Benvenuto Ospite

Forum Entomologi Italiani

www.entomologiitaliani.net/forum
 
Oggi è 13/05/2026, 13:58

Tutti gli orari sono UTC + 1 ora [ ora legale ]

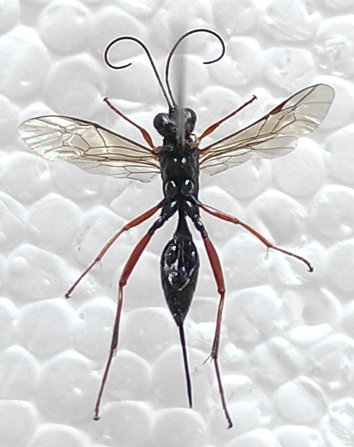
Cryptus viduatorius Fabricius, 1804 - Ichneumonidae

24.VIII.2022 - ITALIA - Toscana - LU, Lucca, 19m s.l.m.


nuovo argomento
rispondi
Pagina 1 di 1 [ 7 messaggi ]
Autore Messaggio
MessaggioInviato: 01/09/2022, 16:37 
Avatar utente

Iscritto il: 08/07/2022, 10:09
Messaggi: 399
Località: Lucca (LU)
Nome: Massimiliano Marchi
Qualcuno può aiutarmi nell'identificazione, per favore..? :)

Dimensioni:
- lunghezza: 9 mm
- apertura alare: 8 mm

Se necessitate di altre foto, chiedete pure! :)

Grazie!!! ;)

Max :hi:

Schermata 2022-09-01 a 16.34.03.jpg


Schermata 2022-09-01 a 16.34.10.jpg


Schermata 2022-09-01 a 16.34.17.jpg



Top
profilo
 Oggetto del messaggio: Re: Ichneumonidae da identificare
MessaggioInviato: 08/09/2022, 0:19 
Avatar utente

Iscritto il: 08/07/2022, 10:09
Messaggi: 399
Località: Lucca (LU)
Nome: Massimiliano Marchi
Aggiornamento :)

Studiando in questa settimana sono riuscito ad arrivare a questo: Ichneumonidae - Cryptinae - Cryptini - Cryptina

Per quanto riguarda il genere, se dovessi puntare un dollaro (tanto è gratis :lol: ), lo punterei su Cryptus (Fabricius, 1804)... ma esclusivamente per la somiglianza con altri esemplari trovati in rete (il peggior modo per identificare qualcosa, lo so :( )

Aggiungo ulteriori scatti dell'esemplare ;) chissà che qualche esperto non riesca a capirci qualcosa in più o a confermare/smentire quanto da me identificato :)

Grazie a tutti! :hi:
Max

Schermata 2022-09-06 a 16.39.29.jpg


Schermata 2022-09-06 a 16.39.44.jpg


Schermata 2022-09-08 a 00.10.49.jpg


Schermata 2022-09-06 a 16.40.11.jpg


Schermata 2022-09-06 a 16.40.33.jpg


Schermata 2022-09-06 a 16.40.44.jpg


Schermata 2022-09-06 a 16.40.52.jpg



Top
profilo
 Oggetto del messaggio: Re: Ichneumonidae da identificare
MessaggioInviato: 14/09/2022, 21:23 
Avatar utente

Iscritto il: 06/02/2009, 9:02
Messaggi: 1429
Località: Verona - Roma - Foggia e sporadicamente Padova
Nome: Filippo Di Giovanni
Cryptus anche per me. Per la specie, non mi avventuro da foto; forse con quello scutello giallo ci si può arrivare ma dovrei controllare un po' di letteratura.

Filippo

_________________
"Non posso separare il piacere estetico che provo nel vedere una farfalla dal piacere scientifico di sapere che cosa è" (V.Nabokov)


Top
profilo
 Oggetto del messaggio: Re: Ichneumonidae da identificare
MessaggioInviato: 15/09/2022, 22:30 
Avatar utente

Iscritto il: 08/07/2022, 10:09
Messaggi: 399
Località: Lucca (LU)
Nome: Massimiliano Marchi
Eopteryx ha scritto:
Cryptus anche per me. Per la specie, non mi avventuro da foto; forse con quello scutello giallo ci si può arrivare ma dovrei controllare un po' di letteratura.

Grazie Filippo per la conferma del genere! :ok:

Facendo un piccolo studio, ho visto che la combinazione di alcuni caratteri morfologici generali quali:
- porzione mediana delle antenne bianca
- torace con macchie chiare
- addome nero
- femori e tibie rosse
potrebbero ricordare Cryptus viduatorius (Fabricius, 1804)... ma è soltanto un'ipotesi ;)
La specie in realtà non credo nemmeno sia segnalata per la Toscana... anche se non so quanto queste segnalazioni sul genere Cryptus siano attendibili ed aggiornate...ma insomma io sono già contento di aver identificato il genere corretto :)

Grazie ancora, Filippo! :hi:

Max


Top
profilo
 Oggetto del messaggio: Re: Ichneumonidae da identificare
MessaggioInviato: 16/09/2022, 9:38 
Avatar utente

Iscritto il: 06/02/2009, 9:02
Messaggi: 1429
Località: Verona - Roma - Foggia e sporadicamente Padova
Nome: Filippo Di Giovanni
ok, no, lasciamo perdere le segnalazioni per "regione X". Siamo ben lontani da Carabidi e Lepidotteri diurni, dove si sanno i comuni in cui una specie è presente o meno. Qua siamo a livello che ancora non si capisce quante specie ci sono in Italia.

Fatto il dovuto chiarimento, provo a controllare con qualcosa in letteratura.

Filippo :hi:

_________________
"Non posso separare il piacere estetico che provo nel vedere una farfalla dal piacere scientifico di sapere che cosa è" (V.Nabokov)


Top
profilo
 Oggetto del messaggio: Re: Ichneumonidae da identificare
MessaggioInviato: 16/09/2022, 9:48 
Avatar utente

Iscritto il: 06/02/2009, 9:02
Messaggi: 1429
Località: Verona - Roma - Foggia e sporadicamente Padova
Nome: Filippo Di Giovanni
Confermo Cryptus viduatorius. Ho controllato i caratteri: al di là della colorazione dello scutello, si intravedono le apofisi del propodeo appena accennate e si vede la tibia anteriore rigonfia; anche la lunghezza dell'ovopositore (anche se non in linea nella foto), di poco superiore a quella della tibia posteriore, porta a questa specie.

Filippo :hi:

_________________
"Non posso separare il piacere estetico che provo nel vedere una farfalla dal piacere scientifico di sapere che cosa è" (V.Nabokov)


Top
profilo
 Oggetto del messaggio: Re: Ichneumonidae da identificare
MessaggioInviato: 16/09/2022, 12:17 
Avatar utente

Iscritto il: 08/07/2022, 10:09
Messaggi: 399
Località: Lucca (LU)
Nome: Massimiliano Marchi
Eopteryx ha scritto:
Confermo Cryptus viduatorius. Ho controllato i caratteri: al di là della colorazione dello scutello, si intravedono le apofisi del propodeo appena accennate e si vede la tibia anteriore rigonfia; anche la lunghezza dell'ovopositore (anche se non in linea nella foto), di poco superiore a quella della tibia posteriore, porta a questa specie.

EVVAI!!! :hj:

GRAZIE MILLE, FILIPPO!!! :ok: :ok: :ok:

Sono felicissimo della tua conferma e delle importanti aggiunte identificative che mi hai scritto ;)

Possiamo confermare la presenza di questa specie in Toscana :ok: beh se non della specie, almeno di questo esemplare :lol: e se non in Toscana, almeno a Lucca :lol:
Sono felice anche di essere riuscito (sebbene in maniera non scientifica, sperimentale e mooooolto fortuita) ad essere riuscito ad ipotizzare quella che è stata poi la specie confermata :)

Non vedo l'ora di poterci confrontare su altri esemplari, ne ho alcuni in preparazione ;)

Grazie mille ancora a te e agli altri amici del FEI! Sto imparando tantissimo grazie a tutti voi! :lov3: Spero un giorno di riuscire a restituire quanto mi state dando!

Max :hi:


Top
profilo
Visualizza ultimi messaggi:  Ordina per  
nuovo argomento
rispondi
Pagina 1 di 1 [ 7 messaggi ]

Tutti gli orari sono UTC + 1 ora [ ora legale ]


Chi c’è in linea

Visitano il forum: Nessuno e 2 ospiti


Non puoi aprire nuovi argomenti
Non puoi rispondere negli argomenti
Non puoi modificare i tuoi messaggi
Non puoi cancellare i tuoi messaggi
Non puoi inviare allegati

Cerca per:
Vai a: