIA - EE
Allegato(i)
Laphria hecate (Gerstaecker, 1862) - Asilidae

21.V.2009 - GRECIA - EE
Diptera

jaho

3

1080

04/02/2014, 11:36

jaho Vedi ultimo messaggio

Nessun messaggio da leggere
Dysmachus fuscipennis (Meigen, 1820) - Asilidae
2.VI.2013 - ITALIA - Lombardia - LO
Allegato(i)
Dysmachus fuscipennis (Meigen, 1820) - Asilidae

2.VI.2013 - ITALIA - Lombardia - LO
Diptera

Simona83

6

1392

08/11/2013, 17:19

Simona83 Vedi ultimo messaggio

Nessun messaggio da leggere
Pamponerus germanicus (Linnaeus, 1758) - Asilidae
21.IV.2011 - ITALIA - Veneto - VE
Allegato(i)
Pamponerus germanicus (Linnaeus, 1758) - Asilidae

21.IV.2011 - ITALIA - Veneto - VE
Diptera

ghebo

6

1360

07/11/2013, 16:25

ghebo Vedi ultimo messaggio

Nessun messaggio da leggere
Machimus arthriticus (Zeller, 1840) - Asilidae
3.VII.2011 - ITALIA - Emilia-Romagna - FC
Allegato(i)
Machimus arthriticus (Zeller, 1840) - Asilidae

3.VII.2011 - ITALIA - Emilia-Romagna - FC
Diptera

longaf

3

1253

07/11/2013, 15:13

jaho Vedi ultimo messaggio

Nessun messaggio da leggere
Laphria ephippium (Fabricius, 1781) - Asilidae Laphriinae Laphriini
9.V.2011 - ITALIA - Emilia-Romagna - BO
Allegato(i)
Laphria ephippium (Fabricius, 1781) - Asilidae Laphriinae Laphriini

9.V.2011 - ITALIA - Emilia-Romagna - BO
Diptera

Gian Luca Agnoli

3

1305

07/11/2013, 14:55

Gian Luca Agnoli Vedi ultimo messaggio

Nessun messaggio da leggere
Laphria gibbosa (Linnaeus, 1758) - Asilidae Laphriinae Laphriini
VI.2010 - ITALIA - Friuli-Venezia Giulia - TS
Allegato(i)
Laphria gibbosa (Linnaeus, 1758) - Asilidae Laphriinae Laphriini

VI.2010 - ITALIA - Friuli-Venezia Giulia - TS
Diptera

Agdistis

1

903

07/11/2013, 14:02

jaho Vedi ultimo messaggio

Nessun messaggio da leggere
Pamponerus germanicus (Linnaeus, 1758) ♀ - Asilidae Asilinae
24.IV.2011 - ITALIA - Lombardia - PV
Allegato(i)
Pamponerus germanicus (Linnaeus, 1758) ♀ - Asilidae Asilinae

24.IV.2011 - ITALIA - Lombardia - PV
Diptera

wildrocker

2

916

07/11/2013, 14:00

jaho Vedi ultimo messaggio

Nessun messaggio da leggere
Allegato(i)
Molobratia teutonus (Linnaeus 1767) ♀ - Asilidae Dasypogoninae Molobratiini

8.VII.2010 - ITALIA - Lombardia - LC
Diptera

Giuseppe

5

1096

07/11/2013, 13:34

jaho Vedi ultimo messaggio

Nessun messaggio da leggere
Asilidae
31.VIII.2013 - ITALIA - Lazio - RM
Allegato(i)
Asilidae

31.VIII.2013 - ITALIA - Lazio - RM
Diptera

giuseppe55

0

650

09/09/2013, 19:31

giuseppe55 Vedi ultimo messaggio

Nessun messaggio da leggere
Neomochtherus sp.- Asilidae
1.IX.2013 - ITALIA - Toscana - AR
Allegato(i)
Neomochtherus sp.- Asilidae

1.IX.2013 - ITALIA - Toscana - AR
Diptera

giu85

2

811

06/09/2013, 11:50

giu85 Vedi ultimo messaggio

Nessun messaggio da leggere
Allegato(i)
Laphria gibbosa (Linnaeus, 1758) ♀ - Asilidae Laphriinae Laphriini

5.VIII.2008 - GRECIA - EE
Diptera

Daniele Sechi

2

875

21/08/2013, 14:14

Daniele Sechi Vedi ultimo messaggio

Nessun messaggio da leggere
Laphria flava (Linnaeus 1761) - Asilidae Laphriinae Laphriini
18.VIII.2013 - ITALIA - Friuli-Venezia Giulia - PN
Allegato(i)
Laphria flava (Linnaeus 1761) - Asilidae Laphriinae Laphriini

18.VIII.2013 - ITALIA - Friuli-Venezia Giulia - PN
Diptera

andreah

0

723

20/08/2013, 22:01

andreah Vedi ultimo messaggio

Nessun messaggio da leggere
Asilidae
3.VIII.2013 - ITALIA - Sardegna - OT
Allegato(i)
Asilidae

3.VIII.2013 - ITALIA - Sardegna - OT
Diptera

Mauro

0

721

07/08/2013, 16:55

Mauro Vedi ultimo messaggio

Nessun messaggio da leggere
Asilidae
19.VII.2013 - ITALIA - Campania - SA
Allegato(i)
Asilidae

19.VII.2013 - ITALIA - Campania - SA
Diptera

Enzo.C

4

1294

22/07/2013, 0:13

Enzo.C Vedi ultimo messaggio

Nessun messaggio da leggere
Dasypogon diadema (Fabricius, 1781) - Asilidae
VI.2010 - ITALIA - Friuli-Venezia Giulia - TS
Allegato(i)
Dasypogon diadema (Fabricius, 1781) - Asilidae

VI.2010 - ITALIA - Friuli-Venezia Giulia - TS
Diptera

Agdistis

6

1735

18/07/2013, 20:59

jaho Vedi ultimo messaggio

Nessun messaggio da leggere
Asilidae
7.VII.2013 - ITALIA - Molise - IS
Allegato(i)
Asilidae

7.VII.2013 - ITALIA - Molise - IS
Diptera

Franco ROSSI

1

925

11/07/2013, 23:42

elleelle Vedi ultimo messaggio

Nessun messaggio da leggere
Asilidae
20.VI.2013 - ITALIA - Veneto - TV
Allegato(i)
Asilidae

20.VI.2013 - ITALIA - Veneto - TV
Diptera

deltabravo

2

1100

29/06/2013, 18:21

deltabravo Vedi ultimo messaggio

Nessun messaggio da leggere
Asilidae
1.VI.2013 - ITALIA - Puglia - BT
Allegato(i)
Asilidae

1.VI.2013 - ITALIA - Puglia - BT
Diptera

beginner

3

1514

03/06/2013, 20:31

Carlo Monari Vedi ultimo messaggio

Nessun messaggio da leggere
Allegato(i)
Pogonosoma maroccanum (Fabricius 1794) - Asilidae Laphriinae Andrenosomini

ITALIA - Emilia-Romagna - BO
Diptera

sarsar09

13

5944

04/03/2013, 13:10

sarsar09 Vedi ultimo messaggio

Nessun messaggio da leggere
Machimus sp. cf - Asilidae
3.V.2012 - ITALIA - Veneto - VE
Allegato(i)
Machimus sp. cf - Asilidae

3.V.2012 - ITALIA - Veneto - VE
Diptera

ghebo

2

825

08/02/2013, 9:23

ghebo Vedi ultimo messaggio

Nessun messaggio da leggere
Asilidae sp. – Diptera
30.VIII.2011 - ITALIA - Veneto - VE
Allegato(i)
Asilidae sp. – Diptera

30.VIII.2011 - ITALIA - Veneto - VE
Diptera

ghebo

5

1471

07/02/2013, 9:03

ghebo Vedi ultimo messaggio

Nessun messaggio da leggere
Allegato(i)
Leptarthrus brevirostris (Meigen 1804) - Asilidae Dasypogoninae Isopogonini

4.VII.2012 - ITALIA - Veneto - TV
Diptera

deltabravo

2

824

20/12/2012, 0:05

Carlo Monari Vedi ultimo messaggio

Nessun messaggio da leggere
Laphria flava (Linnaeus, 1761) ♂ - Asilidae Laphriinae
21.VIII.2012 - ITALIA - Trentino-Alto Adige - BZ
Allegato(i)
Laphria flava (Linnaeus, 1761) ♂ - Asilidae Laphriinae

21.VIII.2012 - ITALIA - Trentino-Alto Adige - BZ
Diptera

clido

1

748

14/12/2012, 19:48

Carlo Monari Vedi ultimo messaggio

Nessun messaggio da leggere
Asilidae Asilinae Asilini
15.VIII.2012 - ITALIA - Toscana - FI
Allegato(i)
Asilidae Asilinae Asilini

15.VIII.2012 - ITALIA - Toscana - FI
Diptera

ssmacrophoto

5

1319

22/09/2012, 12:25

ssmacrophoto Vedi ultimo messaggio

Nessun messaggio da leggere
Laphria sp. (cf.) - Asilidae Laphriinae
18.IX.2012 - ITALIA - Lazio - RI
Allegato(i)
Laphria sp. (cf.) - Asilidae Laphriinae

18.IX.2012 - ITALIA - Lazio - RI
Diptera

Julodis

3

972

22/09/2012, 10:57

Carlo Monari Vedi ultimo messaggio

Nessun messaggio da leggere
Dioctra sp. - Asilidae Stenopogoninae Dioctriini
10.VII.2012 - ITALIA - Abruzzo - CH
Allegato(i)
Dioctra sp. - Asilidae Stenopogoninae Dioctriini

10.VII.2012 - ITALIA - Abruzzo - CH
Diptera

Cesare Iacovone

2

977

22/09/2012, 9:30

Carlo Monari Vedi ultimo messaggio

Visualizza ultimi argomenti:  Ordina per  Ordine:  
nuovo argomento
Vai alla pagina Precedente  1, 2, 3, 4, 5, 6  Prossimo
Pagina 4 di 6 [ 261 argomenti ]

Tutti gli orari sono UTC + 1 ora [ ora legale ]


Chi c’è in linea

Visitano il forum: Nessuno e 1 ospite


Legenda
Messaggi da leggere Messaggi da leggere Nessun messaggio da leggere Nessun messaggio da leggere Annuncio Annuncio
 
Specie indeterminata / discussione generica
Messaggi non letti [ Popolari ] Messaggi non letti [ Popolari ] Nessun messaggio da leggere [ Popolare ] Nessun messaggio da leggere [ Popolare ] Importante Importante
 
Specie determinata fino al genere o cf.
Messaggi non letti [ Bloccati ] Messaggi non letti [ Bloccati ] No messaggi non letti [ Bloccati ] No messaggi non letti [ Bloccati ] Argomento spostato Argomento spostato
 
Specie correttamente determinata
Permessi
Non puoi aprire nuovi argomenti
Non puoi rispondere negli argomenti
Non puoi modificare i tuoi messaggi
Non puoi cancellare i tuoi messaggi
Non puoi inviare allegati

Cerca per:
Vai a: