|
|
| Argomenti |
Ordine |
Autore |
Risposte |
Visite |
Ultimo messaggio |
| Annunci |
 |
|
Incontri entomologici della Società Entomologica Italiana 2025-2026
|
|
Velvet Ant |
0 |
23418 |
17/11/2025, 19:41
Velvet Ant
|
 |
|
Incontri entomologici telematici organizzati dalla Società Entomologica Italiana nel 2022 e nel 2023
[ Vai alla pagina: 1, 2, 3 ]
|
|
Velvet Ant |
44 |
1781415 |
03/03/2023, 15:55
Velvet Ant
|
 |
|
Sondaggio sul declino dell'entomofauna in Italia
[ Vai alla pagina: 1, 2, 3, 4 ]
|
|
Velvet Ant |
52 |
2416778 |
22/10/2022, 19:18
Acquarius
|
 |
|
Progetto: Bibliografia ragionata dei lavori entomologici nei quali sono citati reperti apparsi su FEI
[ Vai alla pagina: 1, 2, 3 ]
|
|
Velvet Ant |
33 |
1430872 |
06/07/2023, 18:31
Orotrechus
|
 |
|
Mimesi, il primo documentario cinematografico sull’entomologia in Italia: casting
|
|
mazzeip |
1 |
1101575 |
28/02/2019, 20:26
mazzeip
|
 |
|
ISTRUZIONI PUBBLICAZIONE NUOVI ARGOMENTI E FOTO
|
Altri Ordini di Insetti |
Julodis |
4 |
2905063 |
13/05/2015, 19:37
Julodis
|
 |
|
Limitatore giornaliero di messaggi, uno strumento utile e ormai indispensabile
[ Vai alla pagina: 1 ... 14, 15, 16 ]
|
|
Velvet Ant |
233 |
12774169 |
25/09/2014, 14:31
Inachis
|
 |
|
NORME PER I COLLABORATORI DEL FORUM
|
|
Velvet Ant |
0 |
643269 |
02/06/2011, 12:05
Velvet Ant
|
 |
|
NORME PER GLI UTENTI DEL FORUM
[ Vai alla pagina: 1, 2, 3 ]
|
|
Velvet Ant |
30 |
3544913 |
23/09/2014, 23:54
Maurizio Bollino
|
 |
|
Lista degli utenti del "Forum entomologi italiani" per campi di interesse e specializzazione
|
Altri Ordini di Insetti |
Velvet Ant |
13 |
1041343 |
07/09/2023, 17:14
Roberto-07
|
| Argomenti |
 |
|
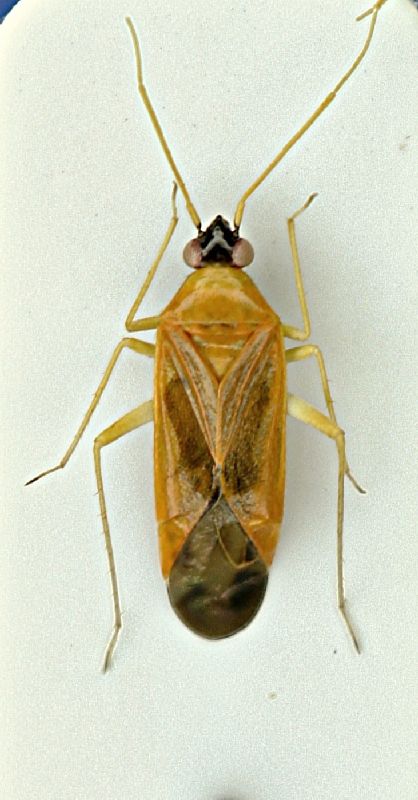
Dryophilocoris flavoquadrimaculatus (De Geer, 1773) - Miridae
25.IV.2011 - ITALIA - Friuli-Venezia Giulia - TS
|
Hemiptera |
Agdistis |
7 |
1003 |
28/04/2011, 23:20
Agdistis
|
 |
|
Calocoris nemoralis (Fabricius, 1787) - Miridae
2.VI.2010 - ITALIA - Sardegna - SS
|
Hemiptera |
Mauro |
1 |
647 |
26/04/2011, 23:13
Dioli
|
 |
|
Closterotomus trivialis (A. Costa, 1853) - Miridae
16.IV.2011 - ITALIA - Campania - NA
|
Hemiptera |
anto18 |
1 |
694 |
17/04/2011, 20:51
eremicus
|
 |
|
Pithanus marshalli Douglas and Scott, 1868
13.IV.2011 - ITALIA - Sardegna - CA
|
Hemiptera |
Fumea crassiorella |
3 |
782 |
13/04/2011, 19:40
Fumea crassiorella
|
 |
|
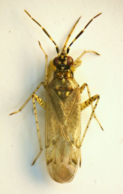
Miris striatus cf. - Miridae
13.VI.2008 - ITALIA - Lazio - RM
|
Hemiptera |
Julodis |
6 |
967 |
09/03/2011, 23:05
Julodis
|
 |
|
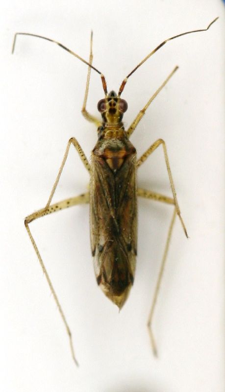
Miris striatus (Linnaeus, 1758) ninfa - Miridae
22.IV.2007 - ITALIA - Lazio - RM
|
Hemiptera |
Julodis |
2 |
602 |
09/03/2011, 23:01
Julodis
|
 |
|
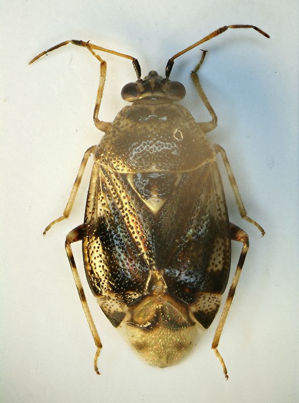
Deraeocoris punctum (Rambur, 1839) - Miridae
13.VI.2010 - ITALIA - Lazio - RM
|
Hemiptera |
soken |
3 |
529 |
22/02/2011, 12:47
soken
|
 |
|
Psallus (Hylopsallus) cfr. perrisi (Mulsant & Rey, 1852) - Miridae Phylinae
V.1993 - ITALIA - Marche - PU
|
Hemiptera |
marco paglialunga |
5 |
657 |
29/01/2011, 1:57
Dioli
|
 |
|
Miride quercia- Sasso Marconi (BO)
|
Hemiptera |
Loriscola |
2 |
387 |
04/01/2011, 3:30
Dioli
|
 |
|
Miridae da identificare
19.VI.2010 - GERMANIA - EE
|
Hemiptera |
matthew gandy |
1 |
389 |
26/12/2010, 12:27
matthew gandy
|
 |
|
Leptopterna dolabrata (Linnaeus, 1758) - Miridae - Romania, Bacau county, Moldavia
|
Hemiptera |
alexaandru |
2 |
399 |
12/12/2010, 17:11
alexaandru
|
 |
|
Bryocoris pteridis (Fallén, 1807) - Miridae - Val Sarentino (BZ)
|
Hemiptera |
Loriscola |
3 |
461 |
10/12/2010, 20:40
antoEandrea
|
 |
|
Macrotylus (Alloeonycha) horvathi (Reuter 1876) - Miridae - Romania
|
Hemiptera |
alexaandru |
4 |
445 |
06/12/2010, 19:05
alexaandru
|
 |
|
Horwathia lineolata (A. Costa, 1862) - Miridae - Marche (PU)
V.1997 - ITALIA - Marche - PU
|
Hemiptera |
marco paglialunga |
2 |
426 |
06/11/2010, 22:13
Dioli
|
 |
|
Closterotomus trivialis (A. Costa, 1853) - Miridae - Molise - Larino
|
Hemiptera |
Franco ROSSI |
6 |
624 |
02/11/2010, 14:50
Franco ROSSI
|
 |
|
Lygus pratensis (Linnaeus, 1758) - Miridae, Mirinae, Mirini - (PG) Umbria
|
Hemiptera |
lillo |
2 |
419 |
18/10/2010, 13:11
lillo
|
 |
|
Notostira erratica (Linnaeus, 1758) - Miridae - Romania
|
Hemiptera |
alexaandru |
5 |
518 |
16/10/2010, 8:10
alexaandru
|
 |
|
Adelphocoris reichelii (Fieber, 1836) - Miridae - Romania
|
Hemiptera |
alexaandru |
3 |
433 |
14/10/2010, 11:51
alexaandru
|
 |
|
Campylomma verbasci (Meyer-Dur 1843) cf. - Miridae - Sardegna
|
Hemiptera |
Palaemonetes |
1 |
329 |
08/10/2010, 17:15
Mauro
|
 |
|
Adelphocoris lineolatus (Goeze, 1778) - Miridae Mirinae Mirini - Emilia Romagna (RE)
|
Hemiptera |
Xylotrechus |
2 |
395 |
08/10/2010, 16:28
Xylotrechus
|
 |
|
Trigonotylus ruficornis (Geoffroy, 1785) cf. - Miridae Mirinae Stenodemini - Toscana, Isola d'Elba
|
Hemiptera |
FORBIX |
0 |
271 |
25/09/2010, 19:22
FORBIX
|
 |
|
Notostira erratica (Linnaeus, 1758) - Miridae Mirinae Stenodemini - Romania
|
Hemiptera |
alexaandru |
9 |
852 |
22/09/2010, 12:53
alexaandru
|
 |
|
Lygus wagneri Remane, 1955 - Miridae -
|
Hemiptera |
farinetti |
7 |
773 |
14/09/2010, 11:37
farinetti
|
 |
|
Deraeocoris (Deraeocoris) ruber (Linnaeus 1758) - Heteroptera - Latina
21.V.2010 - ITALIA - Lazio - RM
|
Hemiptera |
soken |
4 |
676 |
25/08/2010, 19:37
Andricus
|
 |
|
Mimocoris rugicollis (A. Costa, 1853) - Miridae - Sasso Marconi (BO)
|
Hemiptera |
Loriscola |
1 |
477 |
24/08/2010, 0:24
Andricus
|
 |
|
Deraeocoris (Deraeocoris) schach (Fabricius 1781) - Toscana, Isola d'Elba
|
Hemiptera |
FORBIX |
2 |
560 |
02/08/2010, 1:14
Dioli
|
 |
|
Heterotoma sp. - Miridae - Lazio
|
Hemiptera |
soken |
9 |
1648 |
04/07/2010, 15:41
soken
|
 |
|
Closterotomus trivialis (A. Costa, 1853) - Miridae. Lazio
|
Hemiptera |
soken |
6 |
1182 |
28/06/2010, 11:58
Dioli
|
 |
|
Phylus (Phylus) melanocephalus (Linnaeus, 1767) - Miridae. Sasso Marconi (BO)
|
Hemiptera |
Loriscola |
7 |
1385 |
12/06/2010, 16:33
Hemerobius
|
 |
|
Trigonotylus ruficornis (Geoffroy, 1785) - Miridae.
|
Hemiptera |
carlos |
4 |
766 |
03/06/2010, 8:42
eremicus
|
 |
|
Brachycoleus sexvittatus Reuter, 1877 - Miridae. Sardegna
|
Hemiptera |
Mauro |
3 |
588 |
31/05/2010, 21:23
Mauro
|
 |
|
Heteroptera Miridae, neanide
|
Hemiptera |
carlos |
1 |
418 |
21/05/2010, 20:49
Hemerobius
|
 |
|
Pithanus maerkelii (Herrich-Schaffer, 1838) ♂ - Miridae - Bovolone (VR)
|
Hemiptera |
FrS |
2 |
440 |
13/05/2010, 15:15
FrS
|
 |
|
Dicyphus (Brachyceroea) annulatus (Wolff, 1804) (Miridae Dicyphinae) - Sasso Marconi (BO)
|
Hemiptera |
Loriscola |
8 |
759 |
01/05/2010, 21:26
Loriscola
|
 |
|
Dicyphus sp. - Miridae - Sasso Marconi (BO)
|
Hemiptera |
Loriscola |
1 |
366 |
19/04/2010, 11:36
marsal
|
 |
|
Miride da determinare
|
Hemiptera |
Palaemonetes |
2 |
417 |
16/04/2010, 13:00
Palaemonetes
|
 |
|
Deraeocoris (Camptobrochis) serenus Douglas & Scott, 1868 - Miridae - Sasso Marconi (BO)
|
Hemiptera |
Loriscola |
1 |
382 |
19/03/2010, 2:18
eremicus
|
 |
|
Horistus (Horistus) infuscatus (Brulle, 1832) - Miridae - South Crete
|
Hemiptera |
pf1331fp |
2 |
429 |
24/02/2010, 22:27
pf1331fp
|
 |
|
Closterotomus cinctipes (A. Costa, 1853) (♂ imm.) - Miridae
|
Hemiptera |
marco paglialunga |
3 |
503 |
24/02/2010, 20:49
marco paglialunga
|
 |
|
Miris striatus (Linnaeus, 1758) (forma chiara) - Miridae
|
Hemiptera |
marco paglialunga |
1 |
483 |
24/02/2010, 20:40
eremicus
|
 |
|
Miris striatus (Linnaeus, 1758) (forma scura) - Miridae
|
Hemiptera |
marco paglialunga |
1 |
528 |
24/02/2010, 20:38
eremicus
|
 |
|
Closterotomus cinctipes (A. Costa, 1853) ♀ - Miridae
|
Hemiptera |
marco paglialunga |
3 |
788 |
24/02/2010, 20:33
eremicus
|
 |
|
Calocoris nemoralis (Fabricius, 1787) - Miridae
IV.1998 - ITALIA - Calabria - RC
|
Hemiptera |
marco paglialunga |
3 |
1106 |
22/02/2010, 9:56
clido
|
 |
|
Macrotylus (Alloeonycha) nigricornis Fieber 1864 - Miridae. Segesta
|
Hemiptera |
Velvet Ant |
0 |
714 |
20/02/2010, 21:08
Velvet Ant
|
 |
|
Pinalitus cervinus (Herrich-Schaeffer, 1841) - Miridae - Sardegna
|
Hemiptera |
Pietro Niolu |
3 |
780 |
20/02/2010, 11:57
Pietro Niolu
|
 |
|
Taylorilygus apicalis (Fieber, 1861) - Miridae - Sardegna
|
Hemiptera |
Pietro Niolu |
2 |
718 |
20/02/2010, 11:56
Pietro Niolu
|
 |
|
Closterotomus norwegicus (Gmelin, 1790) - Miridae - Sardegna
|
Hemiptera |
Pietro Niolu |
3 |
565 |
20/02/2010, 11:49
Pietro Niolu
|
 |
|
Deraeocoris (Deraeocoris) ruber (Linnaeus 1758) - Miridae
VI.1993 - ITALIA - Marche - PU
|
Hemiptera |
marco paglialunga |
0 |
416 |
17/02/2010, 10:47
marco paglialunga
|
 |
|
Orthops ? - Miridae
|
Hemiptera |
StagBeetle |
0 |
336 |
13/02/2010, 22:57
StagBeetle
|
 |
|
Deraeocoris (Deraeocoris) schach (Fabricius 1781) - Miridae
VI.1993 - ITALIA - Marche - PU
|
Hemiptera |
marco paglialunga |
2 |
605 |
13/02/2010, 12:05
Ranatra
|
|
|