Benvenuto Ospite

Forum Entomologi Italiani

www.entomologiitaliani.net/forum
 
Oggi è 25/03/2026, 23:26

Tutti gli orari sono UTC + 1 ora [ ora legale ]

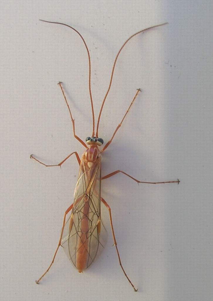
Ophion obscuratus Fabricius 1798 (cf.) ♂ - Ophioninae

X.2009 - ITALIA - Toscana - SI, Asciano


nuovo argomento
rispondi
Pagina 1 di 1 [ 4 messaggi ]
Autore Messaggio
MessaggioInviato: 11/12/2009, 21:04 
Avatar utente

Iscritto il: 18/02/2009, 0:24
Messaggi: 3909
Località: Asciano (Siena)
Nome: Andrea Petrioli
imenottero dorsoA1.jpg

A partire dai primi di ottobre ho potuto osservare tutte le mattine un piccolo nucleo di imenotteri in riposo su di una centralina di un apri-cancello in corrispondenza di un vicino faretto acceso durante la notte (seconda foto).
Da metà mattinata in poi le bestiole non erano più presenti ma, con estrema puntualità le ritrovavo la mattina successiva. Chiaramente si tratta di specie attratte dalla luce che però mi hanno lasciato due dubbi. :roll:
Nel vialetto sono presenti altri 5 faretti che si accendono nella notte; ebbene, in corrispondenza di questi solo raramente ho osservato un esemplare (1 esemplare su 5 faretti!!!!), sulla centralina mediamente sempre due-tre esemplari.
Inoltre, per quanto amanti della luce, gli insetti sulla centralina sono sempre presenti nei tre lati meno esposti alla luce del faretto...

Con il passare dei giorni e con l'arrivo del freddo (cioè fino a ieri) gli esemplari sono diminuiti; in ogni caso nulla in corrispondenza dei faretti del viale e un esemplare sulla centralina....

Non so se la cosa possa interessare, ma a me ha incuriosito. :) :) :)

Ringrazio chiunque mi possa fornire informazioni in merito alle bestiole.


:hi:

andrea
faretto.jpg



imenottero ventreA1.jpg


_________________
:hi:
______
Andrea
Top
profilo
MessaggioInviato: 11/12/2009, 22:46 
Avatar utente

Iscritto il: 14/03/2009, 12:59
Messaggi: 3258
Località: Milano
Nome: Gabriele Franzini
Sparo :gun: :
Famiglia Ichneumonidae, CREDO Ophion luteus Linné, 1758

Ciao G.


Top
profilo
MessaggioInviato: 12/12/2009, 0:13 
Avatar utente

Iscritto il: 06/02/2009, 9:02
Messaggi: 1429
Località: Verona - Roma - Foggia e sporadicamente Padova
Nome: Filippo Di Giovanni
gabrif ha scritto:
Sparo :gun: :
Famiglia Ichneumonidae, CREDO Ophion luteus Linné, 1758

Ciao G.


:ok: fino al genere...

Io direi più Ophion cf.obscuratus. Sono bestie veramente rognose anche allo stereoscopio...

Sullo strano comportamento proprio non saprei che dire... Che siano attratti dall'infrarosso emesso dal sensore ? O semplicemente dal calore prodotto da quest'ultimo ? boh...

A presto, Pippo

_________________
"Non posso separare il piacere estetico che provo nel vedere una farfalla dal piacere scientifico di sapere che cosa è" (V.Nabokov)


Top
profilo
MessaggioInviato: 12/12/2009, 16:13 
Avatar utente

Iscritto il: 18/02/2009, 0:24
Messaggi: 3909
Località: Asciano (Siena)
Nome: Andrea Petrioli
Grazie mille per le vostre risposte :ok:

:hi:

andrea

_________________
:hi:
______
Andrea


Top
profilo
Visualizza ultimi messaggi:  Ordina per  
nuovo argomento
rispondi
Pagina 1 di 1 [ 4 messaggi ]

Tutti gli orari sono UTC + 1 ora [ ora legale ]


Chi c’è in linea

Visitano il forum: Nessuno e 1 ospite


Non puoi aprire nuovi argomenti
Non puoi rispondere negli argomenti
Non puoi modificare i tuoi messaggi
Non puoi cancellare i tuoi messaggi
Non puoi inviare allegati

Cerca per:
Vai a: