Benvenuto Ospite

Forum Entomologi Italiani

www.entomologiitaliani.net/forum
 
Oggi è 30/03/2026, 16:35

Tutti gli orari sono UTC + 1 ora [ ora legale ]

Anobiidae


[ AFROTROPICALE ] [ ANTARTICO ] [ AUSTRALASIANO ] [ NEARTICO ] [ NEOTROPICALE ] [ ORIENTALE ] [ PALEARTICO ]


nuovo argomento
Vai alla pagina Precedente  1, 2, 3, 4, 5, 6  Prossimo
Pagina 3 di 6 [ 252 argomenti ]
 Argomenti   Ordine   Autore   Risposte   Visite    Ultimo messaggio 
Annunci
Nessun messaggio da leggere
Allegato(i)
Incontri entomologici della Società Entomologica Italiana 2025-2026
 

Velvet Ant

0

40308

17/11/2025, 19:41

Velvet Ant Vedi ultimo messaggio

Nessun messaggio da leggere
Allegato(i)
Incontri entomologici telematici organizzati dalla Società Entomologica Italiana nel 2022 e nel 2023

[ Vai alla paginaVai alla pagina: 1, 2, 3 ]

 

Velvet Ant

44

1954921

03/03/2023, 15:55

Velvet Ant Vedi ultimo messaggio

Nessun messaggio da leggere  
Allegato(i)
Sondaggio sul declino dell'entomofauna in Italia

[ Vai alla paginaVai alla pagina: 1, 2, 3, 4 ]

 

Velvet Ant

52

2618647

22/10/2022, 19:18

Acquarius Vedi ultimo messaggio

Nessun messaggio da leggere  
Allegato(i)
Progetto: Bibliografia ragionata dei lavori entomologici nei quali sono citati reperti apparsi su FEI

[ Vai alla paginaVai alla pagina: 1, 2, 3 ]

 

Velvet Ant

33

1568925

06/07/2023, 18:31

Orotrechus Vedi ultimo messaggio

Nessun messaggio da leggere
Allegato(i)
Mimesi, il primo documentario cinematografico sull’entomologia in Italia: casting
 

mazzeip

1

1128692

28/02/2019, 20:26

mazzeip Vedi ultimo messaggio

Questo argomento è bloccato, non puoi modificare o inviare ulteriori messaggi.
Allegato(i)
ISTRUZIONI PUBBLICAZIONE NUOVI ARGOMENTI E FOTO

 
Altri Ordini di Insetti

Julodis

4

2942581

13/05/2015, 19:37

Julodis Vedi ultimo messaggio

Nessun messaggio da leggere
Allegato(i)
Limitatore giornaliero di messaggi, uno strumento utile e ormai indispensabile

[ Vai alla paginaVai alla pagina: 1 ... 14, 15, 16 ]

 

Velvet Ant

233

13535040

25/09/2014, 14:31

Inachis Vedi ultimo messaggio

Nessun messaggio da leggere  
NORME PER I COLLABORATORI DEL FORUM

 
 

Velvet Ant

0

663373

02/06/2011, 12:05

Velvet Ant Vedi ultimo messaggio

Nessun messaggio da leggere
Allegato(i)
NORME PER GLI UTENTI DEL FORUM

[ Vai alla paginaVai alla pagina: 1, 2, 3 ]



 
 

Velvet Ant

30

3683384

23/09/2014, 23:54

Maurizio Bollino Vedi ultimo messaggio

Nessun messaggio da leggere  
Lista degli utenti del "Forum entomologi italiani" per campi di interesse e specializzazione

 
Altri Ordini di Insetti

Velvet Ant

13

1104468

07/09/2023, 17:14

Roberto-07 Vedi ultimo messaggio

Argomenti
Nessun messaggio da leggere
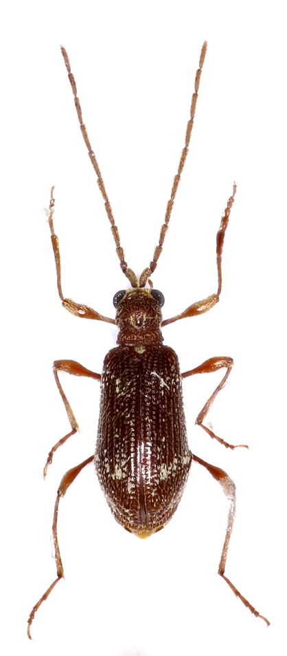
Ptinus corsicus Kiesenwetter, 1877 - Anobiidae Ptininae
24.X.2015 - ITALIA - Sardegna - NU
Allegato(i)
Ptinus corsicus Kiesenwetter, 1877 - Anobiidae Ptininae

24.X.2015 - ITALIA - Sardegna - NU
Coleoptera

Fumea crassiorella

13

1910

02/09/2016, 17:46

Fumea crassiorella Vedi ultimo messaggio

Nessun messaggio da leggere
Gibbium sp. - Anobiidae Gibbiinae
5.IX.2015 - ITALIA - Trentino-Alto Adige - TN
Allegato(i)
Gibbium sp. - Anobiidae Gibbiinae

5.IX.2015 - ITALIA - Trentino-Alto Adige - TN
Coleoptera

EmilianoTomasoni

5

1397

02/09/2016, 12:20

Jean-ed de la Quenouille Vedi ultimo messaggio

Nessun messaggio da leggere
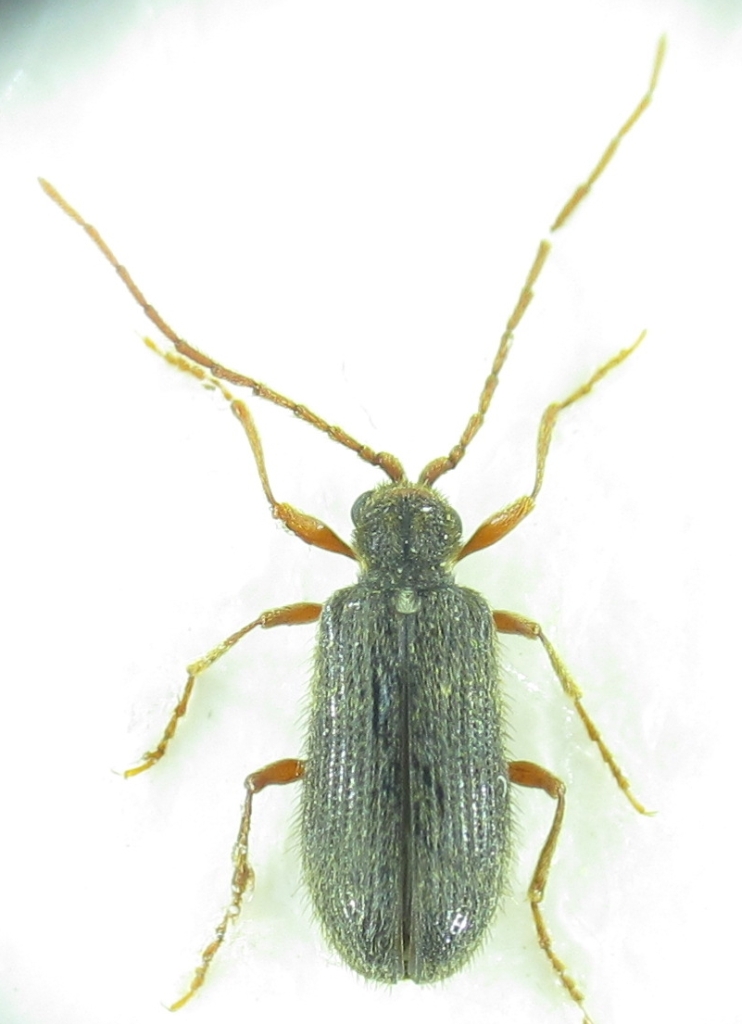
Gen. sp. - Anobiidae
29.V.2016 - ITALIA - Lazio - RM
Allegato(i)
Gen. sp. - Anobiidae

29.V.2016 - ITALIA - Lazio - RM
Coleoptera

wgliinsetti

2

856

01/08/2016, 16:38

wgliinsetti Vedi ultimo messaggio

Nessun messaggio da leggere
Stegobium paniceum (Linnaeus, 1758) (cf.) - Anobiidae
10.IV.2016 - ITALIA - Lazio - RM
Allegato(i)
Stegobium paniceum (Linnaeus, 1758) (cf.) - Anobiidae

10.IV.2016 - ITALIA - Lazio - RM
Coleoptera

aesalus37

2

713

20/04/2016, 22:16

aesalus37 Vedi ultimo messaggio

Nessun messaggio da leggere
Stegobium paniceum (Linnaeus, 1758) - Anobiidae
6.IV.2016 - ITALIA - Lombardia - LC
Allegato(i)
Stegobium paniceum (Linnaeus, 1758) - Anobiidae

6.IV.2016 - ITALIA - Lombardia - LC
Coleoptera

marsal

2

936

08/04/2016, 9:50

marsal Vedi ultimo messaggio

Nessun messaggio da leggere
Stegobium paniceum (Linnaeus, 1758) (cf.) - Anobiidae
5.III.2016 - ITALIA - Toscana - PO
Allegato(i)
Stegobium paniceum (Linnaeus, 1758) (cf.) - Anobiidae

5.III.2016 - ITALIA - Toscana - PO
Coleoptera

Sezione Vaiano

2

731

13/03/2016, 17:15

Julodis Vedi ultimo messaggio

Nessun messaggio da leggere
Allegato(i)
Ptinus (Ptinus) fur (Linnaeus, 1758) - Anobiidae Ptininae

10.IV.2013 - GERMANIA - EE
Coleoptera

gstalker

1

565

20/01/2016, 22:57

gstalker Vedi ultimo messaggio

Nessun messaggio da leggere
Allegato(i)
Ptinus (Gynopterus) variegatus P. Rossi, 1792 - Anobiidae Ptininae

22.VI.2015 - ITALIA - Marche - MC
Coleoptera

Andream

6

1189

23/11/2015, 20:04

Andream Vedi ultimo messaggio

Nessun messaggio da leggere
Ochina (Ochina) latrellii (Bonelli, 1812) - Anobiidae
12.VIII.2014 - ITALIA - Lazio - FR
Allegato(i)
Ochina (Ochina) latrellii (Bonelli, 1812) - Anobiidae

12.VIII.2014 - ITALIA - Lazio - FR
Coleoptera

giuseppe55

2

774

09/11/2015, 19:27

giuseppe55 Vedi ultimo messaggio

Nessun messaggio da leggere
Gibbium sp. - Anobiidae
VIII.2015 - ITALIA - Friuli-Venezia Giulia - TS
Allegato(i)
Gibbium sp. - Anobiidae

VIII.2015 - ITALIA - Friuli-Venezia Giulia - TS
Coleoptera

Paola U

7

1299

09/08/2015, 14:55

Tenebrio Vedi ultimo messaggio

Nessun messaggio da leggere
Hemicoelus costatus (Aragona, 1830) - Anobiidae
30.V.2015 - ITALIA - Abruzzo - PE
Allegato(i)
Hemicoelus costatus (Aragona, 1830) - Anobiidae

30.V.2015 - ITALIA - Abruzzo - PE
Coleoptera

Alessio89

2

718

21/07/2015, 10:15

Alessio89 Vedi ultimo messaggio

Nessun messaggio da leggere
Ernobius sp. - Anobiidae
5.IX.2011 - ITALIA - Abruzzo - PE
Allegato(i)
Ernobius sp. - Anobiidae

5.IX.2011 - ITALIA - Abruzzo - PE
Coleoptera

Alessio89

1

620

20/07/2015, 13:01

Honza Vedi ultimo messaggio

Nessun messaggio da leggere
Ptilinus sp. - Anobiidae
11.VI.2015 - ITALIA - Abruzzo - AQ
Allegato(i)
Ptilinus sp. - Anobiidae

11.VI.2015 - ITALIA - Abruzzo - AQ
Coleoptera

Alessio89

2

713

19/07/2015, 15:02

Alessio89 Vedi ultimo messaggio

Nessun messaggio da leggere
Anobium punctatum (Degeer, 1774) (cf.) - Anobiidae
22.VI.2015 - ITALIA - Abruzzo - PE
Allegato(i)
Anobium punctatum (Degeer, 1774) (cf.) - Anobiidae

22.VI.2015 - ITALIA - Abruzzo - PE
Coleoptera

Alessio89

4

1090

19/07/2015, 15:01

Alessio89 Vedi ultimo messaggio

Nessun messaggio da leggere
Ptinus sp. - Anobiidae Ptininae
7.VI.2015 - TURCHIA - EE
Allegato(i)
Ptinus sp. - Anobiidae Ptininae

7.VI.2015 - TURCHIA - EE
Coleoptera

Baris99

2

782

23/06/2015, 20:12

Baris99 Vedi ultimo messaggio

Nessun messaggio da leggere
Allegato(i)
Ozognathus cornutus (LeConte, 1859) - Anobiidae

21.III.2015 - MALTA - EE
Coleoptera

Fumea crassiorella

5

1064

18/06/2015, 23:32

marco villa Vedi ultimo messaggio

Nessun messaggio da leggere
Ochina sp. - Anobiidae
18.V.2015 - TURCHIA - EE
Allegato(i)
Ochina sp. - Anobiidae

18.V.2015 - TURCHIA - EE
Coleoptera

Baris99

2

624

26/05/2015, 19:14

Baris99 Vedi ultimo messaggio

Nessun messaggio da leggere
Ernobius sp. - Anobiidae
19.V.2015 - ITALIA - Friuli-Venezia Giulia - TS
Allegato(i)
Ernobius sp. - Anobiidae

19.V.2015 - ITALIA - Friuli-Venezia Giulia - TS
Coleoptera

Agdistis

2

728

23/05/2015, 21:47

Agdistis Vedi ultimo messaggio

Nessun messaggio da leggere
Allegato(i)
Xestobium (Hyperisus) plumbeum (Illiger, 1801) - Anobiidae

14.V.2015 - GERMANIA - EE
Coleoptera

gstalker

5

1127

22/05/2015, 17:05

gstalker Vedi ultimo messaggio

Nessun messaggio da leggere
Allegato(i)
Ptinomorphus imperialis (Linnaeus, 1767) - Anobiidae

8.V.2015 - GERMANIA - EE
Coleoptera

gstalker

2

905

14/05/2015, 12:53

gstalker Vedi ultimo messaggio

Nessun messaggio da leggere
Gibbium sp. - Anobiidae
4.V.2015 - ITALIA - Lombardia
Allegato(i)
Gibbium sp. - Anobiidae

4.V.2015 - ITALIA - Lombardia
Coleoptera

alicebarrett

2

1069

09/05/2015, 11:54

Tc70 Vedi ultimo messaggio

Nessun messaggio da leggere
Ochina ptinoides (Marsham, 1802) - Anobiidae
29.IV.1999 - ITALIA - Lazio - RM
Allegato(i)
Ochina ptinoides (Marsham, 1802) - Anobiidae

29.IV.1999 - ITALIA - Lazio - RM
Coleoptera

aesalus37

2

650

10/12/2014, 7:30

aesalus37 Vedi ultimo messaggio

Nessun messaggio da leggere
Allegato(i)
Xestobium (Hyperisus) plumbeum (Illiger, 1801) (cf.) - Anobiidae

19.V.1998 - ITALIA - Lazio - RM
Coleoptera

aesalus37

2

779

03/12/2014, 7:51

aesalus37 Vedi ultimo messaggio

Nessun messaggio da leggere
Anobiidae sp.
6.XII.2006 - ITALIA - Lazio - RM
Allegato(i)
Anobiidae sp.

6.XII.2006 - ITALIA - Lazio - RM
Coleoptera

aesalus37

2

891

29/11/2014, 7:35

aesalus37 Vedi ultimo messaggio

Nessun messaggio da leggere
Nicobium sp. (castaneum o hirtum) - Anobiidae
15.IV.2002 - ITALIA - Lazio - RM
Allegato(i)
Nicobium sp. (castaneum o hirtum) - Anobiidae

15.IV.2002 - ITALIA - Lazio - RM
Coleoptera

aesalus37

2

820

22/11/2014, 7:40

aesalus37 Vedi ultimo messaggio

Nessun messaggio da leggere
Ptinus (Bruchoptinus) sp. - Anobiidae Ptininae
13.VI.2014 - BULGARIA - EE
Allegato(i)
Ptinus (Bruchoptinus) sp. - Anobiidae Ptininae

13.VI.2014 - BULGARIA - EE
Coleoptera

Joro

3

770

19/06/2014, 19:06

giuseppe55 Vedi ultimo messaggio

Nessun messaggio da leggere
Stegobium paniceum (Linnaeus, 1758) - Anobiidae Anobiinae
22.V.2014 - ITALIA - Lombardia - MB
Allegato(i)
Stegobium paniceum (Linnaeus, 1758) - Anobiidae Anobiinae

[ Vai alla paginaVai alla pagina: 1, 2 ]



22.V.2014 - ITALIA - Lombardia - MB
Coleoptera

Tizma

15

9052

25/05/2014, 18:58

hutia Vedi ultimo messaggio

Nessun messaggio da leggere
Ernobius sp. (cf.) - Anobiidae
19.V.2014 - ITALIA - Lombardia - BG
Allegato(i)
Ernobius sp. (cf.) - Anobiidae

19.V.2014 - ITALIA - Lombardia - BG
Coleoptera

ff57

1

721

19/05/2014, 22:54

pedux Vedi ultimo messaggio

Nessun messaggio da leggere
Dryophilus sp. - Anobiidae
22.III.2014 - ITALIA - Sardegna - OT
Allegato(i)
Dryophilus sp. - Anobiidae

22.III.2014 - ITALIA - Sardegna - OT
Coleoptera

Loriscola

1

706

11/04/2014, 18:57

giuseppe55 Vedi ultimo messaggio

Nessun messaggio da leggere
Allegato(i)
Ptinus (Gynopterus) sexpunctatus Panzer, 1789 (cf.) - Anobiidae Ptininae

6.IV.2014 - ITALIA - Emilia-Romagna - PC
Coleoptera

betelges

4

971

07/04/2014, 19:07

betelges Vedi ultimo messaggio

Nessun messaggio da leggere
Gibbium sp. - Anobiidae
6.IV.2014 - ITALIA - Emilia-Romagna - PC
Allegato(i)
Gibbium sp. - Anobiidae

6.IV.2014 - ITALIA - Emilia-Romagna - PC
Coleoptera

betelges

3

851

07/04/2014, 7:37

betelges Vedi ultimo messaggio

Nessun messaggio da leggere
Ptinus sp. - Anobiidae Ptininae
2.III.2014 - ITALIA - Sardegna - VS
Allegato(i)
Ptinus sp. - Anobiidae Ptininae

2.III.2014 - ITALIA - Sardegna - VS
Coleoptera

Federico A.

2

642

10/03/2014, 11:13

Jean-ed de la Quenouille Vedi ultimo messaggio

Nessun messaggio da leggere
Ptinus (Ptinus) perrini (Reitter, 1884) - Anobiidae Ptininae
19.III.2010 - ITALIA - Sicilia - ME
Allegato(i)
Ptinus (Ptinus) perrini (Reitter, 1884) - Anobiidae Ptininae

19.III.2010 - ITALIA - Sicilia - ME
Coleoptera

pietro lo cascio

7

1850

27/02/2014, 10:12

Jean-ed de la Quenouille Vedi ultimo messaggio

Nessun messaggio da leggere
Hedobia pubescens (Olivier, 1790) - Ptinidae Eucradinae
18.II.2014 - ITALIA - Sardegna - SS
Allegato(i)
Hedobia pubescens (Olivier, 1790) - Ptinidae Eucradinae

18.II.2014 - ITALIA - Sardegna - SS
Coleoptera

Daniele Sechi

4

1104

24/02/2014, 17:07

FORBIX Vedi ultimo messaggio

Nessun messaggio da leggere
Hedobia pubescens (Olivier 1790) - Anobiidae
19.V.1998 - ITALIA - Lazio - RM
Allegato(i)
Hedobia pubescens (Olivier 1790) - Anobiidae

19.V.1998 - ITALIA - Lazio - RM
Coleoptera

aesalus37

2

657

03/02/2014, 7:46

aesalus37 Vedi ultimo messaggio

Nessun messaggio da leggere
Ptinus (Gynopterus) sexpunctatus Panzer, 1789 - Anobiidae Ptininae
25.I.2014 - ITALIA - Emilia-Romagna - FE
Allegato(i)
Ptinus (Gynopterus) sexpunctatus Panzer, 1789 - Anobiidae Ptininae

25.I.2014 - ITALIA - Emilia-Romagna - FE
Coleoptera

Daniele Maccapani

2

641

29/01/2014, 21:04

Daniele Maccapani Vedi ultimo messaggio

Nessun messaggio da leggere
Allegato(i)
Ozognathus cornutus (LeConte, 1859) (cf.) - Anobiidae

2011 - ITALIA - Sicilia - PA
Coleoptera

Velvet Ant

1

623

23/01/2014, 21:17

Maw89 Vedi ultimo messaggio

Nessun messaggio da leggere
Ptinus obesus (cf.) - Anobiidae Ptininae
6.I.2014 - ITALIA - Emilia-Romagna - BO
Allegato(i)
Ptinus obesus (cf.) - Anobiidae Ptininae

6.I.2014 - ITALIA - Emilia-Romagna - BO
Coleoptera

Loriscola

3

615

22/01/2014, 19:48

giuseppe55 Vedi ultimo messaggio

Nessun messaggio da leggere
Ptinus bidens Olivier, 1790 - Ptinidae
6.I.2014 - ITALIA - Emilia-Romagna - BO
Allegato(i)
Ptinus bidens Olivier, 1790 - Ptinidae

6.I.2014 - ITALIA - Emilia-Romagna - BO
Coleoptera

Loriscola

3

750

22/01/2014, 16:05

Jean-ed de la Quenouille Vedi ultimo messaggio

Nessun messaggio da leggere
Ptinus bidens Olivier, 1790 - Ptinidae
6.I.2014 - ITALIA - Emilia-Romagna - BO
Allegato(i)
Ptinus bidens Olivier, 1790 - Ptinidae

6.I.2014 - ITALIA - Emilia-Romagna - BO
Coleoptera

Loriscola

1

569

22/01/2014, 16:02

Jean-ed de la Quenouille Vedi ultimo messaggio

Nessun messaggio da leggere
Dryophilus sp. - Anobiidae
27.XII.2013 - ITALIA - Sardegna - CI
Allegato(i)
Dryophilus sp. - Anobiidae

27.XII.2013 - ITALIA - Sardegna - CI
Coleoptera

Fumea crassiorella

2

716

10/01/2014, 20:58

Fumea crassiorella Vedi ultimo messaggio

Nessun messaggio da leggere
Allegato(i)
Ptinus (Ptinus) calcaratus Kiesenwetter, 1877 (cf.) - Anobiidae Ptininae

4.I.2014 - ITALIA - Marche - PU
Coleoptera

marco paglialunga

6

1390

10/01/2014, 20:10

giuseppe55 Vedi ultimo messaggio

Nessun messaggio da leggere
Allegato(i)
Ptinus (Ptinus) perrini (Reitter 1884) - Anobiidae Ptininae

10.X.1993 - ITALIA - Lazio - RM
Coleoptera

giuseppe55

2

660

04/01/2014, 15:24

giuseppe55 Vedi ultimo messaggio

Nessun messaggio da leggere
Ptinus (Ptinus) obesus P. H. Lucas, 1849. ♀ - Anobiidae
28.IX.2009 - ITALIA - Lazio - RM
Allegato(i)
Ptinus (Ptinus) obesus P. H. Lucas, 1849. ♀ - Anobiidae

28.IX.2009 - ITALIA - Lazio - RM
Coleoptera

soken

8

2258

04/01/2014, 11:47

soken Vedi ultimo messaggio

Nessun messaggio da leggere
Lasioderma serricorne (Fabricius, 1792) - Anobiidae
26.VII.2008 - ITALIA - Lazio - RM
Allegato(i)
Lasioderma serricorne (Fabricius, 1792) - Anobiidae

26.VII.2008 - ITALIA - Lazio - RM
Coleoptera

Valerio

1

646

22/12/2013, 12:19

Valerio Vedi ultimo messaggio

Nessun messaggio da leggere
Lasioderma haemorrhoidale (Illiger, 1807) - Anobiidae
14.V.2003 - ITALIA - Lazio - RM
Allegato(i)
Lasioderma haemorrhoidale (Illiger, 1807) - Anobiidae

14.V.2003 - ITALIA - Lazio - RM
Coleoptera

Valerio

7

1168

22/12/2013, 12:15

Valerio Vedi ultimo messaggio

Nessun messaggio da leggere
Allegato(i)
Ptinus (Cyphoderes) bidens Olivier, 1790 - Anobiidae Ptininae

XI.2012 - ITALIA - Veneto - PD
Coleoptera

Osmoderma

7

1360

21/12/2013, 19:53

giuseppe55 Vedi ultimo messaggio

Nessun messaggio da leggere
Anobiidae Ptininae - Lazio
9.X.2012 - ITALIA - Lazio - RM
Allegato(i)
Anobiidae Ptininae - Lazio

9.X.2012 - ITALIA - Lazio - RM
Coleoptera

Julodis

2

914

20/12/2013, 19:55

Jean-ed de la Quenouille Vedi ultimo messaggio

Nessun messaggio da leggere
Anobiidae
20.VII.2010 - ITALIA - Emilia-Romagna - RE
Allegato(i)
Anobiidae

20.VII.2010 - ITALIA - Emilia-Romagna - RE
Coleoptera

paolofon

1

705

19/12/2013, 22:48

f.izzillo Vedi ultimo messaggio

Nessun messaggio da leggere
Allegato(i)
Ptinus (Gynopterus) dubius Sturm, 1837 - Anobiidae Ptininae

9.II.2003 - ITALIA - Lazio - RM
Coleoptera

giuseppe55

3

726

16/12/2013, 20:22

giuseppe55 Vedi ultimo messaggio

Visualizza ultimi argomenti:  Ordina per  Ordine:  
nuovo argomento
Vai alla pagina Precedente  1, 2, 3, 4, 5, 6  Prossimo
Pagina 3 di 6 [ 252 argomenti ]

Tutti gli orari sono UTC + 1 ora [ ora legale ]


Chi c’è in linea

Visitano il forum: Nessuno e 1 ospite


Legenda
Messaggi da leggere Messaggi da leggere Nessun messaggio da leggere Nessun messaggio da leggere Annuncio Annuncio
 
Specie indeterminata / discussione generica
Messaggi non letti [ Popolari ] Messaggi non letti [ Popolari ] Nessun messaggio da leggere [ Popolare ] Nessun messaggio da leggere [ Popolare ] Importante Importante
 
Specie determinata fino al genere o cf.
Messaggi non letti [ Bloccati ] Messaggi non letti [ Bloccati ] No messaggi non letti [ Bloccati ] No messaggi non letti [ Bloccati ] Argomento spostato Argomento spostato
 
Specie correttamente determinata
Permessi
Non puoi aprire nuovi argomenti
Non puoi rispondere negli argomenti
Non puoi modificare i tuoi messaggi
Non puoi cancellare i tuoi messaggi
Non puoi inviare allegati

Cerca per:
Vai a:  
cron