Benvenuto Ospite

Forum Entomologi Italiani

www.entomologiitaliani.net/forum
 
Oggi è 20/04/2026, 9:48

Tutti gli orari sono UTC + 1 ora [ ora legale ]

Laemophloeidae


[ AFROTROPICALE ] [ ANTARTICO ] [ AUSTRALASIANO ] [ NEARTICO ] [ NEOTROPICALE ] [ ORIENTALE ] [ PALEARTICO ]


nuovo argomento
Vai alla pagina Precedente  1, 2
Pagina 2 di 2 [ 84 argomenti ]
 Argomenti   Ordine   Autore   Risposte   Visite    Ultimo messaggio 
Annunci
Nessun messaggio da leggere
Allegato(i)
Incontri entomologici della Società Entomologica Italiana 2025-2026
 

Velvet Ant

0

49304

17/11/2025, 19:41

Velvet Ant Vedi ultimo messaggio

Nessun messaggio da leggere
Allegato(i)
Incontri entomologici telematici organizzati dalla Società Entomologica Italiana nel 2022 e nel 2023

[ Vai alla paginaVai alla pagina: 1, 2, 3 ]

 

Velvet Ant

44

2004920

03/03/2023, 15:55

Velvet Ant Vedi ultimo messaggio

Nessun messaggio da leggere  
Allegato(i)
Sondaggio sul declino dell'entomofauna in Italia

[ Vai alla paginaVai alla pagina: 1, 2, 3, 4 ]

 

Velvet Ant

52

2677288

22/10/2022, 19:18

Acquarius Vedi ultimo messaggio

Nessun messaggio da leggere  
Allegato(i)
Progetto: Bibliografia ragionata dei lavori entomologici nei quali sono citati reperti apparsi su FEI

[ Vai alla paginaVai alla pagina: 1, 2, 3 ]

 

Velvet Ant

33

1609546

06/07/2023, 18:31

Orotrechus Vedi ultimo messaggio

Nessun messaggio da leggere
Allegato(i)
Mimesi, il primo documentario cinematografico sull’entomologia in Italia: casting
 

mazzeip

1

1137576

28/02/2019, 20:26

mazzeip Vedi ultimo messaggio

Questo argomento è bloccato, non puoi modificare o inviare ulteriori messaggi.
Allegato(i)
ISTRUZIONI PUBBLICAZIONE NUOVI ARGOMENTI E FOTO

 
Altri Ordini di Insetti

Julodis

4

2954818

13/05/2015, 19:37

Julodis Vedi ultimo messaggio

Nessun messaggio da leggere
Allegato(i)
Limitatore giornaliero di messaggi, uno strumento utile e ormai indispensabile

[ Vai alla paginaVai alla pagina: 1 ... 14, 15, 16 ]

 

Velvet Ant

233

13785689

25/09/2014, 14:31

Inachis Vedi ultimo messaggio

Nessun messaggio da leggere  
NORME PER I COLLABORATORI DEL FORUM

 
 

Velvet Ant

0

670483

02/06/2011, 12:05

Velvet Ant Vedi ultimo messaggio

Nessun messaggio da leggere
Allegato(i)
NORME PER GLI UTENTI DEL FORUM

[ Vai alla paginaVai alla pagina: 1, 2, 3 ]



 
 

Velvet Ant

30

3725460

23/09/2014, 23:54

Maurizio Bollino Vedi ultimo messaggio

Nessun messaggio da leggere  
Lista degli utenti del "Forum entomologi italiani" per campi di interesse e specializzazione

 
Altri Ordini di Insetti

Velvet Ant

13

1125307

07/09/2023, 17:14

Roberto-07 Vedi ultimo messaggio

Argomenti
Nessun messaggio da leggere
Laemophloeus monilis (Fabricius, 1787) - Laemophloeidae
VIII.2010 - ITALIA - Toscana - FI
Allegato(i)
Laemophloeus monilis (Fabricius, 1787) - Laemophloeidae

VIII.2010 - ITALIA - Toscana - FI
Coleoptera

Bracco

2

1053

17/12/2012, 16:28

Bracco Vedi ultimo messaggio

Nessun messaggio da leggere
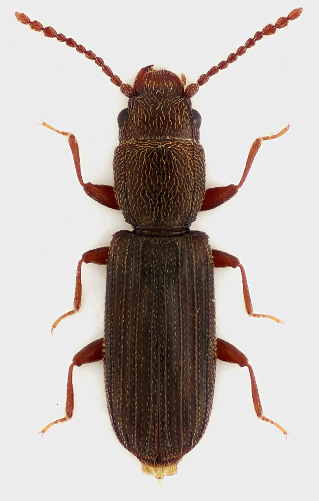
Cryptolestes fractipennis (Motschulsky, 1845) - Laemophloeidae
25.XI.2012 - ITALIA - Emilia-Romagna - BO
Allegato(i)
Cryptolestes fractipennis (Motschulsky, 1845) - Laemophloeidae

25.XI.2012 - ITALIA - Emilia-Romagna - BO
Coleoptera

Loriscola

1

1034

02/12/2012, 1:15

Gianfranco Vedi ultimo messaggio

Nessun messaggio da leggere
Cryptolestes sp. - Laemophloeidae
22.IX.2012 - ITALIA - Lazio - RM
Allegato(i)
Cryptolestes sp. - Laemophloeidae

22.IX.2012 - ITALIA - Lazio - RM
Coleoptera

soken

4

1232

08/10/2012, 18:45

soken Vedi ultimo messaggio

Nessun messaggio da leggere
Notolaemus castaneus (Erichson, 1845) (cf.) - Laemophloeidae
20.VI.2012 - ITALIA - Toscana - LI
Allegato(i)
Notolaemus castaneus (Erichson, 1845) (cf.) - Laemophloeidae

20.VI.2012 - ITALIA - Toscana - LI
Coleoptera

FORBIX

3

1341

14/09/2012, 15:04

Gianfranco Vedi ultimo messaggio

Nessun messaggio da leggere
Cryptolestes spartii (Curtis, 1834) - Laemophloeidae - Lazio
18.III.2012 - ITALIA - Lazio - RM
Allegato(i)
Cryptolestes spartii (Curtis, 1834) - Laemophloeidae - Lazio

18.III.2012 - ITALIA - Lazio - RM
Coleoptera

Julodis

5

2109

20/03/2012, 17:14

Julodis Vedi ultimo messaggio

Nessun messaggio da leggere
Cryptolestes sp. - Laemophloeidae
19.III.2012 - ITALIA - Marche - AN
Allegato(i)
Cryptolestes sp. - Laemophloeidae

19.III.2012 - ITALIA - Marche - AN
Coleoptera

StagBeetle

3

1420

20/03/2012, 12:44

StagBeetle Vedi ultimo messaggio

Nessun messaggio da leggere
Allegato(i)
Cryptolestes ferrugineus (Stephens, 1831) - Laemophloeidae - Lazio

30.I.2012 - ITALIA - Lazio - RI
Coleoptera

Julodis

5

2067

04/02/2012, 23:50

Gianfranco Vedi ultimo messaggio

Nessun messaggio da leggere
Allegato(i)
Placonotus testaceus (Fabricius, 1787) ♂♀ - Laemophloeidae

15.I.2012 - ITALIA - Marche - PU
Coleoptera

marco paglialunga

5

1489

25/01/2012, 16:27

marco paglialunga Vedi ultimo messaggio

Nessun messaggio da leggere
Placonotus testaceus (Fabricius, 1787) - Laemophloeidae
18.I.2012 - ITALIA - Veneto - VE
Allegato(i)
Placonotus testaceus (Fabricius, 1787) - Laemophloeidae

18.I.2012 - ITALIA - Veneto - VE
Coleoptera

ghebo

7

1737

20/01/2012, 9:35

ghebo Vedi ultimo messaggio

Nessun messaggio da leggere
Allegato(i)
Cryptolestes ferrugineus (Stephens, 1831) (cf.) - Laemophloeidae

16.XI.2011 - ITALIA - Lazio - RM
Coleoptera

elleelle

4

1302

19/11/2011, 23:20

Gianfranco Vedi ultimo messaggio

Nessun messaggio da leggere
Allegato(i)
Cryptolestes clematidis (Erichson, 1846) (cf.) - Laemophloeidae

 
Coleoptera

marco paglialunga

2

1092

17/11/2011, 16:53

marco paglialunga Vedi ultimo messaggio

Nessun messaggio da leggere
Cryptolestes turcicus (Grouvelle 1876) - Laemophloeidae
3.IX.2011 - ITALIA - Emilia-Romagna - BO
Allegato(i)
Cryptolestes turcicus (Grouvelle 1876) - Laemophloeidae

3.IX.2011 - ITALIA - Emilia-Romagna - BO
Coleoptera

Loriscola

4

1815

14/11/2011, 19:38

Gianfranco Vedi ultimo messaggio

Nessun messaggio da leggere
Allegato(i)
Placonotus testaceus (Fabricius, 1787) - Laemophloeidae

21.IX.2008 - SPAGNA - EE
Coleoptera

Isidro

4

1114

11/11/2011, 22:42

FORBIX Vedi ultimo messaggio

Nessun messaggio da leggere
Allegato(i)
Cryptolestes ferrugineus (Stephens, 1831) (cf.) - Laemophloeidae

30.X.2011 - ITALIA - Lazio - RM
Coleoptera

elleelle

3

1167

06/11/2011, 11:51

elleelle Vedi ultimo messaggio

Nessun messaggio da leggere
Placonotus testaceus (Fabricius, 1787) - Laemophloeidae
16.X.2011 - ITALIA - Sardegna - NU
Allegato(i)
Placonotus testaceus (Fabricius, 1787) - Laemophloeidae

16.X.2011 - ITALIA - Sardegna - NU
Coleoptera

Fumea crassiorella

3

1255

18/10/2011, 23:42

Gianfranco Vedi ultimo messaggio

Nessun messaggio da leggere
Laemophloeus monilis (Fabricius, 1787) - Laemophloeidae
19.III.2011 - ITALIA - Marche - AN
Allegato(i)
Laemophloeus monilis (Fabricius, 1787) - Laemophloeidae

19.III.2011 - ITALIA - Marche - AN
Coleoptera

StagBeetle

2

1149

24/03/2011, 21:16

StagBeetle Vedi ultimo messaggio

Nessun messaggio da leggere
Placonotus testaceus (Fabricius, 1787) - Laemophloeidae
8.III.2011 - ITALIA - Lazio - RM
Allegato(i)
Placonotus testaceus (Fabricius, 1787) - Laemophloeidae

8.III.2011 - ITALIA - Lazio - RM
Coleoptera

Julodis

3

1336

22/03/2011, 0:25

Julodis Vedi ultimo messaggio

Nessun messaggio da leggere
Laemophloeus nigricollis Lucas, 1849 - Laemophloeidae
6.III.2011 - ITALIA - Toscana - LI
Allegato(i)
Laemophloeus nigricollis Lucas, 1849 - Laemophloeidae

6.III.2011 - ITALIA - Toscana - LI
Coleoptera

FORBIX

4

1297

14/03/2011, 19:45

FORBIX Vedi ultimo messaggio

Nessun messaggio da leggere
Cryptolestes sp. - Laemophloeidae
7.III.2011 - ITALIA - Sardegna - CA
Allegato(i)
Cryptolestes sp. - Laemophloeidae

7.III.2011 - ITALIA - Sardegna - CA
Coleoptera

hypotyphlus

2

1060

12/03/2011, 23:22

hypotyphlus Vedi ultimo messaggio

Nessun messaggio da leggere
Allegato(i)
Placonotus testaceus (Fabricius, 1787) - Laemophloeidae

13.II.2011 - ROMANIA - EE
Coleoptera

cosmln

6

1470

17/02/2011, 22:44

Gianfranco Vedi ultimo messaggio

Nessun messaggio da leggere
Cryptolestes ferrugineus (Stephens, 1831) - Laemophloeidae
VI.2006 - ITALIA - Emilia-Romagna - FC
Allegato(i)
Cryptolestes ferrugineus (Stephens, 1831) - Laemophloeidae

VI.2006 - ITALIA - Emilia-Romagna - FC
Coleoptera

Notoxus59

1

993

11/02/2011, 23:54

Gianfranco Vedi ultimo messaggio

Nessun messaggio da leggere
Placonotus testaceus (Fabricius, 1787) - Laemophloeidae
22.I.2011 - ITALIA - Sardegna - CA
Allegato(i)
Placonotus testaceus (Fabricius, 1787) - Laemophloeidae

22.I.2011 - ITALIA - Sardegna - CA
Coleoptera

Fumea crassiorella

4

1252

22/01/2011, 23:25

Fumea crassiorella Vedi ultimo messaggio

Nessun messaggio da leggere
Allegato(i)
Cryptolestes fractipennis (Motschulsky, 1845) - Laemophloeidae

1.III.1996 - ITALIA - Toscana - GR
Coleoptera

hypotyphlus

2

1021

14/01/2011, 13:59

hypotyphlus Vedi ultimo messaggio

Nessun messaggio da leggere
Placonotus testaceus (Fabricius, 1787) - Laemophloeidae
29.VII.2002 - ITALIA - Lazio - FR
Allegato(i)
Placonotus testaceus (Fabricius, 1787) - Laemophloeidae

29.VII.2002 - ITALIA - Lazio - FR
Coleoptera

hypotyphlus

4

1090

09/01/2011, 23:27

hypotyphlus Vedi ultimo messaggio

Nessun messaggio da leggere
Allegato(i)
Cryptolestes ferrugineus (Stephens, 1831) cf. - Laemophloeidae

29.VII.2002 - ITALIA - Lazio - FR
Coleoptera

hypotyphlus

2

1079

09/01/2011, 23:23

hypotyphlus Vedi ultimo messaggio

Nessun messaggio da leggere
Allegato(i)
Cryptolestes clematidis (Erichson, 1846) - Laemophloeidae

IX.2010 - ITALIA - Veneto - BL
Coleoptera

Maw89

10

2385

08/01/2011, 15:21

Maw89 Vedi ultimo messaggio

Nessun messaggio da leggere
Laemophloeus - Laemophloeidae
3.I.2011 - ITALIA - Sardegna - CA
Allegato(i)
Laemophloeus - Laemophloeidae

3.I.2011 - ITALIA - Sardegna - CA
Coleoptera

Fumea crassiorella

12

2598

07/01/2011, 19:09

Enrico Ruzzier Vedi ultimo messaggio

Nessun messaggio da leggere
Allegato(i)
Cryptolestes ferrugineus (Stephens, 1831) cf. - Laemophloeidae

13.VII.2010 - ITALIA - Veneto - TV
Coleoptera

Maw89

2

1128

06/01/2011, 20:31

Maw89 Vedi ultimo messaggio

Nessun messaggio da leggere
Allegato(i)
Cryptolestes sp. - Laemophloeidae - Lazio, Is. Ventotene (LT)

X.2010 - ITALIA - Lazio - LT
Coleoptera

ruzzpa

6

1727

08/11/2010, 0:11

Gianfranco Vedi ultimo messaggio

Nessun messaggio da leggere
Allegato(i)
Laemophloeus monilis (Fabricius, 1787) - Laemophloeidae - Sasso Marconi (BO)

VII.2010 - ITALIA - Emilia-Romagna - BO
Coleoptera

Loriscola

1

1039

06/08/2010, 16:14

giuseppe55 Vedi ultimo messaggio

Nessun messaggio da leggere
Allegato(i)
Laemophloeus monilis (Fabricius, 1787) ? - Laemophloeidae - Sasso Marconi (BO)

VI.2010 - ITALIA - Emilia-Romagna - BO
Coleoptera

Loriscola

5

1669

27/07/2010, 15:45

Loriscola Vedi ultimo messaggio

Nessun messaggio da leggere
Allegato(i)
Laemophloeus monilis (Fabricius 1787) - Laemophloeidae. Sardegna

V.2007 - ITALIA - Sardegna - CA
Coleoptera

Palaemonetes

7

2086

18/02/2010, 11:18

Gianfranco Vedi ultimo messaggio

Nessun messaggio da leggere
Cryptolestes fractipennis (Motschulsky 1845) - Laemophloeidae
X.2009 - ITALIA - Emilia-Romagna - BO
Allegato(i)
Cryptolestes fractipennis (Motschulsky 1845) - Laemophloeidae

X.2009 - ITALIA - Emilia-Romagna - BO
Coleoptera

Loriscola

3

1301

21/11/2009, 22:21

Glaphyrus Vedi ultimo messaggio

Nessun messaggio da leggere
Placonotus testaceus (Fabricius 1787) - Laemophloeidae
28.V.2009 - ITALIA - Sardegna - CA
Allegato(i)
Placonotus testaceus (Fabricius 1787) - Laemophloeidae

28.V.2009 - ITALIA - Sardegna - CA
Coleoptera

Daniele Sechi

2

982

19/08/2009, 15:52

Daniele Sechi Vedi ultimo messaggio

Visualizza ultimi argomenti:  Ordina per  Ordine:  
nuovo argomento
Vai alla pagina Precedente  1, 2
Pagina 2 di 2 [ 84 argomenti ]

Tutti gli orari sono UTC + 1 ora [ ora legale ]


Chi c’è in linea

Visitano il forum: Nessuno e 1 ospite


Legenda
Messaggi da leggere Messaggi da leggere Nessun messaggio da leggere Nessun messaggio da leggere Annuncio Annuncio
 
Specie indeterminata / discussione generica
Messaggi non letti [ Popolari ] Messaggi non letti [ Popolari ] Nessun messaggio da leggere [ Popolare ] Nessun messaggio da leggere [ Popolare ] Importante Importante
 
Specie determinata fino al genere o cf.
Messaggi non letti [ Bloccati ] Messaggi non letti [ Bloccati ] No messaggi non letti [ Bloccati ] No messaggi non letti [ Bloccati ] Argomento spostato Argomento spostato
 
Specie correttamente determinata
Permessi
Non puoi aprire nuovi argomenti
Non puoi rispondere negli argomenti
Non puoi modificare i tuoi messaggi
Non puoi cancellare i tuoi messaggi
Non puoi inviare allegati

Cerca per:
Vai a: