Benvenuto Ospite

Forum Entomologi Italiani

www.entomologiitaliani.net/forum
 
Oggi è 27/03/2026, 5:36

Tutti gli orari sono UTC + 1 ora [ ora legale ]

Richiesta di determinazione

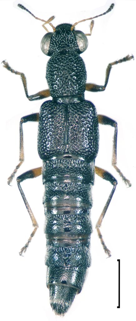
21.III.2026 - ITALIA - Sicilia - TP, Mazara del Vallo


nuovo argomento
rispondi
Pagina 1 di 1 [ 11 messaggi ]
Autore Messaggio
 Oggetto del messaggio: Richiesta di determinazione
MessaggioInviato: 21/03/2026, 23:01 
 

Iscritto il: 24/08/2013, 16:50
Messaggi: 1351
Nome: angelo ditta
6/7 mm
Grazie
Angelo


P1090479-Ridim.JPG

P1090478-Ridim.JPG

P1090476-Ridim.JPG

Top
profilo
 Oggetto del messaggio: Re: Richiesta di determinazione
MessaggioInviato: 21/03/2026, 23:45 
Avatar utente

Iscritto il: 28/05/2009, 16:38
Messaggi: 5075
Nome: luigi lenzini
Forse, genere Stenus, ma non me ne intendo gran che ..... :oops: :oooner:


Top
profilo
 Oggetto del messaggio: Re: Richiesta di determinazione
MessaggioInviato: 22/03/2026, 9:39 
 

Iscritto il: 24/08/2013, 16:50
Messaggi: 1351
Nome: angelo ditta
Grazie mille, Luigi.
Angelo


Top
profilo
 Oggetto del messaggio: Re: Richiesta di determinazione
MessaggioInviato: 22/03/2026, 10:13 
Avatar utente

Iscritto il: 09/11/2009, 14:12
Messaggi: 5197
Località: Hradec Kralove,Czech republik
Nome: Jan Matějíček
Stenus (? Hypostenus) - confrontare


Stenus Sardegna.JPG


_________________
Research Fields
Taxonomy, ecology, biomonitoring , faunistic of Staphylinidae
Top
profilo
 Oggetto del messaggio: Re: Richiesta di determinazione
MessaggioInviato: 22/03/2026, 10:42 
 

Iscritto il: 24/08/2013, 16:50
Messaggi: 1351
Nome: angelo ditta
Thank you so much, Jan.
I'll compare it and let you know.
Angelo


Top
profilo
 Oggetto del messaggio: Re: Richiesta di determinazione
MessaggioInviato: 22/03/2026, 10:55 
 

Iscritto il: 24/08/2013, 16:50
Messaggi: 1351
Nome: angelo ditta
It seems Stenus (Hypostenus)
Angelo


P1090479-Part.JPG

P1090478-Part.JPG

P1090477-Part.JPG

Top
profilo
 Oggetto del messaggio: Re: Richiesta di determinazione
MessaggioInviato: 22/03/2026, 13:48 
Avatar utente

Iscritto il: 09/11/2009, 14:12
Messaggi: 5197
Località: Hradec Kralove,Czech republik
Nome: Jan Matějíček
è un maschio
edeago aiuterebbe


P1090478-Ridim.JPG


_________________
Research Fields
Taxonomy, ecology, biomonitoring , faunistic of Staphylinidae
Top
profilo
 Oggetto del messaggio: Re: Richiesta di determinazione
MessaggioInviato: 22/03/2026, 14:52 
 

Iscritto il: 24/08/2013, 16:50
Messaggi: 1351
Nome: angelo ditta
Grazie Jan,
provo a chiedere a un amico che lo sa fare.
Angelo


Top
profilo
 Oggetto del messaggio: Re: Richiesta di determinazione
MessaggioInviato: ieri, 9:58 
 

Iscritto il: 24/08/2013, 16:50
Messaggi: 1351
Nome: angelo ditta
Caro Jan,
purtroppo nessuno dei miei amici in questo periodo ha tempo di estrarre l'edeago dell'insetto.
Non appena lo faranno lo pubblicherò.
Grazie
Angelo


Top
profilo
 Oggetto del messaggio: Re: Richiesta di determinazione
MessaggioInviato: ieri, 11:55 
Avatar utente

Iscritto il: 09/11/2009, 14:12
Messaggi: 5197
Località: Hradec Kralove,Czech republik
Nome: Jan Matějíček
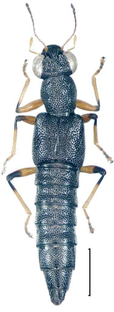
Penso S.(H.) similis (Hbst., 1784) o cicindeloides (Schall., 1783)


P1090479-Ridim.JPG

S.(H.) cicindeloides
cicindel.jpg

S.(H.) similis
similis.jpg


_________________
Research Fields
Taxonomy, ecology, biomonitoring , faunistic of Staphylinidae
Top
profilo
 Oggetto del messaggio: Re: Richiesta di determinazione
MessaggioInviato: ieri, 12:57 
 

Iscritto il: 24/08/2013, 16:50
Messaggi: 1351
Nome: angelo ditta
Grazie mille Jan.
Angelo


Top
profilo
Visualizza ultimi messaggi:  Ordina per  
nuovo argomento
rispondi
Pagina 1 di 1 [ 11 messaggi ]

Tutti gli orari sono UTC + 1 ora [ ora legale ]


Chi c’è in linea

Visitano il forum: Nessuno e 19 ospiti


Non puoi aprire nuovi argomenti
Non puoi rispondere negli argomenti
Non puoi modificare i tuoi messaggi
Non puoi cancellare i tuoi messaggi
Non puoi inviare allegati

Cerca per:
Vai a: