Benvenuto Ospite

Forum Entomologi Italiani

www.entomologiitaliani.net/forum
 
Oggi è 08/05/2026, 16:58

Tutti gli orari sono UTC + 1 ora [ ora legale ]

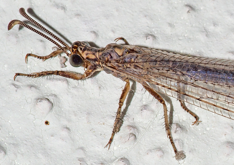
Creoleon sp. (cf.) - Myrmeleontidae

13.IX.2018 - ITALIA - Sardegna - NU, near Nuoro


nuovo argomento
rispondi
Pagina 1 di 1 [ 3 messaggi ]
Autore Messaggio
 Oggetto del messaggio: Creoleon sp. (cf.) - Myrmeleontidae
MessaggioInviato: 11/10/2018, 18:53 
 

Iscritto il: 16/03/2017, 16:35
Messaggi: 6
Nome: David Kohl
Attracted by light.
Unknown Myrmeleontidae
Location: Sardegna, vicinity of Nuoro
Alt.: approx.. 650m
Date: 13-09-2018
Thanks in advance for any id suggestion.
Regards,
David


NP76164-Mierenleeuw unidentified # (Myrmeleontidae sp.).jpg

NP76164a-Mierenleeuw unidentified # (Myrmeleontidae sp.).jpg

Top
profilo
MessaggioInviato: 08/11/2018, 8:59 
 

Iscritto il: 10/08/2010, 14:39
Messaggi: 3267
Località: Milano
Nome: Carlo Monari
rilancio

_________________
Ciao

Carlo


Top
profilo
MessaggioInviato: 08/11/2018, 13:17 
Avatar utente

Iscritto il: 20/07/2009, 16:32
Messaggi: 5813
Località: Sassari (SS)
Nome: Mauro Doneddu
Secondo me è conspecifico dell'easemplare di quest'altra discussione: viewtopic.php?f=11&t=82442&p=439236#p439236

_________________
:hi:
Mauro


Top
profilo
Visualizza ultimi messaggi:  Ordina per  
nuovo argomento
rispondi
Pagina 1 di 1 [ 3 messaggi ]

Tutti gli orari sono UTC + 1 ora [ ora legale ]


Chi c’è in linea

Visitano il forum: Nessuno e 1 ospite


Non puoi aprire nuovi argomenti
Non puoi rispondere negli argomenti
Non puoi modificare i tuoi messaggi
Non puoi cancellare i tuoi messaggi
Non puoi inviare allegati

Cerca per:
Vai a: