Benvenuto Ospite

Forum Entomologi Italiani

www.entomologiitaliani.net/forum
 
Oggi è 22/05/2026, 0:43

Tutti gli orari sono UTC + 1 ora [ ora legale ]

Malachiidae


[ AFROTROPICALE ] [ ANTARTICO ] [ AUSTRALASIANO ] [ NEARTICO ] [ NEOTROPICALE ] [ ORIENTALE ] [ PALEARTICO ]


nuovo argomento
Vai alla pagina Precedente  1, 2, 3, 4, 5, 6, 7, 8  Prossimo
Pagina 4 di 8 [ 379 argomenti ]
 Argomenti   Ordine   Autore   Risposte   Visite    Ultimo messaggio 
Annunci
Nessun messaggio da leggere
Allegato(i)
Incontri entomologici della Società Entomologica Italiana 2025-2026
 

Velvet Ant

0

64561

17/11/2025, 19:41

Velvet Ant Vedi ultimo messaggio

Nessun messaggio da leggere
Allegato(i)
Incontri entomologici telematici organizzati dalla Società Entomologica Italiana nel 2022 e nel 2023

[ Vai alla paginaVai alla pagina: 1, 2, 3 ]

 

Velvet Ant

44

2140546

03/03/2023, 15:55

Velvet Ant Vedi ultimo messaggio

Nessun messaggio da leggere  
Allegato(i)
Sondaggio sul declino dell'entomofauna in Italia

[ Vai alla paginaVai alla pagina: 1, 2, 3, 4 ]

 

Velvet Ant

52

2826624

22/10/2022, 19:18

Acquarius Vedi ultimo messaggio

Nessun messaggio da leggere  
Allegato(i)
Progetto: Bibliografia ragionata dei lavori entomologici nei quali sono citati reperti apparsi su FEI

[ Vai alla paginaVai alla pagina: 1, 2, 3 ]

 

Velvet Ant

33

1717145

06/07/2023, 18:31

Orotrechus Vedi ultimo messaggio

Nessun messaggio da leggere
Allegato(i)
Mimesi, il primo documentario cinematografico sull’entomologia in Italia: casting
 

mazzeip

1

1158989

28/02/2019, 20:26

mazzeip Vedi ultimo messaggio

Questo argomento è bloccato, non puoi modificare o inviare ulteriori messaggi.
Allegato(i)
ISTRUZIONI PUBBLICAZIONE NUOVI ARGOMENTI E FOTO

 
Altri Ordini di Insetti

Julodis

4

2984600

13/05/2015, 19:37

Julodis Vedi ultimo messaggio

Nessun messaggio da leggere
Allegato(i)
Limitatore giornaliero di messaggi, uno strumento utile e ormai indispensabile

[ Vai alla paginaVai alla pagina: 1 ... 14, 15, 16 ]

 

Velvet Ant

233

14335769

25/09/2014, 14:31

Inachis Vedi ultimo messaggio

Nessun messaggio da leggere  
NORME PER I COLLABORATORI DEL FORUM

 
 

Velvet Ant

0

688059

02/06/2011, 12:05

Velvet Ant Vedi ultimo messaggio

Nessun messaggio da leggere
Allegato(i)
NORME PER GLI UTENTI DEL FORUM

[ Vai alla paginaVai alla pagina: 1, 2, 3 ]



 
 

Velvet Ant

30

3830883

23/09/2014, 23:54

Maurizio Bollino Vedi ultimo messaggio

Nessun messaggio da leggere  
Lista degli utenti del "Forum entomologi italiani" per campi di interesse e specializzazione

 
Altri Ordini di Insetti

Velvet Ant

13

1174972

07/09/2023, 17:14

Roberto-07 Vedi ultimo messaggio

Argomenti
Nessun messaggio da leggere
Troglops brevis Erichson, 1840 - Malachiidae
2.IV.2019 - ITALIA - Sardegna - OR
Allegato(i)
Troglops brevis Erichson, 1840 - Malachiidae

2.IV.2019 - ITALIA - Sardegna - OR
Coleoptera

gabrif

0

1000

26/05/2019, 21:29

gabrif Vedi ultimo messaggio

Nessun messaggio da leggere
Allegato(i)
Clanoptilus brodskyi Švihla, 1987 - Malachiidae

16.V.2018 - GRECIA - EE
Coleoptera

gabrif

0

861

14/05/2019, 12:57

gabrif Vedi ultimo messaggio

Nessun messaggio da leggere
Allegato(i)
Malachius artvinensis Wittmer, 1974 - Malachiidae

7.VI.2017 - GEORGIA - EE
Coleoptera

gabrif

0

832

13/05/2019, 16:38

gabrif Vedi ultimo messaggio

Nessun messaggio da leggere
Malachius coccineus Waltl 1838 - Malachiidae
27.IV.2019 - TURCHIA - EE
Allegato(i)
Malachius coccineus Waltl 1838 - Malachiidae

27.IV.2019 - TURCHIA - EE
Coleoptera

Tekilay

3

1212

29/04/2019, 13:51

Tekilay Vedi ultimo messaggio

Nessun messaggio da leggere
Malachius faldermanni Faldermann, 1836 - Malachiidae
1.V.2006 - IRAN, REPUBBLICA ISLAMICA DELL' - EE
Allegato(i)
Malachius faldermanni Faldermann, 1836 - Malachiidae

1.V.2006 - IRAN, REPUBBLICA ISLAMICA DELL' - EE
Coleoptera

gabrif

6

1681

28/04/2019, 17:29

gabrif Vedi ultimo messaggio

Nessun messaggio da leggere
Allegato(i)
Cephaloncus albozonatus (Abeille de Perrin, 1883), var. atticus Ab., 1891 - Malachiidae

25.VI.2010 - GRECIA - EE
Coleoptera

strepens

2

1157

16/04/2019, 12:17

strepens Vedi ultimo messaggio

Nessun messaggio da leggere
Hypebaeus sp. - Malachiidae
ITALIA - Campania
Allegato(i)
Hypebaeus sp. - Malachiidae

ITALIA - Campania
Coleoptera

Capaneo

5

1545

10/04/2019, 18:55

f.izzillo Vedi ultimo messaggio

Nessun messaggio da leggere
Allegato(i)
Anthomalachius spinosus (Erichson, 1840) - Malachiidae

12.V.2017 - MAROCCO - EE
Coleoptera

Fumea crassiorella

4

1507

27/03/2019, 7:19

Fumea crassiorella Vedi ultimo messaggio

Nessun messaggio da leggere
Allegato(i)
Haplomalachius (Haplomalachius) simplex (Hicker, 1959) - Malachiidae

27.V.1935 - MAROCCO - EE
Coleoptera

gabrif

1

1131

07/03/2019, 22:36

gomphus Vedi ultimo messaggio

Nessun messaggio da leggere
Allegato(i)
Anthocomus smyrnensis Wittmer, 1971 - Malachiidae - female

24.V.2011 - GRECIA - EE
Coleoptera

strepens

2

1075

07/03/2019, 21:09

strepens Vedi ultimo messaggio

Nessun messaggio da leggere
Charopus sp. - Malachiidae
11.VI.2018 - ROMANIA - EE
Allegato(i)
Charopus sp. - Malachiidae

11.VI.2018 - ROMANIA - EE
Coleoptera

alexaandru

2

1022

25/02/2019, 12:43

alexaandru Vedi ultimo messaggio

Nessun messaggio da leggere
Allegato(i)
Malachius monticola Kiesenwetter, 1878 - Malachiidae

25.VI.2001 - ARMENIA - EE
Coleoptera

gabrif

0

786

18/02/2019, 19:24

gabrif Vedi ultimo messaggio

Nessun messaggio da leggere
Allegato(i)
Malachius cavifrons ssp. anatolicus Wittmer, 1974 -- Malachiidae

2.VI.1998 - TURCHIA - EE
Coleoptera

gabrif

0

808

17/02/2019, 22:53

gabrif Vedi ultimo messaggio

Nessun messaggio da leggere
Anthocomus rufus (Herbst, 1786) - Malachiidae
10.IX.2018 - ITALIA - Friuli-Venezia Giulia - GO
Allegato(i)
Anthocomus rufus (Herbst, 1786) - Malachiidae

10.IX.2018 - ITALIA - Friuli-Venezia Giulia - GO
Coleoptera

Agdistis

1

1028

19/01/2019, 23:17

gabrif Vedi ultimo messaggio

Nessun messaggio da leggere
Malachius graecus Kraatz 1862 - Malachiidae
23.V.1984 - GRECIA - EE
Allegato(i)
Malachius graecus Kraatz 1862 - Malachiidae

23.V.1984 - GRECIA - EE
Coleoptera

gabrif

0

1004

14/01/2019, 22:09

gabrif Vedi ultimo messaggio

Nessun messaggio da leggere
Allegato(i)
Attalus (Attalus) lusitanicus Erichson, 1840 - Malachiidae

25.V.2018 - SPAGNA - EE
Coleoptera

gabrif

0

942

06/10/2018, 22:21

gabrif Vedi ultimo messaggio

Nessun messaggio da leggere
Attalus (Abrinus) parietariae Erichson, 1840 - Malachiidae
25.III.2017 - ITALIA - Sicilia - TP
Allegato(i)
Attalus (Abrinus) parietariae Erichson, 1840 - Malachiidae

25.III.2017 - ITALIA - Sicilia - TP
Coleoptera

gabrif

6

1813

01/10/2018, 22:30

gabrif Vedi ultimo messaggio

Nessun messaggio da leggere
Clanoptilus spinipennis (Germar, 1824) - Malachiidae
17.IV.2018 - ITALIA - Toscana - LI
Allegato(i)
Clanoptilus spinipennis (Germar, 1824) - Malachiidae

17.IV.2018 - ITALIA - Toscana - LI
Coleoptera

Stefano79

2

1256

27/08/2018, 8:16

Stefano79 Vedi ultimo messaggio

Nessun messaggio da leggere
Hypebaeus flavicollis (Erichson 1840) (cf.) - Malachiidae
28.IV.2018 - ITALIA - Toscana - LI
Allegato(i)
Hypebaeus flavicollis (Erichson 1840) (cf.) - Malachiidae

28.IV.2018 - ITALIA - Toscana - LI
Coleoptera

Stefano79

2

1272

27/08/2018, 8:15

Stefano79 Vedi ultimo messaggio

Nessun messaggio da leggere
Attalus (Attalus) nourrichelii (Laporte de Castelnau, 1836) - Malachiidae
14.VII.2018 - ITALIA - Emilia-Romagna - BO
Allegato(i)
Attalus (Attalus) nourrichelii (Laporte de Castelnau, 1836) - Malachiidae

14.VII.2018 - ITALIA - Emilia-Romagna - BO
Coleoptera

Loriscola

2

1381

17/07/2018, 22:04

Loriscola Vedi ultimo messaggio

Nessun messaggio da leggere
Cyrtosus cyanipennis (Erichson, 1840) - Malachiidae
21.V.2018 - ITALIA - Lazio - VT
Allegato(i)
Cyrtosus cyanipennis (Erichson, 1840) - Malachiidae

21.V.2018 - ITALIA - Lazio - VT
Coleoptera

Andricus

4

1609

22/06/2018, 22:18

gabrif Vedi ultimo messaggio

Nessun messaggio da leggere
Clanoptilus geniculatus (Germar, 1824) - Malachiidae
26.V.2018 - ITALIA - Lombardia - MI
Allegato(i)
Clanoptilus geniculatus (Germar, 1824) - Malachiidae

26.V.2018 - ITALIA - Lombardia - MI
Coleoptera

carlos

2

1254

31/05/2018, 8:46

carlos Vedi ultimo messaggio

Nessun messaggio da leggere
Sphinginus lobatus (Olivier, 1790) - Malachiidae
20.V.2018 - ITALIA - Emilia-Romagna - BO
Allegato(i)
Sphinginus lobatus (Olivier, 1790) - Malachiidae

20.V.2018 - ITALIA - Emilia-Romagna - BO
Coleoptera

Loriscola

2

1268

28/05/2018, 8:17

Loriscola Vedi ultimo messaggio

Nessun messaggio da leggere
Anthocomus equestris (Fabricius, 1781) - Malachiidae
9.V.2018 - ITALIA - Lombardia - BG
Allegato(i)
Anthocomus equestris (Fabricius, 1781) - Malachiidae

9.V.2018 - ITALIA - Lombardia - BG
Coleoptera

Giuseppe Zanetti

3

1408

22/05/2018, 23:08

Giuseppe Zanetti Vedi ultimo messaggio

Nessun messaggio da leggere
Attalus aetnensis Abeille de Perrin, 1891 - Malachiidae
2.IV.2018 - ITALIA - Sicilia - CT
Allegato(i)
Attalus aetnensis Abeille de Perrin, 1891 - Malachiidae

2.IV.2018 - ITALIA - Sicilia - CT
Coleoptera

gabrif

0

924

13/05/2018, 21:20

gabrif Vedi ultimo messaggio

Nessun messaggio da leggere
Ebaeus appendiculatus Erichson, 1840 (cf.) - Malachiidae
18.VI.2014 - ITALIA - Trentino-Alto Adige - BZ
Allegato(i)
Ebaeus appendiculatus Erichson, 1840 (cf.) - Malachiidae

18.VI.2014 - ITALIA - Trentino-Alto Adige - BZ
Coleoptera

gabrif

2

1274

08/05/2018, 23:00

Andrea Pergine Vedi ultimo messaggio

Nessun messaggio da leggere
Allegato(i)
Clanoptilus (Clanoptilus) spinipennis (Germar 1824) ♂ - Malachiidae

24.IV.2018 - ITALIA - Lazio - RM
Coleoptera

Giogiò80

5

1434

26/04/2018, 19:15

Giogiò80 Vedi ultimo messaggio

Nessun messaggio da leggere
Attalus minimus (Rossi, 1790) - Malachiidae
25.IV.2018 - ITALIA - Emilia-Romagna - BO
Allegato(i)
Attalus minimus (Rossi, 1790) - Malachiidae

25.IV.2018 - ITALIA - Emilia-Romagna - BO
Coleoptera

emmebix

5

1549

25/04/2018, 22:03

Mattia D'Amato Vedi ultimo messaggio

Nessun messaggio da leggere
Colotes flavocinctus Marseul, 1868 - Malachiidae
19.V.2017 - BULGARIA - EE
Allegato(i)
Colotes flavocinctus Marseul, 1868 - Malachiidae

19.V.2017 - BULGARIA - EE
Coleoptera

Joro

2

1221

22/03/2018, 17:42

Joro Vedi ultimo messaggio

Nessun messaggio da leggere
Malachius junceus (Peyron, 1877) - Malachiidae
13.IV.2001 - LIBANO - EE
Allegato(i)
Malachius junceus (Peyron, 1877) - Malachiidae

13.IV.2001 - LIBANO - EE
Coleoptera

gabrif

2

1320

21/03/2018, 14:29

Andrea Pergine Vedi ultimo messaggio

Nessun messaggio da leggere
Allegato(i)
Clanoptilus capricornis (Peyron, 1877) - Malachiidae

5.V.2000 - LIBANO - EE
Coleoptera

gabrif

0

905

02/03/2018, 22:00

gabrif Vedi ultimo messaggio

Nessun messaggio da leggere
Allegato(i)
Ceratistes dilaticornis (Germar, 1824) - Malachiidae

VI.1972 - CROAZIA - EE
Coleoptera

gabrif

0

1035

21/02/2018, 23:09

gabrif Vedi ultimo messaggio

Nessun messaggio da leggere
Allegato(i)
Clanoptilus (Clanoptilus) heliophilus (Peyron, 1877) - Malachiidae

9.V.2000 - LIBANO - EE
Coleoptera

gabrif

0

922

20/02/2018, 22:55

gabrif Vedi ultimo messaggio

Nessun messaggio da leggere
Attalus sp. - Malachiidae
11.V.2017 - MAROCCO - EE
Allegato(i)
Attalus sp. - Malachiidae

11.V.2017 - MAROCCO - EE
Coleoptera

Fumea crassiorella

2

1083

02/01/2018, 13:42

Fumea crassiorella Vedi ultimo messaggio

Nessun messaggio da leggere
Larva di Malachiidae sp.
7.X.2017 - ITALIA - Piemonte
Allegato(i)
Larva di Malachiidae sp.

7.X.2017 - ITALIA - Piemonte
Altri Ordini di Insetti

rocalu

1

909

10/10/2017, 8:24

Glaphyrus Vedi ultimo messaggio

Nessun messaggio da leggere
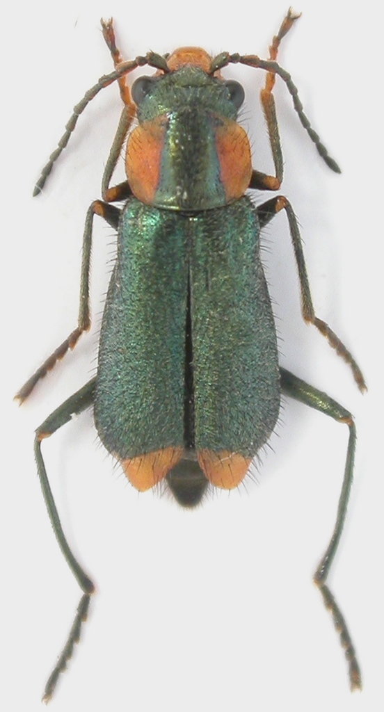
Cordylepherus viridis (Fabricius, 1787) - Malachiide
6.V.1997 - ITALIA - Lazio - RM
Allegato(i)
Cordylepherus viridis (Fabricius, 1787) - Malachiide

6.V.1997 - ITALIA - Lazio - RM
Coleoptera

aesalus37

1

938

27/09/2017, 22:55

gabrif Vedi ultimo messaggio

Nessun messaggio da leggere
Clanoptilus (Clanoptilus) geniculatus (Germar, 1824)
28.IV.2012 - ITALIA - Veneto - VR
Allegato(i)
Clanoptilus (Clanoptilus) geniculatus (Germar, 1824)

28.IV.2012 - ITALIA - Veneto - VR
Coleoptera

Umbro

3

1200

13/09/2017, 22:22

gabrif Vedi ultimo messaggio

Nessun messaggio da leggere
Allegato(i)
Clanoptilus (Clanoptilus) marginellus (Olivier, 1790) - Malachiidae

16.V.2017 - MAROCCO - EE
Coleoptera

Fumea crassiorella

2

892

12/09/2017, 9:55

Fumea crassiorella Vedi ultimo messaggio

Nessun messaggio da leggere
Malachius sp. - Malachiidae
5.V.2017 - TURCHIA - EE
Allegato(i)
Malachius sp. - Malachiidae

5.V.2017 - TURCHIA - EE
Coleoptera

Baris99

3

1022

04/07/2017, 21:52

gabrif Vedi ultimo messaggio

Nessun messaggio da leggere
Clanoptilus (Clanoptilus) geniculatus (Germar, 1824) - Malachiidae
4.VI.2016 - ITALIA - Emilia-Romagna - BO
Allegato(i)
Clanoptilus (Clanoptilus) geniculatus (Germar, 1824) - Malachiidae

4.VI.2016 - ITALIA - Emilia-Romagna - BO
Coleoptera

lorenzo12

9

2718

12/06/2017, 22:14

lorenzo12 Vedi ultimo messaggio

Nessun messaggio da leggere
Allegato(i)
Malachius (Malachius) lusitanicus atlasicus Escalera, 1914 - Malachiidae

18.V.2017 - MAROCCO - EE
Coleoptera

Fumea crassiorella

5

1884

06/06/2017, 21:03

gabrif Vedi ultimo messaggio

Nessun messaggio da leggere
Allegato(i)
Clanoptilus (Clanoptilus) rufus (Olivier, 1790) - Malachiidae

12.V.2017 - ITALIA - Lazio - RM
Coleoptera

Edo

1

946

20/05/2017, 18:24

gabrif Vedi ultimo messaggio

Nessun messaggio da leggere
Colotes maculatus (Laporte de Castelnau, 1838) - Malachiidae
28.IV.2017 - ITALIA - Emilia-Romagna - BO
Allegato(i)
Colotes maculatus (Laporte de Castelnau, 1838) - Malachiidae

28.IV.2017 - ITALIA - Emilia-Romagna - BO
Coleoptera

Loriscola

2

991

05/05/2017, 18:24

gabrif Vedi ultimo messaggio

Nessun messaggio da leggere
Troglops brevis Erichson, 1840 - Malachiidae
22.V.2016 - ITALIA - Sardegna - OR
Allegato(i)
Troglops brevis Erichson, 1840 - Malachiidae

22.V.2016 - ITALIA - Sardegna - OR
Coleoptera

Fumea crassiorella

6

2006

03/05/2017, 16:25

Fumea crassiorella Vedi ultimo messaggio

Nessun messaggio da leggere
Malachius australis Mulsant & Rey, 1867 - Malachiidae
9.IV.2017 - ITALIA - Lazio - RM
Allegato(i)
Malachius australis Mulsant & Rey, 1867 - Malachiidae

9.IV.2017 - ITALIA - Lazio - RM
Coleoptera

Edo

2

1099

18/04/2017, 11:11

Edo Vedi ultimo messaggio

Nessun messaggio da leggere
Hypebaeus flavicollis (Erichson, 1840) (cf.) - Malachidae
13.IX.2016 - ITALIA - Marche - FM
Allegato(i)
Hypebaeus flavicollis (Erichson, 1840) (cf.) - Malachidae

13.IX.2016 - ITALIA - Marche - FM
Coleoptera

Andream

3

1163

28/03/2017, 23:27

Andream Vedi ultimo messaggio

Nessun messaggio da leggere
Allegato(i)
Sphinginus coarctatus Erichson, 1840 (cf.) - Malachiidae

25.III.2017 - SPAGNA - EE
Coleoptera

Fumea crassiorella

2

1056

26/03/2017, 22:27

Fumea crassiorella Vedi ultimo messaggio

Nessun messaggio da leggere
Allegato(i)
Clanoptilus (Clanoptilus) italicus (Pardo Alcaide, 1967) - Malachiidae

1.VII.2016 - ITALIA - Abruzzo - AQ
Coleoptera

Palaemonetes

4

1695

17/02/2017, 22:49

Palaemonetes Vedi ultimo messaggio

Nessun messaggio da leggere
Colotes sp. - Malachiidae
28.V.2016 - CIPRO - EE
Allegato(i)
Colotes sp. - Malachiidae

28.V.2016 - CIPRO - EE
Coleoptera

alexaandru

2

1182

14/01/2017, 12:17

alexaandru Vedi ultimo messaggio

Nessun messaggio da leggere
Malachiidae Arabia Saudita - Determinazione per procura
15.IV.2016 - ARABIA SAUDITA - EE
Allegato(i)
Malachiidae Arabia Saudita - Determinazione per procura

15.IV.2016 - ARABIA SAUDITA - EE
Coleoptera

Julodis

12

2940

03/01/2017, 6:53

Julodis Vedi ultimo messaggio

Visualizza ultimi argomenti:  Ordina per  Ordine:  
nuovo argomento
Vai alla pagina Precedente  1, 2, 3, 4, 5, 6, 7, 8  Prossimo
Pagina 4 di 8 [ 379 argomenti ]

Tutti gli orari sono UTC + 1 ora [ ora legale ]


Chi c’è in linea

Visitano il forum: Nessuno e 1 ospite


Legenda
Messaggi da leggere Messaggi da leggere Nessun messaggio da leggere Nessun messaggio da leggere Annuncio Annuncio
 
Specie indeterminata / discussione generica
Messaggi non letti [ Popolari ] Messaggi non letti [ Popolari ] Nessun messaggio da leggere [ Popolare ] Nessun messaggio da leggere [ Popolare ] Importante Importante
 
Specie determinata fino al genere o cf.
Messaggi non letti [ Bloccati ] Messaggi non letti [ Bloccati ] No messaggi non letti [ Bloccati ] No messaggi non letti [ Bloccati ] Argomento spostato Argomento spostato
 
Specie correttamente determinata
Permessi
Non puoi aprire nuovi argomenti
Non puoi rispondere negli argomenti
Non puoi modificare i tuoi messaggi
Non puoi cancellare i tuoi messaggi
Non puoi inviare allegati

Cerca per:
Vai a: