Forum Entomologi Italiani
https://www.entomologiitaliani.net/public/forum/phpBB3/

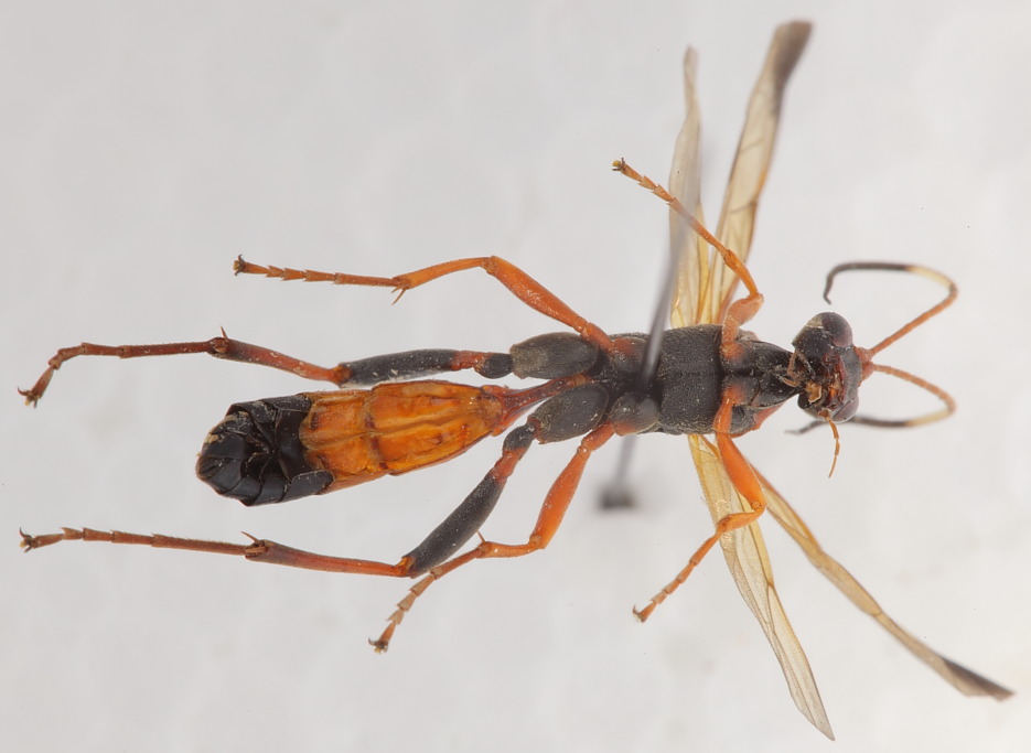
Ctenochares bicolorus (Linnaeus, 1767) - Ichneumonidae Ichneumoninae Ichneumonini - Toscana, Isola d'Elba
https://www.entomologiitaliani.net/public/forum/phpBB3/viewtopic.php?f=104&t=12363
Pagina 1 di 1

Autore:  FORBIX [ 01/10/2010, 19:23 ]
Oggetto del messaggio:  Ctenochares bicolorus (Linnaeus, 1767) - Ichneumonidae Ichneumoninae Ichneumonini - Toscana, Isola d'Elba

Portoferraio (LI) - 29.IX.2010 - Colle Reciso

Ichneumonidae??

da determinare18.JPG

da determinare19.JPG

da determinare20.JPG


Autore:  Eopteryx [ 01/10/2010, 19:59 ]
Oggetto del messaggio:  Re: Imenottero da ID - Isola d'Elba (3)

Ha tutta l'aria di Ctenochares bicolorus (Ichneumonidae Ichneumoninae). E' specie che va dall'Europa fino alla regione Afrotropicale e all'Australia-Nuova Zelanda, parassita di Nottuidi.

A presto, Pippo

Autore:  task [ 27/12/2010, 12:44 ]
Oggetto del messaggio:  Re: Ctenochares bicolorus (Linnaeus, 1767) - Ichneumonidae Ichneumoninae Ichneumonini - Toscana, Isola d'Elba

scusate la domanda che potrebbe sembrare blasfema...

ma ci sono differenze tra "Ctenochares bicolorus" e "Ctenochares instructor" o sono la stessa specie??

Grazie

Autore:  Eopteryx [ 17/01/2011, 15:21 ]
Oggetto del messaggio:  Re: Ctenochares bicolorus (Linnaeus, 1767) - Ichneumonidae Ichneumoninae Ichneumonini - Toscana, Isola d'Elba

task ha scritto:
scusate la domanda che potrebbe sembrare blasfema...

ma ci sono differenze tra "Ctenochares bicolorus" e "Ctenochares instructor" o sono la stessa specie??

Grazie


Scusa se ti rispondo con ritardo. Ichneumon instructor Fabricius, 1793 รจ sinonimo di C.bicolorus (L.,1767).

A presto, Pippo

Pagina 1 di 1 Tutti gli orari sono UTC + 1 ora [ ora legale ]
Powered by phpBB® Forum Software © phpBB Group
http://www.phpbb.com/