Benvenuto Ospite

Forum Entomologi Italiani

www.entomologiitaliani.net/forum
 
Oggi è 16/03/2026, 20:42

Tutti gli orari sono UTC + 1 ora [ ora legale ]

 Forum   Argomenti   Messaggi   Ultimo messaggio 
Nessun messaggio da leggere
Filtro località
Buprestidae indeterminati

235

1497

19/06/2024, 18:17

AdYRuicanescu Vedi ultimo messaggio




100%
tutti i taxon di questo archivio sono stati determinati correttamente

Buprestoidea


[ AFROTROPICALE ] [ ANTARTICO ] [ AUSTRALASIANO ] [ NEARTICO ] [ NEOTROPICALE ] [ ORIENTALE ] [ PALEARTICO ]


nuovo argomento
Vai alla pagina Precedente  1 ... 17, 18, 19, 20, 21, 22, 23 ... 26  Prossimo
Pagina 20 di 26 [ 1300 argomenti ]
 Argomenti   Ordine   Autore   Risposte   Visite    Ultimo messaggio 
Annunci
Nessun messaggio da leggere
Allegato(i)
Incontri entomologici della Società Entomologica Italiana 2025-2026
 

Velvet Ant

0

34936

17/11/2025, 19:41

Velvet Ant Vedi ultimo messaggio

Nessun messaggio da leggere
Allegato(i)
Incontri entomologici telematici organizzati dalla Società Entomologica Italiana nel 2022 e nel 2023

[ Vai alla paginaVai alla pagina: 1, 2, 3 ]

 

Velvet Ant

44

1890469

03/03/2023, 15:55

Velvet Ant Vedi ultimo messaggio

Nessun messaggio da leggere  
Allegato(i)
Sondaggio sul declino dell'entomofauna in Italia

[ Vai alla paginaVai alla pagina: 1, 2, 3, 4 ]

 

Velvet Ant

52

2541486

22/10/2022, 19:18

Acquarius Vedi ultimo messaggio

Nessun messaggio da leggere  
Allegato(i)
Progetto: Bibliografia ragionata dei lavori entomologici nei quali sono citati reperti apparsi su FEI

[ Vai alla paginaVai alla pagina: 1, 2, 3 ]

 

Velvet Ant

33

1517814

06/07/2023, 18:31

Orotrechus Vedi ultimo messaggio

Nessun messaggio da leggere
Allegato(i)
Mimesi, il primo documentario cinematografico sull’entomologia in Italia: casting
 

mazzeip

1

1119876

28/02/2019, 20:26

mazzeip Vedi ultimo messaggio

Questo argomento è bloccato, non puoi modificare o inviare ulteriori messaggi.
Allegato(i)
ISTRUZIONI PUBBLICAZIONE NUOVI ARGOMENTI E FOTO

 
Altri Ordini di Insetti

Julodis

4

2930525

13/05/2015, 19:37

Julodis Vedi ultimo messaggio

Nessun messaggio da leggere
Allegato(i)
Limitatore giornaliero di messaggi, uno strumento utile e ormai indispensabile

[ Vai alla paginaVai alla pagina: 1 ... 14, 15, 16 ]

 

Velvet Ant

233

13256905

25/09/2014, 14:31

Inachis Vedi ultimo messaggio

Nessun messaggio da leggere  
NORME PER I COLLABORATORI DEL FORUM

 
 

Velvet Ant

0

657173

02/06/2011, 12:05

Velvet Ant Vedi ultimo messaggio

Nessun messaggio da leggere
Allegato(i)
NORME PER GLI UTENTI DEL FORUM

[ Vai alla paginaVai alla pagina: 1, 2, 3 ]



 
 

Velvet Ant

30

3632221

23/09/2014, 23:54

Maurizio Bollino Vedi ultimo messaggio

Nessun messaggio da leggere  
Lista degli utenti del "Forum entomologi italiani" per campi di interesse e specializzazione

 
Altri Ordini di Insetti

Velvet Ant

13

1084239

07/09/2023, 17:14

Roberto-07 Vedi ultimo messaggio

Argomenti
Nessun messaggio da leggere
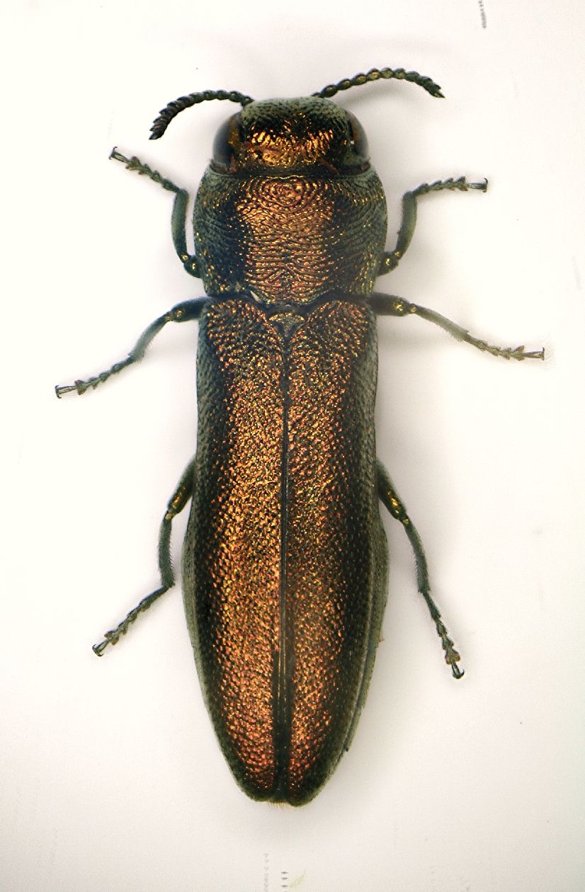
Coraebus elatus elatus (Fabricius, 1787) - Buprestidae
26.V.2011 - ITALIA - Toscana - LI
Allegato(i) Dettagli della specie
Coraebus elatus elatus (Fabricius, 1787)
Buprestidae


26.V.2011 - ITALIA - Toscana - LI
Coleoptera

FORBIX

6

1765

06/06/2011, 11:47

Loriscola Vedi ultimo messaggio

Nessun messaggio da leggere
Allegato(i) Dettagli della specie
Acmaeoderella (Acmaeoderella) discoida (Fabricius, 1787)
Buprestidae


23.V.2011 - ITALIA - Toscana - LI
Coleoptera

FORBIX

2

1523

06/06/2011, 11:41

FORBIX Vedi ultimo messaggio

Nessun messaggio da leggere
Allegato(i) Dettagli della specie
Anthaxia (Anthaxia) fulgurans (Schrank, 1789)
Buprestidae


5.VI.2011 - ITALIA - Lazio - RM
Coleoptera

Julodis

0

919

05/06/2011, 19:56

Julodis Vedi ultimo messaggio

Nessun messaggio da leggere
Allegato(i) Dettagli della specie
Acmaeoderella (Carininota) flavofasciata flavofasciata (Piller & Mitterpacher, 1783)
Buprestidae


4.VI.2011 - ITALIA - Umbria - PG
Coleoptera

ilio

3

2023

04/06/2011, 21:16

Acmaeodera Vedi ultimo messaggio

Nessun messaggio da leggere
Allegato(i) Dettagli della specie
Anthaxia (Cratomerus) hungarica hungarica (Scopoli, 1772)
Buprestidae


4.VI.2011 - ITALIA - Puglia - BA
Coleoptera

Mimmo011

8

2511

04/06/2011, 16:41

Mimmo011 Vedi ultimo messaggio

Nessun messaggio da leggere
Allegato(i) Dettagli della specie
Capnodis tenebricosa tenebricosa (A. G. Olivier, 1790)
Buprestidae


2.VI.2011 - ITALIA - Umbria - PG
Coleoptera

ilio

2

1075

03/06/2011, 22:59

ilio Vedi ultimo messaggio

Nessun messaggio da leggere
Sphenoptera (Deudora) rauca (Fabricius, 1787) - Buprestidae
28.V.2011 - ITALIA - Sicilia - PA
Allegato(i) Dettagli della specie
Sphenoptera (Deudora) rauca (Fabricius, 1787)
Buprestidae


28.V.2011 - ITALIA - Sicilia - PA
Coleoptera

carabus

3

1210

03/06/2011, 18:04

Julodis Vedi ultimo messaggio

Nessun messaggio da leggere
Allegato(i) Dettagli della specie
Acmaeoderella (Acmaeoderella) trinacriae (Obenberger, 1823)
Buprestidae


28.V.2011 - ITALIA - Sicilia - PA
Coleoptera

carabus

1

1328

03/06/2011, 16:31

Julodis Vedi ultimo messaggio

Nessun messaggio da leggere
Allegato(i) Dettagli della specie
Anthaxia (Anthaxia) hypomelaena (Illiger, 1803)
Buprestidae


27.V.2011 - ITALIA - Sicilia - PA
Coleoptera

carabus

3

1510

03/06/2011, 5:22

AdYRuicanescu Vedi ultimo messaggio

Nessun messaggio da leggere
Allegato(i) Dettagli della specie
Acmaeoderella (Acmaeoderella) discoida (Fabricius, 1787)
Buprestidae


27.V.2011 - ITALIA - Sicilia - PA
Coleoptera

carabus

1

1331

02/06/2011, 20:55

Acmaeodera Vedi ultimo messaggio

Nessun messaggio da leggere
Allegato(i) Dettagli della specie
Agrilus (Anambus) angustulus angustulus (Illiger, 1803)
Buprestidae


26.V.2011 - ITALIA - Toscana - LI
Coleoptera

FORBIX

8

2634

02/06/2011, 15:14

Clickie Vedi ultimo messaggio

Nessun messaggio da leggere
Allegato(i) Dettagli della specie
Anthaxia (Haplanthaxia) cichorii (A. G. Olivier, 1790)
Buprestidae


30.V.2011 - ITALIA - Lazio - RM
Coleoptera

Julodis

0

594

01/06/2011, 22:05

Julodis Vedi ultimo messaggio

Nessun messaggio da leggere
Allegato(i) Dettagli della specie
Anthaxia (Haplanthaxia) millefolii polychloros Abeille de Perrin, 1894
Buprestidae


28.V.2011 - ITALIA - Toscana - LI
Coleoptera

FORBIX

3

1150

01/06/2011, 21:06

Julodis Vedi ultimo messaggio

Nessun messaggio da leggere
Allegato(i) Dettagli della specie
Anthaxia (Haplanthaxia) umbellatarum umbellatarum (Fabricius, 1787)
Buprestidae


26.V.2011 - ITALIA - Toscana - LI
Coleoptera

FORBIX

1

787

01/06/2011, 21:05

Julodis Vedi ultimo messaggio

Nessun messaggio da leggere
Allegato(i) Dettagli della specie
Sphenoptera (Chilostetha) laportei Saunders, 1871
Buprestidae


28.V.2011 - ITALIA - Puglia - LE
Coleoptera

Maurizio Bollino

6

1467

01/06/2011, 7:48

Julodis Vedi ultimo messaggio

Nessun messaggio da leggere
Allegato(i) Dettagli della specie
Anthaxia (Cratomerus) hungarica hungarica (Scopoli, 1772)
Buprestidae


28.V.2011 - ITALIA - Sicilia - TP
Coleoptera

gigi58

2

797

31/05/2011, 8:39

gigi58 Vedi ultimo messaggio

Nessun messaggio da leggere
Allegato(i) Dettagli della specie
Meliboeus (Meliboeus) graminis graminis (Panzer, 1799)
Buprestidae


28.V.2011 - ITALIA - Sicilia - PA
Coleoptera

carabus

2

1124

29/05/2011, 22:27

carabus Vedi ultimo messaggio

Nessun messaggio da leggere
Agrilus (Agrilus) hyperici (Creutzer, 1799) - Buprestidae
28.V.2010 - ITALIA - Toscana - LI
Allegato(i) Dettagli della specie
Agrilus (Agrilus) hyperici (Creutzer, 1799)
Buprestidae

[ Vai alla paginaVai alla pagina: 1, 2 ]



28.V.2010 - ITALIA - Toscana - LI
Coleoptera

FORBIX

18

4551

27/05/2011, 9:00

AdYRuicanescu Vedi ultimo messaggio

Nessun messaggio da leggere
Cylindromorphus filum filum (Gyllenhal, 1817) - Buprestidae
22.V.2011 - ITALIA - Emilia-Romagna - BO
Allegato(i) Dettagli della specie
Cylindromorphus filum filum (Gyllenhal, 1817)
Buprestidae


22.V.2011 - ITALIA - Emilia-Romagna - BO
Coleoptera

Loriscola

6

1847

27/05/2011, 8:55

f.izzillo Vedi ultimo messaggio

Nessun messaggio da leggere
Allegato(i) Dettagli della specie
Anthaxia (Cratomerus) hungarica hungarica (Scopoli, 1772)
Buprestidae


21.V.2011 - ITALIA - Abruzzo - PE
Coleoptera

conan

2

1237

26/05/2011, 7:04

Julodis Vedi ultimo messaggio

Nessun messaggio da leggere
Allegato(i) Dettagli della specie
Anthaxia (Melanthaxia) helvetica helvetica Stierlin, 1868
Buprestidae


22.V.2011 - ITALIA - Lombardia - BG
Coleoptera

Pippistrello

7

2115

25/05/2011, 23:45

Pippistrello Vedi ultimo messaggio

Nessun messaggio da leggere
Agrilus (Agrilus) hyperici (Creutzer, 1799) - Buprestidae
22.V.2011 - ITALIA - Emilia-Romagna - BO
Allegato(i) Dettagli della specie
Agrilus (Agrilus) hyperici (Creutzer, 1799)
Buprestidae


22.V.2011 - ITALIA - Emilia-Romagna - BO
Coleoptera

Loriscola

2

1220

25/05/2011, 19:45

Loriscola Vedi ultimo messaggio

Nessun messaggio da leggere
Coraebus elatus elatus (Fabricius, 1787) - Buprestidae
22.V.2011 - ITALIA - Emilia-Romagna - RE
Allegato(i) Dettagli della specie
Coraebus elatus elatus (Fabricius, 1787)
Buprestidae


22.V.2011 - ITALIA - Emilia-Romagna - RE
Coleoptera

Mikiphasmide

5

1501

23/05/2011, 22:56

FORBIX Vedi ultimo messaggio

Nessun messaggio da leggere
Anthaxia (Anthaxia) nitidula (Linnaeus, 1758) - Buprestidae
18.V.2011 - ITALIA - Emilia-Romagna - RE
Allegato(i) Dettagli della specie
Anthaxia (Anthaxia) nitidula (Linnaeus, 1758)
Buprestidae


18.V.2011 - ITALIA - Emilia-Romagna - RE
Coleoptera

Mikiphasmide

4

1424

23/05/2011, 22:07

Julodis Vedi ultimo messaggio

Nessun messaggio da leggere
Anthaxia (Anthaxia) nitidula (Linnaeus, 1758) - Buprestidae
14.V.2011 - ITALIA - Abruzzo - AQ
Allegato(i) Dettagli della specie
Anthaxia (Anthaxia) nitidula (Linnaeus, 1758)
Buprestidae


14.V.2011 - ITALIA - Abruzzo - AQ
Coleoptera

Claude54

2

1123

23/05/2011, 9:02

f.izzillo Vedi ultimo messaggio

Nessun messaggio da leggere
Anthaxia (Anthaxia) nitidula (Linnaeus, 1758) - Buprestidae
21.V.2011 - ITALIA - Emilia-Romagna - RE
Allegato(i) Dettagli della specie
Anthaxia (Anthaxia) nitidula (Linnaeus, 1758)
Buprestidae


21.V.2011 - ITALIA - Emilia-Romagna - RE
Coleoptera

Mikiphasmide

3

1655

22/05/2011, 18:21

Julodis Vedi ultimo messaggio

Nessun messaggio da leggere
Anthaxia (Anthaxia) fulgurans (Schrank, 1789) - Buprestidae
18.V.2011 - ITALIA - Emilia-Romagna - RE
Allegato(i) Dettagli della specie
Anthaxia (Anthaxia) fulgurans (Schrank, 1789)
Buprestidae


18.V.2011 - ITALIA - Emilia-Romagna - RE
Coleoptera

Mikiphasmide

3

1343

22/05/2011, 18:19

Julodis Vedi ultimo messaggio

Nessun messaggio da leggere
Trachypteris picta decostigma (Fabricius, 1787) - Buprestidae
17.V.2011 - ITALIA - Emilia-Romagna - MO
Allegato(i) Dettagli della specie
Trachypteris picta decostigma (Fabricius, 1787)
Buprestidae


17.V.2011 - ITALIA - Emilia-Romagna - MO
Coleoptera

Alessio89

2

1149

22/05/2011, 12:00

conan Vedi ultimo messaggio

Nessun messaggio da leggere
Allegato(i) Dettagli della specie
Chrysobothris (Chrysobothris) solieri Laporte & Gory, 1837
Buprestidae


10.V.2011 - ITALIA - Marche - AN
Coleoptera

Alessio89

1

1011

22/05/2011, 7:29

Julodis Vedi ultimo messaggio

Nessun messaggio da leggere
Anthaxia (Anthaxia) mendizabali Cobos, 1965 - Buprestidae
21.V.2011 - ITALIA - Basilicata - MT
Allegato(i) Dettagli della specie
Anthaxia (Anthaxia) mendizabali Cobos, 1965
Buprestidae


21.V.2011 - ITALIA - Basilicata - MT
Coleoptera

Mimmo011

8

2270

21/05/2011, 22:32

Mimmo011 Vedi ultimo messaggio

Nessun messaggio da leggere
Allegato(i) Dettagli della specie
Acmaeoderella (Acmaeoderella) discoida (Fabricius, 1787)
Buprestidae


15.V.2011 - ITALIA - Lazio - RM
Coleoptera

Julodis

1

1074

20/05/2011, 7:41

f.izzillo Vedi ultimo messaggio

Nessun messaggio da leggere
Trachys troglodytiformis Obenberger, 1918 - Buprestidae
19.IV.2011 - ITALIA - Marche - PU
Allegato(i) Dettagli della specie
Trachys troglodytiformis Obenberger, 1918
Buprestidae


19.IV.2011 - ITALIA - Marche - PU
Coleoptera

marco paglialunga

5

2754

19/05/2011, 9:11

marco paglialunga Vedi ultimo messaggio

Nessun messaggio da leggere
Allegato(i) Dettagli della specie
Anthaxia (Haplanthaxia) croesus (Villers, 1789)
Buprestidae


16.V.2011 - ITALIA - Veneto - BL
Coleoptera

pazzo

2

1124

17/05/2011, 16:02

pazzo Vedi ultimo messaggio

Nessun messaggio da leggere
Allegato(i) Dettagli della specie
Anthaxia (Anthaxia) salicis salicis (Fabricius, 1777)
Buprestidae


16.V.2011 - ITALIA - Lazio - RM
Coleoptera

Julodis

2

1135

17/05/2011, 8:44

AdYRuicanescu Vedi ultimo messaggio

Nessun messaggio da leggere
Phaenops cyanea (Fabricius, 1775) - Buprestidae
10.IV.2011 - ITALIA - Trentino-Alto Adige - TN
Allegato(i) Dettagli della specie
Phaenops cyanea (Fabricius, 1775)
Buprestidae


10.IV.2011 - ITALIA - Trentino-Alto Adige - TN
Coleoptera

Pippistrello

2

1209

16/05/2011, 22:35

Pippistrello Vedi ultimo messaggio

Nessun messaggio da leggere
Allegato(i) Dettagli della specie
Acmaeodera (Acmaeotethya) prunneri Spinola, 1838
Buprestidae


6.V.2011 - ITALIA - Sardegna - SS
Coleoptera

Pietro Niolu

6

2091

16/05/2011, 21:36

Tenebrio Vedi ultimo messaggio

Nessun messaggio da leggere
Allegato(i) Dettagli della specie
Anthaxia (Cratomerus) hungarica hungarica (Scopoli, 1772)
Buprestidae


14.V.2011 - ITALIA - Sicilia - TP
Coleoptera

gigi58

4

1553

16/05/2011, 21:21

gigi58 Vedi ultimo messaggio

Nessun messaggio da leggere
Allegato(i) Dettagli della specie
Acmaeodera (Acmaeodera) pilosellae pilosellae (Bonelli, 1812)
Buprestidae


14.V.2011 - ITALIA - Sicilia - PA
Coleoptera

carabus

1

1511

15/05/2011, 22:20

Julodis Vedi ultimo messaggio

Nessun messaggio da leggere
Chalcophora massiliensis (Villers, 1789) - Buprestidae
11.V.2011 - ITALIA - Liguria - GE
Allegato(i) Dettagli della specie
Chalcophora massiliensis (Villers, 1789)
Buprestidae


11.V.2011 - ITALIA - Liguria - GE
Coleoptera

Gremu

5

1931

14/05/2011, 23:02

Julodis Vedi ultimo messaggio

Nessun messaggio da leggere
Anthaxia (Anthaxia) suzannae Théry, 1942 - Buprestidae
8.V.2011 - ITALIA - Lazio - RM
Allegato(i) Dettagli della specie
Anthaxia (Anthaxia) suzannae Théry, 1942
Buprestidae


8.V.2011 - ITALIA - Lazio - RM
Coleoptera

Julodis

8

2463

14/05/2011, 21:12

Mimmo011 Vedi ultimo messaggio

Nessun messaggio da leggere
Agrilus (Anambus) roscidus Kiesenwetter, 1857 - Buprestidae
11.V.2011 - ITALIA - Sicilia - SR
Allegato(i) Dettagli della specie
Agrilus (Anambus) roscidus Kiesenwetter, 1857
Buprestidae

[ Vai alla paginaVai alla pagina: 1, 2 ]



11.V.2011 - ITALIA - Sicilia - SR
Coleoptera

Pippistrello

15

4320

13/05/2011, 17:33

Pippistrello Vedi ultimo messaggio

Nessun messaggio da leggere
Allegato(i) Dettagli della specie
Acmaeoderella (Acmaeoderella) discoida (Fabricius, 1787)
Buprestidae


11.V.2011 - ITALIA - Sicilia - AG
Coleoptera

carabus

4

1976

13/05/2011, 17:30

carabus Vedi ultimo messaggio

Nessun messaggio da leggere
Coraebus rubi (Linnaeus, 1767) - Buprestidae
11.V.2011 - ITALIA - Liguria - GE
Allegato(i) Dettagli della specie
Coraebus rubi (Linnaeus, 1767)
Buprestidae


11.V.2011 - ITALIA - Liguria - GE
Coleoptera

Gremu

3

1275

12/05/2011, 17:03

Gremu Vedi ultimo messaggio

Nessun messaggio da leggere
Meliboeus (Meliboeoides) parvulus (Küster, 1852) - Buprestidae
3.V.2011 - ITALIA - Emilia-Romagna - BO
Allegato(i) Dettagli della specie
Meliboeus (Meliboeoides) parvulus (Küster, 1852)
Buprestidae


3.V.2011 - ITALIA - Emilia-Romagna - BO
Coleoptera

Loriscola

6

1519

12/05/2011, 13:22

f.izzillo Vedi ultimo messaggio

Nessun messaggio da leggere
Allegato(i) Dettagli della specie
Ptosima undecimmaculata undecimmaculata (Herbst, 1784)
Buprestidae


11.V.2011 - ITALIA - Umbria - PG
Coleoptera

ilio

4

1300

12/05/2011, 8:41

f.izzillo Vedi ultimo messaggio

Nessun messaggio da leggere
Allegato(i) Dettagli della specie
Acmaeoderella (Euacmaeoderella) lanuginosa lanuginosa (Gyllenhal, 1817)
Buprestidae


11.V.2011 - ITALIA - Sicilia - AG
Coleoptera

carabus

3

1803

12/05/2011, 7:31

f.izzillo Vedi ultimo messaggio

Nessun messaggio da leggere
Dicerca aenea aenea (Linnaeus, 1767) - Buprestidae
1.V.2011 - ITALIA - Lazio - RM
Allegato(i) Dettagli della specie
Dicerca aenea aenea (Linnaeus, 1767)
Buprestidae


1.V.2011 - ITALIA - Lazio - RM
Coleoptera

Broc

6

2024

11/05/2011, 19:16

Broc Vedi ultimo messaggio

Nessun messaggio da leggere
Allegato(i) Dettagli della specie
Anthaxia (Anthaxia) nitidula (Linnaeus, 1758)
Buprestidae


9.V.2011 - ITALIA - Toscana - FI
Coleoptera

Sleepy Moose

2

1243

11/05/2011, 14:10

Sleepy Moose Vedi ultimo messaggio

Nessun messaggio da leggere
Allegato(i) Dettagli della specie
Ptosima undecimmaculata undecimmaculata (Herbst, 1784)
Buprestidae


6.V.2011 - ITALIA - Toscana - FI
Coleoptera

Sleepy Moose

5

1823

10/05/2011, 14:27

f.izzillo Vedi ultimo messaggio

Nessun messaggio da leggere
Allegato(i) Dettagli della specie
Anthaxia (Melanthaxia) istriana Rosenhauer, 1847
Buprestidae


5.V.2011 - ITALIA - Toscana - FI
Coleoptera

Sleepy Moose

2

1104

09/05/2011, 20:10

Sleepy Moose Vedi ultimo messaggio

Visualizza ultimi argomenti:  Ordina per  Ordine:  
nuovo argomento
Vai alla pagina Precedente  1 ... 17, 18, 19, 20, 21, 22, 23 ... 26  Prossimo
Pagina 20 di 26 [ 1300 argomenti ]

Tutti gli orari sono UTC + 1 ora [ ora legale ]


Chi c’è in linea

Visitano il forum: Nessuno e 2 ospiti


Legenda
Messaggi da leggere Messaggi da leggere Nessun messaggio da leggere Nessun messaggio da leggere Annuncio Annuncio
 
Specie indeterminata / discussione generica
Messaggi non letti [ Popolari ] Messaggi non letti [ Popolari ] Nessun messaggio da leggere [ Popolare ] Nessun messaggio da leggere [ Popolare ] Importante Importante
 
Specie determinata fino al genere o cf.
Messaggi non letti [ Bloccati ] Messaggi non letti [ Bloccati ] No messaggi non letti [ Bloccati ] No messaggi non letti [ Bloccati ] Argomento spostato Argomento spostato
 
Specie correttamente determinata
Permessi
Non puoi aprire nuovi argomenti
Non puoi rispondere negli argomenti
Non puoi modificare i tuoi messaggi
Non puoi cancellare i tuoi messaggi
Non puoi inviare allegati

Cerca per:
Vai a: