Benvenuto Ospite

Forum Entomologi Italiani

www.entomologiitaliani.net/forum
 
Oggi è 27/12/2025, 3:29

Tutti gli orari sono UTC + 1 ora [ ora legale ]

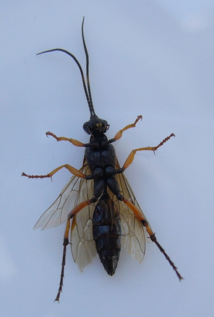
Diphyus quadripunctorius (Müller, 1776) (cf.) - Ichneumonidae - Romania

21.IV.2011 - ROMANIA - EE, Romania: Moldavia: Bacau county: Comanesti


nuovo argomento
rispondi
Pagina 1 di 1 [ 3 messaggi ]
Autore Messaggio
MessaggioInviato: 21/04/2011, 12:02 
Avatar utente

Iscritto il: 31/08/2010, 7:16
Messaggi: 3040
Località: Romania
Nome: Pintilioaie Alexandru Mihai
I collected today this nice species :D


3.jpg

2.jpg

1.jpg


_________________
alexandrupintilioaie(AT)gmail.com
Top
profilo
 Oggetto del messaggio: Re: Ichneumonoidae 2 - Romania
MessaggioInviato: 26/04/2011, 20:34 
Avatar utente

Iscritto il: 06/02/2009, 9:02
Messaggi: 1429
Località: Verona - Roma - Foggia e sporadicamente Padova
Nome: Filippo Di Giovanni
It seems a Diphyus quadripunctorius (Ichneumonidae, Ichneumoninae).

Pippo :hi:

_________________
"Non posso separare il piacere estetico che provo nel vedere una farfalla dal piacere scientifico di sapere che cosa è" (V.Nabokov)


Top
profilo
 Oggetto del messaggio: Re: Ichneumonoidae 2 - Romania
MessaggioInviato: 26/04/2011, 21:05 
Avatar utente

Iscritto il: 31/08/2010, 7:16
Messaggi: 3040
Località: Romania
Nome: Pintilioaie Alexandru Mihai
Eopteryx ha scritto:
It seems a Diphyus quadripunctorius (Ichneumonidae, Ichneumoninae).

Pippo :hi:


Thank you :birra: ...this specimen is yours ;)

_________________
alexandrupintilioaie(AT)gmail.com


Top
profilo
Visualizza ultimi messaggi:  Ordina per  
nuovo argomento
rispondi
Pagina 1 di 1 [ 3 messaggi ]

Tutti gli orari sono UTC + 1 ora [ ora legale ]


Chi c’è in linea

Visitano il forum: Nessuno e 1 ospite


Non puoi aprire nuovi argomenti
Non puoi rispondere negli argomenti
Non puoi modificare i tuoi messaggi
Non puoi cancellare i tuoi messaggi
Non puoi inviare allegati

Cerca per:
Vai a:  
cron